住宅小区总平面图
- 格式:pdf
- 大小:360.84 KB
- 文档页数:1
住宅小区总平面图住宅小区总平面图一、引言住宅小区总平面图是为了方便居民了解小区的整体布局和设施分布而设计的。
本将详细介绍住宅小区总平面图的各个方面,包括小区的整体规划、道路系统、绿化景观、建筑布局等内容。
二、总体规划1. 小区位置:详细描述小区所处的地理位置、周边道路和交通情况等。
2. 占地面积:说明小区的总占地面积,包括建筑用地和绿化用地的比例。
3. 建筑密度:解释小区建筑物所占用的土地比例,并说明是否合理。
4. 绿化率:说明小区绿化面积与总面积的比例,以及绿化设施的种类和分布情况。
三、道路系统1. 主干道:主要道路的名称、宽度和道路照明情况。
2. 支路和步行道:说明支路和步行道的数量、宽度和布置情况,并描述其连接主要建筑物和设施的方式。
3. 道路标识和交通设施:详细描述道路标识、交通信号灯和行人过街设施等,并说明其布置方式和使用方法。
4. 停车设施:说明停车位的数量、位置和类型,以及是否有专属的停车场。
四、绿化景观1. 公共绿地:描述小区内公共绿地的分布情况,包括花坛、草坪、儿童游乐区等。
2. 私家花园:说明私家花园的位置和布置,以及住户是否可以根据个人喜好进行花园设计。
3. 配套景观设施:小区内的配套景观设施,如喷泉、健身器材等,并说明其使用方法和维护保养情况。
五、建筑布局1. 住宅楼分布:详细描述住宅楼的位置、楼栋数量和楼层高度。
2. 公共设施建筑:说明小区内的公共设施建筑,如幼儿园、学校、健身中心等,并描述其布局和使用情况。
3. 商业配套建筑:小区内的商业配套建筑,如超市、餐厅、银行等,并说明其位置和开放时间。
4. 其他建筑物:包括物业管理办公楼、停车场等其他建筑物,描述其位置和功能。
六、附件本所涉及的附件如下:1. 住宅小区总平面图:提供住宅小区总平面图的高清电子版。
2. 小区道路规划图:提供小区道路系统的详细规划图。
3. 绿化景观设计图:展示小区绿化景观的设计图纸。
七、法律名词及注释本所涉及的法律名词及注释如下:1. 建筑密度:指建筑物占据土地面积的比例。
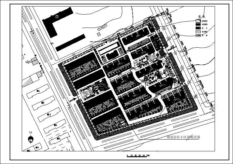
住宅小区总平面图设计探讨与研究按照国家建筑标准设计图集05J804总平面图设计深度的要点,我们可以大概知道总平面图设计的内容,但是比较的笼统。
对总平面图布置要点以及住宅小区总平面图设计因子的分析,来深入理解如何设计好住宅小区总平面图。
前言: 在城市规划管理局或城、镇规划建设局批准的用地范围内,根据上级批准的设计任务书,结合地形、地质、气象、水文等自然因素,把建筑物、构筑物、交通运输、各种场地、绿化设施等,在平面图上进行合理、协调地规划、设计与布置,使一个工程的各个项目成为一个有机整体,这样的设计,称为总平面设计。
住宅总平面图设计可先从总平面图的布置要点入手,总平面图布置的要点如下:1、保留的地形和地物;2、测量坐标网、坐标值、场地范围的测量坐标(或定位坐标),道路红线、建筑红线或用地界线;3、场地四邻原有及规划道路的位置(主要坐标或定位尺寸)和主要建筑物及构筑物的位置、名称、层数、建筑间距;4、建筑物、构筑物的位置(人防工程、地下车库、油库、蓄水池等隐蔽工程用虚线表示),其中主要建筑物、构筑物应标注坐标(或定位尺寸)、名称(或编号)、层数;5、道路、广场的主要坐标(或定位尺寸),停车场及停车位、消防车道及高层建筑消防扑救场地的布置,必要时加绘交通流线示意;6、绿化、景观及休闲设施的布置示意;7、指北针或风玫瑰图;8、主要技术经济指标表;9、说明栏内注写:尺寸单位、比例、地形图的绘制单位、日期,坐标及高程系统名称(如为场地建筑坐标网时,应说明其与测量坐标网的换算关系),补充图例及其他必要的说明等。
以上要点是摘自国家建筑标准设计图集05J804总平面图设计深度的要点,表面看这9项要点觉得内容并不多,但事实并不那么简单。
在设计的过程中,总平面图设计是个反复的过程,也是一个不断完善的过程,由于总平面图设计是整个建筑设计过程的开始,所以总平面图布置是否合理,是否完善,至关重要。
要点1、2、3主要是有关主管部门对本工程提供的设计依据及基础资料,我们必需把这些内容清楚的表达在总平面图上;要点4、5、6的布置,必需因地制宜,根据地形、地质、日照、通风、防火、卫生、交通、以及技术经济合理性来布置,同时考虑功能分区、远近期结合的意图及发展用地,还要考虑对环境的要求及良好的服务功能,例如:漫步、休憩、晒太阳、遮阴、聊天等户外活动场所要点7:指北针是总图中必须标识的图标,主要确定建筑的朝向,总图应按上北下南方向绘制,根据场地形状或局,可向左或向右偏转,但不宜超过45度;要点8主要技术经济指标,主要包括总用地面积、总建筑面积、建筑基地总面积、绿地总面积、容积率、建筑密度、绿地率、汽车停放泊位数、自行车停放数量等;要点9总平面图的比例宜采用1:500、1:1000、1:2000,总图中的坐标、标高、距离宜以米为单位,并至少取至小数点后两位,不足时以“0”补齐,表示建筑物、构筑物位置的坐标,宜注其三个角的坐标,如建筑物、构筑物与坐标轴线平行,可注其对角坐标,建筑物、构筑物使用编号时,应列出"建筑物和构筑物名称编号表"。
住宅小区施工总平面图住宅小区施工总平面图提要:施工总平面布置的依据。
1)住宅区建筑总平面图、竖向布置图和地下设施布置图住宅小区施工总平面图住宅小区施工总平面图是住宅小区建筑群的施工场地总布置图,是施工部署在空间上的反映。
1.施工总平面布置的原则。
(1)在满足施工需要的前提下,尽量减少施工用地,不占或少占农田,施工现场布置要紧凑合理;(2)合理布置起重机械和各项施工设施,科学规划施工道路,尽量降低运输费用;(3)科学确定施工区域和场地面积,尽量减少专业工种之间交叉作业;(4)尽量利用永久性建筑物、构筑物或现有设施为施工服务,降低施工设施费用,尽量采用装配式施工设施,提高其安装速度;(5)各项施工设施布置都要满足有利生产、方便生活、安全防火和环境保护的要求。
2.施工总平面布置的依据。
(1)住宅区建筑总平面图、竖向布置图和地下设施布置图;(2)住宅区建设项目施工部署和主要建筑物施工方案;(3)住宅区建设项目施工总进度计划、施工总质量计划和施工总成本计划;(4)住宅区建设项目施工总资源计划和施工设施计划;(5)住宅区建设项目施工用地范围和水电源位置,项目安全防火标准和措施。
3.施工总平面布置内容。
(1)住宅区施工用地范围内地形和等高线;全部地上、地下已建和拟建的建筑物、构筑物及其他设施位置尺寸;(2)全部拟建的建筑物、构筑物和其他基础设施的坐标网;(3)为整个住宅区施工服务的施工设施布置,包括生产性施工设施和生活性施工设施两类;(4)住宅区项目施工必备的安全、防火和环境保护设施布置。
4.编制住宅区项目施工设施需要量计划。
(1)确定住宅区建设项目施工的生产性设施。
生产性施工设施包括:工地加工设施、工地运输设施、工地储存设施、工地供水设施、工地供电设施和工地通讯设施六种。
通常要根据整个住宅区项目及其每个单项工程施工需要,统筹兼顾、优化组合、科学合理地确定每种生产性施工设施的建造量和标准,编制出项目施工的生产性施工设施需要量计划。
谈谈住宅小区总平面图计划要点在城市的发展进程中,住宅小区扮演着至关重要的角色。
一个规划合理、功能齐全、环境优美的住宅小区不仅能为居民提供舒适的居住环境,还能提升整个城市的品质。
而住宅小区总平面图的规划,则是实现这一目标的关键蓝图。
下面,我们就来谈谈住宅小区总平面图计划的要点。
一、功能分区住宅小区的功能分区是总平面图规划的基础。
一般来说,住宅小区可以分为居住区域、公共服务设施区域、交通区域和绿化景观区域等。
居住区域是小区的核心部分,包括各类住宅建筑。
在规划时,要充分考虑不同户型、面积和朝向的需求,以满足不同居民的居住要求。
同时,要保证住宅之间有合理的间距,以保证采光、通风和隐私。
公共服务设施区域包括幼儿园、学校、商业网点、社区服务中心等。
这些设施的布局要方便居民使用,尽量靠近居住区域,减少居民的出行距离。
例如,幼儿园和学校应该位于小区内部相对安静的区域,避免受到交通噪音的干扰;商业网点可以分布在小区的主要出入口附近,方便居民购物。
交通区域包括小区内的道路、停车场等。
道路系统要规划合理,保证车辆和行人的通行顺畅。
主干道要宽敞,能够满足消防车辆的通行要求;次干道和支路要连接各个居住组团,方便居民出行。
停车场的设置要充分考虑居民的停车需求,既要有地上停车场,也要有地下停车场,以节省地面空间,增加绿化面积。
绿化景观区域是提升小区环境质量的重要部分。
可以规划中心花园、组团绿地、宅间绿地等,通过种植花草树木、设置景观小品等方式,营造出优美的居住环境。
绿化景观区域不仅要美观,还要具有一定的生态功能,如调节气候、净化空气等。
二、交通规划交通规划是住宅小区总平面图计划的重要环节。
良好的交通规划能够提高小区的通行效率,减少交通拥堵和安全隐患。
首先,要合理规划小区的出入口。
出入口的数量和位置要根据小区的规模、周边道路的情况来确定。
一般来说,大型小区可以设置多个出入口,以分散交通流量;出入口要避免设置在交通繁忙的路段,以免影响居民的出行。