马丁代尔耐磨测试仪实验测试方法
- 格式:pdf
- 大小:260.38 KB
- 文档页数:2
YG(B)401E型马丁代尔耐磨仪操作用流程温州际高检测仪器有限公司一、简介该仪器是吸取国内外同类仪器优点设计而成,其外形美观大方、采用触摸式的显示屏幕,界面易懂,操作简便、微机系统采用两种计数方式,直观大方,设定方便、八个工位同时试验,提高试验效率。
仪器还设有二种李莎茹(Lissajous)24mm×24mm、60.5mm×60.5mm运动轨迹和多种配套附件,能适应多种试验方法标准。
该仪器适用于:GB/T4802.2、ASTM D4970、ISO12945-2等织物起毛起球程度的试验。
其原理:圆形试样与同样材料织物在给定的压力下,以Lissajous图形运动轨迹进行磨擦,达到规定的转数后,评定试样起毛起球等级。
还适用于GB/T13775、ASTM D4966、ISO12947等织物耐磨性能试验。
其原理:圆形织物试样在一定的压力下,与标准磨料按李莎如(Lissajous)曲线的运动轨迹进行互相磨擦,导致试样破损,以试样破损的耐磨次数表示织物的耐磨性能。
二、主要技术参数1.工位数:8位2.计数显示:a.预计计数:0~999999次b.累计计数:0~999999次3.最大动程:24±0.5mm 、60.5±0.5mm4.加压物质量:a.衣料试样重锤:395±2gb.家具装饰品试样重锤:594±2gc.不锈钢碟片:260±1g5.夹持器有效质量与摩擦直径:A型200g(1.96N)摩擦头¢28.8 -0.084mmB型155g(1.52N)摩擦头¢90 -0.10mm6.夹持器与磨台相对运动速度:50-2r/min7.装样压锤质量:2385±10g8.外形尺寸:885×600×410mm (L×W×H)9.重量:150kg10.电源:Ac220V 50Hz三、仪器触摸屏功能显示(参图2A、2B、2C)1、(参2A图)当打开仪器电源开关,触摸屏会显示第一个主界面:其中有一行中英文语言提示【选择所需要语言后方可进入】【Choosing the right language for entry】,按相应键就可进入中文或英文菜单。
马丁代尔耐磨试验机织物耐磨性测试方法一、参照标准:GB/T 21196马丁代尔织物耐磨性的测定(本标准分为四个部分,分别为马丁代尔耐磨试验仪、试样破损的测定、质量损失的测定、外观变化的评定)二、试验仪器:马丁代尔耐磨试验仪三、试验原理:被测织物安装在上方试样夹具内并将其与安装在磨台上的磨料摩擦。
摩擦轨迹为李莎茹图形。
待设定摩擦次数后,进行相关记录,观察及计算。
四、试验仪器的组成:整台仪器包括以下几大主要部分:试样夹具板,试样夹具,磨台,传动装置,计数器。
传动装置使试样夹具导板运动。
试样夹具导板上的轴套与试样夹具无缝相连。
试样夹具内安装待测摩擦试样,与磨台上安装的织物或磨料进行摩擦运动。
计数器记录摩擦的次数。
标准规定马丁代尔仪传动装置中两个外侧驱动轮转动一圈记作一次摩擦。
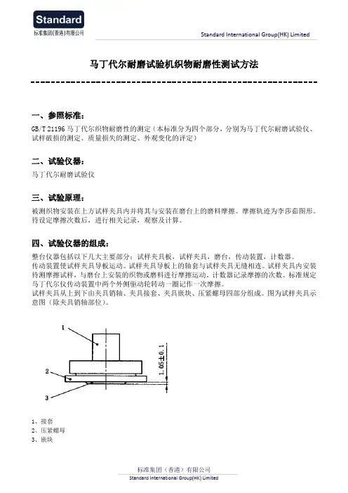
试样夹具从上到下由夹具销轴、夹具接套、夹具嵌块、压紧螺母四部分组成。
图为试样夹具示意图(除夹具销轴部位)。
1、接套2、压紧螺母3、嵌块1-接套侧视图2-压紧螺母侧视与俯视图3-嵌块侧视图五、实验配件磨台由磨台,夹持环,固定夹持环的加持装置,质量为(2.5±0.5)Kg、直径为(120±10)mm的压锤组成。
压锤的作用是在安装磨料时避免织物移动引起的褶皱及表面不平整,固定好磨料后将压锤移除并进行后续安装。
六、辅料介绍:(1)磨料:磨料的作用是与其上方的测试织物进行摩擦。
在GB/T 21196中磨料为机织平纹毛织物,直径或边长至少为140mm。
涂层织物的磨料采用NO.600水砂纸。
(2)毛毡:与磨料一起安装在磨台上,在磨料下方,为一圆形机织羊毛底衬。
单位面积质量为750±50g/m2,厚度为2.5±0.5/mm,大小为1400+5mm。
(3)泡沫塑料:当织物的单位面积质量低于500 g/m2,安装在试样夹具内,作测试织物的衬垫用。
大小为38.0+50mm。
七、试样、磨料及辅料安装试样安装在试样夹具内。
ASTM D4970马丁代尔耐磨测试仪试验方法*************************************************************************************实验原理可检测各种植物的耐磨性及起球性能。
在一定的压力下,试样和指定的磨料进行持续的的以一定的几何图形相互磨擦,和标准参数对比进行磨损和起球程度评价。
触摸屏控制,配备功能全面的编程器,可预编程批次及总计数,单独设置每个测试头的计数;可选择包括标准速度在内的4个速度。
实验设备技术参数:1.工位数:9位;2.计数范围:0~999999次3.最大动程:横向60.5±0.5mm纵向24±0.5mm4.加压物质量:a.夹持器:200±1gb.衣料试样重锤:395±2gc.家具装饰品试样重锤:594±2gd.不锈钢蝶片:260±1g5.磨块有效摩擦直径:A型200g(1.96N)摩擦头(9KPa)¢28.8-0.084mmB型155g(1.52N)摩擦头(12KPa)¢90-0.10mm6.夹持器与磨台相对运动速度:20-70r/min(可调)7.装样压锤质量:2385±10g实验配件1.样品夹9套;2.9Kpa、12KPa砝码各9只;3.Φ38mm、Φ140mm取样器各一套;4.Φ38mm、Φ140mm取样器垫板各一块;5.起球性测试套具一套;6.SM50标准样照一套;7.EMPA标准起球样照一套和SM-25标准磨布1.6m×5m一块;8.标准泡沫1.5m×0.5m一套(4块/套);9.标准毡绒片一块;10.Φ90mm毡片碟20块;11.Φ38mm、Φ140mm取样器刀片各50片;12.其它由制造商推荐的必备附件。
13.取样器﹕直径38mm(1.5in.)和140mm(5.5in.)两种。
14.AATCC变色灰卡。
马丁代尔耐磨测试仪实验操作部分一、试样破损测定该方法适用于所有纺织织物,但不适用于磨损寿命较短的织物。
1、磨料的选择。
根据试样的特点选择不同的标准磨料。
非涂层织物:机织平纹羊毛织物;涂层织物:No.600水砂纸。
磨料和磨台之间用羊毛毡分隔,试验结束后,检查毛毡表面,如果出现污点或磨损,应及时更换。
2、取样方法。
至少3块,机织物应该包含不同经纬纱。
提花织物或花式组织,应该包括一个完全组织的各特性部位,一个完全组织或图案较大时,各部位可分别取样。
3、试样夹具衬垫的选择。
测定试样的单位面积质量,试样的单位面积≥500g/m2,不需要泡沫塑料衬垫,试样的单位面积<500g/m2,试样夹具内加装泡沫塑料衬垫,每次试验更换泡沫塑料衬垫。
4、摩擦负荷总有效质量选择。
摩擦负荷总有效质量包括夹持器、不锈钢碟片、试样重锤质量。
根据亚太拉斯M235Martindale耐磨性与起球性测试仪提供的技术参数,夹持器质量:(200±1)g;不锈钢碟片质量:(260±1)g;试样重锤质量:(395±2)g,(594±2)g。
根据试样用途,织物特征选择相应的摩擦负荷总有效质量有三种:1)(795±7)g:适用于工作服、家具装饰布、床上亚麻制品、产业用织物;2)(595±7)g:适用于服用和家用纺织品(家具装饰布、床上亚麻制品),非服用的涂层织物;3)(198±2)g:适用于服用的涂层织物。
5、磨料更换周期羊毛标准织物:50000次;标准水砂纸:6000次。
6、检查间隔对试样到达破损时的摩擦次数进行预估,在此基础上设计适当的检查间隔,作为试样耐磨性试验过程中对试样表面磨损状态观测点,检查间隔为一定的摩擦次数。
7、测定结果表示测定每个试样发生破损时的总摩擦次数,以试样破损前积累的摩擦次数作为耐磨次数。
二、质量损失的测定适用于所有纺织织物,但不适用于磨损寿命较短的织物。
马丁代尔耐磨测试仪的实验方法和注意事项符合标准:(1)国际标准:ISO 5470:橡胶或塑料涂层织物-抗磨损性测定ISO12945.2:织物起毛起球的测定马丁代尔法ISO12947:纺织品用马丁代尔(Martindale)法对织物抗磨损性的测定(2)美国测试材料学会:ASTM D4966织物耐磨性测试马丁代尔耐磨测试仪ASTM D4970 纺织品抗耐磨测试马丁代尔法(3)中国国家标准:GB/T 4802.2:纺织品织物起毛起球性能的测定GB/T21196 :纺织品马丁代尔法织物耐磨性的测定(马丁代尔耐磨试验仪、试样破损的测定、质量损失的测定、外观变化的评定)GB/T13775:棉,麻,绢丝机织物耐磨试验(4)欧盟标准:EN?ISO?12947纺织品马丁代尔法织物耐磨性的测定(5)英国标准学会BS?ISO12947纺织品用马丁代尔(Martindale)法对织物抗磨损性的测定等适用范围:马丁代尔耐磨测试仪适用于机织物、针织物、无纺布、装饰材料、涂层织物等的耐磨性能测试及表观起毛起球性能的测试。
工作原理:马丁代尔耐磨测试仪被测织物安装在上方试样夹具内并将其与安装在磨台上的磨料摩擦。
摩擦轨迹为李莎茹图形。
根据试验要求经规定的摩擦阶段后,取下织物并进行耐磨指数的计算或采用视觉描述方式评定试样的起毛和起球等级。
技术特性及技术参数:(1)工位数:9位;(2)计数范围:0-999999次(3)最大动程:横向60.5±0.5mm,纵向24±0.5mm(4)加压物质量:夹持器:200±1g,衣料试样重锤:395±2g,家具装饰品试样重锤:594±2g,不锈钢碟片:260±1g。
(5)磨块有效摩擦直径:A型200g(1.96N)摩擦头(9KPa)¢28.8-0.084mmB型155g(1.52N)摩擦头(12 KPa)¢90-0.1mm(6)夹持器与磨台相对运动速度:20-70r/min(可调)(7)装样压锤质量:2385±10g仪器配置及耗材:(1)样品夹9套(2)9 KPa、12 KPa砝码各9只(3)38mm、140mm取样器各一套(4)38mm、140mm取样器垫板各一块(5)起球性测试套具一套(6)SM50标准样照一套(7)EMPA标准起球样照一套和SM-25标准磨布1.6m*5m一块(8)标准泡沫1.5m*0.5m一套(4块/套)(9)标准毡绒片一块(10)90mm毡片碟20块(11)38mm、140mm取样器刀片各50片(12)其它由制造商推荐的必备附件。
ISO 12945-2:2000织物:用马丁代尔耐磨仪测定表面起毛起球试验1-1本方法采用马丁代尔耐磨仪测定纺织品的抗起毛起球及其表面的其它改变情况,本方法适用于所有的纺织品,尤其适合于机织物。
1-2本测试方法不适用于厚度超过3mm的面料,因为这种布夹样器夹不紧。
1-3测试样品可以是洗前或洗后。
1-4本方法采用SI制作为标准单位,括号里的单位仅供参考。
1-5本标准没有涉及到安全方面的介绍。
但希望在操作本标准前,应该建立一些与安全卫生有关的管理文件。
2.术语2-1 定义:本方法中用到的其它纺织定义,请参照ISO1232-2 本方法中的定义:2-2-1 循环:在马丁代尔耐磨中,一个完整的Lissajous曲线需运动16图。
2-2-2起绒:纱线或织物表面凸出的毛羽末端相互纠缠在一起但未形成毛球。
2-2-3 圈:马丁代尔耐磨仪最外两个齿轮运转一个周。
2-2-4抗起毛起球:织物表面抵抗毛球形成的能力。
2-2-5起毛起球:织物表面凸出的毛羽末端相互纠缠在一起并形成毛球。
3.原理4-1 在穿着时出现的表面的起毛起球或其它外观改变,例如起绒,可通过实验仪器模拟测定,织物被夹于马丁代尔测试仪上,试样的正面与另一块织物的正面按照一定的几何图形相互摩擦,图形为刚开始为一条直线,再下来逐渐变为椭圆形,最后而又在原直线对面方向成一条直线,摩擦应在一轻轻的压力下进行直至达到规定的圈数。
经过这个动作后,在标准的视觉条件下,一般用标准的图片与原布对比查看其起毛起球及其它外观变化的程度。
一般以级数来报告其的抗起毛起球的能力。
4.意义和实用性4-1 本方法在商业一般认为不是很好,本方法在商业对比测试中的精度较差,这是由于耐磨测试仪本身的性质原因,采用相同的测试仪,不论是在内部还是与外部对比测试中,经常得到不同的测试结果。
尽管建议不要采用本方法来作为商业测试,但它还是被广泛应用并认为较好,尤其是在美国以外的国家。
4-2 在商业上,一旦由于测试结果的不同而产生争执时,买卖双方应该做一些对比测试,以便查清两家实验室间的差异所在。
马丁代尔耐磨仪的使用说明织物平磨仪又名马丁代尔耐磨仪,主要是用于纺织品耐磨以及起毛起球测试实验的专业仪器,本文重点为你介绍关于织物平磨仪实验测试条件和操作方法以及实验需要注意的细节和维修保养等问题。
测试条件:1、室温:(23±2℃)2、技术参数:(1)工位数:9位;(2)计数范围:0~999999次(3)最大动程:横向60.5±0.5mm,纵向24±0.5mm(4)加压物质量:a.夹持器:200±1gb.衣料试样重锤:395±2gc.家具装饰品试样重锤:594±2gd.不锈钢蝶片:260±1g(5)磨块有效摩擦直径:A型200g(1.96N)摩擦头(9KPa)¢28.8-0.084mmB型155g(1.52N)摩擦头(12KPa)¢90-0.10mm(6)夹持器与磨台相对运动速度:20-70r/min(可调)(7)装样压锤质量:2385±10g配置耗材:(1)样品夹9套;(2)9Kpa、12KPa砝码各9只;(3)Φ38mm、Φ140mm取样器各一套;(4)Φ38mm、Φ140mm取样器垫板各一块;(5)起球性测试套具一套;(6)SM50标准样照一套;(7)EMPA标准起球样照一套和SM-25标准磨布1.6m×5m一块;(8)标准泡沫1.5m×0.5m一套(4块/套);(9)标准毡绒片一块;(10)Φ90mm毡片碟20块;(11)Φ38mm、Φ140mm取样器刀片各50片;(12)其它由制造商推荐的必备附件。
实验步骤:1、试样在实验室环境中停放8小时以上。
2、在试样的平整部位裁取一块样品。
如是鞋垫,应裁到转印部位。
3、从试验机上取下荷重及荷重轴杆。
4、取下顶部平板和测试夹具。
5、试样的装置:松开测试夹具上的固定环,拿出试样压片,将试样放入测试夹具底座内,在试样与测试夹具底座之间垫一片试样垫片,再将试样压片置于试样垫片上并用固定环固定。
马丁代尔耐磨测试一般标准
马丁代尔耐磨测试的一般标准包括以下几个方面:
1.测试方法:马丁代尔耐磨测试通常采用标准化的测试方法。
如GB/T480
2.2-2008. GB/T13775.GB/T21196.1. GB/T21196.2. GB/T21196.
3. GB/T21196.4等国家标准,以及IS012945.2、12947等国际标准。
2.测试条件:测试通常在一定的温度、湿度和压力条件下进行,以确保测试结果的准确性和可靠性。
3.试样准备:试样通常需要按照规定的尺寸和形状进行准备,并进行必要的预处理,如清洗、干燥等。
4.测试程序:测试程序通常包括试样的安装、试验系列的设定、摩擦次数的设定等步骤,以确保测试的顺利进行。
5.数据分析:测试结束后。
需要对数据进行收集和分析,以评估试样的耐磨性能。
需要注意的是。
具体的马丁代尔耐磨测试标准可能会因不同的产品、不同的应用场景而有所不同。
因此,在进行马丁代尔耐磨测试时,需要遵循相关的国家标准和行业标准。
并确保测试结果的准确性和可靠性。
马丁代尔耐磨测试仪实验测试⽅法马丁代尔耐磨测试仪实验测试⽅法马丁代尔耐磨测试仪可检测各种植物的耐磨性及起球性能。
在⼀定的压⼒下,试样和指定的磨料进⾏持续换向摩擦,和标准参数对⽐进⾏磨损和起球程度评价。
触摸屏控制,配备功能全⾯的编程器,可预编程批次及总计数,单独设置每个测试头的计数;可选择包括标准速度在内的4个速度。
SATRA TM31标准中对马丁代尔耐磨测试仪检测⽪⾰湿摩擦⽅法:⼀、实验测试试样1 切割装置,如压⼑,有⾜够⼤⼩来⽣产可以被牢固的压在测试样载体上的测试样,准确的测试样尺⼨是由测试样载体的夹具来决定的。
为了以防玩意SATRA STM105 应该有圆形直径44+ - 1mm。
从各种在⽚材避开任何制造边缘50mm的位置.2多裁切⼀块测试试样,⼀边⽤于⽐较或者参照褪⾊或者磨损试样情况。
3 将测试试样纺织在20+/-2℃,湿度65+/-2%环境中静置24⼩时。
⼆、实验步骤1 将半数耐磨试样与半数⽺⽑毡⽚浸湿,直⾄试样两⾯颜⾊明显加深.2 在每个夹具环内放置试样,测试⾯朝外。
3 如果测试试样质量达到500g/m2, 可使⽤测试⽅法A或B,在每个试样夹内放置泡棉,⽤来填充试样测试空间。
4 夹紧试样,以防测试样下垂,起皱歪曲。
5 在半数磨损样上放置⼀块⼲的⽺⽑毡6 在⽺⽑毡上放置⼲的耐磨试样,测试⾯朝上。
7 将重锤放置在试样上,抚平皱纹,移开重锤8 在另⼀块试样上,重复步骤6.79 如果需要,⽴即重复6.5⾄6.8步骤,使⽤沾湿耐磨试样及沾湿⽺⽑毡。
10 将测试样正确放置在测试夹具内,确保测试能正常运⾏11 在各个测试头上加载⼒度,确保测试试样及耐磨样按要求加载⼒值三、马丁代尔耐磨测试仪对纺织品检测:1.纺织品及⽪⾰耐磨试验圆形织物试样靠在标准摩擦布上进⾏摩擦测试,耐磨性能取决于试样分解时的摩擦次数或试样重量消耗,测试试样摩擦布上的摆动轨迹被称为Lissajous图形。
2.纺织品、⾯料起⽑球试验在马丁-戴尔试验机上采⽤的起⽑球测试⽅法配合EMPA发展⽽来。
GBT4802马丁代尔耐磨仪_织物平磨仪测试方法分析在服装的穿着过程中,经常会在其表面发现“小绒球”,这就是所谓的“起球”现象。
起球是服装表面的物理变化。
这是由于服装的不同部位相瓦摩擦,或与其它物体如背包、桌子等发生摩擦而产生的起球现象。
这种现象形成的过程通常如下:由于摩擦,在织物纱线中会分离出部分松散的纤维,这些冒出纱线表面的纤维末端很容易和服装表面污渍与杂质形成球状,接着这些球状体逐渐变大。
假设在外力的作用下,这些球状物依然附着在织物上日益变大,我们就称其为起球现象。
针对这种现象,我国用于测试起球的方法有三种,即:圆轨迹法,马丁代尔法和滚箱起球法。
梭织物的起球试验以采用圆轨迹法和马丁代尔法为多。
我国GB/T4802.2标准即为于马丁代尔法测试,由于GB/T4802.2—2008标准对GB/T4802.2—1997作了较大修改,因此,我们对这两个标准进行了比较,并分别依据其规定的条件做了比对试验,本文将就此进行一些探讨。
1、标准比较GB/T4802.2—2008标准和GB/T4802.2—1 997标准的测试原理是一致的,都是将圆形的试样安装在马丁代尔试验仪上,试样的表面与相同试样的表面摩擦。
摩擦运动轨迹为利萨如图形。
由于仪器设备的改变,试验参数也有变化,两者的区别见.表l:2、试验结果比对因为提花织物包含了多种变化的组织结构,选择10个不同规格和花型的提花织物作为比对试样。
由于GB/T4802.2—96标准规定的摩擦次数为1000次,而GB/T4802.2—08标准规定梭织物的试验终点至少2000次,我们选择了摩擦1000次和2000次的测试结果进行比较,测试结果见表2:3、测试结果讨论根据表2的数据兀丁以发现,采用改型马丁代尔耐磨试验仪测试的起球结果,90%好于采用马丁代尔耐磨试验仪测试的起球结果(除8号试样外);而摩擦次数对起球的影响程度,改型马丁代尔耐磨试验仪与马丁代尔耐磨试验仪差异不大。
滚箱式起毛起球测试仪的试验原理及方法马丁代尔耐磨仪,又称为马丁代尔耐磨试验机或织物耐磨仪,可以同时测量织物的耐磨性能及其起毛起球性能。
然而,这两种测试方法使用相同的仪器,在辅料,试样,操作,评价等方面存在显著的差异。
1.试验辅料及尺寸:(1)织物耐磨性能测试(GB/T 21196),其测试中辅料及尺寸如下:试样尺寸:38m m磨料:放在磨台上(对应起毛起球的起球台)在毛毡上方,与测试织物直接接触。
一般磨料为机织平纹毛织物,当测试织物为涂层织物的磨料采用N O.600水砂纸。
磨料直径或边长为140m m。
毛毡底衬:放在磨台上,衬于磨料下方。
尺寸为直径140m m。
泡沫塑料衬垫:当试样克重小于500 g/m2,安装在试样夹具内,作测试织物的衬垫用。
大小为38m m。
(2)织物起毛起球性能测试(GB/T 4802.2),其测试辅料及尺寸如下:试样尺寸:直径为140m m。
磨料:一般与测试织物相同。
装饰织物,规定羊毛织物为磨料。
直径为140m m的圆形面料或边长为(150±2)m m的方形磨料。
毛毡底衬:分为顶部与底部。
顶部指试样夹,直径为(90±1)mm;底部指起球台,直径为140m m。
2.试样的安装及测试:织物耐磨性测试试验中关于织物破损及质量损失的测定中明确规定了加载重量,而与外观相关的起毛起球测试中未提及。
3.试验的评价:织物耐磨性测试试验中关于织物破损提出耐磨次数这一定义;关于重量损失的测定提出了耐磨指数这一概念并给出公式。
而与织物外观相关的起毛起球测试则需在评级相中进行比对评级。
EN388标准马丁代尔耐磨仪使用说明书温州际高检测仪器有限公司前言感谢贵司选择了本公司的产品,本公司不仅给贵司提供质量优良的产品,而且将提供可靠的售后服务。
为确保使用人员之人身安全及仪器的完好性,在使用本仪器前请充分阅览此操作手册,确实留意其使用上的注意事项。
本操作手册详细介绍此仪器之设计原理、依据标准、构造、操作规范、校正、保养、可能故障的情形及排除方法、电气图等内容。
在本操作手册中如有提及之各种“试验规定”、“标准”时均只作参考用,如贵司觉得有异议请自行检阅相关标准或数据。
特别声明:●本操作手册不能作为向本公司提出任何要求的依据。
●本操作手册的解释权在本公司。
温州际高检测仪器有限公司目录目录---------------------------------------------------------------------- 3安全上的注意---------------------------------------------------------------- 4一、简介-------------------------------------------------------------------- 5二、主要技术参数------------------------------------------------------------ 5三、仪器的安装与调整-------------------------------------------------------- 6四、方法标准与试验步骤------------------------------------------------------ 6五、仪器使用注意事项-------------------------------------------------------- 8六﹑品质保证---------------------------------------------------------------- 8安全上的注意1.安全上的记号:在本手册中,关于安全上的注意事项以及使用仪器时有下列重要的各显示事项,为了防止意外事故及危险,请务必遵守下列危险﹑警告﹑注意的记言:2.在本仪器上,以下记号表示注意﹑警告。
Martindale磨损测试仪的测试过程定位方式依据不同的标准,例如24小时(GB/T4802.2a1997)和16小时(ENISO12947),要求将试样置于标准大气中并保持确定时间平放而不拉伸4:1998)。
找出合适的研磨材料试样的不同特性需要不同的标准研磨材料。
无涂层织物应使用机织素色毛织物摩擦,无涂层织物应使用600号水砂纸。
研磨材料和研磨台由羊毛毡隔开。
测试后,检查毛毡表面是否有污渍或磨损。
假如有,应适时更换。
抽样方法至少3块机织物应包含各种经纱和纬纱。
提花织物或花式纹理需要包含部分针迹重复。
当针迹重复或花样尺寸较大时,可以分别对其中的每个部分进行采样。
选择试样的夹具和垫片在检测试件单位面积质量时,假如试件单位面积应等于或大于500g/m2,则不需要泡沫衬垫。
假如试样的单位面积小于500g/m2,则应在试样夹具中额外安装泡沫衬垫,并在每次测试时更换。
选择摩擦载荷的总有效质量摩擦载荷的总有效质量是夹具、不锈钢圆盘和试样重量的总和。
例如,一些测试仪器公司供应质量为199或201克的夹具,质量为259或261克的不锈钢圆盘,以及393、397、592或596克的样品配重。
依据织物的特性和样品的使用情况,可以通过三种方式计算出相应的总有效摩擦载荷质量。
1)788或802克:工作服、家具装饰、床上用品和工业织物2)588或602克:非服装用涂层织物、服装用纺织品以及家具装饰和床上用品等家用纺织品3)196或200克:服装涂层面料从测试仪中取出负载和负载轴取下顶板和测试夹具松开测试夹具上的固定环然后取下试样压板,将试样放入测试夹具底座。
每个夹具上的试样应承受相同的抗拉强度。
将毛毡和较重的研磨材料放在研磨台上然后将它们放在卡盘上并拧紧螺母,使研磨材料可以固定在研磨台上。
通过将研磨头放在研磨材料上来加添压力。
将测试夹具样品面朝下放在底座夹具上,调整测试夹具的圆形凹槽与负载轴对齐。
结果,负载轴插入测试夹具的圆形凹槽中。
马丁代尔耐磨测试磨损机理及耐磨性测试方法马丁代尔耐磨测试磨损机理及耐磨性测试方法马丁代尔耐磨仪检测的耐磨性能是纺织产品质量的一个重要指标,直接影响产品的耐用性和使用效果。
具体指织物间或与其他物质在反复摩擦的过程中,能够抵抗磨损的能力。
如纺织品在洗涤时受到的外力搓揉以及水、皂液的物理冲击作用;穿着过程中由于运动导致肘关节、膝关节等部位自身或与其他物体之间产生的摩擦作用。
利用马丁代尔耐磨仪模拟这类摩擦实验,这些摩擦导致纺织品表层涂层破坏褪色、纤维纱线断裂,甚至产生破洞,严重影响织物耐用性及美观性。
因此全面了解的耐磨性能对于了解纺织品的耐用性具有重要意义。
本文就织物利用马丁代尔耐磨仪测试织物磨损的主要机理和耐磨性能的检测方法进行论述。
一、磨损破坏过程:织物在实际穿着、使用过程中损坏的原因很多,但实践表明物理外力摩擦是造成纺织品损坏的主要原因。
按照纺织品的破坏机理,磨损主要为以下三个磨损破坏过程:1、纤维的抽出、断裂摩擦过程中由于外力的扭曲拉伸等作用,纤维相互之间不断发生摩擦碰撞,纱线脱捻,纤维间相对位置发生变化;纤维在摩擦过程中,表面受到磨损,纤维片段丢失;外层短纤维由于纤维间抱合力减小而从纱线中脱离出来,形成毛羽;纤维会在多次外力往复作用下发生疲劳,强度下降,断裂,使毛羽增多;内部未染色纤维向纱线外层移动,造成织物表面颜色变化,影响美观性。
2、纱线的断裂由于纤维在摩擦过程中不断地抽出断裂,纱线中实际受力纤维数量减小,抱合力下降,造成纱线强度下降,在外力持续作用下最终造成整根纱线的断裂。
断裂的纱线减弱了织物的强度;磨损丢失的纱线片段会造成织物重量的损失,使织物变薄;纱线或纤维的断裂端会造成织物表面毛羽增加,起毛起球。
3、织物的破损当织物中断裂的纤维、纱线数量积累到一定程度后会形成织物破损,甚至破洞。
织物的破损主要表现在集中受力的位置,如肘关节、膝关节等部位。
作为织物组成的基本元素,织物的磨损破坏本质上是纤维的断裂破坏。
ASTM D4970马丁代尔耐磨仪皮革检测方法皮革耐磨性试验依据原理:马丁代尔耐磨仪依据J.G.Martindale设计原理,及符合羊毛工业研究协会规格所制造出的一款检测设备。
它利用标准羊毛毡作为磨擦物,去磨擦被检测物品如布类等,当然可依据不同测试方法、不同要求,去更改磨擦物一标准羊毛毡,为其他材料如砂纸等,以测试皮革耐磨性或脱色程度。
被测物夹在一圆柱体上,并加以一标准重量(依测试方法决定,压在磨擦物上,由垂直、水平偏心轮带动,产生一李沙茹曲线图,目的在完成一多方向性磨擦测试。
对一般鞋类材料,在穿着时磨擦效应测试,大多同时以干式、湿式两法检测,去模拟雨水对鞋面材料、或汗水对鞋内里的影响程度。
马丁代尔耐磨仪功能介绍:耐磨性及起球性测试仪,可检测各种结构织物的耐磨性及起球性能。
试样与一定的磨擦材料进行低压持续换向磨擦,其磨损及起球程度可与标准参数进行对比评价。
本仪器采用活动式的试样紧固组件,可随时取出某个磨擦试样而不影响其它试样,不仅实现了对试样迅速、独立的检测,还保证了对磨擦同期计量的准确性,是BSEN ISO12947-1:1999被认可的紧固方法。
本仪器配有电子预置批处理计时器及总合计数器、试样夹及负荷装置(符合国际测试标准)可提供4、6、8、9头的型号。
符合标准:ISO5470,DIN53863/53865,BS3424/5690,IWTO40-88,BS EN388/530,IWSTM112/196,ASTM4966/4970IS12673,JIS L1096,SFS4328,PR EN ISO12947-1,PR EN ISO12945-2,SATRA TM31,ISO20344技术指标:试验次数:1~999999累加计数:1~999999测试头数:4头磨块有效摩擦直径:φ28.8mm夹持器与磨台相对运动速度:50r/min衣料试样重锤:395g装饰品试样重锤:594g电源:AC220V,250W测试方法:马丁代尔耐磨测试仪最少可同时测试四个样品,最多可同时测试九个样品。
织物耐磨性的标准试验方法(Martindale耐磨测试仪法)一、范围1、本试验方法包括测定耐磨性的织物用马丁代尔耐磨试验机。
所有类型的织物都可以用这种方法进行测试,但在织物上可能会出现一个与一堆埋深大于0.08的织物产生的困难。
(2毫米)。
2、英寸磅单位的价值是被视为标准。
在圆括号中的值是对所提供信息的四单元的数学转换,而不考虑标准。
3、本标准不旨在解决所有的安全问题,如果有的话,与其使用有关。
这是本标准的用户的责任,建立适当的安全和健康的做法,并确定适用性的限制,在使用前。
注意保持其他电流测试方法测试纺织品耐磨性的参考试验方法d3884,d3885,d3886,d4157,d4158,和AATCC测试方法?93。
二、引用文件ASTM标准D123术语纺织品调节和试验用纺织品d1776实践织物耐磨性试验方法(旋转平台,d3884双头法)织物耐磨性d3885试验方法(弯曲和磨损的方法)织物耐磨性试验方法(d3886充气膜装置)织物耐磨性试验方法(d4157振荡圆柱法)d4158引导织物耐磨性(均匀磨损)d4850术语织物和织物试验方法AATCC方法和程序织物的耐磨性试验方法93:促进剂法三、意义与应用1、测试方法的接受性测试,这种测试方法在织物的接受测试中并不令人满意。
由于这种测试方法的实验室之间的精度差,因为磨损测试本身的性质,技术人员经常无法获得的结果在相同类型的测试仪器,无论是在实验室和实验室之间的协议。
虽然这种测试方法不被推荐用于接受测试,但它是有用的,因为它被广泛使用,特别是在美国以外。
2、在从差异报告测试结果时,使用该测试方法对商品验收争议的情况下,采购商和供应商应确定他们之间有实验室的统计偏差的比较试验。
主管统计协助建议对偏差调查。
作为一个最低限度,双方应该采取一组测试样本,尽可能均匀,这是从大量的材料的类型的问题。
试验样品应随机分配给每个实验室,以进行试验。
从两个实验的平均结果应以学生成对数据比较和可接受的概率水平的选择由双方在测试开始。
马丁代尔耐磨测试仪实验测试方法
织马丁代尔耐磨测试仪可检测各种植物的耐磨性及起球性能。
在一定的压力下,试样和指定的磨料进行持续换向摩擦,和标准参数对比进行磨损和起球程度评价。
触摸屏控制,配备功能全面的编程器,可预编程批次及总计数,单独设置每个测试头的计数;可选择包括标准速度在内的4个速度。
一、实验测试试样
1 切割装置,如压刀,有足够大小来生产可以被牢固的压在测试样载体上的测试样,准确的测试样尺寸是由测试样载体的夹具来决定的。
为了以防玩意SATRA STM105 应该有圆形直径44+ - 1mm。
从各种在片材避开任何制造边缘50mm的位置.
2多裁切一块测试试样,一边用于比较或者参照褪色或者磨损试样情况。
3 将测试试样纺织在20+/-2℃,湿度65+/-2%环境中静置24小时。
二、实验步骤
1 将半数耐磨试样与半数羊毛毡片浸湿,直至试样两面颜色明显加深.
2 在每个夹具环内放置试样,测试面朝外。
3 如果测试试样质量达到500g/m2, 可使用测试方法A或B,在每个试样夹内放置泡棉,用来填充试样测试空间。
4 夹紧试样,以防测试样下垂,起皱歪曲。
5 在半数磨损样上放置一块干的羊毛毡
6 在羊毛毡上放置干的耐磨试样,测试面朝上。
7 将重锤放置在试样上,抚平皱纹,移开重锤
8 在另一块试样上,重复步骤6.7
9 如果需要,立即重复6.5至6.8步骤,使用沾湿耐磨试样及沾湿羊毛毡。
10 将测试样正确放置在测试夹具内,确保测试能正常运行
11 在各个测试头上加载力度,确保测试试样及耐磨样按要求加载力值
三、马丁代尔耐磨测试仪对纺织品检测:
1.纺织品及皮革耐磨试验
圆形织物试样靠在标准摩擦布上进行摩擦测试,耐磨性能取决于试样分解时的摩擦次数或试样重量消耗,测试试样摩擦布上的摆动轨迹被称为Lissajous图形。
2.纺织品、面料起毛球试验
在马丁-戴尔试验机上采用的起毛球测试方法配合EMPA发展而来。
测试适于针织和机织织物(由短纤沙织成)。
用语言描绘的标准配合EMPA图片标准来评价起毛球的程度。
3.运作和震幅
对于某些工作来说,须依据Lissajous图形来做出一个有规律交互性的动作测试。
由耐磨测试转为起毛球测试时,需要改变震幅的长度。
改变运作的方式和震幅非常简单,只要移动驱动组件的位置,无需借助其他
四、工具和零配件。
马丁代尔耐磨测试仪标配消耗品:羊毛毡(140mm,90mm)、羊毛布(140mm)、泡沫垫(38mm)。