混凝土坍落度筒及捣棒校验方法
- 格式:doc
- 大小:388.50 KB
- 文档页数:25
1 概述1.1坍落度筒及捣棒系用于按GB/T50080,检验普通砼拌合物的稠度试验中坍落度的专用设备。
本方法适用于本中心坍落度筒及捣棒的首次、在用校验。
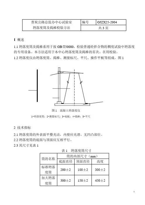
1.2坍落度仪由坍落度筒、捣棒、测量标尺、平尺、操作平板等组成。
图1图1 混凝土坍落度仪1-坍落度筒;2-测量标尺;3-底板;4-捣棒;5-平尺2 技术指标2.1坍落度筒的外表面平整光洁,内壁应光滑,无凹凸部位。
2.2坍落度筒的底面与顶面应互相平行。
2.3其尺寸见表12.4砼捣棒:直径为ф16±0.2mm,长度600±5mm;砂浆捣棒:直径为ф10±0.2m,长度350±3mm。
端部应呈圆形。
3 校验用标准器具钢直尺:测量范围0~100cm,精度1mm;游标卡尺:测量范围0~250mm,精度0.02mm。
4 校验项目坍落度筒和捣棒的外观质量和几何尺寸。
5 校验方法5.1目力检验坍落度筒内外表面是否平整光洁,有无凹凸部位,捣棒表面是否光洁,端头是否呈圆形。
5.2分别用游标卡尺测定坍落度筒顶部与底部圆的直径,测三个不同部位取其平均值为其直径;用钢直尺测量筒的高度三次,取其平均值。
5.3 用直尺测量捣棒长度L。
5.4在捣棒上均匀地取3点,用卡尺测量其直径d。
6校验结果的判定处理坍落度筒和捣棒的外观质量及、几何尺寸符合技术要求,则判定该坍落度筒合格。
7 校验周期坍落度筒校验周期为1年。
6 附录6.1 坍落度筒及捣棒校验记录表6.2 参考文献6.2.1公路工程水泥混凝土试验规程JTJ 053-946.2.2在计量认证工作中对填写计量器具校验方法和试验设备检验方法的要求(JJG-1021-90附录2)6.2.3刁爱国.建设工程质量检测设备校验方法,中国建筑工业出版社坍落度筒及捣棒校验记录表仪器名称:校验日期:仪器编号:有效日期:仪器规格型号:制造厂名称:校验用仪器:检验人:校核人:。
混凝土坍落度(坍落扩展度法)测定⑴、湿润坍落度筒及底板,在坍落度筒内壁和底板上应无明水。
底板应放在坚实水平面上,并把筒放在底板中心,然后用脚踩住二边的脚踏板,坍落度筒在装料时应保持固定的位置。
⑵、把按要求取得的混凝土试样用小铲分三层均匀的装入筒内,使捣实后每层高度为筒高的三分之一左右。
每层用振捣棒查25次。
振捣应沿螺旋方向由外向中心进行,每次插捣应在截面上均匀分布。
插捣筒边混凝土时,捣棒可以稍稍倾斜。
插捣底层时,捣棒应贯穿整个深度,插捣第二层和顶层时,捣棒应插透本层至下一层的表面;浇灌顶层时,混凝土应灌到高出筒口。
插捣过程中,如混凝土沉落到低于筒口,则应随时添加。
顶层插捣完后,刮去多余的混凝土,并用抹刀抹平。
⑶、清除筒边底板上的混凝土后,垂直平稳地提起坍落度筒。
坍落度筒的提离过程应在5~10s内完成;从开始装料到提坍落度筒的整个过程应不间断地进行,并应在150s内完成。
⑷、提起坍落度筒后,测量筒高与坍落后混凝土试体最高点之间的高度差,即为该混凝土拌合物的塌落度值;坍落度筒提离后,如混凝土发生崩坍或一边剪坏现象,则应重新取样另行测定;如第二次试验仍出现上述现象,则表示该混凝土和易性不好,应予记录备查。
⑸、观察坍落后的混凝土试体的黏聚性及保水性。
黏聚性的检查方法是用捣棒在以坍落的混凝土锥体侧面轻轻敲打,此时如果锥体逐渐下沉,则表示黏聚性良好,如果锥体倒塌、部分崩裂或出现离析现象,则表示黏聚性不好。
保水性以混凝土拌合物稀浆析出的程度来判定,坍落度筒提起后如有较多的稀浆从底部析出,锥体部分的混凝土也因失浆而骨料外漏,则表明此混凝土拌合物的保水性不好;如坍落度筒提起后无稀浆或仅有少量稀浆自底部析出,则表示此混凝土拌合物的保水性良好。
混凝土坍落度试验方法
混凝土坍落度试验
实验目的:
混凝土的易性是一个综合性的指标,包括流动性、粘聚性和保水性等三方面的性能。
本实验旨在通过测定混凝土的坍落度来评估其流动性。
实验设备和仪器:
标准坍落度筒和弹头型捣棒、铁锹、直尺、镘刀、磅称等。
实验步骤:
1、按比例配出15kg拌和材料,并在拌板上进行拌和,直至均匀。
2、清洗和润滑坍落度筒,并将其放在拌板上,用双脚踩
紧踏板使其固定。
3、将拌好的拌和物分三层均匀地装入筒内,每层装入高
度为筒高的三分之一。
插捣过程中,如试样沉落到低于筒口,则应随时添加,以保持高于筒顶。
每装一层分别用捣棒插捣
25次,插捣应在全部面积上进行,沿螺旋线由边缘渐向中心。
每层插捣时应捣至下层表面为止。
4、插捣完毕后,卸下漏斗并刮去多余的拌和物,使之与
筒顶面齐平,清除筒周围拌板上的杂物。
5、小心平稳地垂直向上提起坍落度筒,将筒放在拌和物
试体一旁,量出坍落后拌和物试体最高点与筒的高度差,即为该拌和物的坍落度。
6、如试件发生崩坍或一边剪坏现象,则应重新取样进行
试验。
如第二次仍然出现这种现象,则表示该拌和物和易性不好,应予记录备案。
7、测定坍落度后,观察拌和物的粘聚性,并记录。
注:本试验适用于坍落度值不小于10mm,骨料粒径不大
于40mm混凝土伴和物。
从开始装料到提起坍落度筒的整个
过程在150s内完成。
混凝土坍落度筒校验方法
本方法适用于新购和使用中以及检修后的混凝土坍落度筒及维勃稠度仪的坍落度筒的校验。
一、技术要求
1.1 坍落度筒应为薄钢板或其他金属制成的圆台形筒。
内壁光滑、无凹凸部位。
底面和顶面应互相平行并与锥体的轴线垂直。
1.2 坍落度筒筒外上端三分之一高处应焊两个手把,下端应焊脚踏板。
1.3 坍落度筒的内部尺寸为:
底部内径200±200mm
顶部内径100±2mm
高度300±2mm
筒壁厚度不小于1.5mm
1.4 钢制捣棒直径16±0.2mm,长600±5.0mm,表面光滑平直,端头应磨圆。
二、校验项目及条件
2.1 校验项目
2.1.1 外观检查
2.1.2 筒各部位尺寸检查
2.2 校验用器具
2.2.1 游标卡尺:量程200mm,分度值0.02mm。
2.2.2 钢卷尺:量程50m,分度值1mm。
2.2.3 直角尺。
三、检验方法
3.1 目测和手摸是否光滑,有无凹凸部位。
3.2 用钢卷尺测量两个把手是否在筒外上端三分之一高度处。
底部和顶面应互相平行并与锥体的轴线垂直,测量捣棒长度。
3.3 用游标卡尺测量筒壁厚度及捣棒直径,测量筒底及顶面内部和高度尺
寸,各部位应测量两点,取算术平均值,准确至1mm。
3.4 用直角尺测量底面、顶面是否与筒轴线垂直。
四、校验结果处理
全部校验项目均符合技术要求为合格。
五、校验周期、记录
校验周期为12个月,校验记录格式见下表。
混凝土坍落度筒校验记录
编号。
坍落度筒及捣棒检验规程本规程适用于新制的,使用中的以及检修后的坍落度筒及捣棒的检验。
一、总则坍落度筒及捣棒系用于按GBJ80—85 检验普通混凝土拌合物的稠度试验中坍落度法的专用设备,它的制造应符合GBJ80—85 中第3、1、2、条的要求。
检验周期48个月。
二、技术要求坍落度筒:1、外表面应平整光洁,内壁应光滑,无凹凸部位。
2、筒的内部尺寸:底部直径200±2mm;顶部直径100±2mm;高度300±2mm;筒壁厚度不小于1.5mm;3、底面与顶面应互相平行。
捣棒:1、捣棒直径为16±0.2mm,长度600±5mm,2、端部应呈园形。
三、检验用标准器具1、钢直尺:量程500mm,分度值1mm;2、直角尺;3、游标卡尺:量程200mm,分度值为0.02mm。
四、检验方法1、用感官检验坍落度筒内外表面是否平整光洁,有无凹凸部位。
捣棒外表面是否光洁,端头是否呈圆形。
2、按图一所示,分别用卡尺测定顶部与底部园的三个直径D1、D2、D3及d1、d2、d3。
3、按图一所示,钢直尺放在按第11条所测D1、D2、D3的位置上,用直角尺测量筒的高度h1、h2、h3、h4、h5、h6。
4、在筒壁上任取3点,用卡尺测其筒壁厚度。
5、用钢板尺测量捣棒长度L。
6、在捣棒上均匀地取3点,用卡尺测量其直径d。
五、检验结果评定新的或使用中的坍落度筒与捣棒,必须符合技术要求。
六、附录:检测记录表1坍落度筒、振捣棒检验记录检验单位:仪器编号:检验编号:23。
坍落度筒及捣棒检验规程集团标准化工作小组 [Q8QX9QT-X8QQB8Q8-NQ8QJ8-M8QMN]坍落度筒及捣棒检验规程一、本规程适用于新制的、使用中的、以及检修后的坍落度筒及捣棒的检验。
二、概述:坍落度筒及捣棒是用1mm钢板制成的截头圆锥体和Ф16mm园钢制成的棒体,主要作用是检验普通砼拌合物稠度的专用设备。
三、技术要求1、坍落度筒:(1)外表面应平整光洁,内壁应光滑,无凹凸部位,其表面粗糙度Ra不应低于0.25mm。
(2)筒的内部尺寸:底部直径2000±2mm;顶部直径100±2mm;高度300±2mm;筒壁厚度不少于1mm。
(3)坍落度筒的顶面和底面,其平面不平度不得大于0.2mm。
(4)坍落度筒的顶面对底面的平行度不大于1mm。
2、(1)捣棒直径为Ф16±0.3mm,长度为600±5mm。
(2)端部应呈圆形。
四、检验用标准器具1、分度值为0.5mm的钢板尺,量程≥700mm。
2、分度值为0.02mm的游标卡尺,量程大于2000mm。
3、分度值为0.05mm的高度游标尺,量程大于300mm。
五、检验方法1、外观检验用感官来检验坍落度筒内外表面是否平整光洁,有无凹凸部位。
捣棒外表面是否光洁,端头是否圆弧。
2、技术参数的检验(1)坍落筒顶面和底面圆的内径,用游标卡尺分别测量底面和顶面三个方位的直径。
如图所示:(2)坍落筒高度测量,先将坍落筒置于平台上,应用高度游标尺均匀、对称的测量高度,共测六点。
(3)坍落筒筒壁厚度测量,在距顶端和底端面20mm处,用千分尺测量其厚度。
(4)平面度误差测量:以顶面和底面放在平台上无动感为合格。
(5)顶面和底面的平行度以高度测得的最大值与最小值之差作为平行度检测的依据。
(6)用钢板尺测量捣棒长度L。
(7)在捣棒上均匀取3点,用卡尺测量其直径。
六、检验结果评定新的或使用中的坍落度筒与捣棒必须全部符合技术要求才作出合格的结论。
坍落度筒及捣棒的自检规程
一.范围本方法适用于新制的,使用中的以及检修后的坍落度筒及捣棒的校检。
二.要求:
1.坍落度筒
底部直径: D=200±2mm 顶部直径: d=100±2mm
高度: h=300±2mm 筒壁厚度:δ=1.5mm
2.捣棒
捣棒长度L=600±5mm 捣棒直径ф=16±0.2mm
三. 检定仪器:
1.分度值为0.5mm、量程1000mm的钢板尺
2.分度值为0.02mm、量程300mm的游标卡尺
四. 检定方法:
1.用感观来检验坍落度筒内外表面是否平整光洁,有无
凹凸部位。
捣棒外表面是否光洁,端头是否呈圆形。
2.技术参数(校检坍落度筒的高、厚、顶底部直径进行精
确测量,看是否在允许范围之内,捣棒的长度、直径)
五.校检结果评定
1.新的或使用中的坍落度筒与捣棒,必须全部符合技术要
求。
2.检定周期为半年
坍落度筒、捣棒校验记录校验编号:。
混凝土拌合物的坍落度是生产实践中经常检测的项目,坍落度检测比较快,比较直观反映混凝土拌合物的和易性。
混凝土的和易性是拌合物塑性状态的综合性能,包括流动性、粘聚性和保水性三个方面。
混凝土拌合物应具有良好的和易性,从搅拌机卸料,运输过程,再到浇筑、振捣的过程中都应该具有良好的匀质性,不发生离析、泌水,流动性良好,易于振捣密实,可以保证搅拌、运输、浇筑和振捣等工序得以顺利进行。
(一)坍落度试验方法混凝土拌合物坍落度的试验方法简单,便于施工现场操作,虽然不能完全检测出混凝土拌合物的性能,但仍深受一线人员的欢迎。
混凝土坍落度的具体检测方法如下:(1)用湿布将拌板及坍落度筒内外擦净、润滑,并将筒顶部加上漏斗,放在拌板上。
用双脚踩紧踏板,使其位置固定。
(2)用小铲将拌好的拌和物代表性分三层均匀的装入筒内,每层装入高度在插捣后大致为筒高的三分之一。
顶层装料时,应使拌和物高出筒顶。
插捣过程中,如试样沉落到低于筒口,则应随时添加,以便自始至终保持高于筒顶。
每装一层分别用捣棒插捣25次,插捣应在全部面积上进行,沿螺旋线由边缘渐向中心。
在筒边插捣时,捣棒应稍有倾斜,然后垂直插捣中心部分。
每层插捣时应捣至下层表面为止。
(3)插捣完毕后卸下漏斗,将多余的拌和物用镘刀刮去,使之与筒顶面齐平,筒周围拌板上的杂物必须刮净、清除。
(4)将坍落度筒小心平稳地垂直向上提起,不得歪斜,提离过程约5~10s内完成,将筒放在拌和物试体一旁,量出坍落后拌和物试体最高点与筒的高度差(以mm为单位,读数精确至5mm),即为该拌和物的坍落度。
从开始装料到提起坍落度筒的整个过程在150s内完成。
(5)当坍落度筒提离后,如试件发生崩坍或一边剪坏现象,则应重新取样进行试验。
如第二次仍然出现这种现象,则表示该拌和物和易性不好,应予记录备案。
(6)当混凝土拌合物的坍落度大于220mm时,用钢尺测量混凝土扩展后最终的最大直径和最小直径,在这两个直径之差小于50mm的条件下,用算术平均值作为坍落扩展度值;否则,此次试验无效。
坍落度筒及捣棒内校规程1 适用范围1.1 本方法适用于新制的,使用中的以及检测后的坍落度筒及捣棒的校验。
1.2 坍落度筒及捣棒系用于按《普通混凝土拌和物试验方法标准》GB/T 50080-2002检验普通混凝土拌合物稠度的专用设备,它的制造应符合GB/T50080-2002中第3.1.2条的要求。
2 技术要求2.1 坍落度筒2.1.1 外表面应平整光洁,内壁应光滑,无凹凸部位。
2.1.2 筒的内部尺寸:底部直径D=200±2mm;顶部直径d=100±2mm;高度h=300±2mm;筒壁厚度δ≥1.5mm。
2.1.3 底面与顶面应互相平行。
高度差<±4mm(在直径方向上)。
2.2 捣棒2.2.1 捣棒直径为16±0.2mm,长度L=600±10mm;2.2.2 端部呈圆形。
3 校验用标准器具3.1 钢卷尺:量程5m,分度值为1mm;3.2 深度游标尺:量程300mm,分度值为0.02mm;3.3 电子数显卡尺:量程300mm,分度值0.01mm。
4 校验方法4.1 外观校验用感官来检验坍落度筒内外表面是否平整光洁,有无凹凸部位。
捣棒外表面是否光洁,端头是否呈现圆形。
4.2 技术参数校验4.2.1 分别用电子数显卡尺测定底部与顶部圆垂直方向的二个直径D1、D2及d1、d2,取算术平均值。
4.2.2 用深度游标卡尺测量筒的高度h1、h2,取算术平均值。
4.2.3 在筒壁上任意取2个点,用电子数显卡尺测其筒壁厚度δ1、δ2,取算术平均值。
4.2.4 用深度游标卡尺测量高度差C1、C2,取算术平均值。
4.2.5 用钢卷尺测量捣棒长度L。
4.2.6 在捣棒上均匀地取2个点,用电子数显卡尺测量其直径Φ1、Φ2,取算术平均值。
5 校验结果评定5.1 新的或使用中的坍落度筒与捣棒,必须全部符合技术要求。
5.2 校验周期一年。
6 附录6.1 校验记录见后附表。
塌落度筒及捣棒校验方法1适用范围1)本方法适用于塌落度筒及捣棒的校验。
2)塌落度筒及捣棒系用于按《普通混凝土拌和物性能试验方法标准》GB/T50081-2002校验普通混凝土拌和物稠度的专用设备。
它的制造应符合GB/T50080-2002中第3.1.2条的要求2编制依据《混凝土塌落度筒》JG3021-94《建设工程质量检测设备校验方法》(江苏省建设工程质量监督站)3技术要求3.1塌落筒3.1.1外表应平整光洁,内壁应光滑,无凹凸部位。
3.1.2筒的内部尺寸:底部直径D=(200±2)mm;顶部直径d=(100±2)mm;高度h=(300±2)mm;筒壁厚度δ≥1.5mm。
3.1.3底部与顶部应互相平行,高度差<±4mm(在直径方向上)。
3.2捣棒3.2.1捣棒直径(16±0.2)mm,长度L=(600±5)mm;3.2.2端部应呈圆形。
4校验用标准器具1)钢直尺:量程大于600mm,分度值为0.5mm;2)直角尺:量程大于300mm,分度值1mm;3)游标卡尺:量程300mm,分度值0.02mm。
5校验方法5.1外观校验用感官检验塌落筒内外表面是否平整光洁,有无凹凸部位。
捣棒外表面是否光洁,端头是否呈圆形。
5.2技术参数校验5.2.1分别用游标卡尺测定底部圆及顶部圆的三个直径D1、D2、D3及d1、d2、d3,去算术平均值。
5.2.2钢直尺放在按5.2.1条所测D1、D2、D3的位置上,用直角尺测量筒的高度h1、h2、h3、h4、h5、h6,去算术平均值。
5.2.3在筒壁上任取3个点,用卡尺测量其筒壁厚度δ。
5.2.4用钢直尺测量捣棒长度L。
5.2.5在捣棒上均匀取3个点,用卡尺测量其直径d。
6校验结果评定1)新的或使用中的塌落度筒与捣棒,必须全部符合技术要求。
2)校验周期6个月,新工程使用前必须校验。
7附录校验记录,见表18-3.1塌落度筒、捣棒校验记录表。
1 范围1.1 本方法适用于新制的,使用中的以及检修后的坍落度筒及捣棒的校验。
1.2坍落度筒及捣棒系用于按《普通混凝土拌合物试验方法》GBJ80-1985校验普通混凝土拌合物稠度的专用设备,它的制造应符合GBJ80-1985中第3.1.2条的要求。
2 要求2.1 坍落度筒2.1.1 外表面应平整光洁,内壁应光滑,无凹凸部位。
2.1.2 筒的内部尺寸:底部直径D=(200±2)㎜。
顶部直径d=(100±2)㎜。
高度h=(300±2)㎜。
筒壁厚度δ≥1.5㎜。
2.1.3 底面与顶面应互相平行。
高度差<±4㎜(在直径方向上)。
2.2 捣棒2.2.1 捣棒直径为(16±0.2)㎜,长度L=(600±5)㎜。
2.2.2 端部应呈圆形。
3 校验用标准器具3.1 分度值为0.5㎜的钢直尺,量程大于600㎜。
3.2 直角尺:量程大于300㎜,分度值1㎜。
3.3 分度值0.02㎜的游标卡尺,量程为300㎜。
4 校验方法4.1 外观校检用感官来检验坍落度筒内外表面是否平整光洁,有无凹凸部位。
捣棒外表面是否光洁,端头是否呈圆形。
4.2 技术参数校验4.2.1 分别用卡尺测定底部与顶部圆的三个直径D1、D2、D3及d1、d2、d3取算数平均值。
4.2.2 钢直尺放在按4.2.1条所测D1、D2、D3 的位置上,用直角尺侧量筒的高度 h1 h2 h3 h4 h5 h6取算数平均值。
4.2.3 在筒壁上任意取3个点,用卡尺测其筒壁厚度δ。
4.2.4 用钢板尺测量捣棒长度L。
4.2.5 在捣棒上均匀地取3个点,用卡尺测量其直径d。
5 校验结果评定5.1 新的或使用中的坍落度筒与捣棒,必须全部符合技术要求。
5.2 校验周期壹年。
6 附录6.1 校验记录,见表12.1。
混凝土塌落度试验步骤1. 准备工作。
把试验场地清理干净,准备好坍落度筒,它的规格是上口直径100 毫米、下口直径200 毫米、高300 毫米。
还要有捣棒,直径16 毫米、长600 毫米。
比如在一间比较空旷的实验室里,把这些工具都放在操作台上。
2. 湿润坍落度筒。
用湿布把坍落度筒的内壁擦一下,让它有点湿润,但不能有水往下滴。
就像拿块湿布在筒子里面擦一圈,保证筒是潮的就行。
3. 把混凝土分三层装入筒内。
每层大概装到筒高的三分之一。
先装第一层,用捣棒在每层混凝土上插捣25 次,捣棒要插到底,插捣点在筒边100 毫米范围内均匀分布。
例如装第一层混凝土的时候,慢慢把混凝土倒进去,倒到大概三分之一的位置,然后拿着捣棒在边上开始插捣,一共插25 下。
4. 第二层和第三层的装料和捣实方法与第一层相同。
等第一层捣实完了,接着装第二层,同样倒到大概三分之二的位置,再插捣25 次。
最后装第三层,装满整个坍落度筒。
5. 抹平顶面。
混凝土装满后,用抹刀把筒口多余的混凝土刮掉,再把顶面抹平。
就像把筒上面凸出来的混凝土弄掉,让顶面变得平平整整的。
6. 提起坍落度筒。
在5 - 10 秒内把坍落度筒垂直平稳地提起。
双手握住筒的两侧,迅速地、直直地把筒提起来,注意提的时候不能倾斜。
7. 测量坍落度。
量一下混凝土坍落后最高点和筒高的差值,这就是坍落度。
比如坍落度筒高300 毫米,混凝土坍落后最高点是270 毫米,那坍落度就是30 毫米。
8. 观察混凝土的粘聚性和保水性。
看看混凝土是不是有严重的离析、泌水现象。
比如观察混凝土是不是有一部分石子都分开了,或者有没有水渗出来。
水泥混凝土塌落度试验步骤嘿,咱今儿个就来讲讲水泥混凝土塌落度试验的那些事儿!这可是个很重要的试验呢,就好像是给混凝土做一次全面的“体检”。
首先,得把那些家伙什准备齐全咯!什么坍落度筒啦、捣棒啦、铲子啦,一个都不能少。
就好比战士上战场,枪啊炮啊得拿好。
然后呢,把坍落度筒放在一个平整的地方,就像给它找了个安稳的“家”。
这时候,就可以把搅拌好的混凝土分三层装进筒里啦。
每层都要用捣棒均匀地插捣,可别偷懒哦,要像给它做按摩一样,让混凝土舒舒服服的。
接着,把筒的上口抹平,就像给蛋糕抹奶油一样,要抹得平平整整的。
这一步可得细心点,不然会影响后面的结果呢。
好啦,关键的时候到啦!慢慢把坍落度筒垂直向上提起,这时候混凝土就会跟着往下塌。
嘿,这塌下来的样子就像是个小土堆。
咱得仔细看看这小土堆有多高,这就是塌落度啦!你说这塌落度有啥用呢?这用处可大啦!就好比你买衣服得知道尺码合不合适,塌落度就能告诉咱这混凝土的流动性好不好。
要是塌落度太小,那混凝土就太干巴巴的啦,不好施工;要是太大,又可能太稀啦,质量也不行。
你想想,要是盖房子的时候用了不合适的混凝土,那房子能结实吗?那肯定不行啊!所以这个塌落度试验可重要着呢,不能马虎。
做这个试验的时候,还得注意一些小细节。
比如混凝土装筒的时候不能太满也不能太少,捣棒插捣的力度要适中,提筒的时候要垂直提,不能歪歪扭扭的。
这些小细节就像是一颗颗小螺丝钉,虽然不起眼,但是少了它们可不行。
咱搞工程的,就得把这些小事都做好,才能保证工程的质量。
就像老话说得好,“千里之堤,毁于蚁穴”,可不能小瞧了这些小环节。
总之呢,水泥混凝土塌落度试验虽然看起来简单,但是里面的门道可不少。
咱得认真对待,才能让混凝土乖乖听话,为我们的工程建设出一份力!这就是我对这个试验的理解,你们觉得呢?。
混凝土坍落度仪校验方法本方法适用于新的、使用中和检修后的坍落度仪的校验。
一、概述混凝土坍落度仪系中,测定混凝土拌和物坍落度的专用设备。
坍落度仪由坍落度筒、测量标尺、平尺、底板和捣棒组成。
二、技术要求1、应有铭牌,其中包括型号、规格、制造厂、出厂编号和出厂日期等。
2、应有产品合格证和产品说明书。
3、外表应平整光洁,内壁光滑、无凹凸部分。
4、采用整体铸造的筒壁,最小厚度不应小于4MM,采用钢板卷制的筒壁,最小厚度不应小于3MM。
5、坍落度在其外壁高度的2/3处,应有两个把手,下端有脚踏板。
6、坍落度筒的尺寸应为:顶部内径100±2MM底部内径200±2MM垂直高度300±2MM7、底板采用铸造或钢板制成,长度、宽度应不小于500MM,厚度不小于10MM。
其表面应光滑。
8、测量标尺的表面应光滑,刻度范围为0-250MM,分度值为1MM。
其零点应保证平尺底面与底板表面之间的距离为300±2MM。
标尺与底板的垂直误差不大于0.5MM。
9、平尺在测量标尺上应滑动灵活并有定位装置。
平尺底面与底板上表面的平行度误差,应不大于 1.0MM。
在已经使用过的坍落度中,如直接使用坍落度筒和钢直尺测量坍落度时,对测量标尺和平尺可不进行校验。
10、捣棒用圆钢制成,表面应光滑,其直径为16±0.5MM、长度为600±5MM,且端部呈半球形。
三、校验条件11、校验用的仪器设备:A、游标卡尺。
测量范围0-200MM,分度值0.02MM。
B、钢直尺测量范围0-500MM,分度值0.5MM。
C、一级直角度尺。
D、普通级塞尺。
厚度为0.02-0.1MM。
12、混凝土坍落度仪应在20±10℃下校验,环境应清洁、无腐蚀性气味。
四、校验项目和校验方法13、按1、2、3、5条对仪器的外观和资料进行调查。
14、用游标卡尺测量坍落度筒筒壁厚度,测量部位应在顶面和底面,沿圆周均匀取3个点,3个测量的平均值为壁厚。
塌落度筒及捣棒校验方法一、编制依据1.1合同1.2地质勘查报告1.3主要规范、规程及标准图集1.4主要法律、法规及规定1.5机电安装类规范、规程及图集1.6安全文明类规范、规程及图集1.7企业质量、环境和职业健康安全管理体系标准文件及企业技术标准公司质量、环境和职业健康安全管理体系,其编号:SBC·3·QESMS-2011,版本号:C。
2工程概况2.1总体简介2.2建筑概况本工程位于浙江省嘉兴市经开区,包括3栋双层物流周转库、1栋动力中心、1栋宿舍楼、1栋配套用房、1栋门卫室、2个自行车棚。
11#双层物流周转库:11#仓库为地上2层(局部4层,无地下结构),结构形式为钢筋混凝土框架结构+门式刚架。
总建筑面积37909.07㎡,建筑基底面积18091.80㎡。
长219m,宽82.8m,轴跨11.5m,10.05m,6m。
建筑高度24.7m。
本工程为物流建筑,其耐火等级为一级。
屋面采用彩钢板屋面,屋面防水等级为Ⅱ级。
12#双层物流周转库:12#仓库为地上2层(局部4层,无地下结构),结构形式为钢筋混凝土框架结构+门式刚架。
总建筑面积36337.85㎡,建筑基底面积17139.60㎡。
长207m,宽82.8m,轴跨11.5m、10.05m、6m。
建筑高度24.7m。
本工程为物流建筑,其耐火等级为一级。
屋面采用彩钢板屋面,屋面防水等级为Ⅱ级。
13#双层物流周转库:13#仓库为地上2层(局部4层,无地下结构),结构形式为钢筋混凝土框架结构+门式刚架。
总建筑面积36195.11㎡,建筑基底面积17139.60㎡。
长207m,宽82.8m,轴跨11.5m,6m。
建筑高度24.7m。
本工程为物流建筑,其耐火等级为一级。
屋面采用彩钢板屋面,屋面防水等级为Ⅱ级。
宿舍楼:宿舍楼地上5层(无地下结构),结构形式为钢筋混凝土框架结构。
总建筑面积6262.66㎡,建筑基底面积1247.62㎡。
建筑高度22m。
建筑工程混凝土坍落度测定试验方法要点(1)湿润坍落度筒及底板,在坍落度筒内壁和底板上应无明水。
底板应放置在坚实水平面上,并把筒放在底板中心,然后用脚踩住二边的脚踏板,坍落度筒在装料时应保持固定的位置。
(2)把按要求取得的混凝土试样用小铲分三层均匀地装入筒内,使捣实后每层高度为筒高的三分之一左右。
每层用振捣棒插捣25次。
插捣应沿螺旋方向由外向中心进行,各次插捣应在截面上均匀分布。
插捣筒边混凝土时,捣棒可以稍稍倾斜。
插捣底层时,捣棒应贯穿整个深度,插捣第二层和顶层时,捣棒应插透本层至下一层的表面;浇灌顶层时,混凝土应灌到高出筒口。
插捣过程中,如发现混凝土沉落到低于筒口,则应随时添加。
顶层插捣完毕后,刮去多余的混凝土,并用抹刀抹平。
(3)清除筒边底板上的混凝土后,垂直平稳地提起坍落度筒,坍落度筒的提离过程应在5~10s内完成;从开始装料到提坍落度筒的整个过程应不间断地进行,并应在150s内完成。
(4)提起坍落度筒后,测量筒高与坍落后混凝土试体最高点之间的高度差,即为该混凝土拌合物的坍落度值;坍落度筒提离后,如混凝土发生崩坍或一边剪切现象,则应重新取样另行测定;如第二次试验仍出现上述现象,则表示该混凝土和易性不好,应予记录查备。
(5)观察坍落后的混凝土试体的黏聚性和保水性。
黏聚性的检查方法是用捣棒在已坍落的混凝土锥体侧面轻轻敲打,此时如果锥体逐渐下沉,则表示黏聚性良好,如果锥体倒塌、部分崩裂或出现离析现象,则表示黏聚性不好。
保水性以混凝土拌合物稀浆析出的程度来评定,坍落度筒提起后如有较多的稀浆从底部析出,锥体部分的混凝土也因失浆而骨料外露,则表明此混凝土拌合物的保水性能不好;如坍落度提起后无稀浆或仅有少量稀浆自底部析出,则表示此混凝土拌合物保水性良好。
(6)当混凝土拌合物的坍落度大于220mm时,用钢尺测量混凝土扩展后最终的最大直径和最小直径,在这两个直径之差小于50㎜的条件下,用其算术平均值作为坍落扩展度值;否则,此次试验无效。
混凝土坍落度测试方法
混凝土坍落度测试方法
1.润湿坍落度筒和底板,在坍落度筒内壁和底板上应无明水。
底板
应放在坚实的水平面上,并把筒放在底板中心,然后用脚踩住两边的踏脚板,坍落度筒在装料时应保持固定的位置。
2.将拌制的混凝土试样分三层均匀的装入筒内,使捣实后每层高度
为筒高的1/3左右。
每层用捣棒插捣25次,插捣应沿螺旋方向由外向中心进行,每次插捣应在截面上均匀分布。
插捣筒边混凝土时,捣棒可以稍微倾斜。
插捣底层时,捣棒应贯穿整个深度,插捣第二层和顶层时,捣棒应插透本层,至下一层的表面;浇灌顶层时,混凝土应灌注高出筒口。
插捣过程中,如混凝土沉降到低于筒口,则应随时添加。
顶层捣完后,刮去多余的混凝土,并用抹刀抹平。
3.清除筒边底板上的混凝土后,垂直平稳的拔起坍落度筒。
坍落度
筒的提离过程应在5~10S内完成;从开始装料到提坍落度筒的整个过程应不断地进行,并应在150S内完成。
4.提起坍落度筒后,测量筒高与坍落后混凝土试体最高点之间的高
度差,即为该混凝土拌和物的坍落度值;坍落度筒提离后,如混凝土发生崩坍或一边剪环现象,则应重新取样另行测定;如第二次试验仍出现上次现象,则表示该混凝土和易性不好,应于记录备查。
5.测定坍落度的同时,可用目测方法评定拌和物的某些性质,并记
录备查。