Dorosin多乐信智能除湿机使用清洁维护操作规程
- 格式:docx
- 大小:558.50 KB
- 文档页数:4
清洁设备操作与日常保养作业规程一、设备操作规程1.操作前的准备1.1确认所需清洁设备的状态和功能是否正常,如果发现故障或损坏应及时报修或更换;1.2检查设备周围是否有阻碍使用的障碍物,如有需要及时清除;1.3确保所需的清洁剂、消毒剂、工具和防护用品等齐全;1.4熟悉设备的使用说明书和操作步骤。
2.操作步骤2.1穿戴好相应的防护用品,如手套、口罩、护目镜等;2.2启动设备前应确保周围区域没有人员,以免发生意外;2.3根据设备的操作指南,正确启动设备;2.4在操作过程中应注意观察设备运转情况,如发现异常应立即停止操作并报修;2.5操作完毕后,及时关闭设备并清理残留物和污渍;2.6清洁设备在使用过程中应按规定时长进行休息,以免设备过热或磨损。
1.定期清洁1.1每天对设备进行外部清洁,包括设备表面、控制面板、操作按钮等,使用干净的布料擦拭;1.2定期检查设备内部、排水管道等是否有异物积存或堵塞,如有需要及时清理;1.3清洗设备时应使用适当的清洁剂,避免对设备造成腐蚀或损坏。
2.润滑保养2.1根据设备说明书,定期对设备的轴承、链条等运动部位进行润滑;2.2使用适当的润滑剂,并按照说明书的要求进行润滑;2.3润滑剂使用过程中应注意避免过量,防止润滑剂溢出对设备造成污染。
3.定期检查3.1每月对设备的关键部位进行检查,包括电源线、控制线路、传动部件等,如发现松动、磨损、断裂等情况应及时修复或更换;3.2检查设备的运转情况,如发现异响、卡顿等问题应及时处理;3.3检查设备的安全装置是否正常,如发现异常应及时修复或更换。
4.记录与汇报4.1对设备的维护保养情况进行记录,包括清洁日期、维护项目、维护人员等;4.2定期向上级汇报设备维护保养情况,并及时反馈设备使用中的问题与建议;4.3对设备的维护保养进行评估,对维护保养工作效果进行总结并提出改进意见。
三、注意事项1.操作设备应严格按照操作规程进行,切勿随意调整操作步骤;2.操作人员应定期接受设备操作培训和安全知识培训,提高操作技能和安全意识;3.使用清洁剂和消毒剂时应注意遵守相关安全操作规定,如戴手套、避免接触皮肤和眼睛等;4.禁止未经许可的人员操作清洁设备,如需操作应经过专业培训;5.操作过程中如发现异常情况应立即停止操作并报告上级领导。
除湿器安全操作保养规定在潮湿的环境下,除湿器被广泛使用以帮助减少湿气。
然而,除湿器也可能带来风险和危害。
在使用除湿器时,必须遵守一些安全操作和维护规定。
安全操作1. 使用合适的插座使用除湿器时,确保它插在一个足够的功率的插座上。
此外,插座应该在安全的位置,远离任何易燃物品和水源。
如果插座太过拥挤或不稳定,可以使用插头转换器或插座适配器,但请确保它们有安全的使用标准。
2. 避免电器线乱扭将除湿器的电源线完全展开,并避免折断或扭曲。
电器线可以利用夹子和胶带固定在除湿器附近的墙壁或其他家具上,以防止绊倒或拖拽。
3. 定期清洁除湿器定期清洁除湿器将有助于保持它的效率和延长使用寿命。
在清洁之前,请断开电源线,并将湿度控制器设为停机状态。
用软布轻轻擦拭除湿器外壳和过滤器以去掉灰尘和污垢。
注意:在清洁过程中,不要把电子元件弄湿。
4. 情况危机如果您发现除湿器在工作时发出奇怪的噪声或有异味,请立即关闭电源线,然后检查除湿器是否损坏或需要更换零部件。
任何不正常的信号都应该被及时处理,以免产生危险。
5. 安装适当的安全设施对于家中有小孩或宠物的人来说,安装防护措施是必要的。
这包括安装压力门,锁住任何門和引导用电器线的管道。
保养规定1. 更换过滤器过滤器是除湿器中最重要的部分之一。
它可以捕获空气中的灰尘和污垢,从而防止污染。
然而,如果过滤器变得太脏或破损,它就无法正常工作,并可能对健康产生负面影响。
所以,经常更换过滤器非常重要。
2. 定期清理水箱除湿器的水箱是存储去除空气中湿气的地方。
当水箱满了,必须将其清空才能继续使用除湿器。
在清理水箱之前,一定要关闭除湿器,以避免水滴进入除湿器并破坏其内部零件。
3. 更换转子转子是除湿器的元件之一,旨在去除空气中的湿气。
如果转子出现故障或无效,就需要更换。
但是,注意不要自行更换。
最好请专业技术人员进行操作,以避免出现损害的情况。
4. 经常检查线松动在除湿器使用期间,连线可能被手动或无意识移动。
除湿机安全操作规程除湿机是一种常见的家电设备,它可以帮助人们解决潮湿、霉菌等问题,在一定程度上改善室内空气质量。
但是,在使用除湿机的过程中,如果不注意安全操作规程,就有可能会造成安全事故。
本文将针对除湿机的安全操作规程进行详细介绍,以帮助读者更好地使用这一家电设备。
一、放置位置1. 除湿机应该放置在干燥、通风的地方,避免在潮湿的地方使用。
2. 除湿机的插头应该插紧,不要使用老化、破损的插座。
3. 在使用除湿机时,应该保证周围没有易燃物品和易受损物品。
二、操作规程1. 在操作过程中,不要让儿童接触除湿机。
2. 在开机时,应该打开水箱,以避免水满的情况。
3. 当水箱满了时,应该及时关掉除湿机,并将水箱倒出。
4. 在清洁除湿机时,应该先断开电源,并等待除湿机冷却后再进行清洁。
5. 除湿机维修应由专业人员进行。
6. 禁止将除湿机和其他电器放在同一个插座上,不要将电视机、电冰箱等电器放在除湿机附近。
三、使用注意事项1. 在高温、潮湿的天气里,应该适当降低除湿机的使用频率,以保证机器不会过热。
2. 在操作过程中,不要将除湿机放在楼梯口或是其他比较容易发生交通事故的地方。
3. 在使用过程中,不要将除湿机放在太阳直射的地方,以免引起机器过热。
4. 不要将除湿机置于靠近窗户、门或墙壁的地方,以保证其正常的工作效果。
5. 在操作过程中,应该经常检查水箱,以防止水溢出。
综上所述,除湿机的安全操作规程非常重要,它可以保护人们的生命安全和财产安全。
为了保证除湿机的正常运行,我们应该遵守上述安全操作规程,并在使用过程中保持清洁、干燥。
这样才能充分发挥除湿机的优势,保护我们的生活环境。
除湿加湿净化一体机安全操作及保养规程除湿加湿净化一体机是一款用于改善室内空气质量的家电产品,其具有除湿、加湿、空气净化三种功能。
使用除湿加湿净化一体机可以有效地吸附、过滤、分解空气中的有害物质,净化室内空气,保护人体健康。
但是,如何正确使用除湿加湿净化一体机,以及如何对其进行保养,是不少用户都关心的问题。
本文将对除湿加湿净化一体机的安全操作和保养规程进行介绍,以便用户合理使用和保养该产品。
安全操作规程1. 检查电源在使用除湿加湿净化一体机之前,首先要检查电源是否正常。
如果发现电源故障,应及时进行维修或更换,以避免电源安全问题。
2. 使用场所选择适合的使用场所很重要,既能保证机器的正常工作,又能确保用户的安全。
除湿加湿净化一体机应该放置在通风、干燥的环境中,防止误触电源等情况发生。
严禁在潮湿、高温、高压、易燃和易爆区域使用除湿加湿净化一体机。
3. 正确连接安装除湿加湿净化一体机时,必须确保正确连接电源和排水管。
对于电源接线,要根据说明书上的电源参数进行接线,确保电源稳定。
排水管连接应符合国家相关标准,防止水管漏水。
4. 填充水在使用加湿功能时,要先将水箱填充至规定水位线。
如果水箱水位不足,除湿加湿净化一体机将不能正常运行。
同时,要注意加湿水箱的清洁并定期更换水。
如果不及时清洗,水箱容易滋生细菌和微生物,影响使用效果和健康。
5. 外观清洁除湿加湿净化一体机外观应该定期清洁,避免灰尘和细菌滋生。
用轻柔的湿布清洁外观,避免使用任何化学溶剂或研磨剂。
同时,禁止把外露元件、电线等部位用水冲洗,以免进水引起故障。
6. 定期维护除湿加湿净化一体机是一种高技术产品,必须进行定期维护,以确保其正常工作。
建议用户每半年对机器内部进行清洁和维护,并定期更换除湿和过滤器。
如果异味和异响出现,应及时进行检修,避免损坏机器。
保养规程1. 换取新滤网在使用除湿加湿净化一体机一段时间后,滤网会因为过滤空气而变脏,影响空气净化效果。
配电柜智能除湿器安全操作及保养规程配电柜是现代企业工厂中必不可少的设备之一,它能够对电气设备进行保护、监控以及控制等重要功能,而智能除湿器则能够降低配电柜受潮的概率,从而保护配电柜的安全稳定运行。
为了确保配电柜智能除湿器的安全运行,以下是该产品的安全操作及保养规程。
安全操作规程1. 环境要求智能除湿器适用于环境温度在5°C-38°C之间,相对湿度不超过90%且不结冰的场所。
使用环境的温度、湿度、空气流通等要求会直接影响智能除湿器的使用效果和功能,必须满足要求才能保证产品的稳定性和效果。
2. 电源要求智能除湿器使用220V交流电源,50Hz/60Hz,也可以使用24V直流电源,使用前必须检查接线是否牢固,电压是否符合产品规格,防止因接线不严密或电压异常等因素导致损坏或事故发生。
3. 操作及注意事项•操作之前必须关闭电源,如需更换或清洗过滤网,也需要先切断电源再进行操作。
•使用产品时必须将其放置平稳,以免倾斜影响使用效果和性能。
•产品使用期过程中,必须随时检查水箱是否有水,如有水应及时倒出,以免水箱溢出。
•在产品使用期过程中,如果需要长时间停用,请将水箱内的水倾倒干净,然后关闭排水管阀门。
•如果出现意外事故,如水箱漏水或出现火警,应立即切断电源和其它供电设施,及时联系生产厂家维修或更换。
4. 维护和保养•智能除湿器每月应当检查一次,以保证设备的性能和操作的正常。
•检查过滤网是否过滤效果明显破损或污垢重,如确认需要更换,应及时更换。
•如果发现产品出现损坏情况,不要自行维修,应立即联系生产厂家或专业人员进行检查、维修或更换。
保养规程1. 清洗过滤网智能除湿器内置一种特殊的过滤网,它能够过滤空气中的杂质和灰尘。
经过一段时间的使用后,过滤网中的积尘已经形成一层薄膜,影响效果并容易造成故障。
为了保证智能除湿器的良好运行,清洗过滤网是必不可少的操作步骤。
步骤:1.先切断电源,再通过产品底部按钮打开智能除湿器。
除湿机安全操作规程除湿机是一种能够降低室内湿度的家电产品,但在使用过程中需要注意一些安全操作规程,以确保使用安全。
下面是除湿机的安全操作规程:1. 使用前仔细阅读使用手册:在使用除湿机之前,应仔细阅读并理解使用手册中的使用方法和安全注意事项。
确保以正确方式使用除湿机。
2. 选择适合的位置:将除湿机放置在水平稳固的地面上,以防止滑倒或翻倒。
同时,应避免将除湿机放置在易燃物品附近或潮湿的环境中。
3. 注意电源安全:使用除湿机时,应将其插头插入电源插座中,并确保插座和电源线没有损坏。
若发现电源线损坏,应立即停止使用并更换新电源线。
4. 切勿触摸湿度传感器:除湿机内部有湿度传感器,切勿触摸或拆卸它。
此举可能会影响除湿机的性能和正常工作。
5. 定期清洁除湿机:定期清洁除湿机是保持其正常工作和安全的关键。
在使用过程中,灰尘和污垢会积聚在除湿机内部,影响其效率和安全性。
应定期清洁除湿机,注意不使用含有腐蚀性或燃烧性物质的清洁剂。
6. 注意水箱安全:除湿机通常需要定期清空水箱。
在清空水箱之前,应先关闭除湿机并拔掉电源插头,以防止电击事故。
同时,应将水箱小心取出,避免将水洒出或倒出的过程中被烫伤。
7. 避免长时间使用:虽然除湿机有自动停机保护功能,但长时间使用除湿机可能会导致机器过热,增加火灾风险。
因此,在不需要使用时,应将除湿机关闭,并拔掉电源插头。
8. 注意儿童安全:将除湿机放置在儿童接触不到的地方,以避免儿童玩耍时不小心碰到或操作除湿机。
9. 高湿度环境下使用:当在高湿度环境下使用除湿机时,应及时检查水箱并清空,以免水箱溢满。
同时,定期检查除湿机是否正常工作,确保机器处于良好的工作状态。
10. 维修保养:除湿机有一定的使用寿命,当机器出现故障或老化时,应请专业维修人员进行维修。
维修过程中,切勿私自拆卸除湿机。
总结起来,除湿机的安全操作规程主要包括选择适合的位置、注意电源安全、定期清洁除湿机、注意水箱安全、避免长时间使用、注意儿童安全、在高湿度环境下使用时及时处理水箱、定期检查除湿机工作状态、维修保养等。
文件名称Dorosin多乐信智能除湿机使用、清洁、维护操作规程文件编号批准人编制人审核人批准日期编制日期审核日期文件版本颁发部门分发部门生效日期1.目的:规范Dorosin多乐信智能除湿机的使用、清洁、维护的操作,确保除湿机的正常使用。
2.适用范围:适用于Dorosin多乐信智能除湿机使用操作。
3.职责3.1.操作人:负责按照本文件进行除湿机的使用、清洁。
3.2.复核人:负责按照文件对操作人的操作进行复核,确保操作的正确性。
4.术语:无。
5.清洁5.1.清洁用具::毛巾。
5.2.物料:水。
5.3.清洁周期:每月6.外形结构:操作面板图:按键功能说明A.“开/关”键按该键开机,蜂鸣2声,进入开机模式,显示“运行”。
按该键关机,蜂鸣1声,进入关机模式,不显示“运行”。
B.设置键(定时时钟键)按一次,进入当前时间设定,“时钟”闪,加键调节小时,减键调节分钟。
按二次,进入定时开机设定,“定时开机”闪,加键调节小时,减键调节分钟,5秒后自动保存返回按三次,进入定时关机设定,“定时关机”闪,加键调节小时,减键调节分钟,5秒后自动保存返回。
连续按到第四次,取消定时开关机设定,“定时开/关机”文字不显示。
此外只有在开关机后才能设置定时开/关机时间C.“+”键直接按此键可对设置湿度进行操作,每按一次蜂鸣器响一声,设定湿度增1%RH,连续按住可对设定湿度进行连续操作“—”键直接按此键可对设置湿度进行操作,每按一次蜂鸣器响一声,设定湿度减1%RH,连续按住可对设定湿度进行连续操作D.湿度控制操作范围:10%-99%7.操作程序7.1.概述7.1.1.型号:DRLK-1382L7.1.2.设备参数理论除湿量138L/D 使用温度范围5℃-38℃循环风量1300m3/h 制冷剂/填充量R22/800g输入电压220v-240v50Hz额定电流 6.0A7.2.运行操作7.2.1.开机操作7.2.1.1.打开电源,除湿机发出“嘀”的一声;液晶背光灯亮,显示环境湿度值。
除湿机安全操作规程
《除湿机安全操作规程》
除湿机在家庭和办公环境中被广泛使用,它可以有效地帮助人们解决潮湿环境带来的问题。
然而,除湿机在使用过程中也存在一些安全隐患,如果不正确操作,可能会导致意外发生。
因此,为了确保除湿机的安全使用,我们需要遵守一些操作规程。
首先,使用除湿机之前需要仔细阅读并理解产品说明书。
产品说明书中包含了除湿机的基本功能、操作步骤、维护方法等重要信息,只有了解这些内容才能正确操作除湿机。
此外,需要注意除湿机的使用环境和条件是否符合产品规定,比如电压、湿度等。
其次,除湿机在工作时会产生一定的热量和湿气,因此在使用过程中需要确保周围有足够的通风。
特别是在关闭门窗的情况下,需要定期开启门窗通风,以减少由于湿气和热量堆积而引发的安全问题。
另外,除湿机在使用过程中要保持清洁。
定期清理除湿机的滤网和水箱,防止灰尘和细菌积聚,影响除湿机的效果和安全性。
而且,在清理除湿机时,一定要先断开电源,避免发生触电等意外。
最后,在使用除湿机时要注意避免将水箱打翻或者触碰到水箱开关,以免发生水溅出或漏电等危险。
一些除湿机在运行过程中可能会有水箱满的指示灯和自动停止功能,一旦发生这种情
况,及时清理水箱是非常重要的。
总之,正确使用除湿机是确保家庭和办公环境安全的重要一环。
只有遵守安全操作规程,在合适的环境下正确使用除湿机,才能充分发挥其作用,同时避免潜在的安全隐患。
清洁设备操作日常保养作业规程为确保清洁设备的正常运转,保证生产环境的卫生安全,特制定以下操作日常保养作业规程:一、操作规程1. 严格按照设备操作指南进行操作,确保正确操作设备;2. 使用前检查设备各部位是否完好,检查清洁设备内是否有异物,避免对设备造成损坏;3. 使用时必须戴口罩、手套等防护用品;4. 操作时应注意安全,避免误伤自己或他人;5. 在清洁设备内部进行作业时,必须关闭电源,并进行安全措施,防止误触发生危险;6. 不得私自更改设备程序,避免设备出现异常;7. 使用完毕后按照设备操作指南进行操作及清理。
二、日常保养规程1. 按照设备操作指南打开设备,清理设备内部的杂物和残留物;2. 使用专用清洁剂进行设备清洗、消毒;3. 定期对设备进行维护,并对设备内部进行清理;4. 设备故障时,应立即检查设备,进行修理或更换零部件;5. 对设备的电器元件进行定期检查,并确保电源接线正常;6. 关闭设备电源时,切忌使用手、脚等非专业工具操作设备按钮,以免损坏设备。
三、设备保养流程设备日常保养流程如下:1. 清空设备内的物品;2. 使用清洁剂进行外部表面清洗;3. 拆卸设备内部元件,进行清洗并更换损坏部件;4. 检查设备外部和内部的电线及连线是否松散或老化;5. 涂上适当的润滑油和油脂;6. 经过内部和外部的清洁和润滑之后,将元件按照正确位置组装起来。
四、设备保养周期1. 对于频繁使用的设备,每天应检查并清洁一次;2. 对于一些长时间没有使用的设备,应该进行全面清洗,并进行必要的维护;3. 对于设备的关键部位,每个月应进行一次全面清理和检查;4. 对于电器元件,每个季度应进行一次全面检查和保养;5. 对于呆滞使用的设备,一年之内应至少启动一次,进行检查并加油润滑。
通过严格执行操作日常保养作业规程,可以让清洁设备一直处于良好工作状态,有效的提高设备的可靠性和稳定性,最终保证生产环境的卫生和安全。
温馨小提示:本文主要介绍的是关于除湿机操作规程的文章,文章是由本店铺通过查阅资料,经过精心整理撰写而成。
文章的内容不一定符合大家的期望需求,还请各位根据自己的需求进行下载。
本文档下载后可以根据自己的实际情况进行任意改写,从而已达到各位的需求。
愿本篇除湿机操作规程能真实确切的帮助各位。
本店铺将会继续努力、改进、创新,给大家提供更加优质符合大家需求的文档。
感谢支持!(Thank you for downloading and checking it out!)阅读本篇文章之前,本店铺提供大纲预览服务,我们可以先预览文章的大纲部分,快速了解本篇的主体内容,然后根据您的需求进行文档的查看与下载。
除湿机操作规程(大纲)一、除湿机概述1.1除湿机定义及分类1.2除湿机工作原理1.3除湿机的适用场景二、操作前准备2.1熟悉设备结构及功能2.2检查设备外观及配件2.3确认电源及环境条件三、操作步骤3.1开机操作3.1.1连接电源3.1.2启动设备3.1.3设置除湿模式3.2运行监控3.2.2监测湿度变化3.2.3检查排水情况3.3停机操作3.3.1关闭设备3.3.2断开电源3.3.3做好设备清洁工作四、维护与保养4.1定期清洁设备4.1.1清洗空气滤网4.1.2清洁水箱及排水部件4.1.3清洁设备外观4.2检查设备性能4.2.1检查压缩机工作状态4.2.2检查制冷剂及干燥剂4.2.3检查电气线路及控件4.3故障排除4.3.1常见故障及原因4.3.2故障排除方法4.3.3联系售后服务五、安全注意事项5.1操作安全5.1.1遵守操作规程5.1.3注意设备散热5.2电气安全5.2.1使用合格电源5.2.2遵守电气安装规范5.2.3定期检查电气线路5.3环境安全5.3.1设备放置在通风良好处5.3.2避免设备受到撞击或振动5.3.3保持设备周围环境卫生六、培训与考核6.1培训内容6.1.1设备操作方法6.1.2设备维护保养知识6.1.3安全注意事项6.2培训方式6.2.1理论培训6.2.2实操演练6.2.3交流讨论6.3考核6.3.1理论考核6.3.2实操考核6.3.3考核合格标准一、除湿机概述1.1除湿机定义及分类除湿机是一种用于降低空气湿度的设备,其主要通过制冷技术来实现湿度的控制。
除湿机安全操作规程范本第一章总则第一条为保障除湿机的安全使用,防止事故的发生,根据国家相关法律法规和标准制定本规程。
第二条本规程适用于除湿机的使用、保养、维修及检测过程中的安全操作。
第三条除湿机的使用、保养、维修及检测人员必须按照本规程执行。
第四条除湿机用户要求供应单位提供使用、保养、维修及检测人员必须遵守本规程,确保其安全。
第二章除湿机的安全操作要求第五条除湿机的使用人员必须具备相关的岗位培训证书,熟练掌握除湿机的安全操作要求。
第六条除湿机的使用人员应定期参加安全操作培训,提升操作技能和安全意识。
第七条除湿机的使用人员必须按操作规程进行操作,不得违背操作规程。
第八条除湿机使用人员在操作过程中必须经常观察除湿机的运行状态,发现异常及时报修。
第九条除湿机的使用人员不得将除湿机用于除湿范围以外的工作。
第十条除湿机的使用人员在操作过程中要保证自身安全,做好防护措施,如佩戴防护手套、面罩等。
第十一条除湿机的使用人员在操作过程中要遵守现场作业规定,严禁吸烟、饮食等行为。
第十二条除湿机的使用人员在停用期间要切断电源,并扫除工作区域,保持整洁。
第十三条除湿机的使用人员在操作过程中如发现任何异常情况,应立即停止操作,并将异常情况报告至相关管理人员。
第三章除湿机的保养和维修安全要求第十四条除湿机的保养和维修工作必须由具备相应资质的维修人员进行,不得擅自拆卸和修理。
第十五条除湿机的保养和维修人员必须熟悉相关设备的结构和性能,严格按照操作规程进行操作。
第十六条除湿机的保养和维修人员在进行操作前,必须检查设备是否切断电源,并采取必要的安全措施。
第十七条除湿机的保养和维修人员在操作过程中必须穿戴好防护设备,如防护帽、防护鞋等。
第十八条除湿机的保养和维修人员在操作过程中要保证自身安全,不得超负荷操作,以免发生危险事故。
第十九条除湿机的保养和维修人员在操作过程中如发现任何异常情况,应立即停止操作,并将异常情况报告至相关管理人员。
除湿机安全操作规程除湿机是一种常见的家用电器,能够有效地降低室内的湿度,提供一个更加舒适的居住环境。
然而,如果不正确地操作除湿机,可能会导致安全问题和潜在的危险。
因此,我们需要了解一些除湿机的安全操作规程。
以下是一些除湿机的安全操作规程,以供参考:一、使用前的准备1. 确保除湿机符合国家安全标准,并从正规渠道购买。
2. 在开箱之前,仔细阅读产品说明书,了解除湿机的使用方法和注意事项。
3. 检查除湿机的电源线和插头是否有损坏,如发现损坏应立即更换。
4. 找到适合的位置放置除湿机,确保四周有足够的空间进行散热和通风。
二、插电使用1. 确保电源插座符合电器使用要求,并且接地良好。
2. 在插拔电源线时,要将手握住插头,而不是拉动电线进行拔插。
3. 不要使用多重插头或延长线连接多个电器,以防过载或造成火灾。
三、水箱操作1. 在使用除湿机之前,要确保水箱已经安装在正确的位置上,并且完好无损。
2. 当水箱满时,除湿机将自动停止工作,此时需要及时倒掉水箱中的水,并清洗干净。
3. 在清洗水箱时,应将电源插头拔出,以防止意外触电。
4. 每次清洗完水箱后,要仔细检查水箱是否安装正确,以免发生漏水情况。
四、工作环境1. 在使用除湿机时,要确保室内的门窗紧闭,以防止外界的湿气进入室内。
2. 在室外湿度较高的情况下,使用除湿机时要保持室内通风良好。
3. 不要将除湿机放置在易燃物品附近,以免发生火灾。
五、定期维护1. 定期清洗除湿机的空气过滤器,以保持其良好的工作效果。
2. 定期检查除湿机的电源线和插头是否有损坏,如有损坏应立即更换。
3. 如果除湿机长期不使用,应将水箱清空,并存放在干燥的地方,避免受潮和发霉。
六、应急处理1. 如果除湿机在使用过程中出现异常,如触电、冒烟等情况,应立即停止使用,并拔出电源插头。
2. 在无法解决问题的情况下,应及时联系售后服务,不要私自维修或改装除湿机。
七、儿童安全1. 除湿机应放置在儿童无法触及的地方,以免发生意外伤害。
除湿机使用指导书一、安全须知1. 使用之前,请先仔细阅读本使用指导书,确保正确操作和安全使用除湿机。
2. 请勿将除湿机放置在潮湿的地方,以免引起电器故障和触电危险。
3. 在使用或清洁除湿机之前,请确保其已断开电源。
4. 避免使用过程中尖锐物体接触除湿机,以免损坏设备。
5. 当除湿机遇到故障时,请勿自行修理,应寻求专业技术人员的帮助。
二、除湿机的基本使用方法1. 将除湿机放置在通风良好且平坦的地面上。
2. 将除湿机插入电源插座,并确保电源线没有拉扯或被其他物体压住。
3. 打开除湿机的开关按钮,启动设备。
4. 根据室内湿度情况,选择合适的湿度设定值。
可根据需要进行调节。
5. 除湿机工作过程中,请确保周围没有阻挡物,以确保空气循环畅通。
6. 定期检查水箱容量并及时清理。
7. 使用完毕后,请将除湿机从电源插座拔出并进行清洁。
三、除湿机的清洁与维护1. 在清洁之前,务必断开除湿机与电源的连接,以确保安全。
2. 使用柔软的布将除湿机外壳和面板擦拭干净,避免使用有腐蚀性的化学药品。
3. 定期清洁除湿机的过滤器,以确保其正常运转。
4. 若发现除湿机内部有灰尘或异物,请使用吸尘器或软毛刷进行清理。
5. 如果除湿机长时间不使用,请将设备的电源线拔出并储存于干燥的地方。
四、故障解决方法如果除湿机出现以下情况,可参考以下故障解决方法:1. 除湿机无法启动:请检查电源是否正常连接,开关是否正常,以及电源插座是否有电。
2. 除湿机工作未达预期效果:请检查湿度设定值是否合适,以及周围环境是否通风良好。
3. 除湿机发出异常声音:请检查除湿机是否受到外部物体的挤压或堵塞。
4. 除湿机有漏电现象:请立即停用除湿机,并联系专业技术人员进行检修。
五、注意事项1. 请勿将除湿机放置在易燃物体附近。
2. 请在使用前检查电源线是否正常,避免使用受损的电源线。
3. 请定期清理除湿机,并保持其干燥状态。
4. 请勿长时间使用除湿机,以免过度干燥室内空气。
除湿机使用和维护方法除湿机使用和维护方法方法11、除湿机在使用一段时间后,其进风过滤网会积聚灰尘,灰尘积聚过密而厚,会影响除湿效果。
因此需经常清洗过滤网,使前后通风顺畅。
2、采用湿度传感器的除湿机,湿度传感器一般都放置在通风面上,若使用环境不好,湿度传感器被尘埃堵塞其传感器就无法显示和控制湿度。
用户在使用一段时间后,用柔软的毛刷清除传感器上的灰尘并保持传感器的清爽。
3、除湿机长时间不用时,用拔下电源插头,对整机进行清洁,挥发油、稀释剂、清洁剂都可能对机器造成伤害,请勿使用。
水箱要把积水倒干净,避免滋生细菌。
4、除湿机长时间使用时,每周至少停机一次,做一些一般性保养,看看机器过滤网是否需要清洗,机器有没有异常声音等。
5、采用数码微电脑控制的除湿机,由于其控制原器件精密,非专业人员不要随意拆卸。
操作人员也不要频繁变换功能,这样都会降低使用寿命。
6、冷冻型除湿机都是采用压缩机制冷的原理除湿,由于压缩机是技术含量较高的部件,也是整个除湿机的心脏,因此压缩机对电网的质量有一定的要求,压缩机经常处在不稳定电压的环境中使用,会导致压缩机线圈短路等故障。
因此,电压波动较大时,应停止使用除湿机,改用稳压器辅助使用。
用微电脑控制电压保护功能的除湿机,不受上述条件限制。
7、用户在安装除湿机时应注意匹配相符合线径的电源线。
若电源线过细,机器启动时的电流过大,容易造成瞬间电压下降,导致压缩机及其它相关电器部件的短路。
8、采用复式压缩机的除湿机,在需要搬放置时,机体倾斜请勿超过45°。
绝对禁止倒置或横放,这样容易造成压缩机内部减震弹簧脱钩使压缩机使用时有很大噪声或不能正常使用。
方法21、正确调节除湿机的设定湿度:使用者调节除湿机的设定湿度时,应根据自身对潮湿的感觉、空间内的人数、空间大小等实际情况设定湿度。
通常在休息、睡觉等较少活动量的状态下,房间相对湿度在60%RH左右,人体会感觉到较为舒适。
湿度设置太低,除会使人感觉到干燥外,由于室内、外湿度差别较大,湿气扩善较快,致使压缩机频繁的开机和停机,缩短了除湿机的使用寿命,也消耗较多能源。
除湿机日常维护方案随着天气的潮湿和潮湿环境的增加,除湿机作为一种常见的家用电器,被越来越多的家庭所采用。
然而,如果没有正确的维护,除湿机的性能和使用寿命可能会受到影响。
因此,我们需要制定一个日常维护方案,以确保除湿机的正常运行和延长其使用寿命。
保持除湿机干燥是非常重要的。
在使用过程中,我们应该定期清除除湿机的水箱,并确保其内部干燥。
水箱是除湿机的关键部分,如果水箱内部潮湿,会导致细菌滋生和异味产生。
因此,我们应该每天使用除湿机后,将水箱取出,倒掉水分,然后用干净的布擦干水箱内部,确保其完全干燥。
除湿机的滤网也需要定期清洗。
滤网是除湿机中最容易积聚灰尘和杂质的部分,如果不及时清洗,会影响除湿机的除湿效果。
我们可以每周定期将滤网取出,用清水冲洗,然后晾干后再放回除湿机中。
如果滤网过于脏或损坏,应及时更换,以保证除湿机的正常工作。
定期清洁除湿机的外壳也是很重要的。
在使用过程中,除湿机的外壳容易沾上灰尘和污垢,不仅影响美观,还可能影响散热效果。
因此,我们可以每月清洁一次除湿机外壳。
首先,用湿布擦拭外壳表面,去除灰尘和污垢,然后用干净的布擦干。
在清洁过程中,应注意避免使用有腐蚀性的清洁剂,以免损坏除湿机的外壳。
除湿机的使用环境也需要注意。
除湿机通常放置在潮湿的环境中,因此容易吸附空气中的灰尘和杂质,影响除湿机的正常工作。
为了减少灰尘和杂质的吸附,我们可以将除湿机放置在通风良好、干燥的地方,并保持周围环境的清洁。
在使用过程中,应避免靠近墙壁和其他障碍物,以免影响到除湿机的正常工作。
定期检查除湿机的工作状态也是必要的。
我们可以每隔一段时间,打开除湿机,观察是否正常运行,检查是否有异常噪音或异味产生。
如果发现除湿机工作异常,应及时联系售后服务,进行维修或更换。
除湿机的日常维护非常重要。
通过定期清洁除湿机的水箱、滤网和外壳,保持除湿机的干燥和清洁,放置在适宜的环境中,并定期检查工作状态,可以确保除湿机的正常运行和延长其使用寿命。
家用除湿机操作与保养指南除湿机是一种常见的家用电器,它可以有效地降低室内湿度,提供一个干燥舒适的环境。
正确地操作和保养除湿机,不仅可以延长其使用寿命,还能确保其工作效果。
本文将介绍家用除湿机的操作和保养指南,帮助您正确使用除湿机。
一、除湿机放置与安装1. 确保除湿机放置位置平稳并远离火源、易燃物品和水源。
2. 避免将除湿机放置在狭小的空间或堆满物品的地方,以免影响其正常工作。
3. 将除湿机放置在离墙壁一定距离的位置,以便空气循环顺畅。
二、除湿机的操作步骤1. 首先,插入除湿机的电源插头,并打开电源开关。
2. 打开除湿机的控制面板,根据室内的湿度选择合适的湿度设定值。
一般情况下,湿度设定值为50%-60%较为适宜。
3. 根据需要选择工作模式,可以选择自动除湿、连续除湿或定时除湿等模式。
4. 等待除湿机自动启动,开始工作。
在工作过程中,除湿机会吸收空气中的湿气并将其转化为水蒸气排出。
三、除湿机的使用注意事项1. 在使用除湿机时,请确保房间的门窗封闭,以免外界潮湿空气进入,影响其除湿效果。
2. 定期清洁除湿机的滤网和水箱。
滤网可以阻止灰尘和杂质进入机器,而水箱则用于收集除湿机吸收的湿气。
清洁滤网可以保证除湿机的工作效果,定期清理水箱可以防止细菌滋生。
3. 避免将除湿机暴露在阳光直射的地方,以免损坏机器。
4. 当除湿机长时间不使用时,建议拔掉电源插头,并清洁除湿机的机身表面。
5. 注意使用除湿机时的安全问题,避免让儿童或宠物接触到除湿机。
四、故障排除与维护1. 如果发现除湿机运转异常或无法正常工作,请先检查是否插入电源,以及电源是否正常连接。
2. 若除湿机工作时出现异常噪音或异味,应立即停止使用并联系售后服务中心维修。
3. 定期检查除湿机的排水管道,保证其通畅排水。
如发现排水管道堵塞,请及时清理。
请按照以上指南正确操作和保养家用除湿机,以确保其正常工作。
通过合理使用和保养,您可以享受到一个干燥舒适的室内环境,并延长除湿机的使用寿命。
文件名称Dorosin多乐信智能除湿机使用、清洁、维护
操作规程文件编号批准人
编制人审核人批准日期
编制日期审核日期文件版本
颁发部门分发部门生效日期
1.目的:规范Dorosin多乐信智能除湿机的使用、清洁、维护的操作,确保除湿
机的正常使用。
2.适用范围:适用于Dorosin多乐信智能除湿机使用操作。
3.职责
3.1.操作人:负责按照本文件进行除湿机的使用、清洁。
3.2.复核人:负责按照文件对操作人的操作进行复核,确保操作的正确性。
4.术语:无。
5.清洁
5.1.清洁用具::毛巾。
5.2.物料:水。
5.3.清洁周期:每月
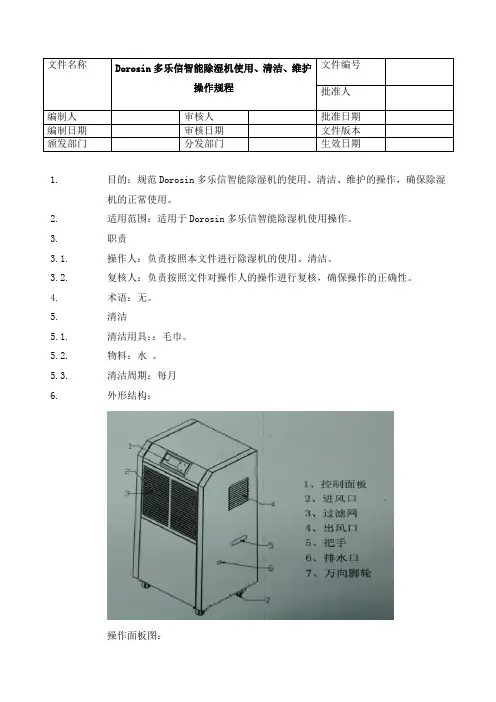
6.外形结构:
操作面板图:
按键功能说明
A.“开/关”键
按该键开机,蜂鸣2声,进入开机模式,显示“运行”。
按该键关机,蜂鸣1声,进入关机模式,不显示“运行”。
B.设置键(定时时钟键)
按一次,进入当前时间设定,“时钟”闪,加键调节小时,减键调节分钟。
按二次,进入定时开机设定,“定时开机”闪,加键调节小时,减键调节分钟,5秒后自动保存返回
按三次,进入定时关机设定,“定时关机”闪,加键调节小时,减键调节分钟,5秒后自动保存返回。
连续按到第四次,取消定时开关机设定,“定时开/关机”文字不显示。
此外只有在开关机后才能设置定时开/关机时间
C.“+”键
直接按此键可对设置湿度进行操作,每按一次蜂鸣器响一声,设定湿度增1%RH,连续按住可对设定湿度进行连续操作
“—”键
直接按此键可对设置湿度进行操作,每按一次蜂鸣器响一声,设定湿度减1%RH,连续按住可对设定湿度进行连续操作
D.湿度控制操作范围:10%-99%
7.操作程序
7.1.概述
7.1.1.型号:DRLK-1382L
7.1.2.设备参数
理论除湿量138L/D 使用温度范
围
5℃-38℃
循环风量1300m3/h 制冷剂/填充
量
R22/800g
输入电压220v-240v
50Hz
额定电流 6.0A
7.2.运行操作
7.2.1.开机操作
7.2.1.1.打开电源,除湿机发出“嘀”的一声;液晶背光灯亮,显示环境湿度值。
7.2.1.2.按一下“开/关”键,蜂鸣一声后进入开机页面,显示风机运行图标和“运行”
状态。
7.2.1.3.湿度设定:按加减键来调动所需的湿度,当设定湿度小于当前湿度3%时,除湿
机工作,显示“风叶”“压缩机图案”,当设定湿度大于当前湿度3%时,除湿机
停止工作,“湿控”闪。
当设置湿度高于实际湿度,除湿机处于待机状态,显
示“湿控”。
7.2.1.4.当设定湿度设置为10%时除湿机进入连续除湿模式。
7.2.1.5.定时设定:开机状态下,按二次“设定”键,进入定时开机设定,“定时开机”
闪,按加键调节小时,减键调节分钟,设置开机时间,时间到点时,蜂鸣2声,
进入开机状态;显示(开机时间);开机状态下,按三次“设定”键,进入定
时关机设定,“定时关机”闪,按加键调节小时,减键调节分钟,设置关机时
间,时间到点时,蜂鸣1声,进入关机状态;显示(关机时间);
7.3.维护保养
7.3.1.过滤装置
除湿设备配有独立的过滤装置,过滤装置安装于设备的进风口处。
禁止长期在
无过滤装置下运行,严禁堵塞本设备进出风口,建议每月对过滤装置进行一次
以上检查清洗。
7.3.2.电机
轴承的使用寿命与电机相同,因此无需进行另外维护。
每年对电机启动电容进
行一次检查,确保其状态正常。
7.3.3.冷热交换器
清除滞留在两器舱底和表面的杂物与灰尘,清理周期3个月。
7.3.4.设备的密封性能
检查有无损伤和移位的迹象。
如果有磨损或损伤,应更换。
检查周期一年。
8.注意事项
8.1.机器其它数据出厂时均已设定,请勿随意更改以免影响机器性能。
8.2.本设备不具备防爆性质,禁止在易燃易爆场所使用。
8.3.在开启任何维护面板前,应将除湿机从主电源上断开。
8.4.当操作结束后,除湿机应至少冷却5分钟,随后才可以对其进行维护。
8.5.禁止在未安装过滤网装置的情况下,使用除湿机。
9.派生记录:Dorosin多乐信智能除湿机使用、清洁、维护记录。