全自动印刷品质量检测系统的在线检测
- 格式:ppt
- 大小:2.14 MB
- 文档页数:16
印刷在线套准测量系统1.印刷在线套准测量系统主要用途EE1000C印刷在线套准测量系统用于印刷套准在线测量,通过对印刷品上左右两边套准标记精确测量,计算出左右两边最大套印误差以及左右套准的倾斜度,实时将左右两边的套印误差及倾斜数值显示于显示器上,帮助印刷操作人员快速的将套准调整准确。
2.印刷在线套准测量系统主要性能、功能指标a.检测幅宽:100-1300mm。
b.最大检测速度:200m/min。
c.测量精度:0.02毫米。
d.实时显示左右两边最大套印误差。
e.实时显示左右两边的倾斜宽度、角度数值。
f.实时显示套印误差及倾斜测量曲线。
g.具有套印误差趋势分析功能。
h.具有检测记录功能。
i.可设定套准偏差、倾斜报警门限,超门限报警。
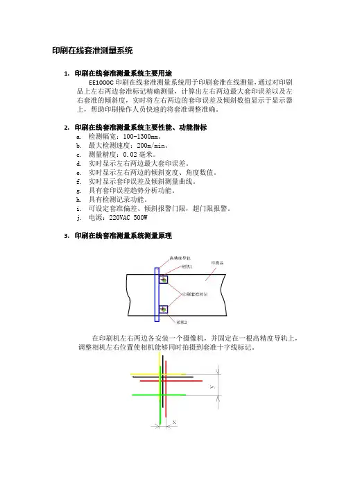
j.电源:220VAC500W3.印刷在线套准测量系统测量原理在印刷机左右两边各安装一个摄像机,并固定在一根高精度导轨上,调整相机左右位置使相机能够同时拍摄到套准十字线标记。
测量套准标记的纵横向x、y值,即为套准最大偏差。
测量两边的dx、dy值和输入两个相机之间的距离,即可算出倾斜角度。
4.印刷在线套准测量系统安装协调示意图5.印刷在线套准测量系统主要硬件组成序号名称型号产地数量1工业触控一体机深圳12相机Basler130万像素彩色工业相机德国23光源板圣瑞2 4IO卡EE1000BIO圣瑞1 5控制机箱6相机机箱圣瑞2 7编码器组件圣瑞1 8传感器组件圣瑞19安装架圣瑞110电缆圣瑞111报警器圣瑞1圣瑞智能科技(上海)有限公司。
印品缺陷在线检测技术的应用现状及发展趋势对于烟包印刷企业而言,传统的人工检测和离线检测技术不能对印品质量进行实时监控,且人工成本较高,生产浪费严重,因此印品缺陷在线检测技术应运而生。
为提高产品质量,降低废品率,减少生产浪费,我公司引进了一套印品缺陷在线检测系统,用于八色卷凹机的印刷缺陷检测。
下面,笔者就根据我公司的实际应用情况,谈一谈印品缺陷在线检测的技术优势、关键部件及发展趋势。
技术优势(1)印品缺陷在线检测技术可实现全程实时检测,发现缺陷问题时,系统会马上启动报警装置,操作人员可根据现场的实时报告,及时解决生产中出现的问题,减少废品产生。
自从我公司卷凹机上应用了印品缺陷在线检测系统,印品的废品率明显降低。
(2)生产效率大幅提升,检测精度高,能够检测出印品上极其细微的质量缺陷。
我公司采用的印品缺陷在线检测系统的检测误差可以达到±0.1mm。
(3)印品缺陷在线检测系统代替了人工检测,节省劳动力,而且可以实现从采集、匹配、计算到缺陷分类和报警的自动化操作,提高印品的稳定性和可靠性。
关键部件1.照明设备照明设备为被检测印品提供稳定一致的照度,保证图像采集设备采集的图像色调一致,灰度均匀,便于后续处理。
照明设备和照明方案的配合应尽可能地突出印品特征量,在印品需要检测的部分与那些不重要的部分之间应尽可能地产生明显区别,增加对比度。
2.图像采集设备图像采集设备采集被检测的印品图像信息,得到模拟信号,然后经过A/D转换器转换为数字信号,送入数字信号处理器进行后续处理。
目前常用的图像采集设备基本上都是CCD相机。
根据采集图像的规律,分为线阵CCD相机和面阵CCD相机。
线阵CCD相机每次采集一条水平横线上的图像,利用印品的快速垂直移动,通过定位装置的控制,每隔一定距离采集一次图像信息,最终组成一幅完整的印品图像;面阵CCD相机可一次性采集整幅印品图像,但结构复杂,精度较低,价格昂贵。
由于我公司对印品控制精度要求较高,因此选择线阵CCD相机作为图像采集设备。
现代印刷行业的自动化程度越来越高,印刷速度和印刷质量大大提高,印品质量的在线控制对印刷工艺管理、剔废和提高印品质量至关重要。
目前国内大多数的印刷品质量靠人眼离线检测,人眼可以发现的最小缺陷至少需要有20个灰度级差,而且尺寸不小于0.3mm ,但很难保持持续和稳定,容易产生疲劳。
离线检测中若发现问题时,高速印刷机已经产生了大量的废品,从而造成印刷材料和工时的浪费,生产效率低下。
因此,印刷品在线质量检测应运而生。
一、印刷品在线检测技术印刷品在线检测技术是在印刷过程中借助于联机的检测仪器对印刷品进行在线检测,并实时将信息通过反馈回路输送到中央控制台,从而自动调节相应的印刷机部件,实现对印刷品质量的在线控制,自动实现检测印品。
其原理如图一。
二、印品在线检测技术的优势印刷品的在线检测是将图像处理技术与印刷原理相结合而形成的一种适合高速印刷的全自动检测方法,它的优势主要表现在以下几个方面:①能够检测极细微缺陷。
在线检测能够轻而易举地发现0.1mm 大小的缺陷,且只需一个灰度级的差别就可以。
②不会损坏印刷品。
在线监测采用摄像头为传感器,不会与印刷品接触,因此不会损害印品的表面质量。
③提高了生产效率。
在线检测可以长时间连续检测,不会因为疲劳造成误检。
同时,在出现质量缺陷时,操作者可以根据现场中的实时报告,及时对工作中出现的问题进行解决,减少废品率,管理者也可以依据检测结果的分析报告,对生产过程进行跟踪,提升管理效益。
④全工艺:适应胶凹印、镭射、烫金、全息、荧光、水印等印刷工艺。
⑤在线检测系统的应用,还可以减轻工人的劳动强度,改善劳动条件等等。
三、印刷品在线检测系统1.印品的缺陷种类印品缺陷主要包括形状缺陷和颜色缺陷两种。
形状缺陷主要是指瑕疵、异物、污点、刀丝等,它表现为缺陷图像的缺陷处的灰度值与标准图像的差异。
将缺陷图像的灰度值同标准图像进行比较,判断其差值是否已经超出预先设定的阈值范围,就能判断该图像是否有形状缺陷。
基于机器视觉的印刷品表面质量(缺陷)在线检测系统(作者:李军单位:无锡创视新科技科技有限公司)随着科技日新月异的高速发展及互联网的急剧渗透,大量的信息不断充斥着人们的生活,以前所谓信息不对称的时代一去不复返,传统的软包装印刷业所面临的竞争更加惨烈。
只有两种途径能够寻求出路。
如果选择科技创新开发研究新材料,新印刷工艺,就需要大量人才和资金的投入,更需要时间。
往往还没有开始,就已经面临企业的倒闭。
如果选择和同行血拼价格进行搏杀,更非易事!毕竟任何企业都是要盈利的,否则也是死路一条。
还有一条血淋琳的现实是,价格搏杀的背后是客户对于印刷工艺及质量的要求越来越高,以及正反面的多色印刷、复杂的印刷工艺等给企业带来的巨大生产压力,企业不得已因此而增加品检人员的数量及工作成果的要求。
即使如此,客户的投诉及退单也依然越来越多,给企业带来了直接的经济损失。
那么我们如何使企业能够提升我们的产品出厂质量,降低客户投诉及退单,只是依靠品检人员的增加?但现阶段大部分企业表示,即使提供更高的工资,依然招人非常困难;即使品检人员充足,但是人检往往因为一时的疏漏或一些视角的局限会带来漏检。
基于机器视觉的印刷质量检测系统的出现,可以完全弥补人检所带来的一系列隐患,可以快速的提升企业的产品质量,降低客户投诉及退单,进一步提升企业的综合竞争力。
机器视觉系统的特点是提高生产的柔性和自动化程度。
在一些不适合于人工作业的危险工作环境或人工视觉难以满足要求的场合,常用机器视觉来替代人工视觉;同时在大批量工业生产过程中,用人工视觉检查产品质量效率低且精度不高,用机器视觉检测方法可以大大提高生产效率和生产的自动化程度。
而且机器视觉易于实现信息集成,是实现计算机集成制造的基础技术。
一个典型的工业机器视觉应用系统包括如下部分:光源,镜头,CCD照相机,图像处理单元(或图像捕获卡),图像处理软件,监视器,通讯/输入输出单元等。
首先采用摄像机获得被测目标的图像信号,然后通过A/ D转换变成数字信号传送给专用的图像处理系统,根据像素分布、亮度和颜色等信息,进行各种运算来抽取目标的特征,然后再根据预设的判别准则输出判断结果,去控制驱动执行机构进行相应处理。
印刷品质量的视觉在线检测方法研究摘要:本文首先介绍了印刷品质量的视觉在线检测方法的优点,然后分析了印刷品质量的视觉在线检测系统的构成,最后探讨了印刷品质量的视觉在线检测系统的工作原理。
关键词:印刷品质量;视觉在线检测系统;优点;构成;工作原理近年来,随着现代科技和信息水平的提高,无论从行业的要求上,还是人们的欣赏角度上,对印刷品的质量要求都越来越高。
目前国内大多数的印刷品质量检测主要依靠操作者根据工作经验和简单的仪器进行离线检测,该方法虽然简单灵活,但易受操作人员的经验和心理等因素的影响,精确性和稳定性较差。
并且离线检测中一旦发现问题,就已经产生了大量的废品,造成了一定的经济损失,同时也影响了生产效率。
为了获得高质量的印刷效果,减少成本损耗、节约人力,于是新的检测手段应运而生,即印刷品质量在线检测技术。
1 印刷品质量的视觉在线检测方法的优点如果印刷品质量采用人员控制,那么通常情况下,人都会受环境、心情等主客观因素影响,因此,人眼是无法连续、稳定地完成这些带有高度重复性和智能性的工作的,其它物理量传感器也难有用武之地。
随着科技的不断进步,在现代工业自动化生产中,越来越多的涉及到了各种各样的检验、生产监视及图像识别等多个应用领域。
由此人们开始考虑利用光电成像系统采集被控目标的图像,而后经由计算机或专用的图像处理模块进行数字化处理,根据图像的像素分布、亮度和颜色等信息,来进行尺寸、形状、颜色等的判别这样,就把计算机的快速性、可重复性,与人眼视觉的高度智能化和抽象能力结合起来了,由此产生了机器视觉的概念。
机器视觉是一项综合技术,其中包括数字图像处理技术、机械工程技术、控制技术、光源照明技术、光学成像技术、传感器技术、模拟与机器视觉技术、计算机软硬件技术、人机接口技术等一个成功的机器视觉系统是一个经过细致工程处理来满足一系列明确要求的系统,当这些要求完全确定后,这个系统就设计并建立来满足这些精确的要求,机器视觉的优点主要包括以下几点:1.1精度高作为一个精确测量仪器,设计优秀的视觉系统能够对一千个或更多部件的一个进行空间测量,因为此种测量不需要接触,所以对脆弱音阵件没有磨损和危险。