45T门式起重机轨道梁计算书
- 格式:doc
- 大小:1.24 MB
- 文档页数:88
中铁五局深圳地铁11号线11303标45T龙门吊安装、拆卸方案工程名称:深圳地铁11号线11303标碧海站工程地址:深圳市宝安区西乡宝源路与共乐路交汇处机械名称:箱式龙门吊型号: MDG45使用单位:中铁五局深圳地铁11号线11303标项目部二O一三年五月十日目录第一章:MGD45门式起重机钢结构计算书一、计算说明 (2)二、起重机主要性能参数 (2)三、钢结构计算 (3)四、基础验算 (7)第二章:MGD45门式起重机安装、拆卸方案一、工程概况 (8)二、施工内容、依据及组织机构 (8)三、工艺流程 (9)四、施工准备 (9)五、安全措施 (10)六、施工进度形象图 (11)七、安装方案 (12)八、设备调试 (17)九、拆卸方案 (18)十、施工安全及文明施工 (19)十一、起重机械的维护、检修、保养及报废制度 (20)十二、安全应急预案 (25)第一章:M G D45门式起重机钢结构计算书一、计算说明:1、设计主要依据:《起重机设计规范》(GB 3811-83);《建筑抗震设计规范》(GB 50011-2001);《钢结构设计规范》(GB 50017-2003);《钢结构施工及验收规范》(GB50205-95);2、机械设计手册3、钢结构安全等级为二级4、充分考虑风载荷二、起重机主要性能参数1、额定起重量: 45T2、起升高度: 21m+8m3、大车走行距: 32.1m4、整机运行速度: 0-40m/min5、电葫芦额定起重量: 45T6、电葫芦起升高度: 30m7、电葫芦运行速度: 20m/min8、电葫芦起升速度: 7m/min9、整机运行轨道和基础:单轨P4310、总体方案见图 MH1243-00-00-000三、钢结构计算3.1主横梁综合性能计算 3.1.1已知:额定起重量: Q=45t 龙门吊整机重量:G=53t 电葫芦重量: G1=5.0t 龙门吊跨度: L=12m3.1.2主横梁主要截面的选取:(见《起重机设计手册》P597、P598) 3.1.2.1已知条件:P=Q+G1=51t ,L=12m ,[f]=L/700 3.1.2.2根据刚度条件,主梁所需的截面惯性矩为:Ia ≥][482f E PL =E PL 487002=E PL 487002=69.4PL 2=644881cm 43.1.3主横梁截面选取:如图3.1.4截面性能参数主梁整体截面惯性矩: Ia=930975cm 4, 主梁整体截面抗弯模量:Wa=11887cm 3,3.1.5已知: Q=45t G 小=5t q=0.7 t/m L=32m 计算主横梁最大弯矩:M max =84)1.1(2qL L G Q ++小 =151t.m3.1.6主梁强度校核计算:σ= Mmax/Wa=151×104/11887=127MPa σ<[σ]=170Mpa验算结果:满足要求,通过检算 3.1.7主梁整体刚度验算: 主横梁跨中集中载荷下挠计算:f=EI PL 483=9309751.24810001.20233⨯⨯⨯⨯=2 cm=20102L =1005L <[f ]=700L主横梁跨中均布载荷下挠计算:f=EI qL 38454=9309751.238410001.205.054⨯⨯⨯⨯⨯=0.54cm 验算结果:主梁整体性能参数通过计算 3.2 支腿综合性能计算: 3.2.1支腿拉压杆强度计算:3.2.1.1支腿最大载荷分析:轴距B=5.5m ,支腿上开口距离:b=1.6m ,支腿高度h 支=8.14m P=Q+G 小+qL/2=28tP 斜=αsin 2P =5.76sin 228⨯=35.4t式中:α=arctg b B h -支2=arctg 6.15.514.82-⨯=76.5°(吊梁葫芦移至支腿极限位置时) 3.2.1.2初选支腿型材:材料Q235B3.2.1.3支腿截面性能参数计算:(有效截面计算) 3.2.1.4节间有效长度: Lx=Ly=8.14/sin α=837cm 截面惯性矩: Ix=79431 cm4压杆截面的惯性半径: rx=A I x=08.23879431=18.3cm 压杆的柔度(长细比):λx=x x r L =3.18837=46压杆的折减系数: φx =0.9查《机械设计手册》第一卷P1-174表1-1-122 3.2.1.5 支腿性能校核计算:⑴强度校核:σ=支斜AP =2380810284⨯=12 Mpaσ<[σ]=170Mpa 通过检算⑵刚度校核:λ=minγL=3.18837=46<[λ]=80 通过检算⑶稳定性校核:σx=支斜AP X φ=238089.010284⨯⨯=14MPaσx <[σ]=170 Mpa 材质:Q235B 通过检算 3.3龙门吊整机抗倾覆稳定性校核计算: 3.3.1龙门吊受力分析示意图: 3.3.2横向工况校核计算:3.3.2.1横向工况(大车走行方向,验算工况Ⅱ) ΣM=0.475(G1+G2)B-1.15F1h1 G1和G2:主梁和电动葫芦重力(N ) B :为主从动轮组间轴距(m )F1:横向作用于主梁及电动葫芦上的风力(N )h1:主梁与电动葫芦横向挡风面积自支腿铰接点量起的形心高度(m ) 3.3.2.1.1条件计算:G1=45×104N G2=5×104N B=5.5m F1=CKhqA=1.5×1.0×250×45=16875N 迎风面积A=1.5×26+2×3=45m2 HZ=30m3.3.2.1.2抗倾覆稳定性校核: ΣM=0.475(G1+G2)B-1.15F1h1 =0.475×130000×5.5-1.15×16875×9 =164968N.m >0验算结果:按风压工况Ⅱ校核龙门吊,抗倾覆稳定性通过验算。
45T龙门吊基础底承载力计算书
一、计算说明
1、根据“45t龙门吊基础图”典型断面图计算。
2、采用双层C30钢筋混凝土基础。
二、示意图
基础类型:条基计算形式:验算截面尺寸
剖面:
三、基本参数
1.依据规范
《建筑地基基础设计规范》(GB 50007-2011)2.几何参数:
已知尺寸:
B1 = 400 mm, B2 =300mm
H1 = 300 mm, H2 = 200 mm
3.荷载值:
①基础砼:g1=9.5×0.32m2×25 kN /m3=76kN
②钢轨:g2=9.5×43×10N /kg=4.085kN
③龙门吊轮压:g3=[85+(60+20)÷2]÷4×10KN/T=312.5 kN
作用在基础底部的基本组合荷载
F k = g2+g2+ g3=392.585KN
4.材料信息:
混凝土:C30 钢筋:HPB300
5.基础几何特性:
底面积:A =1×9.5= 9.5 m2
四、计算过程
轴心荷载作用下地基承载力验算
按《建筑地基基础设计规范》(GB 50007-2002)下列公式验算:
p k = F k/A = 620.085/9.5=65.3KPa
结论:本地地表往下0.5~3米均为粉质黏土,承载力可达130KPa,满足承载力要求。
龙门吊轨道设计计算书一、设计依据[1] 《建筑地基基础设计规范》(GB50007-2002)[2] 《建筑地基处理技术规范》(JGJ79-2002、J220—2002)[3] 《建筑桩基技术规范》(JGJ94-94)[4] 《建筑基桩检测技术规范》(JGJ106-2003)[5] 《建筑地基基础工程施工质量验收规范》(GB50202-2002)[6] 《混凝土结构设计规范》(GB50010-2002)二、概述Ⅰ标30m箱梁预制场需布置100t和200t两种类型的龙门吊,拟采用混凝土地基梁做为龙门吊轨道。
预制场地以前为蚝田,后经人工填土而成,地基承载力较差,需进行地基处理以满足龙门吊施工需要。
土层参数表2-1序号土类型土层厚(m)容重(kN/m3)压缩模量(MPa)桩侧土摩阻力标准值(KPa)地基承载力容许值(KPa)1 填土 2.5 17.7 - 0 02 淤泥9.3 15.8 1.89 10.0 45.03 亚粘土 3.2 19.2 4.77 40.0 160.04 粗砂 4.0 19.1 20 60.0 200.05 残积土10.8 18.7 4.2 55.0 200.06 全风化混合片麻岩9.5 19.7 - 60.0 300.07 强风化混合片麻岩 5.8 - - 90.0 450.08 弱风化混合片麻岩 4.9 - - - 1500.0综合考虑施工现场的地质情况,决定采用打入预制混凝土方桩处理地基,方桩截面尺寸为500×500mm,纵向间距为5.0m,长度为21.0m(伸缩缝桩长22.5m),穿过淤泥层进入地质情况较好的持力层。
地基梁采用1000×600mm矩形截面,底部直接放置在打入桩顶承台上。
基础布置形式如下所示:预制混凝土方桩地基梁地面线立面图平面图承台地基处理布置图 图2.1三、设计计算1、轨道梁计算⑴ 荷载工况按照现有参数,轨道梁荷载主要考虑轨道梁自重q 和龙门吊轮压p ,风荷载等参数在龙门吊结构计算中考虑,此处不涉及。
MG45t/16t-24m-9m+24m A6 箱型双梁门式起重机设计计算书编制:审核:批准:日期:南京登峰起重设备制造有限公司1、设计依据1.1《起重机设计规范》GB3811-20081.2《钢结构设计规范》(GBJ50017-2003)1.3《起重机设计手册》中国铁道部出版社1.4 《机械设计手册》化学工业出版社(第三版)2、主要技术参数2.1额定起吊能力:45t/10t2.2起升高度:轨上9m+轨下24m2.3跨度:24m(可由20m跨每100mm连续变跨到24m)2.4悬臂:单侧有效悬臂3.5m;2.5主钩起落速度:0~20m/min2.6副钩起落速度:0~20m/min2.7小车运行速度:重载0~25 m/min;轻载0~40 m/min(变频调速)2.8大车运行速度:重载0~25 m/min;空载0~40 m/min(变频调速)2.9最大作业坡度:±1%2.10适应工作环境温度:-15~+40℃2.11适应风力:工作状态6级,非作业状态11级2.12装机容量:232kW2.13整机质量:120t2.14整机工作级别:A62.15机构工作级别:M62.16整机利用级别:U42.17载荷状态:Q32.18起重小车自重:约35t(含吊具)2.19吊具重量:2.5t3、起重小车计算3.1钢丝绳已知:起重能力Q静=Q+W吊具=45+2.5=47.5t滑轮倍率m=12倍滚动轴承滑轮组,效率η=0.95。
见《起重机设计手册》表3-2-11,P223,则钢丝绳自由端静拉力S:S=Q J静/(η*m)=47.5/(0.95*12)=4.2 t选择钢丝绳:6x29-20-1770-特-光-右交,GB1102-74,钢丝绳破断拉力总和F=28.6t 见《机械设计手册》第2卷P8-19,则钢丝绳安全系数n=F/S=28.6/4.2=6.8倍>6倍3.2主起升机构起升功率:N=(45+2.5)*15/6.12*1.1=128kw取电机功率为:N电=132kw起重量45t卷筒尺寸2套φ650×2500容绳量500m绳槽宽度P=22mm钢丝绳φ20平均绳速45m/min电机型号YZB355L1-8-132KW(720r/min)减速机型号ZQ1000-31.5制动器型号(双制动)YWZ-400/1253.3小车走行机构验算计算载荷P max=(K载Q额+ G小)/4 =211.25kN式中:K载=1.1;Q额=450kN;G小=350kN;P min=G小车/4=87.5kNP c=(2 P max + P min)/3=170kN车轮直径选择已知:轨面宽b=46mmD≥P c/(bk1 c1 c2)=170×103/(46×7.2×1.17×1.12)=392mm选轮径500mm,轮踏面宽100mm,材质65Mn运行电机选择运行静阻力(重载运行)《起重机设计收册》P110摩擦阻力F m= (K载×Q额+G小车)×w=(1.1×450+350)×0.015=12.675kN坡道阻力Fp= (K载×Q额+G小车)×I=(1.1×450+350)×0.001=0.845 kN风阻力Fω=CK h qAC—风力系数,取C=1.3K h—风力高度变化系数,按海拔9m计算,K h=1.0 q—计算风压,按工作状态下6级风计算,取q=150N/m2A—小车迎风面积,计算得,A=25m2风阻力Fω=CK h QA/2=1.3×1.0×150×25×10-4=0.487 t运行静阻力F j=F m+Fp+Fω=12.675+0.845+0.487=14.007kN静功率P J =F J ×V O /(1000×m ×η)=14.007×25/(60×0.9×2)=3.24kW 式中V O —运行速度25m/min m —电机个数2个粗选P=K*d*PJ=(1.1~1.3)*3.24=3.6~4.3Kw选择电机YZB160M 1-6-5.5kw/930rpm 《机械零件设计手册》下册冶金P830 减速机选择(按空载计算)n 轮=V/(π×D )=40/(3.14×0.5)=25.4rpm ,在额定转速(50Hz )条件下的减速比i 减= n 电/n 轮=36.6,变频调速的实际减速比i==i 减×77Hz/50Hz=36.6×(77/50)=56.36., 选取减速机减速比为59 选择减速机ZSC600-59。
石家庄地铁1号线11标南村站45t龙门吊基础验算1、编制依据1.1、《基础工程》(清华大学出版社);1.2、地质勘探资料;1.3、龙门吊生产厂家提所供有关资料;1.4、《建筑地基基础设计规范》(GB50007-2011);1.5、《砼结构设计规范》(GB50010-2010)。
1.6、《弹性地基梁的计算》龙驭球著。
2、编制说明勘探资料显示:场地内主要粉质粘土,其承载力为70KPa,在门吊基础施工前进行地基改良,预计承载力能达到130KPa。
根据南村站围护结构、主体结构尺寸,拟定门吊轨道左线布置在车站围护结构的混凝土冠梁之上,采用条形基础,仅布置防裂构造钢筋即可;右线龙门吊行走轨道基础采用钢筋砼条形基础,为减少砼方量,基础采用倒T形截面,混凝土强度等级为C30。
龙门吊行走轨道根据龙门吊厂家设计要求采用P43型起重钢轨,基础设计中不考虑轨道与基础的共同受力作用,忽略钢轨承载能力不计;基础按弹性地基梁进行分析设计。
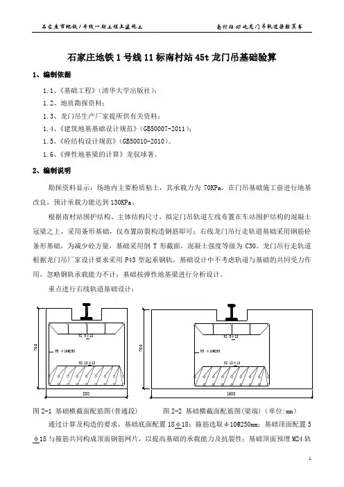
重点进行右线轨道基础设计:图2-1 基础横截面配筋图(普通段) 图2-2 基础横截面配筋图(梁端)(单位:mm)通过计算及构造的要求,基础底面配置18φ18;箍筋选取φ10@250mm;基础顶面配置5φ18与箍筋共同构成顶面钢筋网片,以提高基础的承载能力及抗裂性;基础顶面预埋M24轨道螺栓用于固定钢轨。
为保证基础可自由伸缩,根据台座布置情况,按45×4设置3道10mm 宽的伸缩缝(钢筋不断开),两侧支腿基础间距25.1m 。
3、参数选定 3.1、荷载根据龙门吊厂家提供资料显示,45t 龙门吊行走台车最大轮压:P=300KN 。
砼自重按25.0KN/m 3 计。
根据地基改良情况,拟定取地基承载力特征值: fa=130KPa 截面惯性矩:Ι=0.0144m 4 ,其计算过程如下: I=bh 3/12=0.8×0.63÷12=0.0144 3.2、材料性能(1)、C30砼轴心抗压强度:fc=14.3 轴心抗拉强度:ft=1.43 弹性模量:Ec=3.0*10^4 Mpa (2)、钢筋Ⅰ级钢筋:MPa f y 210=,MPa f y 210'=Ⅱ级钢筋:MPa f y 300=,MPaf y 300'=(3)、地基拟定取地基承载力特征值: fa=130KPa 4、地基验算4.1、基础形式的选择考虑到地基对基础的弹性作用及方便施工,故基础采用图4-1形式计算基础受力。
中国中铁五局郑州市轨道交通2号线一期工程土建施工01工区45t龙门吊基础及轨道梁演算编制:审核:批准:中国中铁五局郑州市轨道交通2号线一期工程土建施工01工区经理部二O一二年一月八日目录一、设计依据 (3)二、设计说明 (3)三、基坑外轨道梁地基承载力演算 (4)3.1 演算模型 (4)3.2 基本参数 (5)四、基坑外轨道梁承载力演算 (7)4.1、验算基坑外龙门吊轨道梁 (7)4.2 参数准备 (8)4.3计算 (8)五、车站顶板轨道梁、轨道立柱的布置形式及受力演算 (9)5.1龙门吊轨道在顶板的布置形式: (9)5.2立柱与结构顶板各项承载力验算 (10)5.3轨道梁的各项承载力验算 (15)六、预埋钢板及预留筋 (18)6.1设置预埋加强钢板: (18)6.2设置预留筋: (19)45t龙门吊基础轨道梁设计一、设计依据1.1地质勘探资料;1.2龙门吊生产厂家提供有关资料;1.3《建筑地基基础设计规范》(GB50007-2002);1.4《混凝土结构设计规范》(GB50010-2010);1.5《建筑结构荷载设计规范》(GB50009-2001)二、设计说明广播台站拟采用2台45t龙门吊进行出渣及吊装作业,2台龙门吊沿车站横断面并排布置;45t龙门吊跨径为12m,根据现场车站顶板标准段宽度(宽19.1m)情况,2台龙门吊沿车站方向布置4根轨道梁,其中中间2根轨道梁需要在顶板上设置临时立柱同时在临时立柱上架设轨道梁。
另外2根则铺设在基坑东西两侧地面上。
车站结构顶板上布置轨道梁立柱,柱子的截面尺寸为900mm×700mm(沿线路方向为900mm),沿线路方向中心间距为5000mm,与顶板纵梁中心间距1750mm。
立柱高度为2.55m。
采用在顶板上预留筋与顶板连接,布置在车站顶板上,如图2-1所示。
图2-1 轨道梁立柱平面布置图(单位:mm)轨道梁立柱上布置轨道梁,轨道梁全长40000mm,截面600mm,高800mm。
目录1、编制依据 (1)2、工程概况 (1)3、轨道梁设计 (1)3.1轨道梁布置 (1)3.2轨道梁计算模型 (2)4、轨道梁验算 (3)4.1截面弯矩计算 (3)4.2端头抗剪计算 (5)4.3挠度计算 (5)1、编制依据《长沙市轨道交能1号线一期工程施工图设计》GB50017-2003《钢结构设计规范》《建筑施工计算手册》江正荣编著中国建筑工业出版社本公司深圳地铁同类工程施工经验。
2、工程概况本标段包括两个盾构区间:铁道学院站~友谊路站区间,友谊路站~省政府站区间,左线全长2434.834m,右线全长2432.795m。
区间盾构由省政府站始发沿芙蓉南路由南向北掘进,在友谊路站过站后,掘进至铁道学院站吊出。
本标段拟在省政府站盾构施工场地内安装2台45t龙门吊,做为垂直运输所用,以配合盾构机施工。
其轨道基础直接采用车站围护结构冠梁,标准段跨度21.7m。
由于盾构始发井为扩大端,在盾构始发井上方需要设两道轨道梁,以便龙门吊能够在盾构始发井上方工作。
3、轨道梁设计3.1轨道梁布置轨道梁拟布置在桩号YDK27+799.3~YDK27+827.7,净跨14.6m,两端受力基础利用车站围护结构连续墙冠梁。
如图1、图2所示。
图1 轨道梁平面布置图图2 轨道梁纵断面布置图3.2轨道梁截面设计计算前,先假定轨道梁截面由4根400×400H型钢焊接成箱型结构,其截面如图3所示。
图3 轨道梁截面设计图3.2轨道梁计算模型车站围护结构连续墙冠梁设计成轨道梁的受力支柱,跨度13m,根据最不利原则,计算模型见图4,龙门吊技术参数见表1。
图4 轨道梁计算模型表1 45T龙门吊技术参数4、轨道梁验算4.1截面弯矩计算轨道梁各截面弯矩由梁受外力(也就是龙门吊工作是所受外力)和轨道梁自重(内力)两个方面共同作用形成,因此,在进行轨道梁各截面弯矩计算时,也分这两个步骤进行。
计算出各受力情况对轨道梁的弯矩最后进行弯矩叠加,即可计算出整个轨道梁各截面弯矩情况,从而确定轨道梁截面尺寸。
龙门吊基础计算书一、 工程概况二、 龙门吊检算1、设计依据龙门吊主要部件尺寸及重量序号 部件名称 尺寸单件重量(t)备注总重/t1主梁21450*1120*150012.082件24.16 2端梁3950*1012*1100 1.422件 2.84 3马鞍8190*1000*1030 2.142件 4.28 4支腿9818*1712*2166 4.4318件35.448 5地梁11300*920*800 3.632件7.266台车(移动部件)1900*1465*1500 2.54件107小车(移动部件)4290*5236*2437 19.621件19.628司机室2250*1300*2300 1.21件1.2 9电气室3000*1600*22002.21件 2.2 10配重 6.25件3111渣土罐(移动部件)401件40合计178.12、设计参数:1、从安全角度出发,按g=10N/kg计算。
2、45吨龙门吊自重: G4=108.4×1000×10=1084KN;3、45吨龙门吊载重: G5=(10+19.62+40)×1000×10=696.20KN;4、根据结构力学影响线原理:当起重机移至悬臂梁端头处,吊车支腿承受荷载最大。
即移动荷载下支座反力FR’=(1+9.306/11.6)×696.2=1254.72KN自重荷载下支座反力FR’’=1084/2=542KN故,吊车一侧支腿传递至轮子最大反力FR=1254.72+542=1796.42KN 考虑安全系数1.2,故最大反力设计值为2155.70KN。
45吨龙门吊4个支腿,每个支腿下1个轮子,每个轮子的最大承重标准值:G6=1794.42/2=898.21KN5、混凝土强度:普通混凝土强度C30,C=14.3MPa6、钢板垫块面积:0.40×0.15=0.06 m27、5吨龙门吊边轮间距:L:9.36m3、受力分析与强度验算:45吨龙门吊受力图如下:龙门吊受力分析图冠梁配筋图 门吊基础梁预埋螺栓位置图3.1、根据受力图,两条钢轨完全作用于其下面的混凝土结构上的钢块,钢块镶嵌在混凝土上,故而进行混凝土强度验证:假设:(1)整个钢轨及其基础结构完全刚性(安装完成后的钢轨及其结构是不可随便移动的)。
xx轨道梁计算书x 轨道梁计算书一、工程概况xx 要安装1台45t 跨度24m 门式起重机,x 。
二、龙门吊检算1、设计依据① 龙门吊使用以及受力要求② 施工场地布置要求③ 地铁施工规范2、设计参数:① 从安全角度出发,按g=10N/kg 计算。
② 45吨龙门吊自重:118吨, G1=1180KN ;45吨龙门吊载重:45吨, G2=450KN ;45吨龙门吊8个轮子每个轮子的最大承重:G6=(1180000/2+450000)/4=260KN③ 混凝土强度:普通混凝土强度C30,C=2MPa④ 钢板垫块面积:0.20×0.25=0.05 m2⑤ 45吨龙门吊边轮间距:L=8.892m3、受力情况轨道梁采用现浇混凝土梁跨越端头井段,梁长13.5m ,梁端通过在冠梁上预埋插筋实现梁端的固结,轨道梁尺寸采用1000*800mm (高*宽),C30混凝土。
下设2根立柱,一条底梁,轨道梁计算按最大荷载考虑,即两组轮位于轨道梁跨中时,梁所受弯矩最大,此时,考虑小车吊运重物正压于此侧。
根据龙门吊、轨道梁的结构以及龙门吊的工作原理,可将轨道梁的受弯简化为简支梁受集中荷载作用下的受弯情况。
龙门吊自重118吨,其中小车重25吨,悬臂端重20吨,起吊重量45吨时,当小车运转至悬臂端一侧支腿时,达到最大轮压,此时荷载为最大值:T 1494525202118=+++龙门吊每支脚的作用力为:N F F k 5.372414904===Q=0.5ql2=125kn剪力设计值 V=372.50+125=497.50kN图1 计算简图轨道梁最大弯矩发生在两个轮组均在梁上时,且距离两梁距离相同。
M1=Fa=673.00kN.mM2=1/8ql2=390.6kN.m弯矩设计值 M=673.00+390.6=1063.00kN.m4、配筋验算梁截面设计: 沙岗站轨道梁验算====================================== =====================1 已知条件及计算要求:(1)已知条件:矩形梁 b=800mm,h=1000mm。
45T门式起重机轨道梁验算书1.概述依照龙门吊生产厂家提供的技术资料,考虑施工方便,龙门吊基础位冠梁上,冠梁尺寸为800*800mm的钢筋砼结构,异型段和扩大端亦采纳截面为800*800mm的钢筋砼结构暗梁与冠梁连接作为龙门吊轨道基础,基础采纳C30混凝土。
冠梁上预埋宽度为100mm、长312mm、厚度为10mm的Q235钢板,龙门吊轨道铺设在钢板中间,然后用Q235钢板将轨道固定。
依照龙门吊布置及轨道基础设计情形,本次验算只考虑龙门吊最不利荷载在最不利工况下的受力验算,即45t龙门吊在最大有效悬臂(北侧)侧吊45t重物行走在异型段和扩大端(以下称暗梁,本段长34m)上,详见图1,龙门吊单侧跨距,支腿组合轮距。
图1 单边轨道轮子布置2.暗梁段龙门吊轨道梁验算地基承载力验算①计算参数a龙门吊轮压:依照45T龙门吊技术参数表中数据,当龙门吊悬臂起吊最不利工况时,龙门吊最大轮压为378KN,单边轨道梁共有1组4个轮子接触轨道。
由单边轨道轮子布置图可得内轮距为8m,一边支腿轮距为。
轨道直接作用于基础钢筋砼结构上,本处验算忽略轨道扩散作用,作用面积长度为L=+8+=,宽度为米(查P43轨参数可知),面积为×=,即在条形基础底部 m2内共经受悬臂侧一个龙门吊轮子荷载378KN。
b轨道条形基础底面为C30钢筋砼,该层的最小承载力fak=30MPa;②轨道的基础承载力验算轮压:378×4=1512KN ,43钢轨:43kg/m,条形基础面积为轨道梁经受的荷载f:a 4310.4103784 3.7721275.3041279.076KP 1.18561000 1.1856⨯⨯⨯=+=+=⨯f 二者对照,fak=35MPa>f=,因此,轨道梁基础承载力足够。
关于轨道下面的钢筋砼基础(结构自重:钢筋砼C30自重,按25kN/m 3计),要紧受剪力和弯矩力,计算如下:受力模型简化:(1)忽略条形轨道扩散作用,依照的荷载作用长度计算,将的混凝土基础简化为一个整体,由混凝土及43轨产生的均布荷载:14310 1.2250.80.8 1.219.7161000⨯⨯=⨯⨯⨯+=F KN 龙门吊滚轮产生的集中荷载:23782756F KN =⨯=,所有荷载均通过梁作用在冠梁上,冠梁对暗梁产生均布的反作使劲为119.716756646.43/1.2+==q KN m 。
龙门吊基础计算书一、工程概况广州市轨道交通二、八号线延长线盾构5标盾构始发井场地,根据盾构施工需要安装1台EGC45t-25.5m门式起重机和1台EGC16t-25.5m门式起重机,以供盾构施工时管片、渣土、油脂等器材的垂直运输。
45T和16T龙门吊共用同一轨道。
二、龙门吊检算1、设计依据①龙门吊使用以及受力要求②施工场地布置要求③地铁施工规范2、设计参数:①从安全角度出发,按g=10N/kg计算。
② 16吨龙门吊自重:59吨, G1=59×1000×10=590KN;16吨龙门吊载重:16吨, G2=16×1000×10=160KN;16吨龙门吊4个轮子每个轮子的最大承重:G3=(590000/2+160000)/2=227.5KN③ 45吨龙门吊自重:133吨, G4=13.3×1000×10=1330KN;45吨龙门吊载重:45吨, G5=45×1000×10=450KN;45吨龙门吊8个轮子每个轮子的最大承重:G6=(1330000/2+450000)/4=278.75KN④混凝土强度:普通混凝土强度C30,C=2×1000=2000KPa⑤钢板垫块面积:0.20×0.25=0.05 m2⑥ 16吨龙门吊边轮间距:L1:7.5m⑦ 45吨龙门吊边轮间距:L2:8.892m3、受力分析与强度验算:只用45吨龙门吊进行受力分析,因为其单个轮子的荷载大于16吨龙门吊的单个轮子荷载,一旦其受力分析和强度验算能够满足,16吨龙门吊的也能满足。
45吨龙门吊受力图如下:龙门吊受力分析图3.1、按照规范要求,全部使用16吨龙门吊和45吨龙门吊使用说明推荐的P43大车钢轨。
3.2、根据受力图,两条钢轨完全作用于其下面的混凝土结构上的钢块,钢块镶嵌在混凝土上,故而进行混凝土强度验证:假设:(1)整个钢轨及其基础结构完全刚性(安装完成后的钢轨及其结构是不可随便移动的)。
CBeam2连续梁计算书――带悬臂50T大龙门吊有悬臂则梁计算1 计算简图:2 计算条件:荷载条件:均布恒载 : 0.00kN/m_活载准永久值系数: 0.50均布活载 : 0.00kN/m_支座弯矩调幅系数: 100.0%梁容重 : 25.00kN/m3_计算时考虑梁自重: 考虑恒载分项系数: 1.20__活载分项系数 : 1.40配筋条件:抗震等级 : 非抗震__纵筋级别 : HRB335混凝土等级 : C30__箍筋级别 : HRB335配筋调整系数: 1.0__上部保护层厚度 : 30mm面积归并率 : 30.0%__下部保护层厚度 : 30mm最大裂缝限值: 0.400mm__挠度控制系数C : 600截面配筋方式: 双筋3 计算结果:单位说明:弯矩:kN.m_剪力:kN纵筋面积:mm2__箍筋面积:mm2/m裂缝:mm__挠度:mm----------------------------------------------------------------------- 梁号 1: 跨长 = 2400mm B × H = 400mm × 800mm左中右弯矩(+) : 0.000 0.000 0.000弯矩(-) : -0.000 -6.912 -27.648剪力: -0.000 -11.520 -23.040上部纵筋: 640 686 686下部纵筋: 686 686 686箍筋: 458 458 458上纵实配: 2D28+2D25(2213) 2D28+2D25(2213) 2D28+2D25(2213)下纵实配: 2D28+2D25(2213) 2D28+2D25(2213) 2D28+2D25(2213)箍筋实配: 4D12@300(1508) 4D12@300(1508) 4D12@300(1508)腰筋实配: 4D25(1963) 4D25(1963) 4D25(1963)裂缝: 0.000 0.002 0.007挠度: -8.934 -4.488 0.000最大裂缝:0.007mm<0.400mm最大挠度:0.000mm<4.000mm(2400/600)----------------------------------------------------------------------- 梁号 2: 跨长 = 6000mm B × H = 400mm × 800mm左中右弯矩(+) : 0.000 875.421 0.000弯矩(-) : -27.648 -65.482 -698.733剪力: 373.228 -249.119 -584.727上部纵筋: 686 686 3459下部纵筋: 686 4502 686箍筋: 971 971 971上纵实配: 2D28+2D25(2213) 4D25(1963) 4D25+2D32(3572)下纵实配: 2D32+6D25(4554) 2D32+6D25(4554) 2D32+6D25(4554)箍筋实配: 4D12@250(1810) 4D12@250(1810) 4D12@250(1810)腰筋实配: 4D25(1963) 4D25(1963) 4D25(1963)裂缝: 0.007 0.202 0.280挠度: 0.000 7.073 0.000最大裂缝:0.280mm<0.400mm最大挠度:7.073mm<10.000mm(6000/600)----------------------------------------------------------------------- 梁号 3: 跨长 = 6000mm B × H = 400mm × 800mm左中右弯矩(+) : 0.000 465.759 98.851弯矩(-) : -698.728 -176.476 -328.704剪力: 279.121 250.321 -758.124上部纵筋: 3459 799 1486下部纵筋: 686 2135 686箍筋: 1575 1575 1575上纵实配: 4D25+2D32(3572) 4D25(1963) 2D28+2D25(2213)下纵实配: 5D25(2454) 5D25(2454) 5D25(2454)箍筋实配: 4D12@250(1810) 4D12@250(1810) 4D12@250(1810)腰筋实配: 4D25(1963) 4D25(1963) 4D25(1963)裂缝: 0.280 0.016 0.042挠度: 0.000 1.097 0.000最大裂缝:0.280mm<0.400mm最大挠度:1.097mm<10.000mm(6000/600)----------------------------------------------------------------------- 梁号 4: 跨长 = 6000mm B × H = 400mm × 800mm左中右弯矩(+) : 98.850 101.638 0.000弯矩(-) : -328.699 -136.150 -30.000剪力: 78.583 49.783 -50.275上部纵筋: 1486 686 686下部纵筋: 686 686 686箍筋: 458 458 458上纵实配: 2D28+2D25(2213) 4D25(1963) 2D28+2D25(2213)下纵实配: 2D28+2D25(2213) 2D28+2D25(2213) 2D28+2D25(2213)箍筋实配: 4D12@300(1508) 4D12@300(1508) 4D12@300(1508)腰筋实配: 4D25(1963) 4D25(1963) 4D25(1963)裂缝: 0.042 0.017 0.007挠度: 0.000 -0.912 0.000最大裂缝:0.042mm<0.400mm最大挠度:0.000mm<10.000mm(6000/600)----------------------------------------------------------------------- 梁号 5: 跨长 = 2500mm B × H = 400mm × 800mm左中右弯矩(+) : 0.000 0.000 0.000弯矩(-) : -30.000 -7.500 -0.000剪力: 24.000 12.000 0.000上部纵筋: 686 686 640下部纵筋: 686 686 686箍筋: 458 458 458上纵实配: 2D28+2D25(2213) 2D28+2D25(2213) 2D28+2D25(2213)下纵实配: 2D28+2D25(2213) 2D28+2D25(2213) 2D28+2D25(2213)箍筋实配: 4D12@300(1508) 4D12@300(1508) 4D12@300(1508)腰筋实配: 4D25(1963) 4D25(1963) 4D25(1963)裂缝: 0.007 0.002 0.000挠度: 0.000 0.611 1.273最大裂缝:0.007mm<0.400mm最大挠度:1.273mm<4.20mm(2500/600)-----------------------------------------------------------------------4 所有简图:Cbeam4连续梁计算书――带悬臂50T大龙门吊无悬臂则梁计算1 计算简图:2 计算条件:荷载条件:均布恒载 : 0.00kN/m_活载准永久值系数: 0.50均布活载 : 0.00kN/m_支座弯矩调幅系数: 100.0%梁容重 : 25.00kN/m3_计算时考虑梁自重: 考虑恒载分项系数: 1.20__活载分项系数 : 1.40配筋条件:抗震等级 : 非抗震__纵筋级别 : HRB335混凝土等级 : C30__箍筋级别 : HRB335配筋调整系数: 1.0__上部保护层厚度 : 30mm面积归并率 : 30.0%__下部保护层厚度 : 30mm最大裂缝限值: 0.400mm__挠度控制系数C : 600截面配筋方式: 双筋3 计算结果:单位说明:弯矩:kN.m_剪力:kN纵筋面积:mm2__箍筋面积:mm2/m裂缝:mm__挠度:mm----------------------------------------------------------------------- 梁号 1: 跨长 = 2400mm B × H = 400mm × 800mm左中右弯矩(+) : 0.000 0.000 0.000弯矩(-) : -0.000 -6.912 -27.648剪力: -0.000 -11.520 -23.040上部纵筋: 640 686 686下部纵筋: 686 686 686箍筋: 458 458 458上纵实配: 2D28+2D25(2213) 2D28+2D25(2213) 2D28+2D25(2213)下纵实配: 2D28+2D25(2213) 2D28+2D25(2213) 2D28+2D25(2213)箍筋实配: 4D12@300(1508) 4D12@300(1508) 4D12@300(1508)腰筋实配: 4D25(1963) 4D25(1963) 4D25(1963)裂缝: 0.000 0.002 0.007挠度: -7.769 -3.906 0.000最大裂缝:0.007mm<0.400mm最大挠度:0.000mm<4.000mm(2400/600)----------------------------------------------------------------------- 梁号 2: 跨长 = 6000mm B × H = 400mm × 800mm左中右弯矩(+) : 0.000 759.421 0.000弯矩(-) : -27.648 -54.677 -608.602剪力: 326.828 -215.618 -509.925上部纵筋: 686 686 2848下部纵筋: 686 3649 686箍筋: 710 710 710上纵实配: 2D28+2D25(2213) 4D25(1963) 6D25(2945)下纵实配: 6D28(3695) 6D28(3695) 6D28(3695)箍筋实配: 4D12@250(1810) 4D12@250(1810) 4D12@250(1810)腰筋实配: 4D25(1963) 4D25(1963) 4D25(1963)裂缝: 0.007 0.231 0.287挠度: 0.000 6.188 0.000最大裂缝:0.287mm<0.400mm最大挠度:6.188mm<10.000mm(6000/600)----------------------------------------------------------------------- 梁号 3: 跨长 = 6000mm B × H = 400mm × 800mm左中右弯矩(+) : 0.000 403.930 81.720弯矩(-) : -608.597 -150.781 -288.279剪力: 245.441 216.641 -659.928上部纵筋: 2848 686 1300下部纵筋: 686 1839 686箍筋: 1233 1233 1233上纵实配: 6D25(2945) 4D25(1963) 2D28+2D25(2213)下纵实配: 4D25(1963) 4D25(1963) 4D25(1963)箍筋实配: 4D12@250(1810) 4D12@250(1810) 4D12@250(1810)腰筋实配: 4D25(1963) 4D25(1963) 4D25(1963)裂缝: 0.287 0.021 0.037挠度: 0.000 1.002 0.000最大裂缝:0.287mm<0.400mm最大挠度:1.002mm<10.000mm(6000/600)----------------------------------------------------------------------- 梁号 4: 跨长 = 6000mm B × H = 400mm × 800mm左中右弯矩(+) : 81.720 87.100 0.000弯矩(-) : -288.274 -115.938 -30.000剪力: 71.846 43.046 -47.420上部纵筋: 1300 686 686下部纵筋: 686 686 686箍筋: 458 458 458上纵实配: 2D28+2D25(2213) 4D25(1963) 2D28+2D25(2213)下纵实配: 2D28+2D25(2213) 2D28+2D25(2213) 2D28+2D25(2213)箍筋实配: 4D12@300(1508) 4D12@300(1508) 4D12@300(1508)腰筋实配: 4D25(1963) 4D25(1963) 4D25(1963)裂缝: 0.037 0.014 0.007挠度: 0.000 -0.806 0.000最大裂缝:0.037mm<0.400mm最大挠度:0.000mm<10.000mm(6000/600)----------------------------------------------------------------------- 梁号 5: 跨长 = 2500mm B × H = 400mm × 800mm左中右弯矩(+) : 0.000 0.000 0.000弯矩(-) : -30.000 -7.500 -0.000剪力: 24.000 12.000 0.000上部纵筋: 686 686 640下部纵筋: 686 686 686箍筋: 458 458 458上纵实配: 2D28+2D25(2213) 2D28+2D25(2213) 2D28+2D25(2213)下纵实配: 2D28+2D25(2213) 2D28+2D25(2213) 2D28+2D25(2213)箍筋实配: 4D12@300(1508) 4D12@300(1508) 4D12@300(1508)腰筋实配: 4D25(1963) 4D25(1963) 4D25(1963)裂缝: 0.007 0.002 0.000挠度: 0.000 0.553 1.156最大裂缝:0.007mm<0.400mm最大挠度:1.156mm<4.20mm(2500/600)Cbeam5连续梁计算书――无悬臂50T大龙门吊计算1 计算简图:2 计算条件:荷载条件:均布恒载 : 0.00kN/m_活载准永久值系数: 0.50均布活载 : 0.00kN/m_支座弯矩调幅系数: 100.0%梁容重 : 25.00kN/m3_计算时考虑梁自重: 考虑恒载分项系数: 1.20__活载分项系数 : 1.40配筋条件:抗震等级 : 非抗震__纵筋级别 : HRB335混凝土等级 : C30__箍筋级别 : HRB335配筋调整系数: 1.0__上部保护层厚度 : 30mm面积归并率 : 30.0%__下部保护层厚度 : 30mm最大裂缝限值: 0.400mm__挠度控制系数C : 600截面配筋方式: 双筋3 计算结果:单位说明:弯矩:kN.m_剪力:kN纵筋面积:mm2__箍筋面积:mm2/m裂缝:mm__挠度:mm----------------------------------------------------------------------- 梁号 1: 跨长 = 1500mm B × H = 400mm × 800mm左中右弯矩(+) : 0.000 0.000 0.000弯矩(-) : -0.000 -2.700 -10.800剪力: -0.000 -7.200 -14.400上部纵筋: 640 686 686下部纵筋: 686 686 686箍筋: 458 458 458上纵实配: 4D25(1963) 4D25(1963) 4D25(1963)下纵实配: 4D25(1963) 4D25(1963) 4D25(1963)箍筋实配: 4D12@300(1508) 4D12@300(1508) 4D12@300(1508)腰筋实配: 4D25(1963) 4D25(1963) 4D25(1963)裂缝: 0.000 0.001 0.003挠度: -4.053 -2.030 0.000最大裂缝:0.003mm<0.400mm最大挠度:0.000mm<2.500mm(1500/600)----------------------------------------------------------------------- 梁号 2: 跨长 = 6000mm B × H = 400mm × 800mm左中右弯矩(+) : 0.000 586.064 0.000弯矩(-) : -10.800 -31.577 -487.040剪力: 213.355 -220.826 -533.773上部纵筋: 686 686 2260下部纵筋: 686 2759 686箍筋: 805 805 805上纵实配: 4D25(1963) 4D25(1963) 5D25(2454)下纵实配: 6D25(2945) 6D25(2945) 6D25(2945)箍筋实配: 4D12@250(1810) 4D12@250(1810) 4D12@250(1810)腰筋实配: 4D25(1963) 4D25(1963) 4D25(1963)裂缝: 0.003 0.253 0.302挠度: 0.000 5.361 0.000最大裂缝:0.302mm<0.400mm最大挠度:5.361mm<10.000mm(6000/600)----------------------------------------------------------------------- 梁号 3: 跨长 = 6000mm B × H = 400mm × 800mm左中右弯矩(+) : 0.000 327.218 0.000弯矩(-) : -487.035 -161.560 -27.652剪力: 178.165 149.365 -609.482上部纵筋: 2260 743 686下部纵筋: 686 1494 686箍筋: 1071 1071 1071上纵实配: 5D25(2454) 4D25(1963) 4D25(1963)下纵实配: 4D25(1963) 4D25(1963) 4D25(1963)箍筋实配: 4D12@250(1810) 4D12@250(1810) 4D12@250(1810)腰筋实配: 4D25(1963) 4D25(1963) 4D25(1963)裂缝: 0.302 0.002 0.008挠度: 0.000 0.584 0.000最大裂缝:0.302mm<0.400mm最大挠度:0.584mm<10.000mm(6000/600)梁号 4: 跨长 = 2400mm B × H = 400mm × 800mm左中右弯矩(+) : 0.000 0.000 0.000弯矩(-) : -27.648 -6.912 -0.000剪力: 23.040 11.520 0.000上部纵筋: 686 686 640下部纵筋: 686 686 686箍筋: 458 458 458上纵实配: 4D25(1963) 4D25(1963) 4D25(1963)下纵实配: 4D25(1963) 4D25(1963) 4D25(1963)箍筋实配: 4D12@300(1508) 4D12@300(1508) 4D12@300(1508)腰筋实配: 4D25(1963) 4D25(1963) 4D25(1963)裂缝: 0.008 0.002 0.000挠度: 0.000 -0.733 -1.419最大裂缝:0.008mm<0.400mm最大挠度:0.000mm<4.000mm(2400/600)4 所有简图:Cbeam6连续梁计算书――无悬臂50T大龙门吊计算1 计算简图:2 计算条件:荷载条件:均布恒载 : 0.00kN/m_活载准永久值系数: 0.50均布活载 : 0.00kN/m_支座弯矩调幅系数: 100.0%梁容重 : 25.00kN/m3_计算时考虑梁自重: 考虑恒载分项系数: 1.20__活载分项系数 : 1.40配筋条件:抗震等级 : 非抗震__纵筋级别 : HRB335混凝土等级 : C30__箍筋级别 : HRB335配筋调整系数: 1.0__上部保护层厚度 : 30mm面积归并率 : 30.0%__下部保护层厚度 : 30mm最大裂缝限值: 0.400mm__挠度控制系数C : 600截面配筋方式: 双筋3 计算结果:单位说明:弯矩:kN.m_剪力:kN纵筋面积:mm2__箍筋面积:mm2/m裂缝:mm__挠度:mm----------------------------------------------------------------------- 梁号 1: 跨长 = 2400mm B × H = 400mm × 800mm左中右弯矩(+) : 0.000 0.000 0.000弯矩(-) : -0.000 -6.912 -27.648剪力: -0.000 -11.520 -23.040上部纵筋: 640 686 686下部纵筋: 686 686 686箍筋: 524 524 524上纵实配: 2D25+2D22(1742) 2D25+2D22(1742) 2D25+2D22(1742)下纵实配: 2D25+2D22(1742) 2D25+2D22(1742) 2D25+2D22(1742)箍筋实配: 4D12@250(1810) 4D12@250(1810) 4D12@250(1810)腰筋实配: 4D22(1521) 4D22(1521) 4D22(1521)裂缝: 0.000 0.002 0.009挠度: -7.966 -4.008 0.000最大裂缝:0.009mm<0.400mm最大挠度:0.000mm<4.000mm(2400/600)----------------------------------------------------------------------- 梁号 2: 跨长 = 6000mm B × H = 400mm × 800mm左中右弯矩(+) : 0.000 676.565 0.000弯矩(-) : -27.648 -46.959 -544.223剪力: 293.685 -191.689 -456.495上部纵筋: 686 686 2522下部纵筋: 686 3202 686箍筋: 524 524 524上纵实配: 2D25+2D22(1742) 4D22(1521) 4D25+1D32(2768)下纵实配: 7D25(3436) 7D25(3436) 7D25(3436)箍筋实配: 4D12@250(1810) 4D12@250(1810) 4D12@250(1810)腰筋实配: 4D22(1521) 4D22(1521) 4D22(1521)裂缝: 0.009 0.206 0.285挠度: 0.000 6.369 0.000最大裂缝:0.285mm<0.400mm最大挠度:6.369mm<10.000mm(6000/600)----------------------------------------------------------------------- 梁号 3: 跨长 = 6000mm B × H = 400mm × 800mm左中右弯矩(+) : 0.000 359.767 69.484弯矩(-) : -544.218 -132.427 -259.404剪力: 221.384 192.585 -589.788上部纵筋: 2522 686 1169下部纵筋: 686 1631 686箍筋: 988 988 988上纵实配: 4D25+1D32(2768) 4D22(1521) 2D25+2D22(1742)下纵实配: 5D22(1901) 5D22(1901) 5D22(1901)箍筋实配: 4D12@250(1810) 4D12@250(1810) 4D12@250(1810)腰筋实配: 4D22(1521) 4D22(1521) 4D22(1521)裂缝: 0.285 0.018 0.048挠度: 0.000 1.011 0.000最大裂缝:0.285mm<0.400mm最大挠度:1.011mm<10.000mm(6000/600)----------------------------------------------------------------------- 梁号 4: 跨长 = 6000mm B × H = 400mm × 800mm左中右弯矩(+) : 69.484 77.235 0.000弯矩(-) : -259.400 -101.500 -30.000剪力: 67.033 38.233 -45.381上部纵筋: 1169 686 686下部纵筋: 686 686 686箍筋: 524 524 524上纵实配: 2D25+2D22(1742) 4D22(1521) 2D25+2D22(1742)下纵实配: 2D25+2D22(1742) 2D25+2D22(1742) 2D25+2D22(1742)箍筋实配: 4D12@250(1810) 4D12@250(1810) 4D12@250(1810)腰筋实配: 4D22(1521) 4D22(1521) 4D22(1521)裂缝: 0.048 0.017 0.010挠度: 0.000 -0.800 0.000最大裂缝:0.048mm<0.400mm最大挠度:0.000mm130.000mm(6000/600)----------------------------------------------------------------------- 梁号 5: 跨长 = 2500mm B × H = 400mm × 800mm左中右弯矩(+) : 0.000 0.000 0.000弯矩(-) : -30.000 -7.500 -0.000剪力: 24.000 12.000 0.000上部纵筋: 686 686 640下部纵筋: 686 686 686箍筋: 524 524 524上纵实配: 2D25+2D22(1742) 2D25+2D22(1742) 2D25+2D22(1742)下纵实配: 2D25+2D22(1742) 2D25+2D22(1742) 2D25+2D22(1742)箍筋实配: 4D12@250(1810) 4D12@250(1810) 4D12@250(1810)腰筋实配: 4D22(1521) 4D22(1521) 4D22(1521)裂缝: 0.010 0.003 0.000挠度: 0.000 0.569 1.196最大裂缝:0.010mm<0.400mm最大挠度:1.196mm<4.200mm(2500/600)4 所有简图:Cbeam7连续梁计算书――带悬臂12.5T小龙门吊计算1 计算简图:2 计算条件:荷载条件:均布恒载 : 0.00kN/m_活载准永久值系数: 0.50均布活载 : 0.00kN/m_支座弯矩调幅系数: 100.0%梁容重 : 25.00kN/m3_计算时考虑梁自重: 考虑恒载分项系数: 1.20__活载分项系数 : 1.40配筋条件:抗震等级 : 非抗震__纵筋级别 : HRB335混凝土等级 : C30__箍筋级别 : HPB235配筋调整系数: 1.0__上部保护层厚度 : 30mm面积归并率 : 30.0%__下部保护层厚度 : 30mm最大裂缝限值: 0.400mm__挠度控制系数C : 600截面配筋方式: 双筋3 计算结果:单位说明:弯矩:kN.m_剪力:kN纵筋面积:mm2__箍筋面积:mm2/m裂缝:mm__挠度:mm----------------------------------------------------------------------- 梁号 1: 跨长 = 1500mm B × H = 400mm × 600mm左中右弯矩(+) : 0.000 0.000 0.000弯矩(-) : -0.000 -2.025 -8.100剪力: -0.000 -5.400 -10.800上部纵筋: 480 515 515下部纵筋: 515 515 515箍筋: 654 654 654上纵实配: 2D25+2D22(1742) 2D25+2D22(1742) 2D25+2D22(1742)下纵实配: 2D25+2D22(1742) 2D25+2D22(1742) 2D25+2D22(1742)箍筋实配: 4d10@300(1047) 4d10@300(1047) 4d10@300(1047)腰筋实配: 4D22(1521) 4D22(1521) 4D22(1521)裂缝: 0.000 0.001 0.003挠度: -3.701 -1.856 0.000最大裂缝:0.003mm<0.400mm最大挠度:0.000mm<2.500mm(1500/600)----------------------------------------------------------------------- 梁号 2: 跨长 = 6000mm B × H = 400mm × 600mm左中右弯矩(+) : 0.000 334.823 0.000弯矩(-) : -8.100 -57.877 -319.717剪力: 125.108 -182.836 -204.436上部纵筋: 515 515 2053下部纵筋: 515 2159 515箍筋: 654 654 654上纵实配: 2D25+2D22(1742) 4D22(1521) 2D25+3D22(2122)下纵实配: 6D22(2281) 6D22(2281) 6D22(2281)箍筋实配: 4d10@300(1047) 4d10@300(1047) 4d10@300(1047)腰筋实配: 4D22(1521) 4D22(1521) 4D22(1521)裂缝: 0.003 0.185 0.294挠度: 0.000 4.504 0.000最大裂缝:0.294mm<0.400mm最大挠度:4.504mm<10.000mm(6000/600)----------------------------------------------------------------------- 梁号 3: 跨长 = 6000mm B × H = 400mm × 600mm左中右弯矩(+) : 0.000 328.505 0.000弯矩(-) : -319.715 -64.195 -20.737剪力: 202.330 180.730 -127.214上部纵筋: 2053 515 515下部纵筋: 515 2115 515箍筋: 654 654 654上纵实配: 2D25+3D22(2122) 4D22(1521) 2D25+2D22(1742)下纵实配: 6D22(2281) 6D22(2281) 6D22(2281)箍筋实配: 4d10@300(1047) 4d10@300(1047) 4d10@300(1047)腰筋实配: 4D22(1521) 4D22(1521) 4D22(1521)裂缝: 0.294 0.177 0.008挠度: 0.000 4.240 0.000最大裂缝:0.294mm<0.400mm最大挠度:4.240mm<10.000mm(6000/600)----------------------------------------------------------------------- 梁号 4: 跨长 = 2400mm B × H = 400mm × 600mm左中右弯矩(+) : 0.000 0.000 0.000弯矩(-) : -20.736 -5.184 -0.000剪力: 17.280 8.640 0.000上部纵筋: 515 515 480下部纵筋: 515 515 515箍筋: 654 654 654上纵实配: 2D25+2D22(1742) 2D25+2D22(1742) 2D25+2D22(1742)下纵实配: 2D25+2D22(1742) 2D25+2D22(1742) 2D25+2D22(1742)箍筋实配: 4d10@300(1047) 4d10@300(1047) 4d10@300(1047)腰筋实配: 4D22(1521) 4D22(1521) 4D22(1521)裂缝: 0.008 0.002 0.000挠度: 0.000 -2.624 -5.169最大裂缝:0.008mm<0.400mm最大挠度:0.000mm<4.000mm(2400/600)----------------------------------------------------------------------- 4 所有简图:Cbeam8连续梁计算书――带悬臂12.5T小龙门吊计算1 计算简图:2 计算条件:荷载条件:均布恒载 : 0.00kN/m_活载准永久值系数: 0.50均布活载 : 0.00kN/m_支座弯矩调幅系数: 100.0%梁容重 : 25.00kN/m3_计算时考虑梁自重: 考虑恒载分项系数: 1.20__活载分项系数 : 1.40配筋条件:抗震等级 : 非抗震__纵筋级别 : HRB335混凝土等级 : C30__箍筋级别 : HPB235配筋调整系数: 1.0__上部保护层厚度 : 30mm面积归并率 : 30.0%__下部保护层厚度 : 30mm最大裂缝限值: 0.400mm__挠度控制系数C : 600截面配筋方式: 双筋3 计算结果:单位说明:弯矩:kN.m_剪力:kN纵筋面积:mm2__箍筋面积:mm2/m裂缝:mm__挠度:mm----------------------------------------------------------------------- 梁号 1: 跨长 = 2400mm B × H = 400mm × 600mm左中右弯矩(+) : 0.000 0.000 0.000弯矩(-) : -0.000 -5.184 -20.736剪力: -0.000 -8.640 -17.280上部纵筋: 480 515 515下部纵筋: 515 515 515箍筋: 654 654 654上纵实配: 4D14(616) 4D14(616) 4D14(616)下纵实配: 4D14(616) 4D14(616) 4D14(616)箍筋实配: 4d10@300(1047) 4d10@300(1047) 4d10@300(1047)腰筋实配: 4D12(452) 4D12(452) 4D12(452)裂缝: 0.000 0.005 0.020挠度: -1.586 -0.874 0.000最大裂缝:0.020mm<0.400mm最大挠度:0.000mm<4.000mm(2400/600)----------------------------------------------------------------------- 梁号 2: 跨长 = 7500mm B × H = 400mm × 600mm左中右弯矩(+) : 0.000 41.546 1.423弯矩(-) : -20.736 0.000 -48.012剪力: 29.955 -3.637 -30.637上部纵筋: 515 480 515下部纵筋: 515 515 515箍筋: 654 654 654上纵实配: 4D14(616) 4D14(616) 4D14(616)下纵实配: 4D14(616) 4D14(616) 4D14(616)箍筋实配: 4d10@300(1047) 4d10@300(1047) 4d10@300(1047)腰筋实配: 4D12(452) 4D12(452) 4D12(452)裂缝: 0.020 0.033 0.013挠度: 0.000 2.747 0.000最大裂缝:0.033mm<0.400mm最大挠度:2.747mm<12.500mm(7500/600)----------------------------------------------------------------------- 梁号 3: 跨长 = 7500mm B × H = 400mm × 600mm左中右弯矩(+) : 1.423 35.933 10.283弯矩(-) : -48.011 -42.392 -187.457剪力: 34.773 -25.184 -52.184上部纵筋: 515 515 1173下部纵筋: 515 515 515箍筋: 654 654 654上纵实配: 4D14(616) 4D14(616) 4D20(1257)下纵实配: 4D14(616) 4D14(616) 4D14(616)箍筋实配: 4d10@300(1047) 4d10@300(1047) 4d10@300(1047)腰筋实配: 4D12(452) 4D12(452) 4D12(452)裂缝: 0.013 0.020 0.149挠度: 0.000 -2.800 0.000最大裂缝:0.149mm<0.400mm最大挠度:0.000mm<12.500mm(7500/600)-----------------------------------------------------------------------梁号 4: 跨长 = 7500mm B × H = 400mm × 600mm左中右弯矩(+) : 10.283 352.567 0.000弯矩(-) : -187.456 -42.043 -351.378剪力: 157.507 -158.479 -185.479上部纵筋: 1173 515 2277下部纵筋: 515 2286 515箍筋: 654 654 654上纵实配: 4D20(1257) 4D14(616) 6D22(2281)下纵实配: 8D20(2513) 8D20(2513) 8D20(2513)箍筋实配: 4d10@300(1047) 4d10@300(1047) 4d10@300(1047)腰筋实配: 4D12(452) 4D12(452) 4D12(452)裂缝: 0.149 0.179 0.289挠度: 0.000 8.844 0.000最大裂缝:0.289mm<0.400mm最大挠度:8.844mm<12.500mm(7500/600)----------------------------------------------------------------------- 梁号 5: 跨长 = 7500mm B × H = 400mm × 600mm左中右弯矩(+) : 0.000 278.543 10.275弯矩(-) : -351.375 -39.441 -131.279剪力: 245.145 -69.961 -96.961上部纵筋: 2277 515 821下部纵筋: 515 1770 515箍筋: 654 654 654上纵实配: 6D22(2281) 4D14(616) 4D16+1D20(1118)下纵实配: 8D20(2513) 8D20(2513) 8D20(2513)箍筋实配: 4d10@300(1047) 4d10@300(1047) 4d10@300(1047)腰筋实配: 4D12(452) 4D12(452) 4D12(452)裂缝: 0.289 0.027 0.050挠度: 0.000 4.062 0.000最大裂缝:0.289mm<0.400mm最大挠度:4.062mm<12.500mm(7500/600)----------------------------------------------------------------------- 梁号 6: 跨长 = 7500mm B × H = 400mm × 600mm左中右弯矩(+) : 10.276 34.119 0.000弯矩(-) : -131.278 -23.917 -53.194剪力: 42.130 15.130 -35.463上部纵筋: 821 515 515下部纵筋: 515 515 515箍筋: 654 654 654上纵实配: 4D16+1D20(1118) 4D14(616) 4D14(616)下纵实配: 4D14(616) 4D14(616) 4D14(616)箍筋实配: 4d10@300(1047) 4d10@300(1047) 4d10@300(1047)腰筋实配: 4D12(452) 4D12(452) 4D12(452)裂缝: 0.050 0.005 0.030挠度: 0.000 -0.997 0.000最大裂缝:0.050mm<0.400mm最大挠度:0.000mm<12.500mm(7500/600)----------------------------------------------------------------------- 梁号 7: 跨长 = 7500mm B × H = 400mm × 600mm左中右弯矩(+) : 0.000 42.091 0.000弯矩(-) : -53.194 0.000 -0.000剪力: 34.092 7.093 -24.626上部纵筋: 515 480 515下部纵筋: 515 515 515箍筋: 654 654 654上纵实配: 4D14(616) 4D14(616) 4D14(616)下纵实配: 4D14(616) 4D14(616) 4D14(616)箍筋实配: 4d10@300(1047) 4d10@300(1047) 4d10@300(1047)腰筋实配: 4D12(452) 4D12(452) 4D12(452)裂缝: 0.030 0.035 0.000挠度: 0.000 3.031 0.000最大裂缝:0.035mm<0.400mm最大挠度:3.031mm<12.500mm(7500/600)4 所有简图:龙门吊轨道梁综合选筋结果根据以上计算,综合计算后的选筋结果,选取最不利截面和最大受力位置进行配筋,配筋结果见下表:。
MG型45/20t吊钩门式起重机设计(验算)书xxxxxxxxxxx公司1.项目简介1.1xx公司经过市场调研后发现,xx市附近一部分大型构件厂,需要一较大起重量的起重机,但原有厂房偏小,扩建成本过大,而现有空地面积不是很大。
根据市场这一需求,MG型吊钩门式起重机能满足要求:起重量为50t以下,跨度为15m以下,起升高度为12m以下。
xx公司决定设计生产此类起重机。
1.2样机型号规格型号:MG型吊钩门式起重机起重量Gn:主钩45t,付钩20t跨度S:12m起升高度H:9m工作级别:A6控制方式:司机室控制2设计制造安装标准GB/T3811-1983 起重机设计规范GB/T6067-1985 起重机械安全规程GB/T14405-1993 通用桥式起重机GB/T14406-1993 通用门式起重机GB/T14407-1993 通用桥式和门式起重机司机室技术条件GB10183-1988 桥式和门式起重机制造及轨道安装公差GB50278-1998 起重设备安装工程施工及验收规范3整机设计3.1构想:由于xx公司生产QD型50t及其以下吊钩桥式起重机,已有成熟图纸和经验,所用图纸是“北京起重运输机械研究所”的通用图纸,得到多年检验,产品性能可靠。
决定45t小车按QD50t小车生产,起重机主梁桥架采用中轨箱形桥架,支腿为变截面箱形结构,大车运行为台车型式。
3.2参数:起重量Gn:主钩45t,付钩20t跨度S:12m起升高度H:9m起升速度:按QD型吊钩桥式起重机相应速度:主钩约7.5m/min,付钩约12m/min小车运行速度:20---30m/min大车运行速度:30---40m/min4设计(验算)4.1小车4.1.1 主钩(45t)起升机构:全套采用QD50t-M6起升机构。
实际主要配套件吊钩滑轮倍率n=5起升速度V主=3.14x0.8225x579/(40.17x5)=7.45m/min 主起升电机功率验算:N=1.02GnV/(60000η)=58kw满足总体要求(主钩约7.5m/min)。
4.2.2 行走梁受力计算由于长江路站为盾构始发站,轨道基础考虑盾构施工45t龙门吊走,行龙门吊行走梁最不利荷载位置为端头井的钢筋混凝土梁,对此进行荷载计算,按45t 门吊行走计算。
4.2.2.1受力说明:长江路站北端头井端架设一根净跨14.4m(计算跨度按15.6m)的钢筋混凝土梁,截面尺寸为145 cm ×50cm,供跨度为19.72m的45t龙门吊行走,梁的两端与车站围护结构的冠梁连接,大梁的跨度为14.4m,力学模型简化为两端铰接的钢筋混凝土梁,按受弯构件考虑;45t龙门吊前后轮距为9.616m,轮径为0.7m,最大轮压为320KN,运行速度为0~40r/min。
4.2.2.2荷载计算1.大梁自重,均布荷载,线重为q=2.5×0.5×1.45=1.8125t/m,即18.125KN/m2.大梁承受的活载按最大轮压考虑,每边4个车轮,简化成2个集中力均为F=640KN。
龙门吊分解自重如表4.2-1 龙门吊分解自重:表4.2-1龙门吊分解自重图4.2-2 龙门吊行走轮间距图4、龙门吊设计参数恒载分项系数:2.1=Gγ;活载分项系数:40.1=Qγ;动力系数:05.1=μ;钢筋砼梁容重:3/25mkNc=γ;集中荷载(活载):1164042F G T kN=⋅+=;5、分两种情况对行走梁进行受力分析图4.2-3轨道梁平面图5、1吊车一轮在跨中,一轮在跨外(受力模型4.2-4)图4.2-4荷载组成及作用情况两端固结梁的跨中弯矩、支座剪力影响线,如图4.2-5、图4.2-6.图4.2-5几何尺寸图、弯矩包络图图4.2-6剪力包络图支座处剪力(最大)1=/2/218.12514.4/2640/2450.5Q p F ql F KN +=⨯+=跨中弯矩22=/8/4 1.218.12515.6/8 1.464015.6/44156.04G Q p M ql F l KN mγγ+=⨯⨯+⨯⨯=•中5、2吊车两轮均在跨内(受力模型如图4.2-7)图4.2-7 荷载组成及作用情况梁的跨中弯矩、支座剪力影响线,如图4.2-8、图4.2-9.图4.2-8弯矩影响线图4.2-9剪力影响线由剪力影响线和弯矩影响线可知: 支座剪力:2=/2//18.12515.6/2640(0.80815.6)/15.6640(0.19215.6)/15.6781.375Q p p F ql F b l F a lKN ++=⨯+⨯⨯+⨯⨯= 弯矩:222=/8/1.218.12515.6/8 1.46400.8080.19215.6/15.62830.06G Q p M ql F ab lKN mγγ+=⨯⨯+⨯⨯⨯⨯=•端2二、截面实际配筋如下图4.2-6图4.2-6截面实际配筋注:纵向筋均为Φ28的钢筋共20根,不设弯起筋。
中国中铁XX地铁XX线工程XX站~XX站区间45T门式起重机轨道梁计算书编制:复核:审核:中国中铁股份有限公司XX地铁XX线项目经理部2014年04月目录1.概述 (1)2.冠梁门吊轨道梁验算 (1)2.1 地基承载力验算 (1)2.2 XX站新轨道梁基础配筋 (3)3.车站顶纵梁门吊轨道验算 (6)3.1 设计资料 (6)3.2 主要材料指标 (6)3.3 模型简介 (6)3.4 荷载组合说明 (7)3.5 荷载组合说明 (8)3.6 验算结果表格 (8)3.7 梁的详细计算过程 (17)45T 门式起重机轨道梁计算书1.概述根据盾构掘进施工需要,本工程在XX 站施工场地需布置2台45T 门式起重机,用于XX 站施工场地。
根据龙门吊布置、荷载及场地地质情况,XX 站龙门吊轨道梁采用C35砼.东端头门吊基础位于冠梁上,为高0.56米,底部宽0.8米的基础;车站标准段基础位于车站顶纵梁上,龙门吊基础采用 40×100cm 混凝土基础。
详见下图,龙门吊单侧跨距8m 。
图1 单边轨道轮子布置2.冠梁门吊轨道梁验算2.1 地基承载力验算 ①计算参数 a 龙门吊轮压:根据45T 龙门吊技术参数表中数据,当龙门吊悬臂起吊最不利工况时,龙门吊最大轮压为342KN ,单边轨道梁共有1组4个轮子接触轨道。
由单边轨道轮子布置图可得内轮距为8m ,一边支腿轮距为2m 。
因基础直接作用于现有砼结构上,所以忽略条形基础扩散作用,作用面积长度为L=2.5+8+2.5=13m ,宽度为1.2米,面积为13m ×1.2m =15.6m 2,即在条形基础底部15.6 m 2内共承受悬臂侧一个龙门吊轮子荷载342KN 。
b 梁条形扩大基础底面为C35钢筋砼,该层的最小承载力fak=35MPa ; ②轨道梁的地基承载力验算 轮压:342×4=1368KN结构自重:钢筋砼C35自重,按25kN/m 3计。
50钢轨:50kg/m, 条形基础面积为10.4m 2地基承受的荷载f:a 250.560.8135013103424140.625131.54146.17KP 10.410.4100010.4f ⨯⨯⨯⨯⨯⨯=++=++=⨯两者对比,f ak =35MPa>f=146.17KPa ,因此,持力层地基承载力足够。
对于轨道下面的钢筋混凝土基础, 查规范所得正截面受弯承载力计算为 受力模型简化:(1)忽略条形基础扩散作用,按照2.5m 的荷载作用长度计算,如下图受力所示。
将6.5m 的混凝土基础简化为一个整体,由混凝土及50轨产生的均布荷载:15010 2.5250.560.8 2.529.251000F KN ⨯⨯=⨯⨯⨯+=龙门吊滚轮产生的集中荷载:KN F 68423422=⨯=,所有荷载均通过梁作用在地基上,地基对混凝土梁产生均布的反作用力为129.253422285.3/2.5q KN m +⨯==。
(2)中间8m 范围内由混凝土及50轨产生的均布荷载:350108250.560.8893.61000F KN ⨯⨯=⨯⨯⨯+=,荷载通过梁作用在冠梁上,冠梁对混凝土梁产生均布的反作用力为393.611.7/8q KN m ==。
将整块混凝土梁反过来,以施加集中力的4个轮子作为基座。
以地基反力作为均布荷载作用在体系上,通过力学求解器求解出基座A 、B 、C 、D 点的内力,见下图。
受力模型简化x123( 1 )( 2 )( 3 )-64.2529.35-64.25弯矩示意图x 123( 1 )( 2 )( 3 )91.3046.80-46.80142.70-91.30剪力示意图结构为静定,通过力学求解器求得梁下表面受拉时在产生的最大弯矩为:M=64.25KN.m 在B 、C 点产生的剪力最大为V=142.7KN2.2 XX 站新轨道梁基础配筋设置在XX 站基坑两侧地面的龙门吊轨道梁采用高0.56m ,底部宽0.8m 的基础,已知矩形梁截面尺寸b ×h=800×560mm ,混凝土强度等级为C35,钢筋采用HRB335级钢筋。
混凝土下表面受拉时,矩形梁受到的最大弯矩为M 1=64.25kN.m ,混凝土上表面受拉时,矩形梁受到的最大弯矩为M 2=44.5kN.m 。
钢筋为HRB335,钢筋的强度设计值f y =300N/mm 2,轨道梁混凝土为C35,混凝土轴心抗压强度设计值f c =16.7N/mm 2,当混凝土强度≤C50时,混凝土受压区等效矩形应力图系数a 1=1.0,当混凝土强度≤C50、钢筋级别为HRB335时,界限相对受压区高度ξb=0.55。
①当混凝土下表面受拉时:环境类别为二a 类时,混凝土梁最小保护层厚度为25mm 。
假定受拉钢筋布置一排,设a s =35mm,则 h 0=h-a s =560-35mm=525mm 。
截面抵抗矩系数6221064.25100.0171.016.7800525s c M f bh α⨯===∂⨯⨯⨯1121120.0170.0170.55s b ζαζ=-=-⨯=<=按照单筋矩形截面进行设计则0.5(112)0.99s S γα=⨯-=622064.2510412.13000.99525S y s MA mm mm f h γ⨯===⨯⨯积:为截面受力钢筋的面数:称为内力矩的力臂系s s A γ配筋率:1min 0412.1 1.570.10%45450.24%800525300s t y A f bh f ρρ===<==⨯=⨯ 不能满足最小配筋率。
所以取1min 0.24%ρρ==2min min 00.24%8005251008As bh mm ρ==⨯⨯=选取配筋为Φ18@200,As=1017mm 2 承载力验算因为00.0175258.925270s x h mm a mm ξ==⨯=<=()s y 0s A h a 1017300(52535)149.5064.25u M f KN m M KN m =-=⨯⨯-=•>=• 所以,选用配筋满足承载力需求。
②当混凝土上表面受拉时:环境类别为二a 类时,C35梁的混凝土最小保护层厚度为25mm ,假定受拉钢筋布置一排,设a s =35mm ,则056035525s h h a mm =-=-=。
6221044.5100.011.016.71000525s c M f bh α⨯===∂⨯⨯⨯ 为截面抵抗矩系数s α1121120.010.010.55s b ξαξ=-=-⨯=<=按照单筋矩形截面进行设计 则0.5(112)0.99s S γα=⨯-=6/22044.510285.393000.99525S y s MA mm mm f h γ⨯===⨯⨯积:为截面受力钢筋的面数:称为内力矩的力臂系/s s A γ选用410Φ,/2314S A mm =/2min 0314 1.570.07%45450.24%800525300s t y A f bh f ρρ===<==⨯=⨯不能满足最小配筋率。
所以取1min 0.24%ρρ==2min min 00.24%8005251008As bh mm ρ==⨯⨯=选取配筋为Φ18@200,As=1017mm 2 承载力验算因为00.0175258.925270s x h mm a mm ξ==⨯=<=()s y 0s A h a 1017300(52535)149.5064.25u M f KN m M KN m =-=⨯⨯-=•>=• 所以,选用配筋满足承载力需求。
查规范所得正截面受剪承载力计算为:矩形截面的一般受弯构件,当符合下列公式要求是0025.17.0h sAf bh f V sv yv t +=,因混凝土等级为C35,所以f t =1.57N/mm 2,b=1000mm,h 0=525mm. 0.7ftbh 0=0.7*1.57*800*525=461.58KN00142.70.7 1.25svt yvA KN f bh f h s<+ 承载力计算可不进行斜截面的受剪∴仅需构造配筋,实际配筋Φ10@300。
轨道基础实际配筋图见下图。
截面复核:矩形截面受弯构件,其正截面受弯承载力应符合下列规定: 因混凝土等级为C35,所以21 1.0,16.7/,c f N mm ∂==有轨道梁配筋图可知h=560mm,b=800mm,a ′s =35mm,As=As ′=1017mm 2,钢筋为HRB335,得f y =300N/mm 2。
025*******s h h a mm =-=-=因为///12y s y s s c f A f A x f b-=<∂∂所以/0()3001017(49035)138.864.25u y s s M f A h a KN m KN m =-=⨯⨯-=⋅>⋅ 满足要求。
3.车站顶纵梁门吊轨道验算3.1 设计资料使用程序 : MIDAS/Civil, Civil 2006 ( Release No. 1 ) 截面设计内力 : 3 维 构件类型 : 普通混凝土桥梁 公路桥涵的设计安全等级 : 一级 构件制作方法 : 现浇 3.2 主要材料指标表1:混凝土技术指标强度等级线膨胀系数标准值 设计值弹性模量容重(MPa) (kN/m 3)fck ftk fcd ftd(MPa) (MPa) (MPa) (MPa)C3531500.0025.001.000e-00523.402.2016.101.523.3 模型简介单元数量 : 梁单元 10 个; 柱单元 0 个 节点数量 : 11 个 边界条件数量 : 11 个 施工阶段 : 2 个步骤名称结构组边界组荷载组激活钝化 激活 钝化 激活 钝化 CS1结构-边界-自重-二期- - - - 永久荷载-3.4 荷载组合说明1.荷载工况说明静力荷载计算:MG45/16 吨门式起重机自重约 127.4t,最大起吊重量为 45t,最大轮压为34.2t;龙门吊轨道采用 50kg/m 钢轨,龙门吊基础采用40×100cm 混凝土基础;龙门吊基础作用在顶板梁上,顶板梁截面尺寸分别为100×200cm、100×170cm;其龙门吊截面图如下图3-1 所示。
2 210图3-1龙门吊工作简图单位:m在龙门吊基础计算时,分别计算两道顶板梁,其永久荷载分别如下所示:=0.5kN/m;钢轨荷载:Q1=26×0.4×1=10.4kN/m;龙门吊基础荷载:Q2=26×0.8×(10.5+11.2)/2=225.68kN/m;顶板荷载:Q3龙门吊基础按最大轮压进行计算,考虑荷载为移动荷载,其荷载简图如下图1.3-2 所示:342 342342 3422 82图 3-2 龙门吊移动荷载单位:m(kN)根据图 3-2 可知,其移动荷载为 F=0.5342kN。