ISTA 1A 测试标准
- 格式:docx
- 大小:19.06 KB
- 文档页数:3
1A 包装跌落测试标准一、 测试程序1. 重量超过68.2kg 做1B 测试2. 重量低于68.2kg 做1A 测试二、 测试程序1. 按装运方式放置产品,如可任意装箱则将原定的放置面放于最上面。
2. 产品是否是6面(2侧面、前后、上下),是,跳到4,否,下一步。
3. 将每个面、边、角均标出。
4. 是否瓦楞纸纸箱,是,下一步,否,第7步。
5. 包装箱是否有钉接或其它方式将边面和正(反)面连接。
6. 将有钉接或其它方式连接的边置于你正视面的右边,跳到8。
7. 8.9. 用形边的两个面命名边。
如边1-2为面1和2组成的。
10. 用形成角的三个面命名角。
11. 下一步固定位移振动测试测试时间=14200次振动/CPM 或CPS*60CPM 为每分钟的振动次数(频率),CPS 为每秒的震动次数(频率HZ )B 用最低频以25.4mm 位移开始振动。
C 逐步增加频率,至测试物间歇性离开台面。
D 继续用C 的频率振动。
E 金属片可否通过测试物和台面的缝隙。
是,继续振动。
否,增加频率至金属片可通过测试物和台面的缝隙。
F 计算出测试时间。
G 开始测试。
4H 使用振动系统的垂直线运动。
是,到K,否,到下一步。
I 振动测试到一半时,选用下面合适运动:a. 如果90度水平旋转可行则90度水平旋转。
b. 如果90度水平旋转不可行(因尺寸或包装的稳定性)则180度水平旋转。
J 继续振动测试。
K 金属片可否通过测试物和台面的缝隙。
是,下一步,否,降低频率至金属片可通过测试物和台面的缝隙。
L 完成测试。
三、落地测试步骤做相应斜面或者水平冲击测试。
3 落地测试步骤A 选取高度或冲击速度等相关条件。
B 产品是否6面(2侧面、前后、上下)并标出。
ISTA 1A 中文标准ISTA 1A 2001 - Page 1 of 8ISTA, 国际包装产品性能试验领域内的权威, 你的运输包装的联盟.ISTA 1A 系列是性能试验中最基本的标准.•检验包装及产品承受运输危害的能力;•但不是实际运输危害环境的模拟;•并且不一定遵循运输公司的包装规则要求.若恰当地应用,ISTA 试验标准将提供下列明显的收益:•缩短包装开发的时间及增强产品投放市场的信心;•降低产品破损及遗失率, 保护产品利润;•经济平衡的流通成本;•客户满意生意兴隆不断.试验标准包括三个部分: 概揽,试验及报告.•概揽部分提供进入试验实验室前所需的基本常识;•试验部分提供在试验实验室内进行试验的具体程序;•报告部分列出所要记录的数据以向ISTA 提交试验报告.ISTA 试验标准使用两套重量衡单位: 英制(英寸-英磅) 及国际标准SI (米制). 除在某些表格里分别标列外,此试验标准一般先标列英制(英吋-英磅), 米制标列在括号里.•任一单位都可作为重量衡的标准单位, 但是,•选择的标准单位必须在此试验标准中前后保持一致;•单位换算至两位有效数字;•两套单位系统不完全相等.重要事项:开始试验前, 必须阅读及理解全部文件内容.试验标准1A 概揽试验标准1A 是用于单一包装产品的整体性能试验的标准.•可用于评估一包装产品的性能;•可用于比较不同的包装及产品设计的性能;•包装和产品应作为一个整体而不应作为分开的两者来考虑.•可能不包括某些运输条件, 诸如潮湿, 大气压力或非正常搬运作业.对于不同的运输条件或满足不同的试验目的, 选用其他ISTA 试验标准可能更合适.具体建议:•若用随机振动取代固定位移振动, 采用ISTA 试验标准1G, 而不是1A.•若需测试一包装产品的最低压缩强度数值, 采用ISTA 试验标准1C.•若试验一国际运输的包装产品, 应考虑采用ISTA 局部仿真性能试验标准2A.•若试验小件快递运输包装产品, 应考虑采用ISTA 综合仿真性能试验标准3C.•其它资料请参考选择及使用ISTA 试验标准及试行项目指南.2004 年国际安全运输协会版权所有.≤ 150 lbs (68 kg) 包装产品ISTA 1A 系列非模拟整体性能试验标准1A 21前言ISTA 1A 2001 - Page 2 of 8试验标准1A 概揽试验标准1A 适用于试验不超过150 磅(68 公斤) 的单一包装产品的运输前试验.例外:对于重量超100 磅(45 公斤) 堆放在一可见滑板或托盘上的单一包装产品, 应该根据试验标1B 进行试验.运输者在试验前需确定下列几点:•产品破损包括哪些方面?•如果可以, 产品破损的允许限度是什么?•试验结束后决定产品状况的正确方法, 以及,•试验结束后的可接受的包装状况;•对于有关此决定过程的其它资料, 请参考选择及使用ISTA 试验标准及试行项目指南.试验样品应是未试验过的实际包装和产品. 但若没有实际包装或产品, 代用件应尽可能和实际包装或产品一样.所需样品的数目:•此试验标准中各试验需要一个样品.建议重复试验:为了保证恰当决定包装产品代表性的性能, ISTA•要求执行此试验标准一次,但,•建议执行此试验标准五次或更多次,每次使用新的样品.请注意:已经承受严峻运输条件的包装品不可以被用来代表包装品的标准状况. 为了确保在理想状况下的试验, 运输到已认证的实验室去试验的产品和包装必须是:•在运输到实验室时有额外一层包装的, 或者,•重新在实验室用新包装材料包装的产品.每一试验样品必须按照下表中列出的次序来进行试验:次序# 试验范围试验种类试验设定标准ISTA 认证1 振动固定位移在所定的频率下高峰到低峰(全幅位移)为一英吋(25 毫米)要求跌落高度随包装品的重量不同而不同或可选择: 斜面冲击冲击速度随包装品的重量不同而不同2 冲击或可选择: 水平冲击冲击速度随包装品的重量不同而不同要求产品破损允许限度及损失许可范围试验样品试验次序1AISTA 1A 2001 - Page 3 of 8试验标准1A 所需的设备固定位移振动试验:•能产生一英吋(25 毫米) 固定位移,或产生符合ASTM (美国材料试验协会)D 999-01 试验标准仪器章节方法A1 或A2 要求的可控制位移的振动试验系统.振动台产生的旋转运动或垂直线性运动都可接受.• 0.06 英吋(1.5 毫米)厚, 大约2 英吋(50 毫米) 宽, 适当长度的金属薄片.•测量振动频率- 每秒循环次数(Hz) 或每分周数(CPM)的测速仪器或适当的指示仪.•自动计时器或秒表下列任一设备都可适用于冲击试验所需的设备:冲击试验种类设备种类应符合何种试验标准中的仪器章节的要求?跌落试验自由跌落试验机ASTM D 5276-98垂直冲击试验冲击试验机ASTM D 5487-98(02)或可选择: 斜面冲击试验斜面冲击试验机ASTM D 880-92(02)或可选择: 水平冲击试验水平冲击试验系统ASTM D 4003-98所需的设备振动冲击1AISTA 1A 2001 - Page 4 of 8进行试验标准1A 试验之前试验前, 应按照以下程序标记样品的面,边缘和角:步骤操作1 把包装品放置在发货人予定的运输方位. 若运输方位是可变的, 把包装品放置好以至其贴标签的一面朝上.2 包装品是不是只有六个面(两侧-前面和后面, 两端-左面和右面, 上面和下面)?•若是, 请看步骤5.•若不是, 继续下一步骤.3 制定一标记每一个面, 边缘和角的方法, 并用一示意图记录在试验文件里.4 请看下一步骤.5 包装是不是瓦楞纸箱?•若是, 请看下一步骤.•若不是, 请看步骤8.6 包装是不是有一个连接一侧面和一端面的制造厂接缝?•若是, 请看下一步骤.•若不是, 请看步骤8.7 把包装件放置成你可以直接看到制造厂接缝正位于包装件前面的右边, 然后请看步骤9.8 把包装件放置成其中一个最窄的面正面向你.9 依照下示意图标记包装件各面.1 6245 制造厂接缝310 标记边缘- 用组成一个边缘的两个面的号码来标记.例如:边缘1- 2 是由面1 和面2 组成的.11 标记角- 用组成那个角的三个面的号码来标记.例如:角2- 3-5 是由面2,面3 和面5 组成的.12 请看下一部分.面,边缘和角的标记角2-3-5边缘1-21AISTA 1A 2001 - Page 5 of 8进行试验标准1A 试验之前你应该知道包装品的:•总重量: 英磅(公斤)•外表尺寸(长宽高)(LxWxH) 英吋(毫米或米)请注意:振动试验系统应使用一套合适的限制装置,目的是:•防止试验样品从试验平台上掉下.•维持包装品的试验方位.•在试验中此限制装置应不限制试验样品的垂直运动.试验者应熟悉下列在确定使包装品弹跳所需的频率后计算试验时间的公式.14, 200 振动冲击试验时间(分钟)=周/分钟(CPM)或[周/秒钟(Hz)x 60]下列图表列举了若干个频率下计算的试验时间:CPM Hz 试验时间(分钟)150 2.5 95180 3.0 79210 3.5 68240 4.0 60270 4.5 53300 5.0 48试验跌落高度随包装品的重量不同而变化.从下列图表中找出包装品的重量来决定跌落高度或相当的用于替代跌落试验的冲击速度:包装品重量跌落高度冲击速度相等或大于但小于自由跌落斜面或水平英磅公斤英磅公斤英吋毫米英尺/秒米/秒0 0 21 10 30 760 13 3.921 10 41 19 24 610 11 3.541 19 61 28 18 460 10 3.061 28 100 45 12 310 8.0 2.5100 45 150 68 8 200 6.6 2.0此试验方法要求包装品从若干不同的包装方位跌落.如果跌落包装件可行的话,必须完成所有要求的方位的跌落.若某一要求跌落的方位不可行,相当的斜面或水平冲击试验可以用来替代那一方位的跌落试验.当使用冲击速度时,如果下列试验程序中任一试验设定低于要求的最低值,那一程序步骤必须反复多次直至试验用冲击速度达到最小值.振动试验开始之前冲击试验开始之前测量包装品的重量和尺寸1AISTA 1A 2001 - Page 6 of 8试验标准1A 的试验次序下列试验部分各表格列有指明此试验标准中每一试验所要求的步骤:固定位移步骤操作1 把包装品的面3放置在振动台上.2 启动振动机,使其在机器最低频率下振动, 全振幅位移为一英吋(25 毫克).3 保持一英吋(25 毫克)固定位移,缓慢增加振动台的频率(速度)直到包装品开始离开振动台表面.4 保持机器在步骤3中所得到的频率下振动.5 金属薄片是不是可以间歇地在包装品最长的一面的底部和振动台面之间移动?•若是,保持此频率,继续进行下一步骤.•若不是,逐渐增加频率直到达到步骤5的要求,然后保持那一新的频率.6 用以上振动试验开始之前部分的公式和在步骤5 里所得到的CPM 或Hz 确定试验时间.7 开始计时振动试验时间.8 是否使用振动系统的垂直直线运动?•若是, 请看步骤12.•若不是, 进行下一个步骤.振动完成一半后停止振动试验, 然后完成下表列出的适当步骤:如果单一的90º水平旋转是: 那么进行如下的水平旋转:可能的试验样品放在台面上, 90º9不可能, 由于包装品的尺寸或稳定性试验样品放在台面上, 180º10 启动振动系统, 使用步骤7 中所定的频率继续振动试验.11 金属薄片是不是可以间歇地在包装品最长的一面的底部和振动台面之间移动?•若是, 进行下一步骤.•若不是, 逐渐增加频率直到达到步骤11 的要求.12 完成振动时间.13 如果允许,并且在任何情况下检验不会改变包装现有的状况或产品的位置或状况,检验包装品任何可见的破损.14 振动试验到此结束. 请看冲击试验部分.振动试验部分1AISTA 1A 2001 - Page 7 of 8试验标准1A 的试验次序跌落步骤操作1 根据冲击试验开始之前部分, 确定试验方法和所要求的跌落高度或冲击速度.2 根据面,边缘和角的标记部分,你的包装品是否带有六面?•若有, 进行下一个步骤.• .若没有, 请看步骤6.3 依照步骤1 中决定的方法和设定数据对包装品进行试验.试验应按照下表中的次序.次序号方位特定的面, 边缘或角1 角最脆弱的面3 上的一角, 若未知, 试验角2-3-5.2 边缘绕上面试验过的角的最短的边缘.3 边缘绕上面试验过的角的下一个最长的边缘.4 边缘绕上面试验过的角的最长的边缘.5 面任何最小的一面6 面对面的小面7 面任何中等的一面8 面对面的中等的面9 面任何最大的一面410 面对面的最大的面5 所有的试验到此完毕. 进行下面试验报告部分.6 选择底面角来替换在步骤4 次序1 所要求的角, 开始试验.7 标记符合步骤4 次序2 至4 要求的包装品的各边缘.8 选择任何六面来替换符合步骤4 次序5 至10 要求的包装品的各面.9 用步骤6 至8 标记的角, 边缘和面,然后再回到步骤3 开始试验.10 所有的试验到此完毕. 进行下面试验报告部分.冲击试验部分1AISTA 1A 2001 - Page 8 of 8试验标准1A 的试验报告经过检验, 如果包装品顺利通过试验, 这意味着它符合产品破损允许限度及损失许可范围. ISTA 认证的试验实验室:•应记录存档所有进行过的ISTA 的试验标准或试行项目的试验.•应记录存档关于进行过的ISTA 的试验标准或试行项目的试验报告以申请运输试验包装证书或认可. 其它资料请参考选择及使用ISTA 试验标准及试行项目指南.ISTA 运输试验认证计划右图所示的ISTA 运输试验认证标志是:•一注册的认证标志•只能根据认证协议使用•由国际安全运输协会的会员使用当会员在一包装品上印制此带有认证号码的认证标志时,这意味会员向他们的客户及运输公司表示此包装品通过ISTA 运输前试验标准的要求.为了维持其ISTA 运输试验认证标志上认证号的状况及有效性,每一个包装品在任何时候作出以下列举的任何变动都必须重新进行试验:•产品, 或•生产包装过程, 或•包装产品的变动包括以下几个方面:•设计, 或•尺寸, 或•材料生产包装过程的变动包括以下几个方面:•制造, 或•组装, 或•填充包装的变动包括以下几个方面:•结构, 或•尺寸, 或•重量或•材料, 或•包装部件作为一质量管理程序, 包装品必须定期地重新进行试验, 例如, 每年一次.。
包装件在150磅(68K G)以下ISTA 是运输包装联盟,是包装行业的先驱。
ISTA 1系列是包装测试中最基本的测试。
用於考察包装的保护能力以及产品承受运输工具的能力,但不是严格模拟实际运输环境也没有必要。
按照ISTA标准进行包装的好处有:1 减少包装开发时间,是产品运输更有保障;2 保护产品,同时减少破损和产品损失,保持利润3 有效的平衡运输成本;4 使客户满意整个过程有三部分:概述、测试和报告。
概述就是在进入实验室测试之前提供总体的资料,测试即早实验室测试的具体程式说明,报告则是记录必要的资料并提交给ISTAISTA测试程式中的重量和高度有两种计量单位。
英制(英寸/磅)和国际单位制(米制)。
英制单位一般先用而国际单位制则标在後面的括弧内。
两种单位系统都用做测量单位,但必须在此试验中前後保持一致,并使用2位元有效数字,两种单位可以互相转换,但不完全等价。
1A测试程式概述1A是对个体包装的完整测试#它可以用来衡量包装产品#可以用来比较包装设计和产品设计的好坏#包装和产品是同时考虑的而不是单独的设计#有些运输环境没有考虑,比如湿度、压力和不正当的搬运等对於不同的运输条件或满足不同的试验目的,选用其他ISTA试验标准可能更合理。
具体的建议:#使用随机振动方式代替固定频率振动,用ISTA测试程式的1G#需要测试包装件的最小耐压值是用ISTA测试程式1C#需要小件运输的包装件可以使用ISTA类比测试程式3C#使用ISTA测试程式可以参考附录中的指导方针#1A用於测试重量小於150磅(68KG)的个体包装另外:当单个包装件放在滑车或托盘上时,且超过100镑(45KG)个体包装产品应按照1B测试。
发货人在测试之前应该知道以下几点:产品的破坏方式和破坏程度,产品破损的允许限度是什麽,以及在测试结论中确定测试後产品破坏程度的方法和可以接受的产品破坏程度。
试样必须是未是使用的产品和包装,如果试样和合格,替代品必须与原来的试样是一样的样品的数量:最少一个建议重复试验:为了保证正确确定包装产品典型的性能,ISTA#要求执行此试验标准一次,但#建议执行此试验标准五次或更多次,每次使用新的样品。
包裝件在150磅(68KG)以下ISTA 是運輸包裝聯盟,是包裝行業的先驅。
ISTA 1系列是包裝測試中最基本的測試。
用於考察包裝的保護能力以及產品承受運輸工具的能力,但不是嚴格模擬實際運輸環境也沒有必要。
按照ISTA標準進行包裝的好處有:1 減少包裝開發時間,是產品運輸更有保障;2 保護產品,同時減少破損和產品損失,保持利潤3 有效的平衡運輸成本;4 使客戶滿意整個過程有三部分:概述、測試和報告。
概述就是在進入實驗室測試之前提供總體的資料,測試即早實驗室測試的具體程式說明,報告則是記錄必要的資料並提交給ISTAISTA測試程式中的重量和高度有兩種計量單位。
英制(英寸/磅)和國際單位制(米制)。
英制單位一般先用而國際單位制則標在後面的括弧內。
兩種單位系統都用做測量單位,但必須在此試驗中前後保持一致,並使用2位元有效數字,兩種單位可以互相轉換,但不完全等價。
1A測試程式概述1A是對個體包裝的完整測試#它可以用來衡量包裝產品#可以用來比較包裝設計和產品設計的好壞#包裝和產品是同時考慮的而不是單獨的設計#有些運輸環境沒有考慮,比如濕度、壓力和不正當的搬運等對於不同的運輸條件或滿足不同的試驗目的,選用其他ISTA試驗標準可能更合理。
具體的建議:#使用隨機振動方式代替固定頻率振動,用ISTA測試程式的1G#需要測試包裝件的最小耐壓值是用ISTA測試程式1C#需要小件運輸的包裝件可以使用ISTA類比測試程式3C#使用ISTA測試程式可以參考附錄中的指導方針#1A用於測試重量小於150磅(68KG)的個體包裝另外:當單個包裝件放在滑車或託盤上時,且超過100鎊(45KG)個體包裝產品應按照1B測試。
發貨人在測試之前應該知道以下幾點:產品的破壞方式和破壞程度,產品破損的允許限度是什麼,以及在測試結論中確定測試後產品破壞程度的方法和可以接受的產品破壞程度。
試樣必須是未是使用的產品和包裝,如果試樣和合格,替代品必須與原來的試樣是一樣的樣品的數量:最少一個建議重複試驗:為了保證正確確定包裝產品典型的性能,ISTA#要求執行此試驗標準一次,但#建議執行此試驗標準五次或更多次,每次使用新的樣品。
ISTA 1A运输测试标准ISTA 1A运输测试标准是国际安全运输协会(International Safe Transit Association)制定的一种运输测试标准,用于评估和模拟产品在运输过程中所经受的振动和冲击等物理环境。
该标准旨在保护包装中的商品免受损坏,并确保产品在运输过程中的安全性。
一、测试标准介绍ISTA 1A运输测试标准包含了一系列的测试程序和规范,以模拟真实运输环境。
测试涵盖了不同的运输方式,如公路运输、海洋运输、航空货运等,并结合了包装材料的不同特性。
通过对包装容器在运输过程中的性能进行评估,可以为包装设计者、制造商和销售商提供指导,以确保产品在运输过程中的安全。
二、测试项目和要求1. 振动测试:通过模拟不同类型的振动条件,如固定频率、随机振动等,来评估包装容器的抗振性能。
测试要求包装容器不得出现破裂、漏液、破损等情况,并确保产品在振动过程中不受损。
2. 冲击测试:测试样品在正常运输条件下所承受的冲击力和加速度。
通过模拟运输过程中可能发生的不同冲击事件,如箱体跌落、堆垛坍塌等,评估包装容器对冲击的抵抗能力。
测试要求包装容器不得出现破裂、变形或产品脱离包装等情况。
3. 压缩测试:评估包装容器在运输过程中所承受的压力。
包装容器在堆垛、运输过程中往往会受到不同程度的压力。
测试要求包装容器能够承受一定的压力,不出现破裂或变形。
4. 仿真测试:通过模拟运输过程中的气候条件,如温度、湿度等,评估包装容器的耐候性能。
测试要求包装容器在恶劣气候条件下能够保持产品的完好性,不出现变形、退色等情况。
5. 环境适应性测试:测试包装容器在不同环境条件下的适应能力,如高温、低温、潮湿等。
测试要求包装容器能够在不同的环境条件下保持稳定性,并保护产品不受损。
三、测试报告和结果分析测试完成后,需要根据测试过程和结果撰写测试报告。
测试报告应包括测试样品的信息、测试条件、测试结果等内容。
针对测试结果,需要进行合理的分析和解释,以便设计师、制造商等能够得到有关包装容器性能的信息。
ISTA 1A-2001 《包装性能测试》ISTA 包装测试要求ISTA 1A-2001ISTA包装产品的性能测试2007-010-15 译制(Translated) 2007-11-05 印发(Issued)ISTA 1A-2001 《包装性能测试》前言本文件为《ISTA 包装产品的性能测试》标准 200-1 年版。
《ISTA 包装产品的性能测试》2001 年版为 PRIDE公司提供我司作为老年代步轮椅的测试文件之一。
为此,我们组织翻译了该文件,以供相关部门的人员使用。
本文件的翻译过程中,我们忠实原著,以直译为主,为了更确切地表达原文意思采用了少量的意译,并注意尽可能使语言和技术术语规范明了。
在技术术语上兼用了少量我公司习惯技术用语,不妥之处,敬请指正。
重量≤150lbs(68kg)ISTA 1A-2001 《包装性能测试》ISTA 包装产品的性能测试ISTA,即包装运输协会,是世界范围内包装产品性能测试的先导。
ISTA 1 Series 是包装性能测试中最基础的部分。
它们对包装的容量和产品承受运输危险的能力提出了挑战,但它们并非模拟实际运输中的危险,并且没有必要遵守运输包装规章。
采用ISTA测试程序时,会从中切实受益:·缩短包装开发时间,使产品投放市场更加自信。
·保护产品,减少产品损坏和损失,从而获得收益。
·优化成本分配。
·顾客满意,带来持续商业机会。
本文包括三章:概论、测试和报告。
·概论提供了产品进入测试实验室之前需要了解的一般知识。
·测试描述了实验室测试的具体规则。
·报告指出了提交给ISTA 的测试报告中应记录的资料。
ISTA 程序给出了重量和测量的两种度量模式,他们是英制(in 一Lb)和SI 公制(米制)。
in 一Lb放在前面,米制单位在括号中,另外,有些表格中,它们是分开用的。
·任一种度量模式单位(标准单位)都可以使用,但·在整个测试过程中应用同一选定的标准单位·同一度量可在二个数字之间转换(譬如用2in 和50.8mm 表示同一长度)。
ISTA-1A 模拟汽车运输测试标准发布时间:2010-2-1 点击次数:521步骤操作1 把包装品的面放置在振动台上.2 启动振动机,使其在机器最低频率下振动, 全振幅位移为一英吋(25 毫克).3 保持一英吋(25 毫克)固定位移,缓慢增加振动台的频率(速度)直到包装品开始离开振动台表面.4 保持机器在步骤3中所得到的频率下振动.5 金属薄片是不是可以间歇地在包装品最长的一面的底部和振动台面之间移动?. 若是,保持此频率,继续进行下一步骤.. 若不是,逐渐增加频率直到达到步骤5的要求,然后保持那一新的频率.6 用以上振动试验开始之前部分的公式和在步骤5 里所得到的CPM 或Hz 确定试验时间.7 开始计时振动试验时间.8 是否使用振动系统的垂直直线运动?. 若是, 请看步骤12.. 若不是, 进行下一个步骤.9 振动完成一半后停止振动试验, 然后完成下表列出的适当步骤:如果单一的90o 水平旋转是: 那么进行如下的水平旋转:可能的试验样品放在台面上, 90o不可能, 由于包装品的尺寸或稳定性试验样品放在台面上, 180o10 启动振动系统, 使用步骤7 中所定的频率继续振动试验.11 金属薄片是不是可以间歇地在包装品最长的一面的底部和振动台面之间移动?. 若是, 进行下一步骤.. 若不是, 逐渐增加频率直到达到步骤11 的要求.12 完成振动时间.13 如果允许,并且在任何情况下检验不会改变包装现有的状况或产品的位置或状况,检验包装品任何可见的破损.14 振动试验到此结束.特此注明:金属薄片尺寸:0.06 英吋(1.5 毫米)厚, 大约2 英吋(50 毫米)宽,ISTA国际运输安全测试国际安全运输协会(ISTA)是一个由专业人员和机构组成的协会,是国际包装运输的权威组织。
ISTA致力于对防护性运输包装的开发、设计和成本-效益评估。
当你的包装设计通过ISTA测试后,你可以肯定这个包装能在连续的运输环境下,使产品得到有效的保护,并将不会受到可预见的因素危害。
ista 1a振动测试的标准及判定准则ista 1a振动测试的标准及判定准则一、引言ista 1a振动测试是包装行业中非常重要的一环,它能够帮助产品在运输过程中避免受到损坏。
该测试标准是经过多年的实践和研究得出的,旨在为产品包装提供一个合理的振动环境,从而评估其在运输过程中的稳定性和完整性。
在本文中,我们将详细讨论ista 1a振动测试的标准及判定准则。
二、ista 1a振动测试的标准1. 试验设备在ista 1a振动测试中,使用的试验设备必须符合国际相关标准,保证其测试结果的准确性和可靠性。
试验设备包括振动台、加速度计、数据采集系统等。
2. 振动方向ista 1a振动测试要求在不同的振动方向上进行测试,以模拟不同运输环境下的振动情况。
振动方向包括垂直方向、水平方向和倾斜方向等。
3. 振动频率和振幅测试标准规定了振动测试的频率和振幅范围,以确保能够模拟实际运输过程中的振动情况。
这些参数的选择要根据具体产品的特性和运输条件来确定。
4. 振动持续时间ista 1a振动测试要求在规定的振动频率和振幅下进行一定时间的持续振动,以评估产品包装在长时间运输过程中的稳定性。
5. 振动谱测试标准要求对振动进行频谱分析,以了解产品在不同频率下的振动情况。
这有助于评估产品的包装是否能够有效地减少振动对产品的影响。
三、ista 1a振动测试的判定准则1. 包装完整性ista 1a振动测试的一个重要判定准则是评估产品包装在振动条件下是否能够保持完整。
如果包装在振动测试后没有破损或变形,就符合测试标准的要求。
2. 产品损坏情况另一个判定准则是评估产品在振动条件下是否受到损坏。
如果产品在振动测试后没有出现损坏,就说明产品的包装设计能够有效地保护产品不受振动影响。
3. 数据分析ista 1a振动测试要求对振动测试的数据进行分析,并根据测试结果对产品的包装设计进行调整和改进。
这有助于提高产品包装的稳定性和完整性。
四、个人观点和理解从上述对ista 1a振动测试的标准及判定准则的讨论中,我们可以看出,这一测试标准对产品包装的稳定性和完整性提出了严格要求。
ISTA_1A(1A包装跌落测试标准)1A包装跌落测试标准一、测试程序1. 重量超过68.2kg做1B测试2. 重量低于68.2kg做1A测试二、测试程序1. 按装运方式放置产品,如可任意装箱则将原定的放置面放于最上面。
2. 产品是否是6面(2侧面、前后、上下),是,跳到4,否,下一步。
3. 将每个面、边、角均标出。
4. 是否瓦楞纸纸箱,是,下一步,否,第7步。
5. 包装箱是否有钉接或其它方式将边面和正(反)面连接。
6. 将有钉接或其它方式连接的边置于你正视面的右边,跳到8。
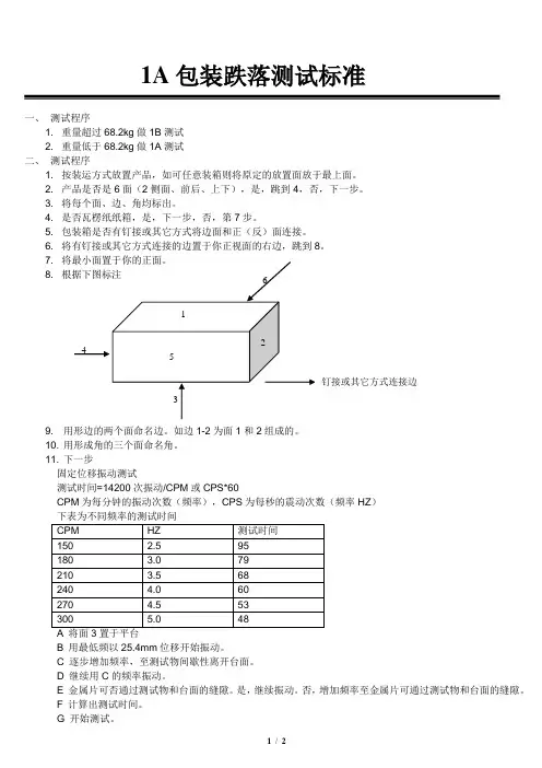
7. 将最小面置于你的正面。
8. 根据下图标注 612 4 5钉接或其它方式连接边39. 用形边的两个面命名边。
如边1-2为面1和2组成的。
10. 用形成角的三个面命名角。
11. 下一步固定位移振动测试测试时间=14200次振动/CPM或CPS*60 CPM为每分钟的振动次数(频率),CPS 为每秒的震动次数(频率HZ)下表为不同频率的测试时间CPM HZ 测试时间 150 2.5 95180 3.0 79210 3.5 68240 4.0 60270 4.5 53300 5.0 48A 将面3置于平台B 用最低频以25.4mm位移开始振动。
C 逐步增加频率,至测试物间歇性离开台面。
D 继续用C的频率振动。
E 金属片可否通过测试物和台面的缝隙。
是,继续振动。
否,增加频率至金属片可通过测试物和台面的缝隙。
F 计算出测试时间。
G 开始测试。
1 / 2H 使用振动系统的垂直线运动。
是,到K,否,到下一步。
I 振动测试到一半时,选用下面合适运动:a. 如果90度水平旋转可行则90度水平旋转。
b. 如果90度水平旋转不可行(因尺寸或包装的稳定性)则180度水平旋转。
J 继续振动测试。
K 金属片可否通过测试物和台面的缝隙。
是,下一步,否,降低频率至金属片可通过测试物和台面的缝隙。
L 完成测试。
三、落地测试步骤1 根据下表决定落地测试高度,或不可进行落地测试是等同的冲击测试。
ISTA-1A中⽂测试标准包装件在150磅(68KG)以下ISTA 是运输包装联盟,是包装⾏业的先驱。
ISTA 1系列是包装测试中最基本的测试。
⽤於考察包装的保护能⼒以及产品承受运输⼯具的能⼒,但不是严格模拟实际运输环境也没有必要。
按照ISTA标准进⾏包装的好处有:1 减少包装开发时间,是产品运输更有保障;2 保护产品,同时减少破损和产品损失,保持利润3 有效的平衡运输成本;4 使客户满意整个过程有三部分:概述、测试和报告。
概述就是在进⼊实验室测试之前提供总体的资料,测试即早实验室测试的具体程式说明,报告则是记录必要的资料并提交给ISTAISTA测试程式中的重量和⾼度有两种计量单位。
英制(英⼨/磅)和国际单位制(⽶制)。
英制单位⼀般先⽤⽽国际单位制则标在後⾯的括弧内。
两种单位系统都⽤做测量单位,但必须在此试验中前後保持⼀致,并使⽤2位元有效数字,两种单位可以互相转换,但不完全等价。
1A测试程式概述1A是对个体包装的完整测试#它可以⽤来衡量包装产品#可以⽤来⽐较包装设计和产品设计的好坏#包装和产品是同时考虑的⽽不是单独的设计#有些运输环境没有考虑,⽐如湿度、压⼒和不正当的搬运等对於不同的运输条件或满⾜不同的试验⽬的,选⽤其他ISTA试验标准可能更合理。
具体的建议:#使⽤随机振动⽅式代替固定频率振动,⽤ISTA测试程式的1G#需要测试包装件的最⼩耐压值是⽤ISTA测试程式1C#需要⼩件运输的包装件可以使⽤ISTA类⽐测试程式3C#使⽤ISTA测试程式可以参考附录中的指导⽅针#1A⽤於测试重量⼩於150磅(68KG)的个体包装另外:当单个包装件放在滑车或托盘上时,且超过100镑(45KG)个体包装产品应按照1B测试。
发货⼈在测试之前应该知道以下⼏点:产品的破坏⽅式和破坏程度,产品破损的允许限度是什麽,以及在测试结论中确定测试後产品破坏程度的⽅法和可以接受的产品破坏程度。
试样必须是未是使⽤的产品和包装,如果试样和合格,替代品必须与原来的试样是⼀样的样品的数量:最少⼀个建议重复试验:为了保证正确确定包装产品典型的性能,ISTA#要求执⾏此试验标准⼀次,但#建议执⾏此试验标准五次或更多次,每次使⽤新的样品。
ISTA 1A-2001《包装性能测试》ISTA包装测试要求ISTA 1A-2001ISTA包装产品的性能测试2007-010-15 译制(Trans l ated)2007-11-05 印发(I ssued)本文件为《ISTA包装产品的性能测试》标准200-1年版。
《ISTA包装产品的性能测试》2001年版为PRIDE公司提供我司作为老年代步轮椅的测试文件之一。
为此,我们组织翻译了该文件,以供相关部门的人员使用。
本文件的翻译过程中,我们忠实原著,以直译为主,为了更确切地表达原文意思采用了少量的意译,并注意尽可能使语言和技术术语规范明了。
在技术术语上兼用了少量我公司习惯技术用语,不妥之处,敬请指正。
ISTA 包装产品的性能测试重量 <l50lbs (68kg)ISTA,即包装运输协会,是世界范围内包装产品性能测试的先导。
ISTA 1 Series是包装性能测试中最基础的部分。
它们对包装的容量和产品承受运输危险的能力提出了挑战,但它们并非模拟实际运输中的危险,并且没有必要遵守运输包装规章。
采用ISTA测试程序时,会从中切实受益:缩短包装开发时间,使产品投放市场更加自信。
保护产品,减少产品损坏和损失,从而获得收益。
优化成本分配。
顾客满意,带来持续商业机会。
本文包括三章:概论、测试和报告。
概论提供了产品进入测试实验室之前需要了解的一般知识。
测试描述了实验室测试的具体规则。
报告指出了提交给ISTA的测试报告中应记录的资料。
ISTA程序给出了重量和测量的两种度量模式,他们是英制(in —Lb)和SI公制(米制)in 一Lb放在前面,米制单位在括号中,另外,有些表格中,它们是分开用的。
任一种度量模式单位(标准单位)都可以使用,但在整个测试过程中应用同一选定的标准单位同一度量可在二个数字之间转换(譬如用2in和50.8mm表示同一长度)。
但它们并不是精确的等同值。
警告:测试前应阅读并理解全文。
ISTA —1A 版本日期:2001ISTA 1A-2001《包装性能测试》----------------------- 概——论 -------------------测试程序1A是单个包装产品的完整性测试。
1A 程序概述试验标准1A 适用于试验不超过150lb(68kg)的单一包装产品的运输试验。
例外 对于重量超过100磅(45公斤)堆放在一可见滑板或托盘上的单一包装的产品,应根据试验标准1E 进行试验。
运输者在试验前需确定下列几点: • 产品损坏包括哪些方面? • 如果可以,产品破损的允许限度是什么? • 试验结束后决定产品状况的正确方法,以及, • 试验下结论时判断可接受的产品包装状况; 对于有关此确定过程的其它资料请参阅选择及使用ISTA 试验标准及试行方案指南。
样品应该是未经过试验的实际包装和产品,但若没有实际包装或产品,代用件尽可能和实际包装或产品一样。
所需样品的数量: • 此试验标准中需要一个样品。
建议重复试验: 为了保证包装产品的试验结果具有代表性,ISTA 协会 : • 要求执行此试验标准一次,但 • 建议执行此试验标准五次或更多次,每次使用新的样品。
注意: 已经承受严峻运输条件的包装品不可能被用来代表包装品的标准状况,为了确保在理想状况下的试验,运输到已认证的实验室去试验的产品和包装必须是: • 包装产品在运往实验室的过程中要额外加外包装,或者, • 包装产品在到达试验室后更换包装。
每一试验样品必须按照下表中列出的次序来进行试验。
1A 所需试验设备 固定位移振动试验: • 能产生1英寸(25mm )固定制位移,或产生符合ASTM (美国材料试验协会)D999-01试验标准仪器章节方法A1或A2要求的可控位移的振动试验系统。
振动台产生的旋转运动或垂直线性运动都符合要求。
· 0.06英寸(1.5mm )厚,大约2英寸(50mm )宽,适当长度的金属薄片。
· 测量振动频率-每秒循环次数(HZ )或每分周数(CPM )的测速仪器或适当的指示仪。
· 自动计时器或秒表。
下列任一设备都可用于冲击试验所需的设备:1A 程序开始之前 开始试验之前,应按下表程序标识样品的面,棱和角。
ISTA 1A 测试标准中的步骤及内容
(一通检测实验室)
1A测试步骤
固定放置振动测试
1、将包装件3面朝下放在振动台上
2、开启振动系统,使仪器以最低频率振动且振幅为1英寸
3、保持此振幅,同时逐渐增大振动频率,直到包装件可以离开振动台
4、保持此振动频率
5、如果使用一刚尺能在包装件的最长边自由移动,则保持此频率进入下一步骤,否则增大振动频率直到达到此步骤的要求
6、利用步骤5的振动频率和前面的持续时间计算公式确定持续时间
7、开始振动计时
8、如果震动方式在垂直方向上是直线的,进入步骤12,否则进入下一步
9、当完成一半振动时,需要将包装件在水平方向上作90度的旋转,则由于包装件的尺寸和形状的原因而无法进行;否则可以将包装件旋转180度。
10、开启振动台并将频率调至第7步的频率
11、同第5步
12、完成振动持续时间
13、检查包装件是否有明显损伤
14、振动测试完成,进入冲击测试
跌落测试
1、确定测试的方式,确定跌落的高度和冲击的速度
2、包装件是否有6个面并标示好面、棱、角,标好进入下一步,否则进行第6步
3、按第4步的步骤和第一步的测试方式进行测试
4、
5、试完成,完成测试报告
6、选择一个底面的角代替步骤4中第一步测试的
7、按步骤4中的2—4步标示包装件的边
8、按步骤4中的5—10步标示包装件的面
9、按标示的面、角、边进行测试
10、测试完成
测试报告
如果包装件通过了测试,这将降低损失,使破损降低至允许范围以内
ISTA认证实验室:
#需提交一份包含ISTA的试验程序和试验项目的报告
#需提交一份包含所有试验程序和项目,同时包含运输包装测试
额外信息:所有测试程序和测试项目应参考ISTA的指导方案
ISTA运输测试:
ISTA运输测试认证标志:
注册标志,只能按照协议使用而且只能由国际安全运输协会的会员使用
当国际安全运输协会的会员在一个运输包装件上印上带有会员号码的认证标志时,这就以为着该包装件通过了ISTA的运输包装测试。
为了保证印上TRANSIT TESED的包装件认证资格,当包装件的包装、产品和过程改动时应对包装件重新测试:
产品的改变包括:设计、尺寸和材料
包装的改变包括:结构、尺寸、重量、材料和成分
过程的改变包括:制造、集合和填充
在质量控制过程中,包装件应该经常被重新测试,比如每年的测试。