水质自动采样器建设要求.(优选)
- 格式:doc
- 大小:37.50 KB
- 文档页数:4
水污染源在线监测系统安装技术规范(HJ/T353-2007) 1适用范围1.1本标准规定了水污染源在线监测系统中仪器设备的主要技术指标和安装技术要求,监测站房建设的技术要求,仪器设备的调试和试运行技术要求。
1.2本标准适用于安装于水污染源的化学需氧量(CODCr )水质在线自动监测仪、总有机碳(TOC)水质自动分析仪、紫外(UV )吸收水质自动在线监测仪、氨氮水质自动分析仪、总磷水质自动分析仪、pH水质自动分析仪、温度计、流量计、水质自动采样器、数据采集传输仪的设备选型、安装、调试、试运行和监测站房的建设。
2规范性引用文件本标准内容引用了下列文件中的条款。
凡是不注日期的引用文件,其有效版本适用于本标准。
GB 11914 水质化学需氧量的测定重铬酸盐法GB 50093 自动化仪表工程施工及验收规范GB 50168 电气装置安装工程电缆线路施工及验收规范HBC 6-2001 环境保护产品认定技术要求化学需氧量(CODCr )水质在线自动监测仪HJ/T 15 超声波明渠污水流量计HJ/T 70 高氯废水化学需氧量的测定氯气校正法HJ/T 96-2003 pH水质自动分析仪技术要求HJ/T 101-2003 氨氮水质自动分析仪技术要求HJ/T 103-2003 总磷水质自动分析仪技术要求HJ/T 104-2003 总有机碳(TOC)水质自动分析仪技术要求HJ/T 191-2005 紫外(UV )吸收水质自动在线监测仪技术要求HJ/T 212 污染源在线自动监控(监测)系统数据传输标准JB/T 9248 电磁流量计ZBY 120 工业自动化仪表工作条件温度、湿度和大气压力3术语和定义下列术语和定义适用于本标准。
3.1水污染源在线监测仪器指在污染源现场安装的用于监控、监测污染物排放的化学需氧量(CODCr )在线自动监测仪、总有机碳(TOC)水质自动分析仪、紫外(UV )吸收水质自动在线监测仪、pH水质自动分析仪、氨氮水质自动分析仪、总磷水质自动分析仪、超声波明渠污水流量计、电磁流量计、水质自动采样器和数据采集传输仪等仪器、仪表。
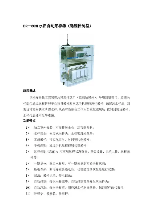
DR—803I水质自动采样器(远程控制型)
应用概述
该采样器独立安装在污染源排放口(监测站房外),环境监察部门、监测采样部门通过远程管理平台预设采样时间或手机遥控进行采样,预留污水样品,到现场可轻松获取所需水样,从而有效解决工作人员重复跑现场、夜间到现场采样、水样代表性不足等难题。
功能特点
1)独立室外安装,不受排污企业、运营商限制;
2)水样安全:固定式采样头,全程密封式管路;
3)常规采样:可实现定时、时间等比例采样;
4)手机控制:通过手机远程控制仪器采样;
5)远程控制(选配):可实现远程状态查询、参数设置、记录上传、远程采样等;
6)一键复位:取走水样后,可一键恢复到初始采样状态;
7)断电保护:断电并重新通电后,仪器能自动恢复原运行状态;
8)记录:采样记录、停电记录;
9)自动排空:每次采样完毕,自动排空管路并反吹采样头;
10)自动润洗:每次采样前,用待测水样润洗管路,保证留样的代表性;11)体积小、易安装、易维护。
技术指标
采样瓶规格:500ml×4瓶
单次采样量(5~500)ml
采样间隔(2~9999)min
采样记录1000条
采样量误差±7%
采样垂直高度≥8m
水平采样距离≥80m
管路系统气密性≤-0.085MPa 平均无故障连续运行时间(MTBF)≥1440h/次
通讯接口RS-232/RS-485
工作电压AC220V±10%,50Hz±1Hz
工作温度-15℃~50℃
工作湿度≤85%RH。
水质留样规范各县(市)、区环保分局,高新区*,循环化工园区*:为加强对废水排污单位主要污染物排放情况实施自动监控,规范水质自动采样器功能和技术指标,现将有关要求通知如下。
一、基本要求1.具有*环境监测仪器质量监督检验中心出具的产品适用性检测合格报告和国家环境保护产品认证证书,并在有效期内;2.符合国家、省、市相关标准、规范和要求。
二、功能要求水质自动采样器具有采集混合水样、混匀、主动给分析仪供样、超标留样、冷藏所留水样的功能;水质自动采样器每次给分析仪供样前应对水样进行搅拌混匀;水质自动采样器具有定时采样、时间等比例采样、流量等比例采样、流量跟踪采样、外部触发采样、远程控制采样等模式;水质自动采样器具有自动润洗功能,每次采样前应用水样对采样管路进行自动润洗;水质自动采样器具有双采样桶交替采样、供样功能,能够为分析仪提供不间断的混合水样;水质自动采样器具有超标留样、定时留样、监督性监测留样、平行留样功能;水质自动采样具有分瓶采样、混合采样功能;任何一个监测因子超标均应启动超标留样,水质自动采样器所留水样应与分析仪所分析样品为同一样品;水质自动采样器水样冷藏箱采用压缩机制冷,具有温度显示、数字控温功能;水质自动采样器每次留样后同步记录留样瓶号、留样时间、留样量等信息;水质自动采样器具有冷藏箱开关门检测功能,同步记录开门时间、关门时间等信息;水质自动采样器具有物理锁和电子门禁功能;水质自动采样器具有4~20mA、RS-232通讯接口,持MODBUS RTU通讯协议;具备时间同步功能;可通过通讯接口对水质自动采样器的状态参数和数据记录进行远程读取,可对工作参数进行远程读取和设置。
三、技术指标留样瓶数量及容量:留样瓶数不少于24个,留样瓶容量少1L,留样瓶应为圆形或矩形,以方便周转和运输;采样速率:≥350mL/min;采样量误差:±7%;等比例采样量误差:±8%;系统时钟时间控制误差:△1≤0.1%及△12≤30s;冷藏箱温度控制误差:±2℃;水平采样距离:≥80米;采样垂直高度:≥8米;管路系统气密性:≤-0.085MPa;小采样间隔:≤10min;单采样桶容积:≥3L;留样记录存贮量:≥5000条记录;开关门记录存贮量:≥1000条记录;4~20mA模拟信号接口:≥4路;RS-232通讯接口:≥3路;数字量输入接口:≥3路;平均无故障连续运行时间:≥1440h/次;绝缘阻抗:20MΩ。
8000F型自动水质采样器一、产品概述:8000F型(混采便携式)自动水质采样器是青岛聚创环保设备有限公司最新研发、生产、推出的用于地表水和污水采样、对水源进行监测、开展污染源调查及总量控制的专用环境监测仪器。
它采用国际上通用的蠕动泵取水方式,由单片机控制工作。
用户可根据需要采集不同等时的混合水样,根据需要输入采样时间间隔、采样量及采样时间。
它可在线自动完成相应的工作。
广泛应用于城市排水监测及工矿企业排污监测。
是各级环境监测、监理站进行水污染监测工作和环保科研部门开展研究工作的必备仪器之一。
满足由国家环保局发布的HJ/T91-2002《地表水和污水监测技术规范》中对采样的要求。
二、主要性能指标:1、采样控制:时间控制采样,采样时间间隔:3~9999分钟,任意设定,增量1分钟。
2、采样方式:等时混合平均样:混合水样个数N:1~200任意设定。
3、系统时钟时间控制误差:△1≤0.1%及△12≤30S。
4、吸程:8米。
5、水平采样距离:50米,具有采样管自动冲洗功能。
6、管路系统气密性: ≤-0.05MPa。
7、采样重复精度:±5ml。
8、采样量误差:±5%9、平均无故障连续运行时间(MTBF): ≥3000h/次。
10、储水容器(选配):1个5升或10升聚乙烯桶。
11、大屏幕2.8TFT真彩触摸屏,全部中文菜单,人机对话方式,需要人为干预的时侯均有中文提示。
12、工作环境温度:-5℃至+50℃。
13、电源:DC12V蓄电池或AC220V±10%,亦可交直两用。
14、功率:40W。
15、绝缘阻抗:>20MΩ。
16、流量:3.7L/min,泵管内径10mm,高强度医用硅胶管17、工作环境温度:-5℃至+50℃。
18、软件密码锁,可以保护仪器内设置的程序不被修改。
19、外形尺寸:380mm´360mm´860mm(长´宽´高)。
20、重量:18Kg。
水质自动采样器安全操作及保养规程一、前言水质自动采样器是现代水质监测装备之一,它的出现、应用使得水质监测的工作更加方便、高效。
然而,也有一些安全问题需要注意。
为了保证操作人员和设备的安全,现编制本文,介绍水质自动采样器的安全操作及保养规程,以便广大水质监测人员参考和遵守。
二、操作规程1.安装原则:(1)选择安装设备的场所应符合当地相关规定,如设有防雷设施、安全出口、消防设施等;(2)安装设备的地点应平整、通风、干燥,应远离易燃易爆物品和强电磁场;(3)选取适当的地方放置自动采样器,保持水平和垂直,同时配备良好的支撑设备;(4)其电源线应分别接到电源开关和保险盒中,并装有接地线。
2.操作流程:(1)接通电源后,开启采样器,确保设备前后状态正确,然后进行采样模式设置;(2)操作前应先执行预冲洗,随后根据具体需要设置采样器的采样频次和采样体积等参数;(3)每次操作前应检查所有连接的水管、阀门是否牢固、管路是否有渗漏;(4)执行采样过程时,应注意观察监测设备的工作状态,如出现异常情况应立即停止工作,检查仪器是否存在问题;(5)采样被中断时,应记录异常痕迹并及时按照实际情况采取相对措施。
3.操作注意事项:(1)每次操作后应及时清除采样器中的各种垃圾、污染物等;(2)操作过程中,严禁向水体中排放任何有害物质;(3)当采样出现不正常情况时,应立即按下急停按钮,正常情况下不要随意按下该按钮。
三、保养规程1.设备日常保养:(1)每次采样结束后,应将采样器中的水洗净,防止管道堵塞或劣化等问题发生;(2)每隔一定时间应对采样器进行洗消,以保证设备的清洁度和卫生性,同时防止维修维护时受到感染;(3)设备的老化和零部件磨损应及时检测和维护。
2.设备运行保养:(1)设备日常运行前,应先进行采样器的预热,以保证设备正常工作状态;(2)定期对设备进行检查和维护,如检查定位轴是否松动、采样器中心轴线是否偏移等;(3)设备远离火源,应定期清洗设备表面,以防火灾等事故发生。
地表水水质自动监测系统建设与运行技术要求小型式站房及采排水技术要求1、小型式站房基本要求:小型式站房属于一体化站房,具有用地面积更小,安装方便等特点。
在用地面积不具备固定式站房同时也无法建立40㎡的简易站房时可考虑小型式站房。
小型式站房需满足水质自动监测系统所需主体建筑物和外部配套设施要求,外部配套设施是指引入清洁水、通电、通讯和通路,以及周边土地的平整、绿化等。
1.1、站房结构技术要求(1)小型式站房由外箱体、内部金工件及附件装配组成。
(2)具有密闭性能、防水防冲击性能,整体防护等级达到IP54以上。
(3)具有耐腐蚀性能:外表面喷塑或喷涂专用防锈漆。
(4)内部进行隔热保温处理。
夹层采用防火隔热的岩棉。
(5)预留给、排水口,方便监测水样和自来水供给及站房废水排放。
(6)外壳材料采用2mm热浸锌板或者不锈钢板。
(7)表面处理:热浸锌板需要脱脂、除锈、防锈磷化(或镀锌)、喷塑。
(8)机柜承重不低于600Kg。
(9)阻燃:符合现行国家标准《电工电子产品着火危险试验试验方法扩散型和预混合型火焰试验方法》(GB/T 5169.7)实验A要求。
(10)绝缘电阻:接地装置与箱体金工件之间的绝缘电阻不小于2×104M/500V(直流电)。
(11)耐电压:接地装置与箱体金工件之间的耐电压小于3000V (直流电)/min。
(12)机械强度:各表面承受垂直压力大于980N,门打开后最外端承受垂直压力大于200N。
(13)具有前门及后门,前后均可维护,具备防盗功能。
(14)配置集成空调,自动调节内部温度,满足系统及仪表对温度的要求。
(15)站房的供电具有太阳能供电功能。
2、采水单元建设要求2.1、采水通用要求2.1.1、采水点位要求根据断面的功能确定其水质代表性,监测的结果能代表监测水体的水质状况和变化趋势。
监测断面一般选择在水质分布均匀,流速稳定的平直河段,距上游入河口或排污口的距离不少于1Km,选择在原有的常规监测断面上,以保证监测数据的连续性。
水质自动采样器:科技监控水质,守护生命
之源
水质自动采样器技术要求及检测方法——守护水源安全
随着社会的不断发展,人们对水质的要求也越来越高。
保护水源安全已经成为我们的共同责任。
而水质自动采样器则是用科技手段保障水资源安全的一种有效方法。
本文将介绍水质自动采样器的技术要求及检测方法。
水质自动采样器技术要求:
1. 精度高:自动采样器采样的样品需要准确、可靠。
仪器的抽样量和时间需要精确控制,误差必须小于5%。
2. 可靠性高:自动采样器需要在长时间内保持良好的运行状态,稳定性要高,以保证数据准确。
3. 适用性广:不同的水质环境下,需要选择不同的采样模式,如流量采样、时间采样等。
4. 操作简单:操作人员不需要太高的专业知识,仪器简单易用。
5. 维护方便:设备维护和保养不应过于麻烦。
水质自动采样器检测方法:
1. 确认仪器的基本信息:如仪器型号、生产厂家、出厂时间等。
2. 检查采样器的稳定性:采样器运行时间长度、小样品采集数量、时间间隔和波动范围都是影响稳定性的主要因素。
3. 检查采样器的精度:检查自动采样器真实的采样量和设置采样
量之间的误差。
4. 检查采样器的刷新性:这是指采样器在取样过程中是否可以充
分地混合水样。
5. 检查采样器的消耗品状况:如电极、过滤器等。
总之,水质自动采样器是一种方便、高效、准确的水质监测设备,其技术要求和检测方法都非常重要。
只有掌握了这些要点,才能有效
地保护水资源,维护我们的生命之源。
国家地表水水质自动监测站站房及采水技术要求一、适用范围本技术要求规定了国家地表水水质自动监测站(以下简称水站)的选址、站房建设和采水单元具体内容和要求,主要适用于国家水站建设,地方环保部门水站建设可参照执行。
二、编制依据(一)《生态文明体制改革总体方案》(中发〔2015〕25号)(二)《关于印发生态环境监测网络建设方案的通知》(国办发〔2015〕56号)(三)《关于印发水污染防治行动计划的通知》(国发〔2015〕17号)(四)《关于深化环境监测改革提高环境监测数据质量的意见》(厅字〔2017〕35号)三、站址选择(一)基本条件为保证水站水质的代表性、站点的长期性、系统的安全性和运行维护的经济性,水站站址选择应考虑以下基本条件:1.基础建设的可行性和经济性,具备土地、交通、通讯、电力、自来水或自备井等条件,基本不阻碍防洪要求,便于水站日常运行和管理。
2.水站站址尽可能选择国控手工监测断面处,以保证监测数据的连续性。
现场确不具备建站条件需另外选址的,须满足以下要求:(1)水站站址与手工监测断面之间无支流、排污口汇入。
(2)水站站址和手工监测断面无水质类别差异,保证断面属性、主要污染物不变。
(3)水站站址与手工监测断面水质的相对偏差(高锰酸盐指数、氨氮、总磷、总氮等)小于等于15%。
(4)水站站址优先选择常年水深比较稳定、能采集到代表性样品的位置。
丰、枯水季节河道摆幅应小于30米,枯水期采水点水深不小于0.5米,采水点最大流速一般应低于3米/秒,便于采水设施的建设和运行维护,保证采水安全。
(5)水站站址距离采水点原则上不超过150米,枯水期时不得超过200米,具备铺设管线和管线保温设施的条件。
(6)水站网络通讯建设应以光纤/ADSL有线网络为主,确实无法满足的,可选用无线网络进行传输,带宽不低于20兆,满足监测数据传输要求。
(二)采水口选址条件为尽可能采集到代表性的样品,真实反映水质状况和变化趋势,同时保证采水设施安全和维护便利,采水口选址应该满足以下条件:1.在不影响航道运行的前提下,采水点尽量靠近主航道。
国家地表水水质自动监测站站房及采水技术要求一、适用范围本技术要求规定了国家地表水水质自动监测站(以下简称水站)的选址、站房建设和采水单元具体内容和要求,主要适用于国家水站建设,地方环保部门水站建设可参照执行。
二、编制依据(一)《生态文明体制改革总体方案》(中发〔2015〕25号)(二)《关于印发生态环境监测网络建设方案的通知》(国办发〔2015〕56号)(三)《关于印发水污染防治行动计划的通知》(国发〔2015〕17号)(四)《关于深化环境监测改革提高环境监测数据质量的意见》(厅字〔2017〕35号)三、站址选择(一)基本条件为保证水站水质的代表性、站点的长期性、系统的安全性和运行维护的经济性,水站站址选择应考虑以下基本条件:1.基础建设的可行性和经济性,具备土地、交通、通讯、电力、自来水或自备井等条件,基本不阻碍防洪要求,便于水站日常运行和管理。
2.水站站址尽可能选择国控手工监测断面处,以保证监测数据的连续性。
现场确不具备建站条件需另外选址的,须满足以下要求:(1)水站站址与手工监测断面之间无支流、排污口汇入。
(2)水站站址和手工监测断面无水质类别差异,保证断面属性、主要污染物不变。
(3)水站站址与手工监测断面水质的相对偏差(高锰酸盐指数、氨氮、总磷、总氮等)小于等于15%。
(4)水站站址优先选择常年水深比较稳定、能采集到代表性样品的位置。
丰、枯水季节河道摆幅应小于30米,枯水期采水点水深不小于0.5米,采水点最大流速一般应低于3米/秒,便于采水设施的建设和运行维护,保证采水安全。
(5)水站站址距离采水点原则上不超过150米,枯水期时不得超过200米,具备铺设管线和管线保温设施的条件。
(6)水站网络通讯建设应以光纤/ADSL有线网络为主,确实无法满足的,可选用无线网络进行传输,带宽不低于20兆,满足监测数据传输要求。
(二)采水口选址条件为尽可能采集到代表性的样品,真实反映水质状况和变化趋势,同时保证采水设施安全和维护便利,采水口选址应该满足以下条件:1.在不影响航道运行的前提下,采水点尽量靠近主航道。
水质自动监测站房建设及配套设施要求(一)站房主体技术要求站房为用于承载系统仪器、设备的主体建造物和外部保障条件。
主体建造物由仪器间、质控用房和生活用房组成。
外部保障条件是指能引入清洁水、通电、有通讯条件和开通的道路以及平整、绿化和固化的站房所辖范围的土地。
主体建造中仪器间用法面积确实定,以满足仪器设备的安装及保证操作人员便利地操作和修理仪器设备为原则,普通不小于40m 。
质控用房和生活用房的用法面积以操作和管理人员实际所需确定。
站房的土建、防雷、供电等需有相应工程资质单位承接施工。
(1)站房基本配置为:仪器用房40m ,其中用于安装仪器的单面延续墙面的净长度不小于8m,工作辅助用房20m ;值守人员生活用房40m 。
(2)站房结构:站房用法砖混结构或框架结构,耐久年限为50年。
(3)抗震设计:按照当地抗震设防烈度举行抗震设计。
(4)站房地面的高度:按照当地水位变幻状况而定,站房地面标高(士0.00)够抵挡50年一遇的洪水。
(5)站房内净空高度:不小于2.7m。
(6)辅助用房:考虑到工作人员在水站工作的便利,建议修建卫生间(厕所)一间。
其他用房可按照需要考虑。
考虑防盗的须要,站房周围应该建围墙、护栏或护网。
(7)辅助设施:站房的避雷系统和地线系统以及采水和给水、排水设施等也与站房建设同步举行。
(8)道路:通往水质自动监测站应有硬化道路路宽≥3.0m,且与干线马路相通。
站房前有适量空地,保证车辆的停放和物资的运送。
(9)站房式样:站房形状的设计因地制宜。
外观美观大方,结构经济有用。
在一些风景区和周边景物协调全都。
(10)站房征地:按照上述要求和当地状况综合考虑征地面积。
并向设计单位提供所征地域的区域图、平面图(1:500或1:1000)。
(11)站房基础及外环境。
站房按照当地地质状况举行设计和建设,遇懦弱地基时做相应的地基处理。
站房周围作水泥混凝土地面;站房外地面平整,周围整洁干净,有利于排水,并有适当绿化。
附件2水质自动站点选址技术要求1、根本要求水质自动监测站位置的选择必须考虑以下几个根本条件:〔1〕根本条件的可行性具备土地、交通、通讯、电力、自来水及地质等良好的根底条件;〔2〕水质的代表性根据监测的目的和断面的功能,具有较好的水质代表性;〔3〕站点的长期性不受城市、农村、水利等建立的影响,比拟稳定的水深和河流宽度,保证系统长期运行;〔4〕系统的平安性自动站周围环境条件平安、可靠;〔5〕运行的经济性便于承当管理任务的监测站日常运行和管理;〔6〕管理的标准性承当运行管理的监测站的管理水平和技术与经济能力。
2、建站根本条件为了系统能长期稳定地运行,选择的站位必须满足以下建立水质自动站的根底条件。
〔1〕交通方便。
自动站离承当管理任务的监测站的交通距离一般不超过100km;〔2〕有可靠的电力保证而且电压稳定;〔3〕具有自来水或可建自备井水源,水质符合生活用水要求;〔4〕有直通〔不通过分机〕通讯条件,而且线路质量符合数据传输要求;〔5〕取水点距站房的距离不超过100m,枯水期时亦不得超过150m,而且有利于铺设管线和管线的保温设施;〔6〕枯水期时的水面与站房的高差一般不超过采水泵的最大扬程;〔7〕断面常年有水,丰、枯季节河道摆幅应小于30m;枯水季节采水点水深不小于1m,保证能采集到水样;采水点最大流速一般应低于3m/s,有利于采水设施的建立和运行维护和平安;3、断面代表性〔1〕一般要求监测断面的代表性应根据断面的功能确定,保证自动站监测的数据能代表需要监测水体的水质状况和变化趋势。
各种功能的监测断面的一般要求是:①监测断面应选择在平直河段,水质分布均匀,流速稳定;②距上游支流集合处或排污口有足够的距离以保证水质的均匀性,一般监测断面距上游入河口或排污口的距离不少于1km;③监测断面尽可能选择原有的常规监测断面上,保证监测数据的连续性。
〔2〕功能断面的要求根据环保管理需要,水质自动监测站点按功能断面不同应设置在背景断面、交接断面、出入河〔湖〕口、入海口和控制断面。
全自动水质自动采样器概述随着现代化城市和工业化城市的不断发展,水污染成为一个全球性的问题。
这些污染导致水质急剧下降,威胁着人类生存的健康和环境的稳定性。
为了改善这种局面,许多环境保护机构都选择使用全自动水质自动采样器。
这种仪器可以自动地从河流、湖泊和其他水源中采集水样,并进行实验室分析。
这样可以确保分析结果的准确性和可靠性。
功能和特点全自动水质自动采样器具有以下功能和特点:1. 自动采样这是全自动水质自动采样器的主要功能之一。
使用者可以事先设置采样时间和采样频率,然后仪器就可以按照设定的时间自动地采集水样。
这种方式比手动采样更加方便,可以省去人工蹲守以及手动抽水的时间和劳动力成本。
2. 多参数检测全自动水质自动采样器可以同时检测多个参数,例如 pH 值、溶解氧、氨氮、总磷、总氮等等。
这些数值可以实时地记录下来,并将数据传输到计算机软件中以便分析。
3. 安装简便全自动水质自动采样器通常具有紧凑的设计和简单的安装程序。
基本上只需将仪器放置在被测的水源附近,并将采集器调整到所需的高度即可。
然后就可以将数据线连接到计算机上,以便数字化记录和分析数据。
4. 多种报警功能全自动水质自动采样器具有许多重要的安全功能,例如低电压音频警报和过压保护等。
这些功能可确保产品不会因电力波动或其他电源故障而受损。
此外,仪器还具有定时采样报警功能,可通过自动化程序来预警设备故障或采样异常情况。
应用领域全自动水质自动采样器适用于以下领域:1. 环境监测全自动水质自动采样器可以用于长期环境监测。
在备受污染的水源中,自动采样器对于实时的水质分析非常有帮助。
此外,这种设备可以在气候变化和季节变化时提供有关水质变化的数据,以协助科学家研究水质问题。
2. 农业全自动水质自动采样器可以用于农业领域,以检测灌溉水的有效性。
这种仪器可以测量土壤中的水份、酸度和其它化学组分,以确定水质是否满足种植作物所需的标准。
此外,还可以分析饮用水以及泥土和污水的样本。
米山水库水质自动监测站监测设备更新及配套设施建设内容及技术要求一、采购内容主要包括水质在线监测仪表、采样器、采、配水单元、预处理单元、系统控制单元及辅助设备、视频监控及配套设施建设等。
具体见下表。
自动站采购及建设内容二、开展的监测项目自动站监测项目为高锰酸盐指数、氨氮、五参数、叶绿素、总磷、总氮共10项。
监测频次为每天监测6次(最高可检测12次),监测时间统一为每天0:00开始,每周监测7天。
三、执行规范及技术标准1、《地表水质量自动监测技术规范》(试行)2、《水污染物排放总量监测技术规范》3、《水和废水监测分析方法》(第四版)4、《国家环境监测技术规范》5、《环境水质监测质量保证手册》6、《地表水环境质量标准》(GB3838-2002)7、《中华人民共和国环境保护行业标准》(HJ/T98-2003)8、《地表水和污水监测技术规范》(HJ/T91-2002 )9、《水质河流采样技术指导》(HJ/T52-1999)10、《高锰酸盐指数水质自动分析仪技术要求》(HJ/T100-2003)11、《氨氮水质自动分析仪技术要求》(HJ/T101-2003)12、《总氮水质自动分析仪技术要求》(HJ/T102-2003)13、《总磷水质自动分析仪技术要求》(HJ/T103-2003)14、《供配电系统设计规范》(GB50052-95)15、《火灾自动报警系统设计规范》(GB50116-98)四:系统建设技术要求(一)仪器设备技术要求1、分析方法要求自动监测仪器的测量原理必须符合中国国家标准分析方法、中国环保行业分析方法或等同的或相近的其他国家的标准分析方法。
2、仪器基本功能2.1应具有仪器基本参数贮存,断电、断水自动保护与来电、来水自动恢复功能。
2.2应具有时间设置功能,可根据需要任意设定监测频次。
2.3应具有仪器故障自动检测自动报警、异常值自动报警及试剂液位报警功能。
2.4应具有自动清洗功能。
2.5应具有定期自动校准功能。
水质等比例采样器一、技术指标要求:1.应用用作地面水、工业废水和城市污水样品的已连续自动收集。
根据水质监测的须要可以将采样器放置至地面水、工厂排污口等取样现场,自动展开瞬间或等比例混合等方式的水质取样。
2.工作条件1)电源:自动污水采样器应能够使用交流与直流电源。
2)交流:220v,?10%,50hz3)直流:12v或24v,对采样器持续供电时间长于24小时4)环境温度:-2℃~40℃5)相对湿度:?90%6)水样ph值范围:0~143.自动污水采样器1)采样泵类型:高速蠕动泵,四转子,2)水样最大垂直提升高度:8.5m3)取样速度:在提高高度为3英尺,并且取样管径为3/8英寸(0.95cm)时,取样速率为4.8l/min(80ml/s)4)噪声:?50db4.自动污水采样器基本性能1)采样方法:连续或混合定时采样,以及连续或混合流量采样(流量采样方式由流量计输出脉冲控制)2)取样频率:可编程掌控,1分钟-1440分钟或更长,以1分钟为取样间隔的增量;或者由外接断路器脉冲掌控,以1个脉冲为调节增量,范围可以超过1-2880个脉冲或更多3)单次取样体积:以ml为单位,范围10ml~10000ml(可任意设置)4)分瓶范围:1~24瓶(可任意设置)5)取样量再现性:?10%6)采样量误差(样品体积重复性):±5%7)取样瓶规格与数量:1l聚乙烯取样瓶,最多仅约24个8)取样泵掌控:采样器内置控制器掌控5.取样操作方式建议:每个采样周期应包括用空气清除前一个水样,然后以待采水样冲洗采样管道的操作程序,从而使得样品间的交叉污染减小到最低程度,并且能清除管道中的沉淀物。
6.时间掌控:采样器内置控制器必须以石英钟进行时间控制,采样时间控制精度应优于?1秒/天。
7.采样器防水性能:采样器要具有坚固的防护外壳,可抗风雨、抗撞击和震动。
二、布局建议:数量:水质等比例采样器2套每套配置如下:1.移动式、可编程掌控吸入式便携自动采样器一套,采样器直径或最小横截面尺寸应当等同于或大于650mm;2.聚乙烯取样瓶,1再升/个,24个;3.过滤器1套;4.25英尺3/8英寸进样管1套;5.泵管插头1套;6.仪器软件和相连接电缆1套;7.电池,拎3针接点1套;8.电池充电器1套。
水质自动采样器建设要求
仅以市场主流产品全自动水质采样器(LFLY-DW2004)为例说明水质自动采样器建设要求。
一、产品特性
LFLY-DW2004全自动水质留样系统是力合科技(湖南)股份有限公司自主研制开发的水质留样仪器,其主要特点有:采样方式:自动采样、手动采样、随机采样;
触发方式:常规采样、瞬时采样、等时等比例采样、远程遥控采样;
样品冷藏、自动混合样品、分项目样品贮存;
关键部分采用不锈钢设计,避免用生锈而影响工作;
可接流量计、PH计等外设,并自动采集流量和PH值进行显示和传送到中心平台;
冷藏系统可使水样恒温在设定的温度的±1℃范围内,如设定为4℃,系统会恒温在4±1℃范围内;
水样储存温度:0℃~20℃可调;
手动、等时及等比三种工作模式可选;
具有高灵敏度进样液位检测器;
可自动将所有数据传送到中心平台服务器进行存储和处理;
5.7英寸TFT液晶显示(320*240),可以图形显示当前
12个留样瓶的储水状态;
具备数字(RS232或RS485)和模拟(4~20mA,0~20mA,0~24mA,0~5V)输出(选配)
可根据外接(4~20mA)信号进行相应的显示和以及对强电的反控;
自动打印留样结果(选配);
具有自动清洗、反吹洗和润洗的功能;
具有缺水样报警功能;
采样量只能在采样成功后自动存储,不会误报采样量;
自动加密、故障报警
分装方式:可采混合样和平行样。
采样系统与其他在线系统兼容,超标留样功能要求保证采样分析的水样和超标所留水样为同一个水样。
工作温度:额定工作温度为-5℃~55℃;
相对湿度:≤90%RH;
电源电压:交流220V±10%;
电源频率:50Hz±1Hz。
技术参数
液体感应器单个,非接触,电容传感式液体传输速率0.6m/s(垂直提升5m处)
其他可详细记录采样正常/失效、电源关闭等各种操作设置信息;自带门禁系统,可独立运行,具有自动留样、自动排空、自动清洗功能,可实现循环留样;
最新文件---------------- 仅供参考--------------------已改成-----------word文本--------------------- 方便更改。