轻型钢结构设计实例
- 格式:doc
- 大小:6.60 MB
- 文档页数:26
文章标题:深度探析轻型钢结构设计实例在建筑工程领域中,轻型钢结构设计一直备受关注。
本文将对.08cg03 轻型钢结构设计实例进行深度探讨,以期为读者提供更全面、深入的理解和灵活的应用。
1. 轻型钢结构设计概述轻型钢结构是指以薄壁钢材为主要材料,采用冷弯成型工艺制作构件,通过焊接或螺栓连接而成的结构体系。
它具有重量轻、强度高、抗震性能好等特点,逐渐成为现代建筑中的主流结构形式。
2. .08cg03 轻型钢结构设计实例分析以某大型商业体验中心项目为例,我们将对其轻型钢结构设计进行分析。
该项目地处地震多发区域,故而在设计上更加注重抗震性能。
通过强度分析和位移分析,设计师采用了特殊的交叉支撑结构和钢筋混凝土连接部分,以增强整体结构的抗震能力。
3. 轻型钢结构的设计原则在实际设计过程中,轻型钢结构需要遵循一系列设计原则。
首先是结构安全原则,即确保结构在正常使用及极限状态下的安全性。
其次是经济性原则,要在满足安全性的前提下尽可能减少结构材料的使用。
另外还有美观性原则、施工便利性原则等。
4. 对于.08cg03 轻型钢结构设计实例的个人观点和理解通过对该实例的分析,我深刻认识到轻型钢结构设计的复杂性和重要性。
设计师需要充分考虑结构的抗震性能、承载能力和整体稳定性,同时要满足美观、经济和施工便利的要求。
只有在这些方面兼顾的基础上,才能设计出高质量的轻型钢结构。
总结回顾通过本文的分析,我们对.08cg03 轻型钢结构设计实例有了深入的了解。
在设计轻型钢结构时,需要考虑多种因素,包括抗震性能、承载能力、经济性等。
只有充分综合考虑这些因素,结合实际的设计实例才能设计出高质量、安全稳定的轻型钢结构。
结语本文针对.08cg03 轻型钢结构设计实例进行了深入探讨,内容广度和深度兼具,并结合实例对轻型钢结构设计进行了分析和评估。
通过这样的全面探讨,相信读者已经对轻型钢结构的设计有了更加清晰的认识。
要提醒读者,在实际设计过程中,要密切注意结构的安全性、经济性和实用性,并兼顾实际工程情况,才能更好地应用轻型钢结构。
第五课:轻型钢结构的创建第一讲:基本建模打开软件图标后,启动软件,在选项里选择如下登陆界面:进入程序,为文件命名:点击确认,进入真正绘图区域:按住CTRL+P切换到2D视图:打开如下工具栏:当我们选择了以后,就会出现一个绿色的十字光标:并且界面左下角会出现一个【选取目标】的提示:当看到那个提示后,我们选择A轴线,这时,把光标移动到A-1的交点,会出现一个方形的捕捉提示,我们按下鼠标左键点击该点。
我们再次移动光标到C-3的交点,点取C-3,这时会出现一条新的轴线:这时,我们要把该新创建的轴线进行旋转,复制:激活轴线选项:这时我们点击选取刚才创建的轴线,并且点击鼠标右键:在对话框中填入:点击复制,确认。
查看视图中我们复制后的图画:切换到3D视图:这时我们点击背景空白的地方,选择到整个区域:最终如图:第二讲:搭建模型这时双击创建柱子图标:输入数据:在图中所示位置创建柱子:选中右侧的柱子,双击其进行修改;点击修改。
可以看修改后的图形:3D查看:那么修改后的柱子就如上图了。
这时我们开始修改中间的Z0轴上的柱子。
双击其身,修改如下:修改完就如图:这时我们讲一下对轴线的编号:点取我们第一次创建的轴线,注意是双击哦。
如此,可以修改其他轴线的编号。
剩余的编号请自己完成。
选择右侧的H型钢柱子,使其高亮,这时点击鼠标右键,选择【复制】选项。
在对话框中填入如下数据:最后如图所示:第三讲:搭建梁现在我们开始创建梁及其他:点击【创建视图模型】在下面填入:我们点击创建梁图标:切换到2D视图,创建曲梁:按照上图点击绘制曲梁。
第四讲:特殊搭建点击保存。
点击创建视图:切换到2D视图:这时直接输入:选择刚创建的柱子,点击右键进行复制:再次双击曲梁,修改如下:分别选择刚创建的短梁两端,创建曲梁:第六讲:辅助线点击创建基本视图:这时,我们开始创建辅助线:圆心选取Z0,在半径里,输入1000MM.并再次创建一个辅助圆,半径3000MM。
再次创建梁:光标变为:中止命令。
钢结构设计实例含计算过程钢结构是一种广泛应用于建筑和桥梁等工程领域的结构材料,它具有高强度、轻质、可塑性好等优点。
本文将以一个钢结构设计实例为例,详细介绍钢结构设计的计算过程。
假设我们要设计一座有限高度的钢制屋顶结构,屋顶形状为一个深度为5米,宽度为10米的矩形。
屋顶的高度为2米,屋顶材料选择高强度钢。
第一步:确定荷载在进行钢结构设计之前,首先要确定各种荷载。
对于屋顶结构来说,有以下几种荷载需要考虑:1.死荷载:包括屋顶自身重量和可能的附加物重量。
假设屋顶材料厚度为0.1米,密度为7850千克/立方米,则单个屋顶板的重量为:屋顶板重量=宽度*深度*厚度*密度=10*5*0.1*7850=3925千克假设附加物重量为500千克,则总的死荷载为4425千克。
2.活荷载:考虑到可能的雪、风等荷载,我们假设活荷载为500千克。
3.风荷载:由于屋顶暴露在室外,需要考虑风的荷载。
根据当地的设计规范,假设风压为0.5千牛/平方米,则风荷载为:风荷载=风压*屋顶面积=0.5*(10*5)=25千牛第二步:确定结构类型和构件在确定了荷载之后,我们需要选择合适的结构类型和构件来满足设计要求。
考虑到屋顶的形状和荷载情况,我们选择采用钢柱和梁来支撑屋顶。
钢柱的截面形状选择为矩形,梁的截面形状选择为I型钢梁。
第三步:计算构件尺寸根据荷载和构件材料的强度等参数,我们可以计算出构件的尺寸。
假设钢材的屈服强度为300兆帕,安全系数取1.5,则钢柱和梁的截面尺寸计算如下:1.钢柱截面尺寸计算:首先计算柱子所承受的最大压力荷载。
假设柱子的高度为2米,柱子自身重量忽略不计,则柱子的面积为:柱子面积=死荷载/(钢材强度*安全系数)=4425/(300*1.5)=9.83平方米选择合适的矩形截面,假设柱子宽度为0.2米,则柱子的高度为:柱子高度=柱子面积/柱子宽度=9.83/0.2=49.15米选择合适的矩形截面尺寸,例如宽度为200毫米,高度为500毫米。
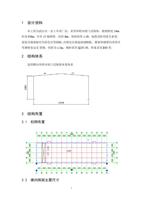
1 设计资料本工程为武汉市一金工车间厂房,采用单跨双坡门式刚架,刚架跨度24m,柱高9.9m;共有15榀刚架,柱距6m,屋面坡度1:10;地震设防列度为6度,屋面及墙面板均为彩色压型钢板,内填充以保温玻璃棉板,檩条和墙梁均采用冷弯薄壁卷边C型钢,间距为1.5m,钢材采用Q235钢,焊条采用E43型。
2 结构体系选用横向单跨双坡门式刚架承重体系3 结构布置3.1 柱网布置3.2 横向刚架主要尺寸横梁:Q235截面:H型钢h b t t⨯⨯⨯600x300x8x14w t柱:Q235截面:H型钢h b t t⨯⨯⨯500x300x10x16w t3.3 墙梁及柱间支撑3.4 屋面支撑3.5 荷载计算永久荷载:恒载:屋面板及保温层:0.12KN/m2檩条及支撑:0.08KN/m2刚架:0.3 KN/m2可变荷载:屋面活载:0.5 KN/m2雪荷载:0.5 KN/m2风荷载:0.35 KN/m2地震荷载:武汉地区钢结构厂房按6度设防,即钢结构厂房6度设防只需满足构造要求。
4 吊车设计资料:采用北起起重量Q=5t,跨度S=22.5m的单梁式吊车,P max,k=45KN,P max,k=10.47KN,B=3500mm,W=3000mm,H1=880mm,轨道型号:38kg/m。
4.1吊车荷载(竖向荷载设计值)m ax 1Q m ax ,k P P 1.051 1.44566.15K Nαβγ==⨯⨯⨯=4.2吊车梁内力计算4.2.1 M max 及相应V()()()()m ax 1m ax 0m ax220m ax 0m ax 1500222266.153500150037.8/444350066.150.75 3.7549.61666.1549.6116.54B p a p w w a m mp pP L a P B a M kN mL B R kNV kN====--⨯⨯-====⨯⨯+===-=∑∑4.2.2 求V max轮子在支座上时,剪力最大1m ax 123(1)66.1566.15(1)99.236a V P P kNl=+-=+⨯-=4.2.3 吊车水平荷载作用下的M maxH 及V maxH230011()2210.12(6.10.129.859.8) 1.4 2.364k i k k k QT T G G n n kNαγ⋅⋅⋅==+=⨯⨯⨯⨯+⨯⨯=∑max max max2.3637.8 1.3566.15k H T M M kN mP =⋅=⨯=⋅max max max2.3699.233.5466.15k H T V V kNP =⋅=⨯=4.3 截面选择钢材采用Q235的H 型组合钢4.3.1 经济高度63max31.237.810210.9821510x M w cmfα⨯⨯≥==⨯33373007210980300116w x h w mm =-=⨯-=4.3.2 最小高度6min 0.360.362156000101000464l h fl m mv -⎡⎤==⨯⨯⨯⨯=⎢⎥⎣⎦根据构造要求,h 取50mm 的整数倍,因此h=500mm4.3.3 腹板厚度抗剪要求:3m ax1.2 1.299.23101.91500125w vV t m mhf ⨯⨯===⨯局部稳定:5006.43.5 3.5w h t m m === 根据构造要求,腹板厚度t w ≥8mm 的整数倍,则t w =8mm4.3.4 翼缘尺寸01111(~)(~)50083.3~2006 2.56 2.5b h m m==⨯=取b 0=200mm 抗弯要求:0006x w w h t b t h=-30210.981020082005006t ⨯⨯=-, 则t 0=0.78mm局部稳定要求: 0020082357.382623526235y wf b t t m m--≥==而t 0值一般取2mm 的整数倍且大于t w ,则t 0=10mm4.4 截面特性2200102500880A cm =⨯⨯+⨯=33411200520(2008)50034346.671212x I cm=⨯⨯-⨯-⨯=3134346.671321.03226010x x I w cmh -===⨯315020 1.025.5500.876024x S cm=⨯⨯+⨯⨯⨯=334112 1.02500.81335.471212y I cm=⨯⨯⨯+⨯⨯=301335.47133.55210y y I w cmb ===33011.0201266.67210hoy hoy I w cmb ⨯⨯===4.5 强度验算4.5.1 正应力验算3322max max 37.8101.351048.86/215/1321.0366.67H xhoyM M N m m f N m mw w σ⨯⨯=+=+=<=4.5.2 切应力验算3322m ax 37.8107601010.46/125/34346.67xv x wM S N m m f N m mI t τ⨯⨯⨯===<=4.5.3 腹板局部压应力;5250250150c z y R w zFl a h h m mt l ψσ==++=+⨯=3221.066.151055.125/215/8150c N mm f N mm σ⨯⨯==<=⨯4.5.4 腹板边缘处的折算应力22213c c fσσσστβ+-+≤3137.81025.528.0634346.67nM y NI σ⨯==⨯=2222228.0655.12528.0655.1253106/21555.13/N mm f N mm=⨯+=⨯<+-4.6 稳定性验算4.1.6 整体稳定性验算yxb xy yMMfw w ϕγ+≤1335.47 4.08640.8680y y I i cm m mA====6000146.8415040.86y yl i λ===<(满足)0600080.48 2.0200500lt b hξ⨯===<⨯(满足)0.730.180.730.180.480.82b βξ=+=+⨯=又因为双轴对称工字形截面,则ηb =01222243202351()4.443208000500146.84102350.8210146.841321030 4.45002350.598 1.0y b b b y x y t A h W h f λϕβηλ⎡⎤⋅⋅=++⋅⎢⎥⎢⎥⎣⎦⎡⎤⨯⨯⎛⎫⎢⎥=⨯⨯++ ⎪⨯⎢⎥⎝⎭⎣⎦=<'0.2820.2821.07 1.070.598 1.00.598b b ϕϕ=-=-=<3322'37.8101.351056.27/215/0.5891321.031.2133.55yxbxy yMM N m m f N m m w w ϕγ⨯⨯+=+=<=⨯⨯4.6.2 局部稳定性验算翼缘:10969.61310b t ==<腹板:50062.5808wh t ==<(应按构造要求配置横向加劲肋)横向加劲肋截面确定横向加劲肋为Q235,尺寸为80mm×8mm加劲肋间距为 0.5h a 2h 250mm a 1000mm a=1000mm ≤≤⇒≤≤取4.7 刚度计算6225437.8106000111.05 1.4=1.31610102.061034346.67101000xkxM ll m m m m E I ν⨯⨯⎡⎤⨯==<=⎢⎥⨯⨯⨯⎣⎦4.8 支承加劲肋计算采用凸缘式支承加劲肋0200s b b m m==尺寸:按端面承压强度试选加劲肋厚度已知:2m ax 325/,99.23,200ce s f N m m V kN b m m ===支座反力为 需要3m ax 99.23101.53200325s s ceV t m mb f ⨯≥==⨯考虑到支座支承加劲肋是主要传力构件,为保证其使梁在支座处有较强的刚度,取加劲肋厚度与梁翼缘板厚度大致相同,令t s =10mm 。
1 结构信息1.1 材料特性主钢架采用标号为Q345B,其主要特性如下:屈服强度:345MPa y f ,抗拉强度设计值:310MP d f a 。
抗剪强度设计值:180MPa vd f ,弹性模量:3E 20610MPa 。
1.2 结构布置纵向长度90m,柱距6m,跨度方向218 m,故横向采用双跨双坡形式,中柱为摇摆柱(仓库预不设吊车)。
由于跨度方向小于150 m,柱距方向小于300 m,故不进行温度区段设置。
檐口高度:8 m,屋面坡度采用1/10。
详细情况,参考图1~5。
图 1 柱网平面布置图图 2 屋面支撑布置图图 3 屋面檩条布置图图 4 横向钢架立面图图 5 纵向立面布置图1.3计算简图确定对于结构计算,选取第○5榀的横向刚架进行分析,计算简图如图6所示。
图 6 门刚架计算简图2次要构建计算2.1工程环境概况此工程为上海郊区的一仓库,考虑到上海地震设防烈度为7度,而《门式刚架轻型房屋钢结构规程》(CECS102:2002)中规定:当抗震设防烈度为7度时,一般不需要作抗震验算,故此处不进行抗震验算。
此处仅考虑恒荷载、活荷载、积雪、风载,其余效应不考虑或以构造措施调节。
2.2屋面檩条计算檩条选用卷边槽钢,屋面坡度为1/10(α=5.71˚),屋面材料为双层夹芯钢板。
根据檩条跨度6 m,中间各设置一条拉杆。
在屋脊处和屋檐处设置斜拉条,水平檩距为2 m,檐口高度为8 m。
钢材选用Q235。
荷载标准值(1) 永久荷载:水平投影面双层夹芯钢板自重 0.2 kN/m 2檩条自重(包含拉条)0.06 kN/m 2小计0.26 kN/m 2(2) 可变荷载屋面荷载按50年一次取值,基本风压为:0.55 kN/m 2,基本雪压为0.2 kN/m 2,雪荷载准永久系数分区为:Ⅲ区。
屋面均布荷载为0.5 kN/m 2,雪荷载0.2 kN/m 2,计算时取两者的较大值:0.5kN/m 2。
(3) 风荷载风荷载:基本风压:0 =0.55 kN/m 2,按《建筑结构荷载规范》(GB50009-2012),房屋高度为8 m,地面粗糙度为B 类,查表8.2.1,可知z =1.0,风载体型系数为:s =-1.4(按《门式刚架轻型房屋钢结构规程》CECS102:2002中的附录A中要求取值)。
轻型门式刚架设计原理和设计实例4次结构第四章次结构及其连接构造檩条、墙檩和檐口檩条构成轻型钢结构建筑的次结构系统。
一方面,它们可以支承屋面板和墙面板,将外部荷载传递给主结构;另一方面,它们可以抵抗作用在结构上的部分纵向荷载,比如纵向的风荷载,地震作用等;此外,它们也作为主结构的受压翼缘支撑而成为结构纵向支撑体系的一部分。
檩条是构成屋面水平支撑系统的主要部分;墙檩则是墙面支撑系统中的重要构件;檐口檩条位于侧墙和屋面的接口处,对屋面和墙面都起到支撑的作用。
除柱距较大的结构需采用热轧工字钢外,轻型门式刚架的檩条,墙檩以及檐口檩条一般都采用带卷边的槽形和Z形(斜卷边或直卷边)截面的冷弯薄壁型钢,如图4-1所示。
图4-1 典型的冷弯薄壁型钢构件第一节冷弯薄壁型钢的一般特点冷弯薄壁型钢构件用相对较少的材料承受较大的外荷载,不是单纯用增大截面面积,而是通过改变截面形状的方法获得。
根据测算,同样截面积的冷弯薄壁型钢与热轧型钢相比,回转半径可增大80%,惯性矩和面积矩可增大50-180%。
所以,冷弯薄壁型钢抗压和抗弯性能好,整体刚度大。
由于冷弯薄壁型钢在室温下成型,材料将产生冷弯效应。
所谓冷弯效应,是指冷加工使材料达到塑性变形,材料结构发生变化,产生应变硬化和应变时效,使截面弯角部分材料强度提高,塑性降低。
影响材料冷弯效应的因素有钢材极限强度和屈服强度的比值;弯角半径和板厚的比值;冷加工的成型方式、次数、受力性质等。
考虑材料的冷弯效应,一般可以提高设计强度10-15%,但是一般只在构件全截面有效时才在计算中考虑设计强度的提高,否则可以将冷弯效应作为设计中的强度储备。
图4-2解释了冷弯效应构件强度提高的原因。
A曲线是钢材未冷加工的标准的应力-应变曲线;钢材冷加工超过材料屈服强度达到塑性段,之后沿B直线卸载,这是应变硬化的过程;加载的C曲线沿B直线,直线段高于A曲线的屈服平台,甚至由于应变时效的作用,C-D曲线的屈服平台还高于B直线的卸载点。
轻型钢结构工程方案一、概述轻型钢结构是指采用热轧或冷弯薄壁型钢材料,通过焊接、螺栓连接等组合成的结构体系。
它具有质量轻、安装方便、抗震性能好、可回收再利用等特点,因此在工程建设领域得到了广泛的应用。
本文将针对一座轻型钢结构建筑进行方案设计,并详细阐述主要的设计内容和计算方法。
二、建筑概况1. 建筑名称:XX轻型钢结构建筑2. 建筑功能:商业综合体3. 建筑面积:10000平方米4. 建筑层数:6层5. 设计标准:《建筑抗震设计规范》(GB50011-2010)三、结构形式本建筑采用轻型钢结构框架体系,结构体系如下:1. 主体结构:采用轻型钢骨架形式的框架结构,梁柱采用冷弯薄壁型钢材料。
2. 楼板结构:采用轻钢龙骨和夹芯板组合的方式。
3. 墙结构:采用轻型钢龙骨和轻质隔墙板组合的方式。
4. 屋面结构:采用夹芯板屋面结构。
四、抗震设计1. 抗震设防烈度:8度2. 设计地震烈度参数:取K=0.13. 设计基本风压:取0.48kN/m²4. 抗震等级:一类5. 设计水平地震力:分析计算后确定五、结构分析1. 结构计算模型:采用结构有限元软件建模进行分析2. 结构荷载:根据建筑功能、用途,按照国家规范确定各项设计荷载3. 结构受力分析:进行静力分析和动力响应谱分析4. 结构节点设计:结构连接节点采用焊接和螺栓连接,按照相关标准进行处理六、结构设计1. 框架结构设计:- 设计原则:按照抗震要求和受力要求进行结构抗震设计- 材料选型:根据受力要求和抗震要求选择相应的轻型钢材料- 截面尺寸:根据受力要求和抗震设防规定确定截面尺寸- 框架抗震设备:设置适当的抗震支撑装置和抗震加固措施2. 楼板结构设计:- 采用轻钢龙骨和夹芯板结构,根据荷载要求和使用要求确定龙骨和板材的规格和间距- 结构连接:采用合适的连接件,连接牢固可靠,保证结构稳定- 防火设计:采用防火材料对楼板结构进行防火处理3. 墙结构设计:- 采用轻型钢龙骨和轻质隔墙板组合的方式,根据受力要求和使用要求确定龙骨和隔墙板的规格和间距- 结构连接:采用合适的连接件,连接牢固可靠,保证结构稳定- 防火设计:采用防火材料对墙体结构进行防火处理4. 屋面结构设计:- 采用夹芯板屋面结构,根据荷载要求和使用要求确定夹芯板的规格和间距- 屋面防水设计:设置合适的防水层,保证屋面结构的防水性能七、相关设备和装修设计1. 设备安装:根据建筑功能和使用要求确定相关设备的安装位置和承重要求2. 装修设计:根据设计要求进行装修设计,保证装饰效果和结构安全性相协调八、总结本文针对一座轻型钢结构建筑进行了方案设计,并详细阐述了主要的设计内容和计算方法。
轻钢结构别墅应用实例及关键节点做法介绍轻钢结构作为一种新型建筑材料,它已成为别墅房的主体建筑材料。
其中以美国、加拿大、澳大利亚及日本应用较多。
美国在1993年,只有1 %的新建房为钢结构,而到了1998年,钢结构房占新建房的5%~6% ,其中以加州处于领先[1]。
轻钢结构技术成熟可靠,结构体系灵活利于建设及商业开发,建筑经济性高,技术先进符合环保节能可持续发展[2]。
随着中国经济的发展,住宅业迫切需要实现标准化、工业化、集约化生产,以提高劳动生产率和产品质量[3]。
本文结合某北美风格轻钢结构别墅在某房地产开发项目的应用实例,从建筑构造和结构方面详细介绍了轻钢结构别墅的关键节点做法并总结实践经验。
1 工程概况本项目为北美风格轻钢结构别墅,别墅单体建筑面积249~1400平方米,2~3层,层高3.2米,共197栋。
采用条形基础,主体为钢结构。
工期4个月。
目前已经全部完工并交付使用。
见图1。
图1 北美风格轻钢结构别墅外观2 墙体做法2.1 构造做法执行规范及标准。
《蒸压加气混凝土砌块建筑构造标准图》(03J104)(原为SJ139)。
广东省标准《非承重混凝土小型砌块砌体工程技术规程》(DBJ/T15-18-97)。
《内隔墙建筑构造》(J111~J114)。
2.2 墙体做法外墙均加气混凝土砌块+保温棉+内侧12厚石膏板。
居室内隔墙均为轻钢龙骨+保温棉+双面12厚石膏板。
卫生间厨房内侧隔墙为轻钢龙骨+保温棉+双面12厚防水石膏板。
车库内侧隔墙为轻钢龙骨+保温棉+ 12厚防火石膏板。
卫生间,洗衣房,厨房处的石膏板为防水石膏板。
厨房,卫生间,洗衣房墙面刷防水胶后贴面砖。
二层卫生间及露台地面刷851防水涂料两道,四周翻起200后再贴面材。
墙体做法大样见图2,图3。
图2 墙体做法现场照片图3 墙体做法大样3楼面地面做法3.1地砖地面: A,8~10厚地砖素水泥擦缝。
B,5厚水泥胶结合层。
C,地面刷851防水涂料两道,四周沿墙上翻200高。