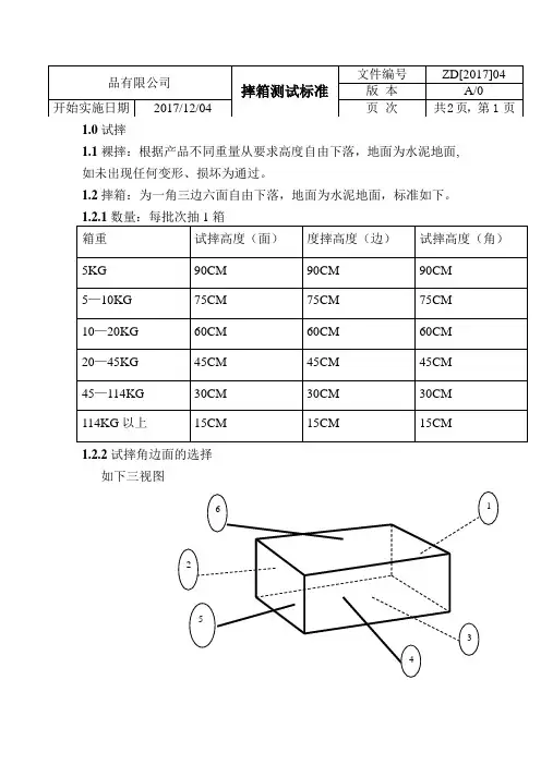
摔箱测试标准
- 格式:doc
- 大小:59.00 KB
- 文档页数:2
摔箱测试
所有包装主箱,都必须通过以下测试标准,并且丝毫不损坏产品或影响包装外观,哪怕产品已是会员店已有包装的。
按照以下测试方法,将四个不同的主箱在硬地板上进行摔箱:
摔落测试
从50cm高度摔落,一个角接触地面,变形率小于对角线长度的1%。
弯曲测试
在350千克重量下,纸板货盘变形率不超过20mm。
湿度和温度测试
在50摄氏度,90%湿度和1200千克下,在不少于7天的测试期内,平均变形率小于2mm。
脚拉力测试
等于或大于86千克/平方厘米才能移动腿脚。
附录——进口测试表格。
摔箱测试标准摔箱测试是指对箱包、行李箱等产品进行坠落测试,以验证其耐用性和保护性能。
在现实生活中,箱包在使用过程中很容易受到撞击或坠落,因此摔箱测试成为了箱包产品质量检验的重要环节。
本文将介绍摔箱测试的标准及相关内容。
首先,摔箱测试的标准主要包括以下几个方面:1. 坠落高度,摔箱测试中,对箱包从不同高度进行坠落,以验证其在不同情况下的耐用性。
一般来说,测试的坠落高度应该符合国际标准,以确保测试结果的可比性和准确性。
2. 坠落方式,摔箱测试可以采用自由坠落、边缘坠落、角落坠落等不同的坠落方式,以模拟箱包在不同情况下的坠落情况,验证其在各种情况下的保护性能。
3. 测试条件,摔箱测试应该在标准的测试条件下进行,包括温度、湿度等环境因素的控制,以确保测试结果的可靠性。
4. 测试参数,摔箱测试中需要记录箱包在坠落过程中的加速度、冲击力等参数,以评估其受力情况,为产品设计和改进提供依据。
其次,摔箱测试的流程包括以下几个步骤:1. 样品准备,选择代表性的箱包样品,按照标准要求进行准备,包括样品数量、尺寸、重量等。
2. 测试设备准备,准备符合标准要求的测试设备,包括坠落台、传感器、数据采集系统等。
3. 测试操作,按照标准要求,对箱包样品进行坠落测试,记录测试过程中的各项参数。
4. 数据分析,对测试结果进行数据分析,评估箱包在坠落过程中的受力情况,验证其保护性能。
最后,摔箱测试是箱包产品质量检验的重要环节,通过对箱包在坠落过程中的受力情况进行评估,可以验证其耐用性和保护性能,为产品设计和改进提供依据。
在进行摔箱测试时,需要严格按照标准要求进行操作,确保测试结果的可靠性和准确性。
同时,对测试结果进行合理的数据分析,可以为产品质量的提升提供重要参考依据。
综上所述,摔箱测试标准是对箱包产品质量进行检验的重要内容,通过严格遵守标准要求,可以有效验证箱包的耐用性和保护性能,为产品质量的提升提供重要依据。
希望本文对摔箱测试标准有所帮助,谢谢阅读!。
客户摔箱标准供应商应该确保产品包装完全适合运输。
所有产品必须在经过三个运输测试之后仍保持安全,可以使用及无破损。
所有标签必须在经过三个运输测试之后仍然清洁、清晰可读并仍粘在包装箱上。
1.8.1.所有产品(除需两人以上技工抬的产品)(a) 试摔测试八次试摔,从无地毯的硬地面及规定高度摔纸箱的角、边及面:各包重量试摔高度A 0 - 9.5kg 76cm (除玻璃产品之外-适合B 项)B 9.5-18.6kg 61c mC 18.6–27.6kg 46cmD 27.6-45kg 30cmE 45kg 以上20cm37864512角(1)的定义为纸箱最易受损的部位摔的顺序:(1) 确保摔前是包装好的完好无损的产品(2) 从指定高度摔角1、边2、面 3 和4。
(3) 打开包装检查是否破损,是否影响使用和安全。
(4) 如无以上情况则再摔边5、面6、7、8(5) 再检查。
1.8.2. 需两人以上技工抬的产品(a)试摔测试四次试摔,从25cm 高向无地毯的硬地面摔纸箱的角、边及面, 并且两次以倾斜角度从75cm 高摔两个最大面.3475cm21角(1)的定义为纸箱最易受损的部位摔的顺序:1) 确保摔前是包装好的完好无损的产品2) 从25cm高度摔角1、边2、面 3 和4。
3) 打开包装检查是否破损,是否影响使用和安全。
4) 如无以上情况则按右图所示以倾斜角度一边离地75cm 摔最大两边.5) 打开包装检查是否破损,是否影响使用和安全。
包装跌落测试方法规定
一、 目的:测定外箱或内盒之强度及产品包装之牢固性等方面是否符合品质
要求。
二、 范围:适用于我司重量小于68kg (150ibs)包装货物的摔箱测试(易碎品、
玻璃瓶除外)
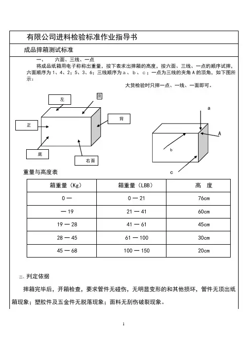
三、 跌落方式:一角三边六面自由跌落 四、测试步骤.: 1。
确认包装箱的面, 边和角. 详见图1. 将包装箱封箱装订边置于正对测试 者的右边。
如果没有装订边, 将最小面正对测试者。
图1
bottom face as three (面3)
(面4)
(面5)
far face as six (面6)
订边
2.确定包装箱重量, 依照不同重量选择跌落的高度. 见表2。
表2
五、跌落测试顺序:
六、测试结果:
1.包装件内产品及其配件不得损坏或松脱
2。
包装外箱不得破损及严重变形,允许有轻微变形。
1.目的:规范成品及配件包装测试程序及方法,明确包装测试结果的检验判定标准. 2.范围:适用于本公司出货之成品及配件包装之检测 3.职责:品管部负责测试工作 4.程序:4.1检查所摔箱包装方式是否正确,产品是否合格. 4.2根据所摔箱重量确定摔箱高度. 4.3摔箱要求:4.3.1 定义试样(包装箱)的角、边、面:东莞泰康泡绵有限公司摔箱测试检验标准 文件编码: WI-QC-51 起草人 许纯连 2018年 06月22日 颁发部门:品管课审核人 万超 2018年 06月 23日 生效日期: 2018年06月 23日 批准人年 月 日分发部门:品质部起草原因:■新订 □修订 说明: 页码:1 of 2431261075984.3.2 根据试样的单重确定跌落测试高度:试样单重跌落高度1KG 至 9.0KG(1-20LBS)76CM(30英寸)9.0KG 至18.0KG(21-40LBS) 61CM(24英寸)18.0KG 至27.0KG(41-60LBS)46CM(18英寸)备注:此试摔高低规格仅限于普通客人工厂质量部测试标准,通常依客人订单要求试摔.4.3.3 按照以下的顺序进行跌落测试:跌落顺序跌落部位具体说明1 角测试最脆弱的角,一般是纸箱的驳接处的角2 边相邻测试角(1角)之最短边3 边相邻测试角(1角)之次长边4 边相邻测试角(a角)之最长边5 面最小的面6 面最小面的对面7 面较大的面8 面较大面的对面9 面最大的面10 面最大面的对面5.判定:完成跌落测试,开箱检查,按照检验判定标准进行判定.产品经过摔箱测试之后无破裂、损伤,产品功能正常,即可通过测试。
ASTM D4169-22 摔箱测试标准概述:1. ASTM D4169-22是由美国材料与试验协会(ASTM)发布的一项摔箱测试标准,用于评估包装系统在运输过程中的抗冲击能力和稳定性。
该标准针对不同类型的包装系统和运输条件,提供了多种测试方法和程序,旨在帮助生产商和运输者确保商品在运输过程中的安全性和完整性。
标准内容:2. ASTM D4169-22标准包括了整体的测试范围、测试目的和测试方法,以及详细的测试程序和要求。
其中主要包括如下内容:2.1 测试范围:该标准适用于液体、固体和散装商品的包装系统,涵盖了不同形式的包装材料和结构,如纸箱、木箱、塑料包装等。
2.2 测试目的:主要在于模拟商品在运输过程中所遭受的各种冲击、振动和压力,评估包装系统的耐受能力和保护效果,以及预测商品在实际运输中可能发生的损坏情况。
2.3 测试方法:根据具体的运输方式和条件,包括振动测试、冲击测试、压缩测试等不同的测试程序和参数,如加速度、频率、持续时间等。
测试程序:3. 根据ASTM D4169-22标准,进行摔箱测试的程序通常包括以下步骤:3.1 包装系统的准备:根据实际情况选择合适的包装材料和结构,组装成完整的包装系统。
3.2 测试条件的选择:根据商品的性质和运输方式,确定适当的振动、冲击和压缩测试条件,包括加速度、频率、持续时间等参数。
3.3 测试设备的准备:根据标准的要求,选择适当的振动台、冲击器和压力机等测试设备,确保其符合要求并能够进行精确的测试。
3.4 测试过程的进行:根据标准规定的测试程序,将包装系统置于测试设备上进行振动、冲击和压缩测试,记录测试过程中的各项数据和观察情况。
3.5 测试结果的评估:根据测试结果,评估包装系统的抗冲击能力和稳定性,分析可能存在的问题和改进措施,为包装设计和选择提供依据。
意义与价值:4. ASTM D4169-22摔箱测试标准的实施,对生产商和运输者具有重要的意义和价值:4.1 保障商品的安全性:通过模拟真实的运输环境进行摔箱测试,可以及时发现包装系统的问题和不足,保障商品在运输过程中的安全性和完整性。
6a摔箱标准
6a摔箱标准是指针对旅行箱、手提袋等行李箱的耐摔性测试标准,该标准要求经过测试的行李箱需要能够承受在行李投送系统中类似于10万个15英尺的自由坠落的挑战。
以下是6a摔箱标准的详细说明。
1.测试前准备
在进行6a摔箱标准测试之前,需要对测试样本进行权重标准化。
所有行李箱都需要进行重量测试,并且事先将测试样本装满到正常情况下的70-80%装满率。
在进行测试时,需要使用专业的测试装备,包括1个测试机器人、木板、电子秤、耐磨试验设备等。
3.测试流程
在测试过程中,将样品放在测试机器人上,将测试机器人调整到相应的高度并且顶部朝下。
在测试开始前,先确定测试高度,通过调整机器人高度来确定。
测试高度通常为15英尺。
然后,按照标准的力度将行李箱与地面碰撞,重复10次。
在每次测试后,检查行李箱的外壳、拉杆、轮子、拉手等部分是否有损坏。
6a摔箱标准要求测试样本需要能够承受10次15英尺的自由坠落,且每次测试后不允许出现以下情况:附着在箱子上的标签或标识失去粘附性;拉杆或外壳部分出现松动或破裂;箱子的边缘或角落出现裂痕或缺口等。
5.测试结果评估
当所有测试都完成后,需要对测试结果进行评估。
如果行李箱在测试过程中没有出现任何损坏,则可被认为已通过测试。
如果行李箱在测试过程中出现了任何损坏,则会被认为是不合格的。
6a摔箱标准是一项重要的测试标准,它有助于确保生产的旅行箱、手提袋等行李箱具有良好的耐摔性能。
这项标准的实施可以最大程度地保障顾客的旅行体验,让旅行更加顺利和舒适。
摔箱测试标准摔箱测试是指对箱包、行李箱等产品进行耐用性测试的一种方法。
通过模拟使用过程中可能遇到的意外情况,检测箱包的抗摔性能,以保证产品的质量和安全性。
摔箱测试标准是指对这一测试过程中所需遵循的规范和要求,下面将对摔箱测试标准进行详细介绍。
首先,摔箱测试的标准应包括测试环境、测试设备、测试方法和测试要求等内容。
在测试环境方面,应明确测试的温度、湿度、高度等条件,以确保测试结果的准确性和可比性。
测试设备应包括摔箱测试机、摔箱模拟器等,以模拟真实使用场景中可能发生的摔落情况。
测试方法应具体描述测试过程中的操作步骤和注意事项,以确保测试的科学性和可靠性。
测试要求则是针对产品的具体性能指标和安全标准,对产品的抗摔性能进行评定和判定。
其次,摔箱测试标准应根据不同类型的箱包产品和使用环境的不同,制定相应的测试要求和评定标准。
例如,对于旅行箱包,应考虑到在旅途中可能遭受的颠簸、碰撞等情况,测试要求应更加严格;对于商务箱包,应考虑到商务人士频繁出差的特点,测试要求应更加注重产品的耐用性和稳固性。
另外,摔箱测试标准还应包括对测试结果的评定方法和标准。
评定方法应具体描述测试结果的判定标准和评定规则,以确保测试结果的客观性和公正性。
评定标准则是针对不同测试项目和指标,对产品的合格和不合格进行判定和分类,以便对产品进行进一步改进和优化。
最后,摔箱测试标准的制定和执行应遵循相关的国家标准和行业标准,以确保测试的科学性和规范性。
同时,还应结合实际生产和使用情况,不断完善和更新测试标准,以适应市场和消费者的需求。
综上所述,摔箱测试标准是对箱包产品进行耐用性测试的重要依据,其制定和执行对于保障产品质量和安全性具有重要意义。
只有严格遵循测试标准,才能有效提高产品的抗摔性能,确保产品在使用过程中的安全可靠性。
希望各相关企业和单位能够重视摔箱测试标准的制定和执行,共同推动箱包产品质量的提升和行业的健康发展。
ISTA 1a包装安全运输测试
1. 目的.
评估产品包装的表现
2. 范围.
适用于重量小于150lbs的产品包装.
3. 定义.
ISTA --- INTERNATIONAL SAFE TRANSIT ASSOCIATION 卩国际包装安全运输协会. 4. 样品数量.
4.1至少为1箱.
4.2 ISTA建议5箱以上.
5. 测试仪器.
5.1振动测试仪符合ASTM D999要求.
5.2 1/16inch厚,2inch 宽的薄金属片.
5.3磅秤.
5.4跌落测试仪符合ASTM D5276要求,或斜面冲击测仪符合ASTM D88C要求.
6. 测试步骤.
6.1确认包装箱的面,边和角.详见图1.将包装箱封箱装订边置于正对测试者的右
边.如果没有装订边,将最小面正对测试者.
图1
(面3)
6.2振动试验.
6.2.1将产品包装面3置于振动平台上,启动测试仪,由最低频率开始,调节振动
频率直到产品包装箱合振动台间的间隙可以顺利通过1/16inch厚的金属片.
6.2.2需完成14200次振动.依照每分钟振动次数,确定14200次所需时间.参
见表1所示.
表1
6.2.3测试进行到期间7100循环时,将包装箱转动90后再完成余下测试.如果转动90不实际,那就转动180 .
6.2.4检查产品及其包装是否有损伤.
6.3跌落测试.
6.3.1确定包装箱重量,依照不同重量选择跌落的高度.见表2.
表2
6.3.2跌落测试依照表3的顺序完成.
6.3.3。
ISTA 1a 包装安全运输测试
1. 目的.
评估产品包装的表现.
2. 范围.
适用于重量小于150lbs 的产品包装.
3. 定义.
ISTA --- INTERNATIONAL SAFE TRANSIT ASSOCIATION 即国际包装安全运输 协会.
4.
样品数量.
4.1 至少为1箱.
4.2 ISTA 建议5箱以上.
5. 测试仪器.
5.1 振动测试仪符合ASTM D999 要求. 5.2 1/16inch 厚, 2inch 宽的薄金属片. 5.3 磅秤.
5.4 跌落测试仪符合ASTM D5276要求, 或斜面冲击测仪符合ASTM D880要 求.
6. 测试步骤.
6.1 确认包装箱的面, 边和角. 详见图1. 将包装箱封箱装订边置于正对测试 者的右边.
如果没有装订边, 将最小面正对测试者.
图1
bottom f ace as three (面3)
lef t f (面 (面5)
f ar f ace as six (面6)
acture's joint
6.2 振动试验.
6.2.1 将产品包装面3置于振动平台上, 启动测试仪, 由最低频率开始, 调节振动频
率直到产品包装箱合振动台间的间隙可以顺利通过 1/16inch 厚的金属片.
6.2.2 需完成14200次振动. 依照每分钟振动次数, 确定14200次所需时间 . 参见表
1所示.
精选文档
6.2.3. 如果转动
90︒不实际, 那就转动180︒.
6.2.4检查产品及其包装是否有损伤.
6.3跌落测试.
6.3.1确定包装箱重量, 依照不同重量选择跌落的高度. 见表2.
— 2。