纸盒结构平面和立体图
- 格式:ppt
- 大小:17.07 MB
- 文档页数:137
1.纸盒尺寸标注的三种类型。
(1)制造尺寸。
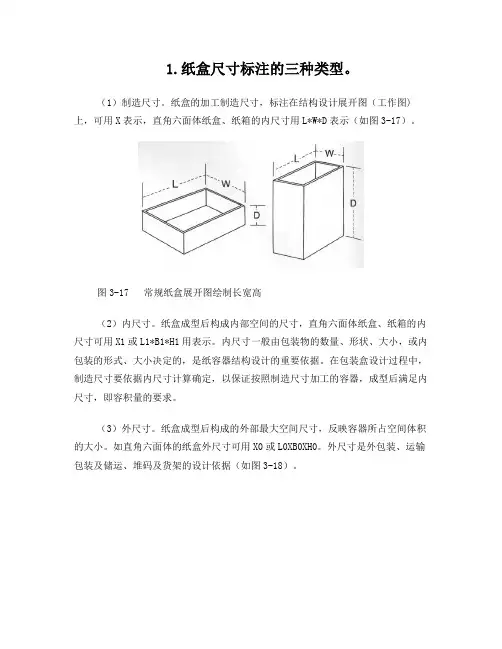
纸盒的加工制造尺寸,标注在结构设计展开图(工作图)上,可用X表示,直角六面体纸盒、纸箱的内尺寸用L*W*D表示(如图3-17)。
图3-17 常规纸盒展开图绘制长宽高(2)内尺寸。
纸盒成型后构成内部空间的尺寸,直角六面体纸盒、纸箱的内尺寸可用X1或L1*B1*H1用表示。
内尺寸一般由包装物的数量、形状、大小,或内包装的形式、大小决定的,是纸容器结构设计的重要依据。
在包装盒设计过程中,制造尺寸要依据内尺寸计算确定,以保证按照制造尺寸加工的容器,成型后满足内尺寸,即容积量的要求。
(3)外尺寸。
纸盒成型后构成的外部最大空间尺寸,反映容器所占空间体积的大小。
如直角六面体的纸盒外尺寸可用X0或L0XB0XH0。
外尺寸是外包装、运输包装及储运、堆码及货架的设计依据(如图3-18)。
图18图192.纸盒设计图标注方法。
(1)纸盒设计图的尺寸线、尺寸界线、尺寸数字的线型、画法、标注方法与国家机械制图标准一致,尺寸界线从裁切线或中心线(或槽中心线)引出,也可把裁切线、中心线当做尺寸界线标注。
(2)印刷文字、图案以稿样为准,在设计图上不必画出,只需按比例标出尺寸范围,、用点划线画出,并在技术要求中注明印刷涂油的要求即可。
(3)立体图样应标注内尺寸,如需标注外尺寸,应在尺寸前加注“外”字。
(4)纸板名称、规格、厚度可在技术要求中提出。
3.管型折叠纸盒的结构与尺寸规范。
(1)粘贴翼倒角角度:10*15。
(2)切缝锁合/封口主摇翼宽度缩减量:一般为0.80mm或纸板厚度。
(3)切缝锁合/插舌翼片缩进量:一般为0.8mm或纸板厚度。
(4)切缝锁合/防尘翼(封口副翼)肩:根据纸盒尺寸和I或纸板厚度而变化。
(5)切缝锁合/主防尘翼(封口副翼)角度:一般为45(6)切缝锁合/次防尘翼(封口副翼)角度:一般为15。
(7)防尘翼(封口副翼)缩进量:一般为…8111111或纸板厚度。
(8)摩檫锁合/插舌翼肩:根据纸盒尺寸和或纸板厚度而变化。
1.选题背景1.1产品的简介金丝猴奶糖,金丝猴集团龙头产品——“金丝猴”牌糖果、巧克力、饮品、小食品等四个系列,200多个品种,畅销全国二十多个省市自治区的150多个大中城市和广大农村,并出口到美国、澳大利亚、新西兰、俄罗斯、蒙古、哈萨克斯坦、东南亚及亚太地区,受到国内外广大消费者的欢迎。
目前在国内糖果行业企业生产规模已居前三强。
金丝猴奶糖是一种结构比较疏松的半软性糖果。
糖体剖面有微小的气孔,带有韧性和弹性,耐咀嚼,口感柔软细腻。
奶糖以含有大量奶品而得名,这类糖的主要特点是具有奶的独特芳香,又称为焦香糖果。
奶糖的外形多为圆柱形,也有长方形和方形。
色泽多为乳白或微黄色。
奶糖的平均含水量为5~8%,还原糖含量在14~25%之间。
1.2产品包装的要求此包装是盒式包装,结构简单大方,便于机械生产,降低生产成本。
精致图案更容易引起人们的购买欲望,促进销售。
而且奶糖包装设计应在造型上与众不同,只有优美的造型才能给消费者丰富的视觉享受。
另外,奶糖包装的装潢可从色彩中体现出来,色彩的运用只能从食品的特点出发,设计需要显示出奶糖的特色,同时兼顾消费者的欣赏习惯。
另外,合理的食品包装应做到对奶糖有恰倒好处的保护性,包括物理、化学、生物性能保护和并不浮夸的精美装饰,方便贮存、运输和消费者使用。
1.3设计思想在包装设计的过程中,要考虑到该产品的价位和上市时间与包装结构、包装装潢的一致性,要避免过度包装的情况出现。
而且产品的包装设计也应该符合大众的欣赏口味,尽量做到创意新颖独特,在不过多增加包装成本的前提下满足广大群众的使用需求和审美观念。
整体以红色、蓝色和粉色为主色调,色彩活泼生动,透出一种浓香、甜蜜、诱发食欲的感觉。
精致的图案更容易引起人们的购买欲望,促进销售。
2.纸盒结构设计2.1产品性能及特征分析金丝猴奶糖的形状为方体,加上外边小包装可近似看作直径10mm,高50mm的规则圆柱体进行计算。
该糖果大多以扭结式蜡纸做内包装,以长方体的塑料袋为中包装。