钻杆漏磁探伤系统
- 格式:docx
- 大小:311.01 KB
- 文档页数:2
钻杆在线探伤系统的信号检测与处理技术的开题报告一、选题背景与意义随着石油勘探开采的深入以及井深水平化的提高,钻杆探伤技术日益受到重视。
传统的钻杆探伤方式主要依靠人工观察钻杆表面的缺陷,存在漏检、误检的问题,并且对设备要求严格,操作繁琐。
钻杆在线探伤系统通过在钻杆上安装传感器来实现对钻杆表面和内部缺陷的检测,具有检测速度快、检测精度高、可靠性强等优点,可以有效减少人工巡检,在提高安全生产水平的同时提高勘探开采效率。
钻杆在线探伤系统的信号检测与处理技术是实现钻杆探伤的核心技术之一,其对系统的检测精度、检测速度以及数据处理能力等方面具有重要影响。
因此,对钻杆探伤系统的信号检测与处理技术进行深入研究和探索具有十分重要的意义。
二、研究内容与方法(一)研究内容对于钻杆在线探伤系统,本文将从信号检测和处理两个方面展开研究,具体研究内容包括:1. 钻杆在线探伤系统原理及结构的研究分析;2. 基于传感器的信号采集及数据储存技术的探讨;3. 钻杆表面腐蚀、拉伸性裂纹等异常情况的检测方法研究;4. 钻杆内部裂纹、疲劳寿命等故障的检测方法研究;5. 钻杆在线探伤信号的处理方法及算法实现。
(二)研究方法1. 理论研究:通过查阅相关文献资料,深入了解钻杆在线探伤系统的原理及结构,对目前存在的问题及研究热点进行分析和总结;2. 实验研究:选择具有代表性的样本,利用自行开发的在线探伤系统进行实验测试,并对钻杆在线探伤信号进行采集和处理,进而验证所提算法的可行性和有效性;3. 数值模拟研究:采用数值模拟方法构建钻杆在线探伤系统模型,模拟钻杆内部及表面缺陷情况,并进行信号仿真与处理。
三、预期成果1. 钻杆在线探伤系统的信号检测与处理技术的研究成果;2. 钻杆在线探伤系统原理及结构的深入了解与分析;3. 钻杆在线探伤信号的采集、处理方法和算法实现;4. 相关实验及仿真验证结果。
基于PLC的钻杆漏磁检测控制系统设计与应用钻杆是钻井工程中使用数量最多的钻具,在钻井过程中钻杆在井下受各种交变应力作用和钻井液的腐蚀冲刷,同时还有操作人员的使用不当,这些因素都有可能造成钻杆形成腐蚀坑、刺漏和机械损伤等缺陷。
缺陷的不断扩展容易造成钻杆的疲劳断裂引发钻井事故。
从而使钻杆成为整个石油钻井中安全性较为薄弱的环节,因此要对上井使用回收的钻杆进行检测、分级。
论文首先分析了钻杆的结构和服役环境,介绍了钻杆缺陷的几种形式,通过对无损检测技术和现代控制技术的研究,分析钻杆检测装置的二种运行方式,根据现场使用要求和检验标准,设计合适的检验流程并对检测装备进行布局,最终确定了钻杆漏磁检测系统的方案设计。
其次根据检测方案合理的设计各执行机构硬件结构及其控制方法,并对数据采集系统和总体PLC控制设计进行详细说明,通过各执行机构间相互配合实现钻杆漏磁检测系统的自动控制。
然后对下位机编程语言进行选择,描述了下位机PLC程序的设计思路,并对上位机监控软件的要求和设计方法进行说明,对其功
能和操作界面进行了介绍。
最后对钻杆漏磁检测系统进行现场调试运行,检验钻杆漏磁检测系统的结果和效果。
论文通过将漏磁检测和现代PLC控制技术,测量和信号处理等先进技术的结合,实现钻杆检测自动化并直观的将检测数据表现出来,显著提高了工作效率,并且具有测量数据准确,操作维护简单等优点。
通过现场实践证明,该检测系统使用方便、稳定可靠,可高效的检测钻杆缺陷,有效防止钻井事故的发生。
便携式钻杆漏磁检测装置
钻杆是钻井设备中的重要部件,但经常因缺陷而发生失效事故,导致巨大的经济损失,因此,研究现场堆放状态下钻杆的无损检测方法、研制便携式钻杆检测装置具有重要的意义。
在调研钻杆检测现状的基础上,本文首先分析了钻杆的结构特征、缺陷形式及其易发部位,提出了一种采用自驱式检测探头、配备检测辅助小车的漏磁检测方法,给出了便携式钻杆漏磁检测系统的设计方案,对检测的运动方案、工作原理及系统布局的可行性进行了论证。
针对钻杆的变径及其现场存放特点,深入研究了现场钻杆端部加厚过渡区及杆体一体化检测的有效方法,设计出一套自驱式钻杆漏磁检测探头,通过对线圈磁化原理、磁化器、探头靴组件、驱动装置的多种结构和功能比较,给出了多种方案的实验结果,实现了结构择优。
进一步地,对探头芯最佳检测姿态及其对检测信号的影响进行了分析,设计并实验研究了具有多个浮动自由度的探头芯,实现了方案的择优,阐述了减少检测盲区的途径。
结合研究的结果,系统阐述了钻杆检测装置的设计方法,减小了检测的盲区。
对系统检测总成、检测辅助小车及系统电气控制进行了设计,通过不断改进和现场应用,获得了较好的检测效果。
实践表明,便携式钻杆漏磁检测系统能够对现场钻杆进行及时快速地检测,具有检测效率高、机动、灵活性强的特点,已在单位得到了使用,评价较好。
在线钻杆端区漏磁检测系统的应用刘贤文;马金山;魏立明;边建杰;袁文飞;屈刚【摘要】介绍了钻杆漏磁检测工作原理、技术特点以及系统构成.针对钻杆端区的壁厚从21.5mm变化到9.17mm左右时,钻杆漏磁设备无法检测出钻杆加厚过渡区缺陷的问题,通过使用钻杆端区漏磁检测系统的直流双磁化器饱和磁化、差分检测探头获取漏磁信号的技术,解决了钻杆端区壁厚缩颈引起的信号干扰及信号幅值变化.结果表明,钻杆端区漏磁检测系统能可靠地检测出钻杆加厚过渡区的腐蚀坑、裂纹、卡瓦咬痕等缺陷,提高了钻杆加厚过渡区检测质量水平,防止了钻杆过渡区刺漏及断裂事故的发生.【期刊名称】《石油工业技术监督》【年(卷),期】2016(032)008【总页数】4页(P5-7,17)【关键词】钻杆端区;双磁化器;漏磁检测系统【作者】刘贤文;马金山;魏立明;边建杰;袁文飞;屈刚【作者单位】中国石油渤海钻探工程有限公司钻井技术服务公司天津300280;中国石油渤海钻探工程有限公司钻井技术服务公司天津300280;中国石油渤海钻探工程有限公司钻井技术服务公司天津300280;中国石油渤海钻探工程有限公司钻井技术服务公司天津300280;中国石油渤海钻探工程有限公司钻井技术服务公司天津300280;中国石油渤海钻探工程有限公司钻井技术服务公司天津300280【正文语种】中文钻杆在钻井过程中承受拉伸、扭转、振动和交变应力等多种载荷,经反复周转使用就会出现管体横向裂纹、内外壁腐蚀坑、卡瓦咬痕和拉伤等缺陷,如不及时检测就会发生钻杆刺漏及断裂事故。
钻杆无损检测一般采用漏磁和超声波检测方法,管体采用漏磁检测,加厚过渡区采用超声波检测。
由于分别采用两种检测钻杆方法,造成检测速度慢、检测效果差、操作不方便,有时会发生钻杆加厚过渡区漏检和误判的情况。
钻杆端区漏磁检测系统的直流双磁化器实现了加厚过渡区处于饱和磁化状态,并通过差分探头机构,解决了钻杆壁厚变化的信号干扰,保证了缺陷信号的准确性,实现了钻杆端区的自动检测,提高了钻杆加厚过渡区检测质量水平及准确率,杜绝了存在缺陷的钻具在钻井过程中造成井下钻具事故。
科技成果——钻杆、油管漏磁自动检测系统所属领域油气储运成果简介钻杆、油管安全运行关系国家利益。
钻杆、油管漏磁自动检测系统可以对在役钻杆、油管进行有效走动检测,包括横向裂纹,内外壁腐蚀、麻坑、刺穿、孔洞、拉伤和切痕等缺陷。
并且可以对管体壁厚的局部磨损和全长磨损可自动记录和显示。
以曲线形式显示出探伤结果,检测数据结果实现自动化过程。
应用范围本系统可以应用在钻杆、油管的生产和修复过程中,亦可以应用于井架的钻杆、油管在线使用过程中。
系统可对φ60.3、φ73、φ88.9、φ127mm的钻杆和油管进行管体检测,可有效检测出管体横向裂纹,内外壁腐蚀、麻坑、刺穿、孔洞、拉伤和切痕等缺陷。
横向缺陷探测系统的探头对于管体表面探测横向缺陷的霍尔传感覆盖面>120%;对管体壁厚的局部磨损和全长磨损可自动记录和显示。
技术特点本检测系统实现了自动化,检测速度快、工作效率高,具有性能稳定、检测灵敏度高及在线评价等特点。
本设备遵守国家标准GB/T12606-1999钢管漏磁探伤方法和石油天然气行业标准SY/T5824-93钻杆分级检验方法。
获奖情况钻杆、油管漏磁自动检测系统应用漏磁探伤原理,完成钻杆、油管的自动探伤。
系统由磁化部分、检测部分、计算机数据处理部分、退磁部分和机械部分组成。
漏磁检测系统将被测钢管磁化至饱和,当钢管存在裂纹、坑点、孔洞以及管壁厚变化时,将产生漏磁场,经探伤传感器获取,计算机探伤分析软件对缺陷信号进行分析、处理、评价,并以曲线形式显示出探伤结果,整个过程可以自动完成。
技术水平国际先进生产使用条件适用于各类钻杆、油管的生产和修复企业使用,适用于各种无缝钢管的在线探伤检测。
市场前景目前我国每年具有上百台的市场需求,市场容量达上亿元。
合作方式技术服务典型案例已应用于辽河油田。
常规钻具缺陷的井口漏磁探伤设备研制
在钻探过程中需要对钻具进行阶段性或临时性现场探伤检测,及早发现钻具缺陷,以避免出现井下钻具事故。
但目前采用的检测方式、技术能力不能满足实际需求。
常规钻具缺陷的井口漏磁探伤设备是利用起下钻作业的直线运动对钻具进行现场检测,可以减少钻具运回车间检测环节,缩短检测时间,能及时发现缺陷钻具,避免继续下井使用造成事故。
本文通过对钻具的失效情况的系统分析,总结归纳了各种钻具的缺陷形式及缺陷产生的原因。
调研了国内外钻具缺陷探伤的现状。
在此基础上确定了常规钻具缺陷井口漏磁探伤设备的结构。
提出了常规钻具缺陷井口探伤检测设备包含以下几个基本组成部分:检测系统、测控系统、行走系统。
根据检测设备的工作环境对各个系统的组成部分进行研究,确定了各系统的组成部件。
检测系统主要包括探头主体结构以及保证检测精度的钻具起出除泥装置,测控系统主要包括控制电路和微机控制系统。
行走系统主要由井口运移导轨、移动底座组成。
通过采用ANSYS分析软件,采用有限元仿真设计进行磁路设计和磁场分析,掌握磁性参数对探头检测灵敏度的影响规律,确定探头几何参数范围;采用正交优化实验进行探头结构尺寸优化,掌握结构参数对检测灵敏度的影响规律,确定探头最终结构尺寸。
研制的常规钻具缺陷的井口漏磁探伤设备实现了在钻井现场对钻具检测的目的,为及早发现钻具缺陷提供了一种有效的检测技术手段。
塔河工区漏磁检测技术与应用白马摘要:近年来,塔河工区9家管具公司均配置了钻杆漏磁探伤设备。
漏磁检测方法类似于磁粉探伤,利用工件被磁化到饱和状态后,工件中的缺陷就会向其体外泄漏磁场的原理来实现钻杆的探伤检测。
漏磁检测技术可用于检测钻杆外壁、内壁表面以及材质内部的各种伤,经过多年现场使用,产生了极好的效果,成为塔河工区钻杆检测的主要方式之一。
关键词:塔河工区漏磁探伤无损检测前言自从2001年工区引入第一批电磁检测设备之后,塔河工区内的9家管具公司逐步装备了钻杆漏磁探伤设备。
现场使用发现,漏磁检测对于钻杆壁厚减薄、管体裂纹、腐蚀坑等有较好的检测效果,与管体螺纹超声波检测、螺纹磁粉检测一起为工区内三项主要的无损检测形式,并成为判定钻杆降级的主要方式。
1.漏磁探伤原理漏磁检测(Magnetic Leakage Flux Testing)类似于磁粉探伤(MPI)。
当用一个或多个磁化器将钢管磁化到饱和状态后,钢管中存在的缺陷就会产生向其体外泄漏的磁场、磁力线或磁通量。
由磁敏感元件或部件探测,随后描述这些漏出来的磁场量后就得到了缺陷的检测信号。
这一过程就好象水管破裂、水花四溅,让人们发现了缺口,水花的高矮表明了裂口的大小,而管中水压越大则水花溅的就越高。
在漏磁检测中,饱和磁化是检测过程中必备的基本条件。
2.塔河工区漏磁检测应用目前工区内9家管具公司均已装备漏磁检测设备,如表1所示。
3.工区漏磁检测技术3.1钻杆缺陷漏磁检测以发现缺陷为目标,考虑到裂口的走向,在钻杆检测中,又可分为下列几种伤:横向伤——沿钻杆管体圆周方向的伤;纵向伤——平行于管体轴线方向的伤;斜向伤——其他方向上的伤;内伤——在管内壁上的伤;外伤——在管外壁上的伤。
针对被检测伤的特征,漏磁无损检测方法在实施中应该选用不同的检测方式和结构。
对横向伤,应采用沿钢管轴线方向磁化,并在管体圆周向布置磁测量元件的检测方法,在检测过程中钻杆穿过探头沿轴向运动,实现对缺陷部位的扫描和探测,这种方法被称为横向伤检测法(如图1所示);纵向伤在钻杆管体纵向分布,应该在钻杆圆周布置磁化磁场,而检测元件沿着钻杆轴向分布,这样,钻杆与探头相对旋转运动,探头对钻杆本体做周向扫描,这种方法叫做纵向伤检测法(如图2所示)[1]。
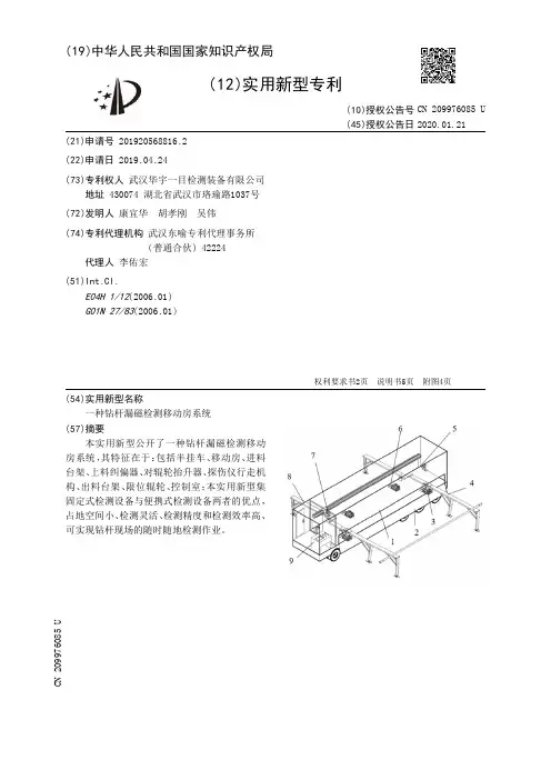
(19)中华人民共和国国家知识产权局(12)实用新型专利(10)授权公告号 (45)授权公告日 (21)申请号 201920568816.2(22)申请日 2019.04.24(73)专利权人 武汉华宇一目检测装备有限公司地址 430074 湖北省武汉市珞瑜路1037号(72)发明人 康宜华 胡孝刚 吴伟 (74)专利代理机构 武汉东喻专利代理事务所(普通合伙) 42224代理人 李佑宏(51)Int.Cl.E04H 1/12(2006.01)G01N 27/83(2006.01)(54)实用新型名称一种钻杆漏磁检测移动房系统(57)摘要本实用新型公开了一种钻杆漏磁检测移动房系统,其特征在于:包括半挂车、移动房、进料台架、上料纠偏器、对辊轮抬升器、探伤仪行走机构、出料台架、限位辊轮、控制室;本实用新型集固定式检测设备与便携式检测设备两者的优点,占地空间小、检测灵活、检测精度和检测效率高、可实现钻杆现场的随时随地检测作业。
权利要求书2页 说明书5页 附图4页CN 209976085 U 2020.01.21C N 209976085U权 利 要 求 书1/2页CN 209976085 U1.一种钻杆漏磁检测移动房系统,其特征在于:包括半挂车、移动房、进料台架、上料纠偏器、对辊轮抬升器、探伤仪行走机构、出料台架、限位辊轮、控制室;所述移动房前后两侧的底部各开一个矩形口作为钻杆的进出口,移动房固定在半壁挂车上;所述进料台架、出料台架分别有2个,均与移动房底部固定连接,分别设置在移动房钻杆进口、钻杆出口两侧,且均为折叠式台架;所述上料纠偏器有2个,分别与进料台架固定连接,对齐设置在钻杆进口处;所述对辊轮抬升器有2个,分别与移动房固定连接,对齐设置在进料台架箱内端处的检测工位,分别设置在靠近钻杆出口两端的内侧;所述探伤仪行走机构与移动房后壁固定连接,设置在钻杆出口上方;所述限位辊轮有2个,分别与移动房底部固定连接,设置在探伤仪检测工位线上,分布在出料口两端外侧;所述控制室位于移动房一侧的独立隔间,内部放置控制台及供电系统。
井口钻杆漏磁检测方法与仪器
钻杆是钻柱的基本组成部分,其服役的过程中承受着拉、压、扭、弯曲等各种复杂的交变应力载荷,同时还会受到各种介质的腐蚀,极易产生裂纹、刺穿和磨损等缺陷,降低钻杆强度,严重时发生钻井事故。
缺陷的及时检测及钻杆的合理报废,不仅能够减少钻井事故,还能延长钻杆使用寿命,具有重大的工程实际意义。
为此,本文开展了井口钻杆漏磁检测方法与仪器研究。
对钻杆结构和管体常见缺陷进行分析,提出了基于直流线圈磁化的井口钻杆漏磁检测方法。
根据钻杆起钻的实际工艺流程,设计了井口钻杆漏磁检测的总体方案,分析了井口钻杆检测的难点。
运用ANSYS仿真对单励磁线圈参数和双励磁线圈间距进行优化设计,得到了满足井口钻杆漏磁检测的励磁线圈。
通过ANSYS仿真得到了缺陷漏磁场的轴向、径向分量特征以及提离特征,选取径向分量作为井口钻杆漏磁检测的测量标准。
通过实验研究,设计了适合井口钻杆检测的漏磁传感器,提出了双排布置相邻串联的阵列传感器结构,该阵列结构能够增大检测信号的幅值,保证检测信号的一致性。
结合井口钻杆检测实际需求,设计了井口钻杆漏磁检测仪器的机械结构和信号处理采集系统,包括探头跟踪机构和励磁线圈及其安装机构、信号调理电路与信号采集器。
现场实验测试结果表明,本文设计的井口钻杆漏磁检测仪能够检测出API Spec5D所规定的最小标准人工缺陷,检测信号的一致性优于
GB/T12606-1999所规定的参数要求。
钻杆的漏磁检测
钻杆属于薄壁管,在钻井过程中承受轴向力、弯矩、离心力、扭转力以及动载的作用,工况前提极其恶劣。
特别是深井、斜井,钻杆中微小的缺陷就可能导致井下钻具事故。
跟着钻井技术的不断发展,为进步机械钻速,井下动力钻具的使用增多,钻柱转速进步,对钻杆质量的要求也越来越高。
一、钻杆探伤技术现状及漏磁检测技术的特点
油田目前通常采用的超声波和磁粉探伤,只能检测钻杆螺纹,不能检测管体。
管体检测则靠检测职员观察管体外壁有无刺穿和严峻外伤(划槽、焊疤、侵蚀坑等)。
壁厚检测则是使用CTS-22型单点测厚仪,在跟两端接头各1.5m处和管体
中间三个部位的周向一共要取12个点测厚。
上述检测方法无法达到钻杆管体探伤要求,易产生漏检。
漏磁检测技术是近年来新发展起来的无损探伤技术,原理与磁粉探伤相同,不仅能对钻杆管体进行全面检测,而且可以利用电子技术获得直观的量化检测结果。
它检测正确、速度快,尤其适合于大批量钻杆的检测工作。
二、漏磁检测技术装置的工作原理及影响检测精度的因素
漏磁探伤机系统能完成管体内外部横向缺陷检测、管体壁厚检测和钢级比较鉴别。
系统采取探头固定、钻杆前进的工作方式,利用在探头前方的固定磁化线圈产生的高能磁场将钻杆磁化到饱和或近饱和状态。
钻杆假如存在缺陷或壁厚损失,则泛起磁场泄漏,探头经由期可检测到磁场变化,并通过A/D转换为数字信号,经计算机处理成为直观的图形。
南京博克纳自动化系统有限公司
NANJING BKN AUTOMATION SYSTEM CO., LTD 检测对象:钻杆
规格:直径Φ73/Φ89 mm , 长度9.6m 左右. 检测速度:6-20米/分钟
验收标准:美国石油协会API检测标准
南京博克纳自动化系统有限公司 主要技术指标
1)钻杆检测方式:钻杆直线前进,检测总成固定不动;
2)检测范围:Φ60-Φ168钻杆;
3)传送系统速度:6-20米/分钟;变频可调;
4)检测方式:自动上料、自动检测、自动分选;
5)孔洞检测灵敏度:Φ1.6mm通孔(采用8孔标定);
6)截面积测量精度:2-4%;
7)位置分辨精度:20mm;
8)检测盲区:≤100mm(钻杆管体);
9)误报警率:≤0.5%;
10)退磁后剩磁强度:≤10GS;
11)内外表面覆盖率:100%;
12)设备使用环境:
工作温度:40度-零下50度;
工作湿度:0-95%;。