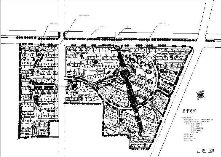
小区入口286.60284.20282.45271.17净菜市场266.87商店, 邮电,银行人行道人行道白 鹤 路建筑控制线道路红线282.45279.72小区主入口282.45白 鹤 路18F人行道287.65286.60268.00276.72289.69海 霞 路291.54293.45290.45285.50281.00282.00283.50人工湖喷泉雕塑-1F283.00阳光泳池水上步道戏水池珍珠玉帘水幕地下车库出入口人行道会所,商场287.6024F2F/-2F建筑控制线道路红线人行道020m10m5m284.20285.6050m底层商店284.50284.50279.21居住区用地:规划总用地:综合技术经济指标:286.60287.00流水小桥286.60雕塑286.60287.00下284.50287.00287.00286.60287.00288.00288.00曲水流觞286.60288.00喷水池288.006+1F287.60人行道287.00290.00291.45N公厕及垃圾收集站网球场287.60287.15288.60 其中:其他用地:290.00291.45291.45293.002m8017370845m293282m286.00286.60287.15285.00285.50285.60284.50消防水池286.80283.00门卫288.00288.00保安亭大门大门地下车库出入口地下车库出入口6+1F6+1F6+1F6+1F6+1F11+1F6+1F6+1F6+1F6+1F6+1F6+1F6+1F6+1F6+1F/-1F6+1F/-1F6+1F/-1F6+1F/-1F6+1F/-1F6+1F/-1F地下污水处理点围墙280.65/-1F9+1F278.85-1F24F人行道儿童乐园曲水流觞地下污水处理点地下污水处理点18F18F18F9+1F/-1F9+1F/-1F293.45290.459+1F/-1F/-1F282.459+1F/-1F282.459+1F/-1F9+1F/-1F9+1F/-1F283.459+1F9+1F/-1F9+1F/-1F/-1F9+1F底层商店12345678910111213141516181719202122287.37广场R12.00m285.50287.00288.28289.60290.00280.00280.54280.90281.44282.21282.61282.53281.74280.332312789101112结建给燃构筑气排水弱电暖电气通建筑设计研究院13141516图别设计初设审核17工程负责工种负责18制图1920图号时间审定校对设计号通泰花园住宅小区规划及单体设计工程名称PNMJLKHGFEDCBA268.00268.95273.04274.252001.1清池揽月289.20康体中心1F鹤雕标志塔9+1F/-1F289.50282.75地下车库出入口地下车库出入口R12.00mR12.00mR48.10mR114.23mR32.70mR42.65mR60.00mR33.78mR25.92mR38.37mR109.39mR60.00mR16.50mR22.50mR64.00m288.64282.35雕塑休闲花园282.15观景台292.30林间小憩地下污水处理点DnDn曲径通幽八音鸣涧289.85公厕及垃圾收集站高尔夫球练习场283.45羽毛球场地下污水处理点R31.90mR28.90m总平面图1:500278.51280.20282.00284.00286.70284.75284.75儿童乐园幼儿园草坡268.00282.301:500281.40280.20水面水底水面水底288.00283.45283.45290.15地下车库人行出口地下车库人行出口总平面图注册师总建筑面积:住宅建筑面积: 其中:127148.88m2156056.82m2建筑用地:219622m道路广场用地:141692m集中绿化用地:347142m商业建筑面积:11428.97m2会所建筑面积:2970.9m2幼儿园建筑面积:1218m2车库,设备用房建筑面积:12696.07m2住宅平均层数:建筑系数:容积率:绿地率:停车位:8.728%1.940%415287.60276.60车库283.153456287.41R12.00m286.99286.67286.29285.84285.29284.66287.41282.60287.20283.15283.1511+1FR70.30mR37.40m284.25285.00流水小桥海 霞 路小区入口286.60284.20建筑控制线道路红线282.45279.72小区主入口282.45白 鹤 路18F人行道海 霞 路283.控制线道路红线人行道020m10m5m284.20285.6050m底层商店284.50284.50279.21286.60287.00流水小桥286.60雕塑286.60287.00下284.50287.00287.00286.60287.00288.00288.00曲水流觞286.60288.00喷水池288.006+1F287.60人行道287.00290.00291.45公厕及垃圾收集站网球场287.60287.15288.60290.00291.45291.45293.00286.00286.60287.15285.00285.50285.60284.50消防水池286.80283.00门卫288.00288.00保安亭大门大门地下车库出入口地下车库出入口6+1F6+1F6+1F6+1F6+1F11+1F6+1F6+1F6+1F6+1F6+1F6+1F6+1F6+1F6+1F/-1F6+1F/-1F6+1F/-1F6+1F/-1F6+1F/-1F6+1F/-1F地下污水处理点围墙人行道儿童乐园曲水流觞地下污水处理点地下污水处理点18F18F18F底层商店3567891011121314151617287.37广场R12.00m285.50287.00288.28289.60290.00280.00280.54280.90281.44282.21282.61282.53281.74280.332312789101112结建给燃构筑气排水弱电暖电气通建筑设计研究院13141516图别设计初设审核17工程负责工种负责18制图1920图号时间审定校对设计号通泰花园住宅小区规划及单体设计工程名称PNMJLKHGFED2001.1清池揽月289.20康体中心1F鹤雕标志塔地下车库出入口地下车库出入口R12.00mR12.00mR114.23mR32.70mR42.65mR60.00mR33.78mR25.92mR38.37mR109.39mR60.00m总平面图1:500278.51282.00284.00286.70284.75284.751:500水面水底288.00290.15地下车库人行出口地下车库人行出口总平面图注册师总建筑面积:住宅建筑面积: 其中:127148.88m2156056.82m2建筑用地:219622m道路广场用地:141692m集中绿化用地:347142m商业建筑面积:11428.97m2会所建筑面积:2970.9m2幼儿园建筑面积:1218m2车库,设备用房建筑面积:12696.07m2住宅平均层数:建筑系数:容积率:绿地率:停车位:8.728%1.940%415287.60276.60车库283.153456287.41R12.00m286.99286.67286.29285.84285.29284.66287.41282.60287.20283.1511+1FR70.30mR37.40m284.25285.00流水小桥海 霞 路1341011201174.00m26.30m13.0m47.02m8.00m4.00m4.00m4.00m4.00m4.00m6.00m10.00m33.10m33.90m22.40m20.10m6.20m11.40m13.00m8.2m15.7m8.0m8.0m17.6m15.1m8.0m8.0m40.50m20.50m4.00m15.35m15.50m15.50m15.00m26.30m13.0m47.02m4.00m4.00m4.00m4.00m4.00m4.00m6.00m6.00m6.00m8.00m4.00m4.00m4.00m4.00m4.00m6.00m6.00m6.00m6.00m10.00m6.0m33.10m33.90m22.40m20.10m6.20m11.40m13.00m26.90m9.60m6.00m6.00m8.2m15.7m8.0m8.0m17.6m15.1m8.0m8.0m40.50m土木铺土木铺