20T-25.5m单梁计算
- 格式:doc
- 大小:283.00 KB
- 文档页数:11
通用桥式起重机计算书(QD20/5t-17.5m)编制:批准:中国起重机械计算书第一部分主梁设计计算一、主梁设计计算1、主要参数:起重量Q=20/5t 工作级别A5跨度LK=17.5m小车总重Gxc=7598t ρ2、主梁截面形状尺寸:上盖板δ=10mm 材料Q235-B下盖板δ=10mm 材料Q235-B腹板δ1=10mm 材料Q235-B腹板δ2=10mm 材料Q235-B腹板间距b=440mm腹板高h0=1100mm3、主梁截面性质:(1)主梁截面面积S=500*10*2+1100*6*2=23200mm2(2)半个桥架的质量:设加筋肋系数K=1.1Gqj=K*ρ*S*Lk=1.1*7.85*10-6*23200*17500=3506kg(3)主梁均布载荷集度q=3506/17500=0.2.kg/mm(4)主梁形心位置的确定X0=226mmY0=560mmXmax=560mmYmax=226mm(5)主梁截面惯性矩的确定对于X轴Ix=(500*103/12+500*10*5052)*2+(6*10003/12)*2=0.44×1010mm4对于Y轴Iy=(10*5003/12)*2+(1000*63/12+1000*6*2232)*2=8.04×108mm4(6)主梁截面对X轴Y轴的抗弯模数对于X轴Wxmin=Ix/Xmax=0.44×1010/560=7.86×106mm3对于Y轴Wymin=Iy/Ymax=8.04×108/226=3.56×106mm34、作用于主梁上的载荷及内力计算Ⅰ:按载荷组合IIa计算桥架重量Gqj=1.0×Gqj=3506kg小车重量Gxc=1.0×Gxc=7598kg起升载荷Qq=ΨII×Qq=1.25×(20000+468)=25585kg ΨII取1.2(水平惯性载荷Pgy不考虑)(1)小车轮压的计算Bx=2600mm b1=1231mm b2=1329mmP 1=Qq/2×b2/Bx+Gxc/4 (代入相应数值)=8438kgP 2Qq/2×b1/Bx+Gxc/4 (代入相应数值)=7956kg(2)当四轮小车作用于桥架时,主梁最大的弯距截面处距A点的距离:X=[p1+p2(1-Bx/Lk)+qLk]/[2×(p1+p2)/ Lk+q] (代入相应数值)(3)由垂直载荷在主梁上产生的最大弯矩为:M c max=[p1+p2(1-Bx/Lk)+qLk]2/[2×(p1+p2)/ Lk+q]+Mg(代入相应数值) =1.004×108 kg.mmMg=RaX----有固定集中静载荷(操纵室Gc、运行机构Gy、电气设备Gd)在主梁应力最大截面处产生的弯距:Mg=RaX=3.1×107kg.mmRa-----由操纵室、运行机构、电气设备的重量产生的支反力Gc=1500kg L1=2100mmGc=1204kg L1=800mmGc=1771kg L1=5000mmRa=[ Gc×(Lk-L1)+Gy×Lk+Gd×Lk/2]/ Lk(代入相应数值)=3789kg(4)当p1作用于A点处时,A端最大切力:Vamax=p1+p2(1-Bx/Lk)+Ra (代入相应数值)=22506.97kgⅡ: 按载荷组合IIb计算桥架重量Gqj=KII×Gqj=3856.6kg小车重量Gxc=KII×Gxc=8358kg起升载荷Qq=KII ×Qq= 22515kg KII取1.1(水平惯性载荷Pgy按Pgy max考虑)(1) 小车轮压的计算Bx=2600mm b1=1231mm b2=1329mmP 1=Qq/2×b2/Bx+Gxc/4 (代入相应数值)=7844kgP 2Qq/2×b1/Bx+Gxc/4 (代入相应数值)=7419kg(2)当四轮小车作用于桥架时,主梁的最大弯距截面处距A点的距离:X=[p1+p2(1-Bx/Lk)+qLk]/[2×(p1+p2)/ Lk+q] (代入相应数值)=8275mm(3) 由垂直载荷在主梁上产生的最大弯矩为:M c max=[p1+p2(1-Bx/Lk)+qLk]2/[2×(p1+p2)/ Lk+q]+Mg(代入相应数值) =1.01×108kg.mmMg=RaX----有固定集中静载荷(操纵室Gc、运行机构Gy、电气设备Gd)在主梁应力最大截面处产生的弯距:Mg=RaX=3.45×107kg.mmRa-----由操纵室、运行机构、电气设备的重量产生的支反力Gc=1500kg L1=2100mmGc=1204kg L1=800mmGc=1771kg L1=5000mmRa=[ Gc×(Lk-L1)+Gy×Lk+Gd×Lk/2]/ Lk(代入相应数值)=3789kg考虑冲击系数影响Ra= KII×Ra=1.1×3789=4167.9kg(3) 桥架运行产生的水平惯性载荷在两主梁上平均分布,当正常制动时作用在每根主梁上的弯距为;M s=0.8×M c max×aqj/g (代入相应数值)=0.8×1.01×108×0.2/9.8=1.65×106kg.mm当猛烈制动时M s将增加一倍M s max=2*M s=3.3×106kg.mm5、主梁强度效核对本起重机主梁均按Ⅱ类载荷进行强度计算.Q235-B设计许用应力 [ a ]II=1600kg/cm2剪切许用应力 [ r ]II=900kg/cm2挤压许用应力 [ajy]II=1700kg/cm2(1)按载荷组合IIa计算IIa amax=M c max/Wxmin (代入相应数值)=1.004×108/7.861×106=12.77kg/mm2=1378kg/cm2 < [a]当p1作用于A点处时跨端腹板剪应力r最大r=Vmax/0.7hlf=22506.97/0.7×6×(650-20)×2=4.253 kg/mm2=425.3 kg/mm2 < [r]强度校核通过.6、主梁的钢度校核(1)主梁静钢度计算Fmax=p1×Lk3[1+a(1-6β2)]÷48Eix≤[f] 其中a=p2/p1<1=6745/7131=0.946Bx=2600mm b1=1231mm b2=1329mmP 1=Qq/2×b2/Bx+Gxc/4 (代入相应数值)Qq=20468kg Gxc=7598kg=7131kgP 2Qq/2×b1/Bx+Gxc/4 (代入相应数值)=6745kgβ=Bx/ Lk=2600/17500=0.1486Bx----小车轮距[f]=1/1000Lk=17.5mmf=7131×175003×[1+0.946×(1-6×0.14862)]÷[48×2.1×104×0.44×1010] =15.69mm < [f]主梁静钢度通过二、起升机构计算1、主起升机构计算(1)主要参数工作级别 M5起升载荷 Qq=20000+468=20468kg (吊钩重量 q=468kg)滑轮倍率 a=4起升速度 V=9.12m/min(2)选用钢丝绳型号钢丝绳所受拉力 S=Qq/2a*Л=20468/2*4*0.97=2637.6kgЛ=0.97钢丝绳破断拉力SpSp≥ns×s=6×2637.6=15825.6kgNs=6Sp=0.85*soSo=18618.4kg结果:选钢丝绳型号6W(19)-17.5-155-Ⅰ钢丝绳破断拉力So=19850Kg钢丝绳直径 ds=17.5mm卷筒计算直径 Dj=el*ds=25×17.5=437.5mmel=25取标准卷筒系列 Dj=500mm Djs=500+17.5=517.5mm起升速度(3)电动机的选择按静功率初选电动机Nj=Qq*v/6120*Л=20468×9.12/6120×0.9=33.89kwЛ=0.9电动机额定功率 Ne≥kg*Nj (考虑惯性力的影响kg=0.7)=0.7×33.89=23.72kw选用电机型号:YZR225M-8(25%)电机额定功率:Ne=26kw电机转速: nz=708rpm(4)减速机的选择计算减速机速比:i=3.14*nz*Djs/a*v=40.17取标准速比i=40.17v1= nz*3.14* Djs/a*i=9.13△ =[( v1-v)/v]*100%=0.1%<10%起升速度验算在误差范围内按疲劳计算减速机Nhs=Ψhs*Ne25=1.05×26=27.3kwΨhs=1.05强度校核按输出扭矩Tmax=S×Djs=2637.6×0.5175=1318.8kg.m(考虑动力系数的影响ΨII=1.45)(考虑动力系数的影响ΨII=1.45)Tmax=1912.3kg.m最大径向力校核强度Rmax=(2s+Njt)/2=3202.5kg(考虑动力系数的影响ΨII=1.45)Rmax=4644kg减速机型号:ZQ650 速比:40.17(I=40.17时减速机容许输入功率29kw输出轴容许最大扭矩5950kgm最大径向载荷9250kg)验算合格(5)制动器的选择支持载荷所需的制动力矩MzMz=ns*Qq*Djs*Л/2a*i=1.75×20468×0.5175×0.9/(2×4×31.5)=66.2kg.m=662N.m≤Mez(Mez取1600N.m)Ns=1.75 Л=0.9Mez----制动器额定制动力矩制动器型号:YWZ-400 制动力矩:1×1600 N.m(6)卷筒计算Dj=500mm=0.5mDjs=517.5mm=0.5175m查取绳槽节距P=20mmDn=456mmδ=(Dj-Dn)/2=22mm起升高度H=16m安全圈数L1=n*P=40mm(安全圈数n不小于2,取2)固定钢丝绳2L2=2*3*P=120mm=120mm光滑面L光滑螺旋槽部分2L0=2a*H*P/3.14*Djs=1575卷筒长度L=2L0+L1+2L2+L光滑=1575+40+120+120=1855mm考虑两端留有一定的退刀余量取L=2000mm卷筒压应力验算σy=ξ*ΨII*S/δ*P(1-δ/Dj)=1.0×1.45×2637.6/22×20×(1-10/500) =9.05kg/mm2<[σy]ξ=1.0Ψ=1.45σy=75kg/ mm2[σy]= σy/5=15 kg/ mm2卷筒壁抗压强度验算合格L=2000>3D=1500故需验算弯曲的影响σ1=Mw/W+{[σy]/ [σy]}*σy1=ΨII*S*[(L-L)/2]/[0.1(Dj4-Dn4)/Dj]光滑+[(σb/5)/ (σb/5)]*[ ξ*ΨII*S/δ*P*(1-δ/Dj)]=3.95 kg/ mm2<[σ1]σb=25 kg/ mm2[σ1]= σb/5=5 kg/ mm2卷筒受合成拉应力验算合格2、参照主起升的计算过程副起升机构计算副起升机构(1) 主要参数工作级别 M5起升载荷 Qq=5000+102=5102kg (吊钩重量 q=102kg) 滑轮倍率 a=2起升速度 V=19.7m/min(2) 选用钢丝绳型号钢丝绳所受拉力 S=Qq/2a*Л=5102/2*2*0.99=1288.4kgЛ=0.99钢丝绳破断拉力SpSp≥ns×s=5.5×1288.4=7086kgNs=5.5Sp=0.85*soSo=8336.7.4kg结果:选钢丝绳型号6W(19)-13.5-155-Ⅰ钢丝绳破断拉力So=11500Kg钢丝绳直径 ds=13.5mm卷筒计算直径 Dj=el*ds=25×13.5=337.5mmel=25取标准卷筒系列 Dj=400mm Djs=400+13.5=413.5mm(3)电动机的选择按静功率初选电动机Nj=Qq*v/6120*Л=5102×19.7/6120×0.9=18.24kwЛ=0.9电动机额定功率 Ne≥kg*Nj (考虑惯性力的影响kg=0.8)=0.8×18.24=14.6kw选用电机型号:YZR180L-6(25%)电机额定功率:Ne=17kw电机转速: nz=946rpm(4)减速机的选择计算减速机速比:i=3.14*nz*Djs/a*v=31.53取标准速比i=31.5v1= nz*3.14* Djs/a*i=9.13△ =[( v1-v)/v]*100%=0.1%<10%起升速度验算在误差范围内按疲劳计算减速机Nhs=Ψhs*Ne25=1.05×26=27.3kwΨhs=1.05强度校核按输出扭矩Tmax=S×Djs=2637.6×0.5175=1318.8kg.m(考虑动力系数的影响ΨII=1.45)(考虑动力系数的影响ΨII=1.45)Tmax=1912.3kg.m最大径向力校核强度Rmax=(2s+Njt)/2=3202.5kg(考虑动力系数的影响ΨII=1.45)Rmax=4644kg减速机型号:ZQ500 速比:31.5(I=31.5时减速机容许输入功率29kw输出轴容许最大扭矩5950kgm最大径向载荷9250kg)验算合格(5)制动器的选择支持载荷所需的制动力矩MzMz=ns*Qq*Djs*Л/2a*i=1.75×5102×0.5175×0.9/(2×4×31.5)=21.2kg.m=212N.m≤Mez(Mez取800N.m)Ns=1.75 Л=0.9Mez----制动器额定制动力矩制动器型号:YWZ-200 制动力矩:1×800 N.m三、小车运行机构计算(1)主要参数起升载荷Qq=20468kg小车自重G=7598kg车轮直径D=35cm轴承直径d=10cm电机数目m=1运行速度V=44.2m/min(2)阻力的计算摩擦阻力Pm max=(Qq+G)×(2u+df)/D×Kf (代入相应数值)=384.9kgKf=1.6 Kp=0.002 u=0.05 f=0.02 d=10 D=35Pm max=(2u+df)/D=240.6kg坡度阻力Pp=(Qq+G)×Kp (代入相应数值)=56.1kgKp=0.002Pj=Pm max+Pp=441kg(3)满载运行时电机静功率Nj=Pj*v/6120*Л=441×44.2/6120×0.9=3.54kw由于起动加速过程惯性力的影响,电动机的应选功率为:N=Kg*Nj=1.1×3.54=3.89kw(Kg=1.1)-6 (25%)选用电动机型号:YZR132M2电机额定功率Ne=4kw电机转速 nz=900ypm(4)减速机的计算速比计算:i=3.14*nz*D/v=22.38取标准速比i=22.4v1= nz*3.14* D/i=44.16rpm△ =[( v1-v)/v]*100%=0.1%<10%运行速度验算在误差范围内按疲劳计算减速机Nhs=Ψhs*Ne25=1.4ξ×4=5.26kwG/(G+Qq)=7598/(7598+20648)=0.27<0.3查取修正系数ξ=0.94按强度计算减速机输出轴上的最大扭矩Mmax=Ψhs*Me25*i*Л=2.3×975×4/900×22.4×0.9=200.9kgm选用减速机型号:ZSC-400 速比:22.4(i=22.4时减速机容许输入功率2.8kw)验算合格(5)制动器的选择所选制动器应使起重机在满载、下坡情况下停车所需制动力矩Mz=Ms+1/tz[1.2*GD*n*m/375+0.975(Qq+G)v2/n]Ms=pjs*D*Л/2i=-184.5×0.35×0.9/(2×22.4)=-1.297kgPjs=Pp-Pm min=-184.5kgGD2=0.28kgm2 v=0.74m/sec n=900 tz取5secMz=-1.297+3.13=1.84kgm=18.4n.m选用一台制动器选用制动器型号:YWZ-200/25 制动力矩:200N.m三、大车运行机构计算机构按跨度分为两种,跨度≤22.5m为第一种,≥22.5m为第二种.参数按≥22.5m时取(1)主要参数起升载荷Qq=20468kg小车自重G=40329kg车轮直径D=60cm轴承直径d=10cm电机数目m=2运行速度V=75.27m/min(2)阻力的计算摩擦阻力Pm max=(Qq+G)×(2u+df)/D×Kf (代入相应数值)=547.2kgKf=1.5 u=0.08 f=0.02Pm max=(2u+df)/D=364.8kg坡度阻力Pp=(Qq+G)×Kp (代入相应数值)=60.8kgKp=0.001Pj=Pm max+Pp=608kg(3)满载运行时一个电机静功率Nj=Pj*v/6120*Л=4.15kw由于起动加速过程惯性力的影响,一个电动机的应选功率为:N=Kg*Nj=1.5×4.15=6.23kw (Kg=1.5)选用电动机型号:YZR160M-6 (25%)1电机额定功率Ne=6.3kw电机转速 nz=921ypm(4)减速机的计算速比计算:i=3.14*nz*D/v=23.05v1= nz*3.14* D/i=75.28rpm△ =[( v1-v)/v]*100%=0.1%<10%运行速度验算在误差范围内按疲劳计算减速机Nhs=Ψhs*Ne25=1.4ξ×6.3=10.32kwG/(G+Qq)=40329/(40329+20648)=0.66查取修正系数ξ=1.17按强度计算减速机输出轴上的最大扭矩Mmax=Ψhs*Me25*i*Л=2.3×975×6.3/921×23.05×0.9=318.2kgm选用减速机型号:ZQ-350 速比:23.05(i=23.05时减速机容许输入功率7.2kw)验算合格(5)制动器的选择所选制动器应使起重机在满载、下坡情况下停车所需制动力矩Mz=Ms+1/tz[1.2*GD*n*m/375+0.975(Qq+G)v2/n]Ms=pjs*D*Л/2i=-304×0.6/(2×23.05)=-3.56kgPjs=Pp-Pm min=-304kgGD2=0.48kgm2 v=1.25m/sec n=921 tz取5secMz=-3.56+18.8=15.2kgm=152n.m选用一台制动器选用制动器型号:YWZ-200 制动力矩:2×200N.m。
摘要桥式起重机的梁有多种结构,本设计采用箱形双梁结构。
主梁跨度25.5m ,是由上、下盖板和两块垂直的腹板组成封闭箱形截面实体板梁连接。
因本设计的起重量比较大,故主梁内部设置横纵加劲板,以保证主梁桥架受载后的稳定性。
端梁部分在起重机中有着重要的作用,它是承载平移运输的关键部件。
端梁部分是由车轮组合端梁架组成,端梁部分主要有上盖板,腹板和下盖板组成;端梁是由两段通过连接板和角钢用高强螺栓连接而成。
在端梁的内部设有加强筋,以保证端梁架受载后的稳定性。
本设计大车运行机构部分采用分别驱动,分别驱动省去了中间部分的传动轴,使得质量减轻,尺寸减小。
分别驱动的结构不因主梁的变形而在大车传动性机能方面受到影响,从而保证了运行机构多方面的可靠性。
所以,大车运行机构采用分别驱动。
设计中参考了各种资料, 运用各种途径, 努力利用各种条件来完成此次设计。
本设计通过反复斟酌各种设计方案, 认真讨论, 不断反复校核, 力求设计合理;通过采取计算机辅助设计方法以及参考前人的先进经验, 力求有所创新;通过计算机辅助设计方法, 绘图和设计计算都充分发挥计算机的强大辅助功能, 力求设计高效。
关键词:箱形双梁桥式起重机主梁端梁ABSTRACTThe beam has a variety of structure of bridge crane,This design uses the box beam structure. Girder span 25.5 m, is composed of upper and lower cover plate and two vertical web form closed entity board box section beam connection. Because the weight is large since the design of main girder internal setting transverse and longitudinal stiffening plate, to ensure the stability of the main girder bridge frame after loading.Beam section has an important role in the crane, it is the key of the carrying truck transportation parts. Beam section is made up by the wheels of side beams, beam of a cover plate, web plate and the lower cover plate; Beam is made up of two paragraphs by connecting plate and Angle iron with high strength bolt connection and into. In the end beam with internal stiffeners, to ensure the stability of side beams after loading.This part adopts respectively drive design supporting institutions, respectively to drive out the middle part of the drive shaft, make the quality to reduce, reduce the size. Respectively drive structure is not due to deformation of the girder in cart driving function of sex is affected, thus ensuring the reliability of the operation aspects. So, cart running mechanism driven by respectively.Reference in the design of various materials, using various channels, trying to use a variety of conditions to complete the design. This design through a premade each kind of design scheme of serious discussion, is repeated, strive to design reasonable; By adopting the computer aided design method and reference the advanced experience of predecessors, makes every effort to innovate; By the method of computer aided design, drawing and design calculation are powerful auxiliary function to give full play to the computer, to design high efficiency.KEY WORDS: box double beam bridge crane main beam below beam目录第1章前言 (1)1.1 概述 (1)1.2我国的发展前景 (2)第2章总体设计 (5)2.1起重机的总体设计 (5)2.2选择确定总体参数 (6)2.3主要尺寸的确定 (6)2.4 主、端梁的连接 (7)第3章主要部分的计算 (9)3.1 主梁的计算 (9)3.2 端梁的计算 (18)3.3 主要焊缝的计算 (23)第4章大车运行机构的计算 (26)4.1 确定机构的传动方案 (26)4.2 车轮材料的选择 (28)4.3 车轮强度验算 (29)4.4 运行阻力计算 (30)4.5 电动机的计算 (30)4.6 减速器的选择 (31)4.7验算启动时间 (32)4.8选择制动器 (34)4.9疲劳强度验算 (35)第5章毕业设计小节 (37)参考文献 (38)附:英文原文英文翻译毕业实习报告指导教师:cm)计算主梁水平最大弯矩:g—重力加速度,9.81g =cmcmcm主梁中间截面的最大弯曲应力根据公式(()G+P gmax maxM +[]2Sτδ∏≤ )G+P —主梁支撑截面所受的最大剪力,由公式)计算:gmax2M =11960=2由此可得:3⨯⎣7300025501⎡=50002由此可得:⨯4200255012076939018.6910a N cm=⨯=⨯参考书【3】P150公式7-29zmax18.69 M=1a —车轮侧向载荷,由参考书【计算;cm 制动惯性载荷作用下而产生的最cm两值,应取其中较大值进行强度计算 Pmax M5274.62=端梁中间截面对垂直重心线50 1.267.6⨯+11''x ya S a W W +x 247253.6184611S δ=端梁支撑截面对水平重心线面积距的计算如下,首先求水平重心线的位置。
MH10-28 A3门式起重机计算说明书计算:审核:批准年月日LH50/16-19.57A6桥式起重机一、主梁设计计算1、主要参数起重量:50/16t跨度:19.57m轮距:4.252m粗选主梁截面:上下盖板δ=15.5mm 材料:Q235B腹板δ=5.65mm 材料:Q235B腹板δ=5.65mm 材料:Q235B两腹板中心距: 440mm主梁腹板高: 1150mm2、主梁刚度计算:主梁截面性质:主梁截面面积:S=500*15.5*2+1150*5.65*2=28495主梁质量:m=k*p*s*1m=1.4*7.85*10-6*28495*19570=6128kg主梁均布载荷集度Fq=p*g*k*l=7.85*10-6*9.8*1.4*19570=21.07N/mm主梁形心位置的确定形心为几何中心主梁惯心距的确定对于X轴:I Y=2*(500*5.653/12+500*5.65*1752)+2*(15.5*11503/12)=26*108mm4对于Y轴:I Y=2*(5.65*5003/12)+2*(1150*15.53/12+1150*15.5*1502) =20*108mm43、跨中截面的最大应力计算:MC1max=(p1+p2)LK(1-2b1/Lk)/4 改动到此=45*103*19570*(1-2*4400/19570)/4=79*107N·mm MC2max=Fq[LK(LK-X)]/2+RaXφ=1*4750*4750/2+3.9*106=15.2*106N·mm则:MC max= MC2max+ MC1max=72.2*106N·mmMS max=0.8* MS max*Aqj/g=0.8*72.2*106*0.12/9.8=2.13*106N·mm4、强度校核对于所有级别的起重机按Ⅱ类载荷进行强度校核σmax=Mcmax/Wxmin+2Msmax/Wy=72.2*106*175/1.3*108+2*1.42*106*150/1*108mm4 =101.46N/mm2σΨ=0.1σmax=10.146N/mm2σω=0.5σmax=5.073 N/mm2σ=1.15(σmax+σΨ+σω)=134.2 N/mm2σm=p/Cσ1= 21*103/(50+2*30)*5=38.2 N/mm2σ0=101.46 N/mm2考虑约束扭转核约束弯曲应力及各种动载冲击系数,一系数计入:σzk=1.15(σ02+σm2-σ0σm)0.5=1.15(101.46²+38.2²-104.46*38.2)0.5=102.1 N/mm2﹤[σ] Ⅱ=170 N/mm2强度校核通过二、刚度校核主梁刚度校核(按简支梁计算)主梁静刚度计算(满载小车位于跨中)计算如下:Fmax=(p1+p2)*(0.75L2-12)/12EIX≤[f]=(16000+13000)*(0.75*19.572-4.2522)/12*210*106*1.3*108*10-12 =81.5mm﹤[f]主梁静刚度通过。
电动单梁起重机LD20t-25.5m设计计算书编制:日期:审核:日期:批准:日期:目录1、LD20t-25.5m电动单梁起重机的主要外形尺寸 (3)2、LD20t-25.5m电动单梁起重机的主要参数 (3)3、主梁计算 (4)3.1 主梁截面计算 (4)3.2 主梁刚度计算 (6)3.3 主梁强度计算 (6)3.4 主梁稳定性计算 (7)4、端梁计算 (7)4.1 端梁截面计算 (7)4.2端梁强度计算 (8)4.3端梁刚度计算 (8)5、主梁与端梁连接计算 (8)5.1主梁与端梁的螺栓连接布置 (8)5.2 起重机歪斜侧向力 (8)5.3 起重机的支撑反力引起的力矩 (9)5.4 螺栓所受总拉力 (9)6、大车运行机构计算 (9)6.1 起重机稳态运行阻力 (9)6.2 起重机稳态运行功率 (9)6.3 起重机运行电机功率 (9)6.4 起重机大车运行的加速度及启动时间 (9)6.5 大车运行打滑验算 (10)7、参考资料 (10)1、LD20t-25.5m电动单梁起重机的主要外形尺寸2、LD20t-25.5m电动单梁起重机的主要参数3、主梁计算3.1 主梁截面计算3.1.1 主梁采用工字钢轨道,工字钢型号为30T ,查钢材生产厂家提供资料,其截面的主要参数如下:3.1.2 主梁的截面尺寸如下:侧板与水平线的夹角为:︒==8.42421286sinarc α3.1.3 主梁截面面积:F=14×750+6×1000+6×1000+6×30+6×30+6×421+6×421+6×30+6×30+8187.7+14×108 =10500+6000+6000+180+180+2526+2526+180+180+8187.7+1512 =37971.7 (mm 2)3.1.4 主梁截面重心位置(相对截面最低线):y=Fy F ii ∙∑ =7.379713824216540306540306104510006104510006155275014⨯⨯+⨯⨯+⨯⨯+⨯⨯+⨯⨯+⨯⨯+7.379717108141647.81872423062423063824216⨯⨯+⨯+⨯⨯+⨯⨯+⨯⨯=7.3797196493297200972006270000627000016296000++++++7.379711058413427834356043560964932++++=7.379718.32400750=853.3 (mm)3.1.5 主梁截面惯性矩(相对截面重心水平线):Jx=Jxi+Fa 2=23)3.853-1552(147501214750⨯⨯+⨯+23)3.853-1045(610001210006⨯⨯+⨯ +23)3.853-1045(610001210006⨯⨯+⨯+23)3.853-540(63012306⨯⨯+⨯ +23)3.853-540(63012306⨯⨯+⨯+23)3.853-382(8.42sin 6286sin42.8122866⨯︒⨯+︒⨯⨯ +23)3.853-382(8.42sin 6286sin42.8122866⨯︒⨯+︒⨯⨯+23)3.853-242(63012630⨯⨯+⨯ +23)3.853-242(63012630⨯⨯+⨯+118138305.7+2)3.853-164(8187.7⨯ +23)3.853-7(141081214108⨯⨯+⨯ =171500+5126101266+500000000+220523681.1+500000000+220523681.1+13500 +17666752.67+13500+17666752.67+17223451.3+561053038.2+17223451.3+561053038.2 +540+67260881.75+540+67260881.75+118138305.7+3890109793+24696+1082896466=12984925716 (mm 4)3.2 主梁刚度计算根据GB/T3811规定,主梁许用静挠度为:[])mm (3475025500750f ===L 本起重机主梁计算静挠度为:())m m (6.2761298492571206000482550081.9180020000x 48f 33=⨯⨯⨯⨯+==EJ PL 由f<[f]可知,主梁的刚度满足要求。
单导梁吊装计算本单导梁为2x2m 截面,由两个桁架片通过水平和斜向联系拼装而成,桁架片由成矩形的2[20b 弦杆、2[8竖杆及2[10斜杆焊接而成,具体详见设计图。
一、 荷载1、T 梁自重荷载:26.07*26*1.4=949 kN2、运梁平车等考虑:20 kN3、导梁自重:6.87kN/m(考虑1.2倍恒载系数)综上:集中荷载考虑P=494.5kN均布荷载为:q=6.87kN/m二、 受力计算导梁跨径为30.4m ,荷载作用在跨中时其弯应力最大,有: 2222641710)7.191310083.32(8)(8cm I Ay I x =+⨯=+= (只考虑上下弦杆)W=26417cm 31、 强度验算m kN PL M .2.375844.305.4944G =⨯== m kN qL M .79484.3087.68q 22=⨯== M 合=4552.2kN.mm kN W M .3.1722641710002.4552=⨯==σ<1.2[σ]=174kN.m 强度满足要求。
2、 刚度验算1)弹性挠度由导梁自重产生的挠度为:m EI qL f q .014.0102641710101.23844.3068705384581144=⨯⨯⨯⨯⨯⨯==- 集中力产生的荷载为:m EI PL f G .052.0102641710101.2484.30105.49448811333=⨯⨯⨯⨯⨯⨯==- m f .660.0=合2)拼装挠度f p (非弹性):假定单销与销孔之间间隙ΔL=1.0mm ,经按公式计算:ƒ=βB(N 2-1)/8式中:β为孔销错位产生转角;桁架片节段长度B 为5m ;拼装节数N 为5;转角为:β=2/2000=1.0×10-3拼装挠度为:ƒ3=βB(N 2-1)/8=0.001×5×(25-1)/8=0.015m龙门架总挠度:f=0.081m容许挠度为:[ƒ]=L/400=7.7cm满足施工要求。
20t吊具计算书-CAL-FENGHAI.-(YICAI)-Company One120t 吊具计算书一、 吊具横梁的计算吊具供有3种工况,以对横梁最不利的横梁中间钩头起吊20t 重物为例进行计算。
横梁受力情况横梁中部截面图11. 载荷G=20t=2000kg ,计算载荷Q=,其中n=为实验载荷系数,则Q=30000kg,吊点间距L=5000mm=500cm ;横梁中部截面如图1所以(不考虑补强板),截面惯性矩Ix=,梁中心高Z 1=470mm=47cm 。
2. 计算过程如下梁的校核 刚度校核截面惯性矩Jxcm^4 支撑点间距L 500 cm 载荷Q 30000 kg弹性模量E 2100000 kg/cm^2刚度f cm 校核强度校核中心高Z 1 47 cm 抗弯截面系数Wx=Jx/Z 1弯矩M=GL/43750000弯曲应力σ=M/Wxkg/cm^2 弯曲应力σ=M/Wx28. Mpa其中刚度f=,远大于800(起重机设计规范规定的主梁刚度值),弯曲应力σ=28.Mpa <345MPa(Q345B 板材的屈服强度)3. 计算结果,吊具横梁具有足够的刚度和强度,可以满足招标文件要求的工况。
二、吊具上方吊轴的计算吊轴受力情况图 2吊轴尺寸1.吊具上方2侧各有1个吊轴,则单个吊轴的受力为Q1=Q/2=15000kg,L=230mm=23cm,截面抗弯截面系数Wz= cm3。
2.计算过程如下:集中载荷F15000kg支点距离L230mm弯矩M8452500轴颈d115mm抗弯截面系数Wz工作应力σ56.MPa许用应力[σ]710(材质40Cr)MPa安全系数n12.3.销轴的安全系数足够,强度计算通过。
三、其他件的强度计算书。
其余件的计算方法与上述两种工件的计算类似,可根据贵公司需要,在发货时提供。
电动葫芦单梁门式起重机20t-25.5m设计计算说明书计算:审核:批准:目录1.总体说明2.主要技术参数3.大车运行机构4.门机整体稳定性计算5.主梁电动葫芦门式起重机计算说明书2. 主要技术参数38m/min 型 号性 能 参 数 表大车运行机构运行速度减速器ZSC-600-3/43.5950kw 型号功率m/min 转速r/min YSE(软启动)A3P50φ600m9电动起升机构机工作级别车轮直径轨道型号电源电动葫芦型号起升速度起升高度运行电机3相 380V 50HzYZR160L-6HC型电动葫芦2×11i 46.7最大轮压操纵方式 遥控234KN 运行速度m/min 20葫芦运行3.大车运行机构 电动机过载校验()[]⎭⎬⎫⎩⎨⎧∑+++≥∑a w g a n t n GD v P m P m P 365000100012200ηωλ式中:Pn ——基准负载持续率时,电动机额定功率,kW; Pg Σ——运动部分所有质量的重力,N ; ω——摩擦阻力系数,见表5.6.7;m0——坡度阻力系数,对铺设在钢筋混凝土粱或钢梁上的轨道可取0.001;Pw——风阻力,N,按6.6中的工作状态最大计算风压qn计算,在室内取Pw=0;ΣGD2——机构总飞轮矩。
即折算到电动机轴上的机构飞轮矩之和,kg·m2;v0——启闭机(或小车)的走行速度,m/s;n——电动机的额定转速,r/min;ta——机构启动时间,s;λa——平均启动转矩标么值(相对于基准负载持续率时的额定转矩),对绕线型异步电动机取1.7,采用频敏变阻器时取1,笼型异步电动机取0.9λm,串励直流电动机取1.9,复励直流电动机取1.8,他励直流电动机取1.7,采用电流自动调整的系统,允许适当提高λa值;3.7.3计算结果3.9运行机构车轮接触应力3.9.1.车轮踏面的疲劳强度计算车轮踏面的疲劳强度计算荷载Pc。
计算:式中:Pmax——大车或小车带载走行时的最大轮压,N;Pmin——大车或小车带载走行时的最小轮压,N。
QD20/5t-36.5m 桥式起重机 桥架力学性能计算书基本参数1. 起重量 Q=20 t =2000 kg2. 跨度 L k =36.5 m3. 起升高度 HH=16.5 m4. 起升速度 V q =10 / 10 m/min5. 小车运行速度 V xc =44.6 m/min6. 大车运行速度 V dc =80-100 m/min7.工作级别A5第一部分 主梁计算一、 主梁几何特性1. 跨中截面惯性矩主梁跨中截面尺寸如图1:617001732165906501⨯⨯⨯⨯=⨯⨯⨯⨯δδh H b B断面面积:cm h B F 412221=⨯⨯+⨯⨯=δδ 2 惯性矩:()211313266h B B h J X =+++=δδδδ()423149.25439326cm b h B J Y =++=δδδ断面模数:326.233552cm H J W XX ==349.78272cm BJW Y Y ==2. 跨端截面剪切面积主梁跨端截面尺寸如图2:69001659065001⨯⨯⨯=⨯⨯⨯δδh b B惯性矩:)(4.232965 2906.06.06526.06561906.061 2 2 1212 12124233201131300cm =h B B h J x =⎪⎭⎫⎝⎛+⨯⨯⨯+⨯⨯+⨯⨯⎪⎭⎫ ⎝⎛+⋅⨯+⋅⨯+⋅⨯=δδδδ半面积矩:)2981.7(cm = 26.0906.06549026.0902= 2 42 2310100⎪⎭⎫⎝⎛+⨯⨯+⨯⨯⨯⎪⎭⎫⎝⎛+⋅⋅+⨯⋅⨯=δδδh B h h S x二、 主梁载荷计算箱型双梁桥架的载荷有固定载荷、活动载荷和水平惯性载荷及大车歪斜侧向力等。
1. 载荷参数kg G g 14150= 一根主梁自重kg G p 57.4277= 一侧走台及栏杆的重量kg G r 35.2217= 小车轨道重量 kg G d 8.3736= 电气元件重量kg G c 08.1132= 导电系统重量kg G o 239= 主梁上其它一些小物件的重量 kg G 11001= 司机室重量 kg G 5.19962= 大车运行机构重量m L 8.21= 司机室重心距离大车轨道中心的距离m L 35.32= 大车运行机构重心距离大车轨道中心的距离 2. 固定载荷及其最大弯矩的计算均布载荷:m kg L G G G G G G q k o c d r p g /56.705.368.25752==+++++=均布载荷引起的主梁最大弯矩:kgm qL M k q79.11749782max ==集中载荷引起的主梁最大弯矩:kgm L G L G M y28.822822211max =⨯+⨯=固定载荷引起主梁最大弯矩: kgm M M M y q G 07.125726max max max =+=当起重机工作时,重物突然离地将引起固定载荷对桥架结构的冲击作用,所以计算时应考虑起升冲击系数1.1=μkgm M M G G j 68.13829807.1257261.1max max =⨯==μ3. 活动载荷及弯矩的计算活动载荷主要是指小车轮压及其起重量引起的小车轮压。
25米简支T梁设计计算
一、项目基本信息
1.1基本参数
项目名称:25米简支T梁
建筑物类垮:公寓
梁段长度:25m
梁宽度:1.2m
梁深度:0.6m
梁高度:3.0m
梁材:Q235
抗拉强度设计值:fbd=420MPa
构件截面比:b/t=21
简支跨度:L=18m
梁纵向荷载类型:恒载+可变载荷
1.2基本载荷
恒荷载:
屋面:0.4kN/m2
人行道:2.0kN/m2
可变荷载:
火灾:1.0kN/m2
变形:按照《JGJ149-2024》的规定
抗震:按照《JGJ99-2024》的规定
二、梁位置
2.1设计原则
梁位置需要结合建筑物的结构体系,考虑梁支座数量和分布,提供足
够可靠的支座支撑,使梁的安全受力性能最优化,满足建筑物的结构安全
及正常使用要求。
梁位置应满足下列要求:
①梁支座位置有利于梁弯矩的分布;
②梁位置分布要尽量减少构件裁剪,尽可能采用完好构件,方便连接。
2.2梁位置计算
假设梁为等间距分布情况,根据设计原则,梁的轴线位置可由下式求解:
ΣX=L
(1)
其中L为简支跨度,X为梁节中心轴距离。
求解:
X1=0m (2)
X2=1/3×L=6m (3)
X3=2/3×L=12m (4)。
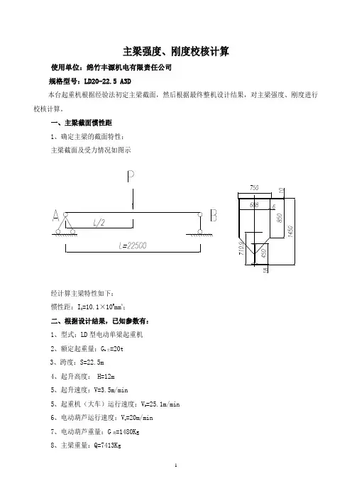
主梁强度、刚度校核计算使用单位:绵竹丰源机电有限责任公司规格型号:LD20-22.5 A3D本台起重机根据经验法初定主梁截面,然后根据最终整机设计结果,对主梁强度、刚度进行校核计算。
一、主梁截面惯性距1、确定主梁的截面特性:主梁截面及受力情况如图示经计算主梁特性如下:=10.1×109mm4;惯性距:IX二、根据设计结果,已知参数有:1、型式:LD型电动单梁起重机=20t2、额定起重量:Gn主3、跨度:S=22.5m4、起升高度: H=12m5、起升速度:V=3.5m/min=25.1m/min5、起重机(大车)运行速度:Vk6、电动葫芦运行速度:V=20m/mint=1480Kg7、电动葫芦重量:G葫8、主梁重量:Q=7413Kg9、起重机总重量:Q 起=11036Kg10、工作级别: A511、材料的选择及其力学性能根据本公司设计原则,主要承载件选用Q235-B 钢,其屈服极限:σs =235×106N/m 2;强度极限为:σb =(375~640)×106N/m 2(计算时取为σb =550×106N/m 2);弹性模量E=2.1×1011N/m 2。
三、载荷系数的确定1、动载系数ψ2的计算根据设计规范,ψ2取为1.05。
2、起升冲击系数ψ1的确定:根据设计规范,ψ1取为1.0。
四、强度校核计算1、主梁箱形截面的惯性矩(截面尺寸见上图):I X =10.1×109mm 42、电动葫芦在额定起重量下的总轮压:P=ψ2Q+ψ1G 葫= 1.05×20×104+1.0×1.48×104=22.48×104 (N)3、由垂直载荷在下翼缘引起的弯曲正应力为:)824(2111qL l G PL I y x ψ+ψ+=司σ (N/mm 2) 其中 y 1=710.9mmI X =10.1×109 mm 4P=22.55×104NL=2.25×104mmG 司=0l =0q=7.413×104N/2.25×104mm=3.29N/mm041025.21048.22(101.109.710449+⨯⨯⨯⨯=σ )81025.229.30.182⨯⨯⨯+ (N/mm 2) =103.66N/mm 24、Q235B 钢的许用应力为[σ]Ⅱ 33.1/1023526m N ⨯=177×106N/m 2 注:[σ]-许用应力,根据设计规范,按第二类载荷组合计算,[σ]Ⅱ =n s σ= 33.1235=177Mpa 。
一,LDA20t-22.5电动单梁结构特点 (1)二,LDA20t-22.5主要技术参数: (2)三.主梁截面几何尺寸 (3)3.1 主梁截面面积: (3)3.2 主梁断面水平型心轴x-x位置 (3)3.3 主梁惯性矩 (4)3.3.1.垂直惯性矩计算: (4)3.3.1水平惯性矩计算 (4)四,主梁强度校核 (5)4.1.垂直载荷在下翼缘引起的弯曲正应力 (5)4.2.主梁工字钢下翼缘局部弯曲计算 (6)五.刚度计算 (9)5.1.垂直静刚度计算 (9)5.2.水平静刚度计算 (9)六,稳定性计算 (11)6.1.主梁整体稳定性计算 (11)6.2主梁腹板的局部稳定性 (11)6.3受压翼缘板局部稳定性 (11)七,端梁计算 (12)7.1 轮距的确定 (12)7.2根据系列产品设计资料,初步给出端梁断面尺寸,如图7.2 (12)7.2.1.断面总面积 (13)7.2.2.形心位置 (13)7.2.3.断面惯性矩 (13)7.2.4.断面模量 (13)7.2.5起重机最大轮压 (13)7.3.起重机最大轮压的计算 (14)八,最大歪斜侧向力 (15)九,端梁中央断面合成应力 (16)十.主、端梁连接计算 (17)10.1 主. 端梁连接形式及受力分析 (17)10.2.螺栓拉力的计算 (17)10.3.歪斜侧向力矩对螺栓拉力的计算; (17)10.4. 起重机支反力对螺栓的作用力矩 (18)10.5.支反力矩对螺栓的拉力 (18)10.5.1. 螺栓承受的总拉力N0 (19)10.5.2.验算螺栓强度 (19)一,LDA20t-22.5电动单梁结构特点电动单梁起重机是一种有轨运行的轻小型起重机,它实用于起重量1-20吨,适用跨度7.5-22.5米,工作环境温度-35C °—35C °范围内,常用于机械制造,装配,仓库等场所。
它的主梁结构由上翼缘板,两侧腹板,斜盖板.工字钢等焊接组成箱形实腹板梁.横梁用钢板压延成U 形槽钢,再组焊成箱形横梁.主.横梁之间用高强度螺栓连接而成.起升机构与小车运行机构采用电动葫芦.大车运行机构采用分别驱动形式. 驱制动靠锥形制动电机来完成LDA20t-22.5电动单梁桥式起重机外形图如图1-1所示:1234 1.主梁 2.端梁装置 3. 机电连接装置 4.地面操纵电气安装 5.吨位牌装置 6.铭牌装置 7.螺栓 8.螺母 9.弹性垫圈电动单梁桥式起重机外形图1.1二,LDA20t-22.5主要技术参数:起重量Q=20吨; 跨度L=22.5米; 大车运行速度V运= 20 米/分;工作制度中级JC =25%; 电动小车采用20吨电动葫芦. 葫芦最大轮压Pmax=葫芦起升高度=9米;小车运行速度V =20 米/分; 电动葫芦自重G=2450公斤; 地操.20吨电动单梁起重机基本技术参数三.主梁截面几何尺寸根据实际设计出LAD20t-22.5电动单梁主梁实际尺寸,查机械设计手册,得40b 普通工字钢(GB706-1998)的尺寸参数:h =400㎜;b =144㎜;t =16.5㎜;q =73.8㎏/m ; f =94.1cm 2; Ix =22780cm 4;Iy =692cm 4。
20m简支T梁计算(24.5m)20m简支T梁计算目录(24.5m路基宽)一. 说明书⒈设计概况⒉计算依据⒊计算荷载⒋计算方法⒌计算结果二. 计算过程⒈施工程序⒉荷载计算⒊运用桥梁综合程序进行主梁计算⒋各阶段应力值⒌T梁主拉应力计算⒍变形验算及预拱度的设置⒎结构吊装验算⒏支座反力⒐压杆稳定验算三. 部分电算结果输出四. 附图地震烈度:6度4. 计算方法及计算工具采用《公路桥梁综合计算程序》(二次开发版本)进行电算,利用电算结果采用手算进行强度复核等。
5. 计算结果及分析评价计算结果见“20jz3.OUT”和“20jb3.OUT”文件,计算结果证明拟订的20mT梁结构尺寸(见图二)合理,拟订的施工程序合理,预应力束配束(见附图)恰当。
注:预制T梁时,梁高为150cm,T梁安装就位后,再在翼缘板上现浇10cm厚C40砼,最终梁高160cm。
2.荷载计算2.1桥梁荷载横向分布系数计算主梁横向分布计算按《公路桥梁荷载横向分布计算》(第二版)中刚接T梁桥横向计算方法计算。
①主梁抗弯惯矩I,然后主梁截面见图二。
近似取翼板的平均厚度0.2m,先求截面的形心位置ax至梁底的距离为:求抗弯惯矩I。
截面的形心位置ax=(0.29x0.42x0.29/2+1.11x0.2x(1.11/2+0.29)+1.98x0.2axx(0.2/2+1.11+0.29))/(0.29x0.42+1.11x0.2+1.98x0.2)=1.080m I=(0.42x0.293/12+0.42x0.29x(1.080-0.29/2)2 )+(0.2x1.113/12+0.2x1.11 x(1.080-1.11/2-0.29) 2 )+(1.98x0.23/12+1.98x0.2x(1.5-1.080) 2 )=0.10733+0.03505+0.07117=0.2136(m4)②主梁抗扭惯矩IT将T梁划分为1.6mx0.20m的梁肋部分和1.78mx0.20m的桥面板部分,然后将两I相加T梁肋部分α=0.2/1.6=0.125,取α=0.307桥面板部分α=0.2/1.78=0.112,取α=0.309(α查《公路桥梁荷载横向分布计算》(第二版)P22表3-1)因此主梁抗扭惯矩:=cbt3=0.307x1.6x0.203+0.309x1.78x0.203=0.0083 m4IT③求内横梁(横隔板)截面和等刚度桥面板的抗弯惯矩内横梁翼板宽度取内横梁间距5m,翼板厚取0.21m,腹板厚0.16m,腹板高1.11m。
精心整理
精心整理
20t 吊具计算书
一、 吊具横梁的计算
吊具供有3种工况,以对横梁最不利的横梁中间钩头起吊20t 重物为例进行计算。
1. 载荷G=20t=2000kg ,计算载荷Q=n.G ,其中n=1.5为实验载荷系数,则Q=30000kg,
2. 载荷刚度校核弯矩
3. 计算结果,吊具横梁具有足够的刚度和强度,可以满足招标文件要求的工况。
二、 吊具上方吊轴的计算
1. 吊具上方2侧各有1个吊轴,则单个吊轴的受力为Q1=Q/2=15000kg ,L=230mm=23cm,截面抗弯截面系数Wz=149.311 cm 3。
2. 计算过程如下:
集中载荷F 15000 kg
精心整理
精心整理
支点距离L 230 mm
弯矩M 8452500 Kg.mm
轴颈d 115 mm
抗弯截面系数Wz 149311.5514
工作应力σ MPa
许用应力[σ] 710(材质40Cr ) MPa
安全系数n
3. 销轴的安全系数足够,强度计算通过。
三、 其他件的强度计算书。
供。
电动单梁起重机设计计算书|编制:日期:审核:日期:批准:日期:·目录1、电动单梁起重机的主要外形尺寸 (3)2、电动单梁起重机的主要参数 (3)3、主梁计算 (4)主梁截面计算 (4)主梁刚度计算 (6)主梁强度计算 (6)主梁稳定性计算 (7)4、端梁计算 (7)端梁截面计算 (7)/端梁强度计算 (8)端梁刚度计算 (8)5、主梁与端梁连接计算 (8)主梁与端梁的螺栓连接布置 (8)起重机歪斜侧向力 (8)起重机的支撑反力引起的力矩 (9)螺栓所受总拉力 (9)6、大车运行机构计算 (9)起重机稳态运行阻力 (9)起重机稳态运行功率 (9)@起重机运行电机功率 (9)起重机大车运行的加速度及启动时间 (9)大车运行打滑验算 (10)7、参考资料 (10)1、电动单梁起重机的主要外形尺寸2、电动单梁起重机的主要参数3、主梁计算主梁截面计算主梁采用工字钢轨道,工字钢型号为30T,查钢材生产厂家提供资料,其截面的主要参数如下:主梁的截面尺寸如下:侧板与水平线的夹角为:︒==8.42421286sinarc α主梁截面面积:F=14×750+6×1000+6×1000+6×30+6×30+6×421+6×421+6×30+6×30++14×108/=10500+6000+6000+180+180+2526+2526+180+180++1512 = (mm 2)主梁截面重心位置(相对截面最低线):y=Fy F ii •∑ =7.379713824216540306540306104510006104510006155275014⨯⨯+⨯⨯+⨯⨯+⨯⨯+⨯⨯+⨯⨯+7.379717108141647.81872423062423063824216⨯⨯+⨯+⨯⨯+⨯⨯+⨯⨯=7.3797196493297200972006270000627000016296000++++++7.379711058413427834356043560964932++++=7.379718.32400750= (mm)主梁截面惯性矩(相对截面重心水平线):。
Jx=Jxi+Fa 2=23)3.853-1552(147501214750⨯⨯+⨯+23)3.853-1045(610001210006⨯⨯+⨯ +23)3.853-1045(610001210006⨯⨯+⨯+23)3.853-540(63012306⨯⨯+⨯ +23)3.853-540(63012306⨯⨯+⨯+23)3.853-382(8.42sin 6286sin42.8122866⨯︒⨯+︒⨯⨯ +23)3.853-382(8.42sin 6286sin42.8122866⨯︒⨯+︒⨯⨯+23)3.853-242(63012630⨯⨯+⨯ +23)3.853-242(63012630⨯⨯+⨯++2)3.853-164(8187.7⨯ +23)3.853-7(141081214108⨯⨯+⨯ =171500+66+0++0++13500 +.67+13500+.67+.3++.3++540+.75+540+.75++93+24696+66?= (mm 4) 主梁刚度计算根据GB/T3811规定,主梁许用静挠度为:[])mm (3475025500750f ===L 本起重机主梁计算静挠度为:())m m (6.2761298492571206000482550081.9180020000x 48f 33=⨯⨯⨯⨯+==EJ PL 由f<[f]可知,主梁的刚度满足要求。
主梁强度计算由主梁自重为8520kg ,可知单位长度自重为mm /3.325500/81.98520N =⨯。
主梁整体应力为:612984925718255003.31.125500481.918001.181.9200002.13.8532⎪⎪⎭⎫⎝⎛⨯⨯+⨯⨯⨯+⨯⨯⨯=σ =()612984925715.29505093716247567253.853+⨯—=126 (MPa)主梁下翼缘局部弯曲应力计算 i=a+c-emm d b 25.5825.111282a =-=-=c=4mm e==×172= i=+=58.025.5805.34i ===a ξ 根据分析,只计算车轮与工字钢接触点5的的局部应力,P=40100N ,t=30mm ;查起重机设计手册第283页,K 3=,K 4=,局部应力计算如下:/a 8.253040100229.0t 2223x MP P K =⨯⨯=•=σ a 7.673040100276.0t 2224z MP P K =⨯⨯=•=σ合成应力计算()()()()8.257.67126-8.257.67126-22xz 2x 2z ⨯+++=+++=σσσσσσσ合= (MPa)[],Pa 19222.123522.1sM ===σσ []σσ<合,主梁强度满足要求。
主梁稳定性计算主梁整体稳定性主梁整体高度h=1559mm ,腹板间距b=690mm ,326.26901559b h <==,不必验算整体稳定性。
[主梁局部稳定性主要计算腹板局部稳定性,22h 0-100h715-11⎥⎥⎦⎤⎢⎢⎣⎡⎪⎪⎭⎫⎝⎛=δση式中,2.1043.8533.853-*******-=⨯=σMPa ,,,m m 61000h h 0==δmm =⎥⎥⎦⎤⎢⎢⎣⎡⎪⎭⎫ ⎝⎛⨯⨯=22610010007152.104-11η,a 7.637971.781.918001.181.9200002.1MP =⨯⨯+⨯⨯=τ12005.4527.61.161000h 0<=⨯=ητδh要求横向加劲肋间距mm h 2000100022a 0=⨯=≤,实际设计中,横向加劲肋间距a=1500mm ,满足要求。
4、端梁计算端梁截面计算端梁的截面尺寸如下:]端梁截面惯性矩与抗弯模数与计算主梁截面的方法相同,可得惯性矩J=0mm 4,W=。
端梁强度计算端梁轮距b=4000mm ,轮压P=,[]σσ<=⨯=Pa 4.1356.20460862000138500M ,端梁满足强度要求。
端梁刚度计算[]m m 410004000f m m 7.34849225202060004840002138500f 3==<=⨯⨯⨯⨯=,端梁满足刚度要求。
5、主梁与端梁连接计算主梁与端梁的螺栓连接布置:采用两列螺栓布置,螺栓规格为M20×80,级,许用预拉力[P]==×155=, 行间距如下:起重机歪斜侧向力P=×=13850N ,力矩M1=13850N×4000mm=Nmm ,歪斜侧向力矩对螺栓产生的拉力如下,拉力不均匀系数, N1=N k 4.413548354835554000005.222=⨯+⨯⨯⨯、起重机的支撑反力引起的力矩M2=×2×129mm=Nmm ,支撑反力矩对螺栓产生的拉力如下,拉力不均匀系数, N2=N k 88.59692189230924292429357330005.22222=⨯+⨯+⨯+⨯⨯⨯ 螺栓所受总拉力N=N1+N2=+=<[P]=, 螺栓满足使用要求。
6、大车运行机构计算起重机稳态运行阻力P j =P m +P a?P m =()N275800857.03217685.13504.0280015.081.911000180020000=⨯=⨯⨯+⨯⨯⨯++P a =()N 644002.081.911000180020000=⨯⨯++ P j =P m +P a =2758+644=3402N起重机稳态运行功率P N =kW 5.0485.0100060/303402=⨯⨯⨯起重机运行电机功率根据稳态运行功率,同时将计算结果乘以系数,得电机功率 P=×=,实际选用,满足要求。
起重机大车运行的加速度及启动时间$()dj dq M M J -⎪⎪⎭⎫ ⎝⎛+=m 55.9mkJ n t 31q η,其中n=1380r/min ,m=4,k=,21m kg 036.0⋅=J ,2223kg 38.033.51435.032800m J ⋅=⨯⨯=,m 95.2513805.195495.2N M dq=⨯⨯=, m 6.1385.033.512350.034022j N i D P M j d =⨯⨯⨯==η则()s 26.1395.25255.985.038.0036.01.123801t q =-⨯⎪⎭⎫ ⎝⎛+⨯⨯⨯= 启动加速度2/25.02/5.0a s m s m ==, 一般规定加速度小于s 2,本机加速度符合要求。
大车运行打滑验算大车轮的最小轮压P min =N 278734/81.91100081.91800255001293=⨯+⨯⨯ 大车轮对轨道的粘着力N 0==⨯⎪⎭⎫ ⎝⎛⨯+N 2787335080015.014.03998N 电机驱动力N d =⎪⎭⎫ ⎝⎛⨯⨯⨯⨯-⨯⨯⨯⨯25.035.0233.51036.01.113805.1954935.085.033.512=2407N N 0>N d ,最小轮压处不会打滑。
7、参考资料GB/T3811-2008 起重机设计规范起重机设计手册 第二版 中国铁道出版社 张质文等 机械设计手册 第五版 化学工业出版社 成大先等。