长江喷涂机GPQ6C-7C-8C说明书2005
- 格式:doc
- 大小:375.50 KB
- 文档页数:12
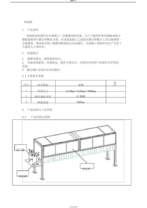
喷油机1产品说明喷油机是给模台均匀地喷上一层脱模剂的设备。
为了方便养护好的墙板或叠合楼板能顺利与模台和模具分离,在浇筑混凝土之前要在模台和模具上均匀地喷洒一层脱模剂。
喷油机实现了脱模剂喷洒的自动化操作,为混凝土预制件的生产节省了大量的人工和时间。
2性能特点1.脱模剂雾化,使喷洒更均匀;2.设备结构紧凑、性能稳定、操作方便安全,同国内同类型产品相比具有明显优势;3.通过PLC实现全自动化操作。
2.1主要技术参数序号技术指标参数备注1外形尺寸5149mm×1120mm×2090mm2提升电机功率0.38kW3喷洒宽度4000mm 3产品结构与工作原理3.1 产品结构示意图储气罐喷油机储油罐3.2 工作原理在浇筑混凝土之前在模台和模具上均匀地喷洒一层脱模剂,养护好的墙板或叠合楼板就能顺利的与模台、模具分离。
4安装与调试1.安装现场清理;2.使用膨胀螺栓将设备固定在相应的位置;3.添加脱模剂到存储罐;4.启动喷油机;5.运行驱动轮将模台穿越喷油机,查看喷油效果,并调整喷油效果;6.关闭设备,并清理现场。
5操作5.1 安全操作注意事项1.喷油机必须由专人看管,非本机工作人员不得操作,严格遵守喷油机安全操作规程,按规定穿戴好劳动保护用品;2.启动前必须认真检查设备气路、电气线路连接是否正常和牢固,油罐内脱模剂是否足量,设备各操作部位、按钮是否在正常位置;3.任何情况下都不能直接把手伸到齿轮与齿条、升降导轮与导板之间;4.喷洒时发现喷嘴喷洒不均匀时,应停机较正,严禁运转中用手或物较正,以防伤手;5.观察电机运转方向与模台方向是否相同,若不相同,参照电机电源盒上的说明调整;6.检查喷嘴是否堵塞;7.设备启动后观察喷嘴是否喷洒均匀,如发现有不正常声音或有故障时应立即停机,将故障排除,确保喷洒均匀后方可工作;8.设备检修时必须先切断电源和气源后进行;9.喷油机运动时禁止机器前后站人。
5.2 操作台控制面板序号名称功能1喷嘴旋钮1-8控制1-8号油嘴的开和关,灯亮为开,灯灭为关2单动/ 联动单动与联动模式切换3关/ 开联动模式下控制油/ 气阀关/ 开联动4下降控制油嘴下降5上升控制油嘴上升6手动/ 自动手动/自动模式切换7电源指示电源接通时,此指示灯亮8急停控制操作面板的电源5.3 操作前的准备1.上岗前穿戴好工作帽、工作服、工作鞋;2.清理操作台周边与工作无关的物品;3.查看电路连线是否破损。
喷涂专用设备使用说明书1. 适用范围本产品为水性液体橡胶涂料专用双组份隔膜式无气喷涂机,主要用于防水行业进行液体橡胶涂料喷涂施工。
由于它是一种特殊专用泵,不可随便使用。
2.主要技术参数A组分 B组分最大压力30bar最大压力30bar最大流量 30L/min 最大流量 20L/min3.使用方法3.1 使用前基本要求1)发动机燃料:90#以上无铅汽油,(加入量见发动机说明书);2)发动机机油:32#机油(加入量见发动机说明书);3)泵体润滑油:30#耐磨液压油,新机加入量A组分及B组分各加入0.3L; 4)检查确认A、B组分泵体顶盖蓄压保持≥0.7MPa;5)确认整机是否根据安装要求安装,并以放置牢固,整机螺丝一定要拧紧,不可有松动;6)准备30目不锈钢丝网布,以过滤A、B组分的液体料。
3.2 安装1)将两个组份的吸入软管分别插入喷涂机前接口板的吸入接头上,用卡箍抱紧。
新机已经使用,吸入管不得交叉混用,以免两个组份混合,造成泵体损毁;2)将双色高压管分别接入喷涂机前接口板的输出接头上,其中红管接A 组分,兰管接B组分,随后,将双色管分别与喷枪进行连接,左为A组分,右为B组分;3)将喷嘴装入喷嘴的螺母中,垫上垫圈,拧紧固定在喷枪上,喷枪嘴左大(A)料,右小(B)料;4)打开A、B组分位于调压手柄处设入准备投入使用的输出管道的球阀;5)关闭A、B组分位于调压手柄处未使用输出管道的球阀;3.3启动及操作1)将压力调节阀逆时针调制最小;2) 将吸入管放入涂料桶,放泄管放入废料桶;3)启动发动机,转速保持在全速的1/3处;4)吸入涂料,排除管道内的空气;5)将放泄管放入涂料桶,调高转速和加大压力;6)开启喷枪至正常喷涂;7)依据喷嘴大小调整喷枪前段连接端头,使两个组分的喷雾交叉混合于喷涂点(注意应先松开喷嘴螺母,调整喷嘴角度使喷雾可行),交叉点离喷嘴15~20公分。
注意:(1)从进口自吸能力来考虑,当进口里有空气时,那么泵在启动时,输出压力或流量从小到大逐渐加大,如果泵在启动前,里面已充满液体,则可以随便启动。
GPQ9C、GPQ9CA型无气喷涂机1无机锌涂料及其涂装特点无机锌涂料和环氧富锌涂料,属重防腐蚀涂料。
特别是无机锌涂料,有优异的耐候性和耐磨性,以及优良的耐化学性能,耐酸、耐油、耐溶剂性能。
并可耐400℃左右的高温。
因而适宜于严重腐蚀性海洋环境和工业环境中钢结构的长效重防腐。
广泛应用在船舶、海上石油钻井或采油平台等近海工程,港口码头设施、桥梁、水利电力、重型机械、钢铁、集装箱、石油化工油罐(槽)内外壁,重点工程的钢结构等需要长效重防腐蚀的工业领域。
无机锌涂料和环氧富锌涂料,因涂料生产厂家的不同而种类繁多,性能差异也大。
按其组成不同,分为自固性涂料和后固性涂料、水溶性涂料及醇溶性涂料。
按其使用功能的不同,又分为车间保养富锌底漆和厚膜型无机锌涂料。
无机锌涂料具有许多卓越的性能,但其涂装施工难度较大。
特别是厚膜型无机锌涂料,涂装过程中极易产生沉淀和结块,对喷涂设备具有许多特殊、苛刻的要求,通用型的无气喷涂设备根本难以胜任,极易因涂料的快速沉淀、结块而阻塞。
并且由于无机锌涂料的含锌量高,使喷涂设备的许多高压阀口、活塞杆、涂料缸等重要零件极易损坏。
目前国外许多喷涂设备的制造公司,都生产有不同结构形式、不同技术参数的无机锌涂料专用喷涂设备。
GPQ9C、GPQ9CA型无气喷涂机,是无机锌和环氧富锌涂料专用喷涂设备,也是我厂自行研制的第三代系列产品。
随着我国船舶、重型机械、石油化工、桥梁、港口码头设施、海上石油钻井平台、石油化工和国家重点工程日益广泛地采用无机锌涂料或环氧富锌涂料,同时上述工业领域内的钢材自动抛丸涂装流水线里,也越来越多地采用各种无机锌车间保养底漆。
我厂研制的无机锌涂料喷涂设备,已经在我国许多工业领域里得到越来越广泛的应用。
2特征GPQ9C、GPQ9CA型无气喷涂机,是我厂为无机锌涂料研制的专用喷涂设备, 已获国家专利。
适宜于喷涂各种厚膜型无机锌或环氧富锌涂料,也适宜于各类钢材自动抛丸涂装流水线,喷涂无机锌或环氧富锌车间保养底漆。
工序名称喷漆设备名称高压无气喷涂机设备型号QPT6528K安全提示穿戴好防护用品作业顺序作业名称作业内容及方法频次工具关键控制点检验工具和方法异常处理方案进气的压力每班(作业前)进气的压力是否≥0.7MPA目视调整压力进气管直径每班(作业前)进气管直径≥10mm目视更换调压阀的压力每班(作业前)调压阀的调整后的压力≤0.6MPA目视调整压力地线每班(作业前)地线是否有正常接地目视立即接地润滑油每班(作业前)油杯中是否有润滑油(10#机油)目视加润滑油离合器、回流卸载阀、减速器、空气压缩机状况每周日离合器、回流卸载阀、减速器、空气压缩机有无磨损目视更换2选用喷嘴根据涂料的种类和要求选择匹配的枪嘴(见附表)每班(作业前)喷嘴/扳手选择符合要求的喷嘴附表更换3清洁泵体使用与即将喷涂的涂料配套的溶剂清洗喷涂机和喷枪每班(作业前)空油漆桶配套溶剂目视对标更换4灌注泵体1.拆下喷枪的喷嘴座和喷嘴2.将空气管的连接处与附着于减压阀入口处快换接头相接合3.吸料管放入涂料桶内4.打开主控阀,喷枪扳机处于开放状态,并且某部位金属稳定与地面金属桶相连5.慢慢打开减压阀至泵机启动,慢慢循环泵机直到所有空气被排除,泵体与软管都注满6.松开喷枪扳机并锁上安全栓,机器会随压力的稳定停止运行每班(作业前)空油漆桶1.确保所有穿过系统的装置、接头都扭紧2.吸料软管的滤网放置在桶底3.压力表是否稳定且不超过额定最大压力;机器随喷枪扳机开启而启动或停止运行目测/听觉判定1.泵机不能完全注满,则打开排泄阀,直到涂料从阀中流出为止2.不可以超越机器给定的最大压力3.不可以让机器空载运行,如果机器运转过快,立刻停下来并检查涂料的供给5调试喷枪1.把喷嘴座与喷嘴装到喷枪上2.设定空气与涂料的压力每班(作业前)空油漆桶1.刚开始喷漆时压力不可以调得过大,要低于0.4Mpa避免卡泵2.注意喷枪的吐漆量和漆雾均匀情况目测打开喷枪如果无油漆喷出或吐漆不均及吐漆量较少则需要用稀释剂重新清洗喷嘴高压无气喷涂机操作说明检查1附图/6操作要领1.喷漆作业时的输入气压控制在0.3~0.5Mpa范围内2.枪嘴与部件表面间距控制在250㎜~350㎜之间3.走枪速度控制在300㎜~600㎜/S,枪嘴与部件表面尽量垂直4.部件表面上一道吐漆扇面与二道扇面重叠1/3每次/1.喷枪喷漆时设备使用参数调准确,可根据实际情况略超出限制2.出现流挂或橘皮要及时调整参数目测1.发现出现有流挂现象要调整减压阀减小压力并适当提高走强速度2.因为实际情况超出操作参数范围及时联系工艺人员7清洗设备1.关闭减压阀,卸下喷枪的喷嘴座和喷嘴并放到稀释剂中浸泡。
一、机器概述本机主要用于对平面板材进行喷涂的专用设备。
采用往复式喷枪移动方式,可一次性完成平面喷面作业。
利用光、电、气等技术和PLC自动控制技术的有效结合,对该机的工作过程进行控制,有效提高了生产效率及产品质量。
适用于使用本机喷涂的涂料:UV、PU、PE、NC、水性漆及其他适合板材喷涂作业的涂料等。
二、主要技术参数三、警告与安全1、警告:本设备安装和移动时,须小心轻放,不得碰撞和翻转。
为设备提供的电源规格须符合本设备的电源要求。
设备的操作人员必须是经过培训合格的人员,否则不可以操作本设备。
使用的操作人员必须遵守各项安全操作规程及操作说明,否则有可能造成设备和人员的损害。
应保证该设备在空车状态下运行良好。
本设备在使用时要保证设备所用电源电压时稳定的。
2、安全:电源接线者是持有安全操作证书者,无证者不得接线或电源,并不得开启电源。
操作者须是经过培训的合格人员,无关人员禁止操作本设备。
设备在运行时须注意设备操作人员及周围人的安全。
衣服袖口要收紧,以免在工作时衣袖卷入,造成人员或设备的损害,设备运转时不得去触摸正在运动的或可能会运动的部位,如工作台,电控柜等。
机器工作时不得移动或拆卸防护罩。
加注润滑油时应停机,且关闭所有电源开关。
应保持整机的清洁与干燥,不得在灰尘高的坏境下工作。
生产前,要空车试车,检查各部分的运转动作是否有异常。
电控柜内有高压及精密的电脑配件,非专业人员禁止打开电控柜;禁止带电打开电控柜;注意在关电一分钟内,电柜内可能存在对人体有危险的残余高电压。
如果电气系统有故障,必须由专业电气技术人员进行维修。
四、安装与调试1.本机应安装在20cm左右厚的混凝土地面上,厂房内要求干燥、通风、清洁、明亮。
2.厂房内应设有380v电源及电源开关,且与本机电器接通,厂房内应有消防设施。
3.安装本机时,使输送部件保持水平传递状态。
4.调整输送链条的松紧,使输送部分运转平稳,无跳动及异音。
5.用户要备有12kg,1立方米空气压缩机,并保证气源压力不低于8kg/cm²。
喷涂机操作规程一、喷涂操作流程1.上电检查确认电源开关位置、急停开关状态、触摸屏显示正常、及PLC状态,下图所示为不正常状态,红圈位置处应该为“RUN”灯亮为绿色。
2.设备动作检查操作面板<1>喷头旋转确定喷盘附近无人后,按“喷盘旋转”按钮启动,喷盘旋转方向必须为顺时针工作,否则会造成软轴损坏(操作台看喷头方向)。
确认后,按“喷盘旋转”按钮停止。
<2>搅拌旋转按“A料搅拌”按钮启动,搅拌电机旋转,观察电机运转情况,运转正常无异响即可停止搅拌。
“B料搅拌”操作方法参照A料操作方法。
<3>喷臂位置通过“喷臂上升”、“喷臂下降”按钮启停,调整及观察喷臂升降运转情况,并把喷臂调整相应的高度,喷臂高度应保持钢管中心位置。
<4>行走确认通过“小车前进”、“小车后退”按钮启停,确认小车前进终点限位及后退终点限位,并确认小车快慢速限位位置是否工作正常,并在此期间确认小车行进速度确认,小车速度12Hz喷涂8米行程约5分钟,8Hz喷涂8米行程约8分钟。
通过喷头要求计算出小车行进速度,增减频率。
<5>预热<1>至<4>步骤确认后,给A料、B料罐预热及喷臂内预热,按操作面板上“加热开关”按钮后,并在触摸屏上打开相应开关,进入参数设置界面,如下图所示,首先设定A料、B料加热温度,在“A料温度设定”窗口,单击SV后的数值,此时会弹出数字键盘,设定相应温度后按Enter键确认即可,PV值为实际温度值,设定温度后,“加热投入选择(红圈内)”窗口内,单击相对应名称的“投入”按键,加热投入,“投入”按键变为绿色,即开始加热,由图一变为图二。
操作面板上的“加热开关”为总开关,通过此按钮可以对3组加热同时开或关,触摸屏上的按键为加热选择,需要单独加热哪组都可以选择。
图一图二<6>称重校准确认首次投料或者定期使用时,进行对A料罐、B料罐的零点校准,进入参数设定界面后,此时触摸屏右下角有校准操作说明,如图所示入相应砝码值后,按Enter键确认退出数字键盘,此时数字窗口内的数值就是刚刚设定的数值。
一,概述二,电弧喷涂机用途及适用范围三,主要技术参数四,喷枪的主要结构五,设备电气的工作线路六,设备的连接七,操作步骤和要点八,设备的保养和注意事项九,设备清单联系人:赵小姐一,概述拉式高速电弧喷涂机是我公司研制开发的一种高效率、低能耗的高新技术产品。
它是以电产生电弧为热源,将金属丝熔化,以压缩空气进行雾化及冷却,将需喷涂用金属丝吹成微细颗粒,高速喷向经过预处理工件表面,获得理想涂层。
拉式电弧喷涂设备包括: 1.拉式电弧喷涂枪 2.电弧喷涂电源另需配套设备:空气压缩机、空气滤清器、放丝盘架。
本设备采用一体式电控气、电开关,操作更方便。
可实现长距离登高作业或野外作业。
二,SX400 电弧喷涂设备用途与适用范围用途: •铁塔、桥梁、水闸门、船舶等钢结构喷锌喷铝防腐•造纸烘缸、印刷辊、曲轴等工件表面磨损的喷涂修复•电容、电瓷行业的电极喷涂等。
适用范围:该类电弧喷涂机可喷的材料如:锌,铝,铅锡合金,铜,炭钢,不锈钢等。
三,主要技术参数1•喷枪的主要参数2. 电源的主要参数重量:278KG左右其它参数特点:i.适用拉式或推式电弧喷枪.2•该电源将喷枪工况控制、送丝调速、气体管路集于一身,是理想的电弧喷涂专用设备。
3.控制与操作特别简单,只要拨动喷枪上的开关即可实现与远端的电源开关的同步控制四、拉式喷枪的主要结构(图一)1. 喷头组件:它是汇集气、电的独立单元组件,由下列主要元件组成:A、弧光罩:起遮蔽弧光作用,在130 度范围内弧光不向操作者照射。
B、前导管组件:采用导电性能好的耐磨材料制成,它起到使两根线材迫交的导向作用,也是磨损更换零件之一,一般情况下,更换时只需换导管端头铜制件(连接咀)即可。
C、调节空气帽采用陶瓷材料制成,其外径为:M39*1.5 螺纹可作轴向自由调节。
一般可调节到二线交汇点到空气帽平面之距离为1-3 毫米(见示意图),如二线交点在空气帽内,则会产生爆鸣和“涂层积口”如二线交点远离空气帽平面,则产生的涂层较粗。
第1 章概述电视机是人们获取信息的主要手段,因此,对电视机的性能要求也越来越高,电视机正朝着大屏幕、高清晰度、数字化的方向发展,对显像管的清晰度要求越来越高。
显像管的显像是靠电子枪发射电子,通过荫罩板上的荫罩孔射在荧光屏上,使荧光粉发光,但其中很大一部分电子要射向荫罩板,这样就容易使荫罩板受热变形,由于四周被框架所限制,荫罩板将收入拱起,直接影响显像的效果。
为了防止这一现象的发生,我们可以在蒸铝膜后的显像管内侧交替喷涂巴利亚液和石墨,使铝膜接受来自荫罩板的热量,使荫罩板的温度下降,从而抑制其热拱起,同时,由于有了石墨导电层,也可使荧光面电位更稳定,又吸收减少了电子束漫反射造成的散光,避免了杂散光引起的对比度下降。
AD喷涂机就是为了完成这一项工作而设计的专用设备。
AD喷涂机是彩电荧光屏生产过程向荧光屏玻璃体内侧喷涂巴利亚液和石墨用的专用设备,它涉及到了机、电、气液等方面的知识,是比较典型的机电一体化产品。
本次设计是在参考69cm生产线上的AD喷涂机结构的基础上设计生产34寸纯平显像管的喷涂机,并按照其工艺要求可兼容加工82cm的16:9的纯平显像管。
AD喷涂机整体结构为平台式,左侧管路与电器柜及操作平台并装在一个专用支架上。
有将屏放在AD喷涂机的移载机(前道工序)平台上,屏内表面朝下,平台上有监测元件进行监测。
喷涂时,驱动电机带动凸轮连杆机构使喷枪头沿一定的轨迹左右摆动,整个喷涂时间及次数可在PLC设备中调整。
巴利亚液和石墨的喷涂速度可调。
根据喷涂工艺要求,一个荧光屏喷涂三次,每次喷涂时间要求是:巴利亚液8-10秒(两次),石墨10秒(一次),每次间隔7-8秒钟。
由于荧光屏为长方形,故喷涂路线分为两个方向:X方向和Y方向。
喷涂时,喷枪底部有两个凸轮机构带动分别作X、Y方向的摆动,凸轮的转动有蜗轮蜗杆按30:1将电机的速度分解而来。
此次设计的控制系统其控制器采用PLC(可编程序控制器),两种不同的喷涂速度由变频器来实现,通过不同的接近开关监测动作的位置以实现全自动控制。
第一部分、安全条例一、静电粉末喷涂设备技术安全条例1、操作人员必须在经过培训后方可进行操作。
2、在启动设备之前,检查设备的操作安全性。
3、在打开机器进行修理之前必须使电源插头断开连接。
4、只能在切断电源的条件下才能将粉末喷涂设备与主控网连接处的插头拔出。
5、必须将控制设备与喷枪之间的连接电缆架起,以免在操作过程中受到损坏。
6、请在操作设备前熟悉所有的设备、操作部件及功能。
7、在粉末/空气混合物的空间工作应相当小心,因为一定浓度的粉末/空气的混合物会成为易燃物!!!整个车间必须严禁烟火。
8、因为设备会产生较强的静电,使用起搏器的人员一定不要进入高压区域或电磁场区域,也不要进入到安装有粉末喷涂装置的区域。
二、安全操作意识1、每个负责装配、启动、操作、维护和维修粉末喷涂设备的操作人员必须阅读静电粉末喷涂设备技术安全条例。
2、操作人员必须保证用户已经接受针对粉末喷涂设备的培训并知道可能存在的危险3、只有经过培训认可的工作人员才可以使用静电粉末喷涂设备,同样电器设备的更改也必须有专门人员操作。
4、在进行与装配、启动、操作、更改、维护、检查或修理相关的工作前必须遵守操作说明。
5、喷涂设备一般由主开关关闭,在关闭操作失效时也可使用急停开关。
同时选择合适的开关关闭相应部件。
三、操作者安全条例1、应避免使用任何违背粉末喷涂设备安全技术条例的操作方法。
2、粉末喷涂设备的必须有专业人员进行。
3、操作人员设备操作过程中可能遇到的危险情况及预防措施。
4、操作人员必须穿戴好防护设备(如面罩、防护服等)。
5、必须有可靠人员负责安全装置的使用和维护。
6、只能在粉末喷涂设备打开时才能进行粉末流化检查及高压喷枪检查等操作。
四、特定危险的提示:1、电源:如果不按照正确的关机步骤进行的话,高压设备可能会对人员生命安全带来危险。
在断电之前一定不要将高压设备拆开,否则会造成电击的危险2、粉末:火花会引燃粉末/空气混合物。
喷房必须充分通风。
目录安全警示∙∙∙∙∙∙∙∙∙∙∙∙∙∙∙∙∙∙∙∙∙∙∙∙∙∙∙∙∙∙∙∙∙∙∙∙∙∙∙∙∙∙∙∙∙∙∙∙∙∙∙∙∙∙∙∙∙∙∙∙∙∙∙∙∙∙∙∙∙∙∙∙∙∙∙∙∙∙∙∙∙∙∙∙∙∙∙∙∙∙∙∙∙∙∙∙∙∙∙∙∙∙∙∙∙∙∙∙∙∙∙1声明∙∙∙∙∙∙∙∙∙∙∙∙∙∙∙∙∙∙∙∙∙∙∙∙∙∙∙∙∙∙∙∙∙∙∙∙∙∙∙∙∙∙∙∙∙∙∙∙∙∙∙∙∙∙∙∙∙∙∙∙∙∙∙∙∙∙∙∙∙∙∙∙∙∙∙∙∙∙∙∙∙∙∙∙∙∙∙∙∙∙∙∙∙∙∙∙∙∙∙∙∙∙∙∙∙∙∙∙∙∙∙∙∙∙∙∙2 1 概述∙∙∙∙∙∙∙∙∙∙∙∙∙∙∙∙∙∙∙∙∙∙∙∙∙∙∙∙∙∙∙∙∙∙∙∙∙∙∙∙∙∙∙∙∙∙∙∙∙∙∙∙∙∙∙∙∙∙∙∙∙∙∙∙∙∙∙∙∙∙∙∙∙∙∙∙∙∙∙∙∙∙∙∙∙∙∙∙∙∙∙∙∙∙∙∙∙∙∙∙∙∙∙∙∙∙∙∙∙∙∙∙∙∙∙∙3 1.1 适用范围∙∙∙∙∙∙∙∙∙∙∙∙∙∙∙∙∙∙∙∙∙∙∙∙∙∙∙∙∙∙∙∙∙∙∙∙∙∙∙∙∙∙∙∙∙∙∙∙∙∙∙∙∙∙∙∙∙∙∙∙∙∙∙∙∙∙∙∙∙∙∙∙∙∙∙∙∙∙∙∙∙∙∙∙∙∙∙∙∙∙∙∙∙∙∙∙∙∙∙∙∙∙∙∙∙∙31.2 产品特点∙∙∙∙∙∙∙∙∙∙∙∙∙∙∙∙∙∙∙∙∙∙∙∙∙∙∙∙∙∙∙∙∙∙∙∙∙∙∙∙∙∙∙∙∙∙∙∙∙∙∙∙∙∙∙∙∙∙∙∙∙∙∙∙∙∙∙∙∙∙∙∙∙∙∙∙∙∙∙∙∙∙∙∙∙∙∙∙∙∙∙∙∙∙∙∙∙∙∙∙∙∙∙∙∙∙∙32 主要参数∙∙∙∙∙∙∙∙∙∙∙∙∙∙∙∙∙∙∙∙∙∙∙∙∙∙∙∙∙∙∙∙∙∙∙∙∙∙∙∙∙∙∙∙∙∙∙∙∙∙∙∙∙∙∙∙∙∙∙∙∙∙∙∙∙∙∙∙∙∙∙∙∙∙∙∙∙∙∙∙∙∙∙∙∙∙∙∙∙∙∙∙∙∙∙∙∙∙∙∙∙∙∙∙∙∙∙∙∙∙33 外形及结构原理∙∙∙∙∙∙∙∙∙∙∙∙∙∙∙∙∙∙∙∙∙∙∙∙∙∙∙∙∙∙∙∙∙∙∙∙∙∙∙∙∙∙∙∙∙∙∙∙∙∙∙∙∙∙∙∙∙∙∙∙∙∙∙∙∙∙∙∙∙∙∙∙∙∙∙∙∙∙∙∙∙∙∙∙∙∙∙∙∙∙∙∙∙∙∙∙∙∙∙∙4 3.1 外形∙∙∙∙∙∙∙∙∙∙∙∙∙∙∙∙∙∙∙∙∙∙∙∙∙∙∙∙∙∙∙∙∙∙∙∙∙∙∙∙∙∙∙∙∙∙∙∙∙∙∙∙∙∙∙∙∙∙∙∙∙∙∙∙∙∙∙∙∙∙∙∙∙∙∙∙∙∙∙∙∙∙∙∙∙∙∙∙∙∙∙∙∙∙∙∙∙∙∙∙∙∙∙∙∙∙∙∙∙∙∙∙43.2 结构原理∙∙∙∙∙∙∙∙∙∙∙∙∙∙∙∙∙∙∙∙∙∙∙∙∙∙∙∙∙∙∙∙∙∙∙∙∙∙∙∙∙∙∙∙∙∙∙∙∙∙∙∙∙∙∙∙∙∙∙∙∙∙∙∙∙∙∙∙∙∙∙∙∙∙∙∙∙∙∙∙∙∙∙∙∙∙∙∙∙∙∙∙∙∙∙∙∙∙∙∙∙∙∙∙∙∙∙54 使用方法∙∙∙∙∙∙∙∙∙∙∙∙∙∙∙∙∙∙∙∙∙∙∙∙∙∙∙∙∙∙∙∙∙∙∙∙∙∙∙∙∙∙∙∙∙∙∙∙∙∙∙∙∙∙∙∙∙∙∙∙∙∙∙∙∙∙∙∙∙∙∙∙∙∙∙∙∙∙∙∙∙∙∙∙∙∙∙∙∙∙∙∙∙∙∙∙∙∙∙∙∙∙∙∙∙∙∙∙∙∙55 常见故障与排除方法∙∙∙∙∙∙∙∙∙∙∙∙∙∙∙∙∙∙∙∙∙∙∙∙∙∙∙∙∙∙∙∙∙∙∙∙∙∙∙∙∙∙∙∙∙∙∙∙∙∙∙∙∙∙∙∙∙∙∙∙∙∙∙∙∙∙∙∙∙∙∙∙∙∙∙∙∙∙∙∙∙∙∙∙∙∙∙∙∙∙∙∙∙∙66 备件包清单∙∙∙∙∙∙∙∙∙∙∙∙∙∙∙∙∙∙∙∙∙∙∙∙∙∙∙∙∙∙∙∙∙∙∙∙∙∙∙∙∙∙∙∙∙∙∙∙∙∙∙∙∙∙∙∙∙∙∙∙∙∙∙∙∙∙∙∙∙∙∙∙∙∙∙∙∙∙∙∙∙∙∙∙∙∙∙∙∙∙∙∙∙∙∙∙∙∙∙∙∙∙∙∙∙∙∙87 装箱清单∙∙∙∙∙∙∙∙∙∙∙∙∙∙∙∙∙∙∙∙∙∙∙∙∙∙∙∙∙∙∙∙∙∙∙∙∙∙∙∙∙∙∙∙∙∙∙∙∙∙∙∙∙∙∙∙∙∙∙∙∙∙∙∙∙∙∙∙∙∙∙∙∙∙∙∙∙∙∙∙∙∙∙∙∙∙∙∙∙∙∙∙∙∙∙∙∙∙∙∙∙∙∙∙∙∙∙∙∙98 常用易损件∙∙∙∙∙∙∙∙∙∙∙∙∙∙∙∙∙∙∙∙∙∙∙∙∙∙∙∙∙∙∙∙∙∙∙∙∙∙∙∙∙∙∙∙∙∙∙∙∙∙∙∙∙∙∙∙∙∙∙∙∙∙∙∙∙∙∙∙∙∙∙∙∙∙∙∙∙∙∙∙∙∙∙∙∙∙∙∙∙∙∙∙∙∙∙∙∙∙∙∙∙∙∙∙9 致用户∙∙∙∙∙∙∙∙∙∙∙∙∙∙∙∙∙∙∙∙∙∙∙∙∙∙∙∙∙∙∙∙∙∙∙∙∙∙∙∙∙∙∙∙∙∙∙∙∙∙∙∙∙∙∙∙∙∙∙∙∙∙∙∙∙∙∙∙∙∙∙∙∙∙∙∙∙∙∙∙∙∙∙∙∙∙∙∙∙∙∙∙∙∙∙∙∙∙∙∙∙∙∙∙∙∙∙∙∙∙∙∙10长江牌无气喷嘴∙∙∙∙∙∙∙∙∙∙∙∙∙∙∙∙∙∙∙∙∙∙∙∙∙∙∙∙∙∙∙∙∙∙∙∙∙∙∙∙∙∙∙∙∙∙∙∙∙∙∙∙∙∙∙∙∙∙∙∙∙∙∙∙∙∙∙∙∙∙∙∙∙∙∙∙∙∙∙∙∙∙∙∙∙∙∙∙∙∙∙∙∙∙∙∙11安全警示本设备只能由经过培训的人员使用。
GPQ18CS、GPQ18C无气喷涂机1适用范围GPQ18C 、 GPQ18CS型无气喷涂机是我厂自行研制的第三代喷涂设备。
该系列型号属高压力、大流量型无气喷涂设备,适用于汽车PVC等防石击车底耐磨阻尼涂料、集装箱行业高粘度涂料的涂装。
其中GPQ18C为桶壁挂式,GPQ18CS为小车自动升降式,用户可根据本厂施工现场的实际情况予以选择。
0902主要参数1)压力比56:12)涂料排量(L/min)293)进气压力(MPa)~4)最大喷嘴号050~505)空气消耗量(L/min)300~25006)质量(Kg)53Kg7)外形尺寸(mm)长×宽×高560×520×810注: 1.涂料排量是指涂料空载压力工况排量。
2.最大喷嘴号是指我厂无气喷嘴编号。
3 结构原理图一气动液压原理图设备的工作部位为双作用式气动液压泵。
换向机构为特殊形式的先导式气控二位四通滑阀。
进入压缩空气后,活塞移动到气缸上下端部时,顶开装设在气缸上下两端的二位二通阀(先导阀),控制气流立即冲出,推动特殊形式的“气控二位四通阀”换向,从而使气缸中的活塞作往复运动。
气缸活塞上下作用的力作用于涂料缸中的柱塞,由于气缸活塞的面积比涂料缸面积大,因此使涂料增压。
4安装为便于运输,把手已从车架上拆了下来,且高压软管、手工无气喷枪也未连接好,因此开箱后应首先进行安装。
先把把手装入车架导向套内,并用配好的螺钉、螺母紧固好。
将高压软管一端的连接螺母与过滤器的输出接头连接好,另一端与手工无气喷枪的外接头连接好。
根据涂料种类及喷涂机离喷涂作业地的远近,可使用不同规格的高压软管。
对于粘度稍低的常规涂料,可选用我厂内径8毫米的高压软管,其长度可达一百至一百五十米左右。
对于厚膜型等高性能涂料,根据其粘度大小,长度约五十米左右。
该系列机我厂已配备二种规格的高压软管。
如果距离较远,涂料粘度又较高,应使用内径10毫米的高压软管。
多功能喷涂机机器使用说明书设备的使用一、空压机。
静音空压机在工作时,要确保所有电机都能正常运转。
1、将开关按钮拔出,接通电源,机器启动,如果机器不能启动,请将气压降到0.4MPa以下就可以启动了。
2、按下开关按钮,切断电源,机器停止运转。
3、机器上装有安全阀,当压力超过设定值时,安全阀会叫响并排气泄压。
4、当需要调整工作压力时,请拆去压力开关外壳,调节气压开关内的旋转螺钉,按顺时针方向旋转增大工作压力,逆时针则反之。
注意操作前应切断电源。
5、接通电源前,务必保证机器处于关闭状态,接通电源,打开开关,即可正式运转。
6、运转中请勿接触高温部件,如缸盖,排气管,单向阀等,以免烫伤。
7、电源电缆横截面积应选择国标4平方以上,并且电源线不应太长。
8、电机不能正常运转或运转时出现异常,请立即关闭电源检查原因。
二、喷涂机机器组装好确认无误后,方可使用。
将料桶盖打开,确认桶内无异物,(首次使用向桶内加500ml-1000ml的水润滑管道),将搅拌均匀的材料倒入料桶内,首次使用至少加至桶内1/2处。
加料完毕,将乳白色圆形硅胶垫平放在材料上面(膏状体材料放此垫,液体类材料,诸如乳胶漆等,不用放此垫),盖好桶盖启动空压机,往料桶内打压,压力上到设定值后(膏状体材料0.6MP-0.8MP,液体类材料0.3MP-0.5MP )即可开始工作。
使用时先打开喷枪气阀,再打喷枪开料阀,即可喷涂。
喷涂时喷嘴距离作业面应在40-60cm左右,均匀移动喷枪,切忌忽快忽慢。
料桶内材料喷完后,把料桶调压表套件上的进气阀门关闭,然后打开放气阀(注意:放气阀上方不能放任何杂物,人体任何部位不能探到放气阀上方)。
将料桶内气体放完,打开桶盖,拿出硅胶垫,然后按照此前所述的加料过程重新加料。
特别注意:1、料桶上的调压表套件在任何时间都禁止碰撞。
2、当喷枪不出料并且料管变软时必须马上放掉桶内气体,以免硅胶垫被击穿。
郑州雅酷机电设备有限公司贡献。
喷涂机操作说明指导书喷涂机 操作说明书公司名称:厦门迈斯维自动化设备有限公司 公司地址:厦门市集美区杏林高浦西潭路 34 号之二I目录 1 安装机台 ........................................................................ 31-1 电源 ......................................................................................................................... 1-2 气压源 ..................................................................................................................... 1-3 使用注意事项 .........................................................................................................2 操作画板 ..........................................................................2-1 主要操作画板 .........................................................................................................3 软件画面操作..................................................................3-1 主画面 ...................................................................................................................... 3-2 参数设置画面 .......................................................................................................... 3-3 点胶参数画面 .......................................................................................................... 3-4 示教画面 ..................................................................................................................4 附件 ..................................................................................4-1 接点列表 ................................................................................................................. 4-2 电控图 .....................................................................................................................II1 安装机台1-1 电源本机台使用单相 220V 50HZ 电源。
目录安全警示∙∙∙∙∙∙∙∙∙∙∙∙∙∙∙∙∙∙∙∙∙∙∙∙∙∙∙∙∙∙∙∙∙∙∙∙∙∙∙∙∙∙∙∙∙∙∙∙∙∙∙∙∙∙∙∙∙∙∙∙∙∙∙∙∙∙∙∙∙∙∙∙∙∙∙∙∙∙∙∙∙∙∙∙∙∙∙∙∙∙∙∙∙∙∙∙∙∙∙∙∙∙∙∙∙∙∙∙∙∙∙1声明∙∙∙∙∙∙∙∙∙∙∙∙∙∙∙∙∙∙∙∙∙∙∙∙∙∙∙∙∙∙∙∙∙∙∙∙∙∙∙∙∙∙∙∙∙∙∙∙∙∙∙∙∙∙∙∙∙∙∙∙∙∙∙∙∙∙∙∙∙∙∙∙∙∙∙∙∙∙∙∙∙∙∙∙∙∙∙∙∙∙∙∙∙∙∙∙∙∙∙∙∙∙∙∙∙∙∙∙∙∙∙∙∙∙∙∙2 1 概述∙∙∙∙∙∙∙∙∙∙∙∙∙∙∙∙∙∙∙∙∙∙∙∙∙∙∙∙∙∙∙∙∙∙∙∙∙∙∙∙∙∙∙∙∙∙∙∙∙∙∙∙∙∙∙∙∙∙∙∙∙∙∙∙∙∙∙∙∙∙∙∙∙∙∙∙∙∙∙∙∙∙∙∙∙∙∙∙∙∙∙∙∙∙∙∙∙∙∙∙∙∙∙∙∙∙∙∙∙∙∙∙∙∙∙∙3 1.1 适用范围∙∙∙∙∙∙∙∙∙∙∙∙∙∙∙∙∙∙∙∙∙∙∙∙∙∙∙∙∙∙∙∙∙∙∙∙∙∙∙∙∙∙∙∙∙∙∙∙∙∙∙∙∙∙∙∙∙∙∙∙∙∙∙∙∙∙∙∙∙∙∙∙∙∙∙∙∙∙∙∙∙∙∙∙∙∙∙∙∙∙∙∙∙∙∙∙∙∙∙∙∙∙∙∙∙∙31.2 产品特点∙∙∙∙∙∙∙∙∙∙∙∙∙∙∙∙∙∙∙∙∙∙∙∙∙∙∙∙∙∙∙∙∙∙∙∙∙∙∙∙∙∙∙∙∙∙∙∙∙∙∙∙∙∙∙∙∙∙∙∙∙∙∙∙∙∙∙∙∙∙∙∙∙∙∙∙∙∙∙∙∙∙∙∙∙∙∙∙∙∙∙∙∙∙∙∙∙∙∙∙∙∙∙∙∙∙∙32 主要参数∙∙∙∙∙∙∙∙∙∙∙∙∙∙∙∙∙∙∙∙∙∙∙∙∙∙∙∙∙∙∙∙∙∙∙∙∙∙∙∙∙∙∙∙∙∙∙∙∙∙∙∙∙∙∙∙∙∙∙∙∙∙∙∙∙∙∙∙∙∙∙∙∙∙∙∙∙∙∙∙∙∙∙∙∙∙∙∙∙∙∙∙∙∙∙∙∙∙∙∙∙∙∙∙∙∙∙∙∙∙33 外形及结构原理∙∙∙∙∙∙∙∙∙∙∙∙∙∙∙∙∙∙∙∙∙∙∙∙∙∙∙∙∙∙∙∙∙∙∙∙∙∙∙∙∙∙∙∙∙∙∙∙∙∙∙∙∙∙∙∙∙∙∙∙∙∙∙∙∙∙∙∙∙∙∙∙∙∙∙∙∙∙∙∙∙∙∙∙∙∙∙∙∙∙∙∙∙∙∙∙∙∙∙∙4 3.1 外形∙∙∙∙∙∙∙∙∙∙∙∙∙∙∙∙∙∙∙∙∙∙∙∙∙∙∙∙∙∙∙∙∙∙∙∙∙∙∙∙∙∙∙∙∙∙∙∙∙∙∙∙∙∙∙∙∙∙∙∙∙∙∙∙∙∙∙∙∙∙∙∙∙∙∙∙∙∙∙∙∙∙∙∙∙∙∙∙∙∙∙∙∙∙∙∙∙∙∙∙∙∙∙∙∙∙∙∙∙∙∙∙43.2 结构原理∙∙∙∙∙∙∙∙∙∙∙∙∙∙∙∙∙∙∙∙∙∙∙∙∙∙∙∙∙∙∙∙∙∙∙∙∙∙∙∙∙∙∙∙∙∙∙∙∙∙∙∙∙∙∙∙∙∙∙∙∙∙∙∙∙∙∙∙∙∙∙∙∙∙∙∙∙∙∙∙∙∙∙∙∙∙∙∙∙∙∙∙∙∙∙∙∙∙∙∙∙∙∙∙∙∙∙54 使用方法∙∙∙∙∙∙∙∙∙∙∙∙∙∙∙∙∙∙∙∙∙∙∙∙∙∙∙∙∙∙∙∙∙∙∙∙∙∙∙∙∙∙∙∙∙∙∙∙∙∙∙∙∙∙∙∙∙∙∙∙∙∙∙∙∙∙∙∙∙∙∙∙∙∙∙∙∙∙∙∙∙∙∙∙∙∙∙∙∙∙∙∙∙∙∙∙∙∙∙∙∙∙∙∙∙∙∙∙∙∙55 常见故障与排除方法∙∙∙∙∙∙∙∙∙∙∙∙∙∙∙∙∙∙∙∙∙∙∙∙∙∙∙∙∙∙∙∙∙∙∙∙∙∙∙∙∙∙∙∙∙∙∙∙∙∙∙∙∙∙∙∙∙∙∙∙∙∙∙∙∙∙∙∙∙∙∙∙∙∙∙∙∙∙∙∙∙∙∙∙∙∙∙∙∙∙∙∙∙∙66 备件包清单∙∙∙∙∙∙∙∙∙∙∙∙∙∙∙∙∙∙∙∙∙∙∙∙∙∙∙∙∙∙∙∙∙∙∙∙∙∙∙∙∙∙∙∙∙∙∙∙∙∙∙∙∙∙∙∙∙∙∙∙∙∙∙∙∙∙∙∙∙∙∙∙∙∙∙∙∙∙∙∙∙∙∙∙∙∙∙∙∙∙∙∙∙∙∙∙∙∙∙∙∙∙∙∙∙∙∙87 装箱清单∙∙∙∙∙∙∙∙∙∙∙∙∙∙∙∙∙∙∙∙∙∙∙∙∙∙∙∙∙∙∙∙∙∙∙∙∙∙∙∙∙∙∙∙∙∙∙∙∙∙∙∙∙∙∙∙∙∙∙∙∙∙∙∙∙∙∙∙∙∙∙∙∙∙∙∙∙∙∙∙∙∙∙∙∙∙∙∙∙∙∙∙∙∙∙∙∙∙∙∙∙∙∙∙∙∙∙∙∙98 常用易损件∙∙∙∙∙∙∙∙∙∙∙∙∙∙∙∙∙∙∙∙∙∙∙∙∙∙∙∙∙∙∙∙∙∙∙∙∙∙∙∙∙∙∙∙∙∙∙∙∙∙∙∙∙∙∙∙∙∙∙∙∙∙∙∙∙∙∙∙∙∙∙∙∙∙∙∙∙∙∙∙∙∙∙∙∙∙∙∙∙∙∙∙∙∙∙∙∙∙∙∙∙∙∙∙9 致用户∙∙∙∙∙∙∙∙∙∙∙∙∙∙∙∙∙∙∙∙∙∙∙∙∙∙∙∙∙∙∙∙∙∙∙∙∙∙∙∙∙∙∙∙∙∙∙∙∙∙∙∙∙∙∙∙∙∙∙∙∙∙∙∙∙∙∙∙∙∙∙∙∙∙∙∙∙∙∙∙∙∙∙∙∙∙∙∙∙∙∙∙∙∙∙∙∙∙∙∙∙∙∙∙∙∙∙∙∙∙∙∙10长江牌无气喷嘴∙∙∙∙∙∙∙∙∙∙∙∙∙∙∙∙∙∙∙∙∙∙∙∙∙∙∙∙∙∙∙∙∙∙∙∙∙∙∙∙∙∙∙∙∙∙∙∙∙∙∙∙∙∙∙∙∙∙∙∙∙∙∙∙∙∙∙∙∙∙∙∙∙∙∙∙∙∙∙∙∙∙∙∙∙∙∙∙∙∙∙∙∙∙∙∙11安全警示本设备只能由经过培训的人员使用。
每种设备都有特定的用途,如果你不清楚,请咨询长江的代理商。
不要试图改造设备。
也不要超过系统的最高工作压力。
每天检查设备,立即维修或更换旧的、损坏的零配件。
阅读涂料和溶剂制造商提供的警示内容,确认使用的涂料和溶剂对设备接触到的部分应是适合的,不要用高压软管去拖拉设备。
也不要让高压软管经过交通拥挤的地方、尖锐的边缘、运动的物体和热的表面。
遵守各地方和国家所有相关的防火、用电和安全方面的法规。
不要将喷枪对准任何人或身体的任何部位。
不要将你的手或手指放到喷嘴上面。
也不要用你的手、身体、手套或抹布去堵裂缝或渗漏处。
高压涂料喷射进皮肤可能看起来只是一个伤口,但这却是一种严重的损伤,请立即看专业医生。
操作设备前,请拧紧所有的接头,并确认喷枪扳机保险能安全操作。
停止喷涂时,请锁住喷枪扳机。
每天检查高压软管和连接部位,立即更换损坏的部分,不要修理高压连接部位,你必须更换整个高压软管。
气动马达的进气软管必须捆扎和连结牢固。
在未卸压力和进气开关开启的情况下,不要松动涂料泵、高压软管及喷枪等的连接部位。
使用设备过程中必须保持良好的接,如果有静电火花或者你有电击的感觉,请立即停止喷涂,直到你找到了原因并排除了故障。
保持新鲜空气的流通,避免喷涂过程中溶剂和涂料中可燃气体的积聚。
在喷涂作业区域,不允许有明火存在。
不要在喷涂作业区域抽烟。
在喷涂作业区域,操作过程中,不要打开或者关闭任何电灯开关。
不要在喷涂作业区域开动汽油发动机。
了解你所使用涂料的特殊危害性。
始终配戴由涂料和溶剂制造商推荐的护目镜、手套、防护服和防护口罩。
活塞杆与柱塞阀体或活塞杆、连接套与柱塞阀体之间必须拧紧,并应将锁紧螺母锁紧,以防螺纹松脱后冲顶气缸,发生危险。
严禁锤击、碰撞和摔打喷涂机气缸,如发现有损坏、应予换新。
并建议喷涂气缸在累计工作5000小时(或三年)后,应予换新,以确保安全。
连接气缸与气缸下盖的M10(或M8)螺栓,在维修、保养时,都应按下表规定的扭矩拧紧。
如发现有螺栓变形、滑扣等异常现象,应按下列规定的性能等级和规格换新。
声明:因产品不断改进,可能与说明书有差异,请以实物为准。
对由于勘误或产品改进所引起的内容更改均由重庆长江涂装机械厂随时作出解释,恕不另行通知,修正内容将编入再版的使用说明书中。
GPQ6C、GPQ6CS、GPQ7C、GPQ7CS、GPQ8C、GPQ8CS型无气喷涂机1概述1.1适用范围GPQ6C、GPQ6CS、GPQ7C、GPQ7CS、GPQ8C、GPQ8CS型无气喷涂机,是我厂自行研制的第三代喷涂设备。
适用于船舶、汽车、铁道车辆、地质、航空航天等工业部门对难以施工的新型涂料、厚膜型重防腐的喷涂。
其中GPQ6C、GPQ7C、GPQ8C为小车式,而GPQ6CS、GPQ7CS、GPQ8CS为小车自动升降式,用户可根据需要进行选择。
1.2 产品特点GPQ6C、GPQ6CS、GPQ7C、GPQ7CS、GPQ8C、GPQ8CS型无气喷涂机技术先进,新颖独特,不易发生换向“死点”故障;也不易由于排气部位的“绝热膨胀”造成“霜冻”结冰而停机;新型的消音装置,大大降低了排气噪声;配气换向装置新颖独特,换向动作灵敏可靠,压缩空气消耗量少,能源消耗低;在主参数相当情况下,不但其重量仅为国外同类产品的三分之一,体积仅为四分之一,而且具有较高的工作可靠性,有利于确保涂装周期,提高和保证涂装质量。
2 主要技术参数表1 主要技术参数注:1、涂料排量是指空载压力工况下的涂料排量2、最大喷嘴号是我厂无气喷嘴编号。
3 外形及结构原理图3.1 外形GPQ6C、GPQ7C、GPQ8C型外形见图1。
图 1 外形结构1、涂料泵2、油雾器3、调压阀4、泵座5、消音器6、配气换向装置7、车架8、观察螺塞9、先导阀 10、气动泵 11、进气滤芯 12、进气系统 13、涂料过滤器 14、放泄阀 15、回转喷嘴 16、无气喷枪 17、喷枪保险 18、回转接头 19、高压软管 20、放泄软管 21、吸入软管 22、放泄管 23、吸入管 24、涂料桶GPQ6CS、GPQ7CS、GPQ8CS 型外形(小车自动升降式) 见图2。
图 2 外形结构1、涂料桶2、车架自动升降控制阀3、自动升降气缸4、自动升降式车架5、喷涂机泵体6、涂料过滤器7、放泄阀8、高压软管9、回转喷嘴 10、无气喷枪3.2 结构原理图 (见图3)图3 气动液压原理图喷涂机的主要工作部位为双作用式气动液压增压泵,换向机构为特殊形式的先导式全气控配气换向装置。
进入压缩空气后,活塞移动到气缸上或下端部时,使上或下先导阀动作,控制气流瞬间推动配气换向装置换向,从而使气动马达的活塞作稳定连续地往复运动。
由于活塞与涂料液压泵中的柱塞刚性连接,并且,活塞的面积比柱塞的面积大,因而使吸入的涂料增压。
被增压的涂料,经高压软管输送至无气喷枪,最后在无气喷嘴处释放液压、瞬时雾化后喷向被涂物表面,形成涂膜层。
4 使用方法4.1使用前应首先检查喷涂机中各螺栓、螺母、各管路接头,包括吸入系统的联结螺母和喉箍是否拧紧。
仔细了解各气路闸阀的启闭方向及调压阀、放泄阀的旋向。
(调压阀手轮顺时针旋大,反时针旋小)4.2将涂料吸入管及放泄管均插入稀料桶,接通气源,根据涂料种类,调节进气压力,为保证使用安全,最高进气压力不准超过0.6 MPa;而且,只要涂料雾化良好,进气压力越低越好。
4.3开启放泄阀(不开喷枪),此时喷涂机的气动液压增压泵即会连续、稳定地往复运动,待喷涂机涂料液压系统空载压力工况循环2~3分钟后,关闭放泄阀,如涂料液压系统压力平衡后,气动液压泵能自行平衡静止,此时即可进行喷涂。
4.4喷涂时,手持喷枪方向应与被涂工件垂直或稍微倾斜,移动方向应与被涂表面平行。
快慢均匀且以不产生流挂为妥。
4.5涂料必须保持清洁。
对于不清洁的涂料,根据涂料颗粒大小及粘度应尽量先经40~100目的滤网过滤后方可进行喷涂。
如果是新开桶的涂料较清洁没有漆皮、砂粒等杂质,搅拌均匀后则不必过滤。
对于容易沉淀的涂料,在喷涂过程中还应经常将涂料连续搅拌。
4.6喷涂过程中,清洗更换喷嘴,或不喷时,应及时将喷枪保险锁住。
在任何情况下,喷枪枪口不能朝向自己或他人,以免误压扳机,高压涂料喷出损伤人体。