维纶触摸屏——施耐德ALTIVAR31变频器MODBUS通讯
- 格式:pdf
- 大小:556.19 KB
- 文档页数:7
本文研讨的是触摸屏经由过程MODBUS RTU 通信协定与变频器通信实现变频器的掌握.触摸屏采取威纶通TK6070IP,变频器用汇川MD380通用系列.经由过程触摸屏编程软件,编辑掌握画面实现变频器的启动.停滞.速度调节.多段速速度设置,经由过程宏指令实现工程值与现实值的转换.一.MODBUS RTU 简介:为了在主动化体系之间.主动化体系和所衔接的疏散的现场装备之间进行信息交换,现在串行现场总线被重要用作通信体系.成千上万的运用已经强烈地证清楚明了经由过程运用现场总线技巧,可以节俭多至40%的接线.调试及保护的费用.仅仅运用两根电线就可以传送现场装备的所有相干信息,比方输入和输出数据.参数.诊断数据.曩昔运用的现场总线往往是制作商的特定现场总线,并且同其它现场总线不兼容.现在运用的现场总线几乎是完整公开和尺度化的.这就意味者用户可以以最合理的价钱选择最好的产品,而不必依附于每个自力的制作商.Modbus RTU是一种国际的.凋谢的现场总线尺度.作为一种很轻易实现的现场总线协定,在全世界规模内,Modbus得到了成功的运用.运用范畴包含临盆进程中的主动化.进程掌握和楼宇自控.MODBUS RTU通信协定的报文如图1.图1MODBUS RTU 通信协定的报文功效码如下:01H 读取线圈状况. 从履行机构上读取线圈(单个位)的内容; 02H 读取离散量输入. 从履行机构上读取离散量输入(多个位)的内容;03H 读取保持存放器. 从履行机构上读取保持存放器(16位字)的内容;04H 读取输入存放器. 从履行机构上读取输入存放器(16位字)的内容;05H 强置单线圈. 写数据到履行机构的线圈(单个位)为“通”(“1”)或“断”(“0”);06H 预置单存放器. 写数据到履行机构的单个保持存放器(16位字);0FH 强置多线圈. 写数据到履行机构的几个持续线圈(单个位)为“通”(“1”)或“断”(“0”);10H 预置多存放器. 写数据到履行机构的几个持续的保持存放器(16位字).二.威纶通编程软件介绍:EB8000软件中MODBUS协定的装备类型为0x.1x.3x.4x.5x.6x,还有3x_bit,4x_bit,6x_bit,0x_multi_coils等,下面分离解释这些装备类型在MODBUS协定中支撑哪些功效码.0x:是一个可读可写的装备类型,相当于操纵PLC的输出点.该装备类型读取位状况的时刻,发出的功效码是01H,写位状况的时刻发出的功效码是05H.写多个存放器时发出的功效码是0fH.1x:是一个只读的装备类型,相当于读取PLC的输入点.读取位状况的时刻发出的功效码为02H.3x:是一个只读的装备类型,相当于读取PLC的模仿量.读数据的时刻,发出的功效码是04H.4x:是一个可读可写的装备类型,相当于操纵PLC的数据存放器.当读取数据的时刻,发出的功效码是03H,当写数据的时刻发出的功效码时10H,可写多个存放器的数据.5x:该装备类型与4x的装备类型属性是一样的.即发出读写的功效码完整一样,不合之处在于:当为双字时,例如32_bit unsigned格局的数据,运用5x和4x两种装备类型分离读取数据时,高字和低字的地位是颠倒的.例如,运用4x装备类型读到的数据是0x12345678,那么运用5x装备类型读到的数据是0x56781234. 6x:是一个可读可写的装备类型,读取数据的时刻,发出的功效码也是03H,与4x不合之处在于写数据的时刻发出的功效码时06H,即写单个存放器的数据.三.变频器参数设置:F0-02 敕令源选择为:通信敕令通道(1正转运行.2反转运行.3正转点动.4反转点动.5自由泊车.6减速停机);F0-03 主频率源选择为:通信给定;F0-28 串口通信协定选择:MODBUS 协定;Fd-00 通信波特率:9600 BPS;Fd-01 MODBUS 数据格局:偶校检(8-E-1);Fd-02 本机地址:1Fc-00—Fc-15 1到16段多段速运行速度四.触摸屏程序设置:触摸屏编程软件先设置好联机装备,装备名称为MODBUS RTU ,及设置好通信格局.如图2.图2威纶通编程软件具有壮大的宏指令功效,经由过程此功效我们可以编辑工程值与具体值的转换程序.交换电机的转速=60f/P.f是交换电的频率;P是磁极对数;60是一分钟秒数.四极电念头就是2对磁极.所以四极电机的理论转速是1500转/分.这是扭转磁场的转速,现实转速低于扭转磁场的转速,四极电机一般是1450转/分.依据交换电机的转换公式,我们就可便利写出该转换公式的宏指令,如图3.图3触摸屏界面设计如图4.图4五.总结:在现场运用中:变频器操纵板都采取数码管显示,当须要设置参数时还得参考解释书查找响应的功效地址,采取触摸屏来掌握变频器操纵便利.直不雅,还可及时监测变频器的多组数据(运行频率.电压.电流.转矩等等);触摸屏合营变频器自带的简略输出掌握功效可完成多段速的掌握,摆脱掌握器勤俭了成本;一台触摸屏经由过程走RS485通信还可同时掌握及监测多台变频器;运用触摸屏还可进步装备档次.。
140CPU67160RJ45与威纶通MT6100I触摸屏RS485通讯说明1:PLC设置2:MT6100I设置3:通信线制作UNITY PLC 需与触摸屏通讯,接线方式参照上图。
NC 不接。
正常后CPU167160显示4854、140CPU67160RJ45与MT6100I 触摸屏RS485通信热备冗余,只需将两个CPU RJ45线并接到触摸屏RS485线上即可。
RJ45口转RS485PLCRJ45端触摸屏RS485端COM1-2W1---6--------------12---3--------------2NC NC5---------------5GNDMT6100i与Premium系列PLC以Unitelway方式通讯说明第一步:首先对施耐德Premium系列PLC端进行设置,双击打开PLC软件设置端口(TER/AUX接口均可以与MT6100i通信):包括设置PLC串口的通信参数,协议设置,PLC设置为主站等步骤。
第二步:对HMI程序进行设置:添加TE-UniTelway驱动,设置接口类型与通信参数第三步:务必保证触摸屏与PLC通讯电缆接线正确,接线方式如下:MT6100i RS-485TSX Series CPU Port9P D-SUB8P mini-din Female威纶通tk6070ih与M340通讯说明1、触摸屏与M340PLC之间通讯线对接线序如下TK6070ih触摸屏(9针公头接口)施耐德M340PLC (RJ45接口)COM2(RS485)接口方式RJ45接口RS485通讯1Rx-5D02Rx+4D15GND8GNDRJ45的RS485端口定义如下图:2、下位机modbus口设置如图设置从站波特率数据校验物理线路为485 3、触摸屏画面软件的系统参数设置其中本机PLC2是由我们自己建立的,点击新增可以建立,其中设置如下我们选择的是RS485通信,设置照图设置,其他默认(点击编辑—系统参数设置)从MODBUS RTU到Local HMI的传输属于输出量,反过来则是输入量,bit的是离散量,word的是模拟量。
Twido与ATV31Modbus串行通信向导<三> ——Modbus通信控制启停、模拟量输出给定速度本向导分为两部分:1.《快速操作指南》---Know How, 满足了客户“快速解决调试问题”的需求。
●发送快---大小在2M左右,能方便快速地通过电子邮件发给客户使用●调试快---提供了反复调试过的完整准确的PLC通信程序,客户可直接下载●接线快---含有实物照片的通信接线图使客户非常容易理解和模仿,并且快速完成接线●设置快---图形化的变频器参数设置指导使客户可直接上手设置参数,不用查找手册2.《完全通信指导》---Know Why, 满足了客户“系统学习通信知识”的需求。
●知识全---不仅给出了详细的调试步骤和详细解释,还使客户在完成通信的同时系统学习相关的产品和通信知识●考虑全---对客户调试可能遇到的各种突发情况给出了相关提示和解决方法●理解易---提供了程序指令和结构的详细注释,使客户能容易的理解和学习提供的标准程序并能在原有程序上进行扩展第二部分完全通信指导重要信息注意:在尝试安装、操作或调试设备之前,请仔细阅读下述说明并通过查看来熟悉设备。
下述特别信息可能会在文本其他地方或设备上出现,提示用户潜在的危险和注意事项,或提供阐明或简化某一过程的信息。
遵守使用说明,可能导致调试失败、人身伤害甚至设备损坏。
此符号的注意事项,以避免不必要的调试错误。
目录1. 实验简介 (4)2. 实验环境 (4)3. 硬件连接 (5)3.1 Twido与变频器的通信连接 (5)3.2 Twido与变频器的端子连接 (7)4. ATV31变频器设置 (8)4.1 操作说明 (8)4.2 主要参数设置 (9)4.2.1 控制方式 (10)4.2.2 通信参数 (12)5.1 Modbus协议简介 (14)5.2 交换数据表 (14)5.3 ATV31参数说明 (15)5.3.1 读写变量 (15)5.3.2 状态字 (16)5.3.3 控制字 (16)5.3.4 特殊DRIVECOM参数 (17)5.4 DRIVECOM流程 (17)5.5 TwidoSoft软件的配置 (18)5.6 Twido软件编程语句介绍 (21)5.6.1 EXCHx指令 (21)5.6.2 %MSGx功能块 (21)5.7 程序的分步讲解 (22)5.7.1 一台PLC与一台变频器通信 (22)5.7.2 一台PLC与多台变频器通信 (24)6. 实验调试 (27)6.1 计算机和PLC连接 (27)6.2 交换数据表对照 (27)6.3 动态变量表的读和写 (28)6.4 ATV31常见通信故障 (29)7.系统扩展 (30)7.1 分配器模块和RJ45连接器 (30)7.2 接线盒方式 (30)8. 附件 (31)8.1 相关技术文档 (31)8.1.1 TwidoSoft软件参考手册 (31)8.1.2 Twido硬件参考手册 (31)8.1.3 ATV31编程手册 (31)8.1.4 ATV31modbus用户手册 (31)8.2 参考程序 (32)8.2.1 Port2口做通信 (32)8.2.2 Port1口做通信 (32)1. 实验简介PLC通过modbus监控变频器的运行是工业中较常见的应用,本文以施耐德Twido PLC与ATV31变频器为例,简要介绍PLC与变频器之间modbus串行通信的过程,包括硬件接线、变频器参数设置、硬软件组态、上电调试等,实现在PLC上远程控制ATV31变频器的故障初始化,启动/停止,正转/反转,频率给定等。
很好的威纶通MODBUSRTU通讯协议与变频器通讯案例威纶通(Veintron)是一家专注于工业自动化领域的企业,他们开发了一种基于MODBUS RTU通讯协议的变频器产品,用于实现变频器与其他设备之间的数据交互。
以下是一个关于威纶通MODBUS RTU通讯协议与变频器通讯的案例。
在工厂的生产线上,使用了一台威纶通的变频器控制其中一种设备的转速。
工作人员希望通过上位机监控和控制变频器,以提高整个生产线的效率和稳定性。
首先,需要配置上位机与变频器之间的通讯连接。
上位机采用RS-485接口与变频器进行通讯。
通过串口配置软件,设置上位机的通讯参数,例如波特率、校验位等。
在变频器侧,需设置相应的通讯参数,以确保与上位机的通讯一致。
威纶通的变频器支持MODBUSRTU通讯协议,因此在通讯过程中需要按照该协议的规范进行数据交互。
MODBUSRTU是一种基于串行通讯的协议,使用二进制数据格式进行传输。
在上位机端,可以使用编程语言(如C、C++、Python)或者现有的SCADA软件(如Intouch、LabVIEW)进行开发。
这里以C语言为例,使用串口编程库进行通讯处理。
首先,在上位机端打开串口,并设置串口的通讯参数。
然后,通过MODBUSRTU协议定义相关的指令和数据格式,以实现与变频器之间的数据交互。
例如,使用MODBUSRTU读取变频器的转速,可以发送如下的读取指令:010*********C40B其中,01表示设备地址(每个变频器都有一个唯一的地址),03表示读取寄存器的功能码,0000表示要读取的寄存器地址,0002表示要读取的寄存器数量。
C40B是CRC校验码,用于校验数据的正确性。
当变频器接收到读取指令后,会按照指令中的地址和数量读取相应的寄存器数据,并通过串口返回给上位机。
上位机接收到数据后,可以解析出变频器的转速并进行相应的处理。
类似地,上位机也可以通过MODBUSRTU协议向变频器发送写入指令,以实现对变频器的控制。
本文研究的是触摸屏通过MODBUSRTU通讯协议与变频器通讯实现变频器的控制。
触摸屏采用威纶通TK6070IP,变频器用汇川MD380通用系列。
通过触摸屏编程软件,编辑控制画面实现变频器的启动、停止、速度调节、多段速速度设置,通过宏指令实现工程值与实际值的转换。
一、MODBUSRTU简介:为了在自动化系统之间、自动化系统和所连接的分散的现场设备之间进行信息交换,如今串行现场总线被主要用作通讯系统。
成千上万的应用已经强烈地证明了通过使用现场总线技术,可以节省多至40%的接线、调试及维护的费用。
仅仅使用两根电线就可以传送现场设备的所有相关信息,比如输入和输出数据、参数、诊断数据。
过去使用的现场总线往往是制造商的特定现场总线,并且同其它现场总线不兼容。
如今使用的现场总线几乎是完全公开和标准化的。
这就意味者用户可以以最合理的价格选择最好的产品,而不用依赖于每个独立的制造商。
ModbusRTU是一种国际的、开放的现场总线标准。
作为一种很容易实现的现场总线协议,在全世界范围内,Modbus得到了成功的应用。
应用领域包括生产过程中的自动化、过程控制和楼宇自控。
MODBUSRTU通讯协议的报文如图1。
图1MODBUSRTU通讯协议的报文功能码如下:01H读取线圈状态。
从执行机构上读取线圈(单个位)的内容;02H读取离散量输入。
从执行机构上读取离散量输入(多个位)的内容;03H读取保持寄存器。
从执行机构上读取保持寄存器(16位字)的内容;04H读取输入寄存器。
从执行机构上读取输入寄存器(16位字)的内容;05H强置单线圈。
写数据到执行机构的线圈(单个位)为“通”(“1”)或“断”(“0”);06H预置单寄存器。
写数据到执行机构的单个保持寄存器(16位字);0FH强置多线圈。
写数据到执行机构的几个连续线圈(单个位)为“通”(“1”)或“断”(“0”);10H预置多寄存器。
写数据到执行机构的几个连续的保持寄存器(16位字)。
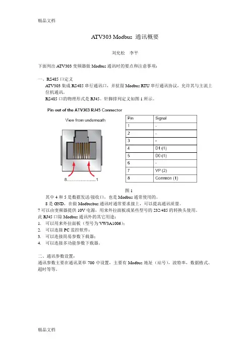
ATV303 Modbus 通讯概要刘允松李平下面列出ATV303变频器做Modbus通讯时的要点和注意事项:一、RS485口定义ATV303集成RS485串行通讯口,并驻留Modbus RTU串行通讯协议,允许其与主流上位机通讯。
RS485口的物理形式是RJ45。
针脚排列定义如图1所示。
图1其中4和5是数据发送/接收口,也是Modbus通常使用的。
8是GND,在做Modbusbus通讯时通常要求接上,可以提高通讯质量。
7可以由变频器提供10V电源,用来外拉面板或某些型号的232/485的转换头使用。
此RJ45口除Modbus通讯外的其它用途:1.可以用来外拉面板(型号为VW3A1006);2.可以连接PC监控软件;3.可以连接简易参数下载器;4.可以连接多功能参数下载器。
二、通讯参数设置:通讯参数主要在通讯菜单700-中设置,主要有Modbus地址(站号),波特率,数据格式、超时等等。
图2另外ATV303的Modbus默认要求一旦数据开始读写,必须有连续的数据交换,变频器依据Modbus超时进行Consistency Check。
如果超过该时限没有接到数据交换指令,即判定串行连接故障。
因此必须对数据进行循环读或写。
另一种解决的方式是在故障管理菜单菜单中屏蔽串行连接故障,即将参数611设置为00.图3注意这种方法是一种偷懒的方法,潜在的危险时当出现真正的通讯连接故障(如遇到干扰),变频器将不能发现。
四、控制通道的设置:如果作Modbus通讯的目的仅仅是读取变频器的状态和变量,例如输出频率,输出电流,故障记录等,控制通道是不用设置的。
典型的状态参数地址为:如果Modbus通讯的目的是用来以上位机控制变频器的给定频率和/或起停命令,则需要在400-菜单中对控制通道进行设置。
如果以上位机同时控制变频器的给定频率和起停命令,其实也可以不做设置。
因为本来通讯就是优先的:变频器一旦接收到来自Modbus的给定频率和起停(包括正反转)指令,Modbus控制就起了主导作用,除非强迫本地有效。
精心整理本文研究的是触摸屏通过MODBUS RTU通讯协议与变频器通讯实现变频器的控制。
触摸屏采用威纶通TK6070IP,变频器用汇川MD380通用系列。
通过触摸屏编程软件,编辑控制画面实现变频器的启动、停止、速度调节、多段速速度设置,通过宏指令实现工程值与实际值的转换。
一、MODBUS RTU 简介:为了在自动化系统之间、自动化系统和所连接的分散的现场设备之间进行信息交换,如今串行现场总线被主要用作通讯系统。
成千上万的应用已经强烈地证明了通过使用现场总线技术,可以节省多至40%的接线、调试及维护的费用。
仅仅使用两根电线就可以传送现场设备的所有相关信息,比如输入和输出数据、参数、诊断数据。
过去使用的现场总线往往是制造商的特定现场总线,并且同其它现场总线不兼容。
如今使用的现场总线几乎是完全公开和标准化的。
这就意味者用户可以以最合理的价格选择最好的产品,而不用依赖于每个独立的制造商。
Modbus RTU是一种国际的、开放的现场总线标准。
作为一种很容易实现的现场总线协议,在全世界范围内,Modbus得到了成功的应用。
应用领域包括生产过程中的自动化、过程控制和楼宇自控。
MODBUS RTU通讯协议的报文如图1。
图1MODBUS RTU 通讯协议的报文功能码如下:01H 读取线圈状态。
从执行机构上读取线圈(单个位)的内容;02H 读取离散量输入。
从执行机构上读取离散量输入(多个位)的内容;03H 读取保持寄存器。
从执行机构上读取保持寄存器(16位字)的内容;04H 读取输入寄存器。
从执行机构上读取输入寄存器(16位字)的内容;05H 强置单线圈。
写数据到执行机构的线圈(单个位)为“通”(“1”)或“断”(“0”);06H 预置单寄存器。
写数据到执行机构的单个保持寄存器(16位字);0FH 强置多线圈。
写数据到执行机构的几个连续线圈(单个位)为“通”(“1”)或“断”(“0”);10H 预置多寄存器。
写数据到执行机构的几个连续的保持寄存器(16位字)。
用VB实现基于Modbus的计算机和变频器之间的通讯施耐德(苏州)变频器有限公司郁陈华摘要:文章对施耐德变频器所采用的Modbus协议进行了简要的介绍。
同时,列举了用VB 实现Modbus RTU协议需要注意的几个问题,并以例程阐述了相应的解决方法。
最后,对变频器内参数与Modbus 协议的对应关系进行了简单描述。
关键词:Modbus VB 串行通讯一.引言随着工控技术的飞速发展,目前,几乎所有的变频器都带有能和上位机进行通讯的RS485串行接口。
与传统的用模拟量监控变频器的方式相比,用串行口进行监控的优势是明显的―――用模拟量信号进行监控,每传递一个信号,就需要物理上的一个回路;用RS485串行口的方式,则只需一个物理链路就可以监控多台变频器内的全部信号。
并且,由于目前的变频器都由微机进行控制,其内部信号均为数字信号,用通讯方式避免了信号的A/D,D/A 转换,因此信号的传输精度也较高。
因此,在一些实时性要求不高、需要一台主机监控多台变频器的场合,越来越多的用户选择了串行通讯技术。
通常,上位机为PLC或工业PC。
PLC的编程视品牌和型号的不同,其编程方法有很大的区别。
而PC机的编程,多数用户都会选择VB,因为VB的编程比较简单,而且提供标准的通讯控件。
多数品牌的变频器内置一个简单的RS485通讯协议,一般基于ASCII编码,采用和校验(check sum)的检错方式。
而施耐德的变频器采用Modbus协议中的RTU模式,直接传送二进制数据,检错方式为CRC-16。
采用VB编程时,需要作一些特殊的处理。
二. Modbus简介Modbus是由Modicon公司提出的用于可编程控制器之间进行信息交换的一种串行通讯协议。
随着Modicon公司归入施耐德电气的旗下,Modbus 成为施耐德电气产品的主要串行通讯协议之一。
和许多工业控制协议一样,Modbus也采用主从通讯的方式,即由主机发起通讯,从机只能被动应答主机的“问询”。
M340与ATV31Modbus串行通信向导<二> ——Modbus通信给定速度、数字量输出控制启停本向导分为两部分:1.《快速操作指南》---Know How, 满足了客户“快速解决调试问题”的需求。
●发送快---大小在2M左右,能方便快速地通过电子邮件发给客户使用●调试快---提供了反复调试过的完整准确的PLC通信程序,客户可直接下载●接线快---含有实物照片的通信接线图使客户非常容易理解和模仿,并且快速完成接线●设置快---图形化的变频器参数设置指导使客户可直接上手设置参数,不用查找手册2.《完全通信指导》---Know Why, 满足了客户“系统学习通信知识”的需求。
●知识全---不仅给出了详细的调试步骤和详细解释,还使客户在完成通信的同时系统学习相关的产品和通信知识●考虑全---对客户调试可能遇到的各种突发情况给出了相关提示和解决方法●理解易---提供了程序指令和结构的详细注释,使客户能容易的理解和学习提供的标准程序并能在原有程序上进行扩展第二部分完全通信指导重要信息注意:在尝试安装、操作或调试设备之前,请仔细阅读下述说明并通过查看来熟悉设备。
下述特别信息可能会在文本其他地方或设备上出现,提示用户潜在的危险和注意事项,或提供阐明或简化某一过程的信息。
遵守使用说明,可能导致调试失败、人身伤害甚至设备损坏。
此符号的注意事项,以避免不必要的调试错误。
目录1.实验简介 (42.硬软件环境 (43. ATV31变频器设置 (53.1 操作说明 (53.2 参数设置 (63.2.1 控制方式 (73.2.2 通信参数 (104. 硬件连接 (114.1 M340与ATV31的Modbus连接 (114.2 M340数字量输出模块与ATV31逻辑输入端子的连接 (125. PLC编程 (135.1硬件组态 (135.1.1 组态CPU (135.1.2 组态数字量输出模块 (145.1.3 组态Modbus Master (155.2 ATV31 Modbus变量说明 (165.2.1 ATV31 Modbus内部字 (165.2.2 ATV31 DRIVERCOM流程 (175.3 通信功能块 (185.3.1 连续读功能块READ_VAR (19 5.3.2 连续写功能块WRITE_VAR (20 5.4 编程 (215.4.1 时间令牌设置 (215.4.2 读写从站寄存器 (225.4.3 DRIVERCOM流程 (236. 实验调试 (246.1 计算机与PLC的连接 (246.2 软件调试 (256.3 ATV31常见通信故障 (267. 带多台变频器 (277.1 硬件连接 (277.1.1 分配器模块和RJ45连接器 (27 7.1.2 接线盒方式 (277.2 软件扩展 (288. 附件 (308.1 M340示例程序 (308.2 ATV31的Modbus用户手册 (30 8.3 ATV31编程手册 (301.实验简介PLC通过Modbus监控变频器的运行是工业中较常见的应用,本文以施耐德M340 PLC与ATV31变频器为例,简要介绍PLC与变频器之间Modbus串行通信的过程,包括硬件接线、变频器参数设置、硬软件组态、上电调试等,实现在PLC上远程控制ATV31变频器的故障初始化,启动/停止,正转/反转,频率给定等。
ATV303 Modbus 通讯提要之阳早格格创做刘允紧李仄底下列出ATV303变频器搞Modbus通讯时的重心战注意事项:一、RS485心定义ATV303集成RS485串止通讯心,并驻留Modbus RTU串止通讯协议,允许其与合流上位机通讯.RS485心的物理形式是RJ45.针足排列定义如图1所示.图1其中4战5是数据收支/接支心,也是Modbus常常使用的.8是GND,正在搞Modbusbus通讯时常常央供接上,不妨普及通讯品量.7不妨由变频器提供10V电源,用去中推里板大概某些型号的232/485的变换头使用.此RJ45心除Modbus通讯中的其余用途:1.不妨用去中推里板(型号为VW3A1006);2.不妨对接PC监控硬件;3.不妨对接浅易参数下载器;4.不妨对接多功能参数下载器.二、通讯参数树立:通讯参数主要正在通讯菜单700-中树立,主要有Modbus天面(站号),波特率,数据要领、超时等等.图2其余ATV303的Modbus默认央供一朝数据开初读写,必须有连绝的数据接换,变频器依据Modbus超时举止Consistency Check.如果超出该时限不接到数据接换指令,即判决串止对接障碍.果此必须对于数据举止循环读大概写.另一种办理的办法是正在障碍管造菜单菜单中屏蔽串止对接障碍,将要参数611树立为00.图3注意那种要领是一种偷懒的要领,潜正在的伤害时当出现真真的通讯对接障碍(如逢到搞扰),变频器将不克不迭创造.四、统造通讲的树立:如果做Modbus通讯的手段只是是读与变频器的状态战变量,比圆输出频次,输出电流,障碍记录等,统造通讲是不必树立的.典型的状态参数天面为:如果Modbus通讯的手段是用去以上位机统造变频器的给定频次战/大概起停下令,则需要正在400-菜单中对于统造通讲举止树立.如果以上位机共时统造变频器的给定频次战起停下令,本去也不妨不搞树立.果为本本通讯便是劣先的:变频器一朝接支到去自Modbus的给定频次战起停(包罗正反转)指令,Modbus统造便起了主宰效用,除非抑造当天灵验.但是为了照应习惯用法,咱们不妨正在400-菜单中分别树立给定源战下令源,需要树立下列参数:图4将参数406树立为02, 将使给定通讲400战下令通讲407单独树立.比圆:将401树立为164,便以Modbus动做给定通讲,将407树立为10,便以Modbus动做起停通讲.当以Modbus动做给定通讲时,频次给定的变量天面为8502(16#2136),以0.1Hz为单位,称为LFRD.大概者使用变量天面8602(16#219A),以RPM(转每分)为单位,称为LFRD.五、鉴于IEC61800-7的变频器状态过程ATV303通讯统造时,下令字CMD的变量天面是8501(16#2135),大概8601(16#2199),前者以以8502搞频次给定,后者以8602搞速度给定.真时状态字ETA的变量天面皆是3201(16#0C81).CMD战ETA的接互闭系如图5.图5图中,下令字CMD的每一位的意思睹下表:表1比较有用的的下令字CMD睹下表:表2其余另有,反转指令CMD=16#080F, 停止指令CMD=16#010F状态字ETA的每一位的意思睹下表:表3为简朴起睹,咱们将状态字ETA位乘16#006F,掩盖掉某些位,称其为MSK,则典型的状态睹下表.表4比圆,要完毕如下统造央供:M218的本量模块的I0.0.0的降下沿开用ATV303, 以I0.0.1的下落沿使ATV303停机.根据上述接互状态表,以Somachine为支配仄台用ST谈话编写的例程为:图6五、通讯欣赏器(I/O Scanner)常常比较时常使用的写进的变量包罗:表5常常比较时常使用的读出的状态变量包罗:表6不妨瞅到,某些变量的逻辑天面本去不连绝,如果需要读与大概写进变量,需要多个读与战写进指令,那将效用通讯的效用.为此,ATV303树立了间接觅址读与慢冲区战间接觅址写进慢冲区.最先将要连绝读与的变量的逻辑天面依次设进参数705.0—705.3,将要连绝写进的变量的逻辑天面依次设进参数706.0—706.3.那样707.0—707.3(逻辑天面12741/16#31C5—12744/16#31C8)对于应的是读与的变量的映射,708.0—708.3(逻辑天面12761/16#31D9—12764/16#31DC)对于应的是写进的变量的映射.正在编写读与战写进参数的指令要领常常,按逻辑天面12741—12744战12761—12764挖进即可.表7。
ATV303 Modbus 通讯概要刘允松李平下面列出ATV303变频器做Modbus通讯时的要点和注意事项:一、RS485口定义ATV303集成RS485串行通讯口,并驻留Modbus RTU串行通讯协议,允许其与主流上位机通讯。
RS485口的物理形式是RJ45。
针脚排列定义如图1所示。
图1其中4和5是数据发送/接收口,也是Modbus通常使用的。
8是GND,在做Modbusbus通讯时通常要求接上,可以提高通讯质量。
7可以由变频器提供10V电源,用来外拉面板或某些型号的232/485的转换头使用。
此RJ45口除Modbus通讯外的其它用途:1.可以用来外拉面板(型号为VW3A1006);2.可以连接PC监控软件;3.可以连接简易参数下载器;4.可以连接多功能参数下载器。
二、通讯参数设置:通讯参数主要在通讯菜单700-中设置,主要有Modbus地址(站号),波特率,数据格式、超时等等。
图2另外ATV303的Modbus默认要求一旦数据开始读写,必须有连续的数据交换,变频器依据Modbus超时进行Consistency Check。
如果超过该时限没有接到数据交换指令,即判定串行连接故障。
因此必须对数据进行循环读或写。
另一种解决的方式是在故障管理菜单菜单中屏蔽串行连接故障,即将参数611设置为00.图3注意这种方法是一种偷懒的方法,潜在的危险时当出现真正的通讯连接故障(如遇到干扰),变频器将不能发现。
四、控制通道的设置:如果作Modbus通讯的目的仅仅是读取变频器的状态和变量,例如输出频率,输出电流,故障记录等,控制通道是不用设置的。
典型的状态参数地址为:如果Modbus通讯的目的是用来以上位机控制变频器的给定频率和/或起停命令,则需要在400-菜单中对控制通道进行设置。
如果以上位机同时控制变频器的给定频率和起停命令,其实也可以不做设置。
因为本来通讯就是优先的:变频器一旦接收到来自Modbus的给定频率和起停(包括正反转)指令,Modbus控制就起了主导作用,除非强迫本地有效。
本文研究的是触摸屏通过MODBUS RTU通讯协议与变频器通讯实现变频器的控制。
触摸屏采用威纶通TK6070IP,变频器用汇川MD380通用系列。
通过触摸屏编程软件,编辑控制画面实现变频器的启动、停止、速度调节、多段速速度设置,通过宏指令实现工程值与实际值的转换。
一、MODBUS RTU 简介:为了在自动化系统之间、自动化系统和所连接的分散的现场设备之间进行信息交换,如今串行现场总线被主要用作通讯系统。
成千上万的应用已经强烈地证明了通过使用现场总线技术,可以节省多至40%的接线、调试及维护的费用。
仅仅使用两根电线就可以传送现场设备的所有相关信息,比如输入和输出数据、参数、诊断数据。
过去使用的现场总线往往是制造商的特定现场总线,并且同其它现场总线不兼容。
如今使用的现场总线几乎是完全公开和标准化的。
这就意味者用户可以以最合理的价格选择最好的产品,而不用依赖于每个独立的制造商。
Modbus RTU是一种国际的、开放的现场总线标准。
作为一种很容易实现的现场总线协议,在全世界范围内,Modbus得到了成功的应用。
应用领域包括生产过程中的自动化、过程控制和楼宇自控。
MODBUS RTU通讯协议的报文如图1。
图1MODBUS RTU 通讯协议的报文功能码如下:01H 读取线圈状态。
从执行机构上读取线圈(单个位)的内容;02H 读取离散量输入。
从执行机构上读取离散量输入(多个位)的内容;03H 读取保持寄存器。
从执行机构上读取保持寄存器(16位字)的内容;04H 读取输入寄存器。
从执行机构上读取输入寄存器(16位字)的内容;05H 强置单线圈。
写数据到执行机构的线圈(单个位)为“通”(“1”)或“断”(“0”);06H 预置单寄存器。
写数据到执行机构的单个保持寄存器(16位字);0FH 强置多线圈。
写数据到执行机构的几个连续线圈(单个位)为“通”(“1”)或“断”(“0”);10H 预置多寄存器。
写数据到执行机构的几个连续的保持寄存器(16位字)。
施耐德变频器与维纶触摸屏MODBUS RTU通讯本变频器型号为ALTIVAR31,触摸屏型号为TK6070IP.
1.首先连接触摸屏与变频器之间的通讯线,变频器通讯端口是RJ45接口,用网线连接变频器与触摸屏进行通讯连接,
2.
3
变频器4脚接触摸屏2脚
变频器5脚接触摸屏1脚
软件设置维纶触摸屏:打开EB8000编程软件,进入系统参数设置页面,
选取施耐德modbus设置格式,端口,波特率,通讯格式,等,
设置完成后,再设置变频器侧参数:给定通道设置为ndb模式,
命令通道也设置为ndb模式:
通讯参数设置:
通讯参数必须与触摸屏侧设置一致,否则无法通讯。
触摸屏程序例子:
通讯地址设置参数;8501是命令参数设置地址,变频器启动设置为15,停止设置为6。
变频器频率写入地址是8502,设定频率读出地址是3202,输出频率读出地址是3203,变频器频率分辨率是0.1HZ,比如触摸屏输入200,变频器显示的就是20HZ,所以要在触摸屏里进行数据格式转换,转换后的触摸屏数据输入就和变频器里的频率一致了。
设置结束,触摸屏和变频器可以通讯了。
施耐德变频器与维纶触摸屏MODBUS RTU通讯本变频器型号为ALTIVAR31,触摸屏型号为TK6070IP.
1.首先连接触摸屏与变频器之间的通讯线,变频器通讯端口是RJ45接口,用网线连接变频器与触摸屏进行通讯连接,
2.
3
变频器4脚接触摸屏2脚
变频器5脚接触摸屏1脚
软件设置维纶触摸屏:打开EB8000编程软件,进入系统参数设置页面,
选取施耐德modbus设置格式,端口,波特率,通讯格式,等,
设置完成后,再设置变频器侧参数:给定通道设置为ndb模式,
命令通道也设置为ndb模式:
通讯参数设置:
通讯参数必须与触摸屏侧设置一致,否则无法通讯。
触摸屏程序例子:
通讯地址设置参数;8501是命令参数设置地址,变频器启动设置为15,停止设置为6。
变频器频率写入地址是8502,设定频率读出地址是3202,输出频率读出地址是3203,变频器频率分辨率是0.1HZ,比如触摸屏输入200,变频器显示的就是20HZ,所以要在触摸屏里进行数据格式转换,转换后的触摸屏数据输入就和变频器里的频率一致了。
设置结束,触摸屏和变频器可以通讯了。