利乐灌装机系统
- 格式:pdf
- 大小:6.48 MB
- 文档页数:39
利乐a3灌装机维修手册摘要:一、利乐A3 灌装机简介1.利乐A3 灌装机的基本概念2.利乐A3 灌装机的主要功能二、利乐A3 灌装机维修手册概述1.维修手册的目的2.维修手册的使用对象3.维修手册的内容简介三、利乐A3 灌装机的维护与保养1.日常维护2.定期保养3.常见故障排除四、利乐A3 灌装机维修流程1.故障诊断2.维修步骤3.维修注意事项五、利乐A3 灌装机零配件更换与调整1.零配件的更换2.零配件的调整3.更换与调整的注意事项六、利乐A3 灌装机使用安全与环保1.使用安全2.环保措施3.操作规程正文:利乐A3 灌装机维修手册为使用者提供了详细的维修指导,适用于对利乐A3 灌装机进行日常维护、保养及故障排除。
本文将对利乐A3 灌装机维修手册进行简要介绍,以帮助用户更好地了解和使用维修手册。
首先,利乐A3 灌装机是一种先进的灌装设备,广泛应用于饮料、食品等行业。
它具有灌装速度快、精度高、稳定性好等特点,为生产企业提供了高效、安全、可靠的生产保障。
维修手册对利乐A3 灌装机的维护与保养进行了详细阐述,包括日常维护、定期保养以及常见故障排除。
日常维护主要包括清洁、检查、润滑等,定期保养则需要对设备进行拆卸、清洗、检查、润滑等,以保证设备的正常运行。
对于常见故障,手册提供了故障诊断、维修步骤及注意事项等内容,帮助用户快速解决故障问题。
在利乐A3 灌装机维修流程中,用户需要先进行故障诊断,确定故障原因后,参照维修手册进行维修。
维修过程中,应遵循维修步骤,注意操作规范,防止设备损坏或人身安全事故。
此外,维修手册还介绍了利乐A3 灌装机零配件的更换与调整方法。
用户需要定期检查零配件的磨损情况,及时更换磨损严重的零配件,并进行相应的调整。
更换与调整时,应注意零配件的选择、安装及调整方法,确保设备正常运行。
最后,维修手册强调了利乐A3 灌装机使用安全与环保。
用户应遵循操作规程,确保设备安全、高效运行。
同时,还要注重环保,采取相应的环保措施,减少生产过程中对环境的影响。
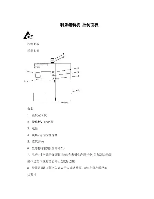
利乐灌装机控制面板控制面板控制面板命名1. 温度记录仪2. 操作板,TPOP型3. 电源4. 现场/远程控制选择5. 蒸汽开关6. 紧急停车按钮(全部停车)7. 生产/排空显示灯(绿):持续亮表明生产进行中;闪烁则表示需操作员动作或此功能停止(清洗状态)8. 警报显示灯(黄):闪烁表示未确认警报;持续亮则表示已确认警报文件号:OM-1213617- 0102 ,Tetra Therm Aseptic Flex TPOP 13控制面板菜单图解以下画面均可从概略图查看到文件号:OM-1213617-0102 ,14 Tetra Therm Aseptic Flex TPOP控制面板显示的通用规则共用屏幕显示以下显示出现在所有画面上屏幕上方1 日期和时间屏幕下方2 画面名称3 步骤4 步骤中已过时间及剩余时间以分钟计积累的生产时间以秒计其余步骤的剩余时间5 报警。
灯闪烁,未确认警报;持续亮,已确认报警6 离开此页现场/远程控制如果一套独立的主控单元放在远程控制室中,远程控制可用控制板上一钥匙开关来选择。
现场控制是指该设备由TPOP控制系统操作。
注意! 在远程控制单元中,仍可选择画面并观察其运行,但不能对单机进行操作。
1 现场控制2 远程控制功能符号设备可运行的功能通过符号显示出来:文件号:OM-1213617- 0102 ,Tetra Therm Aseptic Flex TPOP 15控制面板按键当某功能可选用时,将显示为一个按键。
凹下去的符号表示该功能已被选取。
1 可选功能2 已选功能状态符号符号对角分开,下部底色为绿色符号底色为绿色(清洗为白色)(清洗为白色)表示准备进行某表示运行的步骤一步骤数据输入/输出输入数据由具有可显示当前值的数据域的按钮表示出来。
操作者选择设备可用的功能未选取时,该功能选取后,符号变为高亮用一个外形符号表示度绿色文件号:OM-1213617-0102 ,16 Tetra Therm Aseptic Flex TPOP控制面板运行中数据运行中的数据显示:显示的是可计量数据控制器参数LC,PC,TC,FC和温度限制器TSL可通过触摸屏幕上的显示看见或改变LC 液位控制PC 压力控制TC 温度控制FC 流量控制TSL 温度开关传感器数值只供查看LT 液位传感TT 温度传感PT 压力传感文件号:OM-1213617- 0102 ,Tetra Therm Aseptic Flex TPOP 17控制面板概略图注意~本章的以下画面不一定在TPOP上都有显示,会根据实际提供的利Flex 单机模式的不同有所变化。
利乐a3灌装机维修手册(实用版)目录1.利乐 a3 灌装机的概述2.利乐 a3 灌装机的主要部件3.利乐 a3 灌装机的维修流程4.利乐 a3 灌装机的常见故障及解决方法5.利乐 a3 灌装机的维护保养建议正文一、利乐 a3 灌装机的概述利乐 a3 灌装机是一种广泛应用于各种液体灌装的设备,以其稳定的性能和高效的灌装效率受到众多用户的青睐。
然而,在长时间的使用过程中,灌装机可能会出现故障,影响其正常运行。
为了帮助用户更好地维修和保养利乐 a3 灌装机,本文将详细介绍其维修手册中的相关内容。
二、利乐 a3 灌装机的主要部件利乐 a3 灌装机主要由以下几个部分组成:1.灌装头:负责将液体灌装到容器中。
2.灌装控制部分:包括电机、减速器、变频器等,负责控制灌装头的动作。
3.传感器:用于检测灌装过程中的各种信号,如液体高度、速度等。
4.气动部分:包括气缸、电磁阀等,负责控制气路的开关。
5.机架:支撑整个灌装机的运行。
三、利乐 a3 灌装机的维修流程1.关闭电源,确保安全。
2.对设备进行全面检查,了解故障现象。
3.根据故障现象,分析可能的原因。
4.拆卸故障部件,进行清洗或更换。
5.重新组装设备,进行调试。
6.观察设备运行情况,确保故障已排除。
四、利乐 a3 灌装机的常见故障及解决方法1.灌装量不准确:可能是传感器故障,需清洁或更换传感器。
2.灌装速度慢:可能是电机故障,需检查电机是否正常运行。
3.气动部分故障:可能是气缸、电磁阀等部件故障,需检查并更换。
4.设备无法启动:可能是电源故障或按键故障,需检查电源和按键是否正常。
五、利乐 a3 灌装机的维护保养建议1.定期检查设备运行情况,发现异常及时处理。
2.定期清洁设备,保持设备清洁卫生。
3.定期对设备进行润滑,保证设备运行顺畅。
4.定期检查易损件,及时更换。
5.设备长时间不使用时,需进行全面保养并存放在干燥通风的地方。
septic a Brik A TetrTechnical Training Centre Lund, SwedenMachine typeIssueTBA/192/9706OH 492Tetra Brik Aseptic, TBA/19Tetra Pa kTBA/19Tetra Brik Aseptic packaging machineTetra Brik AsepticTetra Brik AsepticTetra PakTBA/19 filling machine packages liquid food in TBA portion packages Printed design in register is achieved by means of a bar code, which is printed on the packaging material. As standard, the machine is equipped with Automatic Splicing Unit 19 for the longitudinal strip and also with an external cleaning system for the jaw system and the final folder, i.e. those units by which the packages are formed, sealed and shaped.Steam Supply pressure, (overpressure) kPa (bar) [psi] Max pressure fluctuation, kPa (bar) [psi] Temperature, °C (°F) Consumption, kg/h (Ibs/h) Water Quality: Hydrogen peroxide, H202 Type Consumption, l/h Product Supply pressure, kPa (bar) [psi] Maximum pressure fluctuation, kPa (bar) [psi] pH Viscosity, max calculated pressure drop (CPD), kPa (bar) [psi] Filling temperature °C (°F) External cleaning equipment Supply pressure, kPa (bar) [psi] Hot water consumption, litres per cleaning cycle Hot water temperature, °C (°F) Special detergent consumption, litres per cleaning cycle Detergent pH Cleaning in place (CIP) Max. inlet pressure, kPa (bar) [psi] Min. flow, l/h Lubrication Consumption, l/h Weight Approx. weight, kg (Ibs)170 (1.7) [25] ±30 (±0.3) [±4.5] 130±4 (266±7.2) 2.4 (5.3) Drinking waterDevelopment step 010V Capacity Packages per hour Package volumes, cm3 (ml) 7500/6000 (-0% + 4%) to be specified when ordering See table Headspace will give intermediate volumes35% aseptic grade 0.7-1.250-350 (0.5-3.5) [7.2-50.7] 100 (1) [14.3] 2.5-8.0 150 (1.5) [22] 5-50 (41-122)Electric power Type, frequency Hz, voltage V Other voltages require adaption transformer. Recommended main fuse to obtain selectivity, A Consumption during preheating, kW Consumption during sterilization, kw Consumption during production, kW Consumption during cleaning, kW Thermal Load, Kw Compressed air Supply pressure, kPa (bar) [psi] Consumption, Nl/min (cu tr/min) Max particles, µm Max particles, mg/m3 Dew point °C (°F) Oil content, mg/m3 Cooling water Supply pressure, kPa (bar) [psi] Max. inlet temperature, °C (°F) Consumption, l/min (imp. galls/min) pH Of the total consumption, approx. 5 litres per minute (1.1 imp. galls/min) can be recirculated3N~, 50/60, 400/230300-450 (3-4.5) [43.5-65] 300 60-70 (140-158) 0.8 8-12100 9-29 12-18 22 5 15.4350 (3.5) [50.7] 8000600-700 (6-7) [87-102] 400±100 (14.0±3.5) 20 25 2 (35.6) 0.010.015600 (12400)300-450 (3-4.5) [43.5-65] 20 (68) 10 (2.2) 5.0-8.0Ambient temperature Min. ambient temp., °C (°F) 5 (41) Max. ambient temp., °C (°F) 50 (122) Recommended ambient temp., °C (°F) 15 to 30 (59 to 86) Noise Sound pressure level, (Lpa), dB(A) (acc. to ISO 11204) Installation drawing Nos. 577753-1, 577753-2 ≤80TBA/19TBA/19TBA/19Optional EquipmentPullTab PT19 PullTab version for TBA/19 filling machine released for all the existing volumes. Headspace by Gas Injection HI19 Headspace by Gas Injection allows up to approximately 10% headspace by means of either sterile gas air or inert gas (N2), available for all the existing volumes. Volume Conversion VC19 Volume Conversion 19 OE/OK to change volume, available for: TBA 125 S / TBA 100 B TBA 200 B / TBA 250 B TBA 200 M / TBA 250 S TBA 200 S / TBA 160 S TBA 250 B / TBA 200 B TBA 250 S / TBA 200 M TBA 250 B / TBA 284 B - TBA 300 S TBA 250 B / TBA 330 S Automatic Splicing Unit ASU19 Double reel Automatic Splicing Unit for packaging material, available for all the existing volumes. High Viscous Aseptic HVA19 High Viscous Aseptic 19 allows the filling of homogeneous high viscous products under aseptic conditions. Temperature Controlled Steam Barrier TCSB19 Controls and reduces the steam barrier temperature, avoiding overheating and cleaning difficulties due to burnt product residues. Offset Splicing Table 19 Splicing table for packaging material with outer lacquer. Multi-installation 19 Platforms and railing for mutli machine installations. SCU/4 Separate Cleaning Unit for cleaning of product pipes and valves.Accessories- Tool cabinet - Leak finding equipment to check overpressure and underpressure in the aseptic chamber and bath - Peroxide container - Filling station for peroxide containers - Trolley to transport the peroxide containers - Manometer for product pressure - Oil pump for refilling of oil - Code insert sets, various types for ink dating unitStandard version of TBA/19 (not equipped with options) Dimensions in mm (ft in) * Multi installations 2000 (6’7”)Tetra Pak Marketing Services AB. Code 8247 en. Date 11.98 AD:Ikos Printed in ItalyDimensions of packages and packaging materialPACKAGETBA Volumes cm3 (ml) Dimensions, mm a b cPACKAGING MATERIALApprox. qty packages per Jumbo reel Appr. weight of reel (kg)abc100 B 125 S 160 S 180 B 200 B 200 M 200 S 250 B 250 S 284 B 300 S 330 STPA Volumes69.3 86 93.5 75.5 83 106 119.3 106.3 131 119.7 119.7 136.332 32 38 41 41 38 38 41 38 41 41 4147 47 47 63 62 53 47 62 53 63 63 6230000 29000 23500 5000* 23500 15000 19000 20000 18000 18000 18000 14000145 145 185 38 185 149 170 190 170 190 190 190330 Sq124.648.5/58.8 49.5/59.8B = Base packages Sq = Square packages11000120S = Slim packages M = Mid packages* Standard reel only. For the other packages standard reel on request.Business Unit Tetra BrikWe reserve the right to introduce design modifications without prior notice. Tetra Pak and Tetra Brik Aseptic are trademarks belonging to the Tetra Pak Group.Measurements for TBA/19VolumesmlTechnical Training Centre 1/9910F-pan. WidthmmS-pan DephtmmHeightmmRepeated lenghtmmWeb WidthmmLS Theor.mmTube diam.mmTheor. Crease volumemlUnderfilling % 4.0% 3.4% 4.2% 7.7% 5.2 6.3% 6.1 7.5% 5.2% 8.1% 3.0% 4.8%100 B 125 S 160 S 180 B 200 B 200 M 200 S 250 B 250 S 284 B 300 S 330 S47 47 47 63 62 53 47 62 53 63 63 6232 32 38 41 41 38 38 41 38 41 41 4169.3 86 93.5 75.5 83 106 119.3 106.3 131 119.7 119.7 136.3113.33 130.00 147.50 132.50 140.00 160.00 173.33 163.33 185.00 176.67 176.67 193.33162 162 174 214 214 188 174 214 188 214 214 2124 4 4 6 8 6 4 8 6 6 6 650.29 50.29 54.11 66.21 65.57 57.93 54.11 65.57 57.93 66.21 66.21 65.57104.2 129.3 167.0 195.0 211.0 213.5 213.1 270.2 263.8 309.2 309.2 346.5TM-00134Training Document. For training purpose only.1TBA/19Lifting unitLifting toolTransport plate Lifting eyeboltTransporterNo lifting area TransporterTechnical Training Centre 1/9910TM-00132Training Document. For training purpose only.1TBA/19Cold waterCirk. cold water inletCirk cold water outletHot water AirTechnical Training Centre 1/9910TM-00132Training Document. For training purpose only.2TBA/19Technical Training Centre 1/9910TM-00132Training Document. For training purpose only.3TBA/19Technical Training Centre 1/9910TM-00132Training Document. For training purpose only.4。
利乐灌装机无菌系统及原理1. 引言1.1 利乐灌装机无菌系统及原理利乐灌装机无菌系统是一种关键的技术,用于保证食品和药品的无菌状态,从而确保产品的质量和安全性。
本文将介绍利乐灌装机无菌系统的原理及其重要性。
无菌技术在食品和药品生产过程中扮演着至关重要的角色。
无菌状态是指完全不含有微生物的状态,这对于避免细菌和真菌对产品造成污染至关重要。
利乐灌装机无菌系统采用一系列技术手段,确保产品在灌装过程中不受到污染,从而保证产品的质量和安全性。
利乐灌装机无菌系统的主要原理包括空气过滤、消毒灭菌和全封闭灌装。
空气过滤通过高效过滤器过滤空气中的微生物和颗粒物,确保灌装环境的洁净度。
消毒灭菌则通过使用紫外线、热气等方法对设备和环境进行消毒,杀灭潜在的细菌和真菌。
全封闭灌装则是指在整个灌装过程中保持设备和产品的密封,避免外部空气和微生物的污染。
利乐灌装机无菌系统通过多种技术手段确保产品的无菌状态,保证产品的安全和质量。
在未来,随着无菌技术的不断发展和完善,利乐灌装机无菌系统将更加有效地保障产品的无菌状态,为食品和药品产业的发展提供有力保障。
2. 正文2.1 无菌技术的重要性无菌技术在食品、药品、医疗器械等领域具有非常重要的作用,其重要性主要体现在以下几个方面:无菌技术可以有效预防微生物污染,保障产品的质量和安全。
在食品生产中,如果产品被微生物污染,不仅会降低产品的品质,还可能对消费者的健康造成危害。
通过无菌技术可以确保食品的无菌状态,延长产品的保质期,保障消费者的健康。
无菌技术可以提高生产效率,降低生产成本。
在医疗器械生产中,如果产品在生产过程中受到微生物污染,可能需要进行重新消毒或重新包装,导致生产流程被打断,生产效率低下。
而通过无菌技术可以避免这种情况的发生,提高生产效率,降低生产成本。
无菌技术有助于避免交叉感染,保护医护人员和患者的健康。
在医疗领域,如果手术器械或医疗用品受到微生物污染,可能导致患者术后感染,严重的情况甚至可能危及患者的生命。
利乐分厂标准作业规范版本A0页次2/135.1.2作业程序5.1.2.1生产前准备工作确认开机所需的各种原物料如:双氧水、液压油、润滑油、油墨、酒精、PP条、包材等是否准备就绪。
5.1.2.2开机前检查A、确认与灭菌机管道的正确连接。
B、打开进水阀检查水压是否在3-4.5bar。
C、打开空气进入阀检查气压是否在6-7bar。
D、打开蒸汽阀检查压力是否不低于1.7bar。
E、检查液压油、润滑油液位是否不低于油缸的1/3液位。
F、检测H2O2浓度在30-50%之间。
G、检查水压积蓄器的水压是否达到0.5bar.H、打开总电源开关,按动面板警视测试按钮检查面板所有警视灯是否都能发光。
I、检查面板包装计数器是否归零。
5.1.2.3上检查均符全合要求后将操作面板上的选择开关转向左,按动程序上“预热I”定光。
利乐分厂标准作业规范版本A0页次3/135.1.2.4手动打开排水阀排放清洗管内水后关闭。
5.1.2.5开始更换管道,首先移走产品管,装上清洗回流管盖子,提升清洗杯用临近开关切断支路,松开螺母取下清洗附件。
5.1.2.6移走清洗管,检查垫圈是否完好无损,安上无菌空气管,装上产品管。
5.1.2.7拆卸进入清洗管,将弯管接至无菌空气管。
5.1.2.8关闭所有安全门和盖,按动警视复位钮关掉“安全监视”信号灯。
5.1.2.9打开上无菌室门,转开折痕辊,将包材从导向上拉下穿过无菌室,转回折痕辊关上无菌室门。
5.1.2.10打开下无菌室,打开分开成形环,让卷筒纸正确通过分开成形环后关上分开的成形环并将卷筒纸拉至下成形环。
5.1.2.11关上下无菌室门,按动警视复位钮。
5.1.2.12转开光电池,取下下填料管检查浮动器是否自由转动,再将下填料管正确装回。
5.1.2.13检查流量指示器上的LED(0%)及停车LED是否发光。
5.1.2.14将包材下拉至夹爪,用干布或酒精擦净光电池镜面后转回到生产位置。
利乐分厂标准作业规范版本A0页次4/135.1.2.15将选择开关转向左,按机器渐动按钮直至夹爪将包材拉下。
利乐灌装机的工作原理
利乐灌装机是一种用于对利乐包装产品进行自动灌装的机器。
其工作原理主要包括以下几个步骤:
1. 利乐包装产品装置:利乐包装产品通过供应器装置进入到利乐灌装机中。
2. 灌装阀门:利乐灌装机中配备有多个灌装阀门,每个阀门分别负责一个利乐包装产品进行灌装。
3. 灌装量调节:通过调节灌装阀门的开闭程度,可以控制每个利乐包装产品的灌装量。
4. 自动控制系统:利乐灌装机配备有自动控制系统,可以设定所需的灌装量和灌装速度。
5. 灌装过程:当利乐包装产品通过供应器装置进入到灌装阀门中后,阀门会自动开启,将利乐包装产品灌装到包装容器中。
6. 封口:在灌装完成后,包装容器会经过封口装置进行密封,确保产品的新鲜度和质量。
7. 出口装置:灌装完成的利乐包装产品通过出口装置排出到下一个工序或包装箱中。
总结:利乐灌装机通过灌装阀门和自动控制系统,将利乐包装产品按照设定的灌装量和速度进行自动灌装,最后经过封口装
置和出口装置完成整个灌装过程。
这样有效提高了生产效率和产品的质量控制。
TBA/19灌装机操作规程伊利○R一.TBA/19灌装机技术数据如下:1.压力:⑴.压缩空气压力:0.6-0.7Mpa ⑵.冷却水压力:0.3-0.45Mpa ⑶.热水压力:0.3-0.45Mpa⑷.蒸汽压力:170-200Kpa ⑸.产品压力:0.5-3.5bar ⑹.无菌空气压力:25-35Kpa⑺挤压滚筒压力:0.3Mpa ⑻纵封压力:2.5-4.0Kpa⑼短停纵封压力:2.0-2.5Kpa⑽光电池保护气压力:10-30Kpa ⑾喷注杯空气压力:0.3Mpa ⑿扣勾横封液压压力:9.2-10.2Mpa⒀切割压力:8.0-9.0Mpa ⒁图案校正气缸压力:0.2-0.3Mpa ⒂折叠密封压力:150-200Kpa ⒃水压积蓄器压力:≥0.5bar(启动时冷却机器,提高水浴沸点,防止结垢)⒄调节阀I/P传感器压力:预热0.1bar 消毒 2.0bar 清洗 3.5bar 生产0.8bar⒅生产中测定无菌室及双氧水槽中正负压分别是:20-35mmH2O –5-0mmH2O1Mpa=1000Kpa=10bar2.温度:⑴.热水:60-75℃(外部清洗)⑵.消毒槽水预热:85℃⑶.消毒槽水:80℃⑷.消毒槽双氧水:74-76℃⑸.空气加热器:360℃⑹.空气加热器预热:400℃⑺.管封(基本设定):280℃⑻.纵封(基本设定):380℃通常400℃左右⑼.气刀温度:125-130℃⑽.预消毒:生产前270 ℃生产中120-135℃⑾.输入蒸汽温度:120-140℃⑿.内封条拼接温度(基本设定):190℃⒀.空调基本要求:28-35℃⒁.包材拼接温度:190-210℃3.流量⑴.左右夹爪冷却水流量:≥0.7L/min ⑵.恒流阀:3.8L/min ⑶.产品回流量:10%⑷.清洗流量:≥8000L/h(2.2-3.5bar)4.其它⑴.H2O2浓度:35%-50%⑵.清洗剂用量:0.8L-1L(外部清洗)⑶.H2O2用量:0.7-1.2L/h ⑷.产品温度:5-50℃⑸.环境温度:15-30℃⑹.润滑油耗量:0.01L/h ⑺.冷却水耗量(无循环):10L/min⑻.产品最大颗粒:600μm(横封) ⑼.蒸汽流速:2.4Kg/h ⑽.H2O2 PH 值:2-4(酸性强氧化)二.开机前准备:(按接班停机,直接接班另附)1.在CIP时进行项目⑴. 了解TBA及UHT停机时间和方式,本班做何种产品,阅上两班生产记录,询问生产情况记录遗留问题及注意事项,在头脑中安排好遗留问题的解决方法和时间,以便灵活掌握清洗时间。
TBA19型利乐无菌灌装机杀菌TBA19型利乐机用的封闭式灭菌系统,与敞开式灭菌系统比较,封闭式灭菌系统最的特点建立了无菌室,包装材料在无菌室内的双氧水浴槽内灭菌,并不需要润滑剂,从而提高了灭菌操作的安全性,另外,该系统增加了包装材料自动拼接系统,使包装材料速度得到提高,同时提高了,包装容积范围的适应性,实践证明在保证包装材料完全无菌反面,本系统是一种安全有效的方法。
1.包装材料的灭菌是在无菌空气所产生的正压而形成的无菌环境下进行的。
另外灌装机中用于进行灌装的无菌区域是很小的,并且只有少量的移动部件,从而保证设备具有更好的完整性,灭菌时,包装材料由一系列轴轮引导和传送上升到纵封贴条器,纵封贴条经加热黏合到包装纸纵边一侧,随后进入双氧水浴槽,菌后的包装材料在无菌室内形成纸管,为保证无菌室不受外界污染,在工作中无菌室一直通有保持正压的无菌空气。
2.无菌室是有不锈钢制成封闭空间,其内装有双氧水浴槽,挤压轴轮,无菌空气喷射器(气刀)导向轮等部件,灭菌是通过双氧水合无菌热空气联合实现的,首先将空气加热到380度以上,然后又体积35%的液态双氧水喷入无菌室内瞬时蒸发,无菌空气和双氧水的混合气体进入无菌室,造成了封闭式无菌环境。
凝结于无菌室内表面的双氧水,一部分流回双氧水槽内,一部分被无菌空气干燥,从而完成了无菌室灭菌的过程。
3.为保证包装材料的灭菌效果,通过加热器保持双氧水槽内的双氧水的温度在70-78%范围之内,包装材料在双氧水中侵泡的时间有包装速度和双氧水液面高度决定的,实际生产中,其侵泡时间为7S左右,双氧水的体积分数以般保持在25-35%,在这种温度,浓度,时间的条件下,对嗜热脂肪孢杆菌的灭菌效果值达到5-7.4.经过双氧水浴槽的包装材料由一对挤压力为(270-330)kpa的挤压轴轮,除去残留的双氧水,再有无菌空气喷射器(气刀)喷出压力位25-35kpa,温度为125度左右的无菌空气将其表面干燥,这样,既保证了残留在包装材料表面上的双氧水含量降低到最低,同时提高了灭菌效果,包装纸再向下经导轮,成形环等部件后形成纸管,最后到达灌装和横封区域。
利乐灌装机abc阀的工作原理下载温馨提示:该文档是我店铺精心编制而成,希望大家下载以后,能够帮助大家解决实际的问题。
文档下载后可定制随意修改,请根据实际需要进行相应的调整和使用,谢谢!并且,本店铺为大家提供各种各样类型的实用资料,如教育随笔、日记赏析、句子摘抄、古诗大全、经典美文、话题作文、工作总结、词语解析、文案摘录、其他资料等等,如想了解不同资料格式和写法,敬请关注!Download tips: This document is carefully compiled by the editor. I hope that after you download them, they can help you solve practical problems. The document can be customized and modified after downloading, please adjust and use it according to actual needs, thank you!In addition, our shop provides you with various types of practical materials, such as educational essays, diary appreciation, sentence excerpts, ancient poems, classic articles, topic composition, work summary, word parsing, copy excerpts, other materials and so on, want to know different data formats and writing methods, please pay attention!利乐灌装机abc阀的工作原理一、概述利乐灌装机是一种广泛应用于各种液体产品灌装的设备,其中的abc阀是整个灌装机的关键部件之一。