大口径UOE海管全自动焊接工艺
- 格式:pdf
- 大小:358.75 KB
- 文档页数:4
管道全位置自动焊施工工法一、前言在管道工程施工中,焊接质量是保证工程质量最重要的环节之一,焊接效率也直接影响着施工进度,即工程的质量和进度在极大程度上取决于焊接质量和焊接进度。
随着输油输气管道向大口径、长距离、高强度、高压力的不断发展,焊接的难度越来越大,对焊接质量的要求也越来越高。
靠手工电弧焊和药芯焊丝半自动焊是很难满足上述要求的。
而管道全位置自动焊,则是能够满足要求的一项全新的焊接工艺。
管道全位置自动焊,是管子固定不动,焊接小车绕管子转动来实现管子全位置(平、立、仰)的焊接。
焊接过程由机械和微机完成,受人为的影响因素较小,所以管道全位置自动焊具有焊缝质量好、焊接效率高等优点。
二、工法特点利用STT气体保护半自动焊工艺性能好、对管口适用性强的特点,焊接根焊焊道。
利用管道全位置自动焊,焊接效率高的特点,焊接填充和盖帽焊道。
此工艺具有如下特点:1.STT气体保护半自动焊工艺特点(1)引弧容易。
(2)电弧燃烧稳定。
(3)焊接烟尘和噪音小。
(4)飞溅极小。
(5)内焊道成形美观。
(6)操作容易。
(7)焊接成本较低。
(8)焊接效率较高(与手工电弧焊和钨极氩弧焊相比)。
(9)抗风能力差(与手工电弧焊相比)。
(10)特别适用管口根焊道的焊接,也适用于其他焊道的焊接。
2.管道全位置自动焊接设备的工艺特点(1)焊接工艺参数输入器(牛顿信息包),可储存多组焊接工艺参数,以适用多台焊机和不同规格钢管的需要。
(2)本焊焊接设备大部分焊接工艺参数由焊接工艺参数输人器输入,焊工不能对其进行修改(焊接工艺参数由焊接技术人员输入),确保了焊接工艺参数的准确性。
(3)焊接电弧燃烧比较稳定。
(4)焊接生产率高,与手工电弧焊相比可提高2~5倍。
(5)焊缝成形美观,内部质量好。
(6)可采用CO2气体或混合气体(Ar+CO2)作为保护介质。
(7)适用管径φ≥325mm,适用管壁厚度δ≥5mm。
管径越大、壁厚越厚,其经济效益越好。
三、适用范围本工法适用于低碳钢、低合金钢输油、输气和输水等管道的焊接。
海底管线焊接设备中的铺设工艺与方案研究海底管线的铺设是海洋工程中至关重要的环节之一。
作为将海洋资源运送到陆地的主要通道,海底管线的安全可靠性对于石油、天然气等资源的开发利用具有重要意义。
而在管线铺设过程中,焊接是关键环节之一,它直接影响到管线的质量和安全性。
因此,研究海底管线焊接设备中的铺设工艺与方案是非常必要的。
在海底管线焊接设备中,铺设工艺的选择包含了多种因素和考虑。
下面将从焊接工艺和管线铺设方案两个方面进行介绍和分析。
一、焊接工艺的选择1. 自动焊接工艺自动焊接工艺是指使用焊接机器人或自动焊接设备进行焊接的工艺。
这种工艺具有高度自动化和可靠性高的特点,能够提高焊接效率和质量。
在海底管线焊接中,由于环境复杂和工作条件恶劣,采用自动焊接工艺可以保证焊接质量、提高生产效率、降低人员安全风险。
2. 熔覆焊接工艺熔覆焊接是指在管线焊接过程中,通过加热焊缝区域,使得焊接材料熔化并与工件表面接触,从而形成焊缝的工艺。
与传统的焊接工艺相比,熔覆焊接工艺具有熔化减少、变形小、质量好的优点。
在海底管线焊接中,熔覆焊接工艺可以有效解决焊接变形和裂纹等问题,提高管线的安全性和可靠性。
3. 电阻焊接工艺电阻焊接是指利用电流通过管线的一端,使管线两端产生高温并熔融,然后迅速压合焊点形成焊缝的工艺。
这种工艺具有焊接速度快、焊接质量好等优点,在海底管线焊接中具有广泛的应用前景。
然而,由于电阻焊接对管线材料和焊接工艺的要求较高,所以在选择时需要根据具体情况进行评估和决策。
二、管线铺设方案的选择1. 直接敷设直接敷设是将管线直接铺设在海底地面的一种铺设方案。
这种方案简单直接,适用于海底地质较为平坦且管线长度较短的情况。
直接敷设方案具有工程难度低、成本相对较低的优点,但在大洋深海等特殊环境下存在困难。
2. 浮式敷设浮式敷设是指将管线制作成浮标,在海面上进行组装和安装,然后由船只进行吊装下沉到指定位置的铺设方案。
这种方案适用于大洋深海等海洋条件较为复杂的情况。
浅谈大口径长输管道全自动焊接质量控制措施发布时间:2021-06-07T11:44:09.527Z 来源:《基层建设》2021年第2期作者:李川[导读] 摘要:近年,我国因焊口质量不合格造成天然气管道泄漏、爆炸的事故频发,造成了恶劣的影响,焊接质量的提高已是迫在眉睫。
中油(新疆)石油工程有限公司新疆克拉玛依 834000摘要:近年,我国因焊口质量不合格造成天然气管道泄漏、爆炸的事故频发,造成了恶劣的影响,焊接质量的提高已是迫在眉睫。
目前我国新建的大口径长输管道大部分采用全自动焊接。
全自动焊接应用前景广泛,质量稳定,受人为因素影响较手工焊接、半自动焊接小。
但全自动焊接质量要求高,焊接参数要求高度稳定,焊接过程受坡口加工、管口除锈、管口组对错边量、根焊前预热温度、层间加热温度、焊缝外观、焊后错边量、焊缝余高、焊缝宽度、焊材质量及焊接环境等诸多因素影响,一旦出现缺陷则是大面积缺陷。
综上所述,为了适应长输管道市场趋势,必须对全自动焊接质量控制措施进行研究,提高全自动焊接质量,方可在今后施工过程中有效提高焊接效率和合格率。
关键词:全自动焊接质量控制措施长输管道一、大口径长输管道全自动焊接的发展趋势及质量控制措施研究的必要性全自动焊接方式质量稳定,焊接质量受人为因素影响较手工焊接、半自动焊接小,且全自动焊接焊接速度快、效率高。
综上,全自动焊接在后续国内长输管道,尤其是大口径长输管道具有非常大的市场空间,将成为主要的焊接方式。
但全自动焊接对质量要求非常高,焊接参数要求高度稳定,一旦出现缺陷则是大面积缺陷。
因此研究出成熟的大口径长输管道全自动焊接质量控制措施对于在今后施工过程中提高焊接效率和合格率具有重要意义。
二、大口径长输管道全自动焊接质量控制所面临的难题选取5000道φ1422mm全自动焊接焊口作为基数,进行了各项质量检查,对检查项目、存在问题数量与产生的后果进行统计分析,代表性数量充足,充分反映出焊接质量问题的集中点并得出有效结论,大口径长输管道全自动焊接质量控制所面临的难题主要有四点。
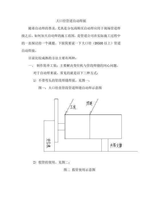
大口径管道自动焊接
随着自动焊的普及,尤其是分包商购买自动焊应用于现场管道焊接之后,如何加大自动焊的施工范围,是管道公司在实际施工过程中的一直探讨的一个课题。
下面简要说一下大口径(DN500以上)管道自动焊接。
目前比较成熟的方法主要有两种:
一、制作简单工装;主要解决变位机与管段焊缝的同心问题,
对于自动焊来说,常见的就是以下三种方式:
1)不带弯头的管段焊缝焊接。
见图一;
图一:大口径直管段管道焊缝自动焊示意图
2)假管的使用。
见图二;
图二假管使用示意图
3)对于弯管变位机,假管(一般为弯头)做配重,目的是为
了平衡重心(通常说的S弯)。
见图三;
图三假管做配重
4)实际应用图片。
见图四、五;
图四中天合创项目DN900焊缝自动焊
图五中天合创项目DN1000管道焊缝自动焊
二、将焊机整体垫高;
1)焊机垫高是解决弯头较大造成变位机旋转距离不够的问
题。
见图六;
图六焊机垫高示意图
2)实际应用图片。
见图七;
图七焊机垫高。
X65级海管钢全自动焊接工艺的应用[摘要]主要介绍了现在广泛使用的海底管线铺设焊接技术——熔化极全自动气体保护焊。
为了适应大管径、厚壁x65钢管的焊接要求,同时保证施工效率,开发了合理的坡口形式以及恰当的焊接参数,此工艺在海底管线的铺设中具有优越的焊接质量和效率。
[关键词]海底管线;大口径厚壁管道;窄间隙坡口;全自动焊;焊接缺陷中图分类号:td424 文献标识码:a 文章编号:1009-914x(2013)12-0319-010.前言随着中国海洋油气工业的快速发展,作为动脉和生命线的海底管线日益引起世界的关注。
焊接质量和焊接速度直接决定着海底管线的铺设效率,所以近几十年来各种高效的焊接工艺在焊接施工中得到了飞速发展和应用。
海管铺设的焊接工艺经历了手工电弧焊工艺、半自动焊工艺和全自动焊工艺,所涉及的焊接方法包含手工电弧焊、药芯自保护焊以及熔化极气体保护焊。
早期的自动焊均为单炬单丝焊接系统,近20年来双头双丝焊接设备和工艺均得到了发展和应用。
与单头单丝系统相比,双头双炬焊接系统效率提高一倍以上;同时由于二丝与一丝的熔池相距50mm,二丝熔池对一丝的焊道有回火作用,降低焊缝硬度的同时增加了焊缝韧性。
本文主要介绍了应用于荔湾3-1油气田的海底管线焊接施工中的gmaw全自动焊焊接工艺,在serimax生产开发的双头双炬焊接设备基础上,对焊接工艺评定、焊工培训和焊工考试精心准备和组织实施。
接下来主要对x65级别钢的全自动焊工艺及易见缺陷进行介绍。
1.试验管材试验管材为国产的直缝埋弧焊管,尺寸为762mm×28.6mm的api 5l x65级钢。
其化学成分及力学性能详见表1。
钢材的化学成分对焊接热影响区的淬硬及冷裂倾向有直接影响,通常使用碳当量衡量钢材的焊接性。
对于中、高强度的非调质钢,国际焊接学会(iiw)采用公式:ceq=c+mn/6+(ni+cu)/15+(cr+mo+v)/5经计算试验用x65钢的碳当量ceq=0.31%,较低的含碳量使得x65钢具有良好的焊接性,可以看出x65钢具有较低的淬硬性,产生冷裂纹的倾向较低。
海管焊接预制过程海管焊接预制过程是一项关键的工程技术,它在海洋工程建设中起着重要的作用。
本文将介绍海管焊接预制的基本流程和关键技术要点。
一、海管焊接预制的基本流程(一)材料准备在海管焊接预制过程中,首先需要准备焊接所需的材料。
这些材料包括钢管、焊接材料、防护材料等。
钢管是构建海洋平台等工程结构的基础材料,焊接材料是用于将钢管连接在一起的重要材料,防护材料用于保护焊接接头免受外界环境的侵蚀和损坏。
(二)钢管预加工在进行焊接预制之前,需要对钢管进行预加工。
预加工的目的是为了使钢管达到焊接要求的尺寸和形状。
预加工的过程包括切割、倒角、清理等步骤,确保焊接接头的质量和可靠性。
(三)焊接工艺准备焊接工艺准备是焊接预制过程中的重要环节。
首先要选择适当的焊接方法和焊接材料,根据具体情况确定焊接参数,如焊接电流、电压、焊接速度等。
同时,还要准备好焊接设备和工具,确保焊接过程的顺利进行。
(四)焊接操作焊接操作是海管焊接预制过程中最关键的环节。
焊接操作应按照事先制定的焊接工艺要求进行。
焊接人员需要熟练掌握焊接技术,保证焊接接头的质量和可靠性。
在焊接过程中,还需要注意保护焊接接头不受外界环境的污染和损坏。
(五)焊后处理焊后处理是焊接预制过程中的最后一步。
焊后处理包括清理焊渣、打磨焊接接头、进行无损检测等。
这些步骤的目的是为了确保焊接接头的质量符合要求,并且能够满足工程结构的使用和安全要求。
二、海管焊接预制的关键技术要点(一)焊接方法的选择海管焊接预制中常用的焊接方法有手工电弧焊、埋弧焊、气体保护焊等。
焊接方法的选择应根据具体情况进行,考虑到焊接接头的质量要求、工作环境和设备条件等因素。
(二)焊接材料的选择焊接材料的选择要根据焊接接头的材质和要求进行。
常用的焊接材料有焊条、焊丝等。
焊接材料的选择应考虑到焊接接头的强度、耐腐蚀性和可焊性等因素。
(三)焊接参数的控制焊接参数的控制对于焊接接头的质量和可靠性至关重要。
焊接参数包括焊接电流、电压、焊接速度等。
管道全自动焊接技术及工艺控制管道全位置自动焊接就是指在管道相对固定的情况下,焊接小车带动焊枪沿轨道围绕管壁运动,从而实现自动焊接。
一般而言,全位置自动焊接装置由焊接小车、行走轨道、自动控制系统等部分组成。
研制全位置自动焊接装置的目的就是为了提高焊接质量和劳动生产率、减轻工人的劳动强度。
一、焊接小车焊接小车是实现自动焊接过程的驱动机构,它安装在焊接轨道上,带着焊枪沿管壁作圆周运动,是实现管口自动焊接的重要环节之一。
焊接小车应具有外形美观、体积小、重量轻、操作方便等特点。
它的核心部分是行走机构、送丝机构和焊枪摆动调节机构。
行走机构由电机和齿轮传动机构组成,为使行走电机执行计算机控制单元发出的位置和速度指令,电机应带有测速反馈机构,以保证电机在管道环缝的各个位置准确对位,而且具有较好的速度跟踪功能。
送丝机构必须确保送丝速度准确稳定,具有较小的转动惯量,动态性能较好,同时应具有足够的驱动转矩。
而焊枪摆动调节机构应具有焊枪相对焊缝左右摆动、左右端停留、上下左右姿态可控、焊枪角度可以调节的功能。
焊接小车的上述各个部分,均由计算机实现可编程的自动控制,程序启动后,焊接小车各个部分按照程序的逻辑顺序协调动作。
在需要时也可由人工干预焊接过程,而此时程序可根据干预量自动调整焊接参数并执行。
二、焊接轨道轨道是装卡在管子上供焊接小车行走和定位的专用机构,其的结构直接影响到焊接小车行走的平稳度和位置度,也就影响到焊接质量。
轨道应满足下列条件:装拆方便、易于定位;结构合理、重量较轻;有一定的强度和硬度,耐磨、耐腐蚀。
轨道分为柔性轨道和刚性轨道两种。
所谓刚性轨道就是指轨道的本体刚度较大、不易变形,而柔性轨道则是相对刚性轨道而言。
两种类型的轨道各自有各自的特点。
刚性轨道定位准确、装卡后变形小,可以确保焊接小车行走平稳,焊接时焊枪径向调整较小,但重量较大、装拆不方便。
而柔性轨道装拆方便、重量较轻,精度没有刚性轨道高。
三、送丝方式送丝的平稳程度直接影响焊接质量。
大直径长输管道自动焊施工技术摘要:近年来,随着大直径、高压力、长距离输送油气管道建设的大力开展,具有焊缝质量好、焊接效率高、人工劳动强度低、经济效益高等优势的管道全自动焊技术在长输管道施工领域的应用愈加广泛。
相比于普遍采用管道自动焊技术的平原地区,水网地区具有雨量充沛、气候湿润、河流交错、沟壑纵横等特点,不仅造成穿越工程量大、弯头多,且其较差的地层承载力也使得自重较大的大直径管道和大型设备的运输和进场难度大大提高。
此外,水网地区的地貌特性提高了管沟开挖和管道下沟的难度,降低了施工效率。
为进一步提高管道自动焊技术在水网地区的施工效率和焊接质量,针对水网地区的施工难点,依托施工项目,对水网地区大直径长输管道自动焊技术开展了施工适应性研究。
关键词:大直径长输管道;自动焊接;质量控制;工艺优化1水网地区大直径长输管道施工措施水网地区长输管道施工与普通地区施工相比,其难点在于水网地区的沟渠纵横、地基承载力差,从而导致运布管、焊接等工序施工设备难以行走,施工机组转场频繁,以及施工质量控制难度大、工效低等问题,针对这些难点分别采取以下措施:①优化线路,减少热煨弯管数量;②改装设备,提升机组重型设备的适应性和通过性;③改造施工带以提升土壤承载力;④确定自动焊施工机组最优配置。
2施工工艺优化2.1线路优化2.1.1绕开施工难度较大地区在水网地区施工时,往往经过成片的水稻田或养殖区,不仅施工难度较大,而且管线建成后管理难度大。
因此,在线路优化中要重点关注高后果区、水稻田和水塘等处的管线走向,尽量绕开施工难度较大的区域。
2.1.2线路取直在水网地区施工线路优化更改时,优先考虑线路取直,减少热煨弯管总数量,提高自动焊连续施工率。
受全自动焊接设备的影响,热煨弯管无法全自动焊接,只能采用组合自动焊,严重降低了施工效率和焊接质量,所以在大直径长输管道施工中,可以由数个冷弯管代替小角度热煨弯管,提高自动焊设备连续通过性。
2.2施工设备适应性优化改造2.2.1湿地吊管机改造普通吊管机行驶至淤泥层较浅的地段,由于自重大,履带接触面窄,经常出现下陷、打滑、行走困难等情况,虽然铺设钢板能满足通行需求,但也增加了施工成本。
大口径长输管道自动焊施工技术和管道固定墩施工工艺第一节大口径长输管道自动焊施工技术山野地区地段长输管道施工与普通地区施工相比,施工难点在于山野地区地带的沟渠纵横、地基承载力差,从而导致运布管、焊接等工序施工时设备行走困难、施工机组转场频繁,以及质量控制难度大、工效低等困难。
本技术的目的是针对上述背景技术中存在的不足,提供一种在山野地区地带便于大口径长输管道自动焊接的施工方法。
为实现上述目的,本技术一种山野地区地带大口径长输管道自动焊施工方法,采用了如下技术方案:第一步,优化线路,避开水田或养殖区,选择直线,减少弯头数量,且弯头采用冷弯形成;第二步,优化设备,对吊管机、移动电站、坡口机进行改进,对吊管机、移动电站的履带进行加长加宽处理,且单履齿采用三角形的履齿,在坡口机所在挖掘机的液压系统上增加分泵合流系统;第三步,布设施工作业带;第四步,配置自动焊机组,在承载力相对较好的可连续作业的山野地区地段,机组配置采用1站内焊+5站外焊,在承载力较差的不可连续作业的山野地区地段,机组配置采用1站内焊+3站外焊,在承载力较差且河流沟渠交错的山野地区地段,机组配置采用1站内焊+2站外焊;第五步,组对焊接,包括1)使用第一吊管机将钢管吊至指定位置,使用第二吊管机移动内焊机就位,移开第二吊管机并吊装下一钢管作对口准备,安装送达杆,移动第二吊管机进行管口对组,调整对口间隙,用焊接检测尺检查错边量并进行调整;2)预热,将中频加热器使用移动电站上的吊臂吊到焊口位置,打开中频加热器并缠绕焊口,保证紧密接触,中频加热器工作过程中用红外线测温仪测量预热温度,温度达到要求后,关闭中频加热器,由吊臂将中频加热器吊起,放到指定位置等待下一道口的预热;3)预热完成后进行根焊,根焊接完成后撤离内焊机,之后,将热焊防风棚缓慢放置到需要焊接的相应焊口上,将焊接小车轨道卡到防腐层的指定位置,并将外焊机卡在轨道上,进行热焊;4) 热焊完成后进行内补焊;5)使用移动电站的吊臂起吊防风棚配合焊接,对填充、盖面进行焊接;6)进行焊口外管检查;7)进行无损检测,检测出问题进行返修。
大口径厚壁管道的全自动焊接全自动焊接大口径、厚壁(大于21mm)管线经常采用U型坡口或复合型坡口,由于U型坡口、复合坡口加工耗时、耗力制约管道焊接效率。
V形坡口加工简单,省时、省力,但大口径、厚壁管线V型坡口全自动焊接时,如焊接工艺参数选择不当,将导致焊接缺陷产生。
随着管道建设用钢管强度等级提高至X70、X80级别,管径和壁厚的增大,从2003年起在管道施工中逐渐开始应用自动焊技术。
管道自动焊技术由于焊接效率高,劳动强度小,焊接过程受人为因素影响小等优势,在大口径、厚壁管道建设的应用中具有很大潜力。
但我国的管道自动焊接技术正处于发展阶段,焊接中的一些问题如根部未熔合、侧壁未融合、坡口复杂等还没有彻底解决;自动焊接大口径、厚壁管线经常采用U型坡口或复合型坡口,管端坡口整形机等配套设施尚未成熟,所以研究大口径、厚壁管道V型坡口自动焊接技术十分有意义。
西气东输二线中卫-靖边联络线全线长度约345km,钢管强度等级为X70,管径为φ1016,壁厚为14.6mm、17.5mm、21.0mm和26.2mm,根据该工程特点长庆建设工程总公司引进了CRC全自动焊机,应用在联络线第1B标段壁厚为21.0mm 管道上。
焊接方法、设备、材料焊接方法采用STT根焊+CRC-P260自动焊机热焊、填充、盖面。
焊接设备:林肯STT焊机、林肯DC-400、CRC-P260自动焊机。
保护气体:STT根焊保护气100%CO2,全自动焊保护气为80%Ar+20%CO2。
焊接材料如表1所示。
图1坡口形式接头形式及焊道顺序焊道坡口形式如图1所示,焊道顺序如图2所示。
焊接试验与分析自动焊常用复合坡口或U型坡口,在小壁厚管线中也可使用V型坡口,它们共同的特点就是坡口上口间隙较小。
西气东输二线管道壁厚为21.0mm,V型坡口的上口宽度约为22mm,此宽度已接近CRC-P260焊枪摆幅极限。
这样的坡口型式对自动焊接是一个巨大的挑战。
根据以往经验确定了自动焊试验焊接工艺参数(如表2所示)。
焊管及UOE JCOE 与RBE直缝埋弧焊管按成型方式分为UO(UOE)、RB(RBE)、JCO(JCOE)等多种。
将钢板在成型模内先压成U形,再压成O形,然后进行内外埋弧焊,焊后通常在端部或全长范围扩径(Expanding)称为UOE焊管,不扩径的称为UO焊管。
将钢板辊压弯曲成型(Roll Bending),然后进行内外埋弧焊,焊后扩径为RBE焊管或不扩径为RB焊管。
将钢板按J 型-C型-O型的顺序成型,焊后进行扩径为JCOE焊管或不扩径为JCO焊管。
在运输业高度发达的今天,管道运输已经成为现代运输体系(公路、铁路、海运、航空、管道运输)的一个重要组成部分,作为现代管线工业技术进步的重要标志,大口径、高输送压力、长距离输送已经成为管线工业发展的总趋势。
在此形势下,我国在近几年进行了大规模的大口径制管机组改造和引进,这为高等级、高品质的管线用管的生产提供了一定的基础。
对常输管线钢管来说,焊接工艺非常关键。
从生产工艺上来分,焊接钢管主要分为电阻焊管ERW(Electric Resistance Welding)、螺旋埋弧焊管SSAW(Spirally Submerged Arc Welding)和直缝双面埋弧焊管LSAW(Longitudinally Submerged Arc Welding)。
虽然近10年来ERW发展很快,但仍然属于中小口径的焊管,例如日本的ERWΦ610、Φ660生产线、我国大庆建成的ERWΦ660生产线。
在一定时期内,适应当前发展的大口径焊管仍然要由SSAW 和LSAW工艺所生产。
螺旋埋弧焊管存在工艺缺陷螺旋焊管一般是以热轧钢带卷作管坯,经螺旋成型,采用高频电阻焊法或埋弧焊接成型。
该工艺能用较窄的坯料生产管径较大的焊管,还可以用同样宽度的坯料生产管径不同的焊管。
成型工艺如图1所示。
在上世纪五六十年代,螺旋焊管在油气管道输送中占据统治地位,但从七八十年代开始,螺旋焊管受到大口径UOE焊管和中小口径ERW焊管的严重挑战。
管板自动焊焊接工艺简介管板自动焊焊接工艺是一种应用于工业生产领域的自动化焊接技术。
它通过利用机器人和自动化设备,实现对管板的高效、精确焊接,提高焊接质量和生产效率。
本文将详细介绍管板自动焊焊接工艺的原理、设备和应用。
工艺原理管板自动焊焊接工艺的核心原理是利用机器人或自动化设备进行焊接操作。
它通过预先编程的焊接路径和参数,控制焊接电流、电压、速度等参数,实现对管板的自动化焊接。
其主要步骤包括焊前准备、焊接操作和焊后处理。
焊前准备焊前准备是管板自动焊焊接工艺的重要步骤,它包括以下几个方面: - 检查管板的质量和尺寸,确保焊接前的管板符合要求; - 清洁管板表面,去除油污和杂质,以确保焊接质量; - 对焊接路径进行规划和编程,确定焊接的路径和参数; - 准备焊接设备和材料,包括焊接机器人、焊接电源、焊丝等。
焊接操作在焊接操作中,机器人或自动化设备将根据预先编程的焊接路径和参数,进行自动化焊接。
其主要步骤包括: - 机器人或自动化设备将焊枪或焊头对准焊接位置,开始进行焊接; - 控制焊接参数,如电流、电压、速度等,以确保焊接质量; - 通过传感器实时监测焊接过程,检测焊缝的尺寸和质量; - 根据焊接路径和参数的设定,控制焊接速度和焊接轨迹,保证焊接质量的一致性; - 完成焊接后,机器人或自动化设备将焊接头部进行处理,如去除焊渣、修整焊缝等。
焊后处理焊后处理是管板自动焊焊接工艺的最后一步,它包括以下几个方面: - 对焊接头部进行检查,确保焊接质量符合要求; - 对焊接头部进行清理,去除焊渣和杂质,使其更加美观; - 对焊接头部进行修整和研磨,使其更加平整和光滑; - 进行焊接头部的无损检测,以确保焊接质量和安全性。
设备和技术管板自动焊焊接工艺需要使用一系列的设备和技术来实现自动化焊接。
以下是常用的设备和技术:焊接机器人焊接机器人是管板自动焊焊接工艺中最常用的设备之一。
它具有高精度、高稳定性和高效率的特点,能够完成复杂的焊接任务。
管道自动焊工艺流程管道自动焊工艺流程是指利用自动焊接设备对管道进行焊接的工艺流程。
自动焊接设备可以根据预设的焊接参数和程序,实现对管道的自动定位、对位、焊接和控制等操作,提高焊接质量和生产效率。
管道自动焊工艺流程一般包括以下几个步骤:1. 管道准备:首先,需要对管道进行准备工作。
包括清洁管道表面,去除油污和氧化物,确保焊接区域干净、无污染。
然后,对管道进行尺寸检查,确保管道尺寸符合要求。
最后,对管道进行定位,确定焊接位置和方向。
2. 焊接参数设定:根据焊接规范和管道材质,设定合适的焊接参数。
例如,焊接电流、电压、速度、焊接焊丝直径等。
这些参数对于焊接质量和焊接速度都有很大影响,需要根据具体情况进行调整。
3. 焊接设备调试:在进行管道自动焊接之前,需要对焊接设备进行调试。
包括焊接机器人的程序编程,设定焊接路径和焊缝形状等。
同时,还需要检查焊接设备的工作状态和安全保护装置,确保设备正常运行。
4. 管道定位和对位:自动焊接设备通过激光或摄像头等技术,对管道进行定位和对位。
根据焊接路径和焊接参数,自动焊接设备可以自动调整焊接位置和方向,保证焊缝的质量和焊接效果。
5. 管道焊接:当管道定位和对位完成后,自动焊接设备开始进行焊接工作。
根据设定的焊接参数和程序,焊接机器人会按照预定的路径和速度进行焊接。
焊接机器人可以实现多种焊接方式,如TIG焊接、MIG焊接、埋弧焊接等。
6. 焊后处理:焊接完成后,需要对焊缝进行检查和处理。
包括对焊缝进行外观检查,确保焊缝的质量和密度。
同时,还需要对焊缝进行除渣和打磨,使焊缝表面光滑、平整。
最后,对焊接区域进行清理,确保焊接区域干净、无杂质。
7. 质量检验:针对焊接工艺和焊接质量,进行质量检验。
包括对焊缝进行无损检测,如X射线检测、超声波检测等。
同时,还需要对焊接材料进行化学成分分析和力学性能测试,确保焊缝的质量和可靠性。
8. 记录和整理:对于每次焊接过程,需要进行记录和整理。
全自动焊接技术在海底管道工程中的应用分析摘要:近年来,随着海上油田的不断开发和海底管道的广泛应用,全自动焊接技术作为海底管道工程质量的重要技术指标备受关注。
海底管道施工环境特殊,风险大,投资大,施工组织复杂,施工质量要求高,而焊接技术是施工过程中最重要的部分,其高低直接影响到海底管道工程质量的好坏。
全自动焊接技术以其高效、优质的特点在海底管道工程中得到了广泛的应用。
基于此,本文将对全自动焊接技术在海底管道工程中的应用进行简单分析。
关键词:全自动焊接技术;海底管道工程;应用1.全自动焊接技术的发展历程自从焊接技术被发明以来,人们始终在探索如何提高焊接的效率和质量。
全自动焊接技术就是在自动化控制的条件下,通过机器人等设备实现焊接工作。
这一技术的发展历程可以分为以下几个阶段。
其一,20世纪初期到20世纪中期,工人手工以电弧焊接的方式完成了焊接工作。
随着电弧焊机的推广和使用,焊接工作效率有所提高。
但是由于操作人员疲劳和焊接知识水平不足,导致焊接质量难以保证。
其二,20世纪50年代左右,出现了半自动焊接技术。
半自动焊接技术通过在电弧焊接的基础上增加了焊接丝的送丝装置,并在焊接过程中实现了自动控制,在效率和质量方面都有了显著的提高。
其三,近年来,全自动焊接技术在工业智能化大力推进的背景下,也得到了迅速的发展。
全自动焊接技术不仅能够实现焊接的自动控制,还借助机器人等设备实现了各项参数的自适应调节,提高了操作效率,保证了细节焊接的质量,实现了焊接的可追溯性。
2.全自动焊接技术在海底管道工程中的优势与不足2.1优势(1)提高工作效率采用全自动焊接技术,可以大幅提高管道铺设的施工效率。
相比于传统人工电弧焊接,全自动焊接技术不需要手工调整焊接参数,且可以实现高度自动化生产,大幅缩短了施工周期,提高了工作效率。
这对于海底管道工程等工期紧、任务繁重的工程项目来说,意义重大。
(2)保证焊接质量全自动焊接技术能够在液化天然气等极端环境下维持较高的稳定性,并在保持生产效率的前提下保证焊接质量的稳定和可靠性。