压型钢板承载计算
- 格式:doc
- 大小:70.00 KB
- 文档页数:2
压型钢板临时支撑施工方案
1 施工原因
根据华东设计院的压型钢板深化图,在局部压型钢板下增加临时支撑,上层楼面砼施工完成后拆除。
2 施工部位
详见压型钢板深化图。
3 施工方法
下层楼面砼施工完成后,在临时支撑部位下搭设双排架。
立杆间距1.1米,步距1.8米。
立杆底部采用方木垫块,顶部采用顶撑,顶撑上用方木垫块。
见附图。
双排架长度方向中线与图示支撑中心线重合。
4 计算书
增加临时支撑后压型钢板跨度减小,压型钢板施工时强度不需验算,只验算临时支撑立杆强度。
1 荷载计算(跨度5000mm)
混凝土自重:(0.149+0.076/2)*5*1.1*25=0.779kN
2 钢管自重(按层高5.6米计算)
0.1084*5.6=0.607kN
合计:0.779/2+0.607=1kN
3 活荷载(2kN/m2)
2*5*1.1/2=5.5kN
4 内力设计值
1.2*1+1.4*5.5=8.9kN 5 钢管内力计算
A=4.89cm2,f=205N/mm2 立杆计算长度:
L=1.155*1.8*1.5=3.12m 长细比:1970158.0/12.3/0===i l λ 查表,得:186.0=ϕ f A
N ≤ϕ 489
*186.010*9.83=98N/mm2<205N/mm2 满足要求。
本软件针对压型钢板、铝合金板进行截面承载力、挠度、施工荷载及排水能力进行验算。
在计算过程中,压型板按受弯构件考虑,主要遵循GB50018-2002《冷弯薄壁型钢结构技术规范》中关于压型钢板计算的条文规定、GB 50429—2007 《铝合金结构设计规范》中关于铝合金压型板相关的计算条文规定及《冷弯薄壁型钢结构设计手册》中关于屋面排水计算的相关条文。
压型板截面计算过程中,考虑到其实际的受力情况,所以选择了在一个波距范围内进行验算。
因为无论是屋面板、墙面板或者是楼承板其实际作用过程中,均是多块板横向搭接成为整体,所以选择其中一个波距来进行计算更贴近于压型板实际工作状态下的受力情况。
压型板根据《建筑结构静力计算手册》计算各验算点的弯矩及剪力情况。
压型板的计算过程主要包含以下几个方面:毛截面惯性矩的计算、加劲肋是否有效的判别、腹板剪应力承载能力计算、支座处腹板局部受压承载力验算、跨中位置最大正负弯矩和剪力作用下截面承载力验算、支座位置最大负正弯矩和支座反力下截面承载力验算、最大正负挠度验算、屋面板排水能力验算.上述承载力验算过程中均包含该种情况下该位置的有效截面宽度的验算。
计算采用的组合情况如下:1。
2恒+1。
4活;1。
0恒—1.4负风吸;1。
2恒+1.4正风压;1.2恒+1。
4活+0.84正风压;1.0恒+1.4活—0.84负风吸;1.2恒+0。
98活+1。
4正风压;1.0恒+0.98活-1.4负风吸;1。
2恒+1.0施工(屋面板);1。
2恒+1.4活载(楼面均布施工荷载)(楼承板);1。
2恒+1.4施工(楼面集中施工荷载)(楼承板)。
一:压型钢板一)板材力学参数的确定对于规范中已给出抗拉、抗剪强度设计值的材料牌号,我们按规范中数值采用,如Q235、Q345等。
对现今压型板常用的冷轧板牌号如G300、G550等,规范没有给出明确的抗拉、抗剪强度设计值,厂家在供货的时候仅提供材料的屈服强度为300 N/mm2、550 N/mm2,所以我们根据《冷弯薄壁型钢结构技术规范》4.1。
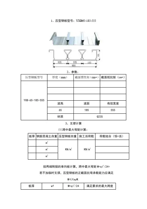
1、压型钢板型号:
YXB65-185-555
YXB-65-185-555
波高波距有效宽度
65185555
材质Q235
3、支撑计算
(1)跨中最大弯矩计算:
板厚钢筋混凝土自重压型钢板自重施工活荷载荷载组合(恒+活)m2
m2
KN/m2 KN/m2
m2
按两端刚接的单向板计算,跨中最大弯矩M=ql2/24=
若不加临时支撑,压型钢板的正截面抗弯承载能力应满足
M≤fayW.
板厚wf M=ql2/24满足要求的最大跨度
本工程压型钢板最大跨度为,按弯矩计算可不加设支撑。
(2)跨中最大挠度计算 挠度计算公式:
200/38454
L EI
pl w ≤•=
即:
3
1000384p
EI
L ≤,计算结果见下表
通过计算可知:120mm 、150mm 、200mm 板厚的压型钢板,当跨度分别大于等于、、
时需要在底部增设临时支撑.。
267175597.xls267175597.xls267175597.xls(一)Q235钢;1.25m;0.5kN/m2;0.6kN/m2;个;(二)125.0mm;mm 4/m;29.0mm;188300.0mm 4/m;29.0mm;10000.0mm 3/m;35.0mm;mm;0.8mm;750.0mm;6.3kg/m 2;mm;1332.5mm 2/m;1000mm;(三)0.79mm;截面惯性矩:I=0mm 4/m;166.563mm 2/m;有效惯性矩:Ief=23537.5mm 4/m;有效抗弯模量:Wef=1250mm 3/m;工程名称:金澳压型钢底板采用YX35-125-750压型钢板;厚度为 0.8mm;截面惯性矩:I=有效惯性矩:Ief=有效抗弯模量:Wef=取一个波距作为计算单元,其截面特性为:压型钢板计算书钢板重量=截面积:A=全截面形心高度:hcen=压型钢有效宽度d=等效高度:hef= 压型钢板强度验算:压型钢板展开宽度L=设计资料压型钢板材料为楼板最大跨度:槽宽:bx=屋面均布恒载:屋面均布活载:波距: b=肋宽:bs=施工时板跨中临时支撑数量压型钢板截面特性:肋高: h=厚度: t=钢板重量=截面积:A=267175597.xls267175597.xls267175597.xlsq=1.16kN/m个M=0.226kN*m V=0.7224kN强度验算:σ=189.63MPa <205MPa 安全;q=1.2D=0.53kN/mdmax=#DIV/0!mm;#DIV/0!######1/200dmax/L=#DIV/0!M/Wef*1.05=挠度验算:1.2D+1.4W=跨中挠度为:1/8*q*l²=1/2*q*l=内力设计值:本文偏安全的按简支条件计算如下:施工时板跨中临时支撑数量=5/384*q*l4/2.06e5/I=。
压型钢板混凝土楼承组合板计算书工程资料:该工程楼层平台采用压型钢板组合楼板,计算跨度m l 4=,剖面构造如图1所示。
压型钢板的型号为YX76-305-915,钢号Q345,板厚度mm t 5.1=,每米宽度的截面面积m mm A S /20492=(重量0.152/m kN ),截面惯性矩m mm I S /1045.20044×=。
顺肋两跨连续板,压型钢板上浇筑mm 89厚C35混凝土。
图1组合楼板剖面1施工阶段压型钢板混凝土组合板计算1.1荷载计算取m b 0.1=作为计算单元(1)施工荷载施工荷载标准值m kN p k /0.10.10.1=×=施工荷载设计值m kN p /4.10.14.1=×=(2)混凝土和压型钢板自重混凝土取平均厚度为mm 127混凝土和压型钢板自重标准值mkN m m kN m kN m k /325.30.1)/15.0/25127.0(g 23=×+×=混凝土和压型钢板自重设计值mkN m kN g /0.4/325.32.1=×=(3)施工阶段总荷载mkN m kN m kN g p q kk k /325.4/325.3/0.1=+=+=1.2内力计算跨中最大正弯矩为mkN mkN l g p M ⋅=⋅×+×=+=+05.60.4)0.44.1(07.0)(07.022max 支座处最大负弯矩为m kN mkN l g p M ⋅=⋅×+×=+=−8.100.4)0.44.1(125.0)(125.022max 故mkN M M ⋅==−8.10max max 支座处最大剪力kNkNl g p V 5.130.4)0.44.1(625.0)(625.0max =×+×=+=1.3压型钢板承载力计算压型钢板受压翼缘的计算宽度etbmm mm mm t b et 105755.15050≤=×=×=,按有效截面计算几何特征。
一简支板截面尺寸如图所示,板跨度为m 3.3。
钢板厚度mm 2.1=t ,其上混凝土厚度mm 100c =h 。
采用C20混凝土(2c N/mm 6.9=f ,2t N/mm 10.1=f )。
标准值为2kN/m 4,活荷载标准值为2.5kN/m 1;使用阶段,恒荷载标准值为2kN/m 6,活荷载标准值为2kN/m 1。
试验算承载能力。
[解]:N U -KA 型压型钢板: m 1板宽的压型钢板截面面积:/m mm 19722ss =Am 1板宽的压型钢板的断面抵抗矩:33s mm 104.43⨯=W(1)施工阶段m 1板宽内的均布荷载:2kN/m 9.65.14.142.1=⨯+⨯=q m kN 39.93.39.6818122⋅=⨯⨯==ql Mm kN 39.9m 9.33kN mm N 1033.9104.4321563ss ⋅=≈⋅=⋅⨯=⨯⨯=M W f 故施工阶段强度满足要求。
(2)使用阶段m 1板宽内的均布荷载:2kN/m 61.814.162.1=⨯+⨯=q m kN 71.113.361.8818122⋅=⨯⨯==ql M kN 19.143.361.82121=⨯⨯==ql V mm 6.755.13755.055.0mm 5.3811100021519720c s ss =⨯=<=⨯⨯==h bf f A xmm 5.1372/751000=+=h m kN 71.11mkN 96.34mm N 34964160)2/5.385.137(5.3810006.98.0)2/(8.00c u ⋅=>⋅=⋅=-⨯⨯⨯⨯=-=M x h bx f M故正截面强度满足。
斜截面承载能力计算。
kN 19.14m105.88kN N 1058755.137100010.17.07.00t u =>⋅==⨯⨯⨯==V bh f V 故斜截面强度满足。
压型钢板混凝土组合楼承板计算实例压型钢板混凝土组合楼承板是一种由压型钢板和混凝土组合构成的楼板结构。
它采用了压型钢板的优点,如高强度、轻质、经济等,同时又能够充分利用混凝土的抗压性能,具有较好的整体性能。
以下是一个压型钢板混凝土组合楼承板计算实例,以便更好地了解和理解该结构的材料相关计算。
1.材料选择:在计算压型钢板混凝土组合楼承板时,需要选择合适的压型钢板和混凝土材料。
压型钢板可以选择常用的U型钢、H型钢、Z型钢等,混凝土可以选择普通混凝土或高性能混凝土。
2.弯矩计算:首先需要计算楼板中心的最大弯矩,根据楼板的荷载情况(如活荷载、死荷载等)和楼板支座的位置,采用力学分析的方法计算得到楼板中心的最大弯矩。
3.材料参数:根据选择的压型钢板和混凝土材料,获取相应的力学参数,如钢材的弹性模量、屈服强度,混凝土的弹性模量、抗压强度等。
这些参数可以通过相关标准和材料测试得到。
4.压型钢板计算:根据楼板中心的最大弯矩和压型钢板的几何特性,计算出压型钢板的截面形状和尺寸,如板的高度、宽度、翼板的尺寸等。
同时,根据压型钢板的强度和稳定性要求,计算出压型钢板的承载力和稳定性安全系数。
5.混凝土计算:根据楼板中心的最大弯矩和混凝土的抗压强度,计算出混凝土的承载能力。
同时,根据混凝土的弹性模量和楼板的各种几何尺寸,计算出混凝土的挠度。
根据挠度的要求,可以调整混凝土的截面尺寸和混凝土强度等。
6.楼承板整体计算:将压型钢板和混凝土的计算结果进行整合,计算得到整个压型钢板混凝土组合楼承板的受力状态和承载能力。
根据承载能力的要求,可以调整楼板的厚度和钢板的数量等。
7.施工技术要求:根据楼承板的计算结果,制定相应的施工技术要求,如钢板的切割和焊接要求,混凝土的浇筑和养护要求等。
同时,还需要制定相应的验收标准和检测方法,确保楼承板的质量和安全。
以上是一个压型钢板混凝土组合楼承板计算实例。
通过对不同材料的力学参数和结构计算的综合应用,可以得到一个符合要求的楼承板结构,并保证其质量和安全。
十、墙面压型钢板设计与计算墙面材料采用压型钢板,墙檩条间距1.6m ,选用YX35-125-750型压型钢板,板厚t=0.6㎜,截面形状及尺寸如图(1)、内力计算设计荷载:压型钢板单波线荷载:m KN q x /074.04.18.0125.053.0=⨯⨯⨯=(0.53为风荷载的面荷载)《风载 基本风压ω0=0.50KN/㎡ 地面粗糙程度为B 类 下面各高度为准风压高度的变化系数为:H μZ w 1(KN/㎡)9.30 0.97 0.4710.05 1.00 0.5010.30 1.01 0.51max 8x 8(2)、截面几何特性采用“线性法”计算D=35㎜ b 1=29㎜ b 2=29㎜ h=48.45㎜mm h b b L 9.15445.4822929221=⨯++=++=mm L b h D y 5.179.154)2945.48(35)(21=+⨯=+= mm y D y 5.175.173512=-=-=)32(2212h hL b b L tD I x -+=mm 6.16592)45.489.15445.48322929(9.154356.022=-⨯⨯+⨯⨯⨯= 311.9485.176.16592mm y I W x cx === 321.9485.176.16592mm y I W x tx ===(3)、有效截面计算① 上翼缘:为一均匀受压两边支承板,其应力为:26max /0.391.94810037.0mm N W M cx cx =⨯==σ 上翼缘的宽厚比3.486.029==t b ,查《钢结构设计与计算》均匀受压板件的有效宽厚比表1-62知:上翼缘截面全部有效。
② 腹板:系非均匀受压的两边支承板,其腹板上、下两端分别受压应力与拉应力作用2max max /39mm N W M cx==σ (压) 2max min /0.39mm N W M tx -==σ (拉) 腹板宽厚比 8.806.045.48==t h 20.39)0.39(0.39max min max =--=-=σσσα 查《钢结构设计与计算》非均匀受压板件的有效宽厚比表1-63知:知板件截面全部有效。
第7章 压型钢板(条文)7.1 压型钢板的计算7.1.1 本节有关压型钢板计算的规定仅适用于屋面板、墙板和非组合效应的压型钢板楼板。
7.1.2 压型钢板承载能力计算可按有效宽度法或直接强度法进行。
当采用有效宽度法时,压型钢板受压翼缘和腹板的有效宽厚比应按本规范第5.6.1条规定采用;当采用直接强度法时,压型钢板承载能力计算应按本规范第5.7节规定采用。
7.1.3 按有效宽度法计算压型钢板(如图7.1.3所示)受压翼缘有效宽厚比时,应充分考虑受压翼缘两纵边的约束情况,按下列情况采用:1 若受压翼缘两纵边均与腹板相连,或一纵边与腹板相连、另一纵边与符合本条第3款要求的中间加劲肋相连时,可按加劲板件确定其有效宽厚比。
2 若受压翼缘有一纵边与符合本条第3款要求的边加劲肋相连时,可按部分加劲板件确定其有效宽厚比。
3 压型钢板受压翼缘的纵向加劲肋应符合下列规定:边加劲肋:es 1.83I t ≥ (7.1.3-1) 且 4es 9I t ≥中间加劲肋:is 3.66I t ≥ (7.1.3-2) 且 4is 18I t ≥式中:es I — 边加劲肋截面对平行于被加劲板件截面之形心轴的惯性矩;is I — 中间加劲肋截面对平行于被加劲板件截面之形心轴的惯性矩;s b — 子板件的宽度;b — 边加劲板件的宽度;t — 板件的厚度。
图7.1.3 压型钢板截面示意7.1.4 压型钢板的强度可取一个波距或整块压型钢板的有效截面,按受弯构件计算。
7.1.5 压型钢板腹板的剪应力应符合下列要求:当h t <cr ττ≤ (7.1.5-1) v f τ≤ (7.1.5-2)当h t ≥ ()cr 2855000h ττ≤=(7.1.5-3)式中:τ— 腹板的平均剪应力(2N mm ); cr τ— 腹板的剪切屈曲临界剪应力;h t — 腹板的高厚比。
7.1.6承受集中荷载或支座反力的压型钢板腹板,应按以下公式验算其局部受压承载力:()2w 0.5 2.490R R t αθ⎡⎤≤=++⎣⎦ (7.1.6) 式中:R — 一块腹板承担的集中荷载或支座反力;w R — 一块腹板的局部受压承载力设计值;α— 系数,按表7.1.6选取;t — 腹板厚度(mm ); c l — 支座处的支承长度(c 10mm 200mm l ≤≤),按表7.1.6选取;θ— 腹板倾角(4590θ≤≤)。
一、基本参数压型钢板型号YJ66-720压型钢板厚度(t)= 1.20 mm组合楼板厚度(H)=120mm支撑跨距(L0)= 4.50 m钢承板每米宽幅面积(A s)=2083 mm2惯性矩(I st)=1327044 mm4/m正截面抵抗矩(Wst)=28238 mm3/m负截面抵抗矩(Wsc)=24113 mm3/m钢承板截面重心距板底高度(y0)=19.01 mm压型钢板屈服强度(Fy)=410MPa压型钢板设计强度(f)=369 Mpa钢承板弹性模量(E s)=205000计算跨距(L)= 4.50 m组合楼板厚度(H)=120mm砼强度等级C35混凝土抗压强度设计值(f c)=16.7N/mm2混凝土抗拉强度设计值(f t)= 1.57N/mm2混凝土弹性模量(E c)=30000二、施工阶段计算钢承板自重W cs=0.16 kN/m2混凝土自重W cc=3kN/m2组合板自重W c=Wcs+Wcc 3.16 kN/m2施工均布活荷载W L= 1.5 kN/m2均布荷载设计值(W)=1.2×Wc+1.4×W L= 5.90 kN/m2跨中正弯矩按以下工况为最不利情况,考虑W1、W2的不利组合。
施工阶段的结构重要性系数取0.9.计算跨中最大弯矩值M1=0.9×0.096×1.2×W×L2=12.38 kN·m负弯矩按以下工况为最不利情况,考虑W1、W2的不利组合。
施工阶段的结构重要性系数取0.9.计算最大负弯矩值M2=-0.9×(0.125×W×L2)=-13.43 kN·m施工阶段强度验算:正截面抵抗矩(R+)=f×W st=10.42 kN·m负截面抵抗矩(R-)=f×W sc=8.90 kN·m(R+)/S=0.84 不满足判定两跨情况是否满足:(R-)/S=0.66 不满足施工阶段挠度验算:允许下垂挠度小于L/180=25.00 m m允许下垂最大值不得大于20.0 mm所以允许下垂挠度最大值为:20.00 mm计算挠度值=0.0055×(Wc+W L)L4/EI=38.66 mm不满足板型钢板厚板 宽展开板面宽正截面惯性矩负截面惯性矩正截面抵抗矩YJ46-6000.75 0.60 1000 396779 204695 12055 YJ46-6000.80 0.60 1000 422983 224361 12850 YJ46-6000.90 0.60 1000 475300 265326 14436 YJ46-600 1.00 0.60 1000 527500 308303 16019 YJ66-7200.75 0.72 1250 838570 404301 17803 YJ66-7200.80 0.72 1250 893381 484597 18972 YJ66-7200.90 0.72 1250 1002597 520723 21302 YJ66-720 1.00 0.72 1250 1111278 603142 23623 YJ66-720 1.10 0.72 1250 1222406 663456 25985 YJ66-720 1.20 0.72 1250 1327044 778110 28238 YJ66-720 1.25 0.72 1250 1389097 753928 29529 粘贴计算数据YJ66-7200.75 0.72 1250 838570 404301 17803负截面抵抗矩正截面中心距负截面中心距单位重量截面利用系数10006 13.09 20.46 9.81 0.60010767 13.08 20.84 10.47 0.57612302 13.08 21.59 11.78 0.57613852 13.07 22.26 13.08 0.60014148 18.90 28.58 10.22 0.57615769 18.91 29.03 10.91 0.57617415 18.93 29.90 12.27 0.57619628 18.96 30.73 13.63 0.57621590 19.00 31.50 14.99 0.57624113 19.01 32.27 16.35 0.57624534 19.02 32.28 16.37 0.57614148 18.90 28.58 10.22 0.576。
一、荷载计算选用YX75-230-690(I)、1.6mm厚、Q235钢C25混凝土(1)施工阶段恒载80厚C25砼0.08×25kN/m3=2.0kN/m240厚钢丝网C25砼0.4×25kN/m3=1.0kN/m2耐酸瓷砖300×300×15 0.015×23kN/m3=0.35kN/m2压型钢板自重查《YB92387-92》镀锌20.3kg/m 20.3/0.69=29.42kg/m2约等于0.3kN/m2 180厚轻质砖墙两边各抹灰20厚容重8kN/m38×0.18+2×0.02×20=2.24kN/m22.24kN/m2×1.8/3=1.344kN/m2合计:4.99kN/m2活载4kN/m2标准值:4.99+4=8.99kN/m2设计值:1.2×4.99+1.4×4=11.59kN/m2板弯矩M1:1/8×11.59×2.25×2.25=7.33kN*m/m剪力V1:1/2×11.59×2.25=13kN/m(2)使用阶段电池22.5kg/只,1组电池54只,总重约1.3吨。
1组通信电池为0.65吨。
支架重约1吨。
一个电池室设备加支架总重约1.3+0.65+1=2.95吨。
1.4×0.6恒载0.8×16kN/m2+4.99kN/m2=20.99kN/m2活载2kN/m2标准值:20.99+2=22.99kN/m2设计值:1.2×20.99+1.4×2=27.99kN/m2板弯矩M1:1/8×27.99×1.625×1.625=9.24kN*m/m剪力V1:1/2×27.99×1.625=22.74kN/m二、压型钢板验算(施工阶段)(1)抗弯强度M=We fWe 有效截面抵抗矩查《YB92387-92》54.1cm3/mf 压型钢材设计强度Q235钢f=215MPaM=54.1×1000×215=11.632kN*m/m>M1=7.33kN*m/m 满足(2)挠度计算5×PsL4/384×EsIs Is 查《YB92387-92》204cm4/m5×11.59×22504/384×2.06×105×204×104=9.2mmL/200=2250/200=11.25mm>9.2mm 满足三、组合板验算(使用阶段)(1)抗弯强度AsfAs 压型钢板一个波距截面积(112+88+76×2)×1.6=563.2mm2Asf=563.2×215=121.09kNbh c f cm=690×80×13.5×0.8=596.16kNAsf<bh c f cmX=Asf/bh c f cm=121.09kN×1000/609×13.5×0.8=18.4mm压型钢板截面应力合力至混凝土受压区截面应力的合力距离为Y=ho-x/2=75/2+80-x/2=75/2+80-18.4/2=108.3mm组合板抗弯强度为M=xbYf cm=18.4×690×108.3×0.8×13.5=14849749.44N*mm=14.85kN*m一个波距压型板实际弯矩(使用阶段)10.82kN*m/m×0.69m=7.47kN*m<14.85kN*m 满足(2)挠度计算模量比ae=2.06×105/2.80×104=7.36As=563.2mm2B=609mmho=115mm换算成混凝土截面组合截面特征值,受压高度为X=1/b×(-aeAs+(ae2As2+2aebAshc)-2)=1/609×(-7.36×563.2+(7.362×563.22+2×7.36×609×115×563.2)-2)=21.19mm换算成混凝土截面的组合截面惯性矩为I1=bx3/3+aeIs+aeAs(ho-x)2=609×21.193/3+7.36×204×104+7.36×563.2×(115-21.19)2=53424522.07mm4考虑荷载长期效应的影响时的受压高度X=1/b×(-2aeAs+(2ae2As2+2aebAshc)-2)=1/609×(-2×7.36×563.2+(2×7.362×563.22+2×7.36×609×115×563.2)-2)=27.11mm 换算成混凝土混凝土截面的组合截面惯性矩为I2=bx3/3+2aeIs+2aeAs(ho-x)2=609×27.113/3+2×7.36×204×104+2×7.36×563.2×(115-27.11)2=98084056.07mm4组合板挠度5×PsL4/384×EcI1+5×PsL4/384×EcI25×24.99×16254/384×2.8×104×53424522.07+5×24.99×16254/384×2.8×104×98084056.07=1.52+0.826=2.346mm2250/200=11.25mm>2.346mm 满足四、斜截面承载力计算V=0.07bhofc=0.07×112×115×11.9=10.73kN一个波距剪力计算V1×0.69m=26.64kN/m×0.69=18.38kN。
压型钢板荷载标准值
压型钢板是一种常见的建筑材料,广泛应用于工业厂房、仓库、车间等建筑结
构中。
在使用压型钢板时,我们需要了解其荷载标准值,以确保建筑结构的安全性和稳定性。
本文将就压型钢板荷载标准值进行详细介绍。
首先,压型钢板的荷载标准值是指在一定工作条件下,压型钢板所能承受的最
大荷载。
荷载标准值的确定是建筑设计中非常重要的一环,它直接关系到建筑结构的安全性。
通常情况下,压型钢板的荷载标准值是由国家标准或行业标准所规定的,设计时需要严格按照标准进行计算和选用。
其次,影响压型钢板荷载标准值的因素有很多,包括材料的强度、板材的厚度、截面形状、受力方式、支座形式等。
在实际工程中,需要根据具体情况综合考虑这些因素,确定合理的荷载标准值。
同时,还需要注意不同工作条件下的荷载标准值可能会有所不同,因此在设计过程中需要进行综合考虑。
另外,对于压型钢板的荷载标准值,我们还需要注意其在使用过程中的变化情况。
例如,在长期使用过程中,由于各种因素的影响,压型钢板的荷载承受能力可能会发生变化,因此需要进行定期检测和评估,确保其安全可靠。
总之,压型钢板荷载标准值是建筑设计中不可忽视的重要参数,它直接关系到
建筑结构的安全性和稳定性。
在实际工程中,我们需要充分了解国家标准和行业标准对于压型钢板荷载标准值的规定,合理选用材料和进行结构设计,确保建筑结构的安全可靠。
通过对压型钢板荷载标准值的详细介绍,相信大家对于这一重要参数有了更深
入的了解。
在实际工程中,我们需要严格按照标准规定进行设计和选用,确保建筑结构的安全性和稳定性。
希望本文对大家有所帮助,谢谢阅读!。
十、墙面压型钢板设计与计算墙面材料采用压型钢板,墙檩条间距1.6m ,选用YX35-125-750型压型钢板,板厚t=0.6㎜,截面形状及尺寸如图(1)、内力计算设计荷载:压型钢板单波线荷载:m KN q x /074.04.18.0125.053.0=⨯⨯⨯=(0.53为风荷载的面荷载)《风载 基本风压ω0=0.50KN/㎡ 地面粗糙程度为B 类 下面各高度为准风压高度的变化系数为:H μZ w 1(KN/㎡)9.30 0.97 0.4710.05 1.00 0.5010.30 1.01 0.51max 8x 8(2)、截面几何特性采用“线性法”计算D=35㎜ b 1=29㎜ b 2=29㎜ h=48.45㎜mm h b b L 9.15445.4822929221=⨯++=++=mm L b h D y 5.179.154)2945.48(35)(21=+⨯=+= mm y D y 5.175.173512=-=-=)32(2212h hL b b L tD I x -+=mm 6.16592)45.489.15445.48322929(9.154356.022=-⨯⨯+⨯⨯⨯= 311.9485.176.16592mm y I W x cx === 321.9485.176.16592mm y I W x tx ===(3)、有效截面计算① 上翼缘:为一均匀受压两边支承板,其应力为:26max /0.391.94810037.0mm N W M cx cx =⨯==σ 上翼缘的宽厚比3.486.029==t b ,查《钢结构设计与计算》均匀受压板件的有效宽厚比表1-62知:上翼缘截面全部有效。
② 腹板:系非均匀受压的两边支承板,其腹板上、下两端分别受压应力与拉应力作用2max max /39mm N W M cx==σ (压) 2max min /0.39mm N W M tx -==σ (拉) 腹板宽厚比 8.806.045.48==t h 20.39)0.39(0.39max min max =--=-=σσσα 查《钢结构设计与计算》非均匀受压板件的有效宽厚比表1-63知:知板件截面全部有效。