包装彩盒质量检验规范
- 格式:doc
- 大小:255.00 KB
- 文档页数:5
彩盒检验标准彩盒是产品包装中的重要一环,它不仅能够保护产品,还能够吸引消费者的眼球,提升产品的附加值。
然而,一些不合格的彩盒不仅会影响产品形象,还可能对消费者造成误导,因此制定一套科学的彩盒检验标准显得尤为重要。
首先,彩盒的外观质量是检验的重点之一。
外观应该整洁、平整,没有明显的破损、折痕或污渍。
颜色要鲜艳,图案要清晰,文字要清晰可辨,没有脱落、模糊或印刷偏差。
此外,彩盒的折叠线应该整齐,无明显的错位或断裂。
这些都是外观质量的重要指标,也是消费者对产品第一印象的来源。
其次,彩盒的材质和结构也是需要检验的重点。
彩盒的材质应该符合产品的特性和要求,比如一些食品包装需要符合食品卫生安全的要求,一些化妆品包装需要具备防水防潮的性能。
结构方面,彩盒应该能够牢固地包裹产品,不易变形或破损,能够有效地保护产品。
此外,彩盒的印刷质量也是需要检验的重点之一。
印刷要清晰、色彩准确,没有偏色、虚化或脱落现象。
对于一些特殊工艺的彩盒,比如烫金、凹凸印等,还需要检验其工艺效果是否符合要求,是否能够提升产品的档次和吸引力。
最后,彩盒的环保性也是需要重点检验的内容。
随着人们环保意识的提升,越来越多的消费者对产品包装的环保性提出了更高的要求。
因此,彩盒的材料应该符合环保要求,不含有有害物质,能够被有效地回收利用或者进行可持续利用。
综上所述,彩盒检验标准涉及到外观质量、材质和结构、印刷质量以及环保性等多个方面,这些都是影响产品形象和消费者购买意愿的重要因素。
因此,制定一套科学的、符合产品特性和市场需求的彩盒检验标准显得尤为重要。
只有这样,才能够保障产品的质量和安全,提升产品的市场竞争力,满足消费者对产品的需求和期待。
彩盒检验规范篇一:彩盒检验标准彩盒验收标准1、目的为规范公司产品用彩盒验收标准,确保所购此类包材符合公司需求,且有效避免不合格品流入本公司或下一道工序,特制定本标准。
2、适用范围本标准适用于公司产品用所有彩盒的进货、库存及在线检验。
3、检验质量标准3、1 外观要求(原则上在自然光或40W日光灯下,距离约30cm目测,无明显缺陷者视为合格)3、1、1 彩盒主体颜色及其印刷图文色差均不得超过标准样板的色差范围,印刷图文内容清晰完整与样板一致,应包括产品商标、品名、成份、功效、净含量、厂名、厂址、保质期、生产日期(生产批号或使用期限)、卫生许可证号、生产许可证号、产品执行标准号,浴液类产品另须注明生产厂之邮政编码等内容。
字体大小粗细近似标样,印刷文字无明显毛边、墨边。
3、1、2 图文套印准确,套印误差≤0.1㎜.3、1、3 彩盒净含量≥100ml者,印刷版位上下偏移不得超过±1.5mm,左右偏移不得超过±1.0mm;彩盒净含量<100ml者,印刷版位上下偏移不得超过±1mm,左右偏移不得超过±0.5mm。
3、1、4 印刷图文与标准样板比较:内容正确,无错字、缺字、缺标点符号、缺文字笔划、模糊不清,无明显异色斑及杂点。
3、1、5 无混其它品种、彩盒内外表面洁净,厚薄均匀,光泽与标样一致或近似,边线切割平整、端正、无明显脏污、划痕、毛边及开边、卷边现象,无破损、无溢胶、沾胶、脱胶异常。
3、2印刷油墨附着性:按规定方法测试,无明显文字笔划、图文油墨剥落。
3、3材质:与标样一致,摇盖强度好。
3、4 粘合强度:彩盒接边封胶牢固。
3、5 规格尺寸:厚薄与标样相当,厚薄允许偏差为0.04mm。
长、宽、高尺寸与标样比较在不影响正常使用的基础上,各允许正负偏差0.5mm。
4、检验方法4、1 外观:在自然光或40W日光灯下,距离约30cm目测,结合手感,必要时辅以直尺或游标卡尺。
包装彩盒类产品检验标准1 总述本标准对彩盒类包装材料标准进行了统一规范。
当单个产品标准和本标准对同一项目均有规定时,应按单个产品标准执行。
本标准引用的标准修订时,本标准仍然适用,使用本标准的各方应积极探讨使用下列引用标准最新版本的可行性。
2 引用标准2.1 GB/T 2828.1-2003 《计数抽样检验程序》第一部分:按接收质量限(AQL)检索的逐批检验抽样计划2.2 QB/T 1685-2006 化妆品产品包装外观要求2.3 GB/T 15172-1994 运输包装件抽样检验标准3 适用范围本标准适用于丰彩印刷包装集团所有生产彩盒、彩箱、礼品盒的检验。
4 术语和定义4.1 术语及定义4.1.1 缺陷:不满足预期的使用要求。
4.1.2 异色点:与产品总体颜色不一致且是非设计的点。
4.1.3 主视面:将产品图文正面置于目光正前方或正下方,可以观察到的外表面。
4.1.4 非主视面:除主视面以外的表面。
如背面、侧面、底面、内表面等。
4.1.5 混装:标签与内装物不相符;或在一个单独包装内,一种产品中混有其他产品或同一种产品中混有成品和半成品;或在未有特别指明的情况下,同一批产品中,混有单独包装的非同一种产品。
4.1.6 可擦除:用蘸有75%酒精的净洁布在不伤害产品表面外观时一次可以擦干净。
4.2 检测方法4.2.1 目测:在自然光线下或在D65印刷标准光源下,无色盲且裸视视力1.2以上,在距观察物30cm处进行观察的方法。
4.2.2 耐折度测试:沿纸盒的折线痕,180°方向反复折叠5次。
4.2.3 附着力测试:对于丝印用用3M-600胶纸1.5英寸长粘UV油面45度向上拉,烫印用用3M-811胶纸1.5英寸长粘电化铝45度向上拉,视粘不掉电化铝和UV为合格。
4.2.4 粘贴稳定性测试:将试样半数置于40±5℃条件下,另一半置于-10±5℃条件下,恒温30分钟,记录开裂的数量,并将未开裂的待恢复至室温后互换作测试。
彩盒检验标准彩盒作为商品包装的一种重要形式,在现代社会中扮演着不可或缺的角色。
它不仅是产品的保护层,更是产品的形象代表,承载着企业的品牌形象和产品信息。
因此,彩盒的质量和外观设计对产品的销售起着至关重要的作用。
为了确保彩盒的质量符合标准,需要进行严格的检验。
本文将围绕彩盒的检验标准展开讨论,以期为相关从业人员提供参考和指导。
首先,彩盒的材质是检验的重点之一。
在材质方面,彩盒通常采用纸板、塑料、金属等材料制作,其质量直接关系到彩盒的耐久性和外观效果。
因此,在检验时需要对彩盒的材料进行严格的把关,确保其符合相关的标准要求。
例如,纸板彩盒应具有一定的厚度和硬度,能够承受一定的压力和撕裂力,而塑料彩盒则需要具备良好的韧性和透明度。
只有材质符合标准,才能保证彩盒在使用过程中不易变形、损坏,同时也能够展现出良好的外观效果。
其次,彩盒的印刷质量也是检验的重点之一。
彩盒通常需要印刷各种图案、文字和标识,因此其印刷质量直接关系到产品的美观度和信息传达效果。
在检验时,需要对彩盒的印刷质量进行全面的检查,包括图案的清晰度、色彩的准确度、文字的完整性等方面。
只有确保印刷质量符合标准,才能够保证彩盒在市场上能够吸引消费者的眼球,同时也能够准确传达产品的信息和品牌形象。
此外,彩盒的制作工艺也是检验的重点之一。
彩盒的制作工艺直接关系到其外观效果和使用寿命,因此在检验时需要对彩盒的制作工艺进行细致的观察和检查。
例如,需要检查彩盒的折叠线是否整齐、胶水是否牢固、切割是否准确等方面。
只有确保制作工艺符合标准,才能够保证彩盒在使用过程中不易开裂、脱胶,同时也能够展现出良好的外观效果。
综上所述,彩盒的检验标准涉及材质、印刷质量、制作工艺等多个方面,只有在这些方面都符合标准要求,才能够保证彩盒的质量达到预期的效果。
因此,在日常工作中,相关从业人员需要严格按照相关的标准要求进行检验,确保产品质量符合市场需求,为企业的发展提供有力支持。
希望本文所述内容能够对相关从业人员有所帮助,也希望彩盒的质量能够得到进一步提升,为消费者提供更加优质的产品和服务。
彩盒外观检验标准
外观要求
彩盒表面洁净平整,无褶皱破损、无污渍杂质。
字体、图案应清晰、正确,无错印、漏印,无油墨污染。
工艺要求
a尺寸符合规格,偏差在允许范围内,需要装坑纸的彩盒应试装合格。
b彩盒粘合处应紧密牢固,无松脱裂开。
c彩盒材质、结构与样板或图纸一致。
检测
对照工艺文件和资料,在明亮的室内目测或使用测量工具检测。
依据MIL-STD-105E按LevelⅡ级水准进行抽样,抽样时应随机从批量不同的包装单元中抽取,切忌单一从最小单元中抽取样品数;
判定标准
根据AQL抽样标准, AQL:CR=0 MAJ=1.0 MIN=2.5参照产品缺陷分类和产品所处位置,参照不同物质的外观要求进行判定
如果检验不合格,则加倍抽样复检。
复检不合格,该批拒收。
跌落测试(带彩盒/内盒)
测试条件:
1、高度:重量为5公斤或以下—1.2米
2、循环:六面、三边、一角
3、本测试需在包装完好,各附料齐全的状态下,在跌落平面上进行
测试程序和步骤:
1、按照先6面,再1角,然后3边的顺序,共10次跌落
2、面跌落:需使彩盒跌落后其平面直接撞击接触平面
3、边跌落:将彩盒底面倾斜致水平20º角,然后将其抬高至测试高度再跌落,其边撞击接触平面
4、角跌落:跌落后,测试角撞击接触平面
在一个完整跌落测试完成后,需检查彩盒是否有物理破损,若测试进行中彩盒破损,将视为缺陷;测试后发现任何不合规格或指标处,需发出改善及预防行动要求,并跟踪进行再次评估
外观检验规范。
文件编号页码第 6 页,共 9 页版本:A0 毛丝长度应小于 30mm,视为一个外观不良,并最多只目测毛边能接受 3 个此类不良,颜色磨掉的毛丝不可接受。
爆色距离被测物 30cm 目视不明显卷尺直尺目测卷尺或啤走位走位距离不大于1MM 目视不明显直尺压线成型刀要啤穿,线要啤实,折线后要成直线彩盒成型后,插入盒舌 5 次,破损S≤2mm2 目测菲林尺目测目测L≤2mm,并不能影响起盒的效果线不允许不允许卷尺直尺目测目测目测扣底扣底露空位S≤4mm2 或扣压致使破损L≤1mm 可接受,菲林尺扣底后自动弹开则判拒收卷尺直尺 A 级面:不可有。
胶水痕 B 级面:S≤0.5mm2 D≥100mm N≤2 可接受。
C 级面:S≤0.7mm2 皱角爆角破损 A 级面:L≤2mm N≤1 可接受。
目测菲林尺卷尺直尺● 彩盒成型后可视角不可有,其他角L≤10mm。
目测● D≥100mm N≤3 可接受。
目测菲林尺卷尺直尺● ● ● ● ● ● ● ● ● ● ● 粘合强将埋口位撕开,纸纤维撕裂面积占总粘盒面积 70% 度以上可接受超线离粘盒甩胶溢胶其它折痕折皱 B 级面:L≤5mm D≥100mm N≤2 可接受。
C 级面:L≤10mm D≥100mm N≤2 可接受。
文件编号页码第 7 页,共 9 页版本:A0 以受控的图纸尺寸(压线尺寸为准。
压线尺寸压线尺寸 0 ~ 100 mm 101 ~ 300 mm 301mm 以上结构检验切口尺寸窗口尺寸飞机孔尺寸粘合搭接舌宽尺寸材质为 15-30mm,偏斜不超过 5mm。
与客户要求及承认样办一致。
目测测厚规用 500g 砝码外包 2-4 层白布,将白棉布沾湿浓度为性能检验条码扫描抗折度酒精测试 95%的乙醇,以不下滴为宜,将砝码与印刷面垂直,在同一位置往返移动为一次,移动距离 30MM 左右,来回擦拭 50 次,不得露底材/变色。
用条码扫描仪进行检测,其电脑读数与条码数相符。
彩盒检验标准
彩盒是商品的外包装,是商品宣传的一种重要手段。
彩盒的质
量直接关系到商品的形象和销售,因此对彩盒的检验标准非常重要。
下面将从材料、印刷、制作工艺等方面对彩盒的检验标准进行介绍。
首先,对于彩盒的材料,需要检查是否符合相关的国家标准。
彩盒的材料应该符合食品包装材料的卫生标准,不能有异味、霉变、霉斑等现象。
同时,材料的厚度、硬度也需要符合要求,以保证彩
盒的稳固性和保护性。
其次,对于彩盒的印刷质量,需要检查印刷是否清晰、色彩是
否准确、是否有漏印、错位等现象。
印刷质量的好坏直接关系到彩
盒的外观效果,影响消费者的购买欲望。
再次,制作工艺是彩盒质量的关键。
需要检查彩盒的裁切是否
整齐、折叠是否准确、胶水是否牢固等。
制作工艺的精湛与否直接
关系到彩盒的整体质感和使用寿命。
此外,还需要检查彩盒的尺寸规格是否符合要求,是否与商品
相匹配。
同时,彩盒的结构设计是否合理、开合是否灵活、装载是
否方便也需要进行检验。
最后,对于彩盒的包装和运输也需要进行检验。
包装是否完整、干净、无污染,运输途中是否易碎、易变形等情况也需要重点关注。
综上所述,彩盒的检验标准涉及材料、印刷、制作工艺、尺寸
规格、结构设计、包装运输等多个方面。
只有严格按照相关标准进
行检验,才能保证彩盒的质量符合要求,从而提升商品形象,促进
销售。
希望生产厂家和质检部门能够重视彩盒的质量检验工作,共
同为消费者提供优质的产品和服务。
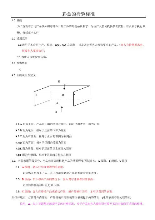
1.0 目的为了规范本公司产品及外购零部件,加工件的外观品质要求,为生产及检验提供参考依据。
以及利于执行顺畅,特制定本文件2.0 适用范围2.1:适用于本公司生产、检验、IQC、QA之运作,以及其它无客人特殊要求的产品。
(客人有特殊要求时,则按客人要求执行)2.2:为供方提供检测依据。
3.0 参考依据无4.0 面的说明及定义4.1:A面为正面,产品在正确的使用过程中,面对使用者的一面为正面4.2:B面为底面,相对于正面的下部为底面4.3:C面为右侧面,相对于正面的右侧为右侧面4.4:D面为背面,相对于正面的反面为背面4.5:E面为顶部,相对于正面的正上部分为顶部4.6:F面为左侧面,相对于正面的右侧为左侧面5.0:产品表面等级划分:产品表面等级根据产品的重要程度,可划分为:A级面,B级面,C级面5.1:A级面:客人经常能够看到的表面。
如灯体正面和正上方,在不移动或转动产品时都能看到的表面。
5.2:B级面:在不移动产品的情况下,客人偶尔能够看到的表面。
如灯体的侧面和后面,灯罩下部。
5.3:C级面:客人在移动产品或转动产品,或产品被打开后,才可以看到的表面。
如灯体底面,灯体部件内部面,产品组装后需贴装饰面板或标识掩饰的面。
(通常表面不作处理的面) 说明:A:以上等级规定的是产品的外观标准,对于产品在客人处使用时看不见的内表面不适用此标准。
B:以上A、B、C表面等级的定义,是以最终客人处使用为条件而界定的。
如果产品的零部件或产品在后续装配、安装过程中被掩盖,则按照被掩盖后的表面来定义。
如果产品的零部件在后续装配、安装过程中有可能被掩盖也有可能不被掩盖,则按照不被掩盖的表面来定义。
7.0: 观测的条件7.1:物件放置于距人体50CM距离,在自然光或40W的日光灯下,光线从人体的后上方45度角或与人眼视线呈90度角照射(正前方以45度照射),被检测物体表面与人眼视线呈45度角。
7.2:检验者眼睛视力良好(≥1.0以上),不能有近视或色盲或弱视等不良现象7.3:观察时间为5秒7.4:观察物件不在反光的条件进行观察8.0 :缺陷等级及判定标准8.1: 缺陷等级定义:8.1.1:致命缺陷:产品缺陷可能会导致对人体生命造成伤害或危及生命.如:产品漏电,血液或不明污染物,放射性物质,有毒物质或液体,腐蚀性物质等.8.1.2:严重缺陷:产品缺陷可能会影响产品的使用性或功能缺失,或者严重影响产品的观赏性,对人体可能造成伤害,或不可擦拭的污物,或缺失重要标识.如产品无法使用,不定位,或严重损伤,破裂,锋利尖角,功能或警告标识等.8.1.3:轻微缺陷:产品缺陷可能会影响产品的观赏性,但不影响产品的结构\功能和使用性.如可擦拭污物,标识模糊,产品表面轻微划伤等.8.2: 判定标准:根据AQL抽样标准,参照产品缺陷分类和产品所处位置,参照不同物质的外观要求进行判定8.3:判定总则8.3.1:可接收的A级面、B级面、C级面的缺陷不能影响装配和功能,否则仍判不合格。
彩盒检验标准彩盒是指用于装载商品的外包装盒,其设计和质量直接关系到商品的包装和销售。
为了保证彩盒的质量,需要进行严格的检验。
彩盒检验标准是指对彩盒进行检验时所遵循的一系列标准和规定,旨在确保彩盒的质量符合要求,达到良好的包装效果和保护商品的功能。
本文将就彩盒检验标准进行详细介绍,以便相关人员能够更好地了解和掌握彩盒检验的要点和方法。
首先,彩盒检验标准应包括以下几个方面,外观质量、尺寸精度、印刷质量、材料质量和结构强度。
外观质量包括彩盒的整体外观、平整度、无污渍、无破损等;尺寸精度主要是指彩盒的长宽高尺寸是否符合要求;印刷质量包括图案、文字的清晰度、色彩的准确度等;材料质量主要是指所使用的纸张、油墨、胶水等原材料的质量;结构强度主要是指彩盒的承重能力和抗压能力等。
其次,彩盒检验标准的具体操作方法包括目测检查、尺寸测量、印刷质量检查、材料质量检验和结构强度测试。
目测检查是指通过肉眼观察彩盒的外观质量,包括平整度、无污渍、无破损等;尺寸测量是通过工具对彩盒的长宽高尺寸进行精确测量;印刷质量检查是通过放大镜等工具对彩盒的印刷质量进行细致检查;材料质量检验是通过取样对彩盒所使用的原材料进行化验和检测;结构强度测试是通过专用设备对彩盒的承重能力和抗压能力进行测试。
最后,彩盒检验标准的意义在于保证彩盒的质量,提高商品的包装和销售效果,保护商品的完好性,提升企业形象和品牌价值。
只有严格执行彩盒检验标准,才能确保彩盒的质量达到要求,提高商品的市场竞争力,满足消费者的需求,实现企业的可持续发展。
综上所述,彩盒检验标准是确保彩盒质量的重要手段,对于生产企业和消费者都具有重要意义。
只有严格执行彩盒检验标准,才能保证彩盒的质量,提高商品的包装和销售效果,实现企业的可持续发展。
希望本文对相关人员能够有所帮助,更好地了解和掌握彩盒检验标准的要点和方法。
目旳: 掌握彩盒旳检查原则, 使来料质量更好地符合我公司旳品质规定。
2. 合用范畴:合用于我司所有彩盒、贴纸、彩卡等产品旳检查。
3. 参照根据:3.1:A面为正面, 产品在对旳旳使用过程中, 面对使用者旳一面为正面。
3.2:B面为底面, 相对于正面旳下部为底面。
3.3:C面为右侧面, 相对于正面旳右侧为右侧面。
3.4:D面为背面, 相对于正面旳背面为背面。
3.5:E面为顶部, 相对于正面旳正上部分为顶部。
3.6:F面为左侧面, 相对于正面旳右侧为左侧面。
4. 产品表面等级划分: 产品表面等级根据产品旳重要限度,可划分为: A级面,B级面,C级面。
4.1: A级面: 客人常常可以看到旳表面。
如彩盒正面和正上方, 在不移动或转动产品时都能看到旳表面。
4.2:B级面:在不移动产品旳状况下, 客人偶尔可以看到旳表面。
如彩盒旳侧面和背面,彩盒下部。
4.3: C级面: 客人在移动产品或转动产品, 或产品被打开后, 才可以看到旳表面。
如彩盒底面, 彩盒内部面, (一般表面不作解决旳面)。
5. 检查旳条件:5 .1:物件放置于距人体50CM距离, 在自然光或40W旳日光灯下, 光线从人体旳后上方45度角或与人眼视线呈90度角照射(正前方以45度照射), 被检测物体表面与人眼视线呈45度角。
5.2:检查者眼睛视力良好(≥1.0以上), 不能有近视或色盲或弱视等不良现象。
5.3:观测时间为5秒。
5.4:观测物件不在反光旳条件进行观测。
6 .缺陷等级及鉴定原则:6.1: 缺陷等级定义:6.1.1:致命缺陷: 产品缺陷也许会导致对人体生命导致伤害或危及生命.如:血液或不明污染物,放射性物质,有毒物质或液体,腐蚀性物质、logo错误等。
6.1.2:严重缺陷: 产品缺陷也许会影响产品旳使用性或功能缺失,或者严重影响产品旳欣赏性,对人体也许导致伤害,或不可擦拭旳污物,或缺失重要标记.如产品无法使用,不定位,或严重损伤,破裂,锋利尖角,功能或警告标记等。
1.目的明确本公司彩盒类产品参照的技术标准以及应达到的质量水平和检验标准。
2.适用范围本标准适用于本公司彩盒类产品。
3.责任部门技术部负责制定此文件,技术部经理审核,报公司审批。
4.参考文件GB7705-87 《平版装潢印刷品》GB7706-87 《凸版装潢印刷品》GB/T2828-2003 《逐批检查计数抽样程序及抽样表》5.相关记录《产品质量工艺流程控制卡》《成品质量检验记录单》6. 技术标准及检验方法6.1 承印材料必须使用经客户确认的品牌及定量的产品。
6.2 印刷6.3 印后加工质量要求表1、脏点控制范围表2、光泽度控制范围6.4 检验方法及验收标准6.4.1 抽检比例按下表6.4.2 检验规则6.4.2.1以同一订单号一次进货量为一批进行抽查。
6.4.2.2 抽样方法:按照上表进行抽样。
6.4.3 验收标准6.4.3.1采购方按签字确认的样稿并依本质量标准对印刷成品进行验收,交货数量的差额幅度以双方合同上约定为准。
6.5 包装要求6.5.1须按产品质量要求妥善包装。
客户有其他要求的,以双方约定为准。
6.5.2 每批货物的标签要求:客户名称、产品名称、产品编号、生产日期、订单号、数量等。
6.6 运输和贮存6.6.1 供应商必须确保运输工具应无油污、脏污、虫害或其它污染物,应能保护货物不受天气影响。
6.6.2 产品应贮存在干净、干燥和通风的仓库内,应避免热源和直接阳光照射,应至少离地10cm、离墙46cm 存放。
6.6.3 产品保质期为3个月。
7 约定7.1 客户在接收到产品后,请在五天之内填写好验收回执并回传,以便于圣为公司管理。
如五天内,客户无书面验收回执到圣为公司,则认为该批产品合格。
7.2 客户有其他要求的,以双方协商为准。
7.3 本标准中未涵盖的工艺,其质量要求参照相关国家标准。
7.4 本标准将随引用的相关国家标准的更新而自动更新。
彩盒检验标准彩盒是商品包装的一种重要形式,它不仅可以保护商品,还可以提升商品的附加值和美观性。
因此,彩盒的质量检验显得尤为重要。
本文将介绍彩盒的检验标准,帮助相关人员更好地进行质量检验工作。
首先,彩盒的材质是检验的重点之一。
在检验彩盒材质时,需要检查其厚度、硬度、韧性等指标是否符合要求。
同时,还需要检查材质是否具有防水、防潮、防震的性能,以确保商品在运输和储存过程中不受损坏。
其次,彩盒的印刷质量也是需要重点检验的内容。
印刷质量直接影响到彩盒的外观效果,因此需要检查印刷是否清晰、色彩是否鲜艳、图案是否完整等方面。
此外,还需要检查印刷是否存在漏印、重印、偏印等质量问题,以确保彩盒外观的完美呈现。
除此之外,彩盒的制作工艺也是需要进行检验的重要内容。
制作工艺包括开料、贴合、折边、烫金、压纹等环节,需要检查这些环节是否符合要求,是否存在瑕疵和缺陷。
只有确保制作工艺完美无缺,才能保证彩盒的质量达到标准。
另外,彩盒的结构稳定性也是需要进行检验的重点之一。
结构稳定性直接关系到彩盒的使用寿命和保护效果,因此需要检查彩盒的抗压性、抗拉性、抗震性等指标是否符合要求,以确保彩盒在使用过程中不会出现变形、破损等问题。
最后,彩盒的环保性能也是需要重点检验的内容。
随着人们环保意识的提高,彩盒的环保性能越来越受到重视。
因此,在检验彩盒时,需要检查其材料是否符合环保要求,是否存在有害物质,以确保彩盒符合环保标准。
总的来说,彩盒的质量检验是一个综合性的工作,需要从材质、印刷、制作工艺、结构稳定性、环保性能等多个方面进行全面检查。
只有确保彩盒的各项指标都符合要求,才能保证商品包装的质量和形象,提升商品的附加值和竞争力。
希望本文介绍的彩盒检验标准能够对相关人员在工作中有所帮助。
包装彩盒质量检验规范
(ISO9001-2015)
1.0目的:
制定包装彩盒来料检验规范,指导IQC检验员检查作业,确保符合技术和品质要求。
2.0范围:
适应于包装彩盒物料的来料检验。
3.0定义:
CR:为一个缺陷,将导致在消费使用中将危及到人身安全,或无法使用。
MA:为一个或多个缺陷,它将在运输或使用过程中易损坏,或使用寿命短;性能差等。
以及直接影响顾客使用;
MI:为一个或多个缺陷,不影响产品的装配和使用性能。
A级面: 在正常使用过程中能直接看到的表面;如前面/顶面;
B级面: 在正常使用过程中不经常观察到的表面,如:侧面/背面;
C级面: 在正常使用时不易观察到的部分,如:底面。
4.0参考文件:
4.1 抽样标准:MIL-STD-105E
4.2 创明抽样检验规范
5.0职责:
5.1 IQC检验员:负责物料检验,记录和异常反馈;
5.2 品质主管/工程师:负责不良确认和异常处理。
6.0程序:
6.1抽样方案
6.2检验条件
6.2.1光源:在30-40W的萤光灯下,物件距光源50~65cm;
6.2.2 检视距离: 将物件放在检验人员正前方35~45cm处;
6.2.3 检视角度: 将物件的检验面与检验人员的眼睛成30~60°;
6.2.4 检视时间: 3~5S;
6.2.5 环境: 溫度:25±5℃湿度:60±20%。
6.3 代码对照表
6.4 作业程序
检验
项目
检验内容检验方法
判定
CR MA MI 外观
材质符合采购单/BOM规格要求
目视
* 对比样品颜色错误*
项目检验水平
允收水准
CR MA MI 外观II类
0 0.65 1.5
尺寸/性能/其它S-2
数目直径长度高/深度宽度面积距离
N D L H W S DS
对比样品颜色有明显色差*
对比样品颜色有轻微色差,在接受范围*对比样品光泽度有明显色差*
对比样品光泽度有轻微差异,在接受范围*图文内容错误或漏印,多印,缺印(参照样板) *
图文效果图文模糊、重影、套印不准、残缺不全、无法辩认*
图文毛边.断线,变形,字形不完整可辩认*
图文位置平整居中不得有明显/偏位/歪斜,偏位:DS≥5mm
* 歪斜角度:≥5º。
不可接受
表面不得有明显潮湿*
表面不得有折皱现象*
不得有破裂/缺损,纸层分离*
表面不得有明显的刮花/粘花*
面纸与瓦楞粘接牢固,不得有脱落分离现象*
表面上油后平整光洁,不得有起皱/漏油/流油/起泡/
* 流痕等
钉合接缝处应钉牢、钉透,不得有叠钉/翘钉/钉不透/钉生锈
* 现
边缘粘胶处不得有漏胶/溢胶/脱胶现象*
瓦楞纹理方向不得错误(参照样板), *
压线/啤线方向与坑纹平行或垂直,大箱楞斜小于3个,小箱楞
* 斜小于2个
压痕线平整清楚,不得有破裂/断线/重线现象*压线/切割不良、粘贴不良,无法组装*
切割毛边,粘贴超过或少于棱边15mm *
切割毛边,粘贴超过或少于棱边5m *
粘贴时上、下、左、右错位:大型箱W≤7mm;中型箱W≤6mm;
* 小型箱W≤4mm
外观成形后叠角漏洞直径不超过2mm 目视*
表层脏污可擦拭:
a. S≥30mm2 N≥3 DS≤100mm
b. S≤20mm2 N≤5 DS≥100mm *
*
表层脏污不可擦拭:*
内层脏污可擦拭:
a. S≥30mm2 N≥3 DS≤100mm
b. S≤15mm2 N≤5 DS≥100mm *
*
产品图案上杂点:
a. S≥1mm2 N≥2 DS≤50mm
b. S≤0.5mm2 *
*
同一平面杂点:
a. S≥1mm2 N≥5 DS≤50mm
b. S<mm2 N<10 DS≥50mm *
*
杂点颜色与底色相近(同色点):
S<1.5mm2 N≤5 DS≥50mm
*
颜色与底色色差明显(异色点):
S≥2mm2 N≥5 DS≤50mm
*
尺寸彩盒尺寸测量结果须符合技术图纸要求。
卡尺*
性能测试用白布,将白棉布沾湿浓度为95%的乙醇,以不下滴为宜,在
同一位置往返移动为一次,移动距离30MM左右,来回擦拭50
次,不得露底材/变色
酒精测试* 用条码扫描仪进行检测,其电脑读数与条码数相符条码扫描*
表面须涂防潮油的必须均匀,洒水后不得出现潮湿点防潮性*
对于开口有贴PET透明胶片的彩盒:供应商须使用创明认可
的胶水,须均匀涂覆胶水,胶水最小宽度:0.5cm, 高低温试
验(-20(0.5H)~+60(0.5H)度, 10 Cycle)后,PET不脱
落。
*
包装检查将产品用彩盒试装,不能有太紧或无法放入产品,或者产品
装入后明显松动的现象
目视
*
包装方式符合规格要求* 物料标识卡填写完整、清楚*
不得有混装、少装* 其它环保符合规格要求(提供相关检测证书)*。