产品摔箱测试标准.doc
- 格式:pdf
- 大小:398.24 KB
- 文档页数:2
客户摔箱标准供应商应该确保产品包装完全适合运输。
所有产品必须在经过三个运输测试之后仍保持安全,可以使用及无破损。
所有标签必须在经过三个运输测试之后仍然清洁、清晰可读并仍粘在包装箱上。
1.8.1.所有产品(除需两人以上技工抬的产品)(a) 试摔测试八次试摔,从无地毯的硬地面及规定高度摔纸箱的角、边及面:各包重量试摔高度A 0 - 9.5kg 76cm (除玻璃产品之外-适合B 项)B 9.5-18.6kg 61c mC 18.6–27.6kg 46cmD 27.6-45kg 30cmE 45kg 以上20cm37864512角(1)的定义为纸箱最易受损的部位摔的顺序:(1) 确保摔前是包装好的完好无损的产品(2) 从指定高度摔角1、边2、面3 和4。
(3) 打开包装检查是否破损,是否影响使用和安全。
(4) 如无以上情况则再摔边5、面6、7、8(5) 再检查。
1.8.2. 需两人以上技工抬的产品(a)试摔测试四次试摔,从25cm 高向无地毯的硬地面摔纸箱的角、边及面, 并且两次以倾斜角度从75cm 高摔两个最大面.3475cm21角(1)的定义为纸箱最易受损的部位摔的顺序:1) 确保摔前是包装好的完好无损的产品2) 从25cm高度摔角1、边2、面3 和4。
3) 打开包装检查是否破损,是否影响使用和安全。
4) 如无以上情况则按右图所示以倾斜角度一边离地75cm 摔最大两边.5) 打开包装检查是否破损,是否影响使用和安全。
摔箱测试标准摔箱测试是指对箱包进行坠落测试,以模拟日常使用中可能发生的意外情况,评估箱包的耐用性和保护性能。
摔箱测试是箱包行业中非常重要的一项测试标准,其结果直接关系到产品的质量和安全性。
本文将介绍摔箱测试的标准和流程,以及对于消费者选择箱包时的参考意义。
首先,摔箱测试的标准包括了测试高度、测试表面、测试方式等方面。
测试高度通常根据箱包的使用场景和要求来确定,一般来说,旅行箱包的测试高度会相对较高,而日常背包的测试高度则会相对较低。
测试表面则包括了硬地面、软地面、不同角度的摔落等,以模拟不同情况下的使用环境。
测试方式则是指在测试过程中箱包的姿态和状态,例如是否打开、是否有重物等。
其次,摔箱测试的流程一般包括了准备工作、测试过程、数据记录和分析等步骤。
在进行摔箱测试之前,需要对测试设备和箱包样品进行准备,确保测试的准确性和可靠性。
测试过程中需要按照标准要求进行摔箱测试,记录箱包的摔落情况和损坏程度。
最后,根据测试数据进行分析,评估箱包的耐用性和保护性能,为产品的改进和优化提供依据。
摔箱测试对于消费者选择箱包具有重要的参考意义。
消费者在购买箱包时,可以通过查看产品的摔箱测试报告来了解产品的质量和耐用性。
通过了解产品的摔箱测试标准和结果,消费者可以更加全面地评估产品的性能和可靠性,从而做出更加明智的购买决策。
总之,摔箱测试是箱包行业中非常重要的测试标准,其结果直接关系到产品的质量和安全性。
摔箱测试的标准和流程对于评估箱包的耐用性和保护性能具有重要意义,同时也为消费者选择箱包提供了重要的参考依据。
希望本文对摔箱测试有所了解,并能对相关行业和消费者有所帮助。
摔箱测试标准摔箱测试是指对箱包、行李箱等产品进行坠落测试,以验证其耐用性和保护性能。
在现实生活中,箱包在使用过程中很容易受到撞击或坠落,因此摔箱测试成为了箱包产品质量检验的重要环节。
本文将介绍摔箱测试的标准及相关内容。
首先,摔箱测试的标准主要包括以下几个方面:1. 坠落高度,摔箱测试中,对箱包从不同高度进行坠落,以验证其在不同情况下的耐用性。
一般来说,测试的坠落高度应该符合国际标准,以确保测试结果的可比性和准确性。
2. 坠落方式,摔箱测试可以采用自由坠落、边缘坠落、角落坠落等不同的坠落方式,以模拟箱包在不同情况下的坠落情况,验证其在各种情况下的保护性能。
3. 测试条件,摔箱测试应该在标准的测试条件下进行,包括温度、湿度等环境因素的控制,以确保测试结果的可靠性。
4. 测试参数,摔箱测试中需要记录箱包在坠落过程中的加速度、冲击力等参数,以评估其受力情况,为产品设计和改进提供依据。
其次,摔箱测试的流程包括以下几个步骤:1. 样品准备,选择代表性的箱包样品,按照标准要求进行准备,包括样品数量、尺寸、重量等。
2. 测试设备准备,准备符合标准要求的测试设备,包括坠落台、传感器、数据采集系统等。
3. 测试操作,按照标准要求,对箱包样品进行坠落测试,记录测试过程中的各项参数。
4. 数据分析,对测试结果进行数据分析,评估箱包在坠落过程中的受力情况,验证其保护性能。
最后,摔箱测试是箱包产品质量检验的重要环节,通过对箱包在坠落过程中的受力情况进行评估,可以验证其耐用性和保护性能,为产品设计和改进提供依据。
在进行摔箱测试时,需要严格按照标准要求进行操作,确保测试结果的可靠性和准确性。
同时,对测试结果进行合理的数据分析,可以为产品质量的提升提供重要参考依据。
综上所述,摔箱测试标准是对箱包产品质量进行检验的重要内容,通过严格遵守标准要求,可以有效验证箱包的耐用性和保护性能,为产品质量的提升提供重要依据。
希望本文对摔箱测试标准有所帮助,谢谢阅读!。
深圳市应天机电设备有限公司
包装跌落测试标准
一、 目的:测定外箱或内盒之强度及产品包装之牢固性等方面是否符合品质
要求。
二、 范围:适用于我司重量小于68kg (150ibs)包装货物的摔箱测试;
三、 跌落方式:一角三边六面自由跌落
四、测试步骤.:
1。
确认包装箱的面, 边和角. 详见图1. 将包装箱封箱装订边置于正对测试 者的右边。
如果没有装订边, 将最小面正对测试者.
图1
bottom face as three
(面3)
(面4) (面5)far face as six (面6)
订边2.确定包装箱重量, 依照不同重量选择跌落的高度. 见表2。
五、跌落测试顺序:
六、测试结果:
1.包装件内产品及其配件不得损坏或松脱,测试功能正常,外观OK。
2.包装外箱不得破损及严重变形,允许有轻微变形。
摔箱测试国际标准一、测试目的摔箱测试的目的是评估产品在意外跌落情况下的性能,确定产品是否能够承受冲击,以确保产品的安全性和可靠性。
该测试也可以评估产品的包装和保护措施,以确保产品在运输和处理过程中的完整性。
二、测试设备进行摔箱测试需要以下设备:1.摔箱试验机:该设备应能够模拟实际跌落情况,包括跌落的高度、冲击速度和冲击力等参数。
2.测试样品:测试样品应包括待测试的产品及其包装,应选择具有代表性的样品进行测试。
3.支撑结构:在测试过程中,需要使用支撑结构来固定待测试的产品,以确保跌落时产品不会出现滑动或翻滚等情况。
4.传感器:传感器用于记录跌落过程中的冲击力和加速度等参数,以便后续评估。
三、测试样品准备在进行摔箱测试前,需要准备具有代表性的测试样品,并确保其处于标准条件下。
对于不同的产品,需要根据其形状和尺寸选择合适的包装方式,以确保在跌落过程中产品能够得到充分的保护。
四、测试程序1.将测试样品放置在支撑结构上,确保其稳定不动。
2.设定摔箱试验机的高度、冲击速度等参数,并进行预测试,以确认设备运行正常。
3.开始测试,记录冲击过程中的冲击力和加速度等参数。
4.重复进行多次测试,以获得可靠的测试结果。
5.分析测试数据,评估产品的性能和包装的完整性。
五、测试结果评估根据测试数据,评估产品的性能和包装的完整性。
如果产品能够承受冲击且没有损坏,则认为该产品的摔箱测试合格。
如果产品出现损坏或包装不完整,则需要进行改进和优化。
六、安全要求在进行摔箱测试时,需要确保试验人员和设备的安全。
应采取以下安全措施:1.在进行测试前,应对设备进行检查和维护,确保其处于良好状态。
2.设定合适的冲击速度和高度等参数,以确保试验过程中不会出现严重的危险情况。
1.目的:规范成品及配件包装测试程序及方法,明确包装测试结果的检验判定标准. 2.范围:适用于本公司出货之成品及配件包装之检测 3.职责:品管部负责测试工作 4.程序:4.1检查所摔箱包装方式是否正确,产品是否合格. 4.2根据所摔箱重量确定摔箱高度. 4.3摔箱要求:4.3.1 定义试样(包装箱)的角、边、面:东莞泰康泡绵有限公司摔箱测试检验标准 文件编码: WI-QC-51 起草人 许纯连 2018年 06月22日 颁发部门:品管课审核人 万超 2018年 06月 23日 生效日期: 2018年06月 23日 批准人年 月 日分发部门:品质部起草原因:■新订 □修订 说明: 页码:1 of 2431261075984.3.2 根据试样的单重确定跌落测试高度:试样单重跌落高度1KG 至 9.0KG(1-20LBS)76CM(30英寸)9.0KG 至18.0KG(21-40LBS) 61CM(24英寸)18.0KG 至27.0KG(41-60LBS)46CM(18英寸)备注:此试摔高低规格仅限于普通客人工厂质量部测试标准,通常依客人订单要求试摔.4.3.3 按照以下的顺序进行跌落测试:跌落顺序跌落部位具体说明1 角测试最脆弱的角,一般是纸箱的驳接处的角2 边相邻测试角(1角)之最短边3 边相邻测试角(1角)之次长边4 边相邻测试角(a角)之最长边5 面最小的面6 面最小面的对面7 面较大的面8 面较大面的对面9 面最大的面10 面最大面的对面5.判定:完成跌落测试,开箱检查,按照检验判定标准进行判定.产品经过摔箱测试之后无破裂、损伤,产品功能正常,即可通过测试。
摔箱测试标准
文件类别标准文件文件编号XS-QWS-004发行日期2011.09.01文件等级■管制 □非管制 □暂行版 本A页 次共2页 第1页1.目的
评估产品包装防护是否到位性
2.范围
适用≤68kg(150 lbs)的产品
3.程序
3.1取样数量:每柜至少抽取1箱
3.2定义角、稜、面
封箱装订边
3.3测试仪器
3.3.1振动测试仪符合ASTM D999要求
3.3.2间隙规:1/16inch(1.6mm)厚,2inch(50.8mm)宽的金属片
3.3.3磅秤
3.3.4跌落测试仪符合ASTM D5276要求,斜面冲击测试仪符合ASTM D880要求
3.4测试步骤
3.4.1振动测试
3.4.1.1将产品包装面3置于振动平台上,启动测试仪,调整振动频率直到产品包装箱与振动平台间的间隙可以顺利通过1/16inch厚的金属片
3.4.1.2振动次数:14200次,当振完一半时,须将货物水平旋转90°后继续振动。
如因尺寸而不能90°旋转时,则作180°旋转。
频率与持续时间见下表
文件类别
标准文件文件编号
XS-QWS-004发行日期2011.09.01文件等级■管制 □非管制 □暂行版 本A 页 次共2页 第2页
3.4.1.3检查产品及包装是否损伤
3.4.2跌落测试、冲击测试
3.4.2.1确认包装箱重量,依据不同重量选择跌落高度,见下表
3.4.2.2跌落测试依据顺序完成,见下表
3.4.2.3检查产品及包装是否损伤
4.相关表单
4.1 HP-QF-27A性能测试报告
摔箱测试标准
审核:制定:。
Page 1 of 4Subject : Free-Fall Drop Test for Master Cartons1.0PURPOSEThis test procedure is used by the ATICO QC to determine if representative samples of a shipping carton box comply with the drop test requirements defined.2.0 SCOPE2.1General Merchandises (i.e. shipping carton without fragile marking)2.2Fragile items (including but not limited to the items made of ceramic,pottery, poly-resin, candle, glass and light bulb)3.0 TEST SAMPLES3.1Sample size – Refer to the table belowNumber of Packaged Cartons Cartons to Test1-1503151-2803281-5003501-120031201-3200 and up34.0 PROCEDURES 4.1 Before Drop Test4.1.1 Inspect the product prior to performing the drop test to ensure that there is no pre-existing damage.4.1.2 Package the product exactly as it is to be shipped.4.1.3Weigh the package (with the product inside) to determine the appropriate drop height:Package Weight Drop HeightPage 2 of 4Subject : Free-Fall Drop Test for Master Cartons4.2Determine Appropriate Test PlanTo ensure the drop test standard is in line with our customer ’s expectations and meeting with the specific inherent product natures, QC inspector is required to follow the instruction defined below to determining the most appropriate test plan to proceed thedrop test,4.2.1NON-Fragile ItemsDrop 6 faces according to the weight and height specified on section 4.1.3.Unless the drop test requirement is defined by customer(s), then follows the requirement specified by the customer(s).4.2.2Fragile items (including but not limited to the items made of ceramic, pottery, poly-resin, glass and light bulb) with FRAGILE MARKINGDrop 1 face of each carton and each carton chooses 1different face. Note: unless the drop test requirement is defined by customer(s) then follows the requirement specified by the customer(s).4.2.3 Order with Customer RequirementFollows the specific requirement defined by the customer(s)Note: For Mailbox Customer,Mail Box Should Drop 10 times besides Master CartonDrop 10 times4.2.4 Special Items Requirement:(Γ.Furniture for FCL or with glass (with “FRAGILE MARKING ) Drop Test 1 face(Γ. Electrical Fan :1) .FCL Drop Test 1 face 2). LCL Drop Test 6 face(Γ.Candle:Carton boxPerform the drop test as the following :ΛΓΘΈΈΈΈΈΈΈΈΈΈΈΈ():30 inches ---- (2 - 20.99lbs)24 inches ---- (21- 40.99lbs)18 inches ---- (41- 50lbs)12 inches ---- (50 -70lbs)2).With “Fragile label ”and “Arrow symbol ”:Drop 1 bottom face of each carton. (.)Page 3 of 4Subject :Free-Fall Drop Test for Master Cartons3).Without “Fragile label ”and “Arrow symbol ”:Drop 3 face for each different carton. (.)(Γ Food:1).Not required for candy canes (with FRAGILE MARKING )without other containerssuch as mug..2). No drop test is required for cookies in container such as tin, box and polybag. However,drop test is required for cookies if it is a gift set product., (,) , .(ΓΘΈΈίrop 1 face of each carton and each carton chooses 1 different face.4.2.5 Example in Performing 10 times Drop TestThe procedure provided below only serves an example for teaching the QC inspector on how to perform a 10 times Drop Test.Drop the package ten (10) times from the appropriate height on a bare, hard (concrete)floor, in the following order:Page 4 of 4Subject :Free-Fall Drop Test for Master Cartons4.3 After Drop TestAfter performing drops un-package the product and inspect it for any physical damage. Check to ensure that the merchandise is completely functional. lf the product is completely acceptable, it is packaged sufficiently to survive transit. If the product is found to be damaged in any way or does not function properly, the packaging must be improved and re-tested. (Note that damage to the outer packaging is acceptable, so long as the product itself survives the drop test, and so long as the packaging is not a selling feature.5PASS / FAIL CRITERIA5.2It is acceptable if only minor physical warped found on the enclosure of carton box, butwithout damage to aesthetic and/or required performance of the test sample inside.5.3It is not accept to have carton box enclosure with experiencing serious breakage or warpand causes in exposing of the merchandise(s) packed inside.5.4No significant damage shall be incurred by any sample tested that would affect the intrinsicsafety or required performance of the test sample.Drafted By / Date Reviewed By / Date Approved By / Date。
摔箱测试国际标准摘要:一、摔箱测试的背景和意义1.摔箱测试的起源2.对产品质量和安全性的重要性3.国际标准对于摔箱测试的规定二、摔箱测试的国际标准概述1.国际标准组织的相关标准2.我国参与摔箱测试国际标准制定的情况3.主要国际标准的简介和比较三、摔箱测试方法及要求1.测试流程和步骤2.测试设备的要求3.测试结果的评估和分析四、摔箱测试在我国的应用和推广1.我国摔箱测试的现状2.我国企业对摔箱测试国际标准的认知和实施3.摔箱测试在我国的未来发展趋势正文:摔箱测试是一种模拟产品在运输、搬运等过程中可能受到的冲击和摔落的测试方法。
通过这种测试,可以评估产品在实际使用中可能出现的损坏情况,从而确保产品的质量和安全性。
在国际范围内,摔箱测试已经成为一种重要的产品测试手段,并制定了相应的国际标准。
国际标准组织(ISO)是制定摔箱测试国际标准的主要机构。
在我国,我国标准化研究院等相关机构也积极参与了摔箱测试国际标准的制定工作,为国际标准的完善和发展做出了贡献。
摔箱测试的方法和设备要求十分严格。
测试过程中,需要按照规定的流程和步骤进行,并使用符合要求的测试设备。
测试结果需要进行详细的评估和分析,以确保产品能够满足预期的使用要求。
在我国,摔箱测试已经得到广泛的应用和推广。
随着我国产品质量要求的提高,越来越多的企业开始重视摔箱测试,并积极采用国际标准进行产品测试。
同时,我国也在不断推动摔箱测试技术的发展,提高我国在这一领域的国际竞争力。
总之,摔箱测试国际标准在确保产品质量、提高产品安全性方面具有重要意义。
ISTA 1a包装安全运输测试
1. 目的.
评估产品包装的表现
2. 范围.
适用于重量小于150lbs的产品包装.
3. 定义.
ISTA --- INTERNATIONAL SAFE TRANSIT ASSOCIATION 卩国际包装安全运输协会. 4. 样品数量.
4.1至少为1箱.
4.2 ISTA建议5箱以上.
5. 测试仪器.
5.1振动测试仪符合ASTM D999要求.
5.2 1/16inch厚,2inch 宽的薄金属片.
5.3磅秤.
5.4跌落测试仪符合ASTM D5276要求,或斜面冲击测仪符合ASTM D88C要求.
6. 测试步骤.
6.1确认包装箱的面,边和角.详见图1.将包装箱封箱装订边置于正对测试者的右
边.如果没有装订边,将最小面正对测试者.
图1
(面3)
6.2振动试验.
6.2.1将产品包装面3置于振动平台上,启动测试仪,由最低频率开始,调节振动
频率直到产品包装箱合振动台间的间隙可以顺利通过1/16inch厚的金属片.
6.2.2需完成14200次振动.依照每分钟振动次数,确定14200次所需时间.参
见表1所示.
表1
6.2.3测试进行到期间7100循环时,将包装箱转动90后再完成余下测试.如果转动90不实际,那就转动180 .
6.2.4检查产品及其包装是否有损伤.
6.3跌落测试.
6.3.1确定包装箱重量,依照不同重量选择跌落的高度.见表2.
表2
6.3.2跌落测试依照表3的顺序完成.
6.3.3。
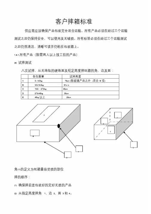
客户摔箱标准
供应商应该确保产品包装完全适合运输。
所有产品必须在经过三个运输
测试之后仍保持安全,可以使用及无破损。
所有标签必须在经过三个运输测试
之后仍然清洁、清晰可读并仍粘在包装箱上。
1.8.1.所有产品(除需两人以上技工抬的产品)
(a) 试摔测试
八次试摔,从无地毯的硬地面及规定高度摔纸箱的角、边及面:
各包重量试摔高度
A 0 - 9.5kg 76cm (除玻璃产品之外-适合
B 项)
B 9.5-18.6kg 61c m
C 18.6–27.6kg 46cm
D 27.6-45kg 30cm
E 45kg 以上20cm
3
7
8
6
4
5
1
2
角(1)的定义为纸箱最易受损的部位
摔的顺序:
(1) 确保摔前是包装好的完好无损的产品
(2) 从指定高度摔角1、边2、面 3 和4。
(3) 打开包装检查是否破损,是否影响使用和安全。
(4) 如无以上情况则再摔边5、面6、7、8
(5) 再检查。
1.8.
2. 需两人以上技工抬的产品
(a)试摔测试
四次试摔,从25cm 高向无地毯的硬地面摔纸箱的角、边及面, 并且两次以倾斜角度从75cm 高摔两个最大面.
3
4
75cm
2
1
角(1)的定义为纸箱最易受损的部位
摔的顺序:
1) 确保摔前是包装好的完好无损的产品
2) 从25cm高度摔角1、边2、面 3 和4。
3) 打开包装检查是否破损,是否影响使用和安全。
4) 如无以上情况则按右图所示以倾斜角度一边离地75cm 摔最大两边.
5) 打开包装检查是否破损,是否影响使用和安全。