瓶胚生产过程工艺流程图及流程描述
- 格式:doc
- 大小:114.50 KB
- 文档页数:7
PET瓶瓶胚输送方案PET(聚脂)饮料瓶在中国发展仅有十多年的时间,而热灌装PET饮料瓶在中国的历史更短,仅为6年左右的时间,但发展势头之猛,超过大多数其他包装容器。
众所周知,茶饮料、果汁饮料等是饮料发展的重点,其中大部分包装容器均是选用PET热灌装瓶,而且比例有不断增长的趋势。
PET饮料瓶的一般生产过程为:注塑成瓶胚一加热后瓶胚被纵向拉伸一横向拉伸一吹瓶成型。
如果这一生产过程中的最后成型采用机械冷定型,则PET瓶子在使用中一旦温度达到PET玻璃化温度(78℃)左右时,其分子链就会松弛,瓶子产生严重的收缩现象,故这种瓶子只适合冷灌装饮料。
而热灌装瓶在上述工艺的拉伸定型过程中,始终处于较高的温度(140℃左右),PET分子链在松弛状态下被高温定型,最后瓶体产生了大量整齐、密集的结品,结品度可达30%~45%,使瓶子产生了较高的耐热性能,并成为具有实用意义的热灌装瓶。
最初,消费者只是关注的是饮料本身的品质,而现在也逐渐开始关注饮料的外包装。
PET瓶的质量取决于所供应瓶胚的质量,瓶胚注塑成型时分为两种,一种是长胶口,另一种是短胶口。
国内瓶胚厂家选用短胶口瓶胚的较多,而国外选用长胶口的较多。
长胶口的瓶胚由于底部的胶口被切掉,在吹瓶过程中使张力均匀分布,这样吹出的瓶子质量会更好,另外切掉的部分可以回收利用,这样有利于节省原料成本,在石油资源日益匮乏的今天,国内的生产厂家将会更倾向于长胶口的瓶胚。
在生产过程中瓶胚质量的控制取决于瓶胚在输送过程中避免被划伤的控制程度。
现在国内大部分生产厂家对瓶胚输送采用皮带式输送,这是一种比较古老的输送工艺的方法。
这种输送的缺点如下:瓶胚在注塑机出来时,温度在45℃—55℃。
直接落到皮带上会造成瓶胚之间的撞伤。
另外瓶胚在皮带上杂乱无序堆积起来,瓶胚冷却时不是很均匀。
瓶胚从注塑机出来时,可能会有某一个模腔注成的胚有质量问题,杂乱无序地堆积在一起很难判断是哪个模腔的瓶胚出现问题。
塑料瓶的生产工艺流程介绍如下:
1. 原料准备:选择适当的塑料树脂,依据生产要求进行配方调配。
这些原料通常以颗粒或粉末的形式储存。
2. 熔融:将原料输送到熔融机中,通过高温加热塑料使其熔化,并在过程中加入色素和添加剂,以便使塑料瓶具有特定的颜色、透明度和物理特性。
3. 成型:将熔融的塑料挤出到模具中,然后通过压力和吹气来形成瓶子的基本形状。
通常使用两个模具将立式管拉伸成瓶子。
4. 冷却:通过高速冷却塑料来避免瓶子变形。
5. 包装:将成品瓶子经过外观检验后进行包装和贴标签,然后装箱入库。
瓶坯生产工艺规程1. 规程主题内容及范围本标准规定了以聚酯(P E T,聚对苯二甲酸乙二醇酯)为主要原料,通过干燥后,以注塑方法进行瓶坯生产的工艺操作和生产技术要求。
2. 工艺流程:瓶坯生产的工艺流程如下:液体色母料或固体色砂原料检验储料输料干燥注塑取出冷却检验计数装箱中转储存3. 工艺技术要求3.1 工艺条件3.1.1 原料选用规格正确,料包包装完好,信息卡完整,并经检验合格入库的方能使用。
原料编号记录于工艺记录单上并须有进仓记录,批次等便于追溯的内容,破包,损漏的不准使用,待认可批准后方可使用。
如对原料包装有特殊要求,以临时通知的工艺要求或储料工艺规程为准。
3.1.2 生产设备型号主要设备:计有LX300PET48腔(C6) GX300PET48腔(C7—C14)LX500PET72腔(B5)LX600PET96(A1、A2、A4)GX600PET96腔A3);美国AEC公司产AEC干燥系统及冷冻系统;德国Motan干燥系统及集中供料系统;Hitach冷冻系统;加拿大HUSKY公司产HUSKY48—96系列PET注塑系统:辅助设备:Munters中央除湿系统;外水循环系统及空压机等。
3.1.3 工艺参数工艺参数按《瓶坯生产工艺工序卡》执行。
工艺工序卡由二级工艺员制定,经工艺主管审核、部门经理批准后生效,发放到车间指导生产。
由于设备故障、工艺条件变化等原因,操作员在规定工艺范围内不能解决的问题,报请二级工艺员解决。
操作员未经二级工艺员的同意,不允许做超出工艺工序卡规定范围的修改。
超出工序卡规定范围的工艺参数修改,应在《瓶坯生产工艺工序卡》备注中或《瓶坯生产工艺参数记录表》中有记录。
所做的修改如果在两天内不能恢复到原来,二级工艺员应申请修改或换发工艺工序卡。
在机台正常生产的情况下,工艺工序卡每三个月换发一次。
4. 工艺操作严格执行《瓶坯生产工艺工序卡》规定的工艺条件,因明显的设备因素引起的工艺条件改变,操作员应及时报告并填写设备报修单。
下载温馨提示:该文档是我店铺精心编制而成,希望大家下载以后,能够帮助大家解决实际的问题。
文档下载后可定制随意修改,请根据实际需要进行相应的调整和使用,谢谢!并且,本店铺为大家提供各种各样类型的实用资料,如教育随笔、日记赏析、句子摘抄、古诗大全、经典美文、话题作文、工作总结、词语解析、文案摘录、其他资料等等,如想了解不同资料格式和写法,敬请关注!Download tips: This document is carefully compiled by theeditor.I hope that after you download them,they can help yousolve practical problems. The document can be customized andmodified after downloading,please adjust and use it according toactual needs, thank you!In addition, our shop provides you with various types ofpractical materials,such as educational essays, diaryappreciation,sentence excerpts,ancient poems,classic articles,topic composition,work summary,word parsing,copy excerpts,other materials and so on,want to know different data formats andwriting methods,please pay attention瓶胚注塑设备工作流程瓶胚注塑设备是一种常用于生产塑料瓶的设备,其工作流程如下:1. 模具准备阶段:在使用瓶胚注塑设备之前,需要先准备好适用于制造瓶胚的模具。
吹瓶车间工艺流程图以及流程说明吹瓶车间工艺流程图岗位工段长混料投料吹瓶捡漏开始下达生产计划(A1)原辅料领货单领取原辅料(B1) 开机前的准备(D1)混料(C1) 开机调试(D2)制瓶(D3)成品检验(E1)粉碎水口料(B3) 水口料回收(D4) 不合格瓶回收跟踪灌装,后包装瓶子使用情况(A2) 进瓶仓(E3)检查报表(A3)计算盈余以及亏损结束流程说明开始编号:A1 岗位:工段长工序:下达生产计划,原料领货单.生产主办确认生产计划,工段长明确的对每个岗位下达生产任务,以及注意事项.以生产计划到生产统计处领取原料领货单.编号:B1 岗位:混料工工序:领取原料.原辅料名称:吹瓶机所用原辅料: 5502 色母以原料领货单到仓库领取原料,确认原辅料是否符合工艺和质量要求,以及批次,生产日期,并做好记录.记录填写要求:及时、准确、真实,并且具有可追溯性.编号:D1 岗位:吹瓶工工序:开机前的准备.检查机器是否有零、部件损伤,检查螺钉是否有松脱,检查电线、电缆是否有损坏、脱落,如有损坏,应及时更换或修理;检查挤出机料斗内是否有杂物并清理干净,然后打开下料闸门。
检查各马达是否运转正常,转动方向须与箭头方向一致。
按油泵启动按钮,检查各动作是否正常,是否有漏油现象。
检查各发热圈、风机、热电耦是否正常。
检查冷却水温度、压缩空气压力是否达到规定数值。
机器升温(升温时应注意:13-20升温段要关闭.当1-12升温段达到设定数值时,打开13-20升温段升温).开启车间成品传送带回收料传送带.并调整速度到适当数值.编号:B2 岗位:混料工工序:混料,填报表原辅料之间添加比例:100:1备注:5502色母每袋是25kg.拌料过程添加回收料的比例1)吹瓶回收料添加为33% (废料来源不合格瓶、瓶头、瓶尾)2)灌装回收料添加为30% (废料来源不合格品:漏奶、封口不良等,使用方法切去带有吕膜的瓶口然后清洗干净,晾干最后粉碎)3)后段回收料添加为15% (废料来源使从杀菌车之后捡漏工捡出的不合格品:漏奶、封口不良等,使用方法切去带有吕膜的瓶口然后清洗干净,晾干最后粉碎;)备注:添加回收料之前必须对回收料进行检查,做到无水,无油,无杂质,无铁削.拌料前准备:1)检查是否有原辅料,原辅料是否合格品2)检查拌料机是否正常运转(检查电源、电眼、各个按钮)3)检查拌料时间是否调节到10分钟拌料过程:先将把拌料机盖子扣打开,打开盖子,按上面比例加入原辅料和回收料.加入回收料过程必须加入挑拣后的回收料盖上盖子,上好盖子扣调节时间(在控制箱有一个调节时间按钮时间调节到10分钟)启动拌料机(启动按钮在控制箱为绿色按钮、红色按钮为停止按钮)拌料机运行10分钟之后自动停止(停止之后代表料以拌好).备注:拌料时间10分钟/次报表填写:报表填写要求:及时、准确、真实,并且具有可追溯性.编号:C1 岗位:投料工工序:投料混合料用编织袋卸装出来,放上手拉车.到达料斗处,打开料斗盖, 检查料斗内是否有杂物并清理干净.投入混合料,(投料要求:混合料最多占用料斗空间的三分之二.)盖好料斗盖.通知吹瓶工混合料已到位.编号:D2 岗位:吹瓶工工序:开机调试.开机步骤:打开主油泵,伺服油泵,点击手动并运行一周,打开挤出电机,点击下料键(下料时螺杆应低速运转(5-10),且持续时间不得超过5分钟).点击自动画面,点击自动复位,左右自动.当料胚位置和模具内测底部成水平线时,按下启动键.不合格瓶及排除:不合格瓶:瓶尾过长过短、毛边、瓶壁薄厚不均、瓶子重量太轻或太重、瓶子吹气不足或吹不成形排除:瓶尾过长过短:当出现瓶尾过长或过短时可通过减慢或加快螺杆转速进行调节,如过是单个瓶子尾巴长度不适可调节模头上方的螺母,使其顺时针旋转可减慢下料速度使瓶尾减短,逆时针旋转可加快下料速度使瓶尾加长。
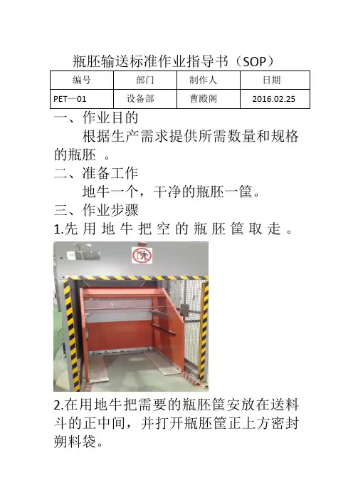
瓶胚输送标准作业指导书(SOP)
一、作业目的
根据生产需求提供所需数量和规格的瓶胚。
二、准备工作
地牛一个,干净的瓶胚一筐。
三、作业步骤
1.先用地牛把空的瓶胚筐取走。
2.在用地牛把需要的瓶胚筐安放在送料斗的正中间,并打开瓶胚筐正上方密封朔料袋。
3.检查瓶胚筐安放位置正确时,然后按住从右往左数第三个开舱盖按钮,待仓盖
完全打开即可。
4.仓盖完全打开后,点击上升按钮。
5.等待料斗自动把瓶胚倒入瓶胚仓,如筐
内有剩余,可以点动下降在点动上升,把筐内剩余瓶胚也倒如仓内。
6.到空瓶胚筐后,点击下降按钮,等待瓶胚筐完全下降到底部。
7.点击自动关闭仓盖按钮,等待仓盖完全闭合,防止灰尘进入。
四、作业注意事项
1,穿戴好劳保用品。
2,注意仓盖的开合状态是否完全。
3,检查急停和报警信息并复位。
pet瓶胚注胚生产流程一、什么是PET瓶胚呀?PET瓶胚呢,就是那种用来制作塑料瓶的小玩意儿啦。
就像咱们平时喝的饮料瓶、矿泉水瓶,在它们成为瓶子之前,都是从瓶胚开始的哦。
PET这个材料可神奇啦,它又轻又结实,还很透明,所以特别适合用来做瓶子装各种东西。
二、原料准备。
这生产PET瓶胚呀,得先把原料准备好。
原料就是那种PET的塑料粒子啦,就像小小的沙粒一样。
这些粒子要保证质量好哦,要是有杂质的话,那做出来的瓶胚可就不好啦。
把这些粒子放到专门的料斗里,就像是把粮食放进粮仓一样,让它们乖乖地待在那里,等着被加工呢。
三、干燥处理。
PET粒子可不能就这么直接拿去注胚哦,还得经过干燥处理呢。
为啥要干燥呀?因为PET这东西特别怕水,如果里面有水的话,在注胚的时候就会产生气泡,那瓶胚就不完美啦。
就像我们做蛋糕,如果面糊里有气泡,烤出来的蛋糕就不好看也不好吃了。
干燥的过程就像是给PET粒子做一个全身的SPA,把它们身体里的水分都给弄干。
要把粒子放在干燥机里,设定好合适的温度和时间,让它们舒舒服服地变干。
四、注塑机加热。
干燥好的粒子就可以进入注塑机啦。
注塑机可是个大功臣呢,它要把粒子变成瓶胚。
不过在这之前,注塑机得先把自己加热。
就像我们做饭的时候,锅得先热起来才能炒菜呀。
注塑机的加热是很有讲究的,不同的部位温度还不一样呢。
这个温度要根据PET的特性来设定,不能太高也不能太低。
太高了的话,PET就会被烤焦啦,太低了又没法把粒子融化好。
五、注塑成型。
等注塑机的温度合适了,就把干燥后的PET粒子送进去。
这时候,粒子在注塑机里就像变魔术一样开始融化,然后被注射到模具里。
模具就像一个小房子,专门给瓶胚定型的。
注塑的时候,压力也要控制好哦,压力太大了,瓶胚可能会有瑕疵,压力太小了,瓶胚就不能被填充得很饱满。
这就像是我们吹气球,气吹得太足或者不足都不好。
当PET材料充满整个模具的时候,一个瓶胚的形状就初步形成啦。
六、冷却定型。
刚刚从模具里出来的瓶胚还是热乎的呢,就像刚出炉的面包。
玻璃瓶生产工艺流程图
玻璃瓶是一种常见的包装容器,广泛应用于食品、饮料、化妆
品等行业。
其生产工艺流程主要包括原料准备、熔制成型、冷却固化、检验包装等环节。
下面将详细介绍玻璃瓶的生产工艺流程。
首先,原料准备是玻璃瓶生产的第一步。
制作玻璃瓶的原料主
要包括石英砂、碳酸钠、石灰石和其他辅助原料。
这些原料经过称量、混合等工序后,进入玻璃窑熔炼。
其次,熔制成型是玻璃瓶生产的核心环节。
原料经过熔炼后,
成为高温熔融的玻璃液体。
然后,通过玻璃成型机器,将玻璃液体
注入模具中,经过吹制、压制等工艺,成型为玻璃瓶的初型。
接着,冷却固化是玻璃瓶生产的重要环节。
初型玻璃瓶经过成
型后,需要经过逐步降温的冷却工艺,使玻璃瓶内部和外部温度均匀,保证玻璃瓶的质量和稳定性。
然后,检验包装是玻璃瓶生产的最后环节。
经过冷却固化后的
玻璃瓶需要进行质量检验,包括外观质量、尺寸精度、抗压强度等
指标的检测。
合格后,进行清洗、包装,最终成品玻璃瓶准备出厂。
总的来说,玻璃瓶的生产工艺流程包括原料准备、熔制成型、冷却固化、检验包装等环节。
每个环节都需要严格控制,确保玻璃瓶的质量和稳定性。
希望通过本文的介绍,能够更加深入了解玻璃瓶的生产工艺流程。
塑料瓶生产具体工艺流程塑料瓶的生产工艺流程通常包括以下几个步骤:1. 原料准备,首先,需要准备塑料原料。
常用的塑料原料有聚乙烯(PE)、聚丙烯(PP)等。
这些原料通常以颗粒或粉末的形式供应。
2. 塑料瓶成型,将准备好的塑料原料放入注塑机或吹塑机中进行成型。
注塑机通过将塑料加热融化后注入模具中,然后冷却成型。
吹塑机则是将塑料预先加热融化,然后通过气压将其吹成瓶形。
3. 模具设计与制作,根据塑料瓶的形状和尺寸要求,设计和制作相应的模具。
模具通常由金属材料制成,具有与所需瓶子相匹配的形状。
4. 瓶口和瓶盖制作,在塑料瓶成型的过程中,同时也会制作瓶口和瓶盖。
瓶口可以通过模具直接成型,而瓶盖则需要经过单独的制作工艺。
5. 瓶身加工,成型后的塑料瓶需要进行一系列的加工工艺,例如去毛刺、修整边缘、清洗等。
这些步骤可以确保瓶子的表面光滑、无瑕疵,并符合质量标准。
6. 印刷和贴标,根据需要,可以在塑料瓶上进行印刷或贴标,以标识产品信息、品牌标识、使用说明等。
7. 包装和包装检查,完成瓶子的制作后,需要进行包装。
常见的包装方式包括塑料薄膜包装、纸盒包装等。
在包装过程中,还需要进行包装检查,确保瓶子的质量符合要求。
8. 储存和运输,最后,塑料瓶会被储存起来,并进行相应的运输。
在储存和运输过程中,需要注意防止瓶子受到损坏或者变形。
总的来说,塑料瓶的生产工艺流程包括原料准备、塑料瓶成型、模具设计与制作、瓶口和瓶盖制作、瓶身加工、印刷和贴标、包装和包装检查,以及储存和运输。
这些步骤的顺序和具体细节可能会因不同的生产厂家和产品要求而有所差异。
生产企业玻璃瓶工艺流程简介玻璃瓶制造属高温作业的行业。
整个生产流程要经过相关原料的科学调配、窑炉熔制、机械成型、定型退火、成品检验等五道工序,环环紧扣,自成一体。
一、原料调配:原料调配是根据生产玻璃瓶的所需氧化物成分,按比例严格调配后用震动式加料机械送入窑炉内熔制成玻璃液体。
二、窑炉熔制:该厂使用的是全煤气发生炉,它产生1500℃—1600℃的高温使进入窑炉内的原料得到充分熔化和均化,达到制瓶所需要的温度和粘度。
三、机械制瓶:该厂引进的是山东产QD4A型制瓶机,整个制瓶过程都由机械自动控制。
首先通过供料机连续不断地把料滴交替供入制瓶机的初模、精模由压缩空气吹制成一个个晶莹剔透的玻璃瓶,成型的玻璃瓶沿着输瓶网带徐徐地送入退火炉。
四、退火定型:退火是成型玻璃瓶最后定型和确保产品质量十分重要的一道环节。
该设备属目前国内最先进工艺配置,确保了产品最后工序质量的可靠性。
该厂使用的是由电脑调控的封闭式温度曲线电加热退火炉,退火温度可随气温变化自行调控,使退火温度稳定保持在所需的范围内。
通过两个多小时的曲线温度退火行程,消除产品内应力后被送到检验员面前,进行全面检测。
五、产品检验:成品检验是制瓶生产流程的最后一道工序。
起着为企业产品质量把关的作用。
该企业确定了严格的质量目标,要求产品的成品率必须保持在80%以上。
检验员们严格依据《产品检验标准》对每只玻璃瓶进行全面检验,合格产品现场包装,不合格产品重新回炉。
入库前还要由总质检对已包装的合格产品进行抽检。
本厂成立了设施完备的化验室,对所有进厂的原材料做全项的理化指标分析,保证了高质量、稳定高产的生产控制要求。
同时对每天每班生产线上的产品和准备入库的成品进行严格的物理性能测试和化学指标的检测。
确保了每批生产产品符合企业《产品检验标准》。
PET瓶瓶胚输送方案浅析PET(聚脂)饮料瓶在中国发展仅有十多年的时间,而热灌装PET饮料瓶在中国的历史更短,仅为6年左右的时间,但发展势头之猛,超过大多数其他包装容器。
众所周知,茶饮料、果汁饮料等是饮料发展的重点,其中大部分包装容器均是选用PET热灌装瓶,而且比例有不断增长的趋势。
PET饮料瓶的一般生产过程为:注塑成瓶胚一加热后瓶胚被纵向拉伸一横向拉伸一吹瓶成型。
如果这一生产过程中的最后成型采用机械冷定型,则PET瓶子在使用中一旦温度达到PET玻璃化温度(78℃)左右时,其分子链就会松弛,瓶子产生严重的收缩现象,故这种瓶子只适合冷灌装饮料。
而热灌装瓶在上述工艺的拉伸定型过程中,始终处于较高的温度(140℃左右),PET分子链在松弛状态下被高温定型,最后瓶体产生了大量整齐、密集的结品,结品度可达30%~45%,使瓶子产生了较高的耐热性能,并成为具有实用意义的热灌装瓶。
最初,消费者只是关注的是饮料本身的品质,而现在也逐渐开始关注饮料的外包装。
PET瓶的质量取决于所供应瓶胚的质量,瓶胚注塑成型时分为两种,一种是长胶口,另一种是短胶口。
国内瓶胚厂家选用短胶口瓶胚的较多,而国外选用长胶口的较多。
长胶口的瓶胚由于底部的胶口被切掉,在吹瓶过程中使张力均匀分布,这样吹出的瓶子质量会更好,另外切掉的部分可以回收利用,这样有利于节省原料成本,在石油资源日益匮乏的今天,国内的生产厂家将会更倾向于长胶口的瓶胚。
在生产过程中瓶胚质量的控制取决于瓶胚在输送过程中避免被划伤的控制程度。
现在国内大部分生产厂家对瓶胚输送采用皮带式输送,这是一种比较古老的输送工艺的方法。
这种输送的缺点如下:瓶胚在注塑机出来时,温度在45℃—55℃。
直接落到皮带上会造成瓶胚之间的撞伤。
另外瓶胚在皮带上杂乱无序堆积起来,瓶胚冷却时不是很均匀。
瓶胚从注塑机出来时,可能会有某一个模腔注成的胚有质量问题,杂乱无序地堆积在一起很难判断是哪个模腔的瓶胚出现问题。