桥式起重机大车运行机构的计算(DOC)
- 格式:docx
- 大小:222.93 KB
- 文档页数:16
QD10T-20M A5 桥式起重机设计计算书示例编制:冰眼审核:审定:日期:2009年目录已知参数表 (3)起升机构计算 (4)钢丝绳选择……………………………………….滑轮、卷筒选择………………………………….电机选择………………………………………….减速机选择………………………………………制动器选择……………………………………….联轴器选择…………………………………………运行机构计算 (14)小车运行机构计算…………………………………车轮选择……………………………………..电机选择………………………………………减速机选择…………………………………….大车运行机构计算………………………………..附表 (25)10T—20M A5已知参数小车已知数据:起重量Q=10t,起升高度H=15m。
起升速度:V=7.5m/min,运行速度V xc=45m/min,工作级别为M5机构接电持续率JC=25%大车已知数据:桥架跨度L=20m大车运行速度V dc=75m/min工作级别M5机构接电持续率JC=25%起重机估计总重G=240KN(含小车)起升机构计算确定起升机构传动方案,选择定滑轮组和动滑轮组。
按照布置紧凑的原则,决定采用下图方案,按Q=10t,查表取滑轮组倍率i h=3,承载绳分支数:z=2×3选10t钩估计自重为G0=0.2t(附表一)1.选择钢丝绳若滑轮组采用滚动轴承,当i h=3,查表得滑轮组效率ηn=0.985(附表二)。
钢丝绳受最大拉力S maxS max=(Q+G0)/2aη=1726 Kg=17.26 KN查表,中级工作类型(工作级别M5)时,安全系数n=5.5。
钢丝绳计算破断拉力S b。
S b=n×S max=5.5×17.26=94.93KN。
钢丝绳直径dd=C·(S max 1/2)=0.100×17260 1/2=13.14mmC-钢丝绳选择系数,取0.100(附表三)取d=14mm查表,选用瓦林吞型钢芯钢丝绳,NA T6×19W+FC。
6、平均起动加速度α平的计算: 算式:()2
/60t m t V 起
车平=
α
式中:V 车(m/min )及t 起(t )——同前
α平的三和值为:α平(空最大)>α平(满最大)>α平(满正常)
技术科
设计计算说明书
第9页
α
7、电动机功率按发热条件的校核:
由于电动机的实际工况难以具体确定因此发热校核用求出电动机在JC=25%时,所需的当量额定功率N25值来校核。
即确定的电动机在
JC=25%时之名牌功率P额>N25时为通过。
算式:N25=K类型r当.N静(满)(kw)
式中:K类型——工作类型系数,按表2查得(参书(1)241页)K类型=0.75 表2
工作类型轻型中型重型
K类型0.5 0.75 1.0
N静(满)(kw)——同前
r当——起动情况对当量功率影响的系数。
按起动时间与运转工序的平均时间之比值t平均比值及机构类型由(1)书图119)查得
图3是将(图119)简化后所得。
在t平均比值=0.2(查表93[1]
得)时,在此查得γ当
=1.125。
第三章桥式起重机大车运行机构的计算3.1原始数据3.2确定机构的传动方案本次设计采用分别驱动,即两边车轮分别由两套独立的无机械联系的驱动装置驱动,省去了中间传动轴及其附件,自重轻。
机构工作性能好,受机架变形影响小, 安装和维修方便。
可以省去长的走台,有利于减轻主梁自重。
图大车运行机构图1 —电动机2—制动器3—咼速浮动轴4—联轴器5—减速器6—联轴器7低速浮动轴8—联轴器9—车轮3.3车轮与轨道的选择3.3.1车轮的结构特点车轮按其轮缘可分为单轮缘形、双轮缘形和无轮缘形三种。
通常起重机大车行走车轮主要采用双轮缘车轮。
对一些在繁重条件下使用的起重机,除采用双轮缘车轮外,在车轮旁往往还加水平轮,这样可避免起重机歪斜运行时轮缘与轨道侧面的接触。
这是,歪斜力由水平轮来承受,使车轮轮缘的磨损减轻。
车轮踏面形状主要有圆柱形、圆锥形以及鼓形三种。
从动轮采用圆柱形,驱动轮可以采用圆柱形,也可以采用圆锥形,单轮缘车轮常为圆锥形。
采用圆锥形踏面车轮时须配用头部带曲率的钢轨。
在工字梁翼缘伤运行的电动葫芦其车轮主要采用鼓形踏面。
图起重机钢轨332车轮与轨道的初选选用四车轮,对面布置桥架自重:G =0.45Q 起 0.82L =20.73t =207.3kN 式中Q 起――起升载荷重量,为16000 kgL ——起重机的跨度,为16.5 m满载最大轮压:P max = U 也/ •口4 2 L式中 q ——小车自重,为4tl ――小车运行极限位置距轨道中心线距离,为1.5 m代入数据计算得:P max =132.7kN 空载最大轮压:P m :x =^q q4 2 L代入数据得P m :x =60kN 空载最小轮压:P min= G q 丄42 L代入数据得P min =43.64 kN 载荷率:Qu 」600.772G 207.3查《机械设计手册第五版起重运输件•五金件》表8-1-120,当运行速度在60 ~ 90 m min ,Q 起 ^ 0.772,工作类型为中级时,选取车轮直径为600 mm 时, 型号为P 38的轨道的许用轮压为178kN ,故可用。
电动双梁桥式起重机的设计题目:设计计算某机械加工车间使用的电动双梁吊钩桥式起重机包括大车运行机构,桥架,小车运行机构及起升机构。
已知数据:起重量主起升50t,副起升10t;起升高度主起升12m,副起升14m;工作速度主起升6.2m/min,副起升12.5m/min;桥架采用箱形梁式结构,桥架跨度28.5m;大车运行速度85.9m/min;小车运行速度38.5m/min;工作级别A5;机构接电持续率JC%=25%;起重机估计总重(包括小车重量)G=53.6t,小车自重11921kg;大车运行机构采用分别式驱动方式。
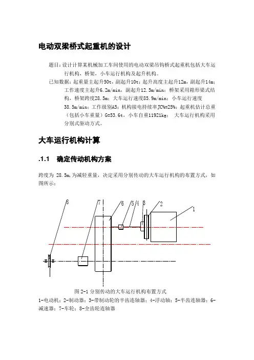
大车运行机构计算.1.1 确定传动机构方案跨度为28.5m,为减轻重量,决定采用分别传动的大车运行机构的布置方式,如图所示:图2-1分别传动的大车运行机构布置方式1-电动机;2-制动器;3-带制动轮的半齿连轴器;4-浮动轴;5-半齿连轴器;6-减速器;7-车轮;8-全齿轮连轴器1.2 选择车轮与轨道,并验算其强度按照图1—2所式的重量分布,计算大车车轮的最大轮压和最小轮压:图2-2轮压计算图满载时,最大轮压:Pmax=(G-Gxc)/4+(Q+Gxc)(L-e)/2L (2.1) =(536-119.21)/4+(50+11.921)(28.5-2)/(2⨯28.5)=392.08KN空载时,最小轮压:Pmin=(G-Gxc)/4+Gxc/2L (2.2) =(536-119.21)/4+119.21/(2⨯28.5)=106.29KN车轮踏面疲劳计算载荷:Pc =(2Pmax+Pmin)/3 (2.3) =(2⨯329.08+106.29)/3=296.82KN车轮材料:采用ZG340-640(调质),σb=700MPa,σs=380MPa,由[3]附表18选择车轮直径Dc=800mm,由[3]表5-1查得轨道型号为Qu70按车轮与轨道为点接触和线接触两种情况来验算车轮的接触强度点接触局部挤压强度验算:Pc"=k2 *R2*c1*c2/m3(2.4)=0.181⨯4002⨯0.99⨯1/(0.3883) =490931.51N式中 k2—许用点接触应力常数(N/mm2),由[3]表5—2查得k2=0.181。
10t单梁桥式起重机大车运行机构设计摘要:桥式起重机是一种工作性能比较稳定,工作效率比较高的起重机。
随着我国制造业的发展,桥式起重机越来越多的应用到工业生产当中。
在工厂中搬运重物,机床上下件,装运工作吊装零部件,流水在线的定点工作等都要用到起重机。
在查阅相关文献的基础上,综述了桥式起重机的开发和研究成果,重点对桥式起重机大车运行机构、端梁、主梁、焊缝及连接进行设计并进行强度核算,主要是进行端梁的抗震性设计及强度计算和支承处的接触应力分析计计算过程。
设计包括电动机,减速器,联轴器,轴承的选择和校核。
设计中参考了许多相关数据, 运用多种途径, 利用现有的条件来完成设计。
本次设计通过反复考虑多种设计方案, 认真思考, 反复核算, 力求设计合理;通过采取计算机辅助设计方法以及参考他人的经验, 力求有所创新;通过计算机辅助设计方法, 绘图和设计计算都充分发挥计算机的强大辅助功能, 力求设计高效。
关键词:桥式起重机,大车运行机构,主梁;端梁;焊缝The Design Of 10t Single Beam Bridge Crane Traveling MechanismAbstract:Bridge crane is a kind of performance is stability, the working efficiency is relatively high crane. Along with the development of China's manufacturing industry,bridge crane is applied to industrial production more and more . Carrying heavy loads in factories , machine tool fluctuation pieces, shipping work on the assembly line for hoisting parts, the designated work with a crane.On the basis of literature review, summarized the bridge crane development and research results, focusing on bridge crane during operation organization, main beam,end beam weld and connection for design and the strength calculation; Mainly for the girders extent design and strength calculation and the support of contact stress analysis program in calculation. Design including motor, reducer, coupling, bearing choosing and chec- king. The design refer to many related information, reference to apply a variety of ways, make the existing conditions to complete design. By considering various design scheme repeatedly, thinking deeply,strive to design reasonable; By taking computer aided design method and reference the experience of others,strive to make innovation; Through computer aided design method, graphics and design calculations give full play to the powerful auxiliary function, computer to design efficient.Keywords: bridge crane; during operation organization; main beam; end beam; weld1 绪论1.1 起重机背景及其理论桥式起重机是桥架在高架轨道上运行的一种桥架型起重机,又称天车。
起重机运行机构的组成及计算运行机构是使起重机或起重小车作水平直线运动的机构。
工作性运行机构主要用于水平运移物品,非工作性运行机构只是用来调整起重机(小车)的工作位置。
在专门铺设的轨道上运行的称为有轨运行机构,其突出特点是负载大,运行阻力小,但作业范围受轨道限制;无轨运行机构采用轮胎或履带,可以在普通道路上行走,其良好的机动性扩大了起重作业的选择范围。
本节以轨道式运行机构为主,介绍运行机构安全技术。
起重机运行机构由驱动装置、运行支承装置和安全装置组成。
1.运行驱动装置运行驱动装置包括原动机、传动装置(传动轴、联轴器和减速器等)和制动器。
大多数运行机构采用电动机,流动式起重机则为内燃机,有的铁路起重机使用蒸汽机。
自行式运行机构的驱动装置全部设置在运行部分上,驱动力主要来自主动车轮或履带与轨道或地面的附着力。
牵引式运行机构采用外置式驱动装置,通过钢丝绳牵引运行部分,因此可以沿坡度较大轨道运行,并获得较大的运行速度。
2.运行支承装置轨道式起重机和小车的运行支承装置主要是钢制车轮组与轨道。
车轮以踏面与轨道顶面接触并承受轮压。
大车运行机构多采用铁路钢轨,当轮压较大时采用起重机专用钢轨。
小车运行机构的钢轨采用方钢或扁钢,直接铺设在金属结构上。
车轮组由车轮、轴与轴承箱等组成。
为防止车轮脱轨而带有轮缘,以承受起重机的侧向力。
车轮的轮缘有双轮缘、单轮缘及无轮缘三种(见图8-2)。
一般起重机大车主要采用双轮缘车轮,一些重型起重机,除采用双轮缘车轮外还要加装水平轮,以减轻起重机歪斜运行时轮缘与轨道侧面的接触磨损。
轨距较小的起重机或起重小车广泛采用单轮缘车轮(轮缘在起重机轨道外侧)。
如果有导向装置,可以使用无轮缘车轮。
在大型起重机中,为了降低车轮的压力,提高传动件和支承件的通用化程度,便于装配和维修,常采用带有平衡梁的车轮组。
无轨式起重机运行支承装置是轮胎或履带装置。
图8-2 车轮型式(a) 双轮缘 (b) 单轮缘 (c) 无轮缘单主梁门式起重机的小车运行机构常见有垂直反滚轮(见图8-3)和水平反滚轮(见图8-4)的结构型式,车轮一般是无轮缘的。
QDZ50/10t 23.05m A7通用桥式起重机设计计算书编制:审核:校核:目录一、设计计算的依据及技术参数………………………二、起升机构……………………………………………三、小车运行机构………………………………………四、大车运行机构………………………………………五、小车架的计算………………………………………六、桥架的计算…………………………………………一、设计计算依据及技术参数1、设计计算依据及参考文献[1]……起重机设计手册 (张质文等主编,中国铁道出版社出版)[2]……起重机设计手册(大连起重机器厂编)[3]……起重机设计规范(GB3811-2008)[4]……机械设计手册(第四版)[5]……材料力学2、技术参数(1)、起重量:50/10t(2)、跨度:23.05m(3)、起升高度:12/13m(4)、工作级别:A7(5)、主起升速度:6.7m/min(6)、副起升速度:10.5m/min(7)、大车运行速度:60.3m/min(8)、小车运行速度:38m/min(9)、电源:380V、50Hz(10)、大车轨道:P43(11)、操纵形式:室控二、 起升机构2、1 主起升机构2、1、1 钢丝绳的计算:钢丝绳的最大静拉力: S=Zm Q η⋅2 Q ——起升载荷 Q=Qo+q=50000+1250=51250 kgm ——滑轮组倍率 m=5ηz ——滑轮组效率,查表3-2-11,取ηz=0.97S=51250/(2×5×0.97)=4971.3kg钢丝绳的破断拉力:Fo ≥ΣtΣt ——钢丝绳破断拉力总和Fo ——钢丝绳的整绳最小破断拉力N钢丝绳6W (19)的破断拉力:Σt=k n s .S ——钢丝绳的最大工作静拉力Nn ——安全系数,工作级别M7时取n=7.1k ——k=1.308(金属钢芯)∴Σt=k n s .=4971.3×7.1×9.8/1.308=264451.8 N绳径d min =8.9⨯s c根GB/T3811-2008查得c 为0.106 绳径d min =8.93.4971106.0⨯=23.39m 选绳6W (19)+IWR-24-1770-I绳径:d=24 mm Σt=362000 N2、1、2 卷筒组和滑轮直径的确定:2、1、2、1 卷筒直径D (卷筒槽底直径)D=h 1*dD ——卷筒名义直径mmd ——钢丝绳直径mmh 1——筒绳直径比系数,工作级别M6时取e=20,工作级别M7时取e=22.4 D ≥22.4×24=537.6mm根据以上计算:取D=φ710 mm2、1、2、2 滑轮直径DoDo ≥h 2*dDo ——按钢丝绳中心计算的滑轮直径mmh 2——轮绳直径比系数,工作级别M6时e=22.4;M7时e=25d ——钢丝绳直径mmDo ≥25×24=600 mm取Do =φ700 mm2、1、3 电动机的选择:2、1、3、1 按稳态平均功率应选电动机功率: Pj=G η⋅1000QV (KW) Q ——额定起升载荷N Q=502250 NV ——起升速度 V1=6.7 m/min=0.1117 m/Sη——机构总效率:η=η1·η2·η3·η4η1——滑轮组效率:0.97η2——卷筒效率:η2=1η3——减速器的效率:η3=0.94η4——联轴器效率:η4=0.995G ——稳态负载平均系数,查表2-2-5,按G2选取:G=0.8η=0.97×1×0.94×0.995=0.907工作级别M7时:Pj=0.8×502250×0.1117/(1000×0.907)=49.5 KW工作级别M7按S4,Cz=150,Jc=60%选取电动机:YZR 315S-8,Cz=150,P=56 KW ,n=733 r/min2、1、3、2 电动机过载能力校验:Pn ≥M H λμ⋅×η⋅1000QV Pn ——基准接电持续承时的电动机额定功率(KW )H ——系数,绕线异步电动机取H=2.1Λm ——电动机的过载倍数,取λM=2.8μ——电动机台数工作级别M5时,Pn ≥8.211.2⨯×502250×0.1117/(1000×0.907)=46.4 KW (Pn=56 KW ) 校验通过。
目录目录 01.前言 (1)2.技术参数 (1)3.起重小车的计算 (3)3.1主起升的计算 (3)3.2副起升机构的计算 (10)3.3小车运行机构的计算 (12)4.主梁的计算 (19)4.1主梁断面的几何特性 (19)4.2主梁载荷的计算 (20)4.3主梁跨中法向应力 (25)4.4跨中主梁腹板的剪应力 (25)4.5刚度计算 (26)5.端梁的计算 (27)5.1端梁的支承反力和弯矩的计算: (27)5.2端梁断面尺寸及几何特征 (32)5.3端梁的强度计算 (33)6.大车运行机构的计算 (33)6.1主要参数: (33)6.2轮压计算 (34)6.3电动机的选择 (35)7.参考文献 (37)1.前言本机是通用桥式起重机,工作级别为A7,用于繁忙使用的车间等工作场合。
其整体结构借鉴了相同额定起重量、相同跨度但不同工作级别的吊钩桥式起重机。
依照19833811/-T GB 和199314405/-T GB 的有关规定,进行钢结构的设计和部件的选用。
2.技术参数起重量 :主钩起重量:50t副钩起重量:10t跨度:22.5m起升高度:主起升主H =12m副起升副H =16m工作级别:主起升;M7副起升:M6小车运行:M6大车运行:M7工作速度:主起升主V =12.3m/min副起升副V =13.4m/min小车运行小V =48.1m/min大车运行大V =98m/min小车轨距:2.5m大车走轮4支,1/2驱动主梁的许用应力第一类载荷组合:2/1567cm kg I =σ第三类载荷组合:2/1760cm kg III =σ主梁的许用下挠度对于工作级别为A7的桥式起重机,主梁在满载时,跨中的许用 下挠值为:cm L f 25.2100022501000==≤ 钢丝绳安全系数绳N ---对重级工作类型取7电动机起动时间s t s 21≤≤起电动机制动时间s t 2≤制3.起重小车的计算(机构的布置见小车布置图)1.小车架2.副起升3.主起升4.小车运行图13.1主起升的计算起重量Q=50t 50t吊钩组重G=1420kg3.1.1 钢丝绳的选择根据起重机的起重量,选择双联起升机构,滑轮倍率m=5.1)钢丝绳的最大静拉力:组ηm G Q S 2max += 式中:m ax S --钢丝绳受的最大静拉力;组η--滑轮组效率,取0.95;Q 、N ,m 意义同上。
QZ16t —18m A6 抓斗桥式起重机计算书一、主要技术参数:额定起重量:16t跨度:18m 工作级别:A6 起升高度:18m起升开闭速度:40.26m/min小车运行速度:45.6m/min (车轮直径φ350) 大车运行速度:112.5m/min (车轮直径φ600) 小车自重:GX=12770kg 起重机总重:G=33100kg二、主梁计算1、主梁截面几何特性: 主梁选用截面尺寸如图: 截面面积:F =50×2.4+115×1.2=258cm 2 惯性矩:I x =122.15023⨯⨯+2×50×1.2×58.12+4)2.17.58(6.043-⨯⨯+12)2.17.58(6.043-⨯⨯=12+405073.2+114065.6+38022=557172.8cm 4I y =12502.123⨯⨯+126.011523⨯⨯+2×0.6×115×22.32=93630cm 4截面模数: W x =1Z Ix =7.58557173=9492cm 3 W y =2b Iy =2593630=3745cm 32、主梁载荷的计算1)传动侧主梁固定载荷及其最大弯矩的计算M G =M 均+M 固=13628+5550=19178kg ·m M 均=136288185.3368·22=⨯=S q 传kg ·mq 传=5.336186057==SG 传总kg/mG 传总=G G G 轨传走主+++G G G 其它电管栏++=4175+910+461+131+230+150=6057kgM 固=G 运·l 1+G 操·22l +G 电·23l =1315×1.27+1200×23.2+500×210=5550kg ·mM G 计=ϕ4M G =1.2×19178=23014kg ·m 2)活动载荷及弯矩计算: 小车静轮压:P = P 小车+PQP 小车=412770=3193kg P 1Q=29002165016000⨯⨯=4554kgP 2Q=29002125016000⨯⨯=3448kg小车计算轮压: P 计= P 小车+ ϕ2 P Q ϕ2——动力系数、根据抓斗起重机的工作状况,经计算ϕ2=1.7P 1计= P 小车+1.7 P 1Q =3193+1.7×4554=10935k g P 2计= P 小车+1.7 P 2Q =3193+1.7×3448=9055k g 小车总静轮压:P 1= P 小车+ P 1Q=3193+4554=7747kg P 2= P 小车+ P 2Q=3193+3448=6641kg静载最大弯矩M P =)(4)(21221P P S W S P P C +-+S=)66417747(4)189.21866417747(2+-⨯+×18=55475 kg ·m计算最大弯矩:M P 计=S P P S W S P P 计计C 计计)(4)(21221+-+=18)905510935(4)189.218905510935(2⨯+-⨯+=77304kg ·m 3、水平惯性载荷M 水=0.1M (P+G )=0.1(55475+19178)=7465kg ·m 4、载荷组合及主梁应力计算: 跨中主梁法向应力: 1)第一类载荷组合M I =M (P+G )计=M P 计+M G 计=77304+23014=100318kg ·m 222)(1/105710949210031810cm kgf W M x计G P =⨯=⨯=+σ[]21/1400cm kgf <A =σσ2)第二类载荷组合M Ⅱ=M (P+G )+0.1M (P+G )=55475+19178+7465=82118kg ·mσⅡ =2)(2)(101.010⨯+⨯++WyM WxM G P G P=2210374574651094921917855475⨯+⨯+=787+199=986kgf/cm 2σⅡ <[σ]A =1400 kgf/cm23)第三类载荷组合M Ⅲ = M (P+G )计+0.1M (P+G )计=M P 计+M G 计+0.1(M P 计+M G 计)=77304+23014+0.1(77304+23014)=110350 kg ·mσⅢ =2)()(101.0102⨯+⨯++WyM WxM 计G P 计G P=2103745)1917855475(1.010949219178554752⨯++⨯+=786+199=985kgf/cm 2σⅢ <[σ]B =1700 kgf/cm2综上计算主梁强度可以满足要求。
通用桥式起重机计算书(QD20/5t-17.5m)编制:批准:中国起重机械计算书2006年9月12日第一部分主梁设计计算一、主梁设计计算1、主要参数:起重量Q=20/5t 工作级别A5跨度LK=17.5m小车总重Gxc=7598t ρ2、主梁截面形状尺寸:上盖板δ=10mm 材料Q235-B下盖板δ=10mm 材料Q235-B腹板δ1=10mm 材料Q235-B腹板δ2=10mm 材料Q235-B腹板间距b=440mm腹板高h0=1100mm3、主梁截面性质:(1)主梁截面面积S=500*10*2+1100*6*2=23200mm2(2)半个桥架的质量:设加筋肋系数K=1.1Gqj=K*ρ*S*Lk=1.1*7.85*10-6*23200*17500=3506kg(3)主梁均布载荷集度q=3506/17500=0.2.kg/mm(4)主梁形心位置的确定X0=226mmY0=560mmXmax=560mmYmax=226mm(5)主梁截面惯性矩的确定对于X轴Ix=(500*103/12+500*10*5052)*2+(6*10003/12)*2=0.44×1010mm4对于Y轴Iy=(10*5003/12)*2+(1000*63/12+1000*6*2232)*2=8.04×108mm4(6)主梁截面对X轴Y轴的抗弯模数对于X轴Wxmin=Ix/Xmax=0.44×1010/560=7.86×106mm3对于Y轴Wymin=Iy/Ymax=8.04×108/226=3.56×106mm34、作用于主梁上的载荷及内力计算Ⅰ:按载荷组合IIa计算桥架重量Gqj=1.0×Gqj=3506kg小车重量Gxc=1.0×Gxc=7598kg起升载荷Qq=ΨII×Qq=1.25×(20000+468)=25585kg ΨII取1.2(水平惯性载荷Pgy不考虑)(1)小车轮压的计算Bx=2600mm b1=1231mm b2=1329mmP 1=Qq/2×b2/Bx+Gxc/4 (代入相应数值)=8438kgP 2Qq/2×b1/Bx+Gxc/4 (代入相应数值)=7956kg(2)当四轮小车作用于桥架时,主梁最大的弯距截面处距A点的距离:X=[p1+p2(1-Bx/Lk)+qLk]/[2×(p1+p2)/ Lk+q] (代入相应数值)(3)由垂直载荷在主梁上产生的最大弯矩为:M c max=[p1+p2(1-Bx/Lk)+qLk]2/[2×(p1+p2)/ Lk+q]+Mg(代入相应数值) =1.004×108 kg.mmMg=RaX----有固定集中静载荷(操纵室Gc、运行机构Gy、电气设备Gd)在主梁应力最大截面处产生的弯距:Mg=RaX=3.1×107kg.mmRa-----由操纵室、运行机构、电气设备的重量产生的支反力Gc=1500kg L1=2100mmGc=1204kg L1=800mmGc=1771kg L1=5000mmRa=[ Gc×(Lk-L1)+Gy×Lk+Gd×Lk/2]/ Lk(代入相应数值)=3789kg(4)当p1作用于A点处时,A端最大切力:Vamax=p1+p2(1-Bx/Lk)+Ra (代入相应数值)=22506.97kgⅡ: 按载荷组合IIb计算桥架重量Gqj=KII×Gqj=3856.6kg小车重量Gxc=KII×Gxc=8358kg起升载荷Qq=KII ×Qq= 22515kg KII取1.1(水平惯性载荷Pgy按Pgy max考虑)(1) 小车轮压的计算Bx=2600mm b1=1231mm b2=1329mmP 1=Qq/2×b2/Bx+Gxc/4 (代入相应数值)=7844kgP 2Qq/2×b1/Bx+Gxc/4 (代入相应数值)=7419kg(2)当四轮小车作用于桥架时,主梁的最大弯距截面处距A点的距离:X=[p1+p2(1-Bx/Lk)+qLk]/[2×(p1+p2)/ Lk+q] (代入相应数值)=8275mm(3) 由垂直载荷在主梁上产生的最大弯矩为:M c max=[p1+p2(1-Bx/Lk)+qLk]2/[2×(p1+p2)/ Lk+q]+Mg(代入相应数值) =1.01×108kg.mmMg=RaX----有固定集中静载荷(操纵室Gc、运行机构Gy、电气设备Gd)在主梁应力最大截面处产生的弯距:Mg=RaX=3.45×107kg.mmRa-----由操纵室、运行机构、电气设备的重量产生的支反力Gc=1500kg L1=2100mmGc=1204kg L1=800mmGc=1771kg L1=5000mmRa=[ Gc×(Lk-L1)+Gy×Lk+Gd×Lk/2]/ Lk(代入相应数值)=3789kg考虑冲击系数影响Ra= KII×Ra=1.1×3789=4167.9kg(3) 桥架运行产生的水平惯性载荷在两主梁上平均分布,当正常制动时作用在每根主梁上的弯距为;M s=0.8×M c max×aqj/g (代入相应数值)=0.8×1.01×108×0.2/9.8=1.65×106kg.mm当猛烈制动时M s将增加一倍M s max=2*M s=3.3×106kg.mm5、主梁强度效核对本起重机主梁均按Ⅱ类载荷进行强度计算.Q235-B设计许用应力 [ a ]II=1600kg/cm2剪切许用应力 [ r ]II=900kg/cm2挤压许用应力 [ajy]II=1700kg/cm2(1)按载荷组合IIa计算IIa amax=M c max/Wxmin (代入相应数值)=1.004×108/7.861×106=12.77kg/mm2=1378kg/cm2 < [a]当p1作用于A点处时跨端腹板剪应力r最大r=Vmax/0.7hlf=22506.97/0.7×6×(650-20)×2=4.253 kg/mm2=425.3 kg/mm2 < [r]强度校核通过.6、主梁的刚度校核(1)主梁静刚度计算Fmax=p1×Lk3[1+a(1-6β2)]÷48Eix≤[f] 其中a=p2/p1<1=6745/7131=0.946Bx=2600mm b1=1231mm b2=1329mmP 1=Qq/2×b2/Bx+Gxc/4 (代入相应数值)Qq=20468kg Gxc=7598kg=7131kgP 2Qq/2×b1/Bx+Gxc/4 (代入相应数值)=6745kgβ=Bx/ Lk=2600/17500=0.1486Bx----小车轮距[f]=1/1000Lk=17.5mmf=7131×175003×[1+0.946×(1-6×0.14862)]÷[48×2.1×104×0.44×1010] =15.69mm < [f]主梁静刚度通过二、起升机构计算1、主起升机构计算(1)主要参数工作级别 M5起升载荷 Qq=20000+468=20468kg (吊钩重量 q=468kg)滑轮倍率 a=4起升速度 V=9.12m/min(2)选用钢丝绳型号钢丝绳所受拉力 S=Qq/2a*Л=20468/2*4*0.97=2637.6kgЛ=0.97钢丝绳破断拉力SpSp≥ns×s=6×2637.6=15825.6kgNs=6Sp=0.85*soSo=18618.4kg结果:选钢丝绳型号6W(19)-17.5-155-Ⅰ钢丝绳破断拉力So=19850Kg钢丝绳直径 ds=17.5mm卷筒计算直径 Dj=el*ds=25×17.5=437.5mmel=25取标准卷筒系列 Dj=500mm Djs=500+17.5=517.5mm起升速度(3)电动机的选择按静功率初选电动机Nj=Qq*v/6120*Л=20468×9.12/6120×0.9=33.89kwЛ=0.9电动机额定功率 Ne≥kg*Nj (考虑惯性力的影响kg=0.7)=0.7×33.89=23.72kw选用电机型号:YZR225M-8(25%)电机额定功率:Ne=26kw电机转速: nz=708rpm(4)减速机的选择计算减速机速比:i=3.14*nz*Djs/a*v=40.17取标准速比i=40.17v1= nz*3.14* Djs/a*i=9.13△ =[( v1-v)/v]*100%=0.1%<10%起升速度验算在误差范围内按疲劳计算减速机Nhs=Ψhs*Ne25=1.05×26=27.3kwΨhs=1.05强度校核按输出扭矩Tmax=S×Djs=2637.6×0.5175=1318.8kg.m(考虑动力系数的影响ΨII=1.45)(考虑动力系数的影响ΨII=1.45)Tmax=1912.3kg.m最大径向力校核强度Rmax=(2s+Njt)/2=3202.5kg(考虑动力系数的影响ΨII=1.45)Rmax=4644kg减速机型号:ZQ650 速比:40.17(I=40.17时减速机容许输入功率29kw输出轴容许最大扭矩5950kgm最大径向载荷9250kg)验算合格(5)制动器的选择支持载荷所需的制动力矩MzMz=ns*Qq*Djs*Л/2a*i=1.75×20468×0.5175×0.9/(2×4×31.5)=66.2kg.m=662N.m≤Mez(Mez取1600N.m)Ns=1.75 Л=0.9Mez----制动器额定制动力矩制动器型号:YWZ-400 制动力矩:1×1600 N.m(6)卷筒计算Dj=500mm=0.5mDjs=517.5mm=0.5175m查取绳槽节距P=20mmDn=456mmδ=(Dj-Dn)/2=22mm起升高度H=16m安全圈数L1=n*P=40mm(安全圈数n不小于2,取2)固定钢丝绳2L2=2*3*P=120mm=120mm光滑面L光滑螺旋槽部分2L0=2a*H*P/3.14*Djs=1575卷筒长度L=2L0+L1+2L2+L光滑=1575+40+120+120=1855mm考虑两端留有一定的退刀余量取L=2000mm卷筒压应力验算σy=ξ*ΨII*S/δ*P(1-δ/Dj)=1.0×1.45×2637.6/22×20×(1-10/500) =9.05kg/mm2<[σy]ξ=1.0Ψ=1.45σy=75kg/ mm2[σy]= σy/5=15 kg/ mm2卷筒壁抗压强度验算合格L=2000>3D=1500故需验算弯曲的影响σ1=Mw/W+{[σy]/ [σy]}*σy1=ΨII*S*[(L-L)/2]/[0.1(Dj4-Dn4)/Dj]光滑+[(σb/5)/ (σb/5)]*[ ξ*ΨII*S/δ*P*(1-δ/Dj)]=3.95 kg/ mm2<[σ1]σb=25 kg/ mm2[σ1]= σb/5=5 kg/ mm2卷筒受合成拉应力验算合格2、参照主起升的计算过程副起升机构计算副起升机构(1) 主要参数工作级别 M5起升载荷 Qq=5000+102=5102kg (吊钩重量 q=102kg) 滑轮倍率 a=2起升速度 V=19.7m/min(2) 选用钢丝绳型号钢丝绳所受拉力 S=Qq/2a*Л=5102/2*2*0.99=1288.4kgЛ=0.99钢丝绳破断拉力SpSp≥ns×s=5.5×1288.4=7086kgNs=5.5Sp=0.85*soSo=8336.7.4kg结果:选钢丝绳型号6W(19)-13.5-155-Ⅰ钢丝绳破断拉力So=11500Kg钢丝绳直径 ds=13.5mm卷筒计算直径 Dj=el*ds=25×13.5=337.5mmel=25取标准卷筒系列 Dj=400mm Djs=400+13.5=413.5mm(3)电动机的选择按静功率初选电动机Nj=Qq*v/6120*Л=5102×19.7/6120×0.9=18.24kwЛ=0.9电动机额定功率 Ne≥kg*Nj (考虑惯性力的影响kg=0.8)=0.8×18.24=14.6kw选用电机型号:YZR180L-6(25%)电机额定功率:Ne=17kw电机转速: nz=946rpm(4)减速机的选择计算减速机速比:i=3.14*nz*Djs/a*v=31.53取标准速比i=31.5v1= nz*3.14* Djs/a*i=9.13△ =[( v1-v)/v]*100%=0.1%<10%起升速度验算在误差范围内按疲劳计算减速机Nhs=Ψhs*Ne25=1.05×26=27.3kwΨhs=1.05强度校核按输出扭矩Tmax=S×Djs=2637.6×0.5175=1318.8kg.m(考虑动力系数的影响ΨII=1.45)(考虑动力系数的影响ΨII=1.45)Tmax=1912.3kg.m最大径向力校核强度Rmax=(2s+Njt)/2=3202.5kg(考虑动力系数的影响ΨII=1.45)Rmax=4644kg减速机型号:ZQ500 速比:31.5(I=31.5时减速机容许输入功率29kw输出轴容许最大扭矩5950kgm最大径向载荷9250kg)验算合格(5)制动器的选择支持载荷所需的制动力矩MzMz=ns*Qq*Djs*Л/2a*i=1.75×5102×0.5175×0.9/(2×4×31.5)=21.2kg.m=212N.m≤Mez(Mez取800N.m)Ns=1.75 Л=0.9Mez----制动器额定制动力矩制动器型号:YWZ-200 制动力矩:1×800 N.m三、小车运行机构计算(1)主要参数起升载荷Qq=20468kg小车自重G=7598kg车轮直径D=35cm轴承直径d=10cm电机数目m=1运行速度V=44.2m/min(2)阻力的计算摩擦阻力Pm max=(Qq+G)×(2u+df)/D×Kf (代入相应数值)=384.9kgKf=1.6 Kp=0.002 u=0.05 f=0.02 d=10 D=35Pm max=(2u+df)/D=240.6kg坡度阻力Pp=(Qq+G)×Kp (代入相应数值)=56.1kgKp=0.002Pj=Pm max+Pp=441kg(3)满载运行时电机静功率Nj=Pj*v/6120*Л=441×44.2/6120×0.9=3.54kw由于起动加速过程惯性力的影响,电动机的应选功率为:N=Kg*Nj=1.1×3.54=3.89kw(Kg=1.1)-6 (25%)选用电动机型号:YZR132M2电机额定功率Ne=4kw电机转速 nz=900ypm(4)减速机的计算速比计算:i=3.14*nz*D/v=22.38取标准速比i=22.4v1= nz*3.14* D/i=44.16rpm△ =[( v1-v)/v]*100%=0.1%<10%运行速度验算在误差范围内按疲劳计算减速机Nhs=Ψhs*Ne25=1.4ξ×4=5.26kwG/(G+Qq)=7598/(7598+20648)=0.27<0.3查取修正系数ξ=0.94按强度计算减速机输出轴上的最大扭矩Mmax=Ψhs*Me25*i*Л=2.3×975×4/900×22.4×0.9=200.9kgm选用减速机型号:ZSC-400 速比:22.4(i=22.4时减速机容许输入功率2.8kw)验算合格(5)制动器的选择所选制动器应使起重机在满载、下坡情况下停车所需制动力矩Mz=Ms+1/tz[1.2*GD*n*m/375+0.975(Qq+G)v2/n]Ms=pjs*D*Л/2i=-184.5×0.35×0.9/(2×22.4)=-1.297kgPjs=Pp-Pm min=-184.5kgGD2=0.28kgm2 v=0.74m/sec n=900 tz取5secMz=-1.297+3.13=1.84kgm=18.4n.m选用一台制动器选用制动器型号:YWZ-200/25 制动力矩:200N.m三、大车运行机构计算机构按跨度分为两种,跨度≤22.5m为第一种,≥22.5m为第二种.参数按≥22.5m时取(1)主要参数起升载荷Qq=20468kg小车自重G=40329kg车轮直径D=60cm轴承直径d=10cm电机数目m=2运行速度V=75.27m/min(2)阻力的计算摩擦阻力Pm max=(Qq+G)×(2u+df)/D×Kf (代入相应数值)=547.2kgKf=1.5 u=0.08 f=0.02Pm max=(2u+df)/D=364.8kg坡度阻力Pp=(Qq+G)×Kp (代入相应数值)=60.8kgKp=0.001Pj=Pm max+Pp=608kg(3)满载运行时一个电机静功率Nj=Pj*v/6120*Л=4.15kw由于起动加速过程惯性力的影响,一个电动机的应选功率为:N=Kg*Nj=1.5×4.15=6.23kw (Kg=1.5)选用电动机型号:YZR160M-6 (25%)1电机额定功率Ne=6.3kw电机转速 nz=921ypm(4)减速机的计算速比计算:i=3.14*nz*D/v=23.05v1= nz*3.14* D/i=75.28rpm△ =[( v1-v)/v]*100%=0.1%<10%运行速度验算在误差范围内按疲劳计算减速机Nhs=Ψhs*Ne25=1.4ξ×6.3=10.32kwG/(G+Qq)=40329/(40329+20648)=0.66查取修正系数ξ=1.17按强度计算减速机输出轴上的最大扭矩Mmax=Ψhs*Me25*i*Л=2.3×975×6.3/921×23.05×0.9=318.2kgm选用减速机型号:ZQ-350 速比:23.05(i=23.05时减速机容许输入功率7.2kw)验算合格(5)制动器的选择所选制动器应使起重机在满载、下坡情况下停车所需制动力矩Mz=Ms+1/tz[1.2*GD*n*m/375+0.975(Qq+G)v2/n]Ms=pjs*D*Л/2i=-304×0.6/(2×23.05)=-3.56kgPjs=Pp-Pm min=-304kgGD2=0.48kgm2 v=1.25m/sec n=921 tz取5secMz=-3.56+18.8=15.2kgm=152n.m选用一台制动器选用制动器型号:YWZ-200 制动力矩:2×200N.m。
16T 13.5m桥式起重机大车运行机构介绍16T 13.5m桥式起重机大车运行机构是桥式起重机的一个关键部件,用于实现大车在跨度范围内的水平运动。
本文档将介绍该运行机构的组成部分、工作原理以及维护保养方法。
组成部分16T 13.5m桥式起重机大车运行机构由以下几部分组成:1.行走主梁:承载大车的重量,并提供行走的轨迹。
2.行走机构:包括行走电机、行走齿轮箱、行走轮等,用于驱动大车在主梁上的行走。
3.制动装置:用于控制大车的停止和固定在所需位置。
工作原理大车运行机构的工作原理如下:1.行走主梁通过轨道支座固定在桥架上,形成稳定的行走轨道。
2.行走电机提供动力,通过行走齿轮箱和行走轮将动力传递给主梁,实现大车的行走。
3.制动装置可以通过控制信号或手动操作实现制动或释放,以控制大车的停止和固定在所需位置。
维护保养为确保16T 13.5m桥式起重机大车运行机构的正常使用和延长使用寿命,需要进行以下维护保养:1.定期检查行走主梁和轨道的连接螺栓,确保其紧固可靠。
2.检查行走电机和行走齿轮箱的工作情况,如有异常要及时修理或更换。
3.定期润滑行走轮和行走齿轮箱的滚动轴承,确保其正常工作。
4.检查制动装置的制动力是否正常,如有需要,可以进行调整或更换制动片。
5.定期清洁和检查整个大车运行机构的工作情况,如有发现异常要及时处理。
注意事项在操作16T 13.5m桥式起重机大车运行机构时,需要注意以下事项:1.操作人员必须熟悉大车运行机构的工作原理和操作方法,且具备相关的操作证书。
2.在操作前,要仔细检查并确保大车运行机构及其相关部分的安全可靠。
3.在行走过程中,要注意避免与其他物体碰撞,特别是在狭小空间作业时要格外小心。
4.在使用制动装置时,要严格按照操作规程进行操作,确保制动力的可靠性。
5.在进行维护保养时,要遵守相关的操作规程和安全操作规定,确保操作人员的人身安全。
结论16T 13.5m桥式起重机大车运行机构是桥式起重机的重要部件,对于实现大车的水平运动至关重要。
140/32T*22M铸造起重机增容改造计算书1、主起升机构计算起重量180t吊具20t起升速度7m/min起升高度22m工作级别M71.1钢丝绳的选择起升载荷Q=180+20t(包括吊梁重量)滑轮倍率m=6 滑轮效率η≈0.95钢丝绳安全系数n=7.0钢丝绳最大静拉力SS=Q=(180+20)×9.85=86.4KN2×2×2×m×η2×2×6×0.95选择钢丝绳30NAT 6*19W+IWR-1870钢丝绳直径φ30钢丝绳最小破断拉力599KN安全系数校η=599=7≥7 86.42、电动机选择2.1计算电动机静功率Pj起升载荷Q=180+20t起升速度V=7m/min机构总效率η=0.85 电动机台数2台P j=QV=(180+20)×9.85×7×103=135KW 2×1000×η2×1000×60×0.85(共9页第1页)1.2.2选择电动机选用YZR400L2-10电机额定功率200KW,同步转速588r/minS3 60% 功率170KW 同步转速591r/min1.3减速器传动比计算起升速度7m/min卷筒直径Do=φ1400 单层双联缠绕,倍率m=6钢丝绳直径do=30电动机转速n电=591r/min钢丝绳平均中径(计算直径)D=1430mmi=π×D×n电=π×1.43×591=63.1m×v6×7选减速器传动比I=63.021.4选择制动器1.4.1高速级制动器选择起升载荷Q=180+20t减速器传动比I=63.02卷筒计算直径D=1.43m钢丝绳直径do=30滑轮倍率m=6机构总效率η=0.85制动器数量n=4制动安全系数K=1.25制动力矩T E=K×Q×D×η=(180+20)×9.85×103×1.43×0.85×1.25×2=3947Nm 2×n×m×I4×6×63.02选择制动器选用YWZD-630/300制动器,制动力矩4500Nm(共9页第2页)2、副起升机构计算起重量40t吊具2t起升速度9.33m/min起升高度24m工作级别M62.1钢丝绳的选择起升载荷Q=40+2t(包括吊钩重量)滑轮倍率m=4 滑轮效率η≈0.97钢丝绳安全系数n=6钢丝绳最大静拉力SS=Q=(40+2)×9.85=53.3KN 2×2×2×m×η2×4×0.97选择钢丝绳22NAT 6*19W+IWR-1870钢丝绳直径φ22钢丝绳最小破断拉力322KN安全系数校η=322=6>6 53.32.2、电动机选择2..2.1计算电动机静功率Pj起升载荷Q=40+2t起升速度V=9.33m/min机构总效率η=0.9 电动机台数1台P j=QV=(40+2)×9.85×9.33×103=71.5KW 2×1000×η1000×60×0.92.2.2选择电动机(共9页第3页选用YZR315M-10电机额定功率75KW,同步转速579r/min2.3减速器传动比计算起升速度V=9.33m/min卷筒直径Do=φ1000 单层双联缠绕,倍率m=4 钢丝绳直径do=22电动机转速n电=579r/min钢丝绳平均中径(计算直径)D=1022mmi=π×D×n电=π×1.022×579=49.78 m×v4×9.33选减速器传动比I=49.78 2.4选择制动器2.4.1高速级制动器选择起升载荷Q=40+2t减速器传动比I=49.78卷筒计算直径D=1.022m 钢丝绳直径do=22滑轮倍率m=4机构总效率η=0.9制动器数量n=2制动安全系数K=1.25制动力矩T ET E=K×Q×D×η=(40+2)×9.85×103×1.022×0.9×1.25=1194Nm 2×n×m×I2×4×49.78选择制动器选用YWZD-400/125制动器,制动力矩1400Nm(共9页第4页)3、主小车运行机构计算起升载荷Q=180+20t(包括吊梁重量)运行速度V=36.5m/min车轮直径Do=φ800mm滚动摩擦系数f=0.1(cm)车轮轴承摩擦系数μ=0.02与轴承相配处车轮轴径d=17cm附加摩擦阻力系数β=1.5坡度阻力系数0.002小车自重G=72t工作级别M63.1摩擦阻力F m,坡度阻力Fp计算Fm=β×(Q+G)(2f+μd)=1.5×(180+20+72)×103×(2×0.1+0.02×17)=2754kgf D080Fp=(180+20+72)*0.002*1000=544kgf F总=2754+544=3294 kgf3.2选择电动机3.2.1电动机静功率Pj小车运行阻力F总=3294kgf小车运行速度V=36.5m/min机构传动效率η=0.9电动机数量m=2惯性系数1.33P j=F总V=3294×9.85×36.5×1.33=14.5KW 1000×m×η0.9×2×603.2.2选用电动机选用YZR200L-8,功率15 KW,712 r/min(共9页第5页)3.2.3计算减速器传动比小车运行速度V=36.5m/min车轮直径Do=φ800mm电动机转速n=712r/mini=π×D×n=π×0.8×712=49 v36.5选减速器传动比I=49.784、副小车运行机构计算起升载荷Q=40+2t(包括吊钩重量)运行速度V=37.8m/min车轮直径Do=φ400mm滚动摩擦系数f=0.06(cm)车轮轴承摩擦系数μ=0.02与轴承相配处车轮轴径d=10cm附加摩擦阻力系数β=1.5坡度阻力系数0.002小车自重G=15t工作级别M64.1摩擦阻力F m,坡度阻力Fp计算Fm=β×(Q+G)(2f+μd)=1.5×(40+2+15)×103×(2×0.06+0.02×10)=684kgf D040Fp=(40+2+15)*0.002*1000=114kgfF总=684+114=798kgf4.2选择电动机4.2.1电动机静功率Pj小车运行阻力F总=798kgf小车运行速度V=37.8m/min(共9页第6页)机构传动效率η=0.9电动机数量m=1惯性系数1.33P j=F总V=798×9.85×37.8×1.33=7.3KW 1000×m×η1000×0.9×1×604.2.2选用电动机选用YZR160M2-6,功率7.5KW,940 r/min 4.2.3计算减速器传动比小车运行速度V=37.8m/min车轮直径Do=φ400mm电动机转速n=940r/mini=π×D×n=π×0.4×940=31.2 v37.8选减速器传动比I=31.25、大车运行机构计算起升载荷Q=180+20t(包括吊钩梁重量)运行速度V=77.7m/min车轮直径Do=φ700mm滚动摩擦系数f=0.09(cm)车轮轴承摩擦系数μ=0.02与轴承相配处车轮轴径d=15cm附加摩擦阻力系数β=1.5坡度阻力系数0.001大车自重G=242t工作级别M75.1摩擦阻力F m,坡度阻力Fp计算(共9页第7页)Fm=β×(Q+G)(2f+μd)=1.5×(180+20+242)×103×(2×0.09+0.02×15)=4546kgf D070Fp=(180+20+242)*0.001*1000=442kgf F总=4546+442=4988kgf5.2选择电动机5.2.1电动机静功率Pj大车运行阻力F总=4988kgf大车运行速度V=77.7m/min机构传动效率η=0.9电动机数量m=4惯性系数1.83P j=F总V=4988×9.85×77.7×1.83=32.3KW 1000×m×η1000×0.9×4×605.2.2选用电动机选用YZR250M1-8,额定功率30KW,725r/min S3 60% 功率26KW 同步转速725r/min 5.2.3计算减速器传动比大车运行速度V=77.7m/min车轮直径Do=φ700mm电动机转速n=725r/mini=π×D×n=π×0.7×725=20.5 v77.7选减速器传动比I=20.496、机构计算主主梁最大应力87Mpa≤[σ]=165 Mpa主主梁刚度f=L/1456≤L/1000 L为跨度(共9页第8页)副主梁最大应力81Mpa≤[σ]=165 Mpa副主梁刚度f=L/1133≤L/1000 L为跨度主小车架行走梁:应力46Mpa≤[σ]=90Mpa定滑轮组梁:应力50Mpa≤[σ]=80Mpa卷筒组梁:应力37Mpa≤[σ]=80Mpa刚度f≤L/2000 L为跨度副小车架行走梁:应力64Mpa≤[σ]=90Mpa定滑轮组梁:应力38Mpa≤[σ]=80Mpa卷筒组梁:应力64Mpa≤[σ]=80Mpa刚度f≤L/2000 L为跨度(共9页第9页)。
毕业设计32/5t桥式起重机小车及大车运行机构设计毕业设计任务书32/5t桥式起重机小车及大车机构设计32/5t桥式起重机小车及大车机构设计摘要桥式起重机是一种工作效率较高,性能稳定的常用起重机。
桥式起重机的使用提高了工厂,矿山等工作环境的机械化程度。
本次设计结合生产实践并参阅了众多的相关书籍,介绍了32/5t标准桥式起重机的主要结构组成以及在生产中是如何进行工作的;论述了国内外桥式起重机的最新动态和研发成果。
按照现有的设计理论进行了方案设计。
主要做了桥式起重机中的提升机构、小车行走机构和大车行走机构等方面的设计计算和校核。
大体内容包含起升机构和行走机构的传动方案,零部件的空间位置分布,起升机构中卷筒,钢丝绳,滑轮组和吊钩组的设计以及运行机构中车轮和运行轨道的设计。
选择并校核了如联轴器、减速器、电动机、传动轴等重要零部件的工作性能。
关键词桥式起重机起升机构大车运行机构小车运行机构32/5t bridge crane lifting and travelling mechanismdesignAbstractBridge crane is a kind of common cranes which have high efficiency and stable performance. The use of bridge crane improved the degree of mechanization in factories, mines and other work environments. The design introduced 32/5t standard bridge cranes and the main structural component and their way to work in the production; discusses the latest developments at home and abroad of bridge crane and R & D results by combined production practice and refer to a large number of books. Make the program design in accordance with the existing design theory. Mainly carried out the design and calculations of the hoisting mechanism, crane trolley and travelling mechanism’s operating mechanism in the bridge crane . Generally contains the transmission scheme of hoisting mechanism and operating mechanism, the distribution of position of the parts ,the drum of lifting mechanism, wire rope, pulley and hook block design and the design of the wheels and running track in the working mechanism. Selected and checked the parts like coupling, reducer, motor, drive shafts and other important parts of the job performance.Keywords Bridge crane hoisting mechanism crane traveling mechanism cart mechanism目录摘要Abstract1 前言 (1)1.1 概述 (1)1.2 起重机械的工作特点 (1)1.3 国外桥式起重机发展动向 (1)1.4 国内桥式起重机发展动向 (2)2 起升机构设计 (3)2.1 主要工作参数 (3)2.2 主起升机构的计算 (3)2.2.1 确定起升机构的传动方案 (3)2.2.2 钢丝绳的选择 (4)2.2.3 滑轮的计算和选择 (6)2.2.4 卷筒的计算选择及强度验算 (6)2.2.5 电动机的选择 (8)2.2.6 电动机的发热和过载校验 (9)2.2.7 减速器的选择 (9)2.2.8 实际起升速度及所需功率计算 (9)2.2.9 校验减速器输出轴强度 (10)2.2.10 制动器的选择 (10)2.2.11 联轴器的选择 (11)2.2.12 验算启动时间 (12)2.2.13 验算制动时间 (12)2.2.14 高速浮动轴计算 (12)3 小车运行机构设计 (14)3.1 机构传动方案设计 (14)3.1.1 选择车轮与轨道并验算强度 (14)3.1.2 计算运行阻力 (15)3.1.3 计算选择电动机 (16)3.1.4 计算选择减速器 (16)3.1.5 验算运行机构速度和实际功率 (17)3.1.6 验算启动时间 (17)3.1.7 按启动工况校核减速器功率 (18)3.1.8 选择制动器 (18)3.1.9 选择联轴器 (19)3.1.10 验算低速浮动轴强度 (19)4 大车运行机构计算 (21)4.1 机构传动方案设计 (21)4.2 车轮与轨道的选择及校验 (21)4.3 运行阻力的计算 (23)4.4 电动机的选择 (23)4.5 减速器的选择 (24)4.6 验算运行速度和实际所需功率 (24)4.7 验算启动时间 (24)4.8 启动工况下校核减速器功率 (25)4.9 验算启动不打滑条件 (26)4.10 选择制动器 (27)4.11 选择联轴器 (28)4.12 浮动轴强度的验算 (28)4.13 缓冲器选择 (29)结论 (31)参考文献 (32)致谢 (33)1 前言1.1 概述桥式起重机是在架设好的桥架上沿轨道运行的一种起重机,又称天车。
第三章桥式起重机大车运行机构的计算3.1原始数据起重机小车大车载重量(T) 跨度(m)起升高度(m)起升速度(m/min )重量(T)运行速度(rVmin)小车重量(T)运行速度(m min )16 16.5 10 7.9 16.8 44.6 4 84.73.2确定机构的传动方案本次设计采用分别驱动,即两边车轮分别由两套独立的无机械联系的驱动装置驱动,省去了中间传动轴及其附件,自重轻。
机构工作性能好,受机架变形影响小, 安装和维修方便。
可以省去长的走台,有利于减轻主梁自重。
1LJ(\图大车运行机构图1 —电动机2—制动器3—咼速浮动轴4—联轴器5—减速器6—联轴器7低速浮动轴8—联轴器9—车轮3.3车轮与轨道的选择3.3.1车轮的结构特点车轮按其轮缘可分为单轮缘形、双轮缘形和无轮缘形三种。
通常起重机大车行走车轮主要采用双轮缘车轮。
对一些在繁重条件下使用的起重机,除采用双轮缘车轮外,在车轮旁往往还加水平轮,这样可避免起重机歪斜运行时轮缘与轨道侧面的接触。
这是,歪斜力由水平轮来承受,使车轮轮缘的磨损减轻。
车轮踏面形状主要有圆柱形、圆锥形以及鼓形三种。
从动轮采用圆柱形,驱动轮可以采用圆柱形,也可以采用圆锥形,单轮缘车轮常为圆锥形。
采用圆锥形踏面车轮时须配用头部带曲率的钢轨。
在工字梁翼缘伤运行的电动葫芦其车轮主要采用鼓形踏面。
3.3.2车轮与轨道的初选选用四车轮,对面布置桥架自重:G =0.45Q 起+ 0.82L =20.73t =207.3kN 式中Q 起――起升载荷重量,为16000kgL --- 起重机的跨度,为16.5m满载最大轮压:P max = 口+Q^q• J42 L式中q ――小车自重,为4ti ――小车运行极限位置距轨道中心线距离,为代入数据计算得:P max = 132.7kN 空载最大轮压:隘x=^+q 牛1代入数据得p max =60kN 空载最小轮压:P m 十宁吗十 代入数据得P min =43.64 kN载荷率: Q=160二 0.772G 207.3查《机械设计手册第五版起重运输件•五金件》表60~90m/min ,Q 起/G =0.772,工作类型为中级时,选取车轮直径为600mm 时,图起重机钢轨 图大车行走车轮1.5 m8-1-120,当运行速度在型号为P 38的轨道的许用轮压为178kN ,故可用。
车轮材料为ZG310-570,320HB3.3.2车轮踏面疲劳强度的校验D 2P max+P nin车轮踏面的疲劳计算载荷:Pc 二—3— 代入数据计算得:P c = 103kNR 2车轮踏面的疲劳强度:PC < k 2R3C 1C 2mk2与材料有关的许用点接触应力常数,查《起重机械》表 7-1取为 0.1R ――曲率半径,取车轮和轨道曲率半径中之大值,取为 600 mmm ――由轨道顶与车轮曲率半径之比所确定的系数,查表7-4取为0.468C2――工作级别系数,查表7-3取为1.00 代入数据计算得:k 2R2c i C^337.16k^103kN m故满足要求。
3.4电动机选择3.4.1选择电动机应综合考虑的问题(1) 根据机械的负载性质和生产工艺对电动机的启动、制动、反转、调速以及 工作环境等要求,选择电动机类型及安装方式。
(2) 根据负载转矩、速度变化范围和启动频繁程度等要求,并考虑电动机的温 升限制、过载能力和启动转矩,选择电动机功率,并确定冷却通风方式。
所选电 动机功率应大于或等于计算所需的功率, 按靠近的功率等级选择电动机,负荷率 一般选择0.8~0.9。
过大的备用功率会使电动机的效率降低,对于感应电动机, 其功率因数将变坏,并使按电动机最大转矩校验强度的生产机械造价提高。
(3) 根据使用场所的环境条件,如温度、湿度、灰尘、雨水、瓦斯以及腐蚀和 易燃易爆气体等考虑必要的保护方式,选择电动机的结构型式。
(4) 根据企业的电网电压标准,确定电动机的电压等级和类型。
(5) 根据生产机械的最高转速和对电力传动调速系统的过渡过程性能的要求, 以及机械减速机构的复杂程度,选择电动机额定转速。
(6) 选择电动机还必须符合节能要求,考虑运行可靠性、设备的供货情况、备 品备件的通用性、安装检修的难易,以及产品价格、建设费用、运行和维修费用、 生产过程中前期与后期电动机功率变化关系等各种因素。
式中C i转速系数,查表7-2取为0.963.4.2运行阻力式中Pb ---- 起重机大车运行静阻力 P 摩——起重机大车运行摩擦阻力P 坡 ――起重机大车在有坡度轨道上运行时须克服由起重机重量分力引起的阻力室外起重机大车运行时由风载荷引起的阻力3.4.2.1运行摩擦阻力起重机大车满载运行时的最大摩擦阻力:Q IXpl卩摩=(Q 起+ G o )- —K 附=(Q 起+ G o f 0式中K ――滚动摩擦系数,查表取0.06r图 三相异步电动机G o起重机大车自重,估计为 2500 kgd---- 轴承内径,取为10 cm卩一一轴承摩擦系数,查表 9-3取为0.015K附一一附加摩擦阻力系数,查表9-4取为1.5D 轮 -- 车轮直径,取为60 cm f o ――摩擦阻力系数故计算得:P t = 124.9 kg满载运行时最小摩擦阻力:. gK +A d F 摩满 min = (Q 起+ G 0 )D 轮代入数据得:P 摩满min = 83.25kg 空载运行时最小摩擦阻力:P 摩空 min =G 02K +»d代入数据得:P 摩空min = 11.25kg3.4.2.2满载运行时最大坡度阻力起重机大车满载运行时的最大坡度阻力:卩坡=K 坡(Q 起+ G 0 )故计算得:F 坡=18.5kg3.4.2.3满载运行时最大风阻力本次设计的桥式起重机是在理想条件下运作的,故不考虑风的因素,即: 故综上所述,起重机大车运行静阻力P b = P 摩+ P 坡+ 143.4kg3.4.3初选电动机3.4.3.1满载运行时的电动机的静功率N 静= ,6120^m式中K 坡 坡度阻力系数,查表9-5取为0.001P 风=0式中P静――起重机大车满载运行时的静阻力v --- 起重机大车运行速度为84.7 m/minn——机构传动效率取为0.9m——电动机个数,本次设计采取分别传动的方案,故取 2故计算得:N 静=1.1 kw3.4.3.2电动机的初选对于吊钩桥式起重机的大车运行机构,可按下式初选电动机N =K电N静电动机启动时为克服惯性的功率增大系数,查表9-6,取为1.87式中K电故:N = K 电N 静=1.87X 1.1kw=2.057kw冶金及起重用三相异步电动机是用于驱动各种型式的起重机械和冶金设备中的辅助机械的专用系列产品。
它具有较大的过载能力和较高的机械强度,特别适用于短时或断续周期运行、频繁启动和制动、有时过负荷及有显著的振动与冲击的设备。
故查询《机械设计课程设计手册》表12-7,选取电动机额定功率为2.5kw,故初选电动机型号为YZR132M1-6,其额定转速为892r/min 。
3・4・3・3初选电动机后确定减速器的传动比和车轮的转速车轮的转动速度为84.7m/min,即为1.41m/sv“轮=nD;代入数据得:门轮=44.9r/min 故减速器的传动比:i二丄二"892=19.85n轮44.93.4.3.4满载运行时电动机的静力矩M静二晋2i n式中i ------ 减速器的传动比代入数据计算得:M静=2.41 kg m式中 M 平起 电动机的平均起动转矩3.4.3.5电动机的过载能力校验 运行机构的电动机必须进行过载校验。
2C 1 P 静 v Z J n pn > ---------- + -------mJ ,as 100B 91280t a式中P n ――基准接电持续率时电动机额定功率X as――平均启动转矩表示值(相对于基准接电持续率时的额定转矩)对绕线型异步电动机取1.7,笼型异步电动机取转矩允许过载倍数的 90% 。
P 静――运行静阻力为1405.32N v --- 运行速度,即为车轮的转速 1.41 m/sn ——机构传动效率,取为0.9Z J ――机构总转动惯量,即折算到电动机轴上的机构旋转运动质量与直线运动质量转动惯量之和;按下式计算得:2送J = k (J i + J 2 m + 9.3g 严 V= 1.90 kg/ m2nJ 2 ――电动机轴上制动轮和联轴器的转动惯量k ——考虑其他传动件飞轮矩影响的系数,一般取 k =1.1~1.2,取1.1n --- 电动机额定转速t a ――机构初选启动时间,桥式起重机大车运行机构t a =8~10s ,取10s 。
故计算得:P d =2.3kw已知P n =2.5kw > P d ,故满足要求。
3.4.4起动时间与起动平均加速度验算3.4.4.1起动时间的验算9.55mM 平起一M 静)J i电动机转子转动惯量M静一一满载、上坡、迎风时作用于电动机轴上的静阻力矩m ——电动机个数,m=2n --- 电动机转速,为892r/min查《起重机设计手册》表8-11得:M平起=(0.7 ~ 0.8 M max =0.75X2.5= 1.875kg m代入数据计算得:t起满=2.71s 对起重机的起重时间一般要求t<8~10s,故满足要求。
3・4・4・2平均加速度的验算a 平=—=141 = 0.52 m/s2 t起满 2.71查表9-7得知起重机大车运行机构的平均加速度需在0.4~0.7m/s2之间即为合理,故满足要求。
3.4.5电动机的发热校验对工作频繁的工作性运行机构,为避免电动机过热损坏,需进行发热校验。
P *=G1 oomn式中P ――电动机工作的接电持续率JC值、CZ值时的允许输出容量P S ――工作循环中负载的稳态功率G ――稳态负载平均系数,查《起重机械》表7-11取G = 0.9代入数据计算得:Ps=0.99kw<P,即满足不发热条件。
3.4.6起动打滑验算为了使起重机运行时可靠的启动,应对驱动轮作启动时的打滑验算。
大车空载时更易发生打滑现象,故校验空载时大车是否打滑。
(④亠WL 、2i nL k(GD电+GD联)■—十R驱min色M平起- ----------------------------------------------- a平(K D轮丿D轮L- -2gD轮式中申一一粘着系数,对室内工作的起重机取0.15K ――粘着安全系数,上式中取平均起动力矩,故取K=1.12 n——机构在起动时的传动效率R驱m i n驱动轮最小轮压3.5减速器 3.5.1减速器的介绍齿轮减速器在原动机和工作机之间起匹配转速和传递转矩的作用, 在现代机械中应用极为广泛。