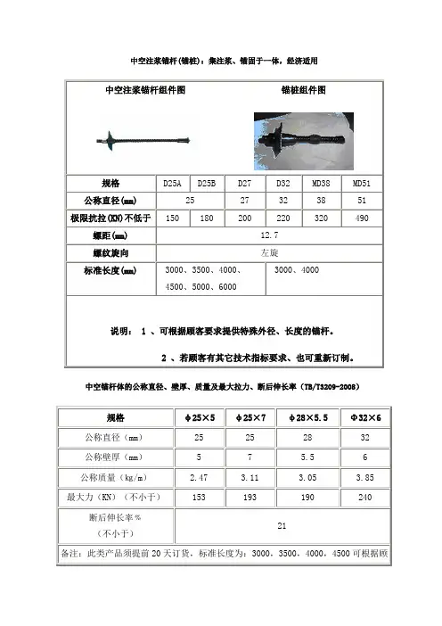
锚杆砂浆及中空注浆
- 格式:docx
- 大小:70.92 KB
- 文档页数:4
中空型注浆锚杆与普通砂浆锚杆的工作性能比较中空型注浆锚杆与普通砂浆锚杆的工作性能比较冶金部建筑研究总院程良奎杭州图强工程材料有限公司王勇摘要:锚杆支护是提高岩土工程稳定性的一种最经济有效的方法。
本文分析了普通砂浆锚杆的缺陷,比较了中空注浆锚杆与普通砂浆锚杆的工作特性,提出了应用长期的隐性效益的观点来看待锚杆的经济性,并指出中空注浆锚杆体系的出现和发展是我国岩土锚杆技术进步的一个标志。
随着交通、能源等基础设施建设力度的加大,在隧道、地下硐室和边坡中,作为能充分发挥岩体自稳能力的锚固技术已得到迅速发展,岩石锚杆用量与日俱增,显示出广阔的发展前景。
在这种新形势下,如何选择安全和可靠的锚杆结构形式,避免因锚杆缺陷而造成塌方冒顶事故和其它工程病害,确保工作的长期稳定,就成为当前岩土界一个无法回避的重要问题。
本文分析了普通砂浆锚杆的缺陷,比较了中空注浆锚杆与普通砂浆锚杆的工作特性,提出了应用长期的隐性效益的观点来看待锚杆的经济性,有助于岩土工程界正确看待中空注浆锚杆的工作特点与发展前景。
1、普通砂浆锚杆的技术缺陷工程实践表明,普通砂浆锚杆虽具有成本低廉,施工简便等优点,但其自身固有的技术缺陷却潜伏着对锚杆工程质量和锚固效果的严重威胁,这是不容忽视的。
普通砂浆锚杆的主要缺陷有:a、普通砂浆锚杆常采用先灌浆后插筋的工艺,人为因素对灌浆饱满度影响较大,特别是当施工向上仰斜或长度大于3.0m的锚杆,灌浆饱满程度更难于保证,常导致实际的有效锚固区与设计要求相差甚远,而当前又缺乏检验砂浆饱满度的有效方法,锚杆的抗拔试验也无法判定这类全长粘结型锚杆是否满足设计要求(因只要在不小于锚杆体直径的25~35倍的长度内灌满砂浆,在极限荷载的作用下总是杆体钢材出现颈缩与破坏),因此当前广泛使用的砂浆锚杆留下的深深的隐患,更危险的是通常这种隐患是不被人们察觉的。
b、普通砂浆锚杆一般不设垫板和螺母(有时仅设置垫板,但无带丝扣的螺母),无法在锚杆安装后提供托板力,锚杆的作用完全处于被动状态,只有当岩体位移时,锚杆才开始发挥作用,这就不利于控制岩体开挖后早期的松动与位移。
锚杆加固施工技术要求和操作要点导言锚杆是土木建筑体加固的杆件体系结构,通过锚杆杆体的纵向拉力作用,克服岩土体抗拉能力远远低于抗压能力的缺点。
今天我们总结了锚杆施工要点,一起来看吧。
1、关于布置锚杆的技术要点建筑施工人员一般会按照隧道断面成放射状且与岩体主结构面成较大角度布置,当遇到主结构面不明显的时候,施工技术人员可以按照隧道工程建设周边轮廓的垂直布置,在面上面进行梅花形锚杆的布点阵。
2、锚杆孔的位置一般来说,误差不大于-4~10cm,在施工人员钻孔其后,应要使用高压水来干净将其冲洗干净,然后再用高压气将里面的水份吹出来,蒸发干。
对于机械锚固锚杆孔,应将孔深的误差控制在-1~1cm,当技术人员钻到了设计深度时,如果遇到了破碎的岩土夹层或者是比较软的岩石,就应变更锚杆的位置和深度。
3、锚杆支护施工过程技术人员一定要保证杆身是笔直无缺损的,不能沾有油圬和杂质,同时依然不能有铁锈,否则会严重影响施工进度施工的整体质量。
至于楔缝锚杆,必须要保证楔缝的平整与垂直,位置应在锚杆中心的截面上面,而缝宽的误差要管控在±0.5mm之间,缝长的测量误差摇控制在±5mm。
4、锚杆的安装技术要求在按照钢筋砂浆锚杆的时候,一般分为先灌浆后承重和先锚后灌浆两种类型的施工工艺,先灌浆后锚杆施工法,在安装的时候就要特别注意漏浆质量问题的发生,而先锚后灌浆施工法,则要高度关注注浆排气的问题,不然就会很容易产生砂浆不饱满的情况,这样不佳要直接导致锚固效果不佳。
在按照树脂短果的时候,通常需要使用杆体将消毒液送到孔底捅破并搅拌30s,以此来固定杆体,在15min后,树脂固化达80%~90%的最终强度,根本无法进行垫板的安装施工。
在低温和孔中有流水(180~390ml/min)的情况下,树脂锚杆目前仍然可以使用。
预应力锚杆安装,锚杆内锚头锚固随后,外锚端用千斤顶张拉,对每根锚杆加10t左右的预张拉力,紧固杆体尾部垫板螺栓,全长灌注水泥砂浆。
中空注浆锚杆作业技术交底中空注浆锚杆杆体为中空厚壁全螺纹杆体,外径25mm,内径15mm。
施工前先检查锚杆类型、规格、质量及其性能是否与设计相符。
根据锚杆类型、规格及围岩情况准备钻孔机具。
钻孔采用YT-28风钻,一次成孔。
孔眼间距、深度和布置符合设计参数的要求。
锚杆钻孔应符合下列要求:(1)钻孔机具应根据锚杆类型、规格及围岩情况选择;(2)应按设计要求定出位置,孔位允许偏差为150mm;(3)应保持直线,并宜与其所在部位的岩层主要结构面垂直;(4)深度及直径应与杆体相匹配。
将打好的眼孔用高压风吹净,将锚杆插入,其位置尽量居中,尾部外露长度为5~15cm。
注浆浆液为1∶1水泥砂浆,水灰比0.38~0.45。
在施工中,根据地质情况现场试验调整参数。
注浆时在锚杆上安装止浆垫圈封堵孔口,工作面上的裂纹用塑胶泥封堵。
管端外露20cm,以便安装注浆管。
采用定量注浆,控制进浆速度,一般每根导管控制在30升/分钟以内,即每孔注入0.30m3浆,注浆结束后锚杆及时安装托板。
注浆最高压力严格控制在1.0MPa以内,以防压裂工作面。
每根导管内注浆量由计算确定,若压力上升,流量减少,虽然注浆量未达到计算值,但孔口压力达到1.0MPa时结束注浆。
注浆结束后及时清洗泵、阀门和管路,保证机具完好,管路畅通。
施工环保、水土保持措施:1)施工前,根据本标段工程特点,详细调查施工驻地、施工场地、取弃土场、施工便道、砂石料开采区域的环境概况,编制由于施工活动可能造成的施工区域环境影响报告书,报有关部门审批,保证施工方案将环境影响减少到最低程度。
2)施工过程中采取完善的环保、水保措施,本着三同时(同时设计、同时施工、同时投产)的原则与工程本体同步实施,不留尾巴,不留后患。
确保工程所处的环境不受污染和破坏。
把因施工原因产生的噪声、大气污染对现场人员及公众造成的危害降到最低限度。
保护生态和水资源环境,废水、弃碴、泥浆以及工程按规定排放、处理,完工后及时恢复植被,杜绝水土流失。
隧道系统锚杆施工作业指导书一、适用条件隧道施工中喷锚构筑法中常用的支护方式,表现为锚喷、网喷以及锚杆、钢筋网、喷混凝土联合支护,锚杆又分砂浆锚杆及中空注浆锚杆两种常用支护方式.一般用于各级围岩初期支护以及临时支护.本作业指导书适用于红池隧道及转心湖隧道系统锚杆施工.二、锚杆施工工艺1、工艺原理锚杆是隧道施工过程中维护围岩稳定、保证施工安全的重要手段之一长锚杆对软岩隧道约束围岩变形起重要作用,相应的施工机具配备在软岩施工中应予考虑,施工完成后可以作为永久支护的一部分.锚杆的主要作用是将松弛的围岩和稳固的基岩联系起来共同受力,还可以通过对锚杆施加预应力来改善围岩的节理、裂隙,提高围岩的整体性和承载能力.因此,锚杆施工的技术关键是保证锚杆与围岩的充分密贴和固结,防止锚杆灌浆的空洞.2、锚杆施工工艺流程.1砂浆锚杆施工工艺流程23、施工方法锚杆施工以多功能作业台架为作业平台,用风钻钻孔、人工安装,对部分软岩需施工长锚杆中空注浆锚杆,采用锚杆钻机施工,以提高施工速度和施工质量.钻孔机具应根据锚杆类型、规格及围岩等情况选择.一般孔径小于48mm,孔深小于4m的锚孔,可用凿岩机或锚杆台车成孔;孔大、眼深的锚孔宜选用凿岩台车、支架式钻机、工程钻机、地质钻机等机械成孔.1布眼系统锚杆按照设计间距,梅花形布置;锁脚锚杆在钢架拱脚处两侧各两根,钢架分单元支撑时,每次要布置锚杆.根据设计要求定出锚杆孔位,作出标记.2钻孔钻孔采用手持风钻,钻杆采用长、短配套,钻头直径比锚杆直径大15mm.将钻孔台架移至施工面,两人操作一台钻机,一人掌钻,推进钻杆;一人掌钎,双手握钻杆对准眼位,控制方向;启动时速度要慢,待钻杆进入一定深度且方向准确后掌钎人松手,钻眼速度方可加快.钻眼深度较深时,先用短钎,达到一定深度后,换短钎为长钎.3锚杆入孔检查孔位方向及深度后,用高压风清孔,将虚渣及粉尘清理干净;人工或锤击将锚杆插入孔内后,安上止浆塞,用木楔或小石子在孔口卡住,防止杆体滑出.安装上钢垫板和螺母,上紧螺母,使钢垫板紧贴岩面.锚杆插入长度不得小于设计长度的95%,且应位于孔的中心.4注浆1中空锚杆注浆锚杆入孔后,在外露锚杆头接上注浆嘴,注浆使用注浆罐及注浆管,直到孔口有浆液流出为止.孔口压力控制在以内.2普通砂浆锚杆注浆清孔后,将注浆管插入孔底5cm~10cm,启动高压风开始注浆,孔口压力不大于;缓慢抽拔注浆管,直到孔口有浆液流出为止,停止注浆;迅速插入锚杆.当采用早强药包时,应先将药包浸湿,根据孔深将药包剥除封皮后塞入孔内适当长度,再将锚杆用铁锤打入孔内,并封口.当锚杆长度为4m时,塞入的药包为10节.3锚杆注浆注意事项未达到设计强度70%时,不得随意碰撞,三天内不得悬挂重物.锚杆安设后,不得随意敲击.水泥砂浆随备随用,在砂浆初凝前必须使用完.4、施工技术要求1锚杆使用前,应在现场进行工艺、力学试验.2锚杆应包括杆体、垫板碟形托板、螺母挡环等主要构件,锚杆材料的品种应符合设计要求,并应进行以下检验:1外观质量检验:杆体直径要均匀、一致,无严重锈蚀、弯折;2抗拉强度试验应满足设计与工程要求;3加工后的锚杆的杆体尺寸应符合设计要求,车丝部分无偏心,有焊接件时焊缝表面不得有裂纹、焊瘤等缺陷.3锚杆施工应在初喷混凝土后进行,以保证锚杆垫板有较平整的基面.4 锚杆钻孔应符合下列要求:1应按设计要求定出位置,孔位允许偏差为±150mm.2钻孔应与围岩壁面或其所在部位岩层的主要结构面垂直.3钻孔应圆而直,砂浆锚杆的直径应大于杆体直径15mm,中空锚杆的钻孔直径应与杆体直径相匹配.4钻孔深度不得小于锚杆设计长度,并大于锚杆设计长度10厘米.5锚杆安装应符合下列要求:1杆体插入锚杆孔时,应保持位置居中,插入深度不小于设计的95%,如锚杆长度为4米时,插入深度应不小于米,插入困难时,应采用自钻式锚杆;2在有水地段安装普通砂浆锚杆时,应将孔内水引出或在附近另行钻孔后,再安装锚.3锚杆必须安装垫板,垫板应与喷射混凝土面密贴,垫板一般采用厚度6~10mm的钢板制成4锚杆尾端外露头长度宜小于喷射混凝土层厚度.6砂浆锚杆施工应符合下列要求:1锚杆杆体使用前应平直、除锈、除油;2水泥砂浆强度不低于M20,砂胶比宜为1∶1~1∶2重量比,水灰比宜为~.宜采用中细砂,粒径不应大于,使用前应过筛.3、砂浆应拌和均匀,随拌随用.一次拌和的砂浆应在初凝前用完,并严防石块、杂物混入.锚杆孔内灌注砂浆应饱满密实.7中空锚杆注浆作业应遵守下列规定:1锚杆注浆料采用纯水泥浆或1:1水泥砂浆,水胶比为~.采用水泥砂浆时砂子粒径不应大于.2注浆开始或中途停止超过30min时应用水或稀水泥浆润滑注浆罐及其管路.3注浆时注浆管应插至距孔底50~100mm,随砂浆的注入缓慢匀速拔出,杆体插入后若孔口无砂浆溢出,应及时补注.4锚杆安装后,不得随意敲击.5安装托板和紧固螺帽应在水泥浆体的强度达到10MPa后进行.5、施工注意事项1锚杆施工时应根据岩层走向,尽量使锚杆垂直岩层层理面打入,这样可以更好发挥锚杆加固、悬吊等作用,增强锚固效果.2软岩中施工锚杆,注浆固结对提高锚杆和岩体粘结强度、固结锚杆四周松散土体有重要作用,可以大大提高锚杆支护后承载圈的整体性,增加围岩自稳能力.3垫板是锚杆充分发挥作用的重要保证,施工中必须认真、迅速的按要求安设垫板.6、质量检验与控制锚杆施工应进行质量检查检验,并符合下列要求:1锚杆所使用的钢筋及半成品、成品锚杆的类型、规格、性能等应符合设计要求和国家现行有关技术标准的规定.2锚杆应平直、无损伤,表面无裂纹、油污、颗粒状或片状锈蚀.3锚杆数量、长度、间距、方向符合要求,锚杆垫板与基面密贴.4灌注砂浆应密实饱满,砂浆强度等级、配合比应符合设计要求.5锚杆的长度、砂浆饱满度可采用质量无损检测;6锚杆的粘结强度符合设计或规范要求通过锚杆抗拔试验检验.7用锚杆钻机钻孔时,孔深要根据实际地质情况及设计确定.孔位的偏差控制在200mm 以内,孔深不得小于图纸所示长度.8清孔:钻孔排渣结束后,需将孔内冲洗干净.清孔一定要彻底,对部分孔内粉泥用高压风清不干净的,宜用高压水冲洗后再用高压风冲洗孔内的水.向孔内注水后,注意孔内漏水情况.若漏水量小,用风吹干孔内水份;若漏水量较大,则向监理工程师、设计代表汇报,以确保相应的处理措施.9所用材料均要有出厂合格证及复检合格试验报告单.锚杆尽可能采用原毛料长度最长为12m,以避免因长度不足而焊接钢筋,影响锚杆强度.锚杆安装前应对锚孔进行复检后再安装.10按4%进行拉拔试验,拉拔值不小于设计值.11锚杆材质检验:每批锚杆材料均应附有生产厂家的质量证明书,按施工图纸规定的材质标准以及经理工程师指示的抽检数量检验锚杆性能.12注浆密实度实验:选取与现场锚杆的锚杆直径和长度、锚孔孔径和倾斜度相同的锚杆和塑料管或钢管,采用与现场注浆相同的材料和配合比拌制的砂浆,并按现场施工相同的注浆工艺进行注浆,养护7 天后剖管检查其密实度.不同类型和不同长度的锚杆均需进行试验,试验计划及结果都要报送监理工程师审批.13拉拔力试验:按作业分区在每300~400 根或按设计要求锚杆中,抽查不少于一组3 根进行拉拔力试验.试验要求在砂浆锚杆养护28 天后,安装张拉设备逐级加载张拉至拔出锚杆或将锚杆拉断为止,拉力方向应与锚杆轴线一致.喷锚支护处的锚杆抽检,也按照以上方法进行试验,但不同之处是,当拉力达到规定值时,就立即停止加载,结束试验.三、机具设备配置钢筋切割机1台、电焊机2台、调直机1台、注浆机1台、风钻6台、电动空压机2台、多功能作业台架1台、运输车1台.四、劳动力组织锚杆加工及安装:锚杆加工2人、钻孔6人、锚杆安装8人、注浆4人、空压机司机2人.五、安全、质量环保措施1、进入施工现场必须佩戴安全帽.作业台架应搭设稳固,连接扣件要扣牢固.台架上需搭设木板并固定牢固.高空作业必须系安全绳.2、各种支护结构的原材料必须经检验合格方可使用.3、隧道初期支护严格按照设计要求进行,并紧跟开挖,及早封闭成环.4、应随时注意开挖过程中初期支护结构的稳定性,必要时进行初期支护加固,以策安全.5、锚杆孔位、孔深及布置形式应符合设计要求,锚杆孔定位应先用红油漆沿岩面按设计横纵间距进行标识.钻孔方向必须与开挖轮廓线保持垂直.6、做好废油、废料的收集、处理,不得随意排放,丢置,洞内注意污水的排放,须经净化达标后方可排放.7、不得在洞内及加工场所随意燃烧垃圾,并注意防火,确保施工安全.附:锚杆的基本术语锚杆索:将拉力传至稳定岩土层的构件.当采用钢绞线或高强钢丝束作杆体材料时,也可称为锚索.土层锚杆:锚固于土层中的锚杆.岩石锚杆:锚固于岩层内的锚杆.系统锚杆:根据岩体稳定要求在整个开挖面上按一定的间排距有规律布置的锚杆.建筑边坡:在建构筑物场地或其周围,由于建构筑物和市政工程开挖或填筑施土所形成的人工边坡和对建构筑物安全或稳定有影响的自然边坡.永久性锚杆:设计使用期超过24个月的锚杆.临时锚杆:设计使用期不超过24个月的锚杆.基本实验:现场的锚杆极限抗拔力试验.采用分级加荷、卸荷的增量试验法,记录起始荷载下和每次加荷、卸荷时锚杆的位移.验收试验:为确认工程锚杆对锚杆设计荷载的安全性而进行的锚杆试验,采用荷载分级增量试验法,并记录每级荷载作用下锚杆的位移.蠕变实验:确定锚杆在恒定荷载作用下位移随时间变化规律的试验.拉力设计值:锚杆在设计使用期内可能出现的最大拉力值.。
隧道初期支护施工技术隧道衬砌大多采用复合式衬砌结构,即以锚杆、钢筋网、喷射混凝土和钢架为初期支护,以模筑钢筋混凝土为二次衬砌。
新奥法区间隧道初期支护有锚杆、型钢钢架或格栅钢架、挂钢筋网和喷射混凝土等几种,根据隧道断面和围岩级别选择不同的支护组合。
一、锚杆施工工艺隧道使用的锚杆有中空注浆锚杆、砂浆锚杆、药卷锚杆和自进式对拉锚杆等类型。
各类锚杆施工方法如下。
1.中空注浆锚杆中空注浆锚杆是一种可测长排气的中空注浆锚杆。
中空注浆锚杆由锚头与锚杆体连接。
锚杆体上设有止浆塞、垫板以及紧固螺母,具有沿锚杆体轴向设置、位于锚杆体外侧并与锚杆体连接的测长排气管。
测长排气管前端封头与锚头平齐,测长排气管后端开口,并伸出锚杆体,测长排气管管壁上遍布可阻止水泥砂浆进入的气孔,结构简单,使用方便,既可在锚杆施工后方便地检查锚杆体真实长度,确保锚固施工质量,又可在注浆施工时排出锚孔中的空气,有利于注浆施工的进行。
工程中常采用带排气装置的φ25中空锚杆。
锚杆设置钢垫板,垫板尺寸为150 mm×150 mm×6 mm。
中空锚杆孔使用手风钻或凿岩台车钻孔。
钻孔前,根据设计要求定出孔位,钻孔保持直线并与所在部位岩层结构面尽量垂直,钻孔直径为42 mm,钻孔深度大于锚杆设计长度10 cm。
中空注浆锚杆施工程序如下:钻孔完成后,用高压风吹净孔内岩屑;将锚头与锚杆端头组合后送入孔内,直达孔底;固定好排气管,将止浆塞穿入锚杆末端与孔口齐平,并与杆体固紧;锚杆末端戴上垫板,然后拧紧螺母;采用锚杆专用注浆泵向中空锚杆内压注水泥浆,水泥浆的配合比为1∶(0.3~0.4),注浆压力为1.2 MPa,水泥浆随拌随用。
2.砂浆锚杆系统锚杆和临时支护常采用22 mm、25 mm两种直径的砂浆锚杆。
(1)准备工作检查锚杆类型、规格、质量及其性能是否与设计相符。
根据锚杆类型、规格及围岩情况准备钻孔机具。
(2)钻孔砂浆锚杆钻孔采用手风钻或凿岩台车进行,孔眼间距、深度和布置应符合设计参数的要求,其方向垂直于岩层层面。
隧道中空注浆锚杆施工常见质量通病与控制管理锚杆是隧道施工地程中维护围岩稳定,保证施工安全的重要支护手段之一。
施工完成后,在一定程度上它还可以作为永久支护结构的一部分发挥作用。
本文结合隧道施工实际,就中空注浆锚杆施工工艺、常见质量通病及质量控制管理进行了探讨,对规范隧道中空注浆锚杆施工作业,消减锚杆施工过程中容易出现的质量通病具有一定的指导作用。
1 前言锚杆是隧道施工地程中维护围岩稳定,保证施工安全的重要支护手段之一。
施工完成后,在一定程度上它还可以作为永久支护结构的一部分发挥作用。
因此,在施工中,如何保证和检查锚杆的施工质量,加强质量控制和管理是极为重要的。
但从目前的施工状况来看,锚杆打设角度不对,长度不足,不配置锚垫板、布置不合理、注浆充填不密实、不注浆、不放少放药卷,甚至“长锚短打”的现象时有发生。
造成这种现象的原因虽然是多方面的,但主要还是对锚杆在隧道施工中的作用认识不足,不能完全按照要求施工,而且缺乏行之有效的质量控制管理和检测手段。
2 中空注浆锚杆的施工工艺中空注浆锚杆采用中空设计,实现了注浆的功能,注浆饱满,并可实现压力注浆。
中空注浆杆体的居中性好,砂浆可以将锚杆体全长包裹,避免了锈蚀的可能性,达到长期支护的目的。
中空注浆安装方便,不需现场加工螺纹,就可方便的安装垫板、螺母。
中空注浆采用向上排气锚头,彻底解决了水平线以上中空注浆锚杆排气问题。
2.1 准备工作。
中空注浆锚杆施工时,应做好以下准备工作:进行注浆密实度实验:选取与现场锚杆的锚杆直径和长度、锚孔孔径和倾斜度相同的锚杆和塑料管(或钢管),采用与现场注浆相同配合比拌制的水泥浆,并按现场施工相同的注浆工艺进行注浆,养护7天后剖管检查其密实度。
不同长度的锚杆均需进行试验,以此检验注浆效果。
在钻孔前应对隧道周围及掌子面前方的地质情况进行探测,清理掌子面上的松动危石,确保作业人员的安全。
中空注浆锚杆应包括(硬质塑料)锚头、止浆塞、垫板、螺母等配件,其质量证明文件应齐全,应采用厂家制造的成套成品。
中空注浆锚杆一、GM系列自进式中空注浆锚杆1.GM自进式锚杆的结构在各类地下工程中普遍存在着软弱围岩、断层破碎带、高地应力大变形等复杂地质条件,给岩锚施工带来了极大的困难,特别是在坍孔严重需要特长锚杆的情况下,普通的锚杆无能为力。
GM自进式锚杆将钻孔、注浆及锚固等功能一体化,在隧道超前支护,径向支护及各类边坡处理,高地应力大变形等病害的整治工程中均能很好地改良围岩,达到理想的支护效果。
1)球形螺母:能将围岩应力集中传递到垫板上。
2)拱形垫板:能承受更大的围岩应力。
3)止浆塞:使注浆保持一定压力以充分填充围岩空隙。
(未示)4)锚杆体:全长国际标准波形连接螺纹,便于安装钻头、联结套、紧固螺母:并能任意切割和连接加长。
5)锚杆联结套:使锚杆能边钻进边加长至设计的深度。
6)钻头:具较强穿透力,使锚杆能穿过各类岩石。
2.特点与世界上所有自进类型锚杆一样,G¨自进式锚杆采用良好的厚壁无缝钢管材料、完美快捷的表面螺纹成形工艺以及做工精良的配件,真正实现了自进式锚杆钻孔、注浆、锚固等功能的统一。
1)锚杆前有穿透力强的钻头,在一般凿岩石机械的作用下,可以轻易穿透各类岩石。
2)锚杆具有连续的国际标准波形螺纹,可以作为钻杆配合钻头完成钻孑L成锚孑L。
3)作为钻杆的锚杆体无需拔出,其中空可作为注浆通道,从里至外进行注浆。
4)高效能的止浆塞使注浆能保持较强的注浆压力,充分地充填空隙,固定破碎岩体,高强度的垫板、螺母可以将深层围岩应力均匀地传递到周壁围岩上,达到围岩与锚杆互为支护的目的。
5)采用机械切削工艺加工的高强度联结套,使自进式锚杆具有边钻进边加长的特性,使其可适用于较狭小的施工空间,实现了特长锚杆加固围岩的设计思想。
6)由于该锚杆三位一体的功能使得它在各类围岩条件下施工时,不需套管护壁、预注浆等特殊手法也能形成锚孑L并保证锚固与注浆效果。
3.技术参数注:1)螺纹方向:可根据施工需要改变;2)标准长度;可以根据现场要求确定尺寸;型号GM25 GM32 GM38 GM51 直径/壁厚25/5.5 32/7.00 38/7.00 51/8.0抗拉强度600 600 600 600 重量 2.5 3.6 4.9 7.8齿高 1.5螺距12.7螺纹方向左旋标准长度 2.0 3.0 3.5 4.0 4.5长度误差±2.5%最大钻进深度12米以上4.施工工艺GH自进式锚杆,采用左旋国际标准波形螺纹联结,施工极其简便、快捷。
自钻中空注浆锚杆
一、结构:
自钻式(自进式)中空注浆锚杆由硬质合金钻头、中空全螺纹锚杆体、止浆塞、垫板、螺母、连
接套等组成,是在杆体头部装上硬质合金钻头,直接钻进注浆,无需取出的一种锚杆结构。
二、自钻式(自进式)中空注浆锚杆特点:
1. 这是破碎围岩、软弱围岩、高地应力大变形等复杂地质条件的最佳施工方案,它避免了因为塌
孔对施工的影响。
2. 中空设计,使锚杆实现了注浆管的功能,避免了传统施工工艺注浆管拔出时造成的砂浆流失。
3. 注浆饱满,并可实现压力注浆,提高工程质量。
4. 由于各配件的作用,杆体的居中性很好,砂浆可以将锚杆体全长包裹,避免了锈蚀的危险,达
到长期支护的目的。
5. 安装方便,不需现场加工螺纹,就可方便地安设垫板、螺母。
三、施工方法:
自钻式(自进式)中空注浆锚杆主要应用于破碎岩层、软弱围岩、高地应力大变形等复杂地质条件,进行支护、抢险、治理坍方等自钻注浆的一切场合,适用范围更广,功能更高。
它在中空锚杆体头部装上硬质合金钻头,用锚杆体代替钻杆进行钻进,钎尾连接杆把锚杆体和凿
岩机相连,用凿岩机凿孔至设计锚杆深度后,安装止浆塞、垫板、螺母后,进行注浆。
当在边坡支护
或水电站施工中,也可用大直径锚杆代替潜孔钻钻杆,进行钻孔注浆,威力更大,作用比锚索更强,
更快捷方便,施工成本更低。
18中空注浆锚杆与砂浆锚杆的鲜明对比众所周知,矿用支护锚杆很多种,塑料胀套式锚杆,左旋锚杆,玻璃钢锚杆,树脂锚杆,管缝锚杆,自进式锚杆等等,材质不一样规格尺寸也是不一样的,那它们各自特点也是不一样的,形成鲜明对比,下面我们一起来看下中空注浆锚杆与砂浆锚杆的不同之处:中空注浆锚杆:锚头:锚头上的倒刺可将锚杆定位于钻好的孔内,并保证杆体良好居中。
锚杆体:总成中最重要的构建,在锚固和支护中起主要作用。
止浆塞:在注浆过程中保持注浆压力,使浆液充分填充进围岩缝隙。
垫板:承受更大的围岩应力。
螺母:将围岩应力集中到垫板上。
中空注浆锚杆特点将锚杆和注浆管的功能合二为一、注浆时它是注浆管,注完浆后无需拨出即成为一根锚杆。
中空设计使锚杆实现了注浆管的功能,避免了传统施工工艺注浆管拨出时造成的砂浆流失。
注浆饱满,并可实现压力注浆,提高了工程质量。
由于各配件的作用,杆体的居中性很好,砂浆可以将锚杆体全长包裹,避免了锈蚀的危险,达到长期支护的目的zy18。
安装方便,不需现场加工螺纹,就可方便的安设垫板、螺母。
结合配套的锚杆专用注浆泵和注浆工艺,是目前国内唯一彻底解决了传统锚固支护诸多问题的锚固体系。
中空注浆锚杆施工工艺:钻进:用普通凿岩机钻孔并清孔。
插入锚杆:将安装好锚头的中空注浆锚杆插入孔,锚头上的倒刺立即将锚杆挂住。
安装止浆塞,垫板,螺母。
连接注浆机:通过快速注浆接头将锚杆尾端和所选注浆机连接。
注浆:开动机器注浆,如需要进行压力注浆改良围岩结构,只需待压力表上指针升至设计压力时即可。
而砂浆锚杆是使用水泥砂浆作为锚固剂的锚杆。
此类锚杆安装简便,成本较低廉,但是锚固力较弱,砂浆锚杆主要用于岩石构造较完整的边坡保护或者临时锚固的地点,一般多用于隧道设施建设中。
砂浆锚杆安装中-运-智-能-集-团(1)安装前,应检查锚杆体钻头的水孔是否畅通,若有异物堵塞,应及时清理。
(2)锚杆体装入设计深度后,应用水和空气洗孔,直至孔口反水或返气。
砂浆锚杆计算注浆量
(质量):水泥(质量)=0.5:1 计算依据:
《建筑地基处理技术规范》JGJ79-2012中8.2.3-3公式:
V=3.14*R^2(L+R)αβn
其中:α—充填系数,取0.6-0.8
β—工作条件系数,考虑浆液流失,取1.1
r---有效加固半径,无试验条件时,可取0.4m-0.5m
L+r)----加固长度
n—加固土体的孔隙率
本工程单位米用量计算中:
α取0.6;
β取1.1;
r取0.4m;
(L+r)=1m;
3细砂层和○4粉土层,根据地勘报告锚索所在部位主要为○地勘中3细砂层无相关参数,4粉土层孔隙比e平均值为0.62,
根据土力学原理孔隙率n与孔隙比e关系:n=e/(1+e),计算得n=0.38 计算得每米注浆量为:V=0.6*1.1*3.14*0.42*1*0.38=0.126m³
0.5水灰比的水泥浆密度为:1.5/[0.5/1+1/3]=1.8g/cm³=1800kg/m³
因此需要总水泥浆质量为:1800kg/m³*0.126m³=226.8kg
其中水泥含量为:226*2/3=151.2kg。
砂浆锚杆计算注浆量
(质量):水泥(质量)=0.5:1 计算依据:
《建筑地基处理技术规范》JGJ79-2012中8.2.3-3公式:
V=3.14*R^2(L+R)αβn
其中:α—充填系数,取0.6-0.8
β—工作条件系数,考虑浆液流失,取1.1
r---有效加固半径,无试验条件时,可取0.4m-0.5m
L+r)----加固长度
n—加固土体的孔隙率
本工程单位米用量计算中:
α取0.6;
β取1.1;
r取0.4m;
(L+r)=1m;
3细砂层和○4粉土层,根据地勘报告锚索所在部位主要为○地勘中3细砂层无相关参数,4粉土层孔隙比e平均值为0.62,
根据土力学原理孔隙率n与孔隙比e关系:n=e/(1+e),计算得n=0.38 计算得每米注浆量为:V=0.6*1.1*3.14*0.42*1*0.38=0.126m³
0.5水灰比的水泥浆密度为:1.5/[0.5/1+1/3]=1.8g/cm³=1800kg/m³
因此需要总水泥浆质量为:1800kg/m³*0.126m³=226.8kg
其中水泥含量为:226*2/3=151.2kg。
中空注浆螺旋锚杆使用说明书一、概述我厂位于风景秀丽的泰山脚下,在煤矿系统领导及专业人员的帮助下,经过全厂职工的共同努力,通过百余次井下试验,终于研制成功了中空注浆螺旋锚杆,该产品主要用于煤巷锚护。
锚杆支护与传统的棚式支护相比,具有显著的技术经济优越性。
并于2007年05月23日获得国家专利,专利号为ZL 2006 2 0082939.8。
该产品的产生将会给煤矿系统带来极大的经济效益及社会效益。
1、产品特点(1)该产品安装后,即可实现全长锚固,预锚力可达4吨以上。
(2)注浆压力高于同类其它产品,注浆液扩散面积提高,可有效提高巷道支护质量,节约锚杆使用量。
(3)渗透范围大,锚固力强,且不返浆、不漏浆。
(4)此产品可做锚杆用,同时具有注浆管的功能,适合注水灰比在0.4~0.55之间的水泥浆和灰砂比1:1,水灰比在0.35~0.45之间的水泥砂浆。
2、产品适用范围主要用于矿井巷道加固和道路、桥梁基础护坡方面,被加固岩体的硬度系数<7。
3、产品型号说明及品种规格4、产品执行标准:企业标准(Q/TDJ09002-2007)《中空注浆螺旋锚杆》和CECS 22:2005《岩石锚杆(索)技术规程》二、产品结构特征及工作原理1、总体结构图(见图1)图12、工作原理该产品的杆体呈螺旋丝杠结构,尾部焊接在无缝钢管上,加工有管螺纹。
为使水泥顺利渗入岩缝,管壁周围均匀分布了许多溢浆孔。
在高压下,泥浆通过管腔从孔中溢出,渗入各个岩缝,起到粘结、密封、加固的作用,从而防止巷道变形、透水或塌方等事故的发生。
为增加杆体耐磨度,螺旋头部作了硬化处理;为防止水泥在高压下返浆外溢,杆体尾部装有密封套、托盘、螺母等。
三、技术特性及技术参数试验测定技术参数如下:直线度:杆体直线度公差≤2mm/m。
锚固段焊管破断力>50kN。
延伸率δ5>9%。
杆体尾部焊接部位及螺纹承载力>50 kN托盘承载力>40 kN。
锚固力≥50kN。