标准包装箱设计方案(铁件配送)
- 格式:ppt
- 大小:1.74 MB
- 文档页数:6
运输包装要求一.运输包装设计须使包装物具备一定的堆码能力,即高度在2m以上的货物,能保证安全堆码两层同类货物;高在2 m以下的货物能保证安全堆码四至五层同类货物。
木箱、铁箱、托盘、框架顶部一般须采用平顶形式。
二.起吊位置的设计:各种方式的包装均须根据货物的长度、重量和重心情况合理设计起吊位置,并标明起吊点。
单件重量在10T以下的设备,包装物底部必须留有铲孔,以适应不同方式的装卸作业。
木箱、托盘的起吊位置及上部适当位置须根据货物的重量加装相应规格的护角铁板,以增加强度。
三.重心点标注:各种方式的包装均须标注重心点。
具体要求如下:1.木箱(WOODEN CASE):(1)全封闭,压边接缝或榫槽接缝(2)有足够强度,可采用框架结构增加强度(3)货物在箱内固定牢靠,不得发生移位或窜动。
(4)箱外铲孔\吊点、重心、标识要明确。
(5)怕潮的货物,做好防潮包装。
(6)支腿大于10CM,方便叉车作业。
(7)运输包装须保证货物具备一定的堆码能力:高度2米以上的货物,能安全堆码两件同类货物。
高度2 米以下的货物能安全堆码四至五件同类货物。
木箱、铁箱、托盘、框架须采用平顶形式。
(8)易碎设备如绝缘瓷瓶应先装入小型纸箱或木箱后再装箱。
(9)设备装箱时尽量使其重心位置居中靠下,重心偏高的设备尽可能采用卧式包装。
重心偏离中心较明显的设备须采取相应的平衡措施。
(10)包装箱充满度不低于90%。
(11)件杂货运输时,原则上单件货物体积不能小于100x100x80cm。
2.铁箱(IRON CASE):精密设备必须采用铁箱包装方式。
3.包装储运标志:(1)包装储运标志的内容:包装储运标志由贸易标志(Consignment Label)、运输唛头(Shipping Mark)、供方标志(Supplier Mark)、包装标志(PackingMark)、国内到站收货人临时标志五种标志组成。
包装储运标志均由供方负责按本附件规定的格式和要求刷制完成。
Q/LZ J04024-2019包装箱设计规范一、范围本标准规范为指导设计人员更好的完成包装箱的设计而设定的规则。
本标准适用于本公司生产所有带包装箱的产品。
二、瓦楞纸板的基础认识1、目前世界各国普遍使用的瓦楞纸板,有以下六种类型:A型(大)、C型(中)、B型(细)、E型(特细)、K型(特大)、F型(超细)、微细瓦楞(G型、N型、O型)。
其中前四种最常用2、 A型瓦楞有极好的防振缓冲性,能在较强冲击载荷下保护箱内商品完好无损,且垂直耐压强度高(比B型好),当贮存堆叠时有较大的承载能力,适合包装较轻的物品。
3、B型瓦楞性能与A型相反,平面抗压能力超过A型,不易变形,且瓦楞纸板表面较平整,可得到良好的印刷效果,适合包装较重和较硬的物品。
4、C型瓦楞介于A型和B型之间,防震性能接近A型,平面抗压能力接近B型。
5、 E型瓦楞是最细的一种瓦楞,与上述三种瓦楞相比,具有更薄更硬的特点。
它能承受较大平面压力,可适应胶印需要,印出精美的图文。
E型瓦楞纸板的纵向垂直压缩强度和横向压缩强度相同,多用于制成纸盒。
6、双瓦楞或3瓦楞为以上几种瓦楞的不同组合。
例如:BE瓦为B型瓦和E型瓦的粘贴组合。
具体见下图图一单瓦楞Q/LZ J04024-2019图二双瓦楞三、瓦楞的选择图三A、C、B、E四种楞型纸板的强度对比楞型平面压力垂直压力缓冲箱的强度用途适应性印刷效果A型最差最好最好大较差外包装大箱B型较差较好较好C型较好较差较差E型最好最差最差小良好内包装小箱图四Q/LZ J04024-2019随着瓦楞的减小,瓦楞对平面压力和平行压力承受能力越强,对垂直压力的承受能力越弱。
要根据产品重量、跌落、堆码标准来确认箱子瓦楞规格一般瓦楞设计选型规则:1.产品重量≤5kg,产品为单层包装时优先选择单B瓦;产品为双层包装时优先选择单E瓦2.产品重量>5kg <15kg 产品为单层包装时优先选择BE瓦;产品为双层包装:内箱优先选择单E瓦,外箱优先选择单B瓦,3、产品重量>15kg 产品为单层包装时优先选择单BC瓦;产品为双层包装:内箱优先选择单B瓦,外箱优先选择BE瓦,四、纸箱的基本尺寸设计1.瓦楞厚度:单E瓦厚度:2mm; 单B瓦厚度:3.5mm; BE瓦厚度:5.5mm;BC瓦的厚度:7mm;BA瓦的厚度:8mm 2.包装箱公差选择:包装尺寸≥300时单瓦楞尺寸公差为±3mm。
大包整箱包装设计方案大包整箱包装设计方案一、设计目标整箱包装设计旨在保护产品的完整性,提高产品运输效率,并增强产品的品牌形象。
因此,设计方案应具备以下目标:1. 提供充分的保护:确保产品在运输过程中不受损坏。
2. 提高运输效率:减少包装体积和重量,以降低运输成本。
3. 增强品牌形象:通过设计吸引人的外观和标志,塑造品牌形象,吸引顾客的目光。
二、设计要素1. 包装材料选用高强度、耐压的纸板,确保产品不受碰撞而损坏。
同时,在包装设计过程中考虑到材料的可循环利用和环保性。
2. 内部固定通过内嵌或填充材料来固定产品,以防止在运输过程中的震动和碰撞造成的破损。
可以使用泡沫塑料或薄膜填充空间,使产品紧密固定在箱内。
3. 打开方式设计易于打开的箱盖,以方便顾客取出产品,同时也方便物流工作人员进行装卸。
4. 外观设计通过吸引人的外观设计,提升整箱包装的吸引力和品牌形象。
可以考虑添加产品的图片、标志和文字,提高产品的可辨识度,并增加顾客购买的欲望。
5. 标识和说明在包装上加以醒目的标识和说明,如产品的名称、规格和重量。
必要时,可添加其他信息,如质量合格证、生产日期和使用说明等。
三、设计思路1. 箱型选择根据产品的属性和尺寸,选择合适的箱体类型,如瓦楞纸箱、折叠箱或纸盒等。
确保箱体具有足够的强度和稳定性。
2. 内部结构设计根据产品的形状和数量,设计合适的内部结构,以确保产品在运输过程中不发生移动和碰撞。
3. 箱体外观设计根据产品的特点和品牌形象,设计箱体的外观图案、颜色和标志。
通过优雅简洁的设计,提升整体的美感和吸引力。
4. 安全印刷在包装上使用安全印刷技术,以确保产品的真实性和防伪功能。
5. 环保设计在设计过程中注重环保性,选用可回收和可降解的材料,减少对环境的污染。
四、实施措施1. 深入了解产品特性和市场需求,确定包装设计的基本要求和目标。
2. 进行多次讨论和设计方案的修改和优化,确保最终设计方案能够达到设计目标。
衡水三和世纪轻钢结构有限公司
HDPE厂房钢结构
1.包装形式:铁笼包装
2.包装箱外形尺寸(cm)
3.包装箱设计
120槽钢焊接框架,底部焊有吊装环。
4.装箱方式
a.钢结构:
同一型号钢结构零部件装入一箱:底部为钢结构件,上部为零散构件。
装箱原则:大件在外,小件在内,排放密实整齐,对在运输中易滑动的物件加以固定。
确保货物在运输过程中不滑动,不掉落。
所有电机装一箱,与箱底基架固定,用塑料薄膜密封。
确保电机在运输过程中不晃动,不碰撞。
5.标识、唛头、装箱单及资料
a.标识、唛头图形标记格式按NFC提供的图样,用不褪色的油漆
刷在包装箱相邻两侧和顶部。
标识、装箱单采用中英文对照。
b.在包装相邻两侧面上清晰地表明“小心轻放”、“勿倒置”“勿叠
压”等标志。
c.随机文件:完全按合同要求提供
d.箱单格式严格按NFC要求制作,并与其它资料一起,用聚乙烯
信封密封,放在单独的资料专用箱内,在装有资料的包装箱外面需涂有醒目的“资料”字样。
e.随机所带文件全部中英文对照。
6.货物装卸
货物采用铁笼包装,单箱货物装卸均需25吨以上吊车。
快递盒产品设计方案模板[公司名称/LOGO]方案名称:快递盒产品设计方案日期:[日期]1. 项目背景快递行业日益繁荣,快递包装盒成为重要的产品之一。
为了提高用户体验、降低包装成本并减少环境影响,本方案旨在设计一款创新的快递盒产品。
2. 设计目标- 提供良好的保护性能,确保快递物品在运输过程中的安全性;- 简化包装流程,提高包装效率;- 优化堆叠性能,节省仓储空间并降低运输成本;- 提高产品的可循环利用性,减少环境污染;- 增强品牌形象,实现市场差异化竞争。
3. 方案描述本方案基于以下几个方面的考虑,实现了快递盒产品的创新设计。
3.1. 结构设计采用三层结构设计,包括外壳层、缓冲层和内衬层。
外壳层采用坚固的纸板材料,提供良好的保护性能。
缓冲层采用环保泡沫材料,能够有效缓冲快递物品在运输过程中的震动和撞击。
内衬层采用可降解材料,方便用户进行分拣和回收。
3.2. 尺寸设计根据市场调研和实际需求,确定了多个尺寸规格的快递盒产品,以适应不同类型和尺寸的快递物品。
通过精确的尺寸设计,将包装空间最小化,减少了运输成本和储存空间。
3.3. 打印设计快递盒产品的外壳层设计采用与公司品牌一致的风格,包括[公司名称/LOGO],以增强品牌形象。
同时,利用高质量印刷技术,可以在外壳层上印刷订单信息、条形码等必要信息,方便快递操作人员进行识别和处理。
3.4. 封口设计本方案采用方便快捷的自粘封口设计,减少用户在包装过程中所需的时间和劳动力。
同时,封口处设有撕开标记,方便快递接收人员在收到包裹后轻松打开。
4. 成果评估为了评估本方案的效果和成果,将进行如下测试:4.1. 保护性能测试通过模拟快递包装行业的标准测试方法,对快递盒产品的保护性能进行评估,以确保产品能够有效保护内部物品在运输过程中的完整性和安全性。
4.2. 应用测试将快递盒产品应用于实际快递业务中,对包装流程、用户体验等进行测试和评估。
4.3. 可循环利用性测试对快递盒产品的材料进行测试,评估其可循环利用性和环境友好性。
金属包装项目规划设计方案项目概述:一、市场分析1.1目标市场:对于金属包装项目,目标市场主要包括食品、饮料、化妆品、药品等行业。
这些行业对于产品包装的要求较高,对包装材料的安全性、保鲜性以及外观要求都比较严格。
1.2市场需求:随着人们生活水平的提高和消费观念的变化,对于包装的要求也在不断提高,对金属包装制品的需求呈现出逐年增长的趋势。
1.3竞争分析:目前金属包装行业竞争激烈,存在着很多的竞争对手。
因此,在项目规划和设计中,需要制定相应的竞争策略,提高产品的核心竞争力,以获取市场份额。
二、产品定位2.1产品特点:金属包装制品具有优异的机械性能、耐腐蚀性、气密性等优点,适用于包装各种形态和容量的产品,具有良好的可塑性。
2.2品牌定位:在项目规划和设计中,需要建立具有较高知名度和美誉度的品牌形象,并提供高品质的产品和优质的售后服务。
三、项目建议3.1建立研发团队:建立专业的研发团队,进行包装技术的创新及研发,不断提升产品性能和质量。
3.2生产设备:引进先进的生产设备,提高工艺水平和生产效率,降低生产成本。
3.3资金投入:充足的资金投入是项目成功的基础,需要确定合理的资金规模和使用计划。
3.4销售渠道:建立稳定的销售渠道,通过与行业内的大型客户建立合作关系,提高市场占有率。
3.5研发创新:加强技术创新和产品研发投入,在功能性、环保性和外观等方面提供多样化的产品选择。
四、项目实施4.1项目时间计划:制定详细的项目时间计划,对项目实施过程中的各项工作进行具体细化和分解,确保项目按期完成。
4.2项目预算计划:根据项目的规模和需求,制定详细的项目预算计划,包括投资、营销费用、人员成本等各方面的预算。
4.3组织架构设计:建立科学有效的组织架构,设立相关部门和岗位,明确各个部门的职责和任务,保障项目的顺利进行。
4.4采购和供应链管理:建立健全的采购体系和供应链管理系统,确保原材料的供应和产品的生产能够顺利进行。
五、项目风险预测和应对策略5.1市场风险:金属包装市场竞争激烈,市场需求变化快速,需及时调整市场策略和产品定位,提高市场反应速度。
KD散件装箱、包装方案:
根据KD散件供货的状态特制定装箱、包装方案如下:
1.零部件分类:
按照KD散件清单,对所有零部件进行分类,分类中遵循以下原则:
①按同类产品分,②按零件形状分,③按包装要求分
目地是简化包装设计和规范包装方案。
分类大致如下:
裸装件:三类底盘、轮胎(带钢圈)、前桥、侧围、前后围、顶盖、轮罩、踏步框、高地板骨架等
铁制件:车内围板、地板搁梁、滚压蒙皮、下蒙皮、裙边门、司机门、挡泥板等。
易碎件:前后风挡玻璃、侧窗、灯具、后视镜、内视镜等。
易擦伤件:仪表台、车内饰板、乘客门、车内扶手、引擎罩、售票台、座椅、窗柱装饰罩、铝型材等。
易压伤件:空调、风道、线束、胶条、顶窗等。
紧固件:标准件、非标件、卡箍、垫片等。
原材料:地板、地板革、PVC板、隔热棉、泡沫板等
化工材料:油漆、稀释剂、腻子等。
2、包装箱形式和包装材料:
①钢结构框架:主要用于裸装件,根据零部件形状和码放形式,
设计专用框架,材料采用钢管焊接。
②纸质包装:主要用于易擦伤件,可用纸板、瓦楞纸和蜂窝纸做
的包装箱。
③木质包装:需要熏蒸处理,木箱分花格条板箱和封闭箱二种结
构。
④包装材料:纸板、气泡膜、缠绕膜和泡沫板
3、防锈处理:
①三类底盘采取涂防锈油和表面喷蜡处理,
②侧围、顶盖和前后围表面喷防锈底漆
③铁制件涂防锈油
常州黄海工艺处
2011-1-17。
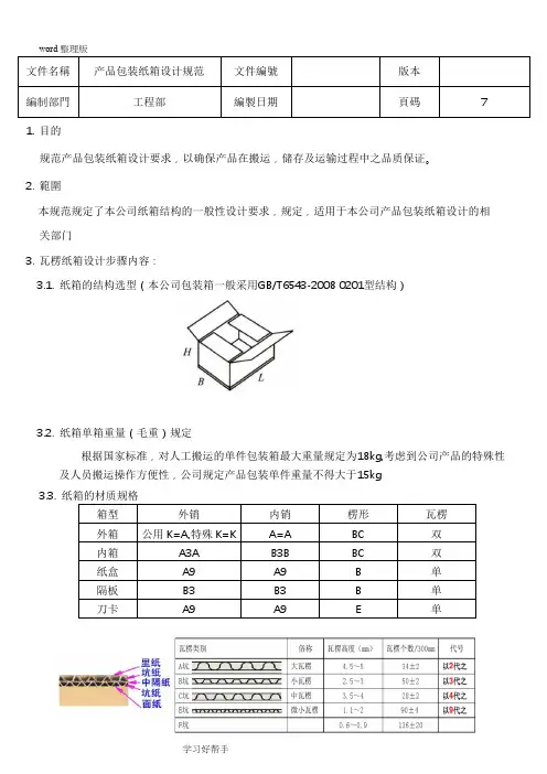
1.目的规范产品包装纸箱设计要求,以确保产品在搬运,储存及运输过程中之品质保证。
2.範圍本规范规定了本公司纸箱结构的一般性设计要求,规定,适用于本公司产品包装纸箱设计的相关部门3.瓦楞纸箱设计步骤内容:3.1. 纸箱的结构选型(本公司包装箱一般采用GB/T6543-2008 0201型结构)3.2. 纸箱单箱重量(毛重)规定根据国家标准,对人工搬运的单件包装箱最大重量规定为18kg,考虑到公司产品的特殊性及人员搬运操作方便性,公司规定产品包装单件重量不得大于15kg3.3.纸箱最外面的那层称为面纸,最里内的纸称为里纸,中间凹凸不平的纸为坑纸,两坑纸中间纸称为隔纸,其材质表达方式为:◇前面的字母(如K,A,B)表示为面纸纸质◇中间符号(如=)表示瓦楞层数,9表示E坑幼坑纸,3表示B坑单瓦楞◇后面表示字母(如K,A,B)表示为里纸纸质◇如K=K,表示为面纸和里纸都是K纸材质,双层瓦楞纸(默认BC组合瓦楞)3.4. 依照集装箱配合最优尺寸及堆码方式进行外箱尺寸设计3.4.1.栈板规格规定1100×1100mm(单面木质栈板)3.4.2.外箱标准堆码方式为重叠反交错和旋转交错两种◆重叠式和正反交错堆码方式外箱标准设计内尺寸L: 500mmB: 330mmH: 依产品重量及纸质长宽比:1.5◆旋转交错方式外箱标准设计内尺寸L:370mmB:330mmH:依产品重量及纸质长宽比:1.123.5.尺寸设计要求3.5.1.公司外箱公用尺寸为L500mm*B330mm和L370mm*330mm两种,高度依产品包装方式数量及重量决定3.5.2.其他外箱尺寸管制3.5.2.1.瓦楞纸箱的尺寸以内尺寸为标准,如需标注外尺寸应在尺寸前加“外”字,单位为毫米(mm),内尺寸就是纸箱内净空尺寸,以长、宽、高顺序表示,字母代号以L、B、H表示。
3.5.2.2.一般公差:单瓦楞纸箱±3mm,双瓦楞纸箱±5mm3.5.2.3.外尺寸应符合GB/T4892标准规定:◆长、宽之比不大于2.5:1(RL=1~1.5内最佳)◆宽、高之比不大于2:1,不小于0.15:13.5.2.4.纸箱尺寸展开图◆纸箱接头G的制造尺寸:单瓦楞纸板为30mm,双瓦楞纸板为40mm◆外尺寸在内尺寸基础上+纸板厚度3.6.瓦楞纸箱强度设计瓦楞纸箱的强度是评价瓦楞纸箱的重要指标,同时也是设计瓦楞纸箱的重要条件。
包装箱方案1. 简介包装箱是一种常用的物流包装工具,用于保护、运输和存储各种物品。
良好的包装箱方案可以提高物品的安全性,减少损坏风险,并提高物流效率。
本文将介绍包装箱的基本要素,以及如何制定一个适合企业需求的包装箱方案。
2. 包装箱要素2.1 尺寸和容量包装箱的尺寸和容量是设计过程中需要考虑的关键要素。
尺寸应符合物品的尺寸和形状,以确保物品能够安全放置在箱内,避免过大或过小的情况。
容量要适中,不宜过大以减少空间浪费,也不宜过小以避免物品受挤压损坏。
2.2 材料包装箱的材料决定了其强度和耐用性。
常用的包装箱材料包括纸板、塑料和木材。
纸板箱经济实用,适合轻型物品包装,但不适用于重型或易碎物品。
塑料箱具有较高的耐用性和防水性能,适合存储和运输一些特殊物品。
木箱则具有强度较高,适合包装重型物品,但也较为笨重和不易回收利用。
2.3 包装箱结构包装箱的结构设计应考虑到物品的特性和运输环境。
常见的结构包括立方体箱、长方体箱和定制形状箱。
立方体箱通用性强,适用于大部分物品的包装;长方体箱适合长条形物品的包装;定制形状箱可根据物品特性设计,提供更好的保护和固定效果。
2.4 内部填充物合适的内部填充物可以提供更好的保护效果,减少物品碰撞和摩擦。
常用的内部填充物包括泡沫材料、气垫膜和纸板分割套。
不同的物品需要使用不同的填充物,以确保物品在包装过程中不会发生位移或破损。
3. 制定包装箱方案的步骤3.1 确定物品特性首先需要了解需包装物品的特性,包括尺寸、重量、形状、易碎程度等。
根据物品特性来确定适合的包装箱材料和结构。
3.2 选择适当的包装箱材料根据物品特性选择合适的包装箱材料,可以考虑纸板、塑料或木材。
对于重型物品,宜选择强度较高的材料,对于易碎物品,宜选择有缓冲作用的材料。
3.3 确定包装箱尺寸和容量根据物品尺寸和数量,确定包装箱的尺寸和容量,确保物品能够完整放置在箱内,并避免过度浪费空间。
3.4 设计包装箱结构根据物品特性和运输环境,设计合适的包装箱结构。
铁路装箱方案一、货物类型和数量首先,需要明确货物的类型和数量。
这包括货物的种类、尺寸、重量、数量等详细信息,以便进行装箱和运输的准备工作。
二、运输路线和时间铁路运输路线和时间也是装箱方案的重要组成部分。
需要明确货物的起点和终点,以及运输的具体时间安排。
这有助于确定最佳的装箱方式和运输路径。
三、装箱方式根据货物的特性和数量,选择合适的装箱方式。
对于一些易碎、易变形的货物,需要采用特殊的装箱方式,如使用泡沫垫、气泡垫等防震材料进行包装。
对于一些大宗货物,需要使用大型集装箱进行运输。
四、防潮防震措施为了确保货物在运输过程中的安全,需要采取一系列的防潮防震措施。
例如,对于一些容易受潮的货物,需要在集装箱内放置吸湿剂或防潮剂;对于一些容易破损的货物,需要使用泡沫垫、气泡垫等防震材料进行包装。
五、货物的安全保护为了确保货物在运输过程中的安全,需要采取一系列的安全保护措施。
例如,可以使用安全带、钢丝绳等固定装置将货物固定在集装箱内,以防止货物在运输过程中发生移位或倾倒。
六、单据和证书在装箱和运输过程中,需要准备相关的单据和证书。
例如,装箱单、货物清单、运输单据、检验证书等。
这些单据和证书是证明货物合法性和安全性的重要依据,需要在整个运输过程中妥善保管。
七、费用预算在进行铁路装箱运输时,需要进行费用预算。
这包括装箱费用、运输费用、保险费用等各个方面。
通过对费用进行预算,可以更好地控制成本,并确保整个运输过程的顺利进行。
八、保险措施为了降低货物在运输过程中的风险,可以采取一系列的保险措施。
例如,可以为货物购买运输保险或保险代理服务,以确保在发生意外情况时能够得到合理的赔偿。
快递机箱包装设计方案
设计方案:
1.采用独特的材质:选择高强度、耐用的材质如强化纸板或者
环保塑料板作为快递机箱的包装材料,以确保机箱在运输过程中不易受损。
2.精心设计结构:为了保护机箱内部零件的安全,可以在包装
设计中加入合理的缓冲结构,如波形纸板隔层或气囊填充等,使机箱在受冲击时能够有效减少冲击力。
3.全方位保护:包装设计应该考虑到机箱的完整性,因此在设
计过程中应该充分考虑各个面的保护。
例如,在机箱四角加固,可以增加机箱在角落受到冲击时的抗压能力,还可以在机箱底部添加材料加固,以保护底部易受损的部分。
4.简约实用设计:快递机箱的包装设计应该便于快递员进行搬
运和递送,因此设计时应该注意到尺寸合理、重量适中,并考虑到易于抓取和搬运的手柄部分。
同时,尽量避免使用过多的附属装饰,以减少包装的复杂性。
5.环保可持续性:在快递机箱的包装设计中,应尽量选择可回
收材料,同时减少不必要的包装材料使用。
在设计中可以考虑使用可降解的填充物,如纸板颗粒或可溶性气囊,既能保护机箱在运输过程中不受损,又能减少对环境的影响。
6.清晰的指示标识:为了方便快递员识别和区分不同型号的机箱,可以在包装设计中加入简单明了的型号标识和指示标识。
这有助于减少出错和混淆,提高包裹的流通效率。
设计师应该根据客户需求和产品特性进行包装设计,确保机箱在运输过程中能够得到有效的保护,并尽量减少对环境的影响。
出口机床包装箱标准
出口机床包装箱的标准主要包括以下几个方面:
1. 框架固定:箱内衬以至少8槽钢、50505角钢对包装箱进行加固和对设
备进行固定,防止运输过程中设备来回蹿动碰撞或装卸过程中堆码挤压而造成设备损坏。
铁件之间须有衬垫物,以免运输途中铁件直接接触磨擦,减薄产品的局部厚度,成为机组运行中的隐患,对于受内压的管件此点尤为重要。
2. 钢板厚度:至少保证3mm,体积大于5立方米的铁箱,用至少5mm厚的钢板封闭,且在底部用槽钢布置“井”字形的底座以便穿钢丝绳或叉车装卸。
3. 电气设备处理:精密仪器、仪表、控制盘(台)等电气设备应进行防潮、防锈、防震包装处理后再装箱。
4. 设备固定:设备在木箱内固定牢靠,不得发生移位或窜动。
5. 包装箱填充度:包装箱充满度不低于90%,对于需要内部填充物的设备
包装箱,厂家需配置适宜的内部填充材料(注:未经过熏蒸除害过的干草、麦秆或是相似的植物纤维及菌类植物不能用作包装填充物)。
以上信息仅供参考,具体标准可能因出口国家、运输方式、设备类型等因素而有所不同。
如有需要,建议咨询相关领域的专业人员或机构。
Q/XXXXXXXXXXX有限公司企业标准Q/XX J0602-2014 包装箱尺寸设计2014-09-05发布 2014-09-10实施XXXXXXXX有限公司标准化管理科发布Q/XXJ0601-2014前言本标准根据本公司目前现状需求提出,其目的在于实现技术规范、统一和符合相关的国家行业标准。
本标准由XXXXXXXX有限公司研发中心提出并起草。
本标准为首次发布。
1 范围本标准规定了包装箱的定义、选用规则及尺寸设计。
本标准适用于本公司包装箱的制作。
2 定义2.1包装箱通常用作商品的包裹物或物品保护外层使用物,由瓦楞纸板、单层纸板或PE 加工而成。
2.2 包装箱分外箱、中箱、彩盒、PE盒等,外箱、中箱由3 选用规则3.1瓦楞纸箱的分类瓦楞纸箱按照所使用的瓦楞纸板的不同种类、内装物的最大质量及综合尺寸、预计的储运流通环境条件等将其分为20种,如表1所示。
3.2瓦楞纸板瓦楞形状为UV型,单瓦楞纸板厚度应高于表3所规定相应楞高的下限值,多层瓦楞纸板厚度应高于表2所规定相应楞高的下限值之和。
4尺寸设计4.1包装箱尺寸,统一标注内尺寸,以毫米为单位,不需注明计量单位;如采用其他单位的,则必须注明;标注方法为:长×宽×高。
4.2彩盒、PE盒内尺寸依据产品外形尺寸确定:内尺寸=产品外形尺寸+间隙尺寸(见表3,有隔衬或缓冲件需另加)。
表 34.3外箱、中箱内尺寸:Xi=XmaxNx+d(Nx-1)+k+T式中, Xi――瓦楞纸箱内尺寸Xmax――单个内装物的最大外尺寸D――内装物公差系数,中包装盒:±(1~2)mm/件;针棉织品:±3mm;硬质刚性品:+(1~2)mm/件。
Nx――内装物在瓦楞纸箱内某一方向的排列数目K――瓦楞纸箱内尺寸修正系数(修正系数及公差系数可查表4得到)T――隔衬或缓冲件总厚度(长度单位均为mm)。
瓦楞纸箱内尺寸修正系数k(单位:mm)4.4瓦楞纸箱的外尺寸一般由内尺寸加上瓦楞纸箱成型后的箱壁厚度计算得到,各瓦楞的4.5箱子长、宽之比建议不大于2.5:1;高、宽之比不大于2:1并不小于0.15:1。
集装箱包装方案货物清单:槽型梁270吨,变径管23吨,T形板46吨,铸件大元宝29.5吨,每只重0.63公斤。
铸件扣件7.26吨,每只重0.31公斤,槽型梁27公斤,变径管2.3公斤,t板4.6公斤。
铸件按17%的损耗率计算,铸件大元宝0.737公斤,铸件扣件0.363公斤。
则各货物数目清单为:槽型梁=10000(件)变径管=10000(件)T板=10000(件)铸件大元宝=40000(件)铸件扣件=20000(件)采用的集装箱为40尺的集装箱,其尺寸规格为:内容积11.85mm×2.35mm×2.38mm,配货毛重22吨,自重3.9吨。
体积为58-60立方米。
则能装货物为18.1吨。
选用的用来装货物的小木箱A规格:长×宽×高=1.1m×1.1m×1.1m按体积算,一个集装箱可放置小木箱A的数目为:10×2×2=40(箱)一个这样的小木箱可放置变径管的数目为:1×25×16=400(件)10000件变径管需要小木箱A的数目为:10000/400=25箱。
一箱变径管重量:2.3×400=0.92吨这样的小木箱可放置长×宽(513mm×426mm)T板数目:2×2×100=400(件)10000件T板需要小木箱A:10000/400=25箱。
一箱T板的重量:400×4.6=1.84吨铸件扣件的长×宽×高尺寸:163mm×32mm×38mm,一个小木箱A可放置铸件扣件的数目:6×30×25=4500(件)20000件这样的铸件扣件需要小木箱A:20000/4500=4.4444箱一箱铸件扣件的重量:3600×0.363=1.306吨铸件大元宝的长×宽×高:214mm×32mm×44mm一个小木箱A可放置铸件大元宝的数目:5×30×22=3300(件)40000件铸件大元宝需要的小木箱数目为:40000/3300=12.1212箱一箱铸件大元宝的重量:3300×0.737=2.432吨选用小木箱B的尺寸规格:长×宽×高=2.2m×2.2m×2.2m槽型钢的长×宽×高尺寸:2040mm×305mm×255mm,按如下图叠放为一组,一个小木箱B可以放置槽型梁的数目为:1×7×6×2=84(件)一箱槽型梁的重量:84×27=2.268吨一个集装箱可以放置小木箱B的数目为:5×1×1=5(箱)一个集装箱可以放置槽型梁数目为:5×84=420(件)10000件槽型梁需要集装箱的数目:10000/420=23.81(箱)下面考虑具体装入集装箱方案:铸件类:铸件大元宝总重29.5吨,用两个集装箱,一个集装箱装6个小木箱A,装箱铸件重量为6×2.432=14.592吨,29.5-29.184=0.316吨,则铸件大元宝还剩余0.316吨未装入集装箱。