全自动码垛工作站
- 格式:docx
- 大小:176.04 KB
- 文档页数:3
码垛机的工作原理及流程
码垛机是一种自动化设备,主要用于将已装入容器的纸箱、塑料袋或其他包装材料按照预定的排列方式自动堆叠成垛,以便于运输和储存。
其工作原理及流程如下:
1. 工作原理:
码垛机采用变频电机、变频调速、电脑控制,输送平稳、顺畅、可靠。
先进自动控制技术、机电一体化技术、网络技术,使码垛机能够全自动运行。
电脑控制全自动运行,往复循环自动堆码达到设定要求。
2. 工作流程:
(1)物料输送:输送带将已装入容器的纸箱、塑料袋或其他包装材料输送至码垛机的工
作区域。
(2)平板上工件:码垛机的工作平板上堆放一层符合栈板要求的工件。
(3)工件定位:定位挡杆起动夹紧,确保工件在平板上的位置准确。
(4)平板复位:平板及工件向前移动直至栈板垂直面,然后复位。
(5)工件下降:各工件下降到栈板平面,栈板平面与平板底面相距10mm。
(6)栈板下降:栈板下降一个工件高度,重复上述过程,直至达到设定要求的堆码高度。
(7)堆码完成:码垛机将物料自动堆叠成垛,然后推出。
(8)叉车运输:叉车将成垛的物料运至仓库储存。
码垛机在整个工作过程中,采用PLC触摸屏控制,实现智能化操作管理,简便、易掌握。
大大减少劳动力和降低劳动强度,提高生产效率。
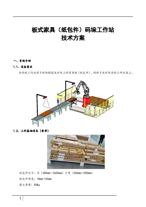
板式家具(纸包件)码垛工作站技术方案一、系统介绍1.1、设备需求本码垛工作站用于抓取辊道流水线上的家具板(纸包件),码垛于流水线旁的工件托盘上。
1.2、工件基础信息(参考)纸包件尺寸:长(300mm—2600mm)×宽(200mm-1300mm)纸包件厚度:18mm-150mm最大重量:50Kg1.3、系统规划及布局①. 机器人控制柜 ②.集成控制柜 ③.安全围栏 ④.码垛机器人⑤.气动抓手(伺服调节) ⑥. 跺盘 ⑦.机器人底座、 ⑧. 抓料滚道 ⑨.3D 视觉系统⑩抓手快换机构(图中未表示)1.4、作业流程板料流到抓料滚道上传感器位置(同时机械限位),传感器启动,滚道停止;↓3D 视觉系统识别和读取板料尺寸及位置信息并上传至控制系统;↓机器人抓取传输线上的静止的板料;↓机器人抓取板料运动到跺盘上方指定位置;↓机器人放开板料,并按照码垛程序设置的顺序放置在跺盘上;①②③④⑤⑥⑦⑧⑨↓机器人开到滚道上准备抓取下一个板料...。
1.5、配置清单1.7、工作环境电源:3相~50Hz±1Hz 380V工作温度:-10℃ - 45℃工作湿度:90%以下压缩空气:0.6Mpa二、主要单元介绍2.1、码垛机器人系统CP180L2.2、专用抓具2.2.1、抓具简介(功能 > 原理 > 组成)本方案采用专用抓具辅以配套抓取输送辊线。
抓取辊线采用悬浮式托辊使工件架空,以适应抓手抓取工件。
抓手分为大小两个型号,采用伺服系统自动调整抓手抓距以适应不同尺寸的工件,其中小号抓取范围200-550mm,大号抓取范围550-1300mm。
抓手与工件接触部位采用304不锈钢材质,主体多处采用铝合金材料以减轻抓手重量,减小机器人负载以提升能效。
抓手配备压板装置以提高工件抓取时的稳定性,更适合抓取长尺寸工件。
2.2.2、抓具特点-型材骨架采用铝型材搭建,重量轻、强度高、外形美观且安装方便。
-气缸驱动,动作快速。
码垛工作站方案说明码垛工作站是一种用于自动化物料的处理和堆垛的设备。
它可以通过自身的智能系统和机械手臂来实现自动抓取、移动、放置物料的功能。
码垛工作站在现代物流仓储业中的应用越来越广泛,对于提高生产效率、减少人工成本和减少物料损耗具有重要意义。
一、码垛工作站的基本功能和特点1.自动堆垛:码垛工作站可以通过自身的机械手臂和传感器实现自动堆垛的功能。
它可以根据预设的堆垛规则和堆垛高度,准确地将物料从传送带或其他装载设备上抓取并放置到指定的堆垛位置上。
2.智能识别:码垛工作站可以通过自身的视觉识别系统和传感器检测到物料的形状、尺寸和重量等信息,从而能够根据不同的物料特性进行不同的堆垛操作。
3.高效性:码垛工作站具备快速、精确和高效的特点。
它可以在短时间内完成大量的堆垛操作,提高生产效率和物料处理速度。
4.灵活性:码垛工作站可以适应不同类型和尺寸的物料堆垛需求。
它可以根据堆垛规则和特定的工作场景进行灵活的调整和优化,以适应不同的生产需求。
二、码垛工作站的应用场景1.食品加工业:码垛工作站可以用于食品加工企业的生产线上,实现食品包装和堆垛的自动化处理。
它可以根据食品的特定要求,将成品进行分类、堆垛和打包等操作。
2.电子制造业:码垛工作站可以用于电子制造业的组装线上,实现电子产品的自动化组装和堆垛。
它可以根据电子产品的组装规则和堆垛要求,将组装好的产品进行堆叠和摆放。
3.仓储物流业:码垛工作站可以用于仓储物流行业的货物装卸和堆垛操作。
它可以根据货物的规格和仓库的堆垛要求,将货物从货架或其他装载设备上搬运、摆放到适当的位置上。
4.化工制造业:码垛工作站可以用于化工制造业的物料堆垛操作。
它可以根据不同的化工产品的特点和堆垛要求,将产品自动化地堆放和分类。
三、码垛工作站实施方案实施码垛工作站方案的关键步骤如下:1.确定需求:首先需要明确实施码垛工作站的目的和需求。
根据不同行业和生产环境的要求,确定工作站需要具备的功能和性能指标。
基于RobotStudio的码垛机器人智能工作站仿真的探究李勇摘要:在一些工业领域当中,为了能够良好地将货物存放或者放置到指定位置堆叠,需要进行码垛,然而传统码垛工作主要由人工执行,那么随着货物重量、搬运要求的增长与变化,人工因为自身能力所限,无法满足码垛需求,此时为了能够良好地进行码垛工作,就需要采用码垛机器人来进行作业。
本文主要在RobotStudio基础上,对码垛机器人以及智能工作站进行分析。
关键词:RobotStudio 码垛机器人智能工作站TP24 :A :1672-3791(2018)10(a)-0031-02码垛机器人的运作是受到智能工作站的管制,管制决策由人工根据机器人运行的状态来决策,但是在决策之前,相关人员往往会借助仿真软件,对码垛机器人的运行生产线各阶段进行仿真,再根据仿真结果来分析码垛机器人运行是否存在潜在问题,此举能够有效提高码垛机器人的工作效率,并且降低开发成本,因此有必要在使用码垛机器人之前进行相关的仿真研究。
1 智能化生产线模型构建本研究将以PLC作为控制核心,之后进行码垛机器人选型,主要选择ABB-IRB2600型号机器人,其工作有效范围为1.65m,承重载荷达12kg[1]。
ABB-IRB2600型号机器人结构简单,其工作端安置了真空吸盘,吸盘可以吸住周转箱,保障码垛过程中货物的安全[2]。
2 传输链Smart组件添加与连接2.1 Smart组件概述Smart组件是RobotStudio的一种仿真功能,专门用于仿真模拟ABB型号机器人,因此在本研究基础上具有良好的应用价值[3]。
在本文中,通过Smart组件实现了货物在传输链当中的动态模拟。
2.2 传输链Smart组件添加首先添加源组件(Sourse)来实现货物的复制,同时结合队列(Queue)来执行货物复制命令,在此两项运作之下,使得所有货物都具备了相同的动态属性。
其次,通过线性运动组件(Linear-Mover)对货物与机器人传感器接触进行控制,即当货物运行到传输链末端之后,货物会与传感器相互接触,此时传感器会发出相应的信号,此部分传感器为面传感器(Plane Sensor)。
基于 RobotStudio 的机器人码垛工作站虚拟仿真设计研究引言随着工业自动化的不断发展,机器人在生产场景中扮演着越来越重要的角色。
机器人码垛是一项常见的自动化任务,它可以以高效的方式将物品堆叠在一起,节省人力和时间。
在设计码垛工作站时,虚拟仿真是一种十分有效的工具。
本文将探讨基于 RobotStudio 的机器人码垛工作站虚拟仿真设计的研究。
1. RobotStudio 简介RobotStudio 是由全球领先的自动化公司 ABB 开发的一款专业机器人仿真软件。
它提供了一个功能强大的平台,用于设计、优化和验证机器人自动化任务。
RobotStudio 能够模拟真实的生产环境,并能够将其连接到实际的机器人控制系统,实现实时的虚拟仿真。
2. 机器人码垛工作站的设计机器人码垛工作站的设计过程中需要考虑多个方面,包括工作站布局、机器人路径规划、物品堆放策略等。
虚拟仿真可以为设计师提供一个可视化的环境,使其可以在不实际布置物理设备的情况下进行工作站的设计和优化。
使用RobotStudio 进行机器人码垛工作站设计的步骤如下:2.1 创建工作站模型首先,需要在 RobotStudio 中创建一个工作站模型。
这可以通过导入现有的 CAD 文件或者从头开始构建。
工作站模型应包括机器人、物料传送带、码垛区域等。
2.2 添加机器人任务在工作站模型中添加机器人任务,包括从传送带上取货、运输到码垛区域、将物品码垛等。
2.3 设计机器人路径使用 RobotStudio 的路径规划工具,设计机器人在工作站中的路径。
路径应尽可能高效,以最短的时间完成任务。
2.4 优化工作站布局通过不断调整工作站模型和机器人路径,优化工作站布局以提高生产效率。
可以使用 RobotStudio 的仿真功能模拟机器人的运动,以评估不同布局的效果。
2.5 编写控制程序完成工作站的设计后,可以使用 RobotStudio 的控制程序编辑功能编写机器人的控制程序。
自动码垛操作规程自动码垛操作规程是为了确保自动码垛系统的安全、高效运行,同时减少人工操作中的错误和事故发生而制定的一系列操作规程。
以下是一份简要的自动码垛操作规程,共计1200字左右:一、安全准备1. 操作人员应了解自动码垛系统的工作原理和各部件的使用方法,确保熟悉操作流程和注意事项。
2. 在操作之前,检查码垛机械设备是否正常运行,特别是电源、传动部件、安全装置等是否完好。
3. 确保作业现场的危险品、杂物及其它可燃性、易爆性物品被清除。
二、操作步骤1. 启动自动码垛系统前,操作员必须站在系统后方,并确保能够清晰地观察系统的运作情况。
2. 打开系统电源,保证各电气元件正常工作。
3. 操作人员应按照预先设定的程序,设置好需要码垛的产品的尺寸、堆码方式、叠码层数等参数。
4. 打开码垛系统的进给装置,将要码垛的产品送入码垛装置。
5. 当码垛装置完成一次码垛后,自动码垛系统会自动停止运转。
此时,操作人员需要将完成的货物取下,并为下一次垛码做好准备。
6. 将取下的货物移开码垛区域,并注意保持码垛区域的整洁。
三、注意事项1. 操作人员在操作自动码垛系统时,应将衣帽、长发等松散物品固定好,以防卡入设备中,造成意外事故。
2. 在码垛过程中,操作人员应保持手部、身体和衣物远离机械部件,以免发生夹伤等伤害。
3. 码垛系统的操作人员不得将手或其他物体伸入码垛区域,以免造成各种事故。
4. 系统启动后,操作人员应经常观察系统运行情况,特别是注意各传动部件、电气装置是否正常工作。
5. 当系统发生故障或异常时,操作员应立即停止系统运行,并通知维修人员进行检修和维护。
6. 维修和保养时,操作员应切断电源,并在明确安全的情况下进行作业。
7. 在码垛的过程中,操作人员应严禁品尝、嚼食口香糖等各类食品,以免发生危险。
8. 完成操作后,操作人员应按照规定的顺序关闭设备,切断电源并保持设备干净整洁。
四、应急措施1. 当自动码垛系统发生意外情况时,操作员应第一时间切断电源,并进行安全疏散。
自动化码垛机参数一、产品型号1.1码垛机产品型号:全自动码垛机:AF-1.2半自动码垛机:AF-1.5二、总体参数2.1外形尺寸:全自动码垛机:长2500mm×宽2500mm×高2700mm 半自动码垛机:长2500mm×宽2500mm×高2700mm 2.2码垛机重量:全自动码垛机:2200KG半自动码垛机:1800KG2.3工作压力:0.6Mpa2.4码垛物料尺寸:最大规格:475mm×325mm×225mm最小规格:200mm×200mm×60mm2.5单件码垛数:2-3层叠垛,2-4排2.6码垛精度:±2mm2.7最大码垛高度:800mm2.8最大码垛宽度:800mm2.9最大码垛深度:400mm2.10电源要求:380V/50HZ/3Phase三、技术参数3.1最高码垛速度:全自动码垛机:20层/分半自动码垛机:7层/分3.2挤压力:0.8Mpa3.3码垛机料架容量:全自动码垛机:一次配备三片料架半自动码垛机:一次配备一片料架3.4传送架出料宽度:1850mm3.5传送架出料次数:全自动码垛机:一次出料4次半自动码垛机:一次出料2次四、尺寸参数4.1料架尺寸:全自动式码垛机:长650mm×宽550mm×高680mm半自动式码垛机:长520mm×宽460mm×高640mm 4.2传送架尺寸:长1450mm×宽950mm×高750mm4.3料架轮胎尺寸:直径350mm五、其他参数5.1码垛机驱动方式:电动。
KUKA Automation Equipment (Shanghai) Co., Ltd., Room 1418, Development Plaza, Ri Jing Rd. 51.Wai Gao Qiao FTZ, Shanghai, 200131 PRC库卡自动化设备(上海)有限公司,中国上海市外高桥保税区日京路51号发展大厦1418室, 邮编: 200131 Page 1 of 15机器人码垛工作站方案说明单位:库卡自动化设备(上海)有限公司日期:2008年07月16日KUKA Automation Equipment (Shanghai) Co., Ltd., Room 1418, Development Plaza, Ri Jing Rd. 51.Wai Gao Qiao FTZ, Shanghai, 200131 PRC库卡自动化设备(上海)有限公司,中国上海市外高桥保税区日京路51号发展大厦1418室, 邮编: 200131Page 2 of 15机器人码垛工作站方案说明一、项目内容:1.项目内容1.1 项目名称:机器人码垛工作站1.2 设备数量:该工作站主要包括一台KR100-2PA搬运机器人,一套机器人底座,一套气动抓具和一套机器人系统电气操作盘。
1.3 设备用途该工作站用于产品的下线码垛。
2.设计依据2.1 用户提出的“技术参数及技术要求”。
2.2用户提供的工件尺寸及生产线的速度。
2.3 KR100-2PA机器人的特性参数。
3.系统特点:该系统具备以下特点:(1) 机器人根据程序的设定,以及接受到的到位信号,自动切换搬运程序,以及搬运参数。
(2) 整个系统单元由输送系统控制柜(PLC)统一集中控制,包括机器人的信号交换,防撞信号、安全门锁、产品到位信号、托盘位置信号等逻辑关系。
(3) 由于在系统设计上及设备配置上充分考虑到安全性,故工作站具有较高的安全性。
(4) 操作、编程、示教在手持控制器KCP2上完成,控制电缆长10米。
robotstudio机器⼈应⽤实践(码垛搬运⼯作站)实验过程1.创建机器⼈系统使⽤robotstudio中的型号IRB260机器⼈模型。
IRB 260机器⼈主要针对包装应⽤设计和优化,虽机⾝⼩巧,能集成于紧凑型包装机械中,却⼜能满⾜您在到达距离和有效载荷⽅⾯的所有要求。
配以ABB运动控制和跟踪性能,该机器⼈⾮常适合应⽤于柔性包装系统。
速度快——操作周期时间短该机器⼈专为包装应⽤优化设计,配以ABB独有的运动控制功能,⼤⼤缩短了包装周期时间。
精度⾼——零件⽣产质量稳定该机器⼈具有极⾼的精度,再加上ABB卓越的传送带跟踪性能,不论是固定位置操作,还是运动中操作,其拾放精度均为⼀流。
功能强——适⽤范围⼴该机器⼈专为包装应⽤优化设计,体积⼩、速度快、有效载荷⾼达30kg。
通⽤性佳——柔性化集成和⽣产该机器⼈重量轻、⾼度低,便于集成在紧凑型包装机械中。
专门根据包装应⽤进⾏过优化,是机器⼈⾃动化的必然选择。
配有全套辅助设备(从集成式空⽓与信号系统⾄抓料器),可配套使⽤ABB包装软件机械⽅⾯集成简单,编程更是⼗分⽅便。
2.创建动态输送链(1)⾸先选中400型号的传送链,将其放置合适的位置,使得机器臂可以在⾃⼰的⼯作范围内实现物件的抓取和放置,这点很重要,这关系到后期路径选择和⽰教器调试时的效率。
(2)并利⽤robotstudio上强⼤的坐标标定功能,设置好⾓点,使合适⼤⼩的物体能够在传送带上的合适的位置。
(3)接着要在这个传送带上添加合适的smart组件,包括产品源,队列,逻辑门,直线运动的动作等等。
产品源即是我们要使其运动的物品,产品源出来的⼀组数据就是⼀个队列,设置好队列运⾏的动作为直线移动(这⾥要注意设置好直线运动的⽅向,你想向z的正⽅向或者是负⽅向)。
紧接着要设置好停⽌的位置,这时候需要⼀个传感器来使移动的物体停⽌,并设置好传感器上的参数(有两个参数,⼀个active,⼀个sensorout),我们的⽬标是当对象与平⾯相交时使sensorout为⾼电平(注:传送带本⾝是有传感器功能的,但是我们已经设置好了我们所需要的传感器,所以要记得取消传送带上的传感器功能,以免发⽣了⼲扰,会在某⼀个时刻收到两个数据,并注意将传感器拖⼊我们所创建好的smart组件)。
JMTECH 机器人系统设备使用和维护手册江苏锦明工业机器人自动化有限公司1前言江苏锦明工业机器人自动化有限公司始创于 2001 年 3 月,是一家专业生产浮法玻璃生产线整套设备的高新技术企业。
已顺利通过ISO9000 质量管理体系、ISO14000 环境管理体系及 OHSMS18000 职业健康安全管理体系的三项认证。
公司以高瞻的战略眼光成立技术研发中心,以开放求知的广博胸怀不断吸纳高级技术人才,对公司产品不断进行性能优化改造与技术升级,目前已申报认证获得十一项技术专利,其产品已在国际玻璃机械行业中享有很高的声誉.江苏锦明工业机器人自动化有限公司—研发部,专注于工业机器人研发和自动化生产线的机器人集成应用。
已研发360KG 级、150HG 级及以下系列机器人,扭转国内重载机器人完全依赖进口的局面,填补了国内技术空白。
其中“六轴重载工业机器人”已通过高新技术成果监证。
目录HMI视觉系统操作说明 (4)一、组成 (5)二、wincc人工界面 (5)2.1 总览 (5)2.2 码垛参数设置 (5)2.3参数设置 (7)JMTECH 机器人手动操作说明 (8)一、KUKA机器人系统组成: (9)二、KUKA 机器人手动操作 (13)三、其他操作 (16)JMTECH 机器人及配套设备使用说明书 (17)一、机器人安全注意事项 (18)二、操作说明 (20)2.1控制柜面板介绍 (20)2.2接通电源 (21)2.3触摸屏操作 (21)JMTECH 机器人码垛工作站常用操作说明 (27)一、开机 (28)1.1 不断电情况下开机 (28)1.2断电情况下开机: (29)二、机器人运行过程中的操作 (30)2.1.第一片玻璃码垛时 (30)2.2 机器人暂停 (33)2.3 机器人急停 (34)三、机器人停止工作 (34)3.1 不需要机器人工作时 (34)3.2 特殊情况维护时 (34)四、丢片操作 (34)五、满跺操作 (34)六、机器人手动操作 (35)JMTECH 机器人码垛工作站维护说明 (36)一、常见故障综述 (37)二、故障说明和排除 (38)2.1压缩空气压力不足 (38)2.2真空压力不足 (39)2.3辊道线速度错误 (40)2.4 玻璃边沿检测不正确 (40)2.5辊道下方光电开关信号不正确 (41)2.6 开机机器人不正常工作 (41)2.7 混抓 (41)2.8 信号指示 (41)三、特殊情况说明 (42)3.1 总体原则: (42)3.2 操作方法 (42)四、附件 (43)JMTECH 机器人程序说明 (45)一、子程序调用流程 (46)二、子程序走点说明 (46)JMTECH 视觉系统操作说明江苏锦明工业机器人自动化有限公司视觉系统使用说明视觉对玻璃的信息包括长、宽、等级、缺角、缺边等信息进行处理,发送给机器人单机站,控制机器人码垛。
基于RobotStudio的机器人码垛工作站虚拟仿真设计研究1. 引言1.1 研究背景随着制造业的发展和自动化技术的进步,机器人在工业生产中发挥着越来越重要的作用。
而在自动化生产线中,码垛是一个常见的工作流程,主要用于将成品或原材料以特定的方式堆叠在一起。
传统的码垛工作站通常需要大量的人力和时间,而且容易出现误差,影响生产效率和质量。
针对传统码垛工作站存在的问题,采用机器人进行码垛已成为一种趋势。
机器人具有高精度、高速度和稳定性的优势,能够大大提高码垛操作的效率和精度。
基于RobotStudio的机器人码垛工作站虚拟仿真设计成为了研究的热点之一。
通过对机器人码垛工作站进行虚拟仿真设计,可以在实际操作之前通过模拟实验进行测试和优化,从而提高自动化生产线的效率和质量。
本研究旨在通过RobotStudio软件进行机器人码垛工作站的虚拟仿真设计,探索其在实际生产中的应用及优势,为自动化生产线的优化提供技术支持和参考。
1.2 研究目的研究目的:本文旨在通过对基于RobotStudio的机器人码垛工作站虚拟仿真设计研究的探讨,实现以下几个目的:借助虚拟仿真技术,提高机器人码垛工作站设计的效率和精度,减少实际试验所需的时间和成本。
通过对仿真结果的分析,优化工作站的设计方案,提升机器人操作的稳定性和准确性。
通过研究技术创新点,寻求在机器人码垛工作站设计领域的突破和进步,推动行业发展。
通过总结研究成果并展望未来,为相关领域的研究和实践提供有益参考,促进技术应用与创新,推动工业智能化发展。
通过以上目的的实现,将为提高机器人操作效率和品质,优化生产工艺流程,实现智能制造提供理论支持和实践指导。
2. 正文2.1 RobotStudio软件介绍RobotStudio是由瑞士ABB公司开发的机器人离线编程和虚拟仿真软件。
它可以帮助用户在计算机上创建、模拟和优化机器人工作站,提升工程效率,并降低项目开发成本。
该软件支持多种类型的ABB机器人,用户可以轻松地在软件中创建机器人的模型,并进行路径规划、碰撞检测等操作。
码垛机器人设计说明书一、概述码垛机器人是一种自动化设备,专为工业生产线上的码垛作业设计。
其设计目标是通过高效、精准的自动化操作,提高生产效率,降低人力成本,并确保码垛作业的准确性。
本设计说明书将详细介绍码垛机器人的各项功能、设计原理、硬件组成以及软件系统。
二、功能描述1、码垛:机器人能够将生产线上的产品按照预设的排列方式进行码垛,确保码垛整齐、稳定。
2、识别与定位:机器人通过内置的视觉系统可以识别和定位产品,自动调整抓取和放置的位置。
3、适应多品种:机器人能够适应多种不同类型的产品,只需通过调整程序和参数即可。
4、故障自诊断与恢复:当机器人遇到故障时,能够自动诊断并尝试恢复,降低停机时间。
5、远程监控与控制:可以通过网络对机器人进行远程监控和控制,方便管理人员进行操作和维护。
三、设计原理码垛机器人主要基于机械、电子和计算机技术进行设计。
其核心部件包括:1、机械臂:用于抓取和放置产品。
2、伺服电机:驱动机械臂运动。
3、编码器:用于精确测量机械臂的位置和速度。
4、传感器:用于检测产品的位置和状态。
5、控制器:用于控制机器人的运动和逻辑处理。
6、人机界面:提供操作界面和状态显示。
四、硬件组成1、机械部分:包括机械臂、底座、传动装置等。
2、电子部分:包括控制器、伺服电机、编码器、传感器等。
3、计算机部分:包括处理器、内存、存储设备等。
4、视觉系统:包括摄像头、图像处理单元等。
5、人机界面:包括显示屏、键盘、鼠标等。
6、网络设备:包括网卡、路由器等。
五、软件系统码垛机器人的软件系统主要包括以下几个部分:1、操作系统:提供基本的系统功能和资源管理。
2、控制软件:用于控制机器人的运动和逻辑处理。
3、视觉处理软件:用于处理摄像头捕捉到的图像,识别和定位产品。
4、人机界面软件:用于显示操作界面和状态信息。
5、网络通信软件:用于实现远程监控和控制功能。
码垛机器人操作说明书一、设备介绍码垛机器人是一种高效、精准、自动化的机械设备,专为生产线上的货物分拣和码垛任务设计。
码垛工作站使用说明书2.7码垛工作站使用说明书2.7一、工作站概述1.1 工作站简介码垛工作站是一种自动化设备,用于将物品按照规定的方式码垛。
本工作站采用先进的技术,具有高效、精准、稳定等特点。
1.2 工作站组成码垛工作站主要由以下组件组成:- :用于执行码垛任务的装置。
- 输送系统:用于将待码垛的物品输送到工作站,并将码垛好的物品输送出去。
- 控制系统:用于控制的动作和监控工作站的运行状态。
- 视觉系统:用于对物品和工作站进行实时监控,以确保码垛的准确性和安全性。
1.3 适用范围本工作站适用于各种需要码垛操作的场景,如物流仓储、生产线等。
二、工作站安装2.1 工作站位置选择选择一个适合的位置进行安装,确保工作站的稳定性和可操作性。
2.2 工作站安装步骤1) 将工作站组件按照说明书进行安装,确保每个组件的连接正确牢固。
2) 连接工作站与电源,确保供电正常。
3) 进行通电测试,确保工作站各部件运行正常。
三、工作站操作3.1 工作站启动1) 打开控制系统电源,并启动控制系统软件。
2) 确保和输送系统处于就绪状态。
3) 进行自检,检查工作站各部件是否正常运行。
3.2 工作站任务设置1) 通过控制系统软件设置需要完成的码垛任务,包括物品的种类、数量、码垛的规则等。
2) 调整和输送系统的参数,确保能够完成任务。
3.3 工作站运行1) 控制系统软件中的“开始运行”按钮,工作站将开始执行任务。
2) 监控工作站的运行状态,确保码垛的准确性和安全性。
3) 当所有任务完成后,软件中的“停止运行”按钮,工作站将停止工作。
四、故障处理4.1 常见故障1) 卡死:检查的运行轨道是否有障碍物,清理障碍物后重新启动。
2) 输送系统故障:检查输送系统的电源和传输带是否正常运行,及时修复或更换故障部件。
4.2 故障报警处理1) 当工作站出现故障时,会自动报警,此时应停止工作并断开电源。
2) 联系售后服务人员进行故障排查和维修。
五、附件本文档涉及的附件包括:- 码垛工作站安装图纸- 操作手册- 控制系统软件说明书法律名词及注释- 自动化设备:指使用计算机、传感器等技术实现自动化操作的设备。
全自动码垛机的工作流程全自动码垛机是一种应用于各种生产环节的机器,它能对各种形状、材质的产品进行自动堆码,并将产品有序地堆放起来。
全自动码垛机的工作流程主要包括产品输入、识别分类、码垛策略生成、抓取码垛、堆叠码垛和码垛完成。
首先,全自动码垛机需要完成产品的输入。
产品可以通过传送带、机械手等方式进入码垛机的工作区域。
在产品输入的同时,码垛机会对产品进行检测和称重等操作,以便后续的识别和分类。
接下来,码垛机会进行产品的识别和分类。
通过视觉识别系统,码垛机可以识别产品的形状、材质、尺寸等信息,并将其分类。
这一步是为了后续选取合适的码垛策略做准备。
在识别和分类完成后,码垛机会根据设定的码垛策略生成码垛的路径和顺序。
码垛策略一般由计算机程序进行生成,根据产品的特点和堆垛要求来确定最优的码垛路径。
码垛策略还可以根据特定的生产需求进行调整,比如优化码垛的密度和稳定性。
一旦码垛策略生成完成,码垛机会根据路径和顺序进行抓取码垛工作。
通过机械手或其他抓取工具,码垛机会将产品从输入区域中取出,并根据码垛策略进行堆叠码垛。
在抓取码垛的过程中,码垛机需要考虑产品的稳定性和安全性,以避免产品的倾倒或受损。
在完成了一个产品的码垛后,码垛机会继续进行下一个产品的抓取和码垛,直到所有产品都被正确地码垛完毕。
在整个过程中,码垛机会进行自动化的控制和监控,以确保每个步骤都能够按照预定的要求进行。
最后,一旦所有的产品都被正确地码垛完毕,码垛机会发出信号,通知操作人员来将码垛完成的产品取走。
同时,码垛机会进行一些清理工作,如清理码垛区域的残留物,准备接受下一轮的码垛任务。
总的来说,全自动码垛机的工作流程包括产品输入、识别分类、码垛策略生成、抓取码垛、堆叠码垛和码垛完成。
这一系列的操作能够高效地完成码垛任务,实现生产过程的自动化和智能化。
全自动码垛机的应用不仅提高了生产效率,还能够降低人工操作的风险和成本,具有重要的经济和社会价值。
机器人码垛工作站的主要工作流程嘿,机器人码垛工作站的奇妙之旅嘿,朋友们!今天咱来聊聊机器人码垛工作站那超有趣的主要工作流程,这可真是让我大开眼界啊!想象一下,有个超级“大力士”在那不知疲倦地干活,而且还干得特别漂亮,那就是机器人码垛工作站啦!首先呢,就像咱们起跑前要做准备一样,货物们排着队等着被机器人“大哥”照顾。
这些货物就像是一群小朋友,乖乖地站在那,等着机器人来给它们安排“座位”。
然后呢,机器人闪亮登场!它那灵活的“胳膊”,就像个武林高手,精准地抓住这些货物,嘿咻一下就把它们提起来了。
这动作,那叫一个帅气,要是机器人能说话,估计都得喊一声“嘿,看我厉害不!”接着呢,机器人开始了它的码垛表演。
它把货物整整齐齐地堆放在一起,一层又一层,就像是在搭积木一样。
而且啊,它堆得那叫一个稳,简直比我小时候搭的积木还要好呢!感觉它都可以去参加“最佳堆垛大赛”,肯定能拿冠军!在整个过程中,这个机器人就像一个聪明的小精灵,不断地调整自己的动作和节奏。
要是遇到个特别调皮的货物,它也能轻松应对,就像是对付一个小淘气,哈哈。
看着这机器人码垛工作站不停地工作,我都有点佩服它了。
它不用休息,不用喝水,也不用上厕所,就在那一心一意地工作。
我就在想呀,要是我也能有它这样的精力,那我得干多少活啊!不过呢,虽然这机器人很厉害,但它也得有人照顾呀。
就像咱们家里的电器一样,得定期检修、保养。
要是机器人发脾气“罢工”了,那可得赶紧哄好它,让它继续好好工作。
总之呢,机器人码垛工作站的主要工作流程就像是一场精彩的表演,让人看得津津有味。
它让我们的工作变得更加高效、有趣,也让我们看到了科技的魅力。
我相信,在未来的日子里,机器人会在更多的领域发挥作用,给我们的生活带来更多的便利和惊喜。
让我们一起期待吧!哈哈!。
多年质保操作简单方便快捷—————————————————————————————————————————————社会的迅速发展推动工业的更新升级,随着工业生产生活的发展,厂家在其生产机械设备方面也同样需要相对应进行创新,逐渐出现了代替人工的全自动机器人,只需要预先设定程度就能按照规定运行。
接下来由安徽泰珂森智能装备科技有限公司为您简单介绍码垛工作站,希望能给您带来一定程度上的帮助。
机器人自动装箱、码垛工作站是一种集成化的系统,它包括工业机器人、控制器、编程器、机器人手爪、自动拆/叠盘机、托盘输送及定位设备和码垛模式软件等。
它还配置自动称重、贴标签和检测及通讯系统,并与生产控制系统相连接,以形成一个完整的集成化包装生产线。
(1)生产线末端码垛的简单工作站:
多年质保操作简单方便快捷—————————————————————————————————————————————这是一种柔性码垛系统,它从输送线上下料,并完成工件码垛、加层垫等工序,然后用输送线将码好的托盘送走。
(2)码垛/拆垛工作站:
这种柔性码垛系统可将三垛不同货物码成一垛,机器人还可抓取托盘和层垫,一垛码满后由输送线自动输出。
(3)生产线中码垛:
工件在输送线定位点被抓取并放到两个不同托盘上,层垫也由机器人抓取。
托盘和满垛通过线体自动输出或输入。
(4)生产线末端码垛的复杂工作站:
工件来自三条不同线体,它们被抓取并放到三个不同托盘上,层垫也由机器人抓取。
托盘和满垛由线体上自动输出或输入。
多年质保操作简单方便快捷—————————————————————————————————————————————安徽泰珂森智能装备科技有限公司集机械手、工业机器人系统集成研发、制造、销售、自动化控制工程承包于一体的综合性自动化技术企业。
公司在自动化领域具备充足的技术研发能力和丰富的项目经验,为各行业工厂量身订做适合、先进的自动化控制系统和解决方案。
公司在机械加工及自动上下料、自动打磨抛光,包装物流及搬运,汽车零部件加工组装,无人化工厂解决方案等众多行业中拥有成熟的应用案例。
致力于以工业机器人应用为核心,为客户提供完善的自动化解决方案和交钥匙工程,同时是德国库卡、日本发那科、日本川崎、国产埃夫特机器人授权代理商与系统集成商,在机器人技术应用上有着密切的合作,为用户提供强有力的技术支撑。