国产曳引驱动电梯的对重安装工艺标准
- 格式:doc
- 大小:17.00 KB
- 文档页数:4
曳引式电梯安装改造工艺标准编撰:夏欢欢2020-09-10第一章样板安装及基准线放设第一条、工艺流程搭设样板-测量井道、确定基准线-样板就位、挂基准线第二条、搭设样板架1、在井道顶板下面lm左右处用膨胀螺栓将角钢水平牢固地固定于井道壁上。
.2、若井道壁为砖墙,应在井道顶板下lm左右处沿水平方向剔洞,稳放样板木支架,并且端部固定。
3、样板支架方木端部应垫实找平,水平度误差不得大于3/1 000。
第三条、测量井道,确定标准线一、预放两根厅门口线测量井道。
一般两线间距为门净开度。
二、根据井道测量结果来确宅基线时,应注意的问题:1、井道内安装的部件对轿厢运行有无妨碍,如限速器钢绳选层器钢带、限位开关、中线盒、随线架等。
同时必须考虑到门上滑道及地坎等与井壁距离,对重与井壁距离,必须保正在轿厢及对重上下运行时其运动部分与井道内静止的部件及建筑结构净距离不得小于50mm。
2、确定轿厢轨道线位置时,要根据道架高度要求,考虑安装位置有无问题。
道架高度计算方法如下:H=L-A-B-C式中H一道架高(左):L——轿厢中心至墙面(左)距离:A——轿厢中心至安全钳内表面距离;B----安全钳与导轨面距离(3-4mm);C——导轨高度及垫片厚度之和。
3、对重轨道中心线确定时应考虑对重宽度(包括对重块、最突出部分),距墙壁及轿厢应有不小于50mm 的间隙小于30mm。
4、对于前后开门(贯通门)的电梯,井道深度≥厅门地坎宽度×2+厅门地坎与轿厢地坎间隙×2+轿厢深度,并应考虑井壁垂直情况是否满足安装要求。
5、各层厅门地坎位置确定,应根据所放的厅门线测出每层牛腿与该线的距离,经过计划,应做到照顾多数,既要考虑小剔牛腿或墙面,又要做到离埔最远的地坎稳装后,门立柱与墙面的间隙小于30mm而定。
6、对于厅门建筑上装有大理石门套以及装饰墙的电梯,由于它们的施工在后,因而确定厅门基准线时.除按照上述5项进行考虑外,还要参阅建筑施工图,同时考虑利于门套及装饰墙面的施工。
最新版电梯工程施工工艺标准一、曳引式电梯安装施工工艺标准1 总则1.1 适用范围本工艺标准适用于额定载重量5000kg 及以下各类曳引驱动电梯安装工程,不适用于液压电梯、自动扶梯、杂货梯的安装。
1. 2 主要参考标准及规范(1) GB 7588—1995《电梯制造与安全规范》(2) GB 8903—1988《电梯用钢丝绳》(3) GN/T10058—1997《电梯技术条件》(4) GB/T10059—1997《电梯试验方法》(5) GB 50310—2002《电梯工程施工质量验收规范》(6) GB 10060—1993《电梯安装验收规范》(7) GB/T12974—1991《交流电梯电动机通用技术条件》(8) GB/T13435—1992《电梯曳引机》(9) JG/T5009—1992《电梯操作装置、信号及附件》(10) JG/T5010—1992《住宅电梯的配置和选择》(11) DBJ 01—26-96《建筑安装分项工程工艺规程(第五分册)》2 术语、符号2.1 术语2.1.1 电梯安装工程installation of lifts,escalators and passenger conveyors电梯生产单位出厂后的产品,在施工现场装配成整机至交付使用的过程。
2.1.2 电梯工程质量验收acceptance of installation quality of lifts, escalators and passenger conveyors电梯生产企业对安装工程的质量控制资料、隐蔽工程和施工检查记录等档案材料进行审查,对安装工程进行普查和整机运行考核,并对主控项目全检和一般项目抽检,根据本企业工艺标准对工程质量做出确认。
2.1.3 曳引驱动电梯traction drive lift提升钢丝绳靠曳引轮槽的摩擦力驱动的电梯。
2.1.4 再平层re-levelling轿厢停住后,允许在装载或卸载期间进行校正轿厢停止位置的一种操作,必要时可使轿厢连续运动(自动或点动)。
对重安装1 范围本工艺标准适用于额定载重量5000kg及以下,额定速度3m/s及以下各类国产曳引驱动电梯的对重安装工程。
2 施工准备2.1 设备、材料要求:2.1.1 对重架规格应符合设计要求,完整、坚固,无扭曲及损伤现象。
2.1.2 对重导靴和固定导靴用的螺丝规格、质量、数量应符合要求。
2.1.3 调整垫片应符合要求。
2.2 主要机具:倒链、钢丝绳扣、木方。
2.3 作业条件:2.3.1 对重导轨安装、调整、验收合格后,在底层拆除局部脚手架排档,以对重能进入井道就位为准。
2.3.2 井道内电焊把线、照明线等整理好,具有方便的操作场地。
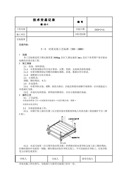
3 操作工艺3.1 工艺流程:→→3.2 吊装前的准备工作:3.2.1 在脚手架上相应位置(以方便吊装对重框架和装入坨块为准)搭设操作平台(图5-32)。
3.2.2 在适当高度(以方便吊装对重为准)的两相对的对重导轨支架上拴上钢丝绳扣,在钢丝绳扣中央悬挂一倒链。
钢丝绳扣应拴在导轨支架上,不可直接拴在导轨上,以免导轨受力后移位或变形。
3.2.3 在对重缓冲器两侧各支一根100mm×100mm木方。
木方高度C=A+B+越程距离(图5-33)。
越程距离见表5-8。
越程距离表5-83.2.4 若导靴为弹簧式或固定式的,要将同一侧的两导靴拆下。
若导靴为滚轮式的,要将四个导靴都拆下。
3.3 对重框架吊装就位:3.3.1 将对重框架运到操作平台上,用钢丝绳扣将对重绳头板和倒链钩连在一起(图5-34)。
3.3.2 操作倒链,缓缓将对重框架吊起到预定高度,对于一侧装有弹簧式或固定式导靴的对重框架,移动对重框架,使其导靴与该侧导轨吻合并保持接触,然后轻轻放松倒链,使对重架平稳牢固地安放在事先支好的木方上,未装导靴的对重框架固定在木方上时,应使框架两侧面与导轨端面距离相等。
3.4 对重导靴的安装、调整:3.4.1 固定式导靴安装时要保证内衬与导轨端面间隙上、下一致,若达不到要求要用垫片进行调整(图5-35)。
曳引式电梯安装施工工艺标准___: Standard for n and n of n ElevatorsTable of Contents1.___。
31.1 ___。
31.2 ___ ___。
32.___。
42.1 ___。
42.2 ___。
53.___。
63.1 On-site Quality Management System。
63.2 Quality Control System for ___3.3 ___。
64.___。
84.1 Technical n。
84.2 Material n。
84.3 ___。
8n:___ n。
material n。
___。
The report also includes the basic ns for quality control and the ___.Table of Contents:___ of the report。
including the general ns。
terminology and symbols。
basic ns。
___.1.General ns:This ___ the scope of n and main reference standards and ___.1.1 ___:The scope of n includes all ___.1.2 ___:The main reference standards and ___.2.___ and Symbols:This ___.2.1 ___:___.2.2 Symbols:___ ___.3.Basic ns:This ___.3.1 On-site Quality Management System:The on-site quality management system includes all ___ the quality of the ___-site.3.2 Quality Control System for ___:The quality control system includes all ___ the quality of the ___。
技术交底记录编号表 C2-1工程名称交底日期2020-2-21施工单位分项工程名称交底提要交底内容:5—3 对重安装工艺标准(503—1998)1 范围本工艺标准适用于额定载重量5000kg及以下,额定速度3m/s及以下各类国产曳引驱动电梯的对重安装工程。
2 施工准备2.1 设备、材料要求:2.1.1 对重架规格应符合设计要求,完整、坚固,无扭曲及损伤现象。
2.1.2 对重导靴和固定导靴用的螺丝规格、质量、数量应符合要求。
2.1.3 调整垫片应符合要求。
2.2 主要机具:倒链、钢丝绳扣、木方。
2.3 作业条件:2.3.1 对重导轨安装、调整、验收合格后,在底层拆除局部脚手架排档,以对重能进入井道就位为准。
2.3.2 井道内电焊把线、照明线等整理好,具有方便的操作场地。
3 操作工艺3.1 工艺流程:吊装前的准备工作→对重框架吊装就位→对重导靴安装、调整→对重块安装及固定3.2 吊装前的准备工作:3.2.1 在脚手架上相应位置(以方便吊装对重框架和装入坨块为准)搭设操作平台(图5-32)。
图5-323.2.2 在适当高度(以方便吊装对重为准)的两相对的对重导轨支架上拴上钢丝绳扣,在钢丝绳扣中央悬挂一倒链。
钢丝绳扣应拴在导轨支架上,不可直接拴在导轨上,以免导轨受力后移位或变形。
审核人交底人接受交底人审核人交底人 接受交底人技术交底记录表 C2-1编 号工程名称 交底日期 2020-2-21施工单位分项工程名称交底提要3.2.3 在对重缓冲器两侧各支一根100mm ×100mm 木方。
木方高度C=A+B+越程距离(图5-33)。
越程距离见表5-8。
图5-33越 程 距 离表5-8电梯额定速度(m/s )缓冲器型式 越程距离(mm )0.5~1.0 1.5~3.0弹簧 油压200~350 150~4003.2.4 若导靴为弹簧式或固定式的,要将同一侧的两导靴拆下。
若导靴为滚轮式的,要将四个导靴都拆下。
对重安装1 范围本工艺标准适用于额定载重量5000kg 及以下,额定速度3m/s 及以下各类国产曳引驱动电梯的对重安装工程。
2 施工准备2.1 设备、材料要求:2.1.1 对重架规格应符合设计要求,完整、坚固,无扭曲及损伤现象。
2.1.2 对重导靴和固定导靴用的螺丝规格、质量、数量应符合要求。
2.1.3 调整垫片应符合要求。
2.2 主要机具:倒链、钢丝绳扣、木方。
2.3 作业条件:2.3.1 对重导轨安装、调整、验收合格后,在底层拆除局部脚手架排档,以对重能进入井道就位为准。
2.3.2 井道内电焊把线、照明线等整理好,具有方便的操作场地。
3 操作工艺3.1 工艺流程:3.2 吊装前的准备工作:3.2.1 在脚手架上相应位置(以方便吊装对重框架和装入坨块为准)搭设操作平台(图5-32)。
3.2.2 在适当高度(以方便吊装对重为准)的两相对的对重导轨支架上拴上钢丝绳扣,在钢丝绳扣中央悬挂一倒链。
钢丝绳扣应拴在导轨支架上,不可直接拴在导轨上,以免导轨受力后移位或变形。
3.2.3 在对重缓冲器两侧各支一根100mm ×100mm 木方。
木方高度C =A +B +越程距离(图5-33)。
越程距离见表5-8。
越程 距 离表5-80.5~1.01.5~3.0弹簧油压200~350150~4003.2.4 若导靴为弹簧式或固定式的,要将同一侧的两导靴拆下。
若导靴为滚轮式的,要将四个导靴都拆下。
3.3 对重框架吊装就位:3.3.1 将对重框架运到操作平台上,用钢丝绳扣将对重绳头板和倒链钩连在一起(图5-34)。
3.3.2 操作倒链,缓缓将对重框架吊起到预定高度,对于一侧装有弹簧式或固定式导靴的对重框架,移动对重框架,使其导靴与该侧导轨吻合并保持接触,然后轻轻放松倒链,使对重架平稳牢固地安放在事先支好的木方上,未装导靴的对重框架固定在木方上时,应使框架两侧面与导轨端面距离相等。
3.4 对重导靴的安装、调整:3.4.1 固定式导靴安装时要保证内衬与导轨端面间隙上、下一致,若达不到要求要用垫片进行调整(图5-35)。
曳引式电梯、液压电梯对重(或平衡重)安装施工工艺6.1 材料要求6.1.1 对重架规格应符合设计要求,完整、坚固,无扭曲及损伤现象。
6.1.2 对重导靴和固定导靴使用的螺栓规格、质量、数量应符合要求。
6.2 主要机具6.2.1 主要工具应包括手拉葫芦、钢丝绳扣、方木、扳手、榔头、吊索、钢锉、撬棍等。
6.2.2 主要测量工具应包括钢板尺、平直尺、钢卷尺、水平尺、塞尺等。
6.3 作业条件6.3.1 对重导轨安装、调整、验收合格后,底层拆除局部脚手架排挡,以对重能进入井道就位为准,并对此处脚手架进行加固。
6.3.2 应清理电梯井道、底坑内杂物,具备相应的施工作业条件,便于施工人员底坑内作业。
6.4 施工工艺6.4.1 对重安装宜按图6.4.1规定的流程进行:吊装前的准备工作对重架吊装就位对重导靴安装调整对重块的安装及固定图6.4.1 对重安装工艺流程6.4.2 吊装前的准备工作应符合下列规定:1依照高度基准线确定底坑深度,且深度合格;2依照制造单位提供的对重架装配图检查对重轨道和对重架尺寸,两者应相配,并确定对重各部分零部件的装配位置;3在脚手架上方便吊装对重架和装入对重块的位置搭设操作平台;4在方便吊装对重的适当高度,相对的对重轨道两支架上,架设具备足够强度的钢管,并在钢丝绳扣中央悬挂手拉葫芦后,将钢丝绳扣拴在架好的钢管上;5对重缓冲器两侧各支一根100mm×100mm的方木,方木的高度应按下式计算:L=A+B+C(6.4.2)式中:L——方木高度;A——缓冲器高度;B——对重缓冲座的高度(见制造单位安装要求);C——缓冲距离见表6.4.2。
6导靴为弹簧式或固定式时,应将同一侧的两个导靴拆下;导靴为滚轮式时,应将四个导靴均拆下;缓冲距离应符合表6.4.2的规定;表6.4.2 缓冲距离电梯额定速度(m/s)缓冲器形式缓冲距离(mm)不大于1.0 蓄能型按制造单位设计图要求速度不限耗能型按制造单位设计图要求7对重缓冲器附近应当设置永久性的明显标识,标明当轿厢位于顶层端站平层位置时,对重装置撞板与其缓冲器顶面间的最大允许垂直距离;并且该垂直距离不得超过最大允许值。
国产曳引驱动电梯钢丝绳安装工艺标准国产曳引驱动电梯钢丝绳安装工艺标准1 范围本工艺标准适用于额定载重量5000kg及以下,额定速度3m/s及以下各类国产曳引驱动电梯钢丝绳安装工程。
2 施工预备2.1 设备、材料要求:2.1.1 钢丝绳规格型号符合设计要求,无死弯、锈蚀、松股、断丝现象,麻芯润滑油脂无干枯现象,且保持清洁。
2.2.2 绳头杆及其组件的数量、质量、规格符合设计要求。
2.1.3 钨金(巴氏合金)的数量要备够。
2.1.4 截面2.5mm2以上的铜线;20号铅丝;汽油、煤油、棉丝。
2.2 主要机具:榔头、剁子(切断钢丝绳的工具)、成套气焊工具、喷灯、锡锅、盒尺、拉力秤。
2.3 作业条件:2.3.1 做绳头的地方应保持清洁,熔化钨金的地方有防火办法。
2.3.2 放开钢丝绳场地应洁净、宽敞,保证钢丝绳表面不受脏污。
3 操作工艺3.1 单绕式工艺流程:3.2 复绕式工艺流程:3.3 确定钢丝绳长度:在轿厢及对重的绳头板上相应的位置分别装好一个绳头装紧。
绳头杆上装上双螺母,以刚好能装上开口销为准。
提起绳头杆(使绳头杆上的弹簧向压缩方向受力),用2.5mm2以上的铜线位图5-96所示的方法测量轿厢绳头锥体出口至对重绳头锥体出口的长度X。
则绳长L用下列公式确定:单绕式:L=0.996×(X+2Z+Q)复绕式:L=0.996×(X+2Z+2Q)其中:Z为钢丝绳在锥体内的长度(包罗钢丝绳在绳头锥套内回弯部分);Q为轿厢离出厅门地坎高度(图5-96)。
3.4 放钢丝绳、剁断钢丝绳:在清洁宽敞的地方放开钢丝绳,检查钢丝绳应无死弯、锈蚀、断丝情况。
按上述方法确定钢丝绳长度后,从距剁口两端5mm处将钢丝绳用0.7~1mm的铅丝绑扎成15mm的宽度,然后留出钢丝绳在锥体内长度Z,再按要求进行绑扎(图5-97),然后用剁子剁断钢丝绳。
3.5 挂钢丝绳、做绳头:3.5.1 在挂绳之前,应先将钢丝绳放开,使之自由悬垂于井道内,消除内应力。
浅谈曳引式驱动电梯钢丝绳安装工艺发布时间:2021-05-17T06:40:07.751Z 来源:《电力设备》2021年第1期作者:陈建斌[导读] 曳引式驱动电梯是在曳引轮上悬挂钢丝绳,绳的一端悬挂轿厢,绳的另一端悬挂对重,利用曳引轮和钢丝绳之间的曳引力驱动轿厢上下运动,这是目前最重要的电梯驱动方式。
(南京市特种设备安全监督检验研究院江苏南京 211100)摘要:曳引式驱动电梯是在曳引轮上悬挂钢丝绳,绳的一端悬挂轿厢,绳的另一端悬挂对重,利用曳引轮和钢丝绳之间的曳引力驱动轿厢上下运动,这是目前最重要的电梯驱动方式。
本文列出了不同型号的电梯,安装钢丝绳的注意事项。
关键字:驱动电梯;钢丝绳;安装工艺电梯的曳引钢丝绳(俗称曳引绳)通常采用符合国家标准GB8903-2004的电梯用钢丝绳,这种钢丝绳主要有8×19S+NF和6×19S+NF两种,都采用天然纤维或人造纤维做绳芯。
其中,6×19S+NF绳股数目为6,每股3层,外面两层各9根钢丝,最里层1根钢丝。
8×19S+NF绳股数目为8,每股3层,外面两层各9根钢丝,最里层1根钢丝。
每种曳引绳的直径有6mm、8mm、11mm、13mm、16mm、19mm、22mm等多种规格。
电梯用钢丝绳的钢丝化学成分、力学性能等在GB8903-2004中也做了详细规定。
一、曳引比钢丝绳绕法有多种方式,钢丝绳的绕绳方式也叫曳引比,曳引比决定了电梯的拖动能力和速度。
一般情况下,曳引驱动根据电梯的曳引比来分,常用的有如下几种:①曳引比1:1结构;②曳引比2:1结构;③曳引比3:1结构等。
其原理如图1中a,b,c所示。
(1)曳引比为1:1的曳引系统由曳引绳轮、导向轮、轿厢和对重装置构成。
曳引绳轮是动力源,导向轮用以调节轿厢和对重装置的距离以及曳引绳在曳引轮上的包角(不小于135°)GB7588:11.3轿厢与对重(或平衡重)及其关联部件之间的距离不应小于50mm。
11.1 曳引式电梯安装施工工艺标准1适用范围本工艺标准适用于额定载重量5000kg 及以下各类曳引驱动电梯安装工程,不适用于液压电梯、自动扶梯、杂货梯的安装。
2编制参考标准及规范(1)GB7588-2012 《电梯制造与安全规范》(2)GB8903-2005 《电梯用钢丝绳》(3)GN/T10058-2009 《电梯技术条件》(4)GB/T10059-2009 《电梯试验方法》(5)GB50310-2002 《电梯工程施工质量验收规范》(6)GB10060-2011 《电梯安装验收规范》(7)GB/T12974-2012《交流电梯电动机通用技术条件》(8)GB/T13435-2009 《电梯曳引机》(9)GB/T30560-2014《电梯操作装置信号及附件》(10)JG/r5010 一 1992 《住宅电梯的配置和选择》3施工准备3.1技术准备3.1.1图纸会审:认真对照分析业主提供的电梯产品技术文件及土建电梯井道、机房施工平面图,有不妥之处以书面形式反馈给业主,使之完善,满足电梯产品的要求。
3.1.2编制项目施工组织设计,确保工程项目能够按期完成,符合合同规定的质量条件。
3.1.3技术交底:开工前必须将工程施工合同及施工组织设计及时向作业班组交底,使其熟悉操作工艺的各项要求、工期要求、质量目标以及施工过程中应注意的问题。
3.1.4安全环保交底:结合工程特点和工艺要求,以书面形式向作业班组交代各项工序应遵守的安全操作规程及现场的安全环保制度。
3.2主要机具施工用的主要机具为电焊机、电气焊工具、电锤、切割机、卷扬机、激光放线仪、自制校道尺及精校尺、自制线坠、水平尺、磁力线坠、激光放线仪、电工钳工工具等。
3.3作业条件3.3.1机房精装修完、地面完,机墩、预留孔位置符合图纸要求;机房照明在地板表面上的照度不应小于 200lx,门窗可封闭上锁。
3.3.2井壁凸出物清理完,底坑内建筑垃圾清理完。
3.3.3现场施工用电、照明用电必须符合行业标准《施工现场临时用电安全技术规范》的要求;机房有符合电梯土建布置图要求的容量以上的三相五线制动力电源。
曳引驱动电梯机房机械设备安装工艺项目负责人:XXX编写人:XXX审核人:XXX审定人:XXXXXXXXXX公司XXX年XXX月目录1、范围 (1)2、施工准备 (1)2.1设备、材料要求 (1)2.2主要机具 (1)2.3作业条件 (1)3、操作工艺 (1)3.1工艺流程 (1)3.2安装承重钢梁 (1)3.3安装曳引机底座 (2)3.4安装曳引机与导向轮 (3)3.5安装发电机组 (4)3.7安装钢带轮 (5)4、质量要求 (5)4.1保证项目 (5)4.2基本项目 (5)5、成品保护 (6)6、应注意的质量问题 (6)1、范围本工艺标准适用于额定载重量5000kg及以下,额定速度3m/s 及以下各类国产曳引驱动电梯机房机械设备安装工程。
2、施工准备2.1设备、材料要求2.1.1机房机械设备的规格、数量必须符合图纸要求,且完好无损。
2.1.2承重钢梁和各种型钢的规格、尺寸要符合设计要求。
2.1.3若主机、发电机基座采用钢板制作时,钢板厚度不应小于20mm。
限速器、钢带轮基座使用的钢板厚度不应小于12mm。
且所有钢板表面要平整、光滑。
2.1.4焊接采用普通低碳钢电焊条,电焊条要有出厂合格证。
安装用的机螺丝、膨胀螺栓、水泥等规格、标号要符合设计要求。
2.2主要机具倒链、钢丝绳扣、水平尺、线坠、钢板尺、盒尺、电、气焊工具、电焊机、扳手、榔头、撬杠、钢锯、电锤、塞尺等。
2.3作业条件2.3.1机房门窗要齐全,地面干净,照明符合有关要求,且有足够的作业空间。
2.3.2机房建筑结构必须符合承载力的设计要求,地面孔洞的位置、大小要符合图纸及规范要求。
2.3.3吊装机器的挂钩要符合设计要求。
2.3.4若机器在地面上安装时,地面一定要抹平、抹光。
3、操作工艺3.1工艺流程安装曳引机和导向轮→安装发电机组→安装限速器→安装钢带轮3.2安装承重钢梁3.2.1钢梁安装前要刷防锈漆(交工前再刷一道)。
3.2.2按安装图确定钢梁位置。
1 总则1.1 适用范围本工艺标准适用于额定载重量5000kg 及以下各类曳引驱动电梯安装工程,不适用于液压电梯、自动扶梯、杂货梯的安装。
1. 2 主要参考标准及规范(1) GB 7588-1995《电梯制造与安全规范》(2) GB 8903-1988《电梯用钢丝绳》(3) GN/T10058-1997《电梯技术条件》(4) GB/T10059-1997《电梯试验方法》(5) GB 50310-2002《电梯工程施工质量验收规范》(6) GB 10060-1993《电梯安装验收规范》(7) GB/T12974-1991《交流电梯电动机通用技术条件》(8) GB/T13435-1992《电梯曳引机》(9) JG/T5009-1992《电梯操作装置、信号及附件》(10) JG/T5010-1992《住宅电梯的配置和选择》(11) DBJ 01-26-96《建筑安装分项工程工艺规程(第五分册)》2 术语、符号2.1 术语2.1.1 电梯安装工程installation of lifts,escalators and passenger conveyors电梯生产单位出厂后的产品,在施工现场装配成整机至交付使用的过程。
2.1.2 电梯工程质量验收acceptance of installation quality of lifts, escalators and passenger conveyors 电梯生产企业对安装工程的质量控制资料、隐蔽工程和施工检查记录等档案材料进行审查,对安装工程进行普查和整机运行考核,并对主控项目全检和一般项目抽检,根据本企业工艺标准对工程质量做出确认。
2.1.3 曳引驱动电梯traction drive lift提升钢丝绳靠曳引轮槽的摩擦力驱动的电梯。
2.1.4 再平层re-levelling轿厢停住后,允许在装载或卸载期间进行校正轿厢停止位置的一种操作,必要时可使轿厢连续运动(自动或点动)。
电梯轿厢安装施工工艺标准依据标准:《建筑工程施工质量验收统一标准》GB50300-2001《电梯工程施工质量验收规范》GB50310-20021、范围本工艺标准适用于额定载重量5000kg及以下,额定速度3m/s及以下各类国产曳引驱动电梯轿厢安装工程。
2、施工准备2.1设备、材料要求:2.1.1轿厢零部件应完好无损,数量齐全。
规格符合要求。
2.1.2各传动、转动部件应灵活,可靠(如安全钳连动机构)。
2.1.3方木(200×200)或工字钢(I20#),M16膨胀螺栓,100×100角钢,直径大于50mm 的圆钢或φ75×4的钢管,8#铅丝。
2.2主要机具:2.2.1电锤、倒链(3t以上)、钢丝绳扣、活扳子、鎯头、手电钻、水平尺、线坠、钢板尺、盒尺、圆锉。
2.3作业条件:2.3.1机房装好门窗,门上加锁,严禁非作业人员出入,机房地面无杂物。
2.3.2顶层脚手架拆掉后,有足够作业空间。
2.3.3施工照明应满足作业要求,必要时使用手把灯。
2.3.4导轨安装、找正完毕。
2.3.5顶层厅门口无堆积物,有足够搬运大型部件的通道。
3、操作工艺3.1工艺流程:准备工作→安装底梁→安装立柱→安装上梁→装轿厢底盘→安装导靴→安装围扇→安装轿门→装轿顶装置→装限位开关碰铁→安装调整超载、满载开关3.2准备工作:3.2.1在顶层厅门口对面的混凝土井壁相应位置上安装两个角钢托架(用100×100角钢),每个托架用三条φ16膨胀螺栓固定。
在厅门口牛腿处横放一根木方。
在角钢托架和横木上架设两根200×200木主(或两根20#工字钢)。
然后把木方端部固定(图3.2.1)。
图3.2.1大型客梯及货梯应根据梯井尺寸计算来确定方木及型钢尺寸、型号。
3.2.2若井壁为砖结构,则在厅门口对面的井壁相应位置上剔两个与木方小大相适应的洞,用以支撑木方一端(图3.2.2)。
图3.2.23.2.3在机房承重钢梁上相应位置(若承重钢梁在楼板下,则在轿厢绳孔旁)横向固定一根直径不小于φ75×4的钢管,由轿厢中心绳孔处放下钢丝绳扣(不小于φ13),并挂一个3吨倒链,以备安装轿厢使用(图3.2.3)。
国产曳引驱动电梯电气设备安装工艺标准1 范围本工艺标准适用于额定载重量5000kg及以下、额定速度3m/s及以下的各类国产曳引驱动电梯电气设备安装工程。
2 施工准备2.1 设备、材料要求:2.1.1 各电气设备及部件的规格、数量、质量应符合有关要求,各种开关应动作灵活可靠;控制柜、励磁柜应有出厂一合格证。
,2.1.2 槽钢、角钢无锈蚀,膨胀螺栓、螺丝、射钉、射钉子弹、电焊条等的规格、性能应符合图纸及使用要求。
2.2 主要机具:电焊机及电焊工具、线坠、钢板尺、扳手、钢锯、盒尺、射钉器、防护面罩、电锤、脱线钳、螺丝刀、克丝甜、电工刀、手电钻。
2.3 作业条件:2.3.1 机房、井道的照明要求同第二章的有关要求。
2.3.2 开慢车进行井道内安装工作时各层厅门关闭,门锁良好、可靠,厅门不能用手扒开。
3 操作工艺3.1 工艺流程:3.2 安装控制柜3.2.1 根据机房布置图及现场情况确定控制柜位置。
一般应远离门窗,与门窗、墙的距离不小于600mm,并考虑维修方便。
3.2.2 控制柜的过线盒要按安装图的要求用膨胀螺栓固定在机房地面上。
若无控制柜过线盒,则要制作控制柜型钢底座电混凝土底座(图5-100)。
控制柜与型钢底座采用螺丝连接固定。
控制柜与混凝土底座采用地脚螺丝连接固定。
3.2.3 控制柜安装固定要牢固。
多台柜并排安装时,其间应无明显缝隙且柜面应在同一平面上。
3.2.4 小型的励磁柜安装在距地面高1200mm以上的金属支架上(以便调整)。
3.3 安装极限开关:3.3.1 根据布置图,若极限开关选用墙上安装方式时,要安装在机房门入口处,要求开关底部距地面高度1.2~1.4m。
当梯井极限开关钢丝绳位置和极限开关不能上下对应时,可在机房顶板上装导向滑轮,导向轮位置应正确动作灵活、可靠(图5-101)。
极限开关、导向滑轮支架分别用膨胀螺栓固定在墙上和楼板上。
钢丝绳在开关手柄轮上应绕3~4圈,其作用力方向应保证使闸门跳开,切断电源。
曳引电梯施工工艺标准一、曳引电梯井道测量及放线施工工艺标准工艺流程• 1.搭设样板架→2.测量井道、确定基准线→3.样板就位,挂基准线→4.机房放线3.样板就位,挂基准线•基准线共计10根,其中: a.轿厢导轨基准线4根;b.对重导轨基准线4根;c.厅门地坎基准线2根(贯通门4根)。
4.机房放线•用线坠通过机房预留孔洞,将井道样板上的轿厢导轨轴线、轨距中心线等引至机房地面。
•以各轴线、中心线及其垂直交叉点为基准,划出各绳孔的准确位置。
•根据划线的准确位置,修正各预留孔洞,并确定承重钢梁(墩)及曳引机的位置。
质量标准主控项目基准线尺寸必须符合图纸要求,各线偏差不大于0.3mm。
基准线必须保证垂直。
一般项目样板架水平偏差不大于2/1000。
并列电梯、厅门中心距偏差不大于20mm。
相对电梯、厅门中心线偏差不大于20mm。
二、曳引电梯导轨支架和导轨安装工艺标准工艺流程• 1.确定导轨支架位置→2.安装导轨支架→3.安装导轨→4.调校导轨1.确定导轨支架位置2.1.1最下一排导轨支架安装在底坑地面以上1000mm的位置;最上一排导轨支架安装在井顶板以下不大于500mm的位置。
在确定导轨支架位置的同时,还应考虑导轨连接板(接道板)与导轨支架上能相碰,错开的净距离上小于30mm。
2.1.2以最下层导轨支架为基点,往上每隔2000mm设一排支架,如遇到接道板可适当放大间距,但最大上应大于2500mm。
2.安装导轨支架2.2.1混凝土现浇结构,则采用膨胀螺栓直接固定导轨支架。
2.2.2若厂家无要求,膨胀螺栓的规格不小于φ16mm。
3.安装导轨2.3.1底坑固定好导轨底座,并找平垫实,其水平误差不大于1/1000。
2.4.2两导轨的侧工作面和端面接头处的台阶应不大于0.05mm质量标准•如超过应修平,修平长度应大于300mm。
•导轨接头处缝隙不应大于1.0mm,导轨工作面接头处台阶不应大于0.15mm。
三.曳引电梯轿厢及对重安装施工工艺标准工艺流程1.准备工作→2.安装底梁→3.安装立柱→4.安装上梁→5.安装轿底→6.安装导靴→7.安装轿壁、轿顶→8.安装轿门装置及开门机构→9.安装轿厢其它装置→10.对重框架吊装就位→11.对重导靴安装调整→12.安放对重块并固定•块数=[轿厢自重+额定载荷×(0.4~0.5)-对重框架重]÷每块配重的重量•质量标准•启闭轻快平稳、无冲击震动。
国产曳引驱动电梯的对重安装工艺标准
1 范围
本工艺标准适用于额定载重量5000kg及以下,额定速度3m/s及以下各类国产曳引驱动电梯的对重安装工程。
2 施工准备
2.1 设备、材料要求:
2.1.1 对重架规格应符合设计要求,完整、坚固,无扭曲及损伤现象。
2.1.2 对重导靴和固定导靴用的螺丝规格、质量、数量应符合要求。
2.1.3 调整垫片应符合要求。
2.2 主要机具:
倒链、钢丝绳扣、木方。
2.3 作业条件:
2.3.1 对重导轨安装、调整、验收合格后,在底层拆除局部脚手架排档,以对重能进入井道就位为准。
2.3.2 井道内电焊把线、照明线等整理好,具有方便的操作场地。
3 操作工艺
3.1 工艺流程:
3.2 吊装前的准备工作:
3.2.1 在脚手架上相应位置(以方便吊装对重框架和装入坨块为准)搭设操作平台(图5-32)。
3.2.2 在适当高度(以方便吊装对重为准)的两相对的对重导轨支架上拴上钢丝绳扣,在钢丝绳扣中央悬挂一倒链。
钢丝绳扣应拴在导轨支架上,不可直接拴在导轨上,以免导轨受力后移位或变形。
3.2.3 在对重缓冲器两侧各支一根100mm100mm木方。
木方高度C=A+B+越程距离(图5-33)。
越程距离见表5-8。
3.2.4 若导靴为弹簧式或固定式的,要将同一侧的两导靴拆下。
若导靴为滚轮式的,要将四个导靴都拆下。
3.3 对重框架吊装就位:
3.3.1 将对重框架运到操作平台上,用钢丝绳扣将对重绳头板和倒链钩连在一起(图5-34)。
3.3.2 操作倒链,缓缓将对重框架吊起到预定高度,对于一侧装有弹簧式或固定式导靴的对重框架,移动对重框架,使其导靴与该侧导轨吻合并保持接触,然后轻轻放松倒链,使对重架平稳牢固地安放在事先支好的木方上,未装导靴的对重框架固定在木方上时,应使框架两侧面与导轨端面距离相等。
3.4 对重导靴的安装、调整:
3.4.1 固定式导靴安装时要保证内衬与导轨端面间隙上、下一致,若达不到要求要用垫片进行调整(图5-35)。
3.4.2 在安装弹簧式导靴前,应将导靴调整螺母紧到最大限度,使导靴和导靴架之间没有间隙,这样便于安装(图5-36)。
3.4.3 若导靴滑块内衬上、下与轨道端面间隙不一致,则在导靴座和对重框架间用垫片进行调整,调整方法同固定式导靴。
3.4.4 滚轮式导靴安装要平整,两侧滚轮对导轨压紧后两滚轮的压簧量应相等,压缩尺寸应按制造厂规定。
如无规定则根据使用情况调整压力适中,正面滚轮应与道面压紧,轮中心对准导轨中心(图5-37)。
3.5 对重块的安装及固定:
3.5.1 装入相应数量的对重块。
对重块数应根据下列公式求出:
装入的对重块数=
3.5.2 按厂家设计要求装上对重块防震装置。
图5-38为挡板式防震装置。
4 质量标准
4.1 保证项目:
上、下导靴应在同一垂直线上,不允许有歪斜、偏扭现象。
4.2 基本项目:
导靴组装应符合以下规定:
4.2.1 采用刚性结构,能保证对重正常运行,且两导轨端面与两导靴内表面间隙之和不大于2.5mm。
4.2.2 采用弹性结构,能保证对重正常运行,且导动端面与导靴滑块面无间隙,导靴弹簧的伸缩范围不大于4mm。
4.2.3 采用滚轮导靴,滚轮对导轨不歪斜,压力均匀,中心一致,且在整个轮缘宽度上与导轨工作面均匀接触(参见3.4条)。
检验方法:观察和尺量检查。
5 成品保护
5.1 对重导靴安装后,应用旧布等物进行保护,以免尘渣进入靴衬中,影响其使用寿命。
5.2 施工中要注意避免物体坠落,以防砸坏导靴。
5.3 对重框架的运输、吊装和装坨块的过程中,要格外小心,不要碰坏已装修好的地面、墙面及导轨和其它设施,必要时要采取相应的保护措施。
6 应注意的质量问题
6.1 导靴安装调整后,各个螺丝一定要紧牢。
6.2 若发现个别的螺孔位置不符合安装要求,要及可解决。
绝不允许空着不装。
6.3 吊装对重过程中,不要碰基准线,以免影响安装精度。