吊车梁计算
- 格式:xls
- 大小:114.50 KB
- 文档页数:57
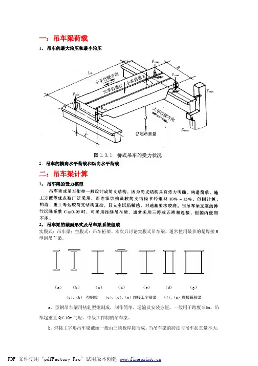
一:吊车梁荷载1,吊车的最大轮压和最小轮压2,吊车的横向水平荷载和纵向水平荷载二:吊车梁计算1,吊车梁的受力模型2,吊车梁的截面形式及吊车梁系统组成实腹式:吊车梁;空腹式:吊车桁架。
本次只讨论实腹式吊车梁。
通常使用最多的是焊接H 型钢吊车梁。
(a)(b)(c)(d)(e)(f)(g)(a)、(b)型钢梁(c)、(d)、(e)焊接工字形梁(f)、(g)焊接箱形梁a、型钢吊车梁用热轧型钢制成,制作简单、运输及安装方便,一般用于跨度≤6m,吊车起重量Q≤10t的轻、中级工作制的吊车梁。
b、焊接工字形吊车梁截面一般由三块板焊接而成。
当吊车梁的跨度与吊车起重量不大,并为轻、中级工作制时,可采用上翼缘加宽的不对称截面,此时一般可不设制动结构。
当吊车梁的跨度与吊车起重量较大或吊车为重级工作制时,可采用对称或不对称工字形截面,但需设置制动结构。
不对称工字形截面能充分利用材料强度使截面更趋合理。
工字形吊车梁一般设计成等高度等截面的形式,根据需要也可设计成变高度(支座处梁高缩小)变截面的形式(鱼腹式吊车梁)。
3,吊车梁的荷载选择一个柱距内一般仅能停靠2台吊车。
特殊情况除外。
4,吊车梁的最不利荷载位置当梁上有2个或2个以上轮压作用时,轮子的排列应使所有梁上轮压的合力作用线与最近一V个轮子间的距离被梁中心线平分,则此轮所在位置既为梁最大弯矩截面位置。
最大剪力max 可按梁反力影响线来求得。
上次课讲到,B为吊车宽度,W为吊车的轮距。
上面的图指的是单侧二轮吊车。
一台吊车时,只有2个轮子作用在吊车梁上,轮子位于(a)位置时,吊车梁受到的弯矩最大。
位于(b)位置时,支座剪力最大。
图中a1即为W,a2 = a1/4 = W/4两台相同吊车紧挨着运行时,视吊车梁跨度大小,作用于吊车梁上的轮子可能有2,3,4个。
当3个轮子作用于吊车梁时,(a)位置,弯矩最大;(b)位置,支座剪力最大。
图中,a1=B-Wa2=Wa3=(a2-a1)/6当4个轮子作用于吊车梁时,(a)位置,弯矩最大;(b)位置,支座剪力最大。
吊车梁的截面选择一.截面尺寸的确定:(1).梁的高度:①.经济要求:梁的平面内最大弯矩设计值:M xmax=464700000N·MM,支座处的最大剪力V max=梁选用钢材材质Q235,f=215N/mm2fv=Q345,f=315N/mm2fv=f=315N/mm2fv=梁需要的截面抵抗矩:W= 1.2*M xmax/f=1770286梁的经济截面高度:H=7*(W)^(1/3)-300=547②.刚度要求:对中级且Q<500KN,[l/w]=600,梁的跨度l=6000mm超过此限[l/w]=750取[l/w]=600,[w/l]=0.001667梁刚度要求的最小高度:Hmin=0.56*f*l/([w/l]*106)=③.建筑净空要求:H≤建筑净空要求根据以上三条要求确定吊车梁的高度,H=700mm二.腹板厚度Tw的确定:①.经验公式:T w=7+3h=10mm②.根据抗剪要求:T w≥ 1.2V max/h w fv= 2.9630843mm③.局部挤压应力的要求:数据准备:考虑动力系数的一个车轮的最大轮压a P max=136集中荷载增大系数,对轻、中级工作制吊车梁Y=1.0,对重级工作制吊车梁Y=1.35Y=1g Q= 1.4钢轨高度:140mm,吊车梁翼缘厚度t(暂估):轨顶至腹板计算高度上边缘的距离:h y=钢轨高度+吊车梁翼缘厚度t=车轮对腹板边缘挤压应力的分布长度,取L z=2h y+50=358T w≥aYg Q P max/(l w*f)=2mm根据以上三条要求暂估T w=8mm三.翼缘尺寸:翼缘所需的面积:A1=W x/H w-1/6HwTw=1696.6947根据翼缘的局部稳定判断翼缘不考虑局部稳定的最大宽度:b=336根据上面的翼缘最大宽度取b=330mm下翼缘厚度取10mm,下翼缘宽度Bb=300mm本吊车梁尺寸取如下值:吊车梁高度H=700mm上翼缘宽度Bt=330mm上翼缘厚度Tt=14mm下翼缘宽度Bb=300mm下翼缘厚度Tb=10mm腹板厚度Tw=8mm腹板高度Hw=676mm 根据上值转入《吊车梁截面计算》工作簿.支座处的最大剪力V max=310.63KN125N/mm2185N/mm2185N/mm2(板厚≤16mm) mm3mm636mm腹板高度暂定H w=680mmKN工作制吊车梁Y=1.3514mm车梁翼缘厚度t=154mmmmmm。
索性把一台双梁桥式起重机的轮压计算过程给大家贴出来。
一、已知:起重量:Q起=20吨跨度:L=22.5米大车车轮数:4个起重机总重(包括小车):G总=32.5吨小车重:G小车=7.5吨吊具重:0.5吨吊钩中心线到端梁中心线的最小距离L1=1.5米(大钩极限位置)二、计算过程1、大车最大轮压(满载)P满max=(32500-7500)/4+(20000+500+7500)*(22.5-1.5)/2*22.5=19317kg2、大车最小轮压(满载)P满min=(32500-7500)/4+(20000+500+7500)*1.5/2*22.5=7183kg3、大车最大轮压(空载)P空max=(32500-7500)/4+(500+7500)*(22.5-1.5)/2*22.5=9983kg4、大车最小轮压(空载)P空min=(32500-7500)/4+(500+7500)*1.5/2*22.5=6517kg所以最大轮压Pmax=19317 ,最小轮压Pmin=6517kg这样你该知道轮压是怎么来的了吧。
我来答复这些问题,不妥之处请李老师纠正1、起重机总重包含小车重,不含被吊物件重。
2、“起重量”是国家标准,“最大、小轮压”由起重机设计者提供。
3、单个车轮4、空载,如上帖解释。
5、不一定,轨顶标高由厂房设计者定,吊钩的最大起吊高度由用户定。
但轨顶标高一般大于起吊高度,但不多。
6、你指的是厂房的还是吊车主梁的横向?这些尺寸在吊车的产品样本中都应该有。
但是吊车的设计应遵守《通用桥式起重机界限尺寸》(GB/T7592-1987)的规定。
7、厂家有的提供大、小电机的型号,有的不提供,你可以索取。
功率因数、电机效率、启动电流等参数可以根据电机型号查有关资料。
8、具体资料可参考有关资料,或直接向厂家索取,另外,可利用上网搜索,比如,登陆南京起重机械总厂网站,或中国起重网。
9、做桥吊的厂家多如牛毛,有的地方是家家做吊车,但是,请你擦亮眼睛,伪劣假冒的多的是,尽管价格是出奇的便宜,但是其质量,尤其是焊接质量、外购件选型都一塌糊涂。
简支吊车梁验算计算书==================================================================== 计算软件:TSZ结构设计系列软件 TS_MTSTool v4.6.0.0计算时间:2016年04月10日 07:07:07====================================================================一. 设计资料1 基本信息:验算依据:钢结构设计规范(GB 50017-2003)建筑结构荷载规范(GB 50009-2012)吊车梁跨度:l=6000 mm吊车梁平面外计算长度:l0=6000 mm吊车梁所在柱列:边列柱吊车梁所在位置类型:中间跨2 吊车信息:吊车梁上有两台不同吊车同时运行第一台吊车基本信息(参图Ⅰ)吊车类型:T5t105_中级软钩吊车吊车跨度:10500 mm吊车自重:12.715 t小车重量:2.126 t吊车起重量:5 t工作级别:A4~A5(中级)吊钩形式:软钩吊车单侧轮子数:2个最大轮压:74 kN最小轮压:26.3 kN制动轮子数:1个轨道类型:43Kg/m吊车宽度:5050 mm吊车额定速度:90 m/min小车额定速度:40.1 m/min吊车轮距C1:3400 mm第二台吊车基本信息(参图Ⅱ)吊车类型:T5t105_重级软钩吊车吊车跨度:10500 mm吊车自重:13.9 t小车重量:2.762 t吊车起重量:5 t工作级别:A6(重级)吊钩形式:软钩吊车单侧轮子数:2个最大轮压:63.7 kN最小轮压:29 kN制动轮子数:1个轨道类型:38Kg/m吊车宽度:5622 mm吊车额定速度:90 m/min小车额定速度:40.1 m/min吊车轮距C1:3850 mm3 荷载信息:吊车竖向荷载增大系数:ηv=1.03吊车荷载分项系数:γc=1.4当地重力加速度值:g=9.8附加竖向均布活载标准值:0 kN/m附加水平均布活载标准值:0 kN/m吊车一动力系数:μ1=1.05吊车一横向水平刹车力系数:β1=0.12吊车一摆动力系数:α1=0吊车二动力系数:μ2=1.1吊车二横向水平刹车力系数:β2=0.12吊车二摆动力系数:α2=0.14 验算控制信息:吊车梁竖向挠度允许值:l/1000吊车梁水平挠度允许值:l/22005 吊车梁截面信息:截面型号:H-750*300*10*12用户自定义截面截面材料类型:Q235截面每米质量:113.51 kg/m截面几何参数如下:截面高度 H=750 mm上翼缘宽度 B1 =300 mm下翼缘宽度 B2 =300 mm腹板厚度 T w =10 mm上翼缘厚度 T f1=12 mm下翼缘厚度 T f2=12 mm截面力学参数如下:x轴毛截面惯性矩 I x =129932.658 cm^4 x轴净截面惯性矩 I nx =122646.136 cm^4 x轴上翼毛截面抵抗矩 W x =3464.871 cm^3 x轴上翼净截面抵抗矩 W nx =3155.656 cm^3 x轴下翼净截面抵抗矩 W nx1 =3394.155 cm^3 y轴上翼毛截面抵抗矩 W y =360.403 cm^3y轴上翼净截面抵抗矩 W ny =152.003 cm^3上翼缘有效净面积 A ne =30.84 cm^2净截面中和轴高度 C ny =361.345 mm吊车梁截面为梯形渐变式变腹板高度截面:截面端部高度 h d =400mm端部x轴毛截面惯性矩 I d =31536.341 cm^4端部x轴毛截面静矩 S d =875.12 cm^3端部x轴上翼缘静矩 S du =698.4 cm^3端部x轴下翼缘静矩 S dd =698.4 cm^36 吊车梁制动结构信息:吊车梁采用制动板结构制动结构宽度:B=1000 mm制动板搭在吊车梁上间距:70 mm制动板厚度:T=6 mm制动板宽度:B b=924.9 mm边梁截面选用:C-160*63*6.5*10制动板搭在边梁上间距:=50mm边梁面积:A e=21.95 cm^2边梁Y向惯性矩:I ye=73.4 cm^4边梁X向惯性矩:I xe=866.2 cm^4边梁形心到右下点X向距离:C xe=1.79 cm边梁形心到右下点Y向距离:C ye=8 cm制动结构绕y轴净截面惯性矩:I ny=174485 cm^4制动结构对梁上翼缘边净抵抗矩:W ny1=2769.05 cm^3制动结构对边梁翼缘边净抵抗矩:W ny2=3242.49 cm^3制动结构绕y轴毛截面惯性矩:I y=186286 cm^4吊车梁上翼缘对y轴的毛截面静矩:S y=1651.83 cm^37 吊车梁截面焊缝信息:吊车梁腹板与上翼缘采用焊透的T形组合焊缝吊车梁腹板与下翼缘采用部分焊透的T形组合焊缝下翼缘坡口深度:s d=5 mm吊车梁腹板与翼缘焊缝采用:自动焊8 腹板加劲肋信息:横向加劲肋布置方式:两侧成对布置横向加劲肋端部焊接方式:连续回焊,不断弧横向加劲肋选用:SB6_Q235横向加劲肋间距:a=1200 mm变截面区段横向加劲肋间距:a'=1200 mm横向加劲肋宽度:65 mm横向加劲肋端部到下翼缘距离:50 mm吊车梁不配纵向加劲肋和横向短加劲肋9 支座信息:吊车梁采用的支座类型:全部平板式支座,吊车梁下翼缘直接与牛腿栓接平板支座加劲肋选用:SB6_Q235平板支座加劲肋宽度:65 mm加劲肋焊缝焊脚高度:7 mm平板支座选用:SB20_Q235平板支座宽度:90 mm平板支座长度:540 mm10 计算参数:梁截面材料屈服强度:f y=235 N/mm^2梁截面材料转换系数:C F=(235/235)^0.5=1上翼缘截面抗拉强度:f t=215 N/mm^2下翼缘截面抗拉强度:f b=215 N/mm^2梁腹板截面抗剪强度:f v=125 N/mm^2梁腹板端面承压强度:f ce=325 N/mm^2吊车梁焊缝抗剪强度:f w=160 N/mm^2二. 验算结果一览受压(上)翼缘宽厚比 12.08 最大15.0 满足腹板高厚比 72.60 最大250.0 满足上翼缘受压强度比 0.37 最大1.0 满足下翼缘受拉强度比 0.33 最大1.0 满足端部腹板剪应力强度比 0.53 最大1.0 满足腹板局部承压强度比 0.16 最大1.0 满足腹板折算应力强度比 0.28 最大1.0 满足整体稳定强度比设制动结构不需验算满足竖向挠度计算值(mm) 1.72 最大6.0 满足水平挠度计算值(mm) 0 不需验算满足上翼缘焊缝强度比 T形组合焊缝不验算满足下翼缘焊缝强度比 0.76 最大1.0 满足下翼处金属应力幅(N/mm2) 19.53 最大118.0 满足下翼角焊缝剪应力幅(N/mm2) 6.51 最大59.0 满足肋端金属应力幅(N/mm2) 16.84 最大103.0 满足区格Ⅰ局稳强度比 0.27 最大1.0 满足区格Ⅱ局稳强度比 0.25 最大1.0 满足区格Ⅲ局稳强度比 0.22 最大1.0 满足区格Ⅳ局稳强度比 0.20 最大1.0 满足加劲肋布置方式双侧成对重级满足横向加劲肋间距(mm) 1200.00 最大1452.0 满足横向加劲肋间距(mm) 1200.00 最小363.0 满足横向加劲肋间距1(mm) 1200.00 最大1452.0 满足横向加劲肋间距1(mm) 1200.00 最小363.0 满足横向加劲肋外伸宽度(mm) 65.00 最小64.2 满足横向加劲肋厚度(mm) 6.00 最小4.3 满足无纵向加劲肋时ho/Tw 72.60 最大170.0 满足平板加劲肋稳定强度比 0.34 最大1.0 满足平板加劲肋焊缝强度比 0.22 最大1.0 满足平板加劲肋外伸宽度(mm) 65.00 最小64.2 满足横向加劲肋厚度(mm) 6.00 最小4.3 满足平板加劲肋焊脚高度(mm) 7.00 最小6.0 满足平板加劲肋焊脚高度(mm) 7.00 最大7.0 满足上翼柱侧板件正应力(MPa) 25.6 最大215 满足上翼柱侧角焊缝应力(MPa) 21.0 最大160 满足上翼柱侧角焊缝焊脚高度(mm) 4.00 最小4.00 满足上翼柱侧角焊缝焊脚高度(mm) 4.00 最大6.00 满足上翼梁柱连接板正应力(MPa) 31.0 最大215 满足上翼梁柱螺栓承担剪力(kN) 8.92 最大62.8 满足上翼梁柱螺栓轴向边距(mm) 35.0 最小33.0 满足上翼梁柱螺栓轴向边距(mm) 35.0 最大88.0 满足上翼梁柱螺栓垂向边距(mm) 45.0 最小44.0 满足上翼梁柱螺栓垂向边距(mm) 45.0 最大88.0 满足牛腿最大正应力(Mpa) 74.3 最大215 满足牛腿最大剪应力(Mpa) 110 最大125 满足牛腿最大折算应力(Mpa) 176 最大237 满足牛腿翼缘宽厚比 10.1 最大15.0 满足牛腿集中力截面剪应力(Mpa) 124 最大125 满足牛腿局部承压应力(Mpa) 83.4 最大325 满足牛腿综合应力(MPa) 149 最大160 满足牛腿焊脚高度(mm) 8.00 最大9.60 满足牛腿焊脚高度(mm) 8.00 最小4.74 满足支座螺栓承担剪力(kN) 49.5 最大62.8 满足支座螺栓轴向边距(mm) 55.0 最小44.0 满足支座螺栓轴向边距(mm) 55.0 最大96.0 满足支座螺栓垂向边距(mm) 55.0 最小33.0 满足支座螺栓垂向边距(mm) 55.0 最大96.0 满足支座螺栓垫板正应力(MPa) 206 最大215 满足支座螺栓垫板角焊缝应力(MPa) 58.7 最大160 满足支座螺栓垫板焊脚高度(mm) 8.00 最小7.00 满足支座螺栓垫板焊脚高度(mm) 8.00 最大9.00 满足上翼柱加劲肋板件宽厚比 14.0 最大14.9 满足上翼柱加劲肋板件剪应力(MPa) 1.69 最大180 满足上翼柱加劲肋焊缝剪应力(MPa) 2.95 最大200 满足牛腿处柱加劲肋板件宽厚比 14.5 最大14.9 满足牛腿处柱加劲肋板件剪应力(MPa) 23.2 最大180 满足牛腿处柱加劲肋焊缝剪应力(MPa) 40.5 最大200 满足纵向连接螺栓承担剪力(kN) 9.64 最大126 满足纵向连接螺栓轴向边距(mm) 45.0 最小44.0 满足纵向连接螺栓轴向边距(mm) 45.0 最大88.0 满足纵向连接螺栓竖向边距(mm) 35.0 最小33.0 满足纵向连接螺栓竖向边距(mm) 35.0 最大88.0 满足纵向连接螺栓间距(mm) 70.0 最小66.0 满足纵向连接螺栓间距(mm) 70.0 最大96.0 满足车挡截面自由外伸宽厚比 8.00 最大15.0 满足车挡截面腹板宽厚比 53.3 最大80.0 满足车挡截面最大剪应力(MPa) 40.9 最大125 满足车挡截面最大正应力(MPa) 131 最大215 满足车挡截面折算应力(MPa) 140 最大237 满足车挡集中力处板件宽厚比 10.0 最大14.9 满足车挡集中力处板件剪应力(MPa) 21.2 最大180 满足车挡集中力处焊缝剪应力(MPa) 15.8 最大200 满足车挡截面最大拉应力(MPa) 141 最大215 满足车挡截面最大压应力(MPa) -141 最小-215 满足车挡截面综合应力(MPa) 141 最大160 满足车挡截面腹板焊脚高(mm) 6.00 最大7.20 满足车挡截面腹板焊脚高(mm) 6.00 最小3.67 满足三. 吊车梁截面内力计算:1 吊车梁支座处最大剪力Vd计算(参图Ⅲ):竖向附加活载作用下端部剪力V da=0 kN吊车考虑动力系数后最大轮压标准值:P=1.05×74=77.7 kN吊车竖向荷载作用下端部剪力:V dc=1.4×1.03×77.7×(2×6000-1711)/6000=197.7 kN端部最大剪力计算值:V d=197.7 kN2 跨中最大竖向弯矩Mvm计算(参图Ⅳ):竖向附加活载作用下跨中弯矩M va=0 kN·m吊车考虑动力系数后单轮竖向作用力标准值:P=1.05×74=77.7 kN吊车荷载合力:F=77.7×2=147.8 kN左支座反力:R=147.8×2594/6000=63.89 kN吊车梁跨中弯矩M vc计算:M vc=1.4×1.03×63.89×2594×10^-3=239 kN·m跨中最大弯矩计算值:M vm=239 kN·m3 跨中最大竖向弯矩对应剪力Vm计算(参图Ⅳ):自重和竖向附加活载作用下端部剪力:V ma=(1.4*g v+1.2*q s)*S/l0=(1.4×0+1.2×1.135)×2594/6000×10^-3=0 kN 吊车考虑动力系数后单轮竖向作用力标准值:P=1.05×74=77.7 kN吊车荷载合力:F=77.7×2=147.8 kN左支座反力:R=147.8×2594/6000=63.89 kN最大弯矩点左侧剪力计算:V ml=1.4×1.03×63.89=92.14 kN最大弯矩点右侧剪力计算:V mr=V ml-1.4×1.03×77.7=(-19.91) kN跨中最大弯矩对应的剪力计算值:V m=92.14 kN4 吊车梁跨中最大水平弯矩Mhm计算(参图Ⅴ):水平附加活载作用下跨中弯矩M ha=0 kN·m吊车考虑卡轨力系数后单轮横向作用力标准值:Q=0.1×63.7=6.37 kN吊车荷载合力:F=6.37×1=6.37 kN左支座反力:R=6.37×3000/6000=3.185 kN吊车梁跨中弯矩M hc计算:M hc=1.4×3.185×3000×10^-3=13.38 kN·m跨中最大水平弯矩计算值:M hm=13.38 kN·m5 跨中最大竖向弯矩标准值Mvk计算(参图Ⅵ):竖向附加活载作用下跨中弯矩M vka=0 kN·m吊车单轮最大轮压标准值:P=1.0×74=74 kN吊车荷载合力:F=74×2=148 kN左支座反力:R=148×3850/6000=94.97 kN吊车梁跨中弯矩M vkc计算:M vkc=1×1.03×(94.97×3850-74×3400)×10^-3=117.4 kN·m 跨中最大弯矩计算值:M vk=117.4 kN·m6 跨中最大水平弯矩标准值Mhk计算(参图Ⅵ):水平附加活载作用下跨中弯矩M hka=0 kN·m吊车考虑刹车力系数及其放大后单轮横向作用力标准值:P=0.12×(5+2.126)/2×g/2=2.095 kN吊车荷载合力:F=2.095×2=4.19 kN左支座反力:R=4.19×3850/6000=2.689 kN吊车梁跨中弯矩M hkc计算:M hkc=1×(2.689×3850-2.095×3400)×10^-3=3.228 kN·m 跨中最大水平弯矩计算值:M hk=3.228 kN·m7 跨中最大竖向弯矩标准值Mvp计算(参图Ⅶ):竖向附加活载作用下跨中弯矩M vpa=0 kN·m吊车单轮最大轮压标准值:Q=1.0×63.7=101.9 kN吊车荷载合力:F=63.7×1=63.7 kN左支座反力:R=63.7×3000/6000=31.85 kN吊车梁跨中弯矩M vpc计算:M vpc=1×31.85×3000×10^-3=95.55 kN·m跨中最大弯矩计算值:M vp=95.55 kN·m8 支座最大竖向剪力标准值Vp计算(参图Ⅷ):竖向附加活载作用下端部剪力V pa=0 kN吊车最大轮压标准值:Q=1.0×63.7=101.9 kN吊车竖向荷载作用下端部剪力:V pc=1×1.03×101.9×(2×6000-3850)/6000=55.7 kN 端部最大剪力计算值:V p=55.7 kN四. 吊车梁板件宽厚比验算:1 受压(上)翼缘宽厚比验算:受压翼缘宽厚比限值:[b0/t]=15*(235/f y)^0.5=15翼缘自由外伸宽度:b0=145 mm翼缘宽厚比:b0/T f1=145/12=12.082 腹板高厚比验算:腹板高厚比限值:[h0/t]=250腹板计算高度:h0=726 mm腹板高厚比:h0/T w=726/10=72.6五. 吊车梁截面强度验算:1 上翼缘受压强度验算:吊车梁采用制动板吊车梁须验算疲劳强度或b0/T f1=12.08>13,取γx=1.0吊车梁须验算疲劳强度,取γy=1.0ξ=(M vm/W nx/γx+M hm/W ny1/γy)/f t=(239/3156/1+13.38/2769/1)×10^3/215=0.37482 下翼缘受拉强度验算:ξ=M vm/W nx1/f b=239×10^3/3394/215=0.32763 端部腹板剪应力强度验算:考虑截面削弱系数1.2τ=V d*S dx/(I dx*T w/1.2)/f v=197.7×875.1/(3.154e+004×10/1.2)/125×10^2=0.52684 最大轮压下腹板局部承压强度验算:考虑集中荷载增大系数后的最大轮压设计值按第二台吊车计算:吊车最大轮压:P max=63.7 kN轻、中级工作制吊车梁,依《钢规》4.1.3取增大系数:ψ=1.0 F=γc*ψ*μ*P max=1.4×1.35×1.1×63.7=132.4 kN 梁顶到腹板计算高度上边缘距离:h y=T f1=12 mm轨道高度:h R=140 mm集中荷载沿跨度方向支承长度取为:50 mm集中荷载在腹板计算高度上边缘的假定分布长度:l z=50+5*h y+2*h R=50+5×12+2×140=390 mmσc=F/T w l z=132.4×10^3/10/390=33.96 N/mm^2腹板抗压强度设计值:f=215 N/mm^2局部承压强度比ξ=σc/f=33.96/215=0.15795 腹板与上翼缘交接处折算应力强度验算:按跨中最大弯矩及其对应的剪力和最大轮压计算计算点局部压应力:σc=33.96 N/mm^2(参见腹板局部承压验算) 计算点正应力计算计算点到中和轴的距离:y1=H-C ny-T f1=376.7 mmσ=M vm/I n*y1=239/1.226e+005×376.7×10^2=73.41 N/mm^2计算点剪应力计算上翼缘对中和轴静矩:S1=(y1+0.5*T f1)*B1*T f1×10^-3=1378 cm^3τ=V m*S1/I x/T w=92.14×1378/1.299e+005/10×10^2=9.768 N/mm^2σ与σc同号,强度设计值增大系数:β1=1.1折算应力强度比ξ=(σ^2+σc^2-σ*σc+3*τ^2)^0.5/(β1*f)=(73.41^2+33.96^2-73.41×33.96+3×9.768^2)^0.5/(1.1×215) =0.27846 吊车梁整体稳定性验算吊车梁设置了制动结构,整体稳定不需验算。
混凝土吊车梁计算书设计:____________校核:____________审核___________日期________一、基本数据(一)、吊车及吊车梁基本数据吊车数据:1、吊车起重量Q= 16 t2、吊车跨度= 16.5 m3、吊车总重G=15 t4、小车重量g= 1.37 t5、最大轮压Pmax= 12.5 kN6、吊车总宽B= 2.8 m7、吊车轮距W= 2.5 m8、吊车数量n= 两台吊车梁数据:1、吊车梁宽b= 200 mm2、上翼缘宽bf= 200 mm3、吊车梁高h= 500 mm4、上翼缘高hf= 0 mm5、吊车梁跨度L= 6000 mm(二)、材料信息混凝土材料:C30 f c=14.3 N/mm2f t=1.43 N/mm2f tk=2.01 N/mm2钢筋:纵筋:HRB 335 f y=300 N/mm2箍筋:HRB 335 f yv=300 N/mm2(三)、其他信息吊车工作级别:A4 中级动力系数μ:1.05钢筋混凝土保护层厚度:25 mm裂缝宽度限制:0.2 mm挠度计算限制:1/600 Lo二、正截面设计(一)计算吊车梁的绝对最大弯矩位置计算长度取为:L0= 5.8 m由结构力学可判断,吊车轮按上述作用时才能产生绝对最大弯矩计算可得:合力R = 3×μ×Pmax = 52.5 kNa0 = B-W2= 0.15 m(二)正截面配筋计算1、内力计算吊车梁自重:q1 = 25×[b×h+(b f-b)×h f] = 2.5 kN/m轨道联结重:q2 = 1.5 kN/m自重总和:q = q1 + q2 = 4 kN/m由自重在k点产生的弯矩:Mqk = qx2(Lo-x) = 16.81 kN・m由吊车荷载在k点产生的弯矩:Mpk = R(L0-a0)24L0= 39.43 kN・m总弯矩:M maxk = M qk + M pk= 56.24 kN・m2、按T型梁计算配筋按照混凝土规范7.2.2条a s = 35 mmh0 = h-2a s = 430 mmM = f c b f h f(h0-h f/2) = 0 < M maxk = 56.24 属于II类T型截面3验算垂直截面的双向受弯强度每个轮子产生的刹车力:T = 0.25×α(Q+g)×9.8 = 4.26 kN为简化计算,假设每个轮子都作用在吊车梁跨中,由水平力产生的弯矩为:M H =nT4Lo = 24.708 kN ・m 可见,水平方向产生的弯矩很小,双向受弯强度验算可以忽略 三、斜截面设计(一)复核截面条件吊车梁自重荷载作用下产生的剪力: V 1 = 0.5×q×Lo = 11.6 kN 吊车荷载按下图作用时产生最大剪力:由结构力学可知:V 2 = μP max (4-2B+WLo ) = 28.51 kN 最大总剪力:V = V 1 + V 2 = 40.11 kN 由混凝土规范7.5.1条:0.25βc f c bh 0 = 307.45 kN > V 截面满足要求 (二)计算所需箍筋1、确定计算方法y a = ΣI y y iΣI y = 112 h f b f 3×12 h f +112 (h-h f )b 3×(h/2+h f /2)112 h f b f 3+112 (h-h f )b 3= 250 mm 每个吊车轮产生的扭矩: m t = 0.7[μP max ×0.02+T(y a +0.2)] = 1.53 kN ・m则支座截面产生的最大扭矩为:T = 1.4×m t ×(4-2B+2WLo ) = 4.65 kN ・m 构件截面信息腹板: W tw = b 2(3h-b)/6 = 8666666.66666667mm 3 翼缘: W tf = h f 2(b f '-b)/2 = 0mm 3W t = W tw + W tf = 8666666.66666667 mm 3 由混凝土规范7.6.1V bh 0 + T0.8W t= 1.1371 < 0.25βc f c = 3.575截面尺寸满足按弯剪扭共同作用的构件计算腹板受扭矩: T w = W twW t ×T = 4.650 kN ・m翼缘受扭矩: T f ' = W tfW t×T = 0.000 kN ・m2、腹板配筋计算A cor = b cor h cor = 67500 mm 2 u cor = 2×(b cor + h cor ) = 1200 mma.腹板受扭箍筋计算,按混凝土规范7.6.8:T = 0.35f t βt W t + 1.2ζ f yv A st1A cor sβt =1.51+0.5 VW tTbh 0= 0.93 A st1s = T w -0.35βt f t W tw1.2ζ f yv A cor= 0.032136 mm 2/mm b.腹板受剪箍筋计算,按混凝土规范7.6.8:A sv1s = V -0.7(1.5-βt )f t bh 01.25f yv h 0= 0.045301 mm 2/mm腹板所需单肢箍筋总面积为:A st1s + A sv1s= 0.0547865 mm 2/mm实际配置:8@100 满足c.腹板抗扭纵筋计算,按混凝土规范7.6.4-2:A stl = ζf yv A st1u corf y s= 23.14 mm 2 构造配置钢筋3、翼缘配筋计算b 'cor = b f - b - 50 = -50 mm h 'cor = h f - 50 = -50 mmA 'cor = b 'cor ×h 'cor = 2500 mm 2 U 'cor = 2(b 'cor + h 'cor ) = -200 mm a.翼缘抗扭箍筋计算,按混凝土规范7.6.8:A st1s = T f -0.35βt f t W tf1.2ζ f yv A cor= 0.000 mm 2/mm 实际配置:8@100 满足b.翼缘抗扭纵筋计算,按混凝土规范7.6.4-2:A stl = ζf yv A st1u corf y s= 0.00 mm 2 构造配置钢筋四、验算吊车梁疲劳强度(一)验算正截面疲劳强度1、验算受压区混凝土边缘纤维的应力 一台吊车产生的最大弯矩:由结构力学可判断,吊车轮按上述作用时才能产生绝对最大弯矩计算可得:合力R = 2×μ×Pmax = 26.25 kNa0 = B-W2= 0.15 m由自重在k点产生的弯矩:Mqk = qx2(Lo-x) = 16.82 kN・m由吊车荷载在k点产生的弯矩:Mpk = μP max(L0-a0)22L0= 38.06 kN・m总弯矩:M maxk = M qk + M pk= 54.88 kN・mαf E= E sE f c= 13.33先假定中和轴通过翼缘,换算截面的受压区高度:b2x02 - αfE A s(h0 - x0) = 0 公式见《钢筋混凝土结构计算手册》P624简化:Ax02 + Bx0 + C = 0 其中:A = 100B = 20593.2504C = -9266962.68解方程得:x0 = 218.39mm >h f = 0 mm 所以须按下列公式重新计算:b f2x02 - αfE A s(h0 - x0)-(b f - b)(x0 - h f)22= 0简化:Ax02 + Bx0 + C = 0 其中:A = 100B = 20593.2504C = -9266962.68 解方程得:x0 = 218.39mmI fo=h f x033-(b f - b)(x0 - h f)33+αfE A s(h0 - x0)2 = 1799083328.02ρfc=ρfcminρfcmax=MqkMqk+Mpk= 0.317589268845645查混凝土规范表4.1.6得: γρ = 0.86σf cmax = M f max x 0I fo = 6.662 < f fc = γρf c = 12.298满足要求 2、验算受拉钢筋的应力σf simin = αf E M f min (h 0-x 0)I f o = 30.342 N/mm 2σf simax = αf E M fmax (h 0-x 0)I f o = 65.196 N/mm 2Δσf si = σf simax - σfsimin = 34.854 N/mm 2 ρf s= σfsiminσfsimax = 0.465根据混凝土规范表4.2.5-1,可查得:Δf f y = 135 > Δσfsi = 34.854 满足要求(二)验算斜截面疲劳强度 1、验算中和轴处的主应力 计算从略2、验算弯起钢筋所需面积 计算从略五、验算吊车梁裂缝宽度σρsk = M maxk0.87h 0A s= 92.9862630983486 N/mm 2A te = 0.5bh = 50000 mm 2 ρte = A s /A te = 0.0308976d eq = Σn i d i 2Σn i νd i= 18.2222222222222 mmψ=1.1-0.65f tkρte σρsk= 0.645257156827881由混凝土规范8.1.2得: αcr = 2.1 c=20 ψ=1.0ωmax = αcr ψσρsk E s 1.9c+0.08d eqρte= 0.0536640377934194 < 0.2 满足规范要求六、验算吊车梁挠度由混凝土规范8.2.3:B s = E s A s h 021.15ψ+0.2+6αE ρ1+3.5γf'其中: ψ=1.0 αE = 13.33 E s = 200000 A s = 1544.88 h 0 = 430 γf ' = 0ρ= A sbh 0= 0.0171653333333333代入公式可得:B s = 27027886193474.9 由混凝土规范8.2.2:B = M kM q (θ-1)+M k B s其中: θ=1.6 M k = 38.06 M q = 16.82 代入公式可得:B = 21128148926726.3f=5qlo 4384B= 2.78964728702648f/Lo=1/1981 < 1/600 满足要求七、验算吊车梁配筋率计算从略。
额定起重量:20/5t 输入输出判断注解工作制级别:A5最大轮压Pk (kN )小车自重g (t )额定起重量W (t )吊车梁跨度S (m )161.7 6.982010.5荷载分项系数吊车动力系数1.4 1.05一、吊车梁承载力计算(按两台吊车)净跨Ln=7m 计算长度L0(1.05Ln 及L 较小值)=7.35m a=(B-W)/2=0.9775m x=(L0-a)/2= 3.18625mL0/6和h0的较小值m=1.2251、竖向荷载作用最大弯矩标准值Mk=446.6963188kN·m 基本组合Mmax=656.6435886kN·m 2、跨度m 处的最大剪力Vk=226.49kN 基本组合Va=332.9403kN一、吊车荷载计算(按两台吊车)吊车横向水平荷载标准值的系数ζ=0.1两台吊车荷载折减系数η=0.9两台吊车参与组合影响线竖标之和Σyi=2.432894737吊车横向水平荷载标准值Hxk=14.7688875kN √输入pkpm 纵向刹车轮个数n=2个吊车纵向水平荷载标准值Hyk=29.106kN √输入pkpm最大竖向荷载标准值Fk=354.0591711kN 吊车梁自重标准值Gk=54.6105kN 牛腿顶面吊车梁支座反力标准值Rk=408.6696711kN √输入pkpm 反力至节点的距离z=0.8m 节点弯矩标准值Mrk=326.9357368kN·m√输入pkpm吊车梁高度h (m )1200(Vk=Pk·(L0-m+L0-m-2a)/L0)(适用于软钩吊车,硬钩吊车取0.2)OK !满足要求。
OK !满足要求。
(Mk=2Pk·x^2/L0)柱距L (m )宽度B (m )轮距W (m )柱宽(m )7.65.95540.6as (m )梁编号0.07DL-10732.8kN·m 480.5kN高度h (m )200L0-m-2a)/L0)。
双轮距吊车梁的计算一、荷载计算1、吊车梁自重及埋件重h=0.65hf=0.15b=0.25m bf=0.50m轨道及埋件每米重=0.71KN/m轻级动力系数= 1.10吊车G1= 5.29小车G2= 2.00重物G3=10.00T吊车跨度Lk=8.74m主钩至吊车梁轨道的极限距离l1=0.59m 一根吊车梁上的轮数m=2个吊车计G1= 6.35小车计G2= 2.40吨重物计G3=14.00梁重及埋件重P=46.68KN2、垂直轮压垂直轮压P=99.69KN吊车均布荷合计q=7.83KN/m3、横向水平力横向水平力T0= 4.02KN二、吊车梁的内力计算(一)垂直力作用1、弯矩计算P1=100KN P2=100KN 车距宽b= 1.8mL= 5.96m P=199KN X= 3.58m a=0.600满足a=0.600试算值X1= 2.68m X2= 4.48最大弯矩M max=275KN*m1、剪力计算最大剪力Q max=193KN(二)横向水平力作用下弯矩及剪力横向最大弯矩M max= 5.99KN*m横向最大剪力Q max= 2.01(三)扭矩计算竖向力偏心矩e1=0.02m轨道高度=0.18m e2=0.38mm T= 3.52KN*m三、吊车梁配筋计算(一)纵向配筋钢筋强度fy=310N/mm2 138抗弯纵向钢筋面积AS=1844抗扭纵向钢筋总面积An=138纵向钢筋总面积AS=1983mm2受压区As=292拉配筋d1=22mm根数n=3受拉筋d2=22根数n=3实配A s=2280.8满足压配筋d1=20mm根数n=2受拉筋d2=22根数n=0实配A s=628.32满足(一)配箍筋1.43满足安全系数K= 1.55截面应满足的条件为 1.54满足混凝土的轴心抗压强度fc=10N/mm2配单筋双层混凝土的抗拉强度f t= 1.1N/mm2 按计算配筋箍筋保护层a s=0.025m箍筋直径d=8mm满足筋距S=120mm 钢筋强度fy=210N/mm21、方法一抗扭单支箍的面积As=17.33抗剪单支箍的面积As=29.38配单支箍总面积As=46.71mm2实配单支箍总面积As=50.271、方法二受扭箍筋As t1=0.3823受剪箍筋Asv=25.37配单支箍总面积As=25.75mm2Wt=0.018m3βt=0.5000.146ζ= 1.38配单支箍实际总面积As=46.71FALSE三、吊车梁挠度验算0.24 吊车轮距K= 1.800m 横轴系数=0.302k1=0.040Bd= 1.01864E+14Bc=9E+139.93长期荷载Mc=34.78短期荷载Md=218.427M253KN*m fcmax=10.87不满足四、吊车梁裂缝宽度验算纵向受拉钢筋直径d=2.2cm平均裂缝间距lf=111mm计算受拉钢筋应力fy=222N/mm2裂缝宽度δfmax =0.246满足吊车梁正截面配筋计算公式砼f c=10N/m ㎡砼fc m=11N/m ㎡ 钢f g=310N/m ㎡梁高h=650mm梁宽b=250mm弯矩M =275KNm剪力V =193KN 370.989398.99365.625单筋承受弯矩Mumax=371KN配单筋截面条件满足梁高h 0=585满足FALSE1、单筋公式:保护层as=65mmh 0 =585a=1375b=-2E+06c=2.8E+08判别式=1E+12有解962208截面受压X =208A s=1844.43565梁高h 0=5850.540.612、双筋公式:拉保护层a s=65mm 压保护层as=65mm 00.544761.4370.989398.9872941A s 1=0受压A s 2=0受拉A s总=m㎡双筋承受弯矩Mu1=370.99剪力V =1933、斜截面配筋:配弯起筋直径d 弯=22mm弯筋角度a =45根数n=0箍筋面积As 剪=29.3805箍钢f g=210N/m ㎡箍筋直径ds 剪=6箍筋设计间距@ =120mm 支数n =2弯钢f g=310N/m ㎡砼f c=10N/m ㎡102.3750荷载剪力V=193荷载剪力V=截面有效h0=585mm 0.07f c*b*h0=######需配筋箍抗剪V=193满足总抗剪V=193满足。
第二部分 钢混吊车梁设计部分一、吊车梁截面型式此电站单机容量为3.5万KW ,电站的吊车梁为两跨连续梁,跨长为7米,梁的截面形式为T 型,其截面尺寸如图所示。
吊车跨度m L K 14=,根据最大起重重量3G =23t ,选用30t 单小车桥式起重机。
吊车其他数据为:吊车轮距K=0m ,吊车主钩极限位置m l 1.11=,吊车重1G =26.1t ,单个小车重t G 5.92=,吊车两边轮数m=1,吊车轨道及埋件600N/m 。
1、高度:根据T 型梁截面混凝土梁的截面一般为跨度的1/5~1/8,即为7000/5~7000/8,即1400~875,取h=900mm 。
2、梁肋宽:梁肋宽为梁高的1/2~1/3,即450~300,取b=400mm 。
3、翼板厚度:翼板厚度常为梁的1/7~1/10,但不小于100mm ,故取为150mm 。
4、翼板宽度除考虑受力要求外,还应有足够尺寸以布置钢轨及埋件钢轨附件,一般不小于350mm ,在梁端部,肋宽宜适当加大,以利于主筋的锚固。
5、设计原则及混凝土标号、钢筋型号按《混凝土结构设计规范(GBJ-8为9)》。
吊车梁混凝土标号为C40,纵筋Ⅱ级,箍筋为Ⅰ级。
二、吊车梁荷载计算2.1、均布恒荷载q (取单位长度为1m 计算) (1)、吊车梁自重:N/m 109360.1024)6.015.04.075.0(q 431⨯=⨯⨯⨯+⨯=(2)、砂浆抹平层(3cm 容量为34/102m N ⨯)及埋件重(m N /600) N /m 10960.010)06.06.003.02(q 442⨯=⨯+⨯⨯= (3)、均布荷载: N /m 1003.110)096.0936.0(q 44⨯=⨯+= 2、垂直最大轮压:N t p 4104.224.22⨯== 3、横向水平制动力:T 0=1.633N 410⨯三、吊车梁内力计算3.1、在垂直作用下(1)、弯矩计算:从《水工钢筋混凝土结构学》附录表中应得n a 和n k 值。
吊车梁的截面选择一.截面尺寸的确定:(1).梁的高度:①.经济要求:梁的平面内最大弯矩设计值:M xmax=464700000N·MM,支座处的最大剪力V max=梁选用钢材材质Q235,f=215N/mm2fv=Q345,f=315N/mm2fv=f=315N/mm2fv=梁需要的截面抵抗矩:W= 1.2*M xmax/f=1770286梁的经济截面高度:H=7*(W)^(1/3)-300=547②.刚度要求:对中级且Q<500KN,[l/w]=600,梁的跨度l=6000mm超过此限[l/w]=750取[l/w]=600,[w/l]=0.001667梁刚度要求的最小高度:Hmin=0.56*f*l/([w/l]*106)=③.建筑净空要求:H≤建筑净空要求根据以上三条要求确定吊车梁的高度,H=700mm二.腹板厚度Tw的确定:①.经验公式:T w=7+3h=10mm②.根据抗剪要求:T w≥ 1.2V max/h w fv= 2.9630843mm③.局部挤压应力的要求:数据准备:考虑动力系数的一个车轮的最大轮压a P max=136集中荷载增大系数,对轻、中级工作制吊车梁Y=1.0,对重级工作制吊车梁Y=1.35Y=1g Q= 1.4钢轨高度:140mm,吊车梁翼缘厚度t(暂估):轨顶至腹板计算高度上边缘的距离:h y=钢轨高度+吊车梁翼缘厚度t=车轮对腹板边缘挤压应力的分布长度,取L z=2h y+50=358T w≥aYg Q P max/(l w*f)=2mm根据以上三条要求暂估T w=8mm三.翼缘尺寸:翼缘所需的面积:A1=W x/H w-1/6HwTw=1696.6947根据翼缘的局部稳定判断翼缘不考虑局部稳定的最大宽度:b=336根据上面的翼缘最大宽度取b=330mm下翼缘厚度取10mm,下翼缘宽度Bb=300mm本吊车梁尺寸取如下值:吊车梁高度H=700mm上翼缘宽度Bt=330mm上翼缘厚度Tt=14mm下翼缘宽度Bb=300mm下翼缘厚度Tb=10mm腹板厚度Tw=8mm腹板高度Hw=676mm 根据上值转入《吊车梁截面计算》工作簿.支座处的最大剪力V max=310.63KN125N/mm2185N/mm2185N/mm2(板厚≤16mm) mm3mm636mm腹板高度暂定H w=680mmKN工作制吊车梁Y=1.3514mm车梁翼缘厚度t=154mmmmmm。
吊车梁计算吊车梁采用Q345-B 起重量10t 跨度22.5m 总重量8.8t 小车4t ,max k P =75kN ,min k P =19.2kNmax P =1.4⨯1.05⨯,max k P =110.25kN竖向轮压作用max M =82.68 ⨯2.25=186.04kN.mmax V =110.25⨯1.5=165.4kN横向水平力'1.4g (Q+Q )/n=1.4100.1210+4/4=5.88kN T ξ=⨯⨯⨯()5.88=186=9.92110.25y M kN ⨯ 水平反力 5.88165.48.82110.25H kN =⨯= 暂取吊车梁截面如图所示1) 毛截面特性2=281+500.8+201=88A cm ⨯⨯⨯0280+4025.5+2051==23288y mm ⨯⨯⨯ 毛截面惯性矩32224=1/120.850+12823.2+12027.8+50 2.3=39125x I cm ⨯⨯⨯⨯⨯⨯⨯334128120=+=24961212y I cm ⨯⨯5.3cm y i = 5.3cm y i =净截面特性2=(28-22)1+500.8+201=84n A cm ⨯⨯⨯⨯形心位置 1=y (40⨯25.5+20⨯51)/84=243mm净截面惯性矩32224=1/120.850+40 1.2+12424.3+2026.7=36820nx I cm ⨯⨯⨯⨯⨯⨯3==148524.8nx nx I W cm 上 3==135427.2nx nx I W cm 下 3x S =28124.3+23.80.823.8/2=907cm ⨯⨯⨯⨯对上翼缘 324128=-1272=163312ny I cm ⨯⨯⨯⨯ =ny W 3=116.7cm 14ny I 毛截面 33128/12==130.714y W cm ⨯ 2)强度验算①上翼缘最大正应力6622max 33ny n 186109.9210=+=+=210.26N/mm <310N/mm 148510116.710y x M M W W σ⨯⨯⨯⨯上 下翼缘正应力 max n =x M W σ下=6318610=137135410⨯⨯.422N/mm <310N/mm ②剪应力 33max 4165.41090710===50.936820810x w V S I t τ⨯⨯⨯⨯⨯22N/mm <180N/mm ③腹板局部压应力=+5+250+510+2130360mm z y R l a h h =⨯⨯=31.0110.2510=38.38360c w z P t l ψσ⨯⨯==⨯22N/mm <310N/mm3)整体稳定验算1116000100.412280520l t b h ξ⨯===<⨯ 取0.730.180.80b βξ=+= 6000113.253y mm λ== h=520mm1121633/24690.65b I I I α===+ 0.8(21)0.248b b ηα=-= 2345/y f N mm =222234320235=+]43208800520235 =0.8+0248]0.770.6113.2148510345b b b y X yAh y W f ϕβλ⨯⨯⨯=>⨯ ' 1.070.282/0.70b b ϕϕ=-=66'33186.0109.9210 5.6560.7165110130.7101000yXb y M M l mm W σϕ⨯⨯=+=+=<=⨯⨯⨯ 4)刚度验算 挠度 2622kx 54186.04 1.05 1.4106000=236.8310/mm 1010 2.06103912510X M l N EI υ÷÷⨯⨯==<⨯⨯⨯⨯ 满足要求 吊车为A1~A5 疲劳可不进行验算5)加劲肋0wh t 可按构造配量0.50h 02a h ≤≤ 求间距 a =1.20h =600mm界面尺寸外伸长度 0/30+40=57s b h mm ≥ 厚度s t ≥/15s b =3.8m 采用80⨯8mm支座反力 R=165.4KN计算截面面积A=18⨯1.2+15⨯0.8=33.62cm绕腹板中线的截面惯性矩 3341.218 1.50.8+583.81212I cm ⨯⨯==4.17cm i = 50=12.04.17λ= 查表ϕ=0.989 322165.41049.8310/0.9893360N N mm f N mm A ϕ⨯==<=⨯ 6) 焊缝计算上翼缘与腹板连接焊缝=1.8f h mm= 取f h =6mm下翼缘与腹板连接焊缝3max 1.2 1.2165.410 1.771.4 1.4500160f w w t R h mml f ⨯⨯===⨯⨯ 同样取f h =6mm 吊车梁计算结束。
混凝土吊车梁计算书设计:____________校核:____________审核___________日期________一、基本数据(一)、吊车及吊车梁基本数据吊车数据:1、吊车起重量Q= 16 t2、吊车跨度= 16.5 m3、吊车总重G=15 t4、小车重量g= 1.37 t5、最大轮压Pmax= 12.5 kN6、吊车总宽B= 2.8 m7、吊车轮距W= 2.5 m8、吊车数量n= 两台吊车梁数据:1、吊车梁宽b= 200 mm2、上翼缘宽bf= 200 mm3、吊车梁高h= 500 mm4、上翼缘高hf= 0 mm5、吊车梁跨度L= 6000 mm(二)、材料信息混凝土材料:C30 f c=14.3 N/mm2f t=1.43 N/mm2f tk=2.01 N/mm2钢筋:纵筋:HRB 335 f y=300 N/mm2箍筋:HRB 335 f yv=300 N/mm2(三)、其他信息吊车工作级别:A4 中级动力系数μ:1.05钢筋混凝土保护层厚度:25 mm裂缝宽度限制:0.2 mm挠度计算限制:1/600 Lo二、正截面设计(一)计算吊车梁的绝对最大弯矩位置计算长度取为:L0= 5.8 m由结构力学可判断,吊车轮按上述作用时才能产生绝对最大弯矩计算可得:合力R = 3×μ×Pmax = 52.5 kNa0 = B-W2= 0.15 m(二)正截面配筋计算1、内力计算吊车梁自重:q1 = 25×[b×h+(b f-b)×h f] = 2.5 kN/m轨道联结重:q2 = 1.5 kN/m自重总和:q = q1 + q2 = 4 kN/m由自重在k点产生的弯矩:Mqk = qx2(Lo-x) = 16.81 kN・m由吊车荷载在k点产生的弯矩:Mpk = R(L0-a0)24L0= 39.43 kN・m总弯矩:M maxk = M qk + M pk= 56.24 kN・m2、按T型梁计算配筋按照混凝土规范7.2.2条a s = 35 mmh0 = h-2a s = 430 mmM = f c b f h f(h0-h f/2) = 0 < M maxk = 56.24 属于II类T型截面3验算垂直截面的双向受弯强度每个轮子产生的刹车力:T = 0.25×α(Q+g)×9.8 = 4.26 kN为简化计算,假设每个轮子都作用在吊车梁跨中,由水平力产生的弯矩为:M H =nT4Lo = 24.708 kN ・m 可见,水平方向产生的弯矩很小,双向受弯强度验算可以忽略 三、斜截面设计(一)复核截面条件吊车梁自重荷载作用下产生的剪力: V 1 = 0.5×q×Lo = 11.6 kN 吊车荷载按下图作用时产生最大剪力:由结构力学可知:V 2 = μP max (4-2B+WLo ) = 28.51 kN 最大总剪力:V = V 1 + V 2 = 40.11 kN 由混凝土规范7.5.1条:0.25βc f c bh 0 = 307.45 kN > V 截面满足要求 (二)计算所需箍筋1、确定计算方法y a = ΣI y y iΣI y = 112 h f b f 3×12 h f +112 (h-h f )b 3×(h/2+h f /2)112 h f b f 3+112 (h-h f )b 3= 250 mm 每个吊车轮产生的扭矩: m t = 0.7[μP max ×0.02+T(y a +0.2)] = 1.53 kN ・m则支座截面产生的最大扭矩为:T = 1.4×m t ×(4-2B+2WLo ) = 4.65 kN ・m 构件截面信息腹板: W tw = b 2(3h-b)/6 = 8666666.66666667mm 3 翼缘: W tf = h f 2(b f '-b)/2 = 0mm 3W t = W tw + W tf = 8666666.66666667 mm 3 由混凝土规范7.6.1V bh 0 + T0.8W t= 1.1371 < 0.25βc f c = 3.575截面尺寸满足按弯剪扭共同作用的构件计算腹板受扭矩: T w = W twW t ×T = 4.650 kN ・m翼缘受扭矩: T f ' = W tfW t×T = 0.000 kN ・m2、腹板配筋计算A cor = b cor h cor = 67500 mm 2 u cor = 2×(b cor + h cor ) = 1200 mma.腹板受扭箍筋计算,按混凝土规范7.6.8:T = 0.35f t βt W t + 1.2ζ f yv A st1A cor sβt =1.51+0.5 VW tTbh 0= 0.93 A st1s = T w -0.35βt f t W tw1.2ζ f yv A cor= 0.032136 mm 2/mm b.腹板受剪箍筋计算,按混凝土规范7.6.8:A sv1s = V -0.7(1.5-βt )f t bh 01.25f yv h 0= 0.045301 mm 2/mm腹板所需单肢箍筋总面积为:A st1s + A sv1s= 0.0547865 mm 2/mm实际配置:8@100 满足c.腹板抗扭纵筋计算,按混凝土规范7.6.4-2:A stl = ζf yv A st1u corf y s= 23.14 mm 2 构造配置钢筋3、翼缘配筋计算b 'cor = b f - b - 50 = -50 mm h 'cor = h f - 50 = -50 mmA 'cor = b 'cor ×h 'cor = 2500 mm 2 U 'cor = 2(b 'cor + h 'cor ) = -200 mm a.翼缘抗扭箍筋计算,按混凝土规范7.6.8:A st1s = T f -0.35βt f t W tf1.2ζ f yv A cor= 0.000 mm 2/mm 实际配置:8@100 满足b.翼缘抗扭纵筋计算,按混凝土规范7.6.4-2:A stl = ζf yv A st1u corf y s= 0.00 mm 2 构造配置钢筋四、验算吊车梁疲劳强度(一)验算正截面疲劳强度1、验算受压区混凝土边缘纤维的应力 一台吊车产生的最大弯矩:由结构力学可判断,吊车轮按上述作用时才能产生绝对最大弯矩计算可得:合力R = 2×μ×Pmax = 26.25 kNa0 = B-W2= 0.15 m由自重在k点产生的弯矩:Mqk = qx2(Lo-x) = 16.82 kN・m由吊车荷载在k点产生的弯矩:Mpk = μP max(L0-a0)22L0= 38.06 kN・m总弯矩:M maxk = M qk + M pk= 54.88 kN・mαf E= E sE f c= 13.33先假定中和轴通过翼缘,换算截面的受压区高度:b2x02 - αfE A s(h0 - x0) = 0 公式见《钢筋混凝土结构计算手册》P624简化:Ax02 + Bx0 + C = 0 其中:A = 100B = 20593.2504C = -9266962.68解方程得:x0 = 218.39mm >h f = 0 mm 所以须按下列公式重新计算:b f2x02 - αfE A s(h0 - x0)-(b f - b)(x0 - h f)22= 0简化:Ax02 + Bx0 + C = 0 其中:A = 100B = 20593.2504C = -9266962.68 解方程得:x0 = 218.39mmI fo=h f x033-(b f - b)(x0 - h f)33+αfE A s(h0 - x0)2 = 1799083328.02ρfc=ρfcminρfcmax=MqkMqk+Mpk= 0.317589268845645查混凝土规范表4.1.6得: γρ = 0.86σf cmax = M f max x 0I fo = 6.662 < f fc = γρf c = 12.298满足要求 2、验算受拉钢筋的应力σf simin = αf E M f min (h 0-x 0)I f o = 30.342 N/mm 2σf simax = αf E M fmax (h 0-x 0)I f o = 65.196 N/mm 2Δσf si = σf simax - σfsimin = 34.854 N/mm 2 ρf s= σfsiminσfsimax = 0.465根据混凝土规范表4.2.5-1,可查得:Δf f y = 135 > Δσfsi = 34.854 满足要求(二)验算斜截面疲劳强度 1、验算中和轴处的主应力 计算从略2、验算弯起钢筋所需面积 计算从略五、验算吊车梁裂缝宽度σρsk = M maxk0.87h 0A s= 92.9862630983486 N/mm 2A te = 0.5bh = 50000 mm 2 ρte = A s /A te = 0.0308976d eq = Σn i d i 2Σn i νd i= 18.2222222222222 mmψ=1.1-0.65f tkρte σρsk= 0.645257156827881由混凝土规范8.1.2得: αcr = 2.1 c=20 ψ=1.0ωmax = αcr ψσρsk E s 1.9c+0.08d eqρte= 0.0536640377934194 < 0.2 满足规范要求六、验算吊车梁挠度由混凝土规范8.2.3:B s = E s A s h 021.15ψ+0.2+6αE ρ1+3.5γf'其中: ψ=1.0 αE = 13.33 E s = 200000 A s = 1544.88 h 0 = 430 γf ' = 0ρ= A sbh 0= 0.0171653333333333代入公式可得:B s = 27027886193474.9 由混凝土规范8.2.2:B = M kM q (θ-1)+M k B s其中: θ=1.6 M k = 38.06 M q = 16.82 代入公式可得:B = 21128148926726.3f=5qlo 4384B= 2.78964728702648f/Lo=1/1981 < 1/600 满足要求七、验算吊车梁配筋率计算从略。
吊车梁最大弯矩点内力计算1.计算吊车梁的内力时,由于吊车荷载为动力荷载,首先应确定求各内力所需吊车荷载的最不利位置,再按此求梁的最大弯矩及其相应的剪力、支座最大剪力,以及横向水平荷载作用下在水平方向所产生的最大弯矩M T(当为制动梁时)或在吊车梁上翼缘的产生的局部弯矩M H(当为制动桁架时)。
2.常用简支吊车梁,当吊车荷载作用时,其最不利的荷载位置、最大剪矩和剪力,可按下列情况确定:(2)两个轮子作用于梁上时(图8‐4)最大弯矩点(C)的位置为:a2= a1/4最大弯矩为:(8‐6)最大弯矩处的相应剪力为:(8‐7)(2)三个轮子作用于梁上时(图8‐5)最大弯矩点(C)的位置为:最大弯矩为:(8‐8)最大弯矩处的相应剪力为:(8‐9)(3)四个轮子作用于梁上时(图8‐6)最大弯矩点(C)的位置为:最大弯矩为:(8‐10)最大弯矩处的相应剪力为:(8‐11)当时最大弯矩及其相应剪力均与公式(8‐10)及公式(8‐11)相同,但公式中的应用代入(4)六个轮子作用于梁上时(图8‐7):最大弯矩点(C)的位置为:最大弯矩为:(8‐12)最大弯矩处的相应剪力为:(8‐13)当及 时,最大弯矩点(C点)的位置为:其最大弯矩及相应剪力均与公式(8‐12)及公式(8‐13)相同,但公式中的应用代入(5)最大剪力应在梁端支座处。
因此,吊车竖向荷载应尽可能靠近该支座布置(图8‐4b)至图8‐7b),并按下式计算支座最大剪力:(8‐14)式中n—作用于梁上的吊车竖向荷载数。
选择吊车梁截面时所用的最大弯矩和支座最大剪力,可用吊车竖向荷载作用下所产生的最大弯矩和支座最大剪力乘以表8‐2的(为考虑吊车梁等自重的影响系数)值,即(8‐15)(8‐16)3.吊车横向水平荷载作用下,在水平方向所产生的最大弯矩,可根据图8‐4(a)至图8‐7(a)所示荷载位置采用下列公式计算:当为轻、中工作制(A1‐A5)吊车梁的制动梁时,(8‐17)当为重级或特重级工作制(A6‐A8)吊车梁的制动梁时,(8‐18)(2)吊车横向水平荷载作用下制动桁架在吊车梁翼缘所产生的局部弯矩可近似地按下列公式计算(图8‐8):当为起重量Q≥75t的轻、中级工作制吊车的制动桁架时(8‐19)当为起重量Q≥75t的重级工作制(特重级不受起重量限制)吊车的制动桁架时(8‐20)当为起重量Q≤50t的轻、中级工作制吊车的制动桁架时(8‐21)当为起重量Q≤50t的重级工作制(特重级不受起重量限制)吊车的制动桁架时 (8‐22)。
双轮距吊车梁的计算
一、荷载计算
1、吊车梁自重及埋件重h=0.65hf=0.15b=0.25m
bf=0.50
m
轨道及埋件每米重=
0.71
KN/m 轻级动力系数=
1.10
吊车G 1=
5.29小车G2=
2.00重物G 3=10.00T
吊车跨度Lk=
8.74
m
主钩至吊车梁轨道的极限距离l1=
0.59m
一根吊车梁上的轮数m=2个
吊车计G1=
6.35小车计G2=
2.40吨
重物计G3=
14.00梁重及埋件重P=46.68KN 2、垂直轮压垂直轮压P=
99.69KN 吊车均布荷合计q =
7.83
KN/m
3、横向水平力横向水平力T 0= 4.02
KN
二、吊车梁的内力计算
(一)垂直力作用1、弯矩计算P 1=100KN P 2=100KN 车距宽b = 1.8m L=
5.96
m P=199KN
X=
3.58
m a =
0.600满足
a =
0.600
试算值X 1=2.68m
X 2=
4.48最大弯矩M max =275
KN*m
1、剪力计算最大剪力Q max =
193
KN
(二)横向水平力作用下弯矩及剪力 横向最大弯矩M max = 5.99KN*m 横向最大剪力Q max = 2.01(三)扭矩计算竖向力偏心矩e 1=
0.02m
轨道高度=
0.18
m
e 2=
0.38
m
m T =
3.52
KN*m
三、吊车梁配筋计算
(一)纵向配筋
钢筋强度fy=310N/mm2
138
抗弯纵向钢筋面积AS=
1844
抗扭纵向钢筋总面积An=
138
纵向钢筋总面积AS=1983
mm2受压区As=292
拉配筋d1=
22mm 根数n=3受拉筋d2=
22根数n=3实配A s=2280.8满足压配筋d1=
20mm
根数n=
2
受拉筋d 2=
22根数n=
0实配A s=
628.32满足
(一)配箍筋
1.43满足安全系数K=
1.55
截面应满足的条件为
1.54满足
混凝土的轴心抗压强度fc=
10N/mm2配单筋双层混凝土的抗拉强度f t = 1.1N/mm2 按计算配筋箍筋保护层a s=0.025m 箍筋直径d=8
mm
满足
筋距S=120mm
钢筋强度fy=210
N/mm21、方法一
抗扭单支箍的面积As=17.33
抗剪单支箍的面积As=
29.38配单支箍总面积As=
46.71mm2 实配单支箍总面积As=
50.271、方法二 受扭箍筋As t1=0.3823 受剪箍筋Asv =
25.37配单支箍总面积As=
25.75
mm2Wt=
0.018
m3
βt =0.500
0.146
ζ=
1.38配单支箍实际总面积As=
46.71
FALSE
三、吊车梁挠度验算0.24
吊车轮距K=
1.800
m
横轴系数=0.302k 1=0.040Bd=
1.01864E+14
Bc=
9E+13
9.93
长期荷载Mc=34.78短期荷载Md=218.427
M 253KN*m fcmax=10.87不满足
四、吊车梁裂缝宽度验算纵向受拉钢筋直径d=
2.2
cm
平均裂缝间距lf=
111mm
计算受拉钢筋应力fy=
222
N/mm2裂缝宽度δfmax =0.246
满足
吊车梁正截面配筋计算公式
砼f c=10N/m ㎡砼fc m=
11N/m ㎡ 钢 f g=310N/m ㎡梁高h=650mm
梁宽 b=
250mm
弯矩M =
275
KNm
剪力V =
193
KN
370.989398.99
365.625
单筋承受弯矩 Mumax=371KN 配单筋
截面条件满足梁高h 0=
585满足
FALSE
1、单筋公式:保护层a s=
65mm
h 0 =585a=
1375
b=-2E+06
c=
3E+08判别式 =1E+12有解
962208
截面受压X =
208
A s=
1844.4
35
65
梁高h 0=
585
0.540.612、双筋公式:拉保护层a s=65mm 压保护层as=
65mm 0
0.54
4761.4370.989398.9872941A s 1=
受压A s =
受拉A s 总=
0m ㎡
双筋承受弯矩 Mu1=
370.99剪力V =193
3、斜截面配筋:配弯起筋直径d 弯=22mm 弯筋角度 a
45根数n=0箍筋面积As 剪 =29.38 箍钢 f g=
210N/m ㎡
箍筋直径ds 剪 =6箍筋设计间距@ =120mm
支数n =2
弯钢 f g=310N/m ㎡
砼f c=10N/m ㎡102.3750荷载剪力V=193
荷载剪力V=
截面有效h 0=585mm 0.07f c*b*h 0=######需配筋箍抗剪V=193满足总抗剪V=
193
满足。