钢轨安装施工与方案.docx
- 格式:docx
- 大小:48.71 KB
- 文档页数:8
轨道施工方法、工艺及措施一、轨排组装⑴工艺流程图轨排组装施工工艺流程图见下图:⑵工艺流程说明施工准备:按施工设计资料计算轨节表,备齐轨料并堆码于生产线两侧。
摆放轨枕:用10吨龙门吊将轨枕吊到组装台上。
上钢轨:利用两台10吨龙门吊吊轨。
按轨排表计算值用方尺控制钢轨相错量,将钢轨吊到轨枕承轨槽内。
画线方枕:在钢轨内侧用白油漆画线,对线方正轨枕。
散配件、组装:将配件散放在轨枕头上,用专用工具使扣件将钢轨和轨枕组装成轨排。
成品轨排检查:由质检员详细检查轨排质量是否符合标准,不合格的重新处理,并作好原始记录,在每个轨排上配齐鱼尾板及螺栓带帽,并涂油放在轨排接头上,用油漆在轨排铺设终端标注轨枕分中线,轨排号及生产班组。
吊装轨排:用两台10吨龙门吊将成品轨排按铺设顺序吊运装车或存放于轨排场。
⑶质量控制及检测轨枕检查:检查轨枕,如有不合格一律不用,对个别有缺陷的轨枕进行处理。
吊枕时轨枕生产厂标在单侧一致,如有不对的必须逐根掉头,每次自轨枕堆码场起吊不超过10根轨枕。
钢轨检查:吊轨前检查钢轨型号、长度是否与设计一致,直线段钢轨配对时两钢轨偏差在3mm以内,曲线地段按轨排表计划选配缩短轨。
并将钢轨长度正负误差值写在轨头上。
配件检查:各种零件安装齐全,位置正确。
二、铺轨机铺轨⑴艺流程图铺轨机铺轨施工工艺流程图见下图。
⑵工艺流程说明①施工准备复核铺轨面标高和线路中心线,加密线路中心桩;将中心桩引入路肩上并作明显标记;施工设备就位;在铺架基地按轨节表拼装轨节并装车。
②运输轨节到施工地点,立换装龙门架机车推送铺轨机龙门吊及轨节到施工地点。
列车编组如下:机车→龙门架→轨节→轨节→轨节→轨节。
机车推送轨节在距轨道作业1~2km处适当地点,立换装龙门架。
换装龙门架地点选在直线地段或R>1000m以上缓和曲线上,如果条件困难,可将已铺曲线轨道在立换装龙门架位置上拨直,两端拨圆顺,两换装龙门架中心距用粉笔标出位置后,搭设龙门架基础的木垛。
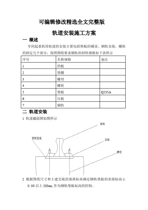
可编辑修改精选全文完整版轨道安装施工方案一概述车间起重机用轨道的安装主要包括垫板的铺设、钢轨安装、螺栓的固定几个部分,按照图纸要求钢轨的材料规格如下表所示序号名称规格备注1 挡板2 垫圈3 螺母4 螺栓5 垫板Q235A6 压板7 钢轨二轨道安装1 轨道截面图如图所示2 根据图纸尺寸和土建交底的基准标高确定钢轨垫板的表面标高±0.00以上200mm,作为钢轨垫板标高的控制。
3钢轨垫板底应于底部垫平,找好标高后焊接固定。
4 钢轨垫板每块长度不大于10m,两垫板间隙为4 mm,垫板总宽度大于轨道宽度,垫板螺栓孔直径相当,垫板间隙与轨道接头需叉开500 mm以上。
5 垫板安装安装应采用二次浇注找正,二次浇注材料为无收缩混凝土。
(甲方施工)6 根据土建提供的基准线用经纬仪和钢尺进行轨道中心的定位,轨道实际中心线与安装基准线±3mm。
7 两条轨道的轨距偏差不大于±3mm8 轨道纵向倾斜度不大于1mm∕1500mm,全长不大于10mm。
9 两平行轨道上任意同一横向截面上的轨道面高低差不大于±3mm10 轨道接头表面高差不大于1mm11 轨道接头处,上、左、右三面的偏移0.5mm12两平行轨道的接头位置应错开,其错开距离不应等于同侧前后车轮的轮距。
13轨道接头通常用鱼尾板连接时;如要求焊接时焊条和焊缝应符合钢轨的材质和焊接质量要求,焊接时使用牌号J426或J427碳钢焊条。
14 压板、垫圈、螺母、螺栓固定,固定轨道垫板的螺栓应垂直,不允许倾斜,其螺母下应加弹簧垫圈或用双螺母,螺栓应拧紧。
15轨道安装分项工程质量验收评定表轨道安装分项工程质量验收评定表。
钢轨铺设施工工艺方法铺轨施工工艺流程见图铺轨施工工艺流程图。
(1)摆枕由人工抬运摆枕,按设计数量散布均匀。
摆枕时每25m摆放一根定位枕,采取人工撬拉的办法使轨枕中心位置对准线路中线,并使轨枕与线路中线垂直,在定位枕端拉上麻绳,其余轨枕用撬棍按轨枕间距大致拨正摆齐。
(2)铺工具轨用自制的抬轨钳人工抬入承轨槽,并进行联接。
轨枕位置用白漆标于一侧钢轨轨腰内侧,曲线地段标于外股钢轨轨腰内侧,另一侧用方尺定位。
一侧钢轨扣件上紧后,用轨距尺按规定的轨距调整另一股钢轨位置。
轨缝宽度根据铺设时的温度计算预留,曲线暂不设置超高,待铺架完成后再起道按设计设置超高。
钢轨预打磨铺轨施工工艺流程图(3)上碴整道人工上碴整道时分两次进行,第一遍上碴整道,道碴填盒后,进行起道、拨道、串碴作业,使轨道基本平直圆顺,消除三角坑和反超高。
补碴后进行第二遍起道、放枕、串碴、拔正轨道方向,用液压捣固机振捣后整理道床,使轨道各部尺寸逐步达到验标要求。
上碴整道顺序:每次上碴整道应先补充枕盒内部分道碴,然后起道、放枕、串碴、拔正轨道方向、捣固道床、回填清理道碴和稳定线路。
轨道各部尺寸应在第二遍上碴整道后,经线路整修逐步达到验收规范要求。
具体做法如下:整道前应先设置水平桩用于起道时控制标高,水平桩在直线上每50米设一个,在曲线上每20米设一个。
上碴填盒:人工进行上碴填盒。
起道:起道时按水平桩将一股轨面起至低于设计标高100mm(第一遍按面碴厚度15cm控制标高),曲线先起内股,再用道尺调整另一股标高,左右均匀进行,校正好左右水平,找平坑洼。
曲线外轨超高必须在缓和曲线全长范围内顺接,岔后附带曲线(无缓和曲线)超高必须在直线上按不大于2‰坡度顺接。
不允许出现三角坑及反超高。
串碴:整节钢轨抬起后,立即向轨枕下面串碴,串满串实,没有悬空吊板现象,串碴时注意混凝土枕的中部必须留出一定宽度的凹坑。
拨道:先将线路中心桩处拨移到位,然后目视指挥拔直拔顺,曲线按中心桩拨道到位圆顺后,再用弦线(圆曲线用20米弦线,缓和曲线用10米弦线)检查正矢,超过允许误差时及时调整,不允许有反弯及“鹅头”。
钢轨焊接施工技术交底一、钢轨焊接1、焊轨施工的工艺流程2、型式试验根据规范要求,在下列情况进行型式试验:1)钢轨接头试生产;2)采用新轨型、新钢种及调试工艺参数;3)周期性生产检验结果不合格。
型式检验项目包括静弯、落锤、疲劳、探伤、金相、硬度、外观、抗拉、冲击及断口检验。
其检验次数按《钢轨焊接接头技术条件》(TB/T1632.2-2005)中表三有关规定执行。
本工程采用K922移动式焊轨机焊接钢轨,焊接前进行型式试验,试验用轨在轨道工程铺设用轨中取样。
K922焊机的主要焊接工艺参数有:焊接电压(结段Ⅰ、Ⅱ、Ⅲ),焊接时间(结段Ⅰ、Ⅱ、Ⅲ)、加速烧化时间、带电顶锻时间、无电流顶锻时间、烧化量、顶锻量、焊接时油压Ⅰ、加速顶锻油压Ⅱ等主要参数,以及正火温度等辅助焊接参数。
(1)落锤试验①试验方法试验用钢轨要求长1.3m,单个接头按规范锤击两次不断为合格。
共试验3组。
如每组内的5个接头均合格,则视用此焊接工艺及焊接参数对此类型钢轨进行焊接可满足规范要求。
②钢轨焊头试件的落锤高度钢轨焊头试件的落锤高度按下表规定:(2)静弯试验落锤试验通过后,另焊3组,每组5根试件进行静弯试验。
按规范要求施加荷载后,试件全部不断为合格。
60kg/m钢轨焊头试件的静弯破断载荷不得低于下表所列数值:(3)疲劳试验①试验方法按TB/T1632.2-2005第4.5规定进行。
②钢轨焊头的疲劳荷载60kg/m钢轨焊头的疲劳荷载按下表规定:(4)硬度试验硬度试验按TB/T1632.2-2005第4.8条规定进行。
(5)超声波探伤①探伤方法按TB/T1632.2-2005第4.2条规定进行。
②探伤范围每个钢轨接头均应进行超声波探伤,探伤范围为轨缝两侧各150mm。
(6)金相组织及晶粒度试验①按TB/T1632.2-2005第4.9条规定进行。
②金相组织分析钢轨接触焊接头的金相组织为珠光体和少量铁素体,在显微镜放大100倍时,不得有明显的魏氏体及粒状球化的珠光体。
一、工程概况本工程轨道采用QU80和QU120两种规格的钢轨,6#泊位及7#泊位前沿两根轨道均为QU80钢轨,轨距为10.50m,7#泊位后延轨道采用QU120钢轨,与7#泊位前沿轨道轨距为16.00m。
二、施工顺序轨道安装从上游6#泊位开始向下游安装,直至7#泊位结束,最后安装7#泊位的后延轨道。
三、轨道梁工艺安排轨道梁宽度为900mm,在桩帽混凝土达到一定去强度后进行,在不设跨中支点的轨道梁,在相应位置现有梁板拆除以后即可进行施工。
四、施工准备1、工地周围设置围档,设置好安全警示标志;2、机械设备及工作人员到位,保证机械设备处于良好状态;五、测量放线本工程前期以按以下方法建立了严谨的平面位置和高程控制网络系统。
1、平面控制根据现场情况建立施工坐标系统,施工坐标系统以码头江侧钢轨中心线为X轴,下游方向为正方向,1#排架中心线为Y轴,江侧方向为正方向。
并在码头后方建立控制点。
2、高程控制码头经过多年施工可能存在沉降,根据钢轨平均顶标高建立施工高程系统。
首先按照建设单位提供的水准点复测钢轨标高,每5m测一个点计算钢轨平均顶标高;然后以平均轨顶标高为+6.1m修正水准点数据,后期以修正后的水准点进行测量放线。
在轨道安装之前,对现有的控制网再进行一次符合,并调整偏差值至可控范围,为满足轨道安装测量控制的要求,本次安装不再采用结构施工时加密的局部控制点,直接在钢轨两头设置控制点,使用光学经纬仪直接放设。
并在施工期间每天施工前复测一次钢轨两头的控制点。
六、主要施工方法1、准备工作:首先进行轨道槽内建筑垃圾的清理,清理垃圾的同时须对部分轨道梁预埋排水管进行清孔,保证泄水通畅;2、钢垫板安装:轨道槽清理完毕后,测放钢垫板标高进行钢垫板的安装;根据预埋螺栓测量准确尺寸加工钢垫板,并在钢垫板上打好预埋丝孔及调校丝孔,将加工好的钢垫板进行校正、测量,并与预埋螺栓尺寸进行复测、对比,发现与预埋螺栓不符马上进行修正。
根据测放的标高,将调整修正好的钢垫板安装在预埋螺栓上,利用水平尺配合调校螺栓对钢垫板进行调整,并根据图纸要求调整到所需的水平位置,然后用螺帽压紧;对所有压紧螺丝及钢垫板再一次进行复测,确保在规定尺寸范围内,然后焊连接钢板。
钢轨安装施工方案1. 引言钢轨是铁路交通系统中最基本的构造元素之一,是承载列车荷载并传递作动力的关键部件。
钢轨的安装施工方案对保证铁路线路的安全运行和列车的正常行驶起到重要作用。
本文档将详细介绍钢轨的安装施工方案。
2. 施工准备2.1 材料准备在进行钢轨安装施工前,需要准备以下材料:•钢轨:根据设计要求选择合适的钢轨,确保质量合格;•钢轨连接件:如螺栓、垫圈等;•地基材料:确保地基平整,并满足设计要求;•施工机械:如挖掘机、起重机等;•施工工具:如电钻、扳手等。
2.2 机械设备准备钢轨安装施工需要使用多种机械设备,包括但不限于:•挖掘机:用于清理和修整地基;•起重机:用于吊装和安装钢轨;•铺轨机:用于将钢轨准确铺设在轨枕上;•手持电钻:用于固定钢轨连接件。
3. 施工步骤3.1 清理地基首先,使用挖掘机清理地基,将地表上的杂物、泥土等清除,确保地基平整。
3.2 铺设轨枕在地基上铺设轨枕,轨枕之间的间距需要按照设计要求保持一致。
根据地形和设计要求,可以采用不同的轨枕类型,如混凝土轨枕或木质轨枕。
3.3 安装钢轨3.3.1 钢轨准备检查待安装的钢轨,确保其质量符合设计要求。
3.3.2 钢轨起吊使用起重机将钢轨起吊到适当的位置,待安装的轨底面与轨枕接触。
3.3.3 固定钢轨使用手持电钻和螺栓将钢轨与连接件固定在轨枕上,确保牢固可靠。
3.4 调整钢轨安装完一段钢轨后,需要使用检测工具(如测量仪)检查钢轨的轨距、轨面高程等参数,如有偏差,需要进行调整,确保符合设计要求。
3.5 进一步施工根据需要,进行进一步的钢轨安装施工,包括但不限于铺设交叉渡线、固定轨头等。
4. 施工注意事项在钢轨安装施工过程中,需要注意以下事项:•操作人员必须经过专业培训,熟悉施工技术和安全操作规程;•设备必须经过检测和维护,确保运行正常;•施工过程中必须按照安全规范操作,避免安全事故发生;•施工现场必须保持整洁,避免杂物堆积和物品乱放。
1.道床施工 (2)1.1 有砟轨道道床施工 (2)1.1.1 施工方法 (2)1.2 无砟轨道道床施工 (4)1.2.1、轨道板基础施工 (4)1.2.2 轨道板铺设 (6)2 线路轨道铺设 (7)2.1 铺轨工艺流程 (7)2.2 铺轨 (8)2.2.1、准备工作 (8)2.2.2 钢筋混凝土轨枕铺轨 (9)2.2.3 钢轨铺设 (10)3 道岔施工 (14)3.1 12号道岔施工 (14)3.2 18号道岔施工 (15)4 劳力组织 (20)4.1 劳动力安排 (20)4.2 机械安排 (21)1.道床施工1.1 有砟轨道道床施工道床采用碎石道床,II型枕道床顶面宽3.1米,III型枕道床顶面宽3.6米,边坡为1:1.75,碴肩堆高0.15米,道床厚度为35cm;道岔道床厚度为35cm,碴肩宽度50cm。
道碴采用一级碎石道碴,其力学性能应满足设计要求。
(1)道碴的运输施工前选定道碴产家,(厂家必须为铁道部指定的生产厂家)其性能及质量应满足设计要求。
用自卸汽车运至施工现场。
(2)道床的铺设道碴运至现场后,有技术负责人负责检查道碴的外形及质量,检查合格后,将道碴卸至需要铺设道碴的路基上,用挖机进行摊铺,铺设时严格控制道床的高度及宽度。
1.1.1 施工方法1、底碴铺设底砟铺设前委托具备资质的检测机构对路基进行检测,经检测合格后进行铺砟。
⑴铺设前,先对本段的线路中心线和路基面标高进行复核测量,在现场钉好中心桩和水平桩,并报监理工程师检查验收合格后,进行底碴的铺设。
⑵根据设计文件规定的底碴种类及铺设厚度进行铺设。
铺设过程中,做到材料满足设计要求,铺设顶面平整、位置正确、做好顺坡。
⑶底碴的铺设采用小型机械运至路基,人工散铺后在以压路机碾压。
2、面碴铺设与整道⑴底碴铺设后,,用自卸汽车运面碴,并均匀散布在底碴上,按设计要求铺设至轨枕底下5㎝左右,并压实。
待铺轨后再由人工回填石碴到道床内。
⑵面碴材料,按设计要求选用。
更换新钢轨施工方案xxx工务段xxx年更换长轨施工组织措施第一部分技术方案我段计划于x月xx日开始在xx线、xx线、xxx联络线进行更换长轨施工。
为安全、顺利完成本次施工任务,特制定如下施工组织方案,希望全体施工人员遵照执行。
一、施工地点及任务计划更换9.5Km长轨,详细地点见附件2-5-1。
二、施工组织1、施工领导:xxx、xxx负责施工全面工作,协调、解决施工过程中有关问题。
2、施工组:⑴施工负责人:xxx、xxx、xxx、xx、xxx、xxx、xxx、xxx、xxx、xxx、xxx、xxx、xxx、xxx、xxx、xxxx、xxxx。
①负责施工现场的作业组织。
协调各单位施工作业,协调解决施工中临时发生的问题,检查落实施工例会确定的各项事宜,对违反例会要求,盲目乱干的行为坚决制止,并对施工现场的施工安全负责。
②负责检查施工和开通前的各项准备工作。
③负责施工劳力的组织安排,负责施工材料计划提报;④检查督促施工人员按要求施工,确保施工质量。
⑤组织召开日施工方案制定会、日施工方案布置会、二次分工会、完工会和预备会。
⑥负责管内施工的车站联络、工地防护、远方防护布置工作;⑦负责和电务、车辆部门签订施工配合单;⑧负责组织长轨条的出进及吊运钢轨。
⑨负责换轨后的线路几何尺寸整治、道床整理;⑩负责提报小车计划;⑵施工配合负责:xxx、xxxxxx、xx综合维修车间负责安排重点维修车间切轨、烧轨、焊接、拉伸等作业。
武汉鑫铁或施密特焊轨组负责焊接工作。
3、技术负责人:xxx、xxxx。
负责施工技术工作,制定施工方案,安排好机具、工具、材料、施工队伍计划,按技术标准进行现场技术控制。
4、安全监控负责人:段统一指派。
负责安排盯控施工现场安全工作,特别是螺栓松紧机使用及机工具过道、人身安全,检查督促工地联络、防护按规定执行,施工防护、慢行体系设置。
5、材料运输及机、工具负责人:xxx、xxx、xxx负责安排运输机、工具、材料到位,回收旧轨,安排人员1-2名机修工修理机、工具。
#### 一、工程概况本工程为某铁路线路建设,涉及钢轨焊接施工。
为确保钢轨焊接质量,提高线路运行安全与效率,特制定本专项施工方案。
#### 二、施工准备1. 人员准备:组建专业的焊接施工队伍,包括焊接工、焊前检查工、焊后检查工等,并进行专业培训。
2. 设备准备:配置先进的钢轨焊接设备,如闪光焊接机、等离子切割机、打磨机等,确保设备性能稳定。
3. 材料准备:选用符合国家标准和工程要求的钢轨材料,确保材料质量。
#### 三、施工工艺1. 焊接前准备:- 清理钢轨端面,确保无油污、锈蚀等杂质。
- 检查钢轨尺寸,确保符合设计要求。
- 根据焊接设备特点,调整焊接参数。
2. 焊接过程:- 采用闪光焊接法进行钢轨焊接,确保焊缝质量。
- 严格控制焊接电流、电压等参数,确保焊接过程稳定。
- 焊接过程中,加强焊工与焊后检查工的沟通,确保焊接质量。
3. 焊后处理:- 焊接完成后,进行焊缝外观检查,确保焊缝无裂纹、气孔等缺陷。
- 对焊缝进行打磨,使其平滑,确保接头质量。
- 对焊缝进行无损检测,如超声波检测、X射线检测等,确保焊缝内部质量。
#### 四、质量控制1. 原材料质量:严格控制钢轨材料质量,确保符合国家标准。
2. 焊接工艺:严格执行焊接工艺规程,确保焊接质量。
3. 焊接设备:定期检查、维护焊接设备,确保设备性能稳定。
4. 焊接人员:加强焊接人员培训,提高焊接技能。
#### 五、安全管理1. 施工安全:严格执行施工现场安全管理规定,确保施工安全。
2. 设备安全:定期检查设备,消除安全隐患。
3. 环境保护:采取措施,降低施工对环境的影响。
#### 六、施工进度1. 制定合理的施工进度计划,确保工程按期完成。
2. 加强施工组织,提高施工效率。
#### 七、施工总结1. 工程完成后,对焊接施工进行总结,分析存在的问题,为今后类似工程提供借鉴。
2. 持续改进焊接工艺,提高焊接质量。
本专项施工方案旨在确保钢轨焊接质量,提高铁路线路运行安全与效率。
钢轨安装方案doc钢轨试焊接技术方案一、钢轨焊接技术要求钢轨焊接前言焊接接缝的强度应不低于钢轨本体断面强度,焊接工艺应征得总顾问和施工监理批准。
钢轨焊接面须竖直,且与轨道纵轴线垂直,钢轨接缝位置应至少离开结构伸缩缝3.75m,并且前后钢轨的接缝应错开。
钢轨焊接检测:采用X射线拍片检测。
二、焊接钢轨的工序和守则2.1焊接钢轨的电焊工必须为国家规定的合格电焊工,承包商应事先向业主、顾问和监理提交每个电焊工的证书以供审核。
焊接钢轨前焊工需先进行焊接试验,待焊接检测符合要求后才能进行钢轨焊接。
2.2焊接工作时应提供临时遮蔽,防风防雨。
2.3物料处理试焊材料采用国产T43钢轨2.4电流供应焊接时电流为250至280Amps。
焊接应准备并接上后备焊钳,以防高温下焊钳受损。
2.5焊条焊条应为低氢品种,并可配合钢轨原有的物理性能及机械特性。
选用之焊条必须事先征得业主、顾问及监理批准。
焊条分为两种:(1) 细焊条——在焊接缝底部适用(焊条直径5—6毫米);(2) 粗焊条——在焊接缝其他部分适用;焊条应时常保持干燥清洁。
使用前,焊条应储存在烘箱内,烘箱内的温度应比外间o大气温度高25C。
焊条从烘箱取后,必须马上使用;已变温或已受潮的焊条,可放于o150C或以上烘箱内烘干,烘干后的焊条必须经监理检查后方可使用。
2.6焊口铜模板在焊接时,电焊工应使用铜模件包围焊缝之底部和两侧,以防熔化金属外流。
铜模件应为电解质的黄铜所制成,并分为底模件和旁模件两种。
底模件至少厚10毫米和至少长40毫米(一般为40×10×钢轨阔度)。
旁模件有足够阔度以防熔接金属外溢,并应配合钢轨切面之弧度(一般为40×40×20毫米)。
铜模件和钢轨间应留有约2毫米之空间,用以清除焊接所产生之焊渣。
铜模件于每次使用后立即清洁,以备下次使用。
2.7钢轨切割钢轨末端应为平滑的光面,并应垂直于钢轨之纵轴。
切割方法可使用电锯或经小心处理之氧乙炔切割。
港棋盘洲港区一期工程7-10#泊位工程钢轨安装施工案编制人:审核人:二航局港棋盘洲港区一期工程7-10#泊位工程项目经理部2012年8月港棋盘洲港区一期工程钢轨安装施工案一、工程概况港棋盘洲港区一期工程共有三条门机轨道,每条长292.24m,共长876.72m,钢轨顶标高为24.02m。
钢轨安装由预埋螺栓安装、钢垫板安装、灌注胶泥、胶垫板安装、钢轨安装、压板安装等组成,码头轨道伸缩缝处钢轨之间采用夹板固定连接,轨道槽浇筑沥青混凝土。
二、施工工艺流程:钢轨安装施工工艺流程施工准备--测量放线--调节预埋螺栓--清理浮浆—安装钢垫板—灌注胶泥—安装胶垫板—调校螺栓调整--钢轨安装--压板安装--门机试行—浇筑沥青混凝土。
三、主要施工法及注意事项:1、施工准备面层砼浇筑完成后,即开始轨道槽的清理工作,凿除槽的混凝土浮浆,清理预埋螺栓上附着的砂浆。
2、测量放线轨道槽清理完毕后测量人员在轨道槽放出轨道中心线,并从边缘延伸30cm至面层上,用墨斗线弹出墨线。
3、调节预埋螺栓按照测量放线确定出预埋螺栓的位置,若有偏差的,则按要求进行调节在直线上。
4、安装钢垫板预埋螺栓调节完成后,每隔3m在预埋螺栓上焊接标高控制筋,按钢垫板底标高23.843m控制,测量人员用水准仪全程监控整个安装过程,因为此施工过程涉及到轨道的顶标高;两块钢垫板之间采用两块连接钢板围焊。
钢垫板安装我部采用小型移动门架进行安装,移动门架采用[10槽钢焊接而成,底部配4个移动滑轮,移动门架前后各配1个5t手拉葫芦及2根钢丝绳,用于吊起钢垫板,在安装时可用手拉葫芦调节钢垫板的位置及标高。
5、胶泥灌注胶泥是以水泥为胶结材、配以复合外加剂和特制骨料的水凝水泥,其3天抗压强度应≥40.0MPa,圆钢粘结力≥4.0MPa,1天竖向膨胀率≥0.02%。
在灌注前应再次清除钢垫板与轨道之间残留的各种垃圾,并要用水充分湿润将与胶泥接触的砼表面,并不得留有积水,或在灌浆前一天用水注入轨道槽,第二天(灌浆前),用空压机将余水清除干净;胶泥的灌注采用小型搅拌机从一面到另一面,一端到另一端,从而使空气泡走出,在灌注过程中,不能用力敲击钢垫板,灌注要缓慢,以使胶泥流淌充分。
目录一、编制依据二、工程概况三、施工准备四、主要施工工艺五、质量保证措施六、安全保证措施七、环境保护措施八、文明施工保护措施九、轨道固定平面图及伸缩缝加工图一、编制依据(1)设计图纸及吊车轨道联接(2)国家或行业颁发的施工验收规范,工程质量检验评定标准。
(3)主要施工规范(4)现场施工条件和我单位起重设备的配备情况。
二、工程概况1、主要工作量:库房轨道总量约(96)米,加工接头(8)对;,轨道压板(160)套。
2、工程特点:(1)工期紧,施工任务量大。
(2)单件外形尺寸大,运输和吊装作业多。
(3)现场施工条件差,立体交叉作业多。
三、施工准备熟悉设计图纸和施工规范,了解施工现场,编制施工方案和技术交底,落实施工人员、施工机具和材料。
1、主要施工机具和材料:名称规格数量汽车吊25吨1台半挂车12米1台水准仪1台光学经纬仪1台钢盘尺50米2把弹簧秤200牛2把磨光机φ125 4台手拉葫芦3吨4台钢丝绳扣φ14L=12m 1对棕绳φ16L=200m 1根缷扣2t 4个直流电焊机500A 4台木枕300×200×4000 10根2、主要人员安排:人员数量管理人员2人技术员1人质检员 1人 钳工 4人 起重工 4人 电焊工 4人 气焊工 1人 测量工 1人 合计18人四、主要施工工艺.(一) 行车轨道安装:轨道安装流程: 材料进场验收1、 轨道梁验收:根据上道工序(结构安装)的工序交接资料,对轨道梁进行复测验收。
轨道梁安装的各项技术指标应控制在《钢结构工程施工质量验收规范》GB50205—2001附录E.0.2的允许偏差之内。
合格后方可进行轨道的安装。
2、行车轨道放线:根据工序交接给定轨道梁中心点,用经纬仪在轨道梁上打点。
然后放出一条安装基准线,用钢盘尺测出轨道的跨度,在另一个轨道梁上放出轨道安装的另一条基准线。
3、压板选用及焊接材料进场验收、检吊车梁交接验测量放线压板底座焊接 螺栓紧固检查 伸缩缝施工轨道接头连接对应侧调整固定轨道摆放就位 一侧轨道调整固根据图纸要求,选用焊接型轨道固定件,底座、压板及调整板为Q235或Q345钢铸件,螺栓为8.8级;固定件底座与吊车梁焊接,焊条型号选用与连接件材质相适应。
工厂轨道安装施工方案模板1. 介绍本文档提供了工厂轨道安装施工方案的模板。
该模板旨在指导工厂轨道安装项目的施工过程,包括工程准备、轨道安装、设备运输与安装等内容。
通过遵循此模板,能够确保施工过程高效、安全、可控。
2. 工程准备2.1 环境调查在施工之前,需要对现场环境进行调查,包括地质条件、气候条件、设备运输通道等方面。
根据调查结果,做好相应的工程准备工作。
2.2 施工图纸制作与评审根据设备厂商提供的图纸和现场实际情况,制作轨道安装施工图纸。
施工图纸需要经过评审,确保与实际施工相符。
2.3 器材与设备准备根据轨道安装施工图纸和工程需求,准备好相应的器材与设备,包括轨道、连接件、螺栓、推车、起重设备等。
3. 轨道安装3.1 地基处理在开始轨道安装之前,需要对地基进行处理。
根据实际情况,可以选择填充或者挖掘地基,以确保地基平整稳固。
3.2 轨道布置根据施工图纸和设计要求,按照指定的位置和间距,在地基上铺设轨道。
铺设轨道时,要保证轨道的平直和水平度,同时留出适当的膨胀缝。
3.3 连接固定将轨道连接件与轨道进行连接,并使用螺栓进行固定。
确保连接牢固可靠,轨道间接头处连接紧密。
3.4 轨道调整对已铺设好的轨道进行调整,包括调整轨道的高低差、轨面的水平度等。
调整过程中需要使用专业的轨道调整工具和设备。
4. 设备运输与安装4.1 运输计划根据设备的大小、重量和数量,制定合理的运输计划,确保设备能够顺利运输到施工现场。
4.2 起重设备准备准备好合适的起重设备,根据设备的重量和尺寸,选择适当的吊装工具和方法。
4.3 设备安装采用合适的吊装工具和方法,将设备从运输通道上吊装到预定位置。
确保吊装过程中操作人员的安全,同时保证设备安装牢固可靠。
5. 安全措施5.1 安全培训在施工开始之前,对施工人员进行相关的安全培训。
培训内容包括施工现场安全规范、危险操作预警、急救知识等。
5.2 安全设施布置在施工现场设置必要的安全设施,包括警示标志、防护网、安全通道等,确保施工现场的安全。
钢轨安装专项施工方案第一章工程概况1.1 工程概况轨道基础工程中选用P50钢轨,分四条轨道共计1452米,螺纹道钉选用M24螺栓,螺杆长190mm,预埋105mm,共计4880个,钢轨接头采用平接头形式,两钢轨接头位置应与轨道梁结构缝错开,钢轨安装完毕后用C20沥青砼进行浇筑。
1.2、设计要求钢轨安装允许偏差要求为:钢轨中心线位置偏差≤5mm,轨距允许误差±5mm,两轨顶面标高差≤10mm,钢轨接头错牙≤1mm。
1.3、工程特点本工程钢轨安装精度要求较高,因此钢轨垫板安装前精确找平和轨道轴线及标高控制为本工程的重点与难点。
第二章施工准备2.1技术准备1、图纸会审:图纸是施工的主要依据,施工前认真组织图纸会审及设计交底工作,做好设计交底及图纸会审记录。
在图纸会审前,组织项目部技术人员进行详细的图纸审查工作,审查时主要从以下几个方面入手:对照图纸目录,清点施工图纸的张数及引用标准图的图号及册数;施工图纸是否完整、正确,尺寸标注是否清楚、准确;核对图纸中特作与安装构件和零件的型号、数量及材料等重要数据是否与材料表中所列相符;构件几何尺寸的长、宽、高与建筑、设备安装之间有无矛盾;采用新技术项目的技术可能性和必要性,是否有保证工程质量的技术措施;图纸自审后,形成图纸自审记录,然后与相关专业进行图纸互审,并将图纸自审及图纸会审记录中的问题在图纸会审中请相关专业人答疑,形成图纸会审记录,最后作为正式文件列入工程技术档案。
2、技术交底为了确保本工程的优质、高速、安全、低耗,应先分级做好技术交底工作,确保参与施工的施工技术人员和操作人员明确工程任务的特点、技术要求、施工工艺及在施工中应注意的一些问题,做到心中有数,使工程项目能有组织、有计划地进行。
技术交底前,交底人应做好充分准备,将交底内容记录在技术交底卡上,在交底完后,将技术交底卡作为工程资料归施工工程竣工档案中。
交底的内容如下:施工图中建(构)筑物的设计特点、结构的安全、稳定性及使用功能等;施工组织设计及特殊工程施工作业方案交底,对项目的工程特点、施工部署、各分部分项工程的施工工艺要求及施工进度等进行详细交底;设计变更及图纸会审中对原施工图纸的变更情况;本工程应注意的安全、文明施工及周围环境情况;技术交底按二级进行,具体如下:1)、项目部技术负责人向施工员、质检员、安全员以及班组长进行图纸、施工工艺、施工方法、施工进度安排、技术措施、材料验收及资料整理等方面的交底;2)、施工员向班组施工人员就工程的质量要求、操作要点、安全技术措施、工种之间配合和施工进度安排进行交底。
铁路铁轨施工设计方案1. 引言本文档旨在提供一种可行的铁路铁轨施工设计方案,以确保施工过程中的安全和效率。
2. 设计概述本方案将涵盖以下几个方面的设计:- 施工现场准备:包括选址、地面平整和清理、设备和材料的准备等。
- 铁轨安装:包括地基处理、轨道枕木安装、轨道连接和固定等。
- 铁轨验收:确保铁轨符合相关标准和规范。
- 施工安全措施:包括人员培训、工作区域标记和通风等。
3. 施工流程以下是本方案中的施工流程概述:1. 施工前准备:评估施工现场,确定所需资源和工具。
2. 地基处理:清理现场,确保地基平整,填补不平坑洞。
3. 轨道枕木安装:根据设计要求,安装轨道枕木,确保其稳固和正确位置。
4. 轨道连接:将铁轨连接起来,使用适当的连接器和固定件。
5. 固定铁轨:使用适当的固定件将铁轨固定在枕木上。
6. 验收和测试:对已安装的铁轨进行验收和测试,确保其满足相关标准和规范。
7. 完工和清理:清理施工现场,并做好施工记录和报告。
4. 施工安全措施为保障施工过程中的安全,需要采取以下安全措施:- 工作人员必须接受相关培训,并具备相关证书。
- 工作区域必须标记清晰,设立警示牌和障碍物以防止未授权人员进入。
- 施工现场必须配备适当的通风设备,以确保工作人员的健康和安全。
5. 结论本方案提供了一种可行的铁路铁轨施工设计方案,涵盖了施工流程和安全措施。
通过按照本方案进行施工,可以确保施工过程的安全和效率。
以上是关于铁路铁轨施工设计方案的文档,希望对您有帮助。
如有任何问题,请随时与我联系。
.
黄石港棋盘洲港区一期工程7-10# 泊位工程
钢
轨
安
装
施
工
方
案
编制人:
审核人:
中交二航局黄石港棋盘洲港区一期工程
.
7-10# 泊位工程项目经理部
2012 年 8 月
黄石港棋盘洲港区一期工程
钢轨安装施工方案
一、工程概况
黄石港棋盘洲港区一期工程共有三条门机轨道,每条长292.24m ,共长876.72m ,钢轨顶标高为24.02m 。
钢轨安装由预埋螺栓安装、钢垫板安装、灌注胶泥、胶垫板安装、钢轨安装、压板安装等组成,码头轨道伸缩缝处钢轨之间采用夹板固定连接,轨道槽浇筑沥青混凝土。
二、施工工艺流程:
钢轨安装施工工艺流程
施工准备 --测量放线 --调节预埋螺栓 --清理浮浆—安装钢垫板—灌注胶泥—安装
胶垫板—调校螺栓调整 --钢轨安装 --压板安装 --门机试行—浇筑沥青混凝土。
三、主要施工方法及注意事项:
1、施工准备
面层砼浇筑完成后,即开始轨道槽的清理工作,凿除槽内的混凝土浮浆,清理预埋螺栓上附着的砂浆。
2、测量放线
轨道槽清理完毕后测量人员在轨道槽内放出轨道中心线,并从边缘延伸
30cm 至面层上,用墨斗线弹出墨线。
3、调节预埋螺栓
.
按照测量放线确定出预埋螺栓的位置,若有偏差的,则按要求进行调节
在直线上。
4、安装钢垫板
预埋螺栓调节完成后,每隔 3m 在预埋
螺栓上焊接标高控制筋,按钢垫板底标高
23.843m控制,测量人员用水准仪全程监
控整个安装过程,因为此施工过程涉及到轨
道的顶标高;两块钢垫板之间采用两块连接钢板围焊。
钢垫板安装我部采用小型移动门架进行安装,移动门架采用[10 槽钢焊接而成,底部配 4 个移动滑轮,移动门架前后各配 1 个 5t 手拉葫芦及 2 根钢丝绳,用于吊起钢垫板,在安装时可用手拉葫芦调节钢垫板的位置及标高。
5、胶泥灌注
胶泥是以水泥为胶结材、配以复合外加剂和特制骨料的水凝水泥,其 3 天抗压强度应≥40.0MPa ,圆钢粘结力≥ 4.0MPa,1 天竖向膨胀率≥ 0.02% 。
在灌注前应再次清除钢垫板与轨道之间残留的各种垃圾,并要用水充分湿
润将与胶泥接触的砼表面,并不得留有积水,或在灌浆前一天用水注入轨道槽,
第二天(灌浆前),用空压机将余水清除干净;胶泥的灌注采用小型搅拌机从一
面到另一面,一端到另一端,从而使空气泡走出,在灌注过程中,不能用力敲击
钢垫板,灌注要缓慢,以使胶泥流淌充分。
在灌浆结束后,需注水养护至少7天,并用用土工布或塑料薄膜覆盖。
6、钢轨安装
a.钢轨安装前应进行调直处理,以达到施工要求。
.
b.将轨道用吊车运输至面层后,按照测量放样点弹出的边缘线进行安装(中心线出 30cm 为轨道中心)。
c.复合胶垫板的保护
在焊接前,在钢轨的底面应放置适当尺寸的瓷砖或别的隔热材料,以保护
胶垫板。
d.钢轨预热
预热范围:焊缝两侧至少150mm 。
预热温度: 200 — 250 度。
预热时必须使钢轨整体受热。
e.焊接
钢轨焊接时需在钢垫板两端开“ V”形坡口(三面坡口),角度约为 60 度;将钢轨置于复合橡胶垫板上面,待焊接接头两端钢轨全部垫高10mm ,接口处预留6—10mm 的拱度,焊接钢轨顶面时分层施焊,焊条应保持垂直,并匀速的从垂
直于钢轨轴线方向一边焊到另一边,焊完第一层后,应立即清除熔渣,然后进行第二层的焊接,重复以上步骤直到焊接部位的焊料略高于钢轨顶部2—3mm 。
在焊轨道侧面腰部的时候,先焊底部然后再焊接另一侧的底部,以防局部受热变形严重,然后用同样的方法依次焊接腰部,直到焊接完毕。
焊接过程中在每焊好一
行后应立即清除熔渣。
焊接完成后,应在钢轨上立即覆盖石棉或别的隔热物 5 小时以上,待焊缝温度冷却到大气温度时,再拆除用于隔热胶垫板的隔热物。
f.冷却和焊缝磨光
在钢轨焊缝接口处的凹凸部位应做磨光处理,对钢轨顶部的焊缝必须确保
.
平滑,不能有凹位。
g.钢轨夹板连接
伸缩封位置的钢轨采用夹板连接,安装夹板之前应将钢轨直接头进行打磨
处理,使得两端接头对应面平行,并请专业的施工队伍依据所使用的夹板尺寸开孔。
安装夹板时应先调直对接的两段钢轨,再依次上夹板和紧固螺栓,在螺栓拧紧过程中校核轨道的直线度,调整以满足设计和规范要求,最后拧紧螺栓。
7、钢轨固定
在上压板的时候一定要用扭矩扳手严格按照设计要求上紧,并且所有的压板上紧扭矩一定为统一值,以防在试车时钢轨发生扭曲边形,在试车后再用扭矩扳手重现按设计要求上紧压板。
8、浇筑沥青砂
浇注之前应复检轨道中心线、轨距、标高和直线度,检查螺栓的力矩。
最后
按要求浇注沥青砂。
四、工期安排
钢轨安装施工工期定为40 天,:2012-8-20 ~ 2012-9-30
五、人员配备
序号职责(部门)责任人备注1项目经理席强
2项目总工詹坚
3项目副经理郭志朝
4工程部吴峰
5设备部袁文洪
6测量卢铭
7试验姚辉华
8物资陈可军
9技术工人 6 人电焊工 4 人、铆工 2 人10杂工 5 人
六、钢轨安装质量控制措施
(一)、注意事项
1、为保证预埋螺栓中心线的直线度和钢垫板安装时螺栓孔位置准确,特用
角钢制作“预埋螺栓辅助装置”,以保证预埋螺栓的平面位置和垂直度;螺栓得焊接应按照施工图纸和规范要求严格保证质量,保证在浇筑基础混凝土时螺栓不发生移动。
预埋螺栓丝扣部分涂黄油保护,定位钢筋要和码头预埋接地扁钢可靠焊接,
并预留外伸扁钢以方便钢轨的防雷接地焊接。
2、钢垫板的标高控制是确保钢轨安装标高准确的关键,施工时要特别认真、仔细,必须严格控制。
3 、校对轨道的直线度(≤ +5mm )、按测量放线严格控制轨道中心及标高、紧固轨道(螺母预紧力55KN/ 根)、焊接接地线。
(二)轨道安装允许偏差
序允许偏差检验单元单元项目
(mm)检验方法
号和数量测点
1轨道中心线51用经纬仪和钢尺量
2轨距±5
每处
1用钢尺量(每 10m一
3轨顶标高±5
处)1
用水准仪
4同一截面两轨高差101
检查
5轨道纵向倾斜(每 10m )101
6轨道接头表面高差1每个接头(逐2用钢板尺和7伸缩缝间隙±1件检查)1塞尺量8护轨槽深度±101
9护轨槽宽度±10
每处
1
(每 10m一用钢尺量
+0
10护轨槽顶与钢轨顶高差处)1
-10
(三)保证措施
1、施工过程中严格实行三级质检制度,施工班组自检、互检,质检人员全过程
检查,技术负责人全面管理,并随时接受工程部和监理的检查监督。
每道工序都必须检查合格后方可进行下一道施工。
2、严格工艺流程,认真执行施工技术规范、技术标准和有关技术操作规程。
开
工前首先由项目部对施工队伍进行技术交底,然后根据需要对工人进行培训,使之熟悉操作规程及技术规程及技术规范。
3、在原材料方面,加大进场检验的力度。
材料进场后,料库通知试验室,试验
室检验合格后方可用于施工。
不合格的材料立即清除出场。
七、安全保证措施
1、认真贯彻“管生产必须管安全”的原则,除设专职安全外,生产副经理、技术负责人等各级生产人员必须将安全工作作为自己的主要职责认真抓好。
2、认真执行安全生产责任制,施工现场工作人员必须戴好安全帽,设置安全标牌,责任落实到人,把“安全第一,预防为主”的方针真正落实到实处。
3、坚持安全活动日制度,每周一次,及时总结生产情况,进行安全教育,消灭事
故隐患。
4、本项施工涉及到的焊接量和气割量较大,因此在施工过程中要时刻注意用火和
用电的安全。
配备漏电保护器和回火阀等安全保护设备。
5、对于各类设备,尤其是起吊设备,要及时保养,同时要经常检查,确保设备完好,杜绝事故发生。
九、环保措施
1、及时处理、分离施工留下的电焊条、焊渣、混凝土等废物料,并堆放在指定的自理场和安全的临时贮存处,以防雨水造成对水质的污染。
2、施工完成后及时清理场地,剩余的钢轨等构件统一集中堆放,保持码头面层得清洁和注意对成品的保护。