多乐信工业除湿机DR-1382L除湿机使用说明书
- 格式:pdf
- 大小:2.66 MB
- 文档页数:6
工业除湿机的使用方法
工业除湿机那可是个大宝贝!咱先说说使用方法哈。
嘿,你知道不?使用前得先找个合适的位置放好,可不能随便乱丢乱放。
通上电,设置好湿度参数,就开始工作啦。
简单不?就像打开电视一样容易。
使用过程中安全稳定那是必须的。
这工业除湿机就像一个靠谱的老伙计,稳稳当当工作,不会出啥幺蛾子。
你想想,要是它不安全不稳定,那不得让人提心吊胆啊?
再说说应用场景和优势。
工厂、仓库这些地方,那湿气重得很,工业除湿机一上场,立马解决问题。
它就像一个超级英雄,拯救潮湿的世界。
优势可多啦,高效除湿,速度快得很。
还能保护设备,延长使用寿命,这多棒啊!
给你举个实际案例。
有个工厂,以前仓库里总是湿漉漉的,货物都快发霉了。
后来用上了工业除湿机,哇,那效果,简直绝了。
仓库变得干爽舒适,货物也安全了。
工业除湿机就是这么厉害,用起来方便,安全稳定,优势多多,实际效果还超棒。
你还等啥呢?赶紧用起来吧!。
設備操作說明書 第1页共1页 設備名稱
除濕機 設備功能 除濕 文件編號 設備型號 DH-81500 廠商 版次 A0 核准 審核 製作 日期 一﹑面板介紹﹕
1.操作面板
2.機箱
3.儲水箱門
4.顯示面板
5. 溫濕度設置鍵
6.溫/濕度轉換鍵
7.高/低速設置
8.電源開關鍵 二﹑操作﹕
1. 設備接通電源220V ﹐顯示面之各指示燈工作。
2. 按下“開關”鍵﹐設備通電工作。
3. 根據濕度要求﹐按下“設定”鍵設置濕度值。
4. 按下“風速”鍵﹐可設置設備風機高﹑/低速運轉。
5. 按下“℃/%轉換”鍵﹐可轉換溫度和濕度顯示。
6. 設置完成后﹐設備即可正常運行。
三﹑注意事項﹕
1. 保証設備表面清潔。
2. 每天將設備除濕機之水倒掉并清潔。
3. 設備四面需與牆壁隔離10~20CM ﹐以確保設備散熱。
4. 每周對設備進氣口過濾網清潔﹐保証設備除濕效果。
1 5 6
2 4
3 7 8。
除湿机操作规程1.检查主风机的空气滤网是否清洁,三片滤网一定要做好清洁工作;2.检查除湿风机的滤网的清洁程度;3.做好机器内部的清洁工作;4.检查主风机的出风口不能少于4个;5.查看电压表电压是否正常,旋动相序开关,看三相电压是否平稳、相等相序红灯是否亮,如果相序红灯亮,必须换相后才能开机;6. 开配电盘内部的空气开关,表板面的通风除湿旋钮如果是用于通风就旋向通风方向,如果是用于除湿就旋向除湿,主加热开关有二格,开机前放在关闭位置;7. 下起动开关主机起动,当电流表电流下降时,主机起动转为运行,查看主风机的出风量,除湿风机工作是否正常,温度控制器所显示的温度是否上升,确认一切正常后,如果需要用加热的打开加热开关,除湿机处于正常的工作状态。
8.如果在使用中,突然停电,请立即打开主风机室加热器的后盖进行通风冷却,以免烧坏除轮。
9. 要检查发电机是否有良好的接地,发电到配电盘及供电线路的电缆都要有良好的绝缘;10.检查柴油箱的油,冬季要用T0#轻柴油,打开油箱下面的排污阀,放掉油箱中沉淀的水和污物;11.检查曲轴箱的机油量要符合标高的要求,并检验机油的粘度和清洁度;12.检查高压油泵调整器及凸轮箱体的机油高度是否要求;13.查高压油泵调整器及凸轮箱体的机油高度是否要求;14.查水箱的水是否加足,冬季要加防冻液;15.检查电瓶的液面高度,及各连接头是否连接可靠,接头是否清洁,以免起动烧坏接头。
16.检查风扇皮带的松紧度,要符合使用要求;17.断开配电盘的主控制开关,线路上应无任何负载;18.柴油机的起动程度:17.1查机组的各连接锣栓是否紧固,特别是主机和共用底座;17.2在确认上述没有问题,都符合要求,打开油箱开关,用柴油手动泵泵柴油放尽油路中空气,然后锁紧手动泵;17.3摇动机油粗滤器刮杆3-4圈;17.4打开锅匙开关,按下机油泵开关,看到压力表微动时松开按钮;17.5用手旋动手油门约13-14次,按下起动按钮,起动柴油机,在45秒钟内如不能起动柴油机,松开按钮,等2分钟再起动,在这2分钟内把油路中的空气再用手动泵泵一下,如果气温。
除湿机操作规程除湿机操作规程一、前期准备工作1. 确保除湿机安装平稳,并与电源插座连接稳固。
2. 检查除湿机是否有任何损坏或泄漏的现象,如有问题请及时联系维修人员进行检修。
3. 清除除湿机周围的障碍物,确保其正常运行。
4. 准备好必要的工具和材料。
二、开机操作1. 打开除湿机控制面板上的电源开关。
2. 按照除湿机说明书上的指引,调整合适的湿度设置。
通常推荐的湿度范围是40%~60%。
3. 根据需要选择合适的除湿模式,如通风、智能、强力等。
4. 开启风速调节,根据需要选择合适的风速档位。
5. 仔细观察除湿机面板上的显示屏,确认设置信息正确并开始运行。
三、定期维护1. 每天使用后,关闭除湿机电源开关,必要时拔掉电源插头。
2. 定期清理除湿机的过滤网。
先关闭电源开关,然后拆下过滤网,用清水和中性洗涤剂清洗,晾干后装回。
3. 定期清洗除湿机的水箱。
首先关闭电源开关,拆下水箱,倒掉水箱里的水,用清水彻底清洗后晾干再装回。
4. 定期清洗除湿机的排水管道。
将排水管道从除湿机上拆下,用清水冲洗干净,确保通畅。
四、注意事项1. 在使用除湿机时,不要覆盖或阻挡排风口,以免影响除湿效果。
2. 尽量选择相对较暖和湿度较高的房间,除湿效果会更好。
3. 避免将除湿机置于潮湿或水滴的地方,以免损坏电路。
4. 在使用除湿机过程中,不要将湿衣物等物品放在除湿机上,以免发生危险。
5. 长时间不使用除湿机时,应及时清理并将其存放在干燥通风的地方。
五、故障排除如果除湿机出现故障,应立即关闭电源开关,并在排除故障前咨询专业人员。
以下是一些常见故障及解决方法:1. 除湿机无法启动:检查电源插头是否插紧,电源是否正常。
2. 除湿机工作时噪音较大:检查除湿机是否放置平稳,是否有异物进入。
3. 除湿机除湿效果差:检查设置是否正确,清洁过滤网和水箱是否彻底。
通过遵守以上操作规程,可以确保除湿机的正常运行,提供良好的除湿效果。
同时,定期的维护和注意事项的遵守也可以延长除湿机的使用寿命。
抽湿机的操作方法
以下是抽湿机的操作方法:
1. 首先,将抽湿机放置在需要除湿的房间中,确保有足够的空间让空气流通。
2. 接通电源并打开电源开关。
3. 将抽湿机的湿度控制旋钮或按键设置为所需的湿度水平。
大多数抽湿机都有一个湿度调节器,可以根据需要调整湿度。
4. 根据房间的湿度和温度,选择适当的运行模式。
通常有常规模式、快速模式、低噪音模式等可选。
5. 根据需要调整风速。
抽湿机通常有多个风速档位,可以根据房间的湿度和空气品质来选择合适的档位。
6. 确保抽湿机的水箱或水桶已安装好并置于适当位置。
水箱通常位于抽湿机的底部或背部。
如果抽湿机有自动排水功能,可以将排水管连接到排水口,将水直接排出。
7. 当房间的湿度达到设定的水平时,抽湿机会自动停止工作,并进入待机模式。
如果需要继续除湿,可以按下再次启动按钮或将湿度控制旋钮调到更低的湿度。
8. 定期检查抽湿机的过滤器,并根据需要清洁或更换过滤器。
过滤器的清洁频率取决于使用环境和空气品质。
9. 当不使用抽湿机时,及时关闭电源并拔掉电源插头。
注意事项:
- 在使用抽湿机之前,阅读并遵守使用说明书中的操作指南和安全警示。
- 千万不要将抽湿机放置在有水或潮湿的区域,以免损坏机器或导致安全问题。
- 定期清洁和维护抽湿机以保持其良好的工作状态。
除湿机一、题内容及适用范围本规程规定了灯泡头的使用注意事项、清洁保养及故障排除及技术参数。
二、引用标准《产品说明书》三、注意事项1、使用前,请先确认电源电压为单相220V,50Hz。
2、切勿拉动电源线拔下除湿机的插头。
3、不要以电源插入及拔出来控制除湿机的运转及停止。
4、在移动除湿机时,应小心,不要滚压或损坏电线。
5、切勿将手指或棒状物伸入格栅内。
6、切勿让小孩攀爬、站立或者坐在除湿机上。
7、清洁及维修之前,一定要拔下除湿机的插头。
8、任何维修必须有专业人员进行。
9、使用时,必须有可靠接地。
10、搬动时,请勿将机体倾斜超过45º。
11、使用环境温度范围为0~38℃。
12、除湿机运作时,因压缩机运转产生热量,故室温会上升1~3℃,,此为正常现象。
13、室温0℃以下时,环境绝对湿度相对低,可以不必使用除湿机。
14、水箱内请勿放置任何东西。
15、进风口与出风口必须离开墙面至少10厘米以上距离,以免影响除湿效果。
16、工作环境请尽量密封,以增大除湿效果。
四、清洁保养1、一般保养:机体用软布擦拭,请使用中性清洁剂。
挥发油、稀释剂等可能会对机器造成伤害,所以请勿使用。
2、空气过滤网能阻碍空气中的灰尘及杂质,被灰尘和杂质阻塞的空气过滤网将会大大影响除湿机之性能,所以建议在使用期间,最好能半个月用清水清洗一次,清洗后于阴凉处吹干,再装回使用。
切不可用侵蚀性化学物品清洗或在太阳下直射,以防过滤网变形或损伤。
五、故障排除1、除湿机若发生故障,请立即切断电源从插座上拔下电源插头,检查下列事项:2、除湿机运转时,会听到制冷剂的循环声,这是正常现象。
3、出风口排除热风是正常现象。
六、技术参数(此文档部分内容来源于网络,如有侵权请告知删除,文档可自行编辑修改内容,供参考,感谢您的配合和支持)。
除湿机设备操作规范一、概述除湿机是一种能够调节空气湿度的设备,应用广泛于家庭、办公室、仓库等场所。
为确保除湿机的正常工作和使用安全,制定本操作规范。
二、操作前的准备工作1.检查除湿机是否处于合适的位置,确保空气流通畅通。
2.检查电源插座是否符合电器规范,并确保电源接地良好。
3.检查除湿机的水箱是否清洁干净并放置在正确的位置。
4.检查除湿机的滤网是否清洁,如有需要应进行清洗或更换。
5.打开除湿机的控制面板,对设备进行必要的设置。
三、操作步骤1.打开电源开关,确保除湿机接通电源。
2.调节除湿机的工作模式,如手动或自动模式。
3.根据需要设定除湿机的湿度设置,一般应保持在40%~60%之间。
4.若除湿机具备定时功能,可根据需要设定定时时间。
5.开启除湿机运行,观察设备是否正常工作。
6.当湿度达到设定值时,除湿机将自动停止工作;若湿度超过设定值,则自动启动工作。
7.运行过程中,如发现异常或故障,应立即停机并通知维修人员。
四、注意事项1.在运行过程中,除湿机应保持稳定,且不得被折叠或移动。
2.避免将除湿机放置在高温、高湿度的环境中,以免影响设备的正常工作。
3.定期清理除湿机的滤网,防止灰尘或杂物堵塞滤网,影响设备工作效果。
4.定期清理除湿机的水箱,防止水箱内部滋生细菌,影响空气质量。
5.在清洁或维修除湿机时,务必先将电源关闭,并拔掉插头。
6.如需运输除湿机,应小心操作,防止碰撞或摔落。
7.除湿机长时间不使用或需长时间存放时,应将设备清洁干净并进行适当保养。
五、维护保养1.定期对除湿机进行检查,确保设备的正常运行。
2.定期清洁除湿机的各部件,保持设备干净卫生。
3.若发现设备有异常或故障,应立即停机并通知维修人员进行处理。
4.如需更换除湿机的滤网或其他配件,应使用原厂配件,并按说明书进行更换。
5.定期检查除湿机的电源线和插头,确认是否有损坏或老化,及时更换以确保安全使用。
六、应急措施1.在使用过程中,如发现设备冒烟或发生火灾等紧急情况,应立即切断电源,并报警求助。
1.目的:规范Dorosin多乐信智能除湿机的使用、清洁、维护的操作,确保除湿机的正常使用。
2.适用范围:适用于Dorosin多乐信智能除湿机使用操作。
3.职责3.1.操作人:负责按照本文件进行除湿机的使用、清洁。
3.2.复核人:负责按照文件对操作人的操作进行复核,确保操作的正确性。
4.术语:无。
5.清洁5.1.清洁用具::毛巾。
5.2.物料:水。
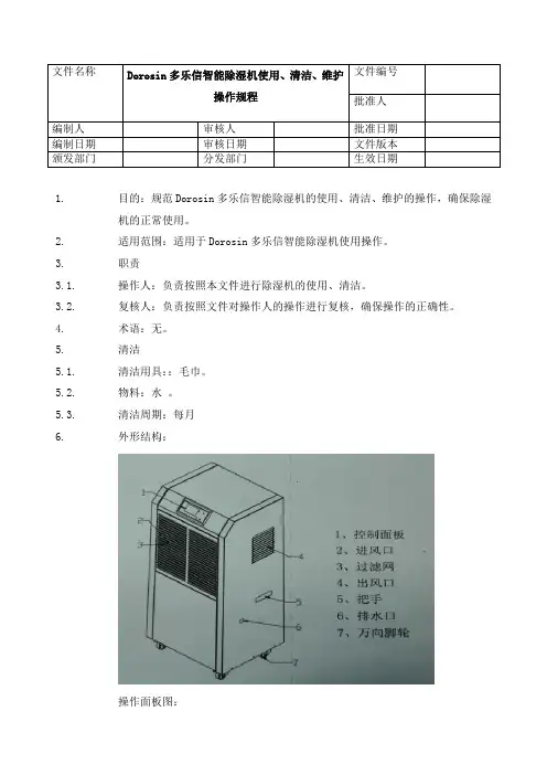
5.3.清洁周期:每月6.外形结构:操作面板图:按键功能说明A.“开/关”键按该键开机,蜂鸣2声,进入开机模式,显示“运行”。
按该键关机,蜂鸣1声,进入关机模式,不显示“运行”。
B.设置键(定时时钟键)按一次,进入当前时间设定,“时钟”闪,加键调节小时,减键调节分钟。
按二次,进入定时开机设定,“定时开机”闪,加键调节小时,减键调节分钟,5秒后自动保存返回按三次,进入定时关机设定,“定时关机”闪,加键调节小时,减键调节分钟,5秒后自动保存返回。
连续按到第四次,取消定时开关机设定,“定时开/关机”文字不显示。
此外只有在开关机后才能设置定时开/关机时间C.“+”键直接按此键可对设置湿度进行操作,每按一次蜂鸣器响一声,设定湿度增1%RH,连续按住可对设定湿度进行连续操作“—”键直接按此键可对设置湿度进行操作,每按一次蜂鸣器响一声,设定湿度减1%RH,连续按住可对设定湿度进行连续操作D.湿度控制操作范围:10%-99%7.操作程序7.1.概述7.1.1.型号:DRLK-1382L7.1.2.设备参数7.2.运行操作7.2.1.开机操作7.2.1.1.打开电源,除湿机发出“嘀”的一声;液晶背光灯亮,显示环境湿度值。
7.2.1.2.按一下“开/关”键,蜂鸣一声后进入开机页面,显示风机运行图标和“运行”状态。
7.2.1.3.湿度设定:按加减键来调动所需的湿度,当设定湿度小于当前湿度3%时,除湿机工作,显示“风叶”“压缩机图案”,当设定湿度大于当前湿度3%时,除湿机停止工作,“湿控”闪。
温馨小提示:本文主要介绍的是关于除湿机操作规程的文章,文章是由本店铺通过查阅资料,经过精心整理撰写而成。
文章的内容不一定符合大家的期望需求,还请各位根据自己的需求进行下载。
本文档下载后可以根据自己的实际情况进行任意改写,从而已达到各位的需求。
愿本篇除湿机操作规程能真实确切的帮助各位。
本店铺将会继续努力、改进、创新,给大家提供更加优质符合大家需求的文档。
感谢支持!(Thank you for downloading and checking it out!)阅读本篇文章之前,本店铺提供大纲预览服务,我们可以先预览文章的大纲部分,快速了解本篇的主体内容,然后根据您的需求进行文档的查看与下载。
除湿机操作规程(大纲)一、除湿机概述1.1除湿机定义及分类1.2除湿机工作原理1.3除湿机的适用场景二、操作前准备2.1熟悉设备结构及功能2.2检查设备外观及配件2.3确认电源及环境条件三、操作步骤3.1开机操作3.1.1连接电源3.1.2启动设备3.1.3设置除湿模式3.2运行监控3.2.2监测湿度变化3.2.3检查排水情况3.3停机操作3.3.1关闭设备3.3.2断开电源3.3.3做好设备清洁工作四、维护与保养4.1定期清洁设备4.1.1清洗空气滤网4.1.2清洁水箱及排水部件4.1.3清洁设备外观4.2检查设备性能4.2.1检查压缩机工作状态4.2.2检查制冷剂及干燥剂4.2.3检查电气线路及控件4.3故障排除4.3.1常见故障及原因4.3.2故障排除方法4.3.3联系售后服务五、安全注意事项5.1操作安全5.1.1遵守操作规程5.1.3注意设备散热5.2电气安全5.2.1使用合格电源5.2.2遵守电气安装规范5.2.3定期检查电气线路5.3环境安全5.3.1设备放置在通风良好处5.3.2避免设备受到撞击或振动5.3.3保持设备周围环境卫生六、培训与考核6.1培训内容6.1.1设备操作方法6.1.2设备维护保养知识6.1.3安全注意事项6.2培训方式6.2.1理论培训6.2.2实操演练6.2.3交流讨论6.3考核6.3.1理论考核6.3.2实操考核6.3.3考核合格标准一、除湿机概述1.1除湿机定义及分类除湿机是一种用于降低空气湿度的设备,其主要通过制冷技术来实现湿度的控制。
1安全使用及维护注意事项2-3一般故障排除445-6保护功能及维护保养 7-89其他10目录产品简介及安全注意事项 机件介绍控制面板介绍使用说明*请确保有可靠的接地线。
在使用本除湿机之前,请您仔细阅读以下内容,以确保正确、合理使用本除湿机。
下列的注意事项,为涉及安全的重要内容,当操作错误时可能引起不必要的事故。
因此,在使用本除湿机时务必遵守!■安全注意事项产品简介及安全注意事项■产品介绍核心部件:采用国际名牌旋转式压缩机,比同等制冷量制冷剂的往复式压缩机制冷效率高且省电。
其 它 4. 保修卡 一张3. 合格证一个2. 使用说明书一份■执行标准■三包条例■装箱单1. 除湿机一台GB4706.1 32GB4706. GB4343.1 GB17625.1* 全及售后服务质量,请认准有“3C ”标志的产品。
2、考虑人的生理健康条件及室内家俱和其他物品的保护 条件,如无特殊要求,建议湿度设定在RH50%~70% 间较为适宜,且省电.温馨提示:1、除湿机是国家“3C ”强制认证产品,为保证您的使用安 本产品实行用说明书”,凡因产品质量问题而发生故障,本厂特约维修部给予免费修理,但因使用不当或超出保修期后出现的问题,在修理时酌情收取工本费。
“三包",保修期一年。
保修期内,如发现产品不妥,请先参阅“使原因分析电源插头没有插入插座插座电源没有接通电控板保险丝熔断电控板变压器损坏环境湿度低于设定湿度电源插座缺少零线电源插座电压偏低电机电容损坏卡轴内部线圈损坏压缩机电容损坏卡缸内部线圈损坏故障现象排除方法机器不能运转无电源显示有电源显示将插头插入插座恢复电源更换保险丝更换变压器根据需要重新设定增加零线恢复正常电压E1E2温度传感器损坏湿度传感器损坏更换温度传感器更换湿度传感器E3(制冷系统异常)电机工作不正常压缩机工作不正常更换电容更换电机更换电机更换电容用大电容冲击更换压缩机缺少制冷剂查找漏电,予以修复,重新抽真空,加制冷剂空气过滤网积垢清洗过滤网除湿机进出风口有障碍物去除障碍物门窗开着关闭门窗并利用窗帘遮阳机器除湿效果不好噪音机器放置不平稳过滤网堵塞将机器重新放置平稳清洗过滤网漏水机器倾斜将机器调整水平出水管堵塞(连续排水)清除管内异物安全使用及维护注意事项本机使用容量匹配的专用线路及插座,禁止引线或使用移动插座。
工业除湿机使用说明说到湿气,哎呀,真的是个烦人的家伙!你家里的衣服一晚上挂着湿乎乎的,第二天一摸就像是刚从水里捞上来的,感觉都不敢穿出去见人。
而且不止是衣服,空气湿哒哒的,墙角也开始发霉,地板湿漉漉的,走路像踩水,一不小心脚趾头都得泡水。
这时候,你会突然感叹:“要是有个能帮忙除湿的机器就好了!”嘿嘿,工业除湿机来啦!它就像是湿气的克星,能帮你解决这个大难题。
工业除湿机,顾名思义,主要就是用来除湿的机器,尤其是大面积场所里,那种湿气特别重的地方。
你看,家里不行,车库不行,厂房、仓库、商场这种地方,湿气真的能让人头疼。
不管是夏天的潮湿,还是梅雨季节的湿气,甚至是冬天的水蒸气,工业除湿机统统可以搞定!它的工作原理其实很简单,就是把空气中的水分吸进去,经过冷凝和过滤的过程,去掉那些多余的水蒸气,最后干燥清爽的空气再被送回房间。
听起来是不是很神奇?但它真的是又高效又靠谱!不过,别看它的名字那么酷,使用起来其实一点也不复杂。
你一开始把它放在房间或者仓库的角落,接上电源,一按开关,哦啦啦,工作开始了!工业除湿机通常有不同的模式,根据你的需求可以选择。
比如,低湿度环境时你可以开低档工作,这样它就不会太消耗电力,而如果是湿气特别重的地方,那就开高档,一下子把水分给拉走!再说,很多机器上都有自动湿度调节功能,机器会根据房间的湿度自动调节工作,省时又省力,简直就是懒人必备!但是,你以为这么简单就完事了吗?当然不是,机器也有需要注意的小细节。
它是个“嘴巴很大”的机器,吸湿能力特别强,所以你需要确保它的空气流通顺畅。
如果空气进不去,湿气可就没法排出去了,那你还指望它干嘛?很多工业除湿机都有排水管设计,这就意味着你不需要老去倒水,直接把水排到外面,方便省事。
可是,有一点需要特别留意,水管堵了,机器就得停工。
你说说,既然都买了除湿机了,当然得用好它对吧?不然一切白搭!哦对了,大家可能会担心它的噪音问题,毕竟工业除湿机可不是家用那种小型设备,声音可能稍微大一点。
除湿机标准操作规程1:标准操作规程1.1将插头插入正确的电源后,数码显示窗显示当前环境温度,且有(哔哔)两声,机器进入待机状态。
1.2通过按上升键和下降键设定所需控制的湿度值。
1.3按开/关键,运行灯亮,机器开始运行。
1.4再次按开/关键,运行灯灭,机器关机,进入待机状态。
1.5定时开关机1.51当机器处于待机状态时,按定时键,数码显示窗闪动,此时可通过按上升键和下降键设定1--24小时定时开机时间,定时灯亮。
1.52当机器处于开机状态时,按定时键,数码显示窗闪动,此时可通过按上升键和下降键设定1--24小时定时关机时间,定时灯亮。
2:注意事项2.1由于本机的电器控制采用触摸开关,因此请勿用力敲击任何键。
2.2机器关机后,请等待3分钟,才能再次开机。
2.3使用电脑控制时,当环境温度达到设定值时,压缩机和风机会自动停止工作。
2.4本机具有停电记忆功能。
当停电后再恢复供电,机器能按原设定的状态运行。
2.5停止使用时请拔掉电源。
3:维护保养3.1维护保养前先切断电源,并从电源插座中拔出插头。
3.2定期清洗空气过滤器,至少两星期检查一次。
如果环境中粉尘,则必须每周甚至每天清洗一次。
3.3清洗时,先拧下前面板上部螺钉,卸下前面板。
轻敲过滤网或用吸尘器除去滤网上的灰尘,或将过滤网放入温水(小于或等于40℃少量中性洗涤剂)中洗刷,并用清水冲洗干净后晾干(过滤网不能晒太阳或火烤以免变形)。
3.4机身清洗时请用软质且干净的干布擦拭。
3.5如果机身沾满灰尘或很脏时,请用柔性清洁剂擦拭,再用干布沾上清水将清洁剂擦掉。
严禁用溶剂、磨光粉清洗机体,以免损伤表面。
3.6严禁用水冲洗,以免造成绝缘不良而漏电发生事故。
多乐信加湿机产品参数型号DOS-03A加湿量3Kg/h电源频率220V ~ 50Hz使用功率300W出雾口1个(Ø110mm)控制方式自动/手动可切换雾化颗粒<5微米适用面积30~50㎡机身尺寸600*330*495mm 电源线自带漏电保护有防雾气回流有水箱清洗提醒有万向轮有缺水保护有设备材质全机不锈钢型号DOS-06A加湿量6Kg/h电源频率220V ~ 50Hz使用功率600W出雾口1个(Ø110mm)控制方式自动/手动可切换雾化颗粒<5微米适用面积50~70㎡机身尺寸600*330*495mm 电源线自带漏电保护有防雾气回流有水箱清洗提醒有万向轮有缺水保护有设备材质全机不锈钢型号DOS-09A加湿量9Kg/h电源频率220V ~ 50Hz使用功率900W出雾口2个(Ø110mm)控制方式自动/手动可切换雾化颗粒<5微米适用面积100~120㎡机身尺寸650*600*640mm 电源线自带漏电保护有防雾气回流有水箱清洗提醒有万向轮有缺水保护有设备材质全机不锈钢型号DOS-12A加湿量12Kg/h电源频率220V ~ 50Hz使用功率1200W出雾口2个(Ø110mm)控制方式自动/手动可切换雾化颗粒<5微米适用面积120~150㎡机身尺寸650*600*640mm 电源线自带漏电保护有防雾气回流有水箱清洗提醒有万向轮有缺水保护有设备材质全机不锈钢型号DOS-15A加湿量15Kg/h电源频率220V ~ 50Hz使用功率1500W出雾口3个(Ø110mm)控制方式自动/手动可切换雾化颗粒<5微米适用面积150~170㎡机身尺寸750*600*640mm 电源线自带漏电保护有防雾气回流有水箱清洗提醒有万向轮有缺水保护有设备材质全机不锈钢型号DOS-18A加湿量18Kg/h电源频率220V ~ 50Hz使用功率1800W出雾口3个(Ø110mm)控制方式自动/手动可切换雾化颗粒<5微米适用面积170~200㎡机身尺寸750*600*640mm电源线自带漏电保护有防雾气回流有水箱清洗提醒有万向轮有缺水保护有设备材质全机不锈钢型号CH-06T加湿量6Kg/h电源频率220V ~ 50Hz使用功率200W风量4000m³/h水箱容量40L重量48kg适用面积50~80㎡机身尺寸630*330*1540mm湿度调节范围10%至99%可调湿度控制精度±3%风速可调有(三档风速可调)广角摆风有自动清洗功能有型号CH-09T加湿量9Kg/h电源频率220V ~ 50Hz使用功率280W风量6000m³/h水箱60L重量70kg适用面积90~110㎡机身尺寸780*450*1730mm湿度调节范围10%至99%可调湿度控制精度±3%风速可调有(三档风速可调)广角摆风有自动清洗功能有溢水保护功能有型号CH-12T加湿量12Kg/h电源频率220V ~ 50Hz使用功率350W风量8000m³/h水箱容量60L重量75kg适用面积120~150㎡机身尺寸780*450*1730mm湿度调节范围10%至99%可调湿度控制精度±3%风速可调有(三档风速可调)广角摆风有自动清洗功能有溢水保护功能有多乐信除湿机产品参数型号JH-400T加湿量40Kg/h电源频率220V ~ 50Hz使用功率530W风量6000m³/h水箱容量60L重量48kg适用面积300~350㎡机身尺寸520*350*1500mm有效射程20米风速可调有雾量可调有手推把手有缺水保护有底部万向轮有多乐信加湿机产品参数型号JH-500T加湿量50Kg/h电源频率220V ~ 50Hz使用功率550W风量7000m³/h水箱容量无重量36kg适用面积350~400㎡机身尺寸500*560*700mm 有效射程25米回水装置有方角摆动有吊装环扣有缺水保护有吊装钢绳有型号AR-160除湿量16L/D电源频率220V ~ 50Hz使用功率230W风量160m³/h制冷剂134A重量8kg适用面积15~30㎡机身尺寸310*230*535mm适用温度5度--38度湿度调节范围10%至90%可调湿度控制精度±3%风速可调有(高低档可调)低温化霜功能有故障自动判断功能有型号AR-260除湿量26L/D电源频率220V ~ 50Hz使用功率330W风量180m³/h制冷剂134A重量10kg适用面积20~40㎡机身尺寸310*230*535mm适用温度5度到38度湿度调节范围40%至80%可调湿度控制精度±3%智能定时功能有(24小时定时关机)低温化霜功能有故障自动判断功能有型号AR-380除湿量38L/D电源频率220V ~ 50Hz使用功率830W风量400m³/h制冷剂R22重量29kg适用面积30~50㎡机身尺寸335*485*665mm适用温度5度到38度湿度调节范围10%至90%可调湿度控制精度±3%智能定时功能有(24小时定时关机)低温化霜功能有故障自动判断功能有型号AR-580除湿量58L/D电源频率220V ~ 50Hz使用功率950W风量560m³/h制冷剂R22重量31kg适用面积60~80㎡机身尺寸335*485*665mm适用温度335*485*665mm湿度调节范围10%至90%可调湿度控制精度±3%智能定时功能有(24小时定时关机)低温化霜功能有故障自动判断功能有型号AR-902除湿量90L/D电源频率220V ~ 50Hz使用功率1100W风量1100m³/h制冷剂R22重量53kg适用面积90~110㎡机身尺寸480*420*960mm适用温度5度到38度湿度调节范围10%至90%可调湿度控制精度±3%智能定时功能有(24小时定时关机)低温化霜功能有故障自动判断功能有型号AR-1382除湿量138L/D电源频率220V ~ 50Hz使用功率1520W风量1300m³/h制冷剂R22重量66kg适用面积130~150㎡机身尺寸480*420*1000mm适用温度5度到38度湿度调节范围10%至90%可调湿度控制精度±3%智能定时功能有(24小时定时关机)低温化霜功能有故障自动判断功能有型号AR-1502除湿量150L/D电源频率220V ~ 50Hz使用功率2200W风量1500m³/h制冷剂R22重量74kg适用面积150~170㎡机身尺寸600*500*1100mm适用温度5度到38度湿度调节范围10%至90%可调湿度控制精度±3%智能定时功能有(24小时定时关机)低温化霜功能有故障自动判断功能有型号AF-7H除湿量7Kg/h电源频率380V ~ 50Hz使用功率2820W风量2000m³/h制冷剂R22重量124kg适用面积200~250㎡机身尺寸405*600*1620mm适用温度5度到38度湿度调节范围10%至90%可调湿度控制精度±3%智能定时功能有(24小时定时关机)低温化霜功能有故障自动判断功能有型号AF-7D除湿量7Kg/h电源频率220V ~ 50Hz使用功率2720W风量2000m³/h制冷剂R22重量124kg适用面积200~250㎡机身尺寸405*600*1620mm适用温度5度到38度湿度调节范围10%至90%可调湿度控制精度±3%智能定时功能有(24小时定时关机)低温化霜功能有故障自动判断功能有型号AF-8.8H除湿量8.8Kg/h电源频率380V ~ 50Hz使用功率4120W风量2500m³/h制冷剂R22重量145kg适用面积250~300㎡机身尺寸470*770*1630mm适用温度5度到38度湿度调节范围10%至90%可调湿度控制精度±3%智能定时功能有(24小时定时关机)低温化霜功能有故障自动判断功能有型号AF-10H除湿量10Kg/h电源频率380V ~ 50Hz使用功率4900W风量2800m³/h制冷剂R22重量150kg适用面积300~350㎡机身尺寸470*770*1630mm适用温度5度到38度湿度调节范围10%至90%可调湿度控制精度±3%智能定时功能有(24小时定时关机)低温化霜功能有故障自动判断功能有型号AF-12H除湿量12Kg/h电源频率380V ~ 50Hz使用功率5350W风量3000m³/h制冷剂R22重量155kg适用面积350~380㎡机身尺寸470*770*1670mm适用温度5度到38度湿度调节范围10%至90%可调湿度控制精度±3%智能定时功能有(24小时定时关机)低温化霜功能有故障自动判断功能有型号AF-15H除湿量15Kg/h电源频率380V ~ 50Hz使用功率7.2KW风量4200m³/h制冷剂R22重量200kg适用面积400~600㎡机身尺寸1240*450*1750m适用温度5度到38度湿度调节范围10%至90%可调湿度控制精度±3%智能定时功能有(24小时定时关机)低温化霜功能有故障自动判断功能有型号AF-20H除湿量20Kg/h电源频率380V ~ 50Hz使用功率10KW风量5600m³/h制冷剂R22重量250kg适用面积500~700㎡机身尺寸1240*450*1750m适用温度5度到38度湿度调节范围10%至90%可调湿度控制精度±3%智能定时功能有(24小时定时关机)低温化霜功能有故障自动判断功能有型号AF-30H除湿量30Kg/h电源频率380V ~ 50Hz使用功率15KW风量8000m³/h制冷剂R22重量350kg适用面积650~800㎡机身尺寸1850*700*2115mm适用温度5度到38度湿度调节范围10%至90%可调湿度控制精度±3%智能定时功能有(24小时定时关机)低温化霜功能有故障自动判断功能有型号AF-40H除湿量40Kg/h电源频率380V ~ 50Hz使用功率20KW风量11000m³/h制冷剂R22重量400kg适用面积800~1000㎡机身尺寸1850*700*2115mm适用温度5度到38度湿度调节范围10%至90%可调温度控制精度±3%智能定时功能有(24小时定时关机)低温化霜功能有故障自动判断功能有。
1 总技术要求采用单压缩机,风扇单、双档风速控制,采用毛细管节流。
具有各种保护及显示功能。
工作电压:单相交流220VAC/50Hz;输入功率(W):视能力而定;除湿量:取决于系统;功能:除湿及除霜;保护功能:符合本控制方案的要求;安全要求:符合;EMC要求:符合及有关家电产品的IEC标准。
2 操作面板2.1 除湿机的操作面板由一个LCD液晶屏、指示灯(红/绿色)和五个按键组成(如下图)。
“调节”(ADJUSTMENT)(MENU)键,注:五个按键,从左到右分别为“电源“(POWER)键,“菜单”键,“开始/停止除湿”(START/STOP)键,“水泵开/关”(PURGING)键。
2.2 液晶屏显示内容,见下图。
3 操作3.1 参数设定内容,见下表。
3.2 参数设定3.2.1 在关机状态下,先按“除湿”键,再按“菜单”键持续5秒,背光屏亮,蜂鸣器短响,进入参数设定状态。
3.2.2 显示内容为“P0:20”;“20”处于闪烁状态,频率为1Hz。
“P0”为参数号,按“开始/停止除湿”键来实现从“P0~P6”的切换;“20”为对应参数值,按“菜单”键调整对应参数值。
3.2.3 完成参数设定后,按“电源”键,则熄灭背光屏、蜂鸣器短响、退出并保存参数值,返回关机状态。
进入设定后15秒之内没有按键,则自动保存参数值并退出,返回关机状态。
3.3 运行操作3.3.1 在关机状态下按“电源”键,进入待机状态。
3.3.2 在待机状态,默认显示“当前湿度(CURRENT)”工作环境的湿度值。
液晶屏上部分显示:3.3.2 .1 “时钟图标群组”(P17 –‘时钟图标’,P41-‘大方框’,P18-‘TIMER’,P20 -‘TOTAL’,P22 -‘JOB’)、“湿度图标群组”(P24 -‘湿度’,P42 –‘大方框’,P26 -‘小方框’,P27 –‘SET’)、“温度图标群组”(P29 –‘温度’,P43–‘大方框’,P30 -‘华氏度(o F)’,P32 -‘摄氏度(o C)’)图标亮;3.3.2 .2 “P25 -‘CURRENT’”图标闪烁,频率为1Hz,闪五次后不闪,图标亮。
除湿机使用和操作规程目录1、重要安全说明3、设备使用注意事项4、设备说明5、设备安装6、设备开机检查事项7、设备操作规程8、产品日常维护9、常见故障分析及排除方法一、重要安全说明1.使用前,请先确认电源为220V/50HZ或380V/50HZ。
2.不要以拔出电源线的方式来停止除湿机运转。
3.在移动除湿机时应小心,不要滚压和损坏电线。
4.切勿将手指或棒状物伸入格栅内。
5.建议使用合适的电源开关,勿使用插头,必须安全接地。
6.不得操作于密闭狭窄空间。
7.请妥善保管此使用手册。
8.任何维修必须由专业人员进行。
二、设备使用注意事项1.使用环境:1.使用环境温度:5―38摄氏度2.避免使用在腐蚀性较强和易燃、易爆及大量灰尘的环境中;2.使用电源1.本机使用380V/50HZ电源,三相五线,机身背面有接地标志,使用前务必做好接地线连接。
本机安装必须由专业电工安装,若无专业电工,可电话联系生产工厂指导安装.3.机器开关1.机器控制面板上有开关键,严禁直接开关空开的方式进行开关机。
三、设备说明1.控制系统说明本机控制模式说明如下:3.1.1湿度显示:机器带有湿度显示功能,显示当前环境湿度状况。
3.1.2开关键: 机器使用薄膜式开关,第一次按键为开机,再次按键为关机。
3.1.3湿度设定:机器设有湿度设定功能,+为湿度设定增大,-为湿度设定减小。
3.1.4定时设定:设定时先按设定键,再按+\-设定所需时间即可.2.工作原理说明:除湿机工作系统分为二部分3.2.1制冷循环部分由压缩机、冷凝器、毛细管、套管式冷凝器及连接管道组成,低压制冷剂气体由压缩机吸入,压缩成高压气体,进入冷凝器并放出热量,经冷凝器冷却成液体,然后经过过滤器毛细管节流成为低压低温的气体混合物进入套管式冷凝器,由蒸发器蒸发为气体,吸收空气中的热量,再回到压缩机。
制冷剂工质在制冷系统内这样反复循环,达到制冷的目的。
3.2.2空气循环部分湿空气由离心风机吸入并通过空气过滤网进入蒸发器,当蒸发器的表面温度底于空气的露点温度时空气被冷却,空气中含有水分就会被凝聚下来,被冷却除湿后的空气继续前进,进入冷凝器并带走冷凝器释放出的热量,由离心风机送出,使空气中的相对湿度降低。
除湿机的使用方法除湿机的使用方法导语:雨季说来就来,感觉空气中的湿度一下就升高了,各种物件散发着潮气,连人都不精神了。
宝宝们,你们的除湿机开始用起来了没?下面为大家带来除湿机的使用方法,快来看看吧。
除湿机的使用方法1、除湿机最好是专用电源,而且一定要注意电源的电压与本机是否相符。
使用完毕后不要怕麻烦,尽量拔下电源插头。
2、除湿机放置的地方应保证空气的通畅,四周不宜有障碍物,以免影响空气流通。
3、使用除湿机时,应该在密封性好的场所下使用,如门窗都应关闭,并且室内无产生水蒸气的器具。
因为除湿机是采用空气内循环的原理进行除湿防潮的,如果密封性不好,将影响除湿机的除湿效果,延长除湿机的工作时间,增加能耗。
4、除湿机不要放在热源旁使用。
当周围温度超过40℃以上时,除湿机系统内压力会增高从而使得压缩机过载,此时过载保护器可能会切断电路,压缩机就会停止工作。
所以除湿机最佳使用温度范围为15℃~40℃。
5、空气中之湿度若低于30%以下,就会造成过于干燥而使人感觉不舒适,设置湿度值应设在40%以上。
6、除湿机经过搬动后,最好先静置一个小时以上再开机使用。
因为除湿机中的压缩机管线中含有冷媒,经过搬动后,冷媒必须经过四至六小时的时间才能完全回位。
7、在移动除湿机时,机器倾斜不要超过45度,以避免倒置或横放而造成制冷剂倒流和压缩机内部减震弹簧脱钩,使压缩机使用时有很大噪声及不能正常使用;同时也要防止过大振动,以免引起管路断裂,损坏机器。
8、除湿机在工作过程中,如果发现金属碰撞声等异响,应停机检查,特别要检查离心风叶与锅壳是否相碰,紧固件是否松动。
9、除湿机长时间不使用时,应拔下电源插头,对整机进行清洁。
挥发油、稀释剂、清洁剂都可能对机器造成伤害,请勿使用。
10、冷凝器与蒸发器应该时常清洗,保持干净,以免造成鱼翅片堵塞影响进风与出风。
11、定时清洗过滤网,需要注意的是,清理机体时,以湿布轻轻擦拭即可;不能直接泼水清理,以免破坏电器绝缘。
除湿机操作说明(总6页)本页仅作为文档封面,使用时可以删除This document is for reference only-rar21year.March除湿机控制器功能说明书1 总技术要求采用单压缩机,风扇单、双档风速控制,采用毛细管节流。
具有各种保护及显示功能。
工作电压:单相交流220VAC/50Hz;输入功率(W):视能力而定;除湿量:取决于系统;功能:除湿及除霜;保护功能:符合本控制方案的要求;安全要求:符合;EMC要求:符合及有关家电产品的IEC标准。
2 操作面板2.1 除湿机的操作面板由一个LCD液晶屏、指示灯(红/绿色)和五个按键组成(如下图)。
注:五个按键,从左到右分别为“电源“(POWER)键,“菜单”(MENU)键,“调节”(ADJUSTMENT)键,“开始/停止除湿”(START/STOP)键,“水泵开/关”(PURGING)键。
2.2 液晶屏显示内容,见下图。
3 操作3.1 参数设定内容,见下表。
意义单位分辨率默认值调整范围参数代号P0除霜间隔分钟1分钟20分钟20~60分钟P1进入除霜环温高点温℃1℃10℃8~18℃度P2进入除霜蒸发器高点℃1℃-2℃-6~0℃温度P3进入除霜环温低温度℃1℃5℃2~10℃点P4进入除霜蒸发器低温℃1℃-6℃-8~-2℃度点P5除霜时间分钟1分钟10分钟5~15分钟P6退出除霜蒸发器温度℃1℃7℃5~15℃3.2 参数设定3.2.1 在关机状态下,先按“除湿”键,再按“菜单”键持续5秒,背光屏亮,蜂鸣器短响,进入参数设定状态。
3.2.2 显示内容为“P0:20”;“20”处于闪烁状态,频率为1Hz。
“P0”为参数号,按“开始/停止除湿”键来实现从“P0~P6”的切换;“20”为对应参数值,按“菜单”键调整对应参数值。
3.2.3 完成参数设定后,按“电源”键,则熄灭背光屏、蜂鸣器短响、退出并保存参数值,返回关机状态。
进入设定后15秒之内没有按键,则自动保存参数值并退出,返回关机状态。