小区总平面设计
目录 第一部分 第二部分 第三部分 第四部分 第五部分
总平面设计概述 总平面包括的内容 总平面场地、竖向、消防设计 总平面制图规范要求 总平面日照要求
第一部分 总平面设计概述
• 总平面定义 • 总平面设计的性质 • 总平面设计的内容 • 总平面的设计流程及成果文件
一、总平面图定义 总平面图主要表示整个建筑基地的总体布局,具体表达新建房屋
的位置、 朝向、平面形状以及周围环境(原有建筑、交通道路、绿化、地形) 基本情况,用水平投影法和相应的图例,在画有等高线或加上坐标方 格网的地形图上,画出新建、拟建、原有和要拆除的建筑物、构筑物 的图样称为总平面图的图样。
是新建房屋定位、施工放线、布置施工现场的依据 。
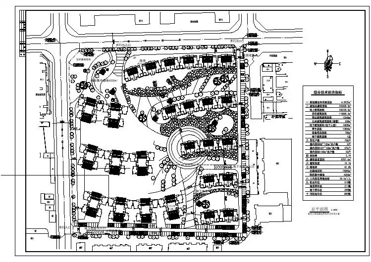
下面看几张总平面例图
某住宅小区总 平面图
协调专业多——建筑、结构、给排水、暖通、电气、燃气、热力、通讯、景 观、路桥、水利等。
遇到矛盾多——建筑之间日照间距的矛盾、道路与建筑之间的矛盾、道路与 场地竖向之间的矛盾、景观与建筑之间的矛盾、景观与管线的矛盾、管线之 间的矛盾、管线与场地的矛盾、管线与地上、地下建构筑物的矛盾等。
三、总平面设计的内容 1.基地的功能分区; 2.基地的出入口; 3.基地内的交通方式, 道路系统; 4.基地内的停车系统; 5.基地内的绿化、景观、 广场布置; 6.基地内的管线工程; 7.建筑的朝向、体量、 平面形状、造型; 8.建筑在基地上的 平面及竖向、日照位 置关系。
(2) 标明图纸要素:图名、指北针、比例尺、图例、图标、图签等;
(3) 图纸比例一般为1:500,1:1000,1:2000,1:5000,制图单位为米;
(4) 图纸应当清晰、完整反映下列内容:
① 场地四界(用地红线)的坐标及各类规划控制线(规划道路红线、 地下管线控制线、高压走廊控制线、城市绿地控制线、规划河道蓝线、 风景区保护范围控制线、文物保护范围控制线等),必须表达规划内 部规划图、外部条件的地形图(已规划建筑,新规划建筑,现状建筑);