船体结构、流水孔、透气孔、通焊孔CB3184-83
- 格式:pdf
- 大小:529.06 KB
- 文档页数:6
船体强力构件开孔及补强前言1 范围本标准规定了船体强力构件上的区域分类,开孔及补强。
本标准适用于管系、电缆穿过船体强力构件时的开孔及补强。
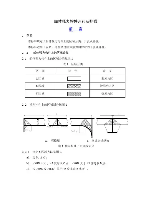
22船体强力构件上的区域分类2.1 船体强力构件上的区域分类见表1表1 区域分类2.2 横向构件上的区域划分按图1a. 强横梁b. 横梁穿过纵桁图1 横向构件上的区域划分2.2.1 决定B区域方法见图2。
a).定O、A点;b). ∠OAB不大于45度时取C点,∠OAB 大于45度时取B点;c). 按∠OBE或∠OCE’等于45度来定E或E’。
图2 决定B区域方法2.3 纵强度构件的区域划分见图3。
a. 纵骨b. 纵通制水板c. 纵通桁材图3 纵强度构件的区域划分2.4 平板龙骨上部肋板的区域划分见图4,α取值按2.2.1。
图4 平板龙骨上部肋板的区域划分2.5 支柱端部构件的区域划分见图5。
肘板图5 支柱端部构件的区域划分2.6 防挠材、肘板构件的区域划分见图6。
a. 防挠材b. 肘板a. 圆弧连接b. 肘板连接图7 肋板端部的区域划分2.8 隔离舱内腹板的区域划分见图8。
图8 隔离舱内腹板的区域划分2.9 中心线桁材端部的区域划分见图9。
图9 中心线桁材端部的区域划分3. 开孔3.1 开孔一般要求3.1.1 C区域应避免开孔,如必须开孔时,应对材料性质、周围状况、负荷大小作充分考虑,以决定开孔位置、尺寸和补强方法。
3.1.2 A区域及B区域开孔允许值按表1,表1中开孔尺寸符号见图10。
表1 开孔允许值孔高b/型材高hA区域 B区域构件名称及部位不补强 补强 不补强 补强货油舱 a)0.2 >0.2b)≤0.5a)0.1>0.1 b)≤0.25货物舱、机舱、除货油舱以外的其他舱 0.25>0.25≤0.50.125>0.125≤0.25桁材居住区、露天甲板 0.33 >0.33≤0.50.165>0.165≤0.25船中0.75L外,中纵桁材 0.4 >0.4≤0.50.2>0.2≤0.25实肋板、 双层底内旁桁材、 各种隔板 0.5>0.5≤0.66___ ___a) b≤300;b) b≤600。
船体结构开孔原则船体室编制1.适用范围本标准规定了船体结构开孔(含开口、切口)及管子、电缆在船体结构上开孔的规则和补强形式。
本标准适用于船长≥65m的钢质海船,其它类型的船舶可参照使用。
本标准适用于扬帆集团所有分公司2.引用规范或标准引用了中 国 船 级 社《钢质海船入级规范》〔2006〕中规定的条款;引用了中华人民共和国船舶行业标准《中国造船质量标准》〔2005〕中规定的条款;本文参照并引用了海外高桥造船有限公司Q/SWS 52-014-2003《船体强力构件开孔及补强》的企业标准;并结合本公司的实际施工情况编制而成。
上列规范和标准所包含的条款,通过在本文中引用,而构成为本文的条文。
本文出版时,所示版本均为有效。
但所有规范和标准都会被修订,因此在使用本文时,各方应探讨使用上列规范和标准最新版本的可能性。
3.开孔的类型在船体结构上常开有以下类型的孔:流水孔、透气孔、止漏孔、贯穿切口(或称贯穿孔)、人孔、减轻孔、过焊孔、止裂孔、工艺孔、舱口开孔、塞焊孔、锚穴孔、海底门开孔、电缆孔、管子孔4.结构类型在船体中,船体结构可以分为三类:次要类,主要类,特殊类,在主要类与特殊类结构上开孔需要注意, 且尽量少开孔.次要类⑴ 纵舱壁板,除主要类要求者外⑵ 露天甲板板,除主要类和特殊类要求者外⑶ 舷侧板次要构件: 一般是指板的扶强构件, 如肋骨、纵骨、横梁、舱壁扶强材、组合肋板的骨材等主要类⑴ 船底板,包括平板龙骨⑵ 强力甲板板,不包括特殊类要求的甲板板⑶ 强力甲板以上的纵向连续构件,不包括舱口围板⑷ 纵舱壁最上一列板⑸ 垂直列板( 舱口纵桁) 和顶边舱的最上一列斜板主要构件: 船体的主要支撑构件称为主要构件, 如强肋骨、舷侧纵桁、强横梁、甲板纵桁、实肋板、船底桁材、舱壁桁材等。
特殊类⑴ 强力甲板处的舷侧顶列板⑵ 强力甲板处的甲板边板⑶ 在纵舱壁处的甲板列板(不包括双壳船在内壳纵舱壁处的甲板板)⑷ 集装箱船和其他有类似舱口的船舶在货舱口角隅处与舷侧之间的强力甲板板⑸ 散货船、矿砂船、兼用船及其他有类似舱口的船舶在货舱口角隅处的强力甲板板⑹ 舭列板⑺ 长度超过0.15L 的纵向舱口围板(8) 纵向货舱舱口围板的端肘板和甲板室过渡5.开孔原则5.1 所有结构上的开口应尽量避开应力集中区域,如无法避开时应作相应的补偿,开口的角隅处均应有良好的圆角。
1船体结构开孔及补强规则1 范围本标准规定了船体构件上的应力区域,船体结构开孔(含开口、切口)规则及补强形式。
本标准适用于钢质海船(船长≥建造过程中管系、电缆穿过船体构件时的开孔规则及补强形式,其它类型船舶及海上工程设施可参照执行。
2. 船体结构开孔规则 2.1 开孔基本原则2.1.1 开孔形状一般为圆形或腰圆形,孔长轴应沿结构跨度方向或船长方向布置,如需矩形开孔时,其四角需有足够大的圆角,圆角半径R≥h/8(h 为孔高)且R≥30。
2.1.2 开孔应远离流水孔、透气孔、减轻孔、人孔、型材贯穿孔等。
2.1.3 开孔边缘应光顺,无影响强度的缺口。
2.1.4 在强构件腹板上开孔时,其开孔位置应尽可能设置在构件的中和轴处或偏近骨架带板(即甲板、壁板或外板)一边,避免在近面板处开孔。
2.1.5 所有肋板、旁桁材上均应开人孔; 所有肋板、旁桁材、纵骨均应有适当的流水孔、透气孔,并应考虑泵的抽吸率;除轻型肋板外,开孔的高度应不大于该处双层底高度的50%, 否则应予加强。
各肋板开孔位置在船长方向应尽量按直线排列, 以便利人员出入。
在肋板的端部和横舱壁处的1 个肋距内的旁桁材上, 不应开人孔和减轻孔, 否则开孔边缘应予加强,肋板及旁桁材在支柱下的部分一般不应开孔, 否则应作有效加强。
2.1.6 船中0.75L 区域内双层底中桁材不允许开孔,特殊情况下必须开孔时,应予以有效加强;船中0.75L 以外中桁材上开孔高度不应大于该处中桁材高度的40%。
2.1.7高强度钢构件尽量少开孔,若开孔应采用圆形或腰圆形。
2.1.8开孔边缘不要靠近板缝,至少离开50mm; 开孔与板缝相交时,孔边缘离板缝不小于75mm,孔中以全部开孔的最大外轮廓尺寸作为开孔计算的宽度和长度,密集小孔可扩为一腰圆孔。
2.1.10 开孔总长度不能超过0.6肋距(或0.6纵骨间距),开孔应分散,不能同时密集在邻近的肋距(或纵骨间距)内。
2.1.11在船舯0.5L 区域内的强力甲板上开孔,其圆角半径为开口宽度的1/24(Rmin≥300mm)。
CB* 3183—83 船体结构型材端部形状
组别:17
代替CB 479—66 本标准适用钢质船体结构。
1型材端部覆板和面板都切斜,型式和尺寸按表1。
表1
4型材端部不切斜,型式和尺寸按表4。
表4
5使用本标准时,应在产品图纸附注中写明:“型材端部形状按CB*3183—83”。
6使用本标准时,除了如表1~表4,在产品图纸平面图型材的两端直接注出型材端部形状的代号外,也可在型材的剖面图(即型材的正视图)上型材的两端注出表示型材端部形状的代号(尺寸可省略)。
7本标准中出现WC为通焊孔符号,祥见CB*3184—83《船体结构流水孔、透气孔、通焊孔》标准。
8油船中特殊的端部形状另列标准。
GB/T 3894.2—1983船舶布置图图形符号舱室家具GB/T 3894.3—1983船舶布置图图形符号生活卫生设备GB/T 3894.4—1983船舶布置图图形符号航行设备、灯具及修理间设备GB/T 3894.5—1983船舶布置图图形符号梯及舷墙GB/T 3894.6—1984船舶布置图图形符号救生设备GB/T 3894.7—1983船舶布置图图形符号系泊设备GB/T 3894.8—1985船舶布置图图形符号甲板机械GB/T 3894.9—1986船舶布置图图形符号起货设备GB/T 4273—2000分节驳术语GB/T 4299—1984船舶通风系统图形符号 GB/T 4476.1—1984金属船体制图一般规定GB/T 4476.2—1984金属船体制图图形符号GB/T 4476.3—1984金属船体制图图样画法及编号GB/T 4476.4—1984金属船体制图尺寸注法GB/T 6383—1986振动空蚀试验方法 GB/T 7094—2002船用电气设备振动(正弦)试验方法GB/T 7386.1—1987船舶起居舱室的尺度协调尺度协调的原则GB/T 7386.2—1987船舶起居舱室的尺度协调控制尺度及元件定位GB/T 7386.3—1987船舶起居舱室的尺度协调元件和组件尺寸的选择及组装GB/T 7386.4—1987船舶起居舱室的尺度协调主要家具设备的协调尺寸GB/T 7391—2002海洋调查船术语 GB/T 7452.1—1996商船振动综合评价基准GB/T 7452.2—1996船长小于100m商船振动综合评价基准GB/T 7453—1996船体振动测量GB/T 7727.1—1987船舶通用术语综合GB/T 7727.2—1987船舶通用术语总体设计 GB/T 7727.3—1987船舶通用术语性能GB/T 7727.4—1987船舶通用术语船体结构、强度及振动GB/T 7727.5—1991船舶通用术语船舶环境 GB/T 8241—1987船舶舱室设备术语 GB/T 8242.1—1987船体设备术语船用装置 GB/T 8242.2—1987船体设备术语系船设备 GB/T 8242.3—1987船体设备术语舱面属具 GB/T 8242.4—1987船体设备术语救生设备 GB/T 8839—1988水泥船术语GB/T 8843—2002工程船术语GB/T 11874—1989船用门和窗开启方向和符号标志GB/T 12466—1990船舶及海洋工程腐蚀与防护术语GB/T 12900—1991船舶通用术语船用材料GB/T 12923—1991船舶工艺术语修、造船设施GB/T 12924—1991船舶工艺术语船体建造工艺GB/T 12925—1991船舶工艺术语安装工艺H GB/T 12926—1991船舶工艺术语船舶建造质量检验GB/T 13146—1991气垫船术语GB/T 13407—1992潜水器与水下装置术语 GB/T 13413—1992船舶通用术语船舶系统GB/T 14090.1—1993海上油气开发工程术语综合GB/T 14090.2—1993海上油气开发工程术语平台GB/T 14090.3—1993海上油气开发工程术语单点系泊装置和定位系统GB/T 14090.4—1993海上油气开发工程术语海底管道GB/T 15094—1994船舶工艺术语修船工艺 GB/T 15095—1994游艇术语GB/T 16694—1996造船通风系统图识别颜色GB/T 16695—1996造船球鼻艏和侧推器符号 GB/T 16696—1996小艇艇体标识代码GB/T 17383—1998造船及海上结构物挖泥船分类GB/T 17384—1998造船及海上结构物窗和舷窗词汇GB/T 17385—1998造船船舶主尺度计算机应用的术语及定义GB/T 17724—1999造船管路系统信息传递 GB/T 17843—1999造船及海上结构物挖泥船术语GB/T 552—1996铸造锚链钢 GB/T 3108—1999船体外加(wàijiā)电流阴极保护系统GB/T 4948—2002铝、锌、铟系合金牺牲阳极 GB/T 4950—2002锌、铝、镉合金牺牲阳极HJ GB/T 5482—1993金属材料动态撕裂试验方法 GB/T 6384—1986船舶及海洋工程用金属材料在天然环境中的海水腐蚀试验方法GB/T 7387—1999船用参比电极技术条件 GB/T 7388—1999船用辅助阳极技术条件GB/T 7788—1987船舶及海洋工程阳极屏涂料通用技术条件GB/T 7789—1987船舶防污漆防污性能动态试验方法GB/T 7790—1996防锈漆耐阴极剥离性试验方法 GB/T 7791—1987自抛光防污漆降阻性能试验方法圆盘转矩法GB/T 10671—1989固体材料产烟的比光密度试验方法GB/T 10834—1989船舶漆耐盐水性的测定盐水和热盐水浸泡法GB/T 13147—1991铜与铜合金复合钢板焊接技术条件GB/T 13148—1991不锈钢复合钢板焊接技术条件GB/T 13149—1991钛及钛合金复合钢板焊接技术条件GB/T 13671—1992不锈钢缝隙腐蚀电化学试验方法GB/T 14528—1993船舶涂料修补性能测定法H GB/T 14616—1993机舱舱底涂料通用技术条件 GB/T 15748—1995船用金属材料电偶腐蚀试验方法GB/T 16168—1996海洋结构物大气段用涂料加速试验方法GB/T 17435—1998船用电解海水防污装置设计和安装GB/T 17556—1998船用电力和通信电缆护套材料GB/T 17557—1998船用电力电缆绝缘材料 GB/T 17848—1999牺牲阳极电化学性能试验方法GB/T 13288—1991涂装前钢材表面粗糙度等级的评定 (比较样块法)GB/T 17725—1999造船船体型线船体几何元素的数字表示GB/T 17842—1999造船及海上结构物计算机应用符号GB/T 4949—1985铝锌铟系合金牺牲(xīshēng)阳极化学分析方法GB/T 4951—1985锌铝镉合金牺牲阳极化学分析方法GB/T 4451—1984工业自动化仪表振动 (正弦) 试验方法GB/T 17872—1999江海直达货船船型系列 GB/T 18181—2000三峡枢纽过坝货船(队)尺度系列GB/T 11575—1989海洋运输船舶机修设备配备基本定额GB/T 14696—1993船舶振动测量规程 GB/T 14697—1993船舶局部振动测量规程 GB/T 3471—1995海船系泊及航行试验通则 GB/T 11576—1989中小型船舶压缩空气、舱底水、淡水及卫生水系统自动控制装置试验方法GB/T 2884.1—1996长江水系分节驳船型尺度系列长江3000吨级分节驳船型尺度GB/T 2884.2—1996长江水系分节驳船型尺度系列长江2000吨级分节驳船型尺度GB/T 2884.3—1996长江水系分节驳船型尺度系列长江中下游干支直达和水运网1000吨级分节驳船型尺度GB/T 2884.5—1996长江水系分节驳船型尺度系列长江中下游干支直达和水运网500吨级分节驳船型尺度GB/T 2884.7—1996长江水系分节驳船型尺度系列长江中下游干支直达和水运网300吨级分节驳船型尺度GB/T 2884.8—1996长江水系分节驳船型尺度系列长江支流200吨级分节驳船型尺度GB/T 2884.9—1996长江水系分节驳船型尺度系列长江支流100吨级分节驳船型尺度GB/T 2884.12—1996长江水系分节驳船型尺度系列长江中下游干支直达和水运网400吨级分节驳船型尺度GB/T 3221—1996柴油机动力内河船舶系泊和航行试验大纲GB/T 4964—1985内河航道及港口内船舶辐射噪声的测量GB/T 6298—1986钢丝网水泥船舶体质量要求 GB/T 7312—1987钢丝网水泥船检验方法GB/T 11631—1989潜水器和水下装置耐压结构制造技术条件GB/T 11632—1989潜水器和水下装置耐压结构材料技术条件GB/T 12302—1990钢筋混凝土船船体质量要求和检验方法GB/T 13412—1992赛艇、皮艇、划艇(huá tǐnɡ)及其附件技术条件GB/T 14205—1993玻璃纤维增强塑料养殖船H GB/T 15627—1995水泥船船体制图GB/T 545—1996海军锚 GB/T 546—1997霍尔锚GB/T 547—1994锚卸扣GB/T 548—1996锚技术条件GB/T 549—1996电焊锚链 GB/T 553—1983锚链涂漆和标志 GB/T 554—1996带缆桩GB/T 558—1983带缆桩技术条件GB/T 10101—1988浮筒卸扣GB/T 10829—1998尾翼锚 GB/T 11579—1989轻量型锚GB/T 11580—1989小艇锚链 GB/T 11586—1989巴拿马运河导缆孔 GB/T 14526—1993船用转环卸扣 GB/T 4445—1994救生艇绞车 GB/T 4446—1995系泊绞车 GB/T 4447—1992海船用起锚机和起锚绞盘GB/T 4555—1995船用绞盘GB/T 6918—1986手动起锚机及起锚绞盘 GB/T 7185—2002内河船液压舵机 GB/T 7389—1987船用起货绞车GB 11626—1989救助艇绞车 GB/T 11869—1989远洋船用拖曳绞车 GB/T 12932—1991船用臂架起重机 GB/T 1944—1980船用轻型吊货杆 GB/T 10102—1988造船船载驳系列3通风系统主要配合尺寸GB/T 10103—1988船用千斤索掣索器 GB/T 11577—1989船用集装箱紧固件GB/T 11578—1989圣劳伦斯航道登岸吊杆 GB/T 12927—1991船用起货设备检验规则和试验方法GB/T 14361.1—1993船用纤维索滑车木壳滑车GB/T 14361.2—1993船用纤维索滑车铁壳滑车GB/T 14655—1993滚装船与岸联接的基本规定 GB/T 16956—1997船用集装箱绑扎件GB/T 13409—1992船舶起居处所空气调节与通风设计参数和计算方法GB/T 1391—1987活动踏步钢质舷梯GB/T 1392—1985舷梯绞车GB/T 1393—1987舷梯翻梯装置 GB/T 1394—1987舷梯吊架 GB/T 3477—1996船用风雨密单扇钢质门 GB/T 5746—2001船用普通矩形窗 GB/T 9910—1988船用外部单扇门门框通孔HJGB/T 10841—1989船用号型 GB/T 11701—1989船用舷梯的基本规定 GB/T 14356—1993船用舷窗定位GB/T 14357—1993船用普通矩形窗定位GB/T 14360—1993固定弧形踏步铝质舷梯 GB/T 14362—1993铝质舷梯翻梯装置 GB/T 14413—1993船用舷窗 GB/T 17434—1998船用耐火窗技术条件 GB 3107.1—1991船用烟火信号通用技术条件GB 3107.2—1991船用红光降落伞信号 GB 3107.3—1991船用红星火箭信号 GB 3107.4—1991船用手持白光火焰信号 GB 3107.5—1991船用白光降落伞信号 GB 3107.6—1991船用声响榴弹信号 GB 3107.7—1991船用声响火箭信号GB 3107.8—1991船用橙色烟雾信号 GB 3107.9—1991船用手持红光火焰信号 GB 3107.10—1991救生圈用自亮浮灯及橙色烟雾组合信号GB 4302—1984救生圈GB 4303—1984船用救生衣GB 4541—1991救生圈用自亮浮灯GB 4542—1991船用绿星火箭信号GB 4543—1991救生圈用橙色烟雾信号 GB/T 5869—1986救生衣灯GB 11573—1989全封闭救生艇技术条件 GB 12757—1991救生保温用具GB 13406—1992吊艇架装置技术条件 GB 14035—1993内河船舶救生浮具睡垫枕头坐垫GB/T 14355—1993开敞式救生艇技术条件 GB/T 14651—1993部分封闭救生艇技术条件GB/T 16167—1996救生艇壳体玻璃纤维增强塑料层合板技术条件GB/T 16302—1996自由降落救生艇技术条件 GB/T 16303—1996自由降落救生艇降放装置技术条件GB/T 11686—2002小艇厕所废水集存系统 GB/T 11702—1989小艇污水接头 GB/T 14652.1—2001小艇耐火燃油软管 GB/T 14652.2—2001小艇非耐火燃油软管GB/T 17726—1999小艇电气装置防止点燃周围可燃性气体的保护GB/T 17844—1999小艇遥控操舵系统 GB/T 17845—1999小艇功率15~40kW舷外挂单机遥控操舵系统GB/T 17846—1999小艇电动舱底泵 GB/T 17847—1999小艇电动风机GB/T 18571—2001小艇舷外机便携式燃油系统GB/T 18572—2001小艇舷外机的静推力测定 GB/T 18573—2001小艇电气装置避雷保护GB/T 18814—2002小艇电气系统交流装置GB/T 18815—2002机动小艇操舵部位的视野 GB/T 18821—2002小艇液化石油气(LPG)系统 GB/T 18822—2002艇体长度小于8m的小艇最大推进额定功率的确定 GB/T 10836—1989船用焚烧炉技术条件 GB/T 11037—2000船用辅锅炉及受压容器强度和密性试验方法GB/T 11038—2000船用辅锅炉及受压容器受压元件焊接技术条件GB/T 13414—1992船用废气锅炉技术要求 GB/T 14649—1993船用辅锅炉机组性能试验规范GB/T 14650—1993船用辅锅炉通用技术条件 GB/T 13408—1992海船机舱机械设备备件定额 GB/T 14087—1993船用空气瓶安全阀 GB/T 14358—1993舰船饮用水净化器 GB/T 18816—2002船用热交换器通用技术条件 GB/T 2497—1993船用柴油机增压空气冷却器GB/T 3475—1983船用柴油机调速系统技术条件 GB/T 3476—1983船用柴油机调速系统试验方法 GB/T 5741—1985船用柴油机排气烟度测量方法 GB/T 6301—1986船用柴油机燃油消耗率测定方法GB/T 6302—1986船用柴油机热工参数的测量GB/T 7028—1986船用柴油机空气冷却器试验方法GB 8840—1988船用柴油机排气烟度限值 GB/T 9911—1988船用柴油机辐射的空气噪声测量方法GB/T 11868—1996救生艇用柴油机组 GB 11871—1989船用柴油机辐射的空气噪声限值GB/T 13410—1992船用柴油机涡轮增压器技术条件GB/T 14363—1993柴油机机油消耗测定方法GB/T 15097—1994船用柴油机排气排放污染物测量方法GB/T 4795—1999船用舱底油污水分离装置 GB/T 5745—2002船用碟式分离机GB/T 8413—1996CZY型船用自吸离心式油泵GB/T 10831—1989船用电动单螺杆泵 GB/T 10832—1989船用离心泵、旋涡泵通用技术条件GB/T 10833—1989船用生活污水处理系统技术条件GB/T 11034—1989船用电动往复泵 GB/T 11035—1989船用电动双螺杆泵 GB/T 11705—1989船用电动三螺杆泵试验方法 GB/T 11706—1989船舶机舱辅机振动烈度测量方法GB/T 11715—1989原油洗舱机GB 11799—1989船用防爆离心通风机 GB 11800—1989船用防爆轴流通风机 GB/T 11864—1989船用轴流通风机 GB/T 11865—1989船用离心通风机GB/T 11866—1989船用后向式离心通风机 GB/T 12917—1991油污水分离装置GB/T 12918—1991油船排油监控系统技术条件GB/T 12921—1991船用油水界面探测器技术条件GB/T 12928—1991船用中压活塞式空气压缩机 GB/T 12929—1991船用高压活塞式空气压缩机 GB/T 12930—1991潜水装具用高压活塞式空气压缩机技术条件GB/T 12933—1991船用低压活塞式空气压缩机 GB/T 12934—1991船舶控制设备用无油空气压缩机技术条件GB/T 14359—1993船用应急活塞式空气压缩机 GB/T 15168—1994振动与冲击隔离器性能测试方法GB/T 16301—1996船舶机舱辅机振动烈度评价GB/T 17728—1999浮油回收装置GB/T 2496—1996弹性环联轴器 GB/T 10098—1988船用中速柴油机齿轮箱技术条件GB/T 11572—1989船用齿轮箱台架试验方法H GB/T 12916—1991船用金属螺旋桨技术条件H GB/T 12922—1991弹性阻尼簧片联轴器 GB/T 13411—1992船用可调螺距螺旋桨技术条件GB/T 13436—1992扭转振动测量仪器技术要求 GB/T 13437—1992扭转振动减振器特性描述 GB/T 14364—1993船舶轴系滑动式中间轴承H GB/T 14527—1993复合阻尼隔振器和复合阻尼器GB/T 14653—1993挠性杆联轴器 GB/T 14654—1993弹性阻尼簧片减振器 GB/T 15141—1994湿式离合器摩擦元件试验方法GB/T 16305—1996扭转振动减振器 GB/T 600—1991船舶管路阀件通用技术条件H GB/T 3032—1989船舶管路附件的标志 GB 3033—1982船舶管路和识别符号的油漆的颜色GB/T 4791—1984船舶管路附件图形符号 GB/T 11698—1989船用法兰连接金属阀门的结构长度GB/T 12777—1999金属波纹管膨胀节通用技术条件GB/T 584—1999船用法兰铸钢截止阀 GB/T 585—1999船用法兰铸钢截止止回阀 GB/T 586—1999船用法兰铸钢止回阀 GB/T 587—1993船用法兰青铜截止阀GB/T 588—1993船用法兰青铜截止止回阀GB/T 589—1993船用法兰青铜止回阀 GB/T 590—1993船用法兰铸铁截止阀GB/T 591—1993船用法兰铸铁截止止回阀 GB/T 592—1993船用法兰铸铁止回阀 GB/T 594—1983船用外螺纹锻钢截止阀 GB/T 595—1983船用外螺纹青铜截止阀 GB/T 596—1983船用外螺纹青铜截止止回阀H GB/T 597—1983船用外螺纹青铜止回阀 GB/T 1241—1983船用外螺纹锻钢截止止回阀 GB/T 1850—1984船用外螺纹重块式快关阀HJ GB/T 1852—1993船用法兰铸钢蒸汽减压阀HJ GB/T 1853—1994船用法兰铸钢舷侧截止止回阀 GB/T 1854—1993船用法兰铸铁单排吸入截止阀箱GB/T 1855—1993船用法兰铸铁单排吸入截止止回阀箱GB/T 1856—1993船用法兰铸铁单排排出截止阀箱GB/T 1951—1984船用低压外螺纹青铜截止阀 GB/T 1952—1980船用低压外螺纹青铜止回阀 GB/T 1953—1984船用低压外螺纹青铜截止止回阀GB/T 2029—1980铸钢吸入通海阀 GB/T 2030—1980青铜吸入通海阀 GB/T 2032—1993船用法兰消火栓GB/T 2499—1993船用法兰铸铁双排截止阀箱 GB/T 3036—1994船用中心型蝶阀GB/T 3037—1994船用双偏心型蝶阀 GB/T 5744—1993船用快关阀GB/T 11691—1989铸钢吸入通海阀(四进位)GB/T 11692—1989青铜吸入通海阀(四进位) GB/T 11696—1996船用铸钢竖形止回阀GB/T 593—1993船用法兰青铜、铸铁填料旋塞 GB/T 598—1980船用外螺纹青铜填料旋塞 GB/T 599—1996船用外螺纹青铜泄放旋塞 GB/T 1560—1979船用通风系统管路和附件的公称通径GB/T 3029—1996船用通风附件技术条件 GB/T 568—1965船用法兰类型GB/T 569—1965船用法兰连接尺寸和密封面 GB/T 2031—1994船用消防接头GB/T 2501—1989船用法兰连接尺寸和密封面 (四进位)GB/T 2502—1989船用法兰软垫圈 (四进位) GB/T 2503—1989船用铸铁法兰 (四进位) GB/T 2504—1989船用铸钢法兰 (四进位) GB/T 2505—1989船用铸铜法兰 (四进位)GB/T 2506—1989船用搭焊钢法兰 (四进位) GB/T 2507—1989船用焊接铜法兰 (四进位) GB/T 2508—1989船用搭焊钢环松套钢法兰 (四进位)GB/T 3009—1982船用防蚀螺塞GB/T 4450—1995船用盲板钢法兰GB/T 5742—1999船用饮水舱注入接头 GB/T 10745—1989船用法兰类型 (四进位) GB/T 10746—1989船用对焊钢法兰 (四进位) GB/T 10747—1989船用对焊钢环松套钢法兰GB/T 10748—1989船用焊接铜环松套钢法兰 (四进位)GB/T 10749—1989船用铜管折边松套钢法兰 (四进位)GB/T 10750—1989船用扁圆形铸铁和铸钢法兰 GB/T 10751—1989船用扁圆形焊接钢法兰 GB/T 10752—1995船用钢管对焊接头 GB/T 11618—1999铜管接头 GB/T 11693—1994船用法兰焊接单面座板 GB/T 11694—1994船用法兰焊接双面座板 GB/T 12465—2002管路松套补偿接头 GB/T 12522—1996不锈钢波形膨胀节 GB/T 14089—1993船用卤代烷灭火装置 GB/T 14414—1993套接式管接头 GB/T 16693—1996软管快速接头GB/T 17727—1999船用法兰非石棉材料垫片 GB/T 6303—1986船用油滤器检验方法GB/T 10844—1989船用电液伺服阀通用技术条件GB/T 12919—1991船用控制气源净化装置 GB/T 12920—1991船用气动系统通用技术条件 GB/T 13342—1992船用往复式液压缸通用技术条件GB/T 13852—1992船用液压控制阀技术条件H GB/T 13853—1992船用液压泵液压马达技术条件GB/T 13854—1992射流管电液伺服阀 GB/T 7357—1998船舶电气设备系统设计保护GB/T 7358—1998船舶电气设备系统设计总则GB/T 10250—1988船舶电气与电子设备的电磁兼容GB/T 12267—1990船用导航设备通用要求和试验方法GB/T 13029.1—1991船舶低压电力系统电缆的选择和敷设GB/T 13029.2—1991船用同轴软电缆选择和敷设GB/T 13029.3—1991船用通信电缆和射频电缆的选择和敷设GB/T 13030—1991船舶电力推进系统技术条件 GB/T 13031—1991电压为 1kV以上至11kV的船舶交流电力系统GB/T 17436—1998船舶危险区域防爆电气设备的选用GB/T 17755—1999额定电压6kV、10kV及15kV挤包绝缘单芯和三芯船用电力电缆GB/T 3594—1983渔船电子设备电源的技术要求 GB/T 11634—2000船用交流低压配电板通用技术条件GB/T 11803—1989船用交流低压配电板结构及基本外形尺寸GB/T 12975—1991船用同步发电机通用技术条件GB/T 12980—1991船舶电站通用技术要求和试验方法GB/T 13032—1991船用柴油发电机组通用技术条件GB/T 13603—1992船舶蓄电池装置GB/T 14548—1993船用半导体变流器通用技术条件GB/T 8355—1987船舶用电动测量和控制仪表通用技术条件GB/T 10319—1988船舶用气动测量和控制仪表通用技术条件GB/T 11633—2000船用机舱集控台通用技术条件GB/T 13602—1992船舶驾驶室集中控制屏(台)技术条件GB/T 14547—1993船舶电动和电动液压操舵装置电气系统设计GB/T 15511—1995海洋船电气自动化系统一般要求GB/T 3027—1995船用白炽照明灯通用技术条件 GB/T 3028—1995船用电气号灯技术条件 GB/T 3898—1983航海磁罗经名词、术语 GB 9193—1988船舶声光报警信号和识别标志GB 12045—1989船用防爆灯技术条件 GB/T 14016—1992船用声光报警信号器通用技术条件GB/T 3895—1983船舶甲板敷料和绝缘材料图形符号GB/T 4300—1994船用陀螺罗经通用技术条件 GB/T 4301—1992船用电磁计程仪通用技术条件 GB/T 5743—1994船用自动操舵仪通用技术条件 GB/T 10104—1995船用B级磁罗经通用技术条件 GB/T 10846—1989船用磁罗经自动操舵仪通用技术条件GB/T 11875—1989船用航向变化率指示器通用技术条件GB/T 11876—1989船用随动操舵仪通用技术条件GB/T 11877—1999船用陀螺罗经组合操舵仪技术条件GB/T 14108—1993船用A级磁罗经通用技术条件 GB 16161—1996中国海区水上助航标志形状显示规定GB/T 11197—1989海上船舶无线电通话标准用语GB 11411—1989发播航行警告、气象信息和紧急信息系统(NAVTEX)技术条件和使用要求GB/T 13704—1992船用广播系统通用技术条件 GB/T 13705—1992船用无线电通信设备一般要求GB/T 13711—1992国际海事卫星A船舶地球站技术要求GB 15304—1994全球海上遇险安全系统(GMDSS)船用无线电通信设备技术要求GB/T 15868—1995全球海上遇险与安全系统(CMDSS)船用无线电设备和海上导航设备通用要求测试方法和要求的测试结果GB/T 18766—2002中文奈伏泰斯(NAVTEX)系统技术要求GB/T 18913—2002船舶和航海技术航海气象图传真接收机GB/T 7965—2002声学水声换能器测量 GB/T 7966—1987声学0.5~10MHz频率范围内超声声功率的测量GB/T 7967—2002声学水声发射器的大功率特性和测量GB/T 8016—1995船用回声测深设备通用技术条件GB/T 16165—1996水听器相位一致性测量方法 GB/T 12931—1991航海六分仪CB 1045-83 P30异径搭焊钢法兰CB 1049-2004 双面传动应急舷侧阀规范CB 1049-83 双面传动应急舷侧阀CB 1060.10-87 钢质船体制造工时定额钻孔铆接CB 1060.1-87 钢质船体制造工时定额放样CB 1060.2-87 钢质船体制造工时定额号料CB 1060.3-87 钢质船体制造工时定额气割CB 1060.4-87 钢质船体制造工时定额冷加工CB 1060.5-87 钢质船体制造工时定额火工CB 1060.6-87 钢质船体制造工时定额装配CB 1060.7-87 钢质船体制造工时定额电焊CB 1060.8-87 钢质船体制造工时定额批凿碳刨CB 1060.9-87 钢质船体制造工时定额密性试验CB 1061.1-87 造船舾装件工时定额制造CB 1061.2-87 造船舾装件工时定额安装CB 1062.1-87 轮机船上安装工时定额高中速柴油主... CB 1062.2-87 轮机船上安装工时定额 RND低速柴油机CB 1062.3-87 轮机船上安装工时定额 B&W低速柴油主机 CB 1062.4-87 轮机船上安装工时定额辅机CB 1062.5-87 轮机船上安装工时定额甲板机CB 1062.6-87 轮机船上安装工时定额轴系CB 1062.7-87 轮机船上安装工时定额锅炉及其附件CB 1063-87 造船管路制造安装工时定额CB 1064-87 造船薄板制品制造安装工时定额CB 1065-87 金属螺旋桨制造工时定额CB 1066.1-87 造船电气设备工时定额动力照明设备安装 CB 1066.2-87 造船电气设备工时定额通讯导航设备安装 CB 1066.3-87 造船电气设备工时定额内场电气钳工CB 1067-87 铅酸蓄电池工时定额CB 1068.1-87 造船木工制造工时定额制造CB 1068.2-87 造船木工安装工时定额安装CB 1069-87 造船涂装工时定额CB 1070-87 造船泥水工时定额CB 1071-87 造船蓬帆工时定额CB 1072.1-88 船用柴油机装配工时定额 SULZER柴油机CB 1072.2-88 船用柴油机装配工时定额 B&W 柴油机CB 1072.3-88 船用柴油机装配工时定额中速柴油机CB 1072.4-88 船用柴油机装配工时定额高速柴油机CB 1073-89 船用柴油机金属结构件制造工时定额CB 1074.1-88 船用柴油机热加工工时定额铸造CB 1074.2-88 船用柴油机热加工工时定额锻造CB 1075-88 船用柴油机机械加工工时定额CB 1076-88 船用柴油机管系制造安装工时定额CB 1077.1-89 特辅机装配工时定额甲板机械CB 1077.2-89 特辅机装配工时定额舱室机械CB 1077.3-89 特辅机装配工时定额特种机械CB 1077.4-89 特辅机装配工时定额液压元件CB 1080.1-89 特辅机武备金属结构件制造工时定额 ... CB 1080.2-89 特辅机武备金属结构件制造工时定额焊接 CB 1081.1-89 特辅机武备热加工工时定额铸造CB 1081.2-89 特辅机武备热加工工时定额锻造CB 1081.3-89 特辅机武备热加工工时定额锻压CB 1081.4-89 特辅机武备热加工工时定额木模CB 1081.5-89 特辅机武备热加工工时定额热处理CB 1081.6-89 特辅机武备热加工工时定额炼钢CB 1082.1-89 特辅机武备机械加工工时定额车工CB 1082.2-89 特辅机武备机械加工工时定额铣工CB 1082.3-89 特辅机武备机械加工工时定额刨工CB 1082.4-89 特辅机武备机械加工工时定额插工CB 1082.5-89 特辅机武备机械加工工时定额磨工CB 1082.6-89 特辅机武备机械加工工时定额钻工CB 1082.7-89 特辅机武备机械加工工时定额镗工CB 1082.8-89 特辅机武备机械加工工时定额齿轮加工CB 1083-89 特辅机武备电镀工时定额CB 1084-89 特辅机电器安装工时定额CB 1085.1-89 仪器仪表制造工时定额有色金属砂型铸造 CB 1085.2-89 仪器仪表制造工时定额钳工、钣金、冲压 CB 1085.3-89 仪器仪表制造工时定额车工磨工铣... CB 1085.4-89 仪器仪表制造工时定额表面处理CB 1085.5-89 仪器仪表制造工时定额热处理CB 1085.6-89 仪器仪表制造工时定额光学零件加工... CB 1085.7-89 仪器仪表制造工时定额变压器CB 1085.8-89 仪器仪表制造工时定额水声换能器CB 1085.9-89 仪器仪表制造工时定额整机电器装联CB 1086-88 钢质船体、锅炉修理工时定额CB 1087.1-88 船舶轮机钳工修理工时定额低速柴油机CB 1087.2-88 船舶轮机钳工修理工时定额中、高速... CB 1087.3-88 船舶轮机钳工修理工时定额机舱辅机CB 1087.4-88 船舶轮机钳工修理工时定额甲板辅机CB 1087.5-88 船舶轮机钳工修理工时定额甲板及机... CB 1087.6-88 船舶轮机钳工修理工时定额锅炉阀件... CB 1087.7-88 船舶轮机钳工修理工时定额轴系舵系... CB 1088.1-88 船舶电气设备修理工时定额电机CB 1088.2-88 船舶电气设备修理工时定额通讯导航CB 1088.3-88 船舶电气设备修理工时定额动力照明CB 1089.1-88 船舶舾装件修理工时定额装配CB 1089.2-88 船舶舾装件修理工时定额钳工CB 1090-88 船舶管系及其附件修理工时定额CB 1091-88 船舶薄板制品修理工时定额CB 1092-88 船舶家具、附件修理工时定额CB 1093-88 船舶舱室木作修理工时定额CB 1094-88 船舶塑料地板及玻璃钢制品修理工时定额CB 1095-88 船舶修理涂装工时定额CB 1096-88 船舶修理泥水工时定额CB 1097-88 船舶修理蓬帆工时定额CB 1098.1-89 船用阀门制造工时定额铸、锻造CB 1098.2-89 船用阀门制造工时定额机械加工CB 1098.3-89 船用阀门制造工时定额装配CB 1099.1-88 船用锚链制造工时定额电焊锚链CB 1099.2-88 船用锚链制造工时定额铸钢锚链CB 1101-84 船用YPL YXL液压滤器CB 1102.1-84 船用液压系统通用技术条件一般规定CB 1102.2-84 船用液压系统通用技术条件元件和辅... CB 1102.3-85 船用液压系统通用技术条件配管CB 1102.4-84 船用液压系统通用技术条件清洗CB 1103-84 液压件脉冲试验方法CB 1109-84 船用仪器分划件分划公差CB 1110-84 爪式螺旋掣链器CB 1114-84 液压系统放气针型螺塞CB 1115-84 外螺纹三通、四通接头CB 1116-84 Z向窗型层状撕裂试验方法CB 1117-84 п型刚性T形接头层状撕裂试验方法CB 1120-84 环形镶块裂纹试验方法CB 1122-84 刚性T形接头焊接横向裂纹试验方法CB 1123-84 轴流式液力变矩器系列基本参数CB 1125-98 水声用压电陶瓷材料规范CB 1129-85 隔离气压式蓄能器压力频率和阻抗频率动... CB 1133-85 BFe30-1-1管材技术条件CB 1134-85 BFe30-1-1管材的超声波探伤方法CB 1137-85 船用轴向球塞式液压马达CB 1138-85 船用电液伺服阀安装面尺寸CB 1139-85 热处理和偶联剂处理玻璃纤维布技术条件CB 1141-85 船用球式先导电磁阀CB 1142.1-85 船用液压二通插装阀图形符号CB 1142.2-85 船用液压二通插装阀基本参数和型号... CB 1142.3-85 船用液压二通插装阀技术条件CB 1144-2004 P3.0MPa 盲板法兰规范CB 1144-85 P30盲板钢法兰CB 1145-86 船用仪器设备钢质机柜焊接通用技术条件CB 1146.13-85 船舶设备环境试验方法试验Kb:交变... CB 1148-85 铜247焊条技术条件CB 1151-86 船用仪器分划件毛坯系列CB 1152-86 仪器零件加工技术要求CB 1153-93 金属波形膨胀节CB 1156-92 锡基轴承合金金相检验CB 1157-86 水听器用橡皮电缆技术条件CB 1158-86 水声换能器用橡皮电缆技术条件CB 1160.10-86 船舶螺旋桨用铸造铝铍钴青铜化学分... CB 1160.11-86 船舶螺旋桨用铸造铝铍钴青铜化学分... CB 1160.12-86 船舶螺旋桨用铸造铝铍钴青铜化学分... CB 1160.13-86 船舶螺旋桨用铸造铝铍钴青铜化学分... CB 1160.1-86 船舶螺旋桨用铸造铝铍钴青铜化学分析... CB 1160.2-86 船舶螺旋桨用铸造铝铍钴青铜化学分析... CB 1160.3-86 船舶螺旋桨用铸造铝铍钴青铜化学分析... CB 1160.4-86 船舶螺旋桨用铸造铝铍钴青铜化学分析... CB 1160.5-86 船舶螺旋桨用铸造铝铍钴青铜化学分析... CB 1160.6-86 船舶螺旋桨用铸造铝铍钴青铜化学分析... CB 1160.7-86 船舶螺旋桨用铸造铝铍钴青铜化学分析... CB 1160.8-86 船舶螺旋桨用铸造铝铍钴青铜化学分析... CB 1160.9-86 船舶螺旋桨用铸造铝铍钴青铜化学分析... CB 1162-86 铸造钛合金螺旋桨补焊技术条件CB 1163-86 钛合金螺旋桨铸件技术条件CB 1164-86 铝及铝合金焊接试验方法及技术要求CB 1166-86 船舶电子设备用电感线圈通用技术条件CB 1168-86 船用液压控制阀用电磁铁技术条件CB 1169-86 油船惰性气体系统技术条件CB 1170-86 船用电液比例控制阀技术条件CB 1171.1-87 船舶设备环境测量方法振动CB 1171.2-87 船舶设备环境测量方法冲击CB 1171.3-87 船舶设备环境测量方法颠震CB 1171.4-87 船舶设备环境测量方法温湿度CB 1171.5-87 船舶设备环境测量方法盐雾CB 1171.6-87 船舶设备环境测量方法油雾CB 1171.7-87 船舶设备环境测量方法霉菌CB 1175-88 船用鞭状天线CB 1177-87 声呐换能器用水密插头座通用技术条件CB 1178-87 修船竣工提交文件资料要求CB 1181-88 船用柴油机喷油器安装连接尺寸CB 1182-88 船用柴油机喷油嘴偶件型式尺寸CB 1183-88 船用柴油机液压调速器CB 1187-88 MYN型高能氧化锌压敏电阻器CB 1188-88 船用短波液压伸缩鞭状天线CB 1189-88 船用超短波通信天线电性能基本技术要求...。
大工14秋《船舶制图》在线作业3
一,单选题
1. 制图标准CB3184-83中,规定DR是()的代号。
A. 半圆形流水孔
B. 圆形流水孔
?
正确答案:A
2. 船图中腰圆形流水孔的代号为()。
A. DL
B. DR
C. DE
D. 以上均不对
?
正确答案:C
3. 水密舱壁、水密围壁的投影用()表示。
A. 轨道线
B. 粗点画线
C. 细虚线
D. 波浪线
?
正确答案:A
4. 同一列外板中,相邻两块外板间接缝的投影,即外板横向接缝的投影。
指的是下列哪一个概念?()
A. 边接缝线
B. 端接缝线
C. 分段接缝线
?
正确答案:B
5. 中纵剖面的外形通常由型线图的中纵剖线和()确定。
A. 甲板边线
B. 甲板中线
C. 设计水线
D. 尾垂线
?
正确答案:B
二,多选题。
CB* 3193—83管段连接焊接直通套筒组别:551 管段连接焊接直通套筒主要参数按表1。
表1介 质 公称通径DNmm设计压力Mpa kgf / cm 2设计温度℃ 套筒材料蒸 汽 ≤170 燃 油 ≤0.7 (≤7) ≤60 空气、水、油15~250 ≤1.6 (≤16)≤20010#无缝钢管 (YB 231—70)2 套筒连接的型式和尺寸按下图和表2。
表2连 接 套 筒公称通径DN 无缝钢管外径Dw外 径 D壁 厚 t长 度 L质 量 kg15 22 32 3.5 0.10(25) 34 3.5 0.112027 38 4 40 0.13(32) 4240.192534 45 4 0.20(38) 48450 0.22 3242 57 6 600.45(45) 57 5 0.384048 60 50.41(57) 7360.79 5060 76 6 800.83(73) 8961.23 6576 89 5.51001.1380 89 108 8 120 2.37 (108) 133114.63 100114 133 8 1403.45(133) 159116.42 125140 159 81604.77(159) 180 9 180 6.83150168 194 11 200 9.93(175) 19421911220 12.41200 219 245 11 250 15.87(225) 245 273 12 280 21.63250 273 299 11 300 23.44 注:加括号的规格尽量不用。
3 标记示例。
外径 D = 48 mm ,壁厚t = 4 mm 的管段连接焊接直通套筒: 直通套筒 48×4 CB* 3193—83 4 技术要求4.1 焊接套筒不应用于有可能发生疲劳、严重浸蚀或裂缝腐蚀的地方。
4.2 安装时注意两管子对中,并与套筒之间间隙尽量均匀。
4.3 套筒与管子焊接的焊脚 高度K 应大于或等于被连接管子的壁厚。
船舶制图辅导资料九主题:第四章第三节“船体常用节点形式”辅导资料学习时间:2015年5月25日—5月31日内容:这周我们来学习本门课的第四章第三节船体常用节点形式。
一、学习要求1. CB3182-83-船体结构相贯切口和补板;2. CB3183-83-船体结构型材端部形状;3. CB3184-83-流水孔、透气孔、通焊孔。
二、主要内容(一)CB3182-83-船体结构相贯切口和补板1、直通型切口型式和代号CC(详见CB3182-83)2、腹板焊接切口型式和代号CW(详见CB3182-83)3、非水密补板切口与补板型式和代号CN(详见CB3182-83)4、水密补板型切口与补板型式和代号CT(详见CB3182-83)5、镶切型切口型式和代号CS(详见CB3182-83)6、以上五种型式的标记示例,图17、图18、说明水密与非水密补板的厚度t等于该切口处被穿过构件的腹板或壁板厚度。
(二)CB3183-83-船体结构型材端部形状本标准适用于钢质船体结构。
1、型材端部覆板和面板都切斜时的型式和尺寸。
代号SS(见表1)表12、型材端部覆板切斜的型式和尺寸。
代号S(详见CB3183-83)3、型材端部面板切斜的型式和尺寸。
代号F和FS(详见CB3183-83)4、型材端部不切斜的型式和尺寸。
代号W(详见CB3183-83)(三)CB3184-83-流水孔、透气孔、通焊孔本标准适用于钢质船体结构。
1、流水孔的型式和尺寸。
(详见CB3184-83)表22、透气孔的型式和尺寸。
(见图三)表33、通焊孔的型式和尺寸。
(详见CB3184-83)三、重要考点(一)绘图题用CAD软件绘制T型材和不对称T型材。
(二)填空题圆形流水孔的代号,半圆形流水孔的代号,腰圆形流水孔的代号,半腰圆形流水孔的代号。
答:D 、DR、DE、DL。
船体结构 相贯切口与补板
本标准适用于船长大于和等于90 m 的货船船体结构,其它船舶可参照使用。
1 直通型切口形式和代号按图1~6及表1。
h
r
< 100 15 ≥ 100
25
CB* 3182—83
组别:17
2腹板焊接型切口形式和代号按图7~12及表2。
表2
h R r
<100 —15 100 ≤h <150 25 25
150 ≤h <250 35 25 ≥250 50 25 注:h <100时。
R用CB*3184—83《船体结构流水孔、透气孔、通焊孔》的通焊孔WC代替。
3非水密补板型切口与补板形式和代号按图13~21及表3。
表3
h R r a e
<100 —15 0.2 h —100 ≤25 25 0.2 h R 150 ≤h <250 35 25 0.2 h R ≥250 50 25 0.2 h R 注:h <100时,R用CB*3184—83的通焊孔WC代替。
4水密补板型切口与补板形式和代号按图22~30。
注:WC为CB*3184—83的通焊孔代号。
5镶嵌型缺口形式和代号按图31~34。
其中CS—2 ~ CS—4仅适用于上层建筑结构。
6标记示例
直通型切口、腹板焊接型切口、非水密补板型切口、水密补板型切口与补板、镶嵌型切口在船体结构图中的标记。
7说明
水密与非水密补板的厚度t等于该切口处被穿过的腹板或壁板厚度。
船舶(CB)标准免费下载3CB/Z41—1998舰船船体放样要求CB/Z51—1981船舶纵向滑行下水工艺CB/Z54—1981电解镀锌CB/Z66—1987铜板的焊接CB/Z67—1973碳弧气刨使用技术条件CB/Z69—1986铸钢艉柱手工焊接工艺CB/Z71—19803~22mm钢板无坡口双面自动对接焊CB/Z89—1988电线电缆冷压连接技术条件CB/Z92—1981铝合金阳极氧化处理CB/Z94—1968黑色金属磷化技术条件CB/Z95—1967柴油机管子化学清洗方法CB/Z106—1968铝合金船体结构铆接分类及质量检验要求CB/Z107—1981尾轴包覆玻璃钢CB/Z107—1968CB/Z120—1986 604、607钢铸件缺陷补焊技术条件CB/Z121—1998舰艇用921A等钢板缺陷补焊技术要求CB/Z124—1998潜艇921A等钢结构焊接技术要求CB/Z125—1998潜艇船体结构焊接质量检验规则CB/Z126—1998潜艇耐压船体可拆板切割、装配和焊接技术要求CB/Z127—1974潜艇电气设备安装工艺CB/Z128—1998舰船电气设备保养工艺CB/Z130—1997舰船电缆密封工艺CB/Z132—1998舰船电气设备和电缆屏蔽接地工艺CB/Z133—1974船体零件加工技术要求CB/Z134—1998潜艇耐压船体结构件加工技术要求CB/Z181—19989 21A球扁钢中频弯曲和热处理技术条件CB/Z184—1982指挥仪电气安装技术条件CB/Z209—1984潜艇轴系安装技术要求CB/Z210—1984潜艇管路制造、安装和试验技术要求CB/Z211—1984船用金属复合材料超声波探伤工艺规程CB/Z212.1—1986低频环形变压器、阻流圈典型工艺铁芯制造CB/Z212.2—1986低频环形变压器、阻流圈典型工艺绕线CB/Z212.3—1986低频环形变压器、阻流圈典型工艺浸漆和裹覆CB/Z230—1986船舶上层建筑整体吊装技术要求CB/Z235—1987船舶涂装设计技术要求CB/Z258—1989铝合金船体氩弧焊接工艺规程CB/Z321—1981尾轴管及尾轴承环氧树脂定位CB/Z339—1984船用球铁、碳素钢阀门铸件缺陷补焊技术条件CB/Z342—1984船用配电控制设备制造工艺CB/Z343—1984热浸锌通用工艺CB/Z345—1985船舶管系布置和安装通用技术条件CB955—1980潜艇远航食品外包装CB993—1981船用橡胶减震器保管与使用期的规定CB891—1978潜艇卫生标准CB3381—1991船舶涂装作业安全规程CB3515—1993船舶建造安全管理CB3660—1997船厂起重作业安全规程565—1997CB/T3745—1995职业危害程度综合评价分级CB3769—1996船舶工业劳动卫生管理规程CB3771—1996铸锻作业安全规程CB3785—1997船厂高处作业安全规程CB3786—1997船厂电气作业安全规程CB3787—1996船厂厂内运输作业安全规程舰船总体CB/T3035—1996船舶倾斜试验CB3085—1980沿海小型钢丝网水泥货轮系列CB/T3373—1991油舱蒸汽加热系统计算方法CB/T3472—1992船舶总体自由振动计算方法CB/T3484—1992民用船舶修正总吨系数CB/T3655—1994机舱集控室设计规则CB/T3767—1996海船测速试验方法CB/Z32—1977受风面积计算CB/Z110—1987船舶破舱浸水后的浮态及剩余稳性高度计算CB/Z301—1980船舶风压计算CB/Z302—1979船舶稳性报告书CB/Z319—1982运输船重量分类及重心计算CB/Z330—1983船舶空调系统设计方法CB/Z332—1983船舶总纵弯曲力矩和切力计算方法CB/T346—1997螺旋桨模型敞水试验方法CB/T347—1997一般排水型船船模单桨自航试验方法CB1200.1—1988玻璃钢构件的强度计算单层结构CB1200.2—1988玻璃钢构件的强度计算夹层板CB/T3471—1992风、浪、流联合作用下浮式系统模型试验规程CB/T3674—1995水声材料驻波管测量方法CB/T3675—1995水面船模耐波性试验规程CB/Z195—1982高速水面舰艇耐波性设计估算方法CB/Z196—1982潜艇耐波性设计估算方法CB/Z215—1987空泡水筒均流中螺旋桨模型试验规程CB/Z216—1987潜艇船模水下阻力、自航试验规程CB/Z217—1987潜艇裸体深水阻力估算方法CB/Z218—1987潜艇组合舵系列图谱及计算方法(1)CB/Z220—1987滑行艇静水阻力估算方法CB/Z239—1987一般排水量船模双桨自航试验方法CB/Z240—1987船舶操纵运动数学模型CB/Z241—1987可调螺距螺旋桨桨叶图谱设计计算方法CB/Z244—1988滑行艇船模阻力测试方法CB/Z245—1988单桨潜艇伴流与推力减额分数的估算CB/Z246—1988自稳式水翼艇模型阻力试验规程CB/Z247—1988圆舭艇线型设计与有效功率估算CB/Z248—1988水面舰船船模波浪载荷测试规程CB/Z250—1988潜艇操纵性设计计算方法CB/Z251—1988实船激振试验规程CB/Z252—1988潜艇自航模操纵性试验规程CB/Z257—1990空化螺旋桨的设计计算方法CB/Z326—1982一般排水量船模阻力试验规程及结果的标准表达形式CB/Z327—1982水面自航船模操纵性试验规程及其结果的标准表达形式CB/Z341—1984登陆舰艇耐波性估算方法CB140—1988内河船舱口角隅CB261—1962圆形钢支柱型式及基本尺寸CB676—1978压载铁CB908—1996舷侧附件安装用螺柱和螺母规范CB997—1982可拆板及附件CB/T1256—1994水面舰艇钢质船体结构节点CB3181.1—1983船体结构节点、零部件CB3181.2—1986船体结构节点、零部件(船长小于90m)CB3182—1983船体结构相贯切口与补板CB481—1966CB3183—1983船体结构型材端部形状CB479—1966CB3184—1983船体结构流水孔、透气孔、通焊孔CB480—1966CB3185.1—1983船体结构舷墙CB3185.2—1984船体结构舷墙(船长小于90m)CB3186.1—1983船体结构舭龙骨CB3186.2—1984船体结构舭龙骨(船长小于90m)CB3187—1983船体结构圆弧形舷缘泄水沟CB3227—1984铆接铝质型材和铝质船体结构的切口CB3277—1985船体结构钢质护舷材CB3296—1986铝质铆接船节点简化画法CB/T3368—1991船体防火分隔典型耐火结构形式CB3370—1991箱形船船体结构节点CB3371—1991油船货油舱区域船体节点结构CB/Z149—1980带翼板的单头球扁钢剖面要素曲线CB257—1988钢质海船船体密性试验方法CB257—1979CB3097—1981远洋运输船无线电通讯设备、助航设备及航海仪器配备定额CB3166—1983海洋货船舱面属具备品及供应品定额CB/T3649—1994海船食品、饮水、淡水及人员和行李重量计算定额CB/T3650—1994油船透气系统设计规则CB/T3772—1996柴油机船舶机舱通风设计条件和计算基准CB/T3773—1996船舶机舱集控室的空气调节与通风设计条件和计算基准CB/T3774—1996船舶驾驶室的空气调节与通风设计条件和计算基准CB/T3817—1998船舶干粮库的空气调节与通风设计条件和计算基准CB/T3886—1999海洋运输船舶主要性能水平评级CB/T3911—1999海船系泊设备配置设计通则CB/Z303—1978长江客货船船模系列试验图谱CB/Z308—1979长江船舶回航中横倾角计算CB/Z314—1980内河船船体振动衡准CB3036—1978渔船观通、航海及助渔仪器配备定额CB3049—1978渔船系泊航行捕捞试验通则CB976.1—1987机动工作艇技术条件CB976.2—1987通用型玻璃钢机动工作艇型式和主要尺寸CB976.3—1987拖带型机动工作艇型式和主要尺寸CB3180—1983船用离心式泥泵型式与基本参数CB3205—1983船用离心式泥泵制造质量验收要求CB3206—1983船用离心式泥泵装置试车验收要求CB3207—1983耙吸式挖泥船专用设备试车验收要求CB3208—1983绞吸式挖泥船专用设备试车验收要求CB3271—1987链斗式挖泥船系泊及挖泥试验大纲CB3272—1987抓斗式挖泥船系泊及挖泥试验大纲CB/T3430—1992海洋及港作拖船系柱拖力试验方法CB/T3469—1994海洋调查船生活舱室及其设施设置要求CB/T3470—1994海洋调查船专用舱室及其设施的设置要求CB/T3526—1994海洋调查船特殊抗风力要求CB/T3527—1993海洋调查船实验室及调查作业甲板振动、噪声一般要求CB/T3651—1994挖泥船输泥管球形接头CB/T3874—1999港作及海洋拖船性能质量分级指标CB/T3912—1999海洋调查船系泊及海上试验通则CB/T3913—1999A型框架系列参数CB/T3654—1994游艇操舵装置钢索滑轮系统CB/T3700—1995增强合成橡胶或增强塑料充气艇CB/T3884—1999小艇厕所污水的处理集存和再循环系统CB/Z329—1983气垫船静水阻力估算方法CB746—1992水面舰船紧密性试验CB1108—1984水面舰艇舱室照度标准CB1112—1984常规动力潜艇工厂供应品标准CB1147—1986水面舰艇1211灭火系统技术要求CB/T1217—1992潜艇载荷分项与重量重心计算CB/T1243—1994空蚀试验规程CB1253—1994潜艇重量重心控制要求CB1254—1994潜艇船体结构的压力和密性试验方法CB1255—1995潜艇深潜试验应变测试规程CB1329—1997潜艇救生平台规范CB/Z35—1986水面舰艇系泊装置及拖曳装置设计规则CB/Z146—1978潜艇燃油系统设计规则CB/Z147—1978潜艇供水系统设计规则CB/Z150—1980潜艇试潜定重试验方法CB/Z152—1977潜艇进出坞技术条令CB/Z155—1978潜艇液舱容积测量及刻度技术条令CB/Z159—1979艇用带翼板单头球扁钢剖面要素图谱CB/Z168—1980潜艇蓄电池蒸馏水冷却和搅拌系统设计规则CB/Z169—1980常规潜艇锚装置设计规则CB/Z170—1980潜艇液压系统设计规则CB/Z171—1980潜艇下潜系统设计规则CB/Z172—1997潜艇舷侧附件安装技术条件CB/Z174—1980潜艇减震接管配置与安装技术条件CB/Z175—1980潜艇机电设备典型安装图册CB/Z176—1980潜艇消防系统设计规则CB/Z189—1996水面舰艇实船快速性试验方法CB/Z190—1996潜艇实艇快速性试验方法CB/Z191—1996水面舰艇实艇操纵性试验方法CB/Z192—1996潜艇实艇操纵性试验方法CB/Z193—1996水面舰艇实艇耐波性试验方法CB/Z194—1996潜艇实艇耐波性试验方法CB/Z197—1982潜艇艇体三元锌阳极安装技术要求CB/Z198—1982潜艇疏水系统设计计算方法CB/Z200—1982水面舰艇水消防系统设计方法CB/Z201—1982水面舰艇舱底和压载水系统设计方法CB/Z202—1982常规潜艇舵设备设计方法CB/Z204—1982潜艇柴油机动力装置进、排气系统设计方法CB/Z205—1990水面舰艇重量分项CB/Z219—1987水面舰艇螺旋桨设计计算方法CB/Z221—1998舰艇电缆选择规CB/Z222—1987潜艇浮性和初稳性计算方法CB/Z223—1987潜艇潜浮初稳性计算方法CB/Z224—1987潜艇大倾角稳性计算方法CB/Z225—1987潜艇造成大纵倾计算方法CB/Z229—1987水面舰船消磁系统试验方法CB/Z232—1986水面舰艇空气调节系统设计计算方法CB/Z234—1987常规潜艇低压气吹除系统设计规则CB/Z237—1987水滴型潜艇线型设计和水下阻力估算方法CB/Z259—1996潜艇空间机动控制规律CB/Z260—1996舰船抗水下爆炸压力测量方法CB/Z261—1997潜艇适航性预报方法CB/Z263—1997潜艇蓄电池装载舱口设计计算方法CB/Z265—1998水面舰船不沉性计算方法CB/Z266—1998水面舰艇风浪稳性计算方法。