某工程ZLP-630型悬挂式吊篮计算书
- 格式:docx
- 大小:111.00 KB
- 文档页数:4
ZLP630型吊篮计算书下图为吊篮单个支架的受力情况,由于悬吊平台由两个支架及相应悬吊点共同承受,故图中G1为额定载荷、平台自重及钢丝绳和电缆线重量总和的一半,G2为单个支架后座所放配重块的重量:Fl为楼板对前座的支撑力t F2为楼板对后座的支撑力;L1为悬吊点与前支座的水平间距.L2为前后支座的水平间距。
己知ZLP630型吊篮额定载荷为630kg,悬吊平台按400kg 计算t四根钢丝绳按每根60m(0.26kg/m)即总重62.4kg计算。
即 Gl=(额定载荷十平台自重十钢丝绳)÷2= gX* (630kg+400kg+62.4k9)÷2=5.46kN1、钢丝绳破断拉力计算我司吊篮采用的江阴法尔胜金属线缆制品有限公司生产的中8.3航空用钢丝绳其破断拉力为53. 40kN。
标准规定电动吊篮钢丝绳的安全系数不小于9。
即N=S*a/W≥9N--安全系数 s--单根承重钢丝绳的额定破断拉力,为53. 40KNa一承重钢丝绳根数1 W一指荷载即G1=5. 46kN N=53. 40×1÷5. 46=9.87>9故钢丝绳安全系数满足标准规定要求。
2、抗倾覆安全系数计算根据《高处作业吊篮GB 19155-2003》第5.2.7条,抗倾覆系数(即抗倾覆力矩与倾覆力矩的比值)不得小于2,因此支架受力需满足不等式(G2*g*L2)÷(G1*g*L1)≥2即G2≥2 *G1*L1÷L2(1)当前梁伸出1.3m时,即L1=1.3m L2=4.8m2*G1*L1÷L2=2.96kN 即G2不得少于2.96kN相应的后支座放18块配重(450kg)即4.5kN,显然满足安全要求。
(2)当前梁伸出1.5m时,即L1=1 .5m L2=4.6m2*G1*L1÷L2=3.56kN 即G2不得少于3.56kN相应的后支座放18块配重( 450kg)即4.5kN,也满足安全要求。
ZLP630型吊篮计算书下图为吊篮单个支架的受力情况,由于悬吊平台由两个支架及相应悬吊点共同承受,故图中G1为额定载荷、平台自重及钢丝绳和电缆线重量总和的一半,G2为单个支架后座所放配重块的重量:Fl为楼板对前座的支撑力t F2为楼板对后座的支撑力;L1为悬吊点与前支座的水平间距.L2为前后支座的水平间距。
己知ZLP630型吊篮额定载荷为630kg,悬吊平台按400kg 计算t四根钢丝绳按每根60m(0.26kg/m)即总重62.4kg计算。
即 Gl=(额定载荷十平台自重十钢丝绳)÷2= gX* (630kg+400kg+62.4k9)÷2=5.46kN1、钢丝绳破断拉力计算我司吊篮采用的江阴法尔胜金属线缆制品有限公司生产的中8.3航空用钢丝绳其破断拉力为53. 40kN。
标准规定电动吊篮钢丝绳的安全系数不小于9。
即N=S*a/W≥9N--安全系数 s--单根承重钢丝绳的额定破断拉力,为53. 40KNa一承重钢丝绳根数1 W一指荷载即 G1=5. 46kN N=53. 40×1÷5. 46=9.87>9故钢丝绳安全系数满足标准规定要求。
2、抗倾覆安全系数计算根据《高处作业吊篮GB 19155-2003》第5.2.7条,抗倾覆系数(即抗倾覆力矩与倾覆力矩的比值)不得小于2,因此支架受力需满足不等式(G2*g*L2)÷(G1*g*L1)≥2即G2≥2 *G1*L1÷L2(1)当前梁伸出1.3m时,即L1=1.3m L2=4.8m2*G1*L1÷L2=2.96kN 即G2不得少于2.96kN相应的后支座放18块配重(450kg)即4.5kN,显然满足安全要求。
(2)当前梁伸出1.5m时,即L1=1 .5m L2=4.6m2*G1*L1÷L2=3.56kN 即G2不得少于3.56kN相应的后支座放18块配重( 450kg)即4.5kN,也满足安全要求。
.电动吊篮钢丝绳拉力计算一、吊篮的简介及技术参数:我公司准备在本工程的施工过程中采用ZLP630 型吊篮,下面将吊篮的相关资料作必要介绍:ZLP630 型电动吊篮型号: ZLP630长度: 6.0 米爬升高度: 100米载重: 630 公斤ZLP630 型电动吊篮组成部件:提升机( LTD63)2 台;安全锁( LSF30)2 把;电控箱 1 套;屋顶吊架 2 付;工作平台 1 套;钢丝绳(直径 8.3 毫米)四根;极限开关( JLXK1-111 )2 个;配重块 40 块( 25 公斤 /块);电缆( 3× 2.5+2×1.5 )1 根。
安全绳 2 根。
.二、吊篮设备主要技术性能参数:型号ZLP630额定载荷( kg)630提升速度( m/min)9~11平台尺寸(长×宽×高)(mm)6000×720×1200悬挂机构伸出量( mm)≤1500提升高度( m)建筑物高度型号(公称直径)4×31SW+NF—8.3mm 吊篮用钢丝绳钢丝绳破断拉力( KN )>53额定提升力( KN ) 6.3型号LTD630提功率 (KW) 1.5升电动电压( V)380机机转速( rpm)1420制动力矩( Nm)15.2吊篮平台宽度( mm)650质悬挂( Kg)455量配重( Kg)1000整机质量( Kg)1050.三、机构吊篮设备相关的计算书:1、钢丝绳安全系数的计算吊篮宜选用高强度、镀锌、柔度好的4×315WFS-8.3钢丝绳,工作钢丝绳最小直径不应小于6mm,钢丝绳安全系数( n )不应小于9(满足GB19155-2003 规范要求)。
其值按公式 n= S 1·a/W 计算式中: n—安全系数;S1—单根钢丝绳最小破断拉力(kN);a—钢丝绳根数;W—额定载重量、悬吊平台自重和钢丝绳自重所产生的重力之和(kN)。
ZLP630系列吊篮计算书吊篮采用“济南天辰集团建筑机械公司”生产的ZLP630系列吊篮、提升机、钢丝绳及安全锁等配套设备。
吊篮自重466kg(悬吊平台,包括提升机、安全锁、电气控制箱)。
提升机选用LEJ2-100L1-4D,技术参数额定提升力 6.3KN功率 2.2KW转速 1420r/min制动力矩 15N.m悬吊平台重量 466kg配重 1000kg额定载重量 600kg外形尺寸(长×宽×高)难度 6.0×0.69×1.2m钢丝绳参数 6×19W+IWS-8.60架体自重:466kg(4.66KN)活动荷载:人荷载:200kg(2KN)物料荷载L100kg(1KN)Ф12.5钢丝绳允许拉力允许提升负荷 1600kg(16KN)允许载人负荷 1000kg(10KN)架体自重:466kg(2.25KN)即恒载活荷载:①人荷200kg(2KN)②物料荷载100kg(1KN)Ф8.3钢丝绳允许拉力允许提升负荷 600kg(6KN)允许载人负荷 600kg(6KN)永久荷载:2KN×1.2=2.4(KN), 式中1.2为永久荷载分项系数。
活荷载L(升降时)2KN×1.4=2.8(KN),式中1.4为活荷载分项系数。
活荷载:(物料升降时)1KN×1.4=1.4(KN),式中1.4为活荷载分项系数。
荷载共重:p=2.4+1.8+1.4=6.6(KN)<载人负荷10KN和提升负荷16KN.F×4=5×4=20KN·m;G×0.9=6.6×0.9=5.94KNm;式中0.9为荷载折减系数K=20/5.94=3.37>2(抗倾覆成立)支座处剪力:女儿墙最高处高度为0.9m cosa=4/√4²+0.9²=0.976V=6.6KN×cosa=6.6×0.976=6.44KN支座处弯矩:M=6.6×0.9=5.94KN·m。
吊篮的计算ZLP630系列高处作业吊已经广泛使用十余年,是一种很成熟的产品,其性能稳定、操作简便。
钢丝绳安全系数的计算1.计算依据GB 19155-2003 5.4.62.已知条件:吊篮的额定载荷630kg,平台自重360kg ( 5.5米平台整个篮体重约为360公斤:其中底板92.15kg 、高低篮片108.75kg 、侧栏32 kg 、安全锁108、提升机97 kg 、电箱16.4 kg 、螺丝7.9 kg 、行程开关3.6 kg )钢丝绳最小破断拉力5400kg 钢丝绳重量0.26×150×4=156kg (钢丝绳四根,按最长150米计算)3.计算公式吊篮最大迎风面积:F=L*H*ψ=6*1.1*0.6=3.96 m 2ψ——结构充实率(取值为0.6)风载荷:Q wk =w k *F=500*3.96=1980 N=198kgw k ——风载荷标准值(KN/mm 2),根据《JGJ202-2010》规定,工作状态下取值为500pa钢丝绳受竖向力:Q 1=630+360+156=1146 kg钢丝绳受水平力:Q 2= Q wk =198kg工作时,钢丝绳受拉力:Q D =2221Q Q +=221981146+≈1163 kg 安全系数:K = 5400*2/1163 ≈9.29 > 9国家标准中规定钢丝绳的安全系数不小于9,其中已经考虑了偏载荷的因素。
由此可见该型吊篮所用钢丝绳满足国家标准的要求。
吊篮悬挂机构抗倾覆计算吊杆外伸数值在1.1m~1.7m时参见下图:作用力简图:1.1m 4.6m1.7m 4.2mG L1 F1 L2 F2吊点前支点(架设在混凝土上)Gz Gp 单个后支架重Gz = 50 kg单个支架配重Gp =5000 kg单个端部吊重G=(630+360+156)/ 2 = 573kgF2 = Gz + Gp =500kg1. 当吊篮前臂升出1.1m时:倾翻力矩M1 = 1.1 G = 1.1×573 = 630.3kgm防倾翻力矩M2 = 4.6 F2 = 4.6×550 = 2530kgm安全系数N = M2 / M1 = 2530/630.3≈4.01 > 2国家标准规定防倾翻安全系数不小于2,所以该型吊篮满足国家标准要求。
吊篮计算书一、计算依据1、《建筑施工工具式脚手架安全技术规范》JGJ202-20102、《钢结构设计规范》GB50017-2003二、吊篮计算参数(图1)吊篮工作平台立面图(图2)吊篮悬挂机构立面图三、荷载统计吊篮受风面积:F=h×l=1.45×6=8.7m2根据相关参数可得:ω0=0.3kN/m2μz=1.28μs=1.3*A n/(h×l)=1.3×0.6/(1.45×6)=0.09风荷载标准值:ωk=μzμsω0=1.28×0.09×0.3=0.034kN/m2则吊篮的风荷载标准值:Qwk=ωk×F=0.034×8.7=0.3kN 吊篮底部面积:A=l×b=6×0.76=4.56m2施工活荷载标准值:Q k1=q k1×A=1×4.56=4.56kN四、钢丝绳安全验算吊篮动力钢丝绳竖向荷载标准值:Q1=(G K+Q k1)/2=(6+4.56)/2=5.28kN 吊篮动力钢丝绳水平向荷载标准值:Q2=Q wk/2=0.3/2=0.15kN吊篮动力钢丝绳所受拉力核算值:Q D=K(Q12+Q22)0.5=9×(5.282+0.152)0.5=47.539kN支撑悬挂机构前支架的结构所承受的集中荷载:N D=Q D×(1+L1/L2)+G k=47.539×(1+0.5/4.6)+6=58.706kN[F g]=α×n×F g=0.82×2×156=255.84kN[F g]=255.84kN≥Q D=47.539kN满足要求五、配重验算支承悬挂机构后支架的结构所承受的集中荷载:T=2×(Q D×L1/L2)=2×(47.539×0.5/4.6)=10.335kN允许最小配重重量:m0=T×1000/10=10.335×1000/10=1033.459kg实际配重:m=2000kg≥m0=1033.459kg满足要求六、悬挂横梁强度验算1、悬挂横梁抗弯强度验算M max=Q D×L1=47.539×0.5=23.77kN·mσ=M max/W=23.77×106/(137.26×103)=173.172N/mm2σ=173.172N/mm2≤[f]=205N/mm2满足要求2、悬挂横梁抗剪验算V max=Q D+g k×L1=47.539+0.294×0.5=47.686kNτmax=V max S/Ib0=47.686×150.5/(600.9×4×10)=0.299N/mm2≤[τ]=125N/mm2 满足要求。
电动吊篮抗倾覆安全系数的计算书说明本工程中所有吊篮具有的型号及限载说明:一、ZLP—630型使用载负载荷630kg:二、中华人民共和国建筑工业标准JG19155—2003≤高处作业吊篮安全规则≥抗倾覆安全系数不得小于2 。
三、安装时严格限制悬挑臂在前支架以外的悬挑长度a<2.4四、ZLP—630型抗倾覆计算:吊篮自重:6m长悬吊平台(包括提升机、安全锁、电控箱)和4根120米钢丝绳的重量:G=500kga、当前梁伸出长度在2.4米时后支架G2=90kgf:支臂配重G1=700kgf:反倾覆力F=G1+G2=790kgf吊臂的力矩M=2.4G=2.4*630*9.8=14817.6牛.米反倾覆力矩M1=4.6G=4.6*790*9.8=35613.2牛.米K=M1/M=35613.2/14817.6=2.40>2 吊臂的抗倾覆力符合标准要求。
以上计算是ZLP—630型吊篮使用加长臂计算公式,建议在施工过程中尽量降低载荷重量。
b、当前梁伸出长度在1.2米时后支架G2=90kgf:支臂配重G1=500kgf:反倾覆力F=G1+G2=590kgf吊臂的力矩M=1.2G=1.2*630*9.8=7408.8牛.米反倾覆力矩M1=5G=5*590*9.8=28910牛.米K=M1/M=28910/7408.8=3.90>2 吊臂的抗倾覆力符合标准要求。
以上计算是ZLP—630型吊篮正常吊臂计算,其他长度的可参照计算,建议在施工过程中尽量降低载荷重量,其它的数据详见吊篮说明书和按拆方案。
五、加长梁选用钢材:1 加长梁选用20号钢:a、拉伸应力为ób=410Mpa(查实用金属材料手册3.34GB699-88)b、需用拉伸应力为[ób]= ób/2=410/2=205Mpa……2为安全系数(根据zlp630型高处作业吊篮设计计算书p34)c、需用拉伸应力为[ì]= [ób]*0.76=155.8Mpa……0.76为安全系数(根据zlp630型高处作业吊篮设计计算书p34)根据我公司技术部的计算,我公司的吊篮在吊臂伸出最大为2.4米是安全可靠。
悬挂式吊篮计算书计算依据:1、《建筑施工工具式脚手架安全技术规范》JGJ202-20102、《钢结构设计规范》GB50017-2003一、吊篮参数二、荷载参数计算简图:悬挂式吊篮_侧立面悬挂式吊篮_正立面三、荷载计算吊篮受风面积:F=6×1.2=7.2 m2吊篮的风荷载标准值:Q wk=ωk×F=0.432×7.2=3.11 kN/m2吊篮底部最大面积:A=6×0.7=4.2 m2施工活荷载标准值:Q k= q k'×A=1×4.2=4.2 kN吊篮动力钢丝绳竖向荷载标准值:Q1=(G K+Q k)/2=(6+4.2)/2=5.1 kN吊篮动力钢丝绳水平荷载标准值:Q2=Q wk/2=3.11/2=1.555 kN动力钢丝绳所受拉力的施工核算值:Q D=K(Q12+Q22)0.5=9×(5.12+1.5552)0.5=47.987 kN 支撑悬挂机构前支架的结构所承受的集中荷载:N D= Q D(1+L1/L2)+G D=47.987×(1+1.7/4)+5.255=73.636 kN四、钢丝绳校核[F g]=α×n×F g=0.85×2×39=66.3 kN[F g]=66.3 kN ≥Q D=47.987 kN满足要求!五、配重验算支承悬挂机构后支架的结构所承受的集中荷载:T=2×(Q D×L1/L2)=2×(47.987×1.7/4) =40.789 kN允许最小配重重量:m0=T×100=40.789×100=4078.867 kg实际配重:m=1000 kg﹤m0=4078.867 kg不满足要求,建议增加配重或调整前支架的位置六、悬挂横梁强度验算1、悬挂横梁抗弯强度验算M max=Q D×L1=47.987×1.7=81.577 kN·mσ=M max/ W=81.577×106/(27.76×103)=2938.665 N/mm2σ=2938.665 N/mm2>f=205 N/mm2不满足要求,建议调整悬挂横梁尺寸2、悬挂横梁抗剪验算V max=Q D+g k×L1=47.987+0.922×1.7=49.554 kNτmax=V max/(8I zδ)[bh02-(b-δ)h2]=49.554×1000×[80×802-(80-8)×722]/(8×1110400×8)=96.7 52 N/mm2τmax=96.752 N/mm2≤τ=125 N/mm2满足要求!结论和建议:1.配重验算不满足要求,建议增加配重或调整前支架的位置2.悬挂横梁抗弯强度验算不满足要求,建议调整悬挂横梁尺寸。
ZLP630高处作业吊篮抗倾覆计算在高处作业中,吊篮的抗倾覆计算十分重要。
高处作业吊篮的抗倾覆计算通常包括吊篮的基本参数、倾覆条件、倾覆力矩以及倾覆稳定性等方面的考虑。
本文将详细说明ZLP630高处作业吊篮的抗倾覆计算。
首先,我们需要明确ZLP630高处作业吊篮的基本参数,包括高度H、宽度W、长度L、自重G、载荷Q等内容。
吊篮的自重和载荷是计算抗倾覆的基础数据,需要准确测量和确定。
倾覆条件是指吊篮在高处作业中容易发生倾覆的工况情况。
倾覆条件通常包括吊篮处于极限工作状态时,吊篮处于开边的工况下以及遇到外力冲击时等。
针对这些倾覆条件,我们需要对吊篮的倾覆力矩进行计算。
倾覆力矩是指使吊篮发生倾覆的力矩大小。
它的计算需要考虑到吊篮的自重、载荷、作用点距离转轴的距离等因素。
对于ZLP630高处作业吊篮来说,倾覆力矩的计算公式可以表示为:M=(G+Q)×L/2其中,M表示倾覆力矩,G表示吊篮的自重,Q表示吊篮的载荷,L表示吊篮的长度。
最后,我们需要考虑吊篮的倾覆稳定性。
倾覆稳定性是指吊篮在面临倾覆力矩时保持平衡的能力。
在计算中,我们需要比较倾覆力矩与吊篮倾覆稳定力矩的大小关系。
如果倾覆力矩大于倾覆稳定力矩,则吊篮将发生倾覆。
为了确保吊篮的倾覆稳定性,我们需要选择合适的倾覆稳定力矩。
倾覆稳定力矩的计算通常采用安全系数的方法。
根据国家标准和相关规范,我们可以查询各种工况下不同安全系数的倾覆稳定力矩数值,然后将倾覆力矩与倾覆稳定力矩进行比较,以确定吊篮的倾覆稳定性。
综上所述,ZLP630高处作业吊篮的抗倾覆计算涉及吊篮的基本参数、倾覆条件、倾覆力矩以及倾覆稳定性等方面的考虑。
通过综合计算和比较,我们能够确保吊篮在高处作业中的稳定性和安全性。
在实际应用中,我们还应该根据工作环境和具体要求进行有针对性的计算和调整,以满足不同的工程需求。
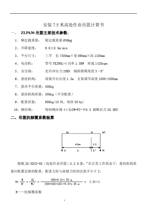
安装7.5米高处作业吊篮计算书一、ZLP630吊篮主要技术参数:1、额定载重量:限定载重量630kg2、升降速度:9.6±0.5m/min3、平台尺寸:三节长7500mm×宽690mm×高1180mm4、电动机:型号YEJ90L-4功率1.5KW 转速1420rpm5、安全锁:允许冲击力20KN 倾斜锁绳角度3~8º6、悬挂机构:前梁升出长度1.3m 支架调节高度1000-1500mm7、悬吊平台质量:500kg8、悬挂机构质量:300kg(不含配重)9、配重质量: 900kg(18块,每块50㎏)10、钢丝绳:特制钢丝绳4×31SW+FC-Ф8.3 破断拉力55.5KN二、吊篮抗倾覆系数验算根据JG/5032-93(高处作业吊篮)5.2.9条:“在正常工作状态下,悬挂机构质量应配置足够的配重,配重力矩与前倾力矩的比值不小于2。
R= M=GL=900*9.8*4.5N.m= 2.53≥2 M1WL1(500+630+100)*9.8*1.3N.mR——抗倾覆系数G——配重质量W——悬吊平台及其钢丝绳质量与限定载重量之和。
L——配重距支柱距离L1——钢丝绳距支柱距离四、吊篮钢丝绳安全系数验算1、根据JG/T5032-93《高处作业吊篮》5.3.14.3条:“钢丝绳安全系数不小于9”,其计算按下式:NS——单根钢丝绳破断拉力a——钢丝绳根数W——悬吊平台及其钢丝绳质量与额定载重量之和2、根据JG/5032-93《高处作业吊篮》5.3.14.5条:“工作钢丝绳钢丝根数不少于114根。
钢丝绳最小直径应不小于6mm。
”我公司采用无锡雄宇建筑机械有限公司生产的4×31SW+FC-8.30“高处作业吊篮专用钢丝绳”,钢丝根数160根,直径Ф8.3mm,破断拉力55.5KN,符合标准要求。
公司技术负责人签字:。
目录一、工程概况 (2)二、编制依据 (2)三、吊篮选用 (3)四、吊篮的基本构成及最大组成长度 (3)五、吊篮的布置 (4)六、施工准备 (4)七、吊篮安装规范和安全性要求 (5)八、吊篮使用的载荷要求 (8)九、吊篮的调试 (8)十、吊篮的验收 (9)十一、吊篮的拆除 (9)十二、安全操作要求 (9)十三、吊篮防倾计算案 (13)一、工程概况该工程为克旗旅游商贸广场D区4#楼工程,建筑物高度约 41.45 米。
该楼外立面保温及涂料工程拟采用无锡市龙升建筑机械有限公司生产的电动吊篮施工。
预计此项目安装ZLP-630型电动吊篮约台,每台吊篮设置独立安全救生绳,专人进行维护、维修和日常安全检查。
吊篮安装单位:安装单位及出租方现场进行安装并技术指导,施工方工人做辅助工作。
二、编制依据:2.2.1 相关现行法律、法规、规章●《中华人民共和国建筑法》●《中华人民共和国安全生产法》●《建设工程安全生产管理条例》●《生产安全事故报告和调查处理条例》●《危险性较大的分部分项工程安全管理办法》●《建筑施工企业安全生产管理机构设置及专职安全生产管理人员配备办法》●《建筑施工特种作业人员管理规定》●《企业安全生产费用提取和使用管理办法》●《建筑施工企业负责人及项目负责人施工现场带班暂行办法》2.2.2主要标准、规范、规程、图集●《建筑施工安全检查标准》(JGJ59-2011)●《建设工程施工现场环境与卫生标准》JGJ 146-2013●《建筑施工作业劳动防护用品配备及使用标准》JGJ184-2009●《施工企业安全生产评价标准》JGJ/T77-2010●《建筑机械使用安全技术规程》JGJ33-2012●《建筑施工高处作业安全技术规范》(JGJ80-91)●《建筑施工安全技术统一规范》GB50870-2013●《建筑施工工具式电动吊篮安全技术规范》JGJ202-2010●《施工现场机械设备检查技术规程》(JGJ160-2008)●《建筑机械使用安全技术规程》(JGJ33-2012)●《安全帽》 GB2811-2007●《安全网》 GB5725-2009●《安全带》GB6095-2009三吊篮选用为确保工程进度、安全和施工质量,拟采用无锡市龙升建筑机械有限公司的电动吊篮(效果图见附图一)进行外墙面的装饰作业,根据楼顶四周及外墙作业面的实际情况,经过实地考察和测量,工地现场的场地能够满足吊篮的安装要求和施工方的施工要求。
吊篮计算书一、计算依据1、《建筑施工工具式脚手架安全技术规范》JGJ202-20102、《钢结构设计规范》GB50017-2003二、吊篮计算参数(图1)吊篮工作平台立面图(图2)吊篮悬挂机构立面图三、荷载统计吊篮受风面积:F=h×l=1.45×6=8.7m2根据相关参数可得:ω0=0.3kN/m2μz=1μs=1.3*A n/(h×l)=1.3×0.6/(1.45×6)=0.09风荷载标准值:ωk=μzμsω0=1×0.09×0.3=0.027kN/m2则吊篮的风荷载标准值:Qwk=ωk×F=0.027×8.7=0.234kN吊篮底部面积:A=l×b=6×0.76=4.56m2施工活荷载标准值:Q k1=q k1×A=1×4.56=4.56kN四、钢丝绳安全验算吊篮动力钢丝绳竖向荷载标准值:Q1=(G K+Q k1)/2=(6+4.56)/2=5.28kN 吊篮动力钢丝绳水平向荷载标准值:Q2=Q wk/2=0.234/2=0.117kN吊篮动力钢丝绳所受拉力核算值:Q D=K(Q12+Q22)0.5=9×(5.282+0.1172)0.5=47.532kN支撑悬挂机构前支架的结构所承受的集中荷载:N D=Q D×(1+L1/L2)+G k=47.532×(1+0.5/4.6)+6=58.698kN[F g]=α×n×F g=0.85×2×156=265.2kN[F g]=265.2kN≥Q D=47.532kN满足要求五、配重验算支承悬挂机构后支架的结构所承受的集中荷载:T=2×(Q D×L1/L2)=2×(47.532×0.5/4.6)=10.333kN允许最小配重重量:m0=T×1000/10=10.333×1000/10=1033.297kg实际配重:m=2000kg≥m0=1033.297kg满足要求六、悬挂横梁强度验算1、悬挂横梁抗弯强度验算M max=Q D×L1=47.532×0.5=23.766kN·mσ=M max/W=23.766×105/(11.93×103)=199.211N/mm2σ=199.211N/mm2≤[f]=205N/mm2满足要求2、悬挂横梁抗剪验算V max=Q D+g k×L1=47.532+0.067×0.5=47.565kNτmax=V max S/Ib0=47.565×15.25/(29.81×2)=12.167N/mm2≤[τ]=125N/mm2 满足要求。
Z L P630型吊篮计算书?下图为吊篮单个支架的受力情况,由于悬吊平台由两个支架及相应悬吊点共同承受,故图中G1为额定载荷、平台自重及钢丝绳和电缆线重量总和的一半,G2为单个支架后座所放配重块的重量:Fl为楼板对前座的支撑力t?F2为楼板对后座的支撑力;L1为悬吊点与前支座的水平间距.L2为前后支座的水平间距。
己知ZLP630型吊篮额定载荷为550kg,悬吊平台按400kg计算t四根钢丝绳按每根60m(0.26kg/m)即总重62.4kg计算。
即?Gl=(额定载荷十平台自重十钢丝绳)÷2?=?g*?(550kg+400kg+62.4kg)÷2=5.06kN?1、钢丝绳破断拉力计算?我司吊篮采用的江阴法尔胜金属线缆制品有限公司生产的中8.3航空用钢丝绳?其破断拉力为53.?40kN。
标准规定电动吊篮钢丝绳的安全系数不小于9。
?即N=S*a/W≥9??N--安全系数??s--单根承重钢丝绳的额定破断拉力,为53.?40KN???a一承重钢丝绳根数1???????W一指荷载即G1=5.?06kN???N=53.?40×1÷5.?06=10.55>9?故钢丝绳安全系数满足标准规定要求。
?2、抗倾覆安全系数计算根据《高处作业吊篮GB?19155-2003》第5.2.7条,抗倾覆系数(即抗倾覆力矩与倾覆力矩的比值)不得小于2,因此支架受力需满足不等式(G2*g*L2)÷(G1*g*L1)≥2?即G2≥2?*G1*L1÷L2?(1)当前梁伸出 1.3m时,即L1=1.3m,L2=4.6m?,2*G1*L1÷L2=2.86kN????即G2不得少于2.86kN?相应的后支座放18块配重(450kg)即4.5kN,显然满足安全要求。
?(2)当前梁伸出 1.5m时,即L1=1?.5m?,L2=4.4m,2*G1*L1÷L2=3.45kN????即G2不得少于3.45kN?相应的后支座放18块配重(?450kg)即4.5kN,也满足安全要求。
某⼯程ZLP-630型悬挂式吊篮计算书悬挂式吊篮计算书计算依据:1、《建筑施⼯⼯具式脚⼿架安全技术规范》JGJ202-20102、《钢结构设计规范》GB50017-2003⼀、吊篮参数吊篮型号ZLP-630 吊篮尺⼨(m)【长×宽×⾼】6×0.7×1.1 吊篮的锚固措施配重悬挂配重重量m(kg) 1000悬挂横梁前⽀架⽀撑点⾄吊篮吊点的长度L1(m) 1.3悬挂横梁前⽀架⽀撑点⾄后⽀架⽀撑点之间的长度L2(m)2.6⼆、荷载参数计算简图:悬挂式吊篮_侧⽴⾯悬挂式吊篮_正⽴⾯三、荷载计算吊篮受风⾯积:F=6×1.1=6.6 m2吊篮的风荷载标准值:Q wk=ωk×F=0.702×6.6=4.633 kN/m2吊篮底部最⼤⾯积:A=6×0.7=4.2 m2施⼯活荷载标准值:Q k= q k'×A=1×4.2=4.2 kN吊篮动⼒钢丝绳竖向荷载标准值:Q1=(G K+Q k)/2=(3+4.2)/2=3.6 kN 吊篮动⼒钢丝绳⽔平荷载标准值:Q2=Q wk/2=4.633/2=2.317 kN动⼒钢丝绳所受拉⼒的施⼯核算值:Q D=(Q12+Q22)0.5=(3.62+2.3172)0.5=4.281 kN⽀撑悬挂机构前⽀架的结构所承受的集中荷载:N D= Q D(1+L1/L2)+G D=4.281×(1+1.3/2.6)+0.371=6.793kN四、钢丝绳校核[F g]=α×n×F g/K=0.85×1×51.8/6=7.338kN[F g]=7.338kN >Q D=6.793 kN满⾜要求!五、配重验算⽀承悬挂机构后⽀架的结构所承受的集中荷载:T=2×(Q D×L1/L2)=2×(4.281×1.3/2.6)=4.281 kN允许最⼩配重重量:m0=T×100=4.281×100=428.1 kg实际配重:m=1000 kg>m0=428.1 kg满⾜要求!六、悬挂横梁强度验算1)悬挂横梁抗弯强度验算M max=Q D×L1=4.281×1.3=5.565kN·mσ=M max/ W=5.565×106/(29×103)=191.897 N/mm2σ=191.897 N/mm2<f=215 N/mm2满⾜要求!2)悬挂横梁抗剪验算V max=Q D+g k×L1=4.281+0.095×1.3=4.405 kNτmax=V max S/(It w)=4.405×1000×17.34×1000/(117×10000×0.8×10)= 8.16N/mm2τmax= 8.16 N/mm2≤τ=125 N/mm2满⾜要求!。
吊篮计算书630型吊篮钢丝绳的安全系数计算1. 国标19155-2003要求,钢丝绳安全系数不应小于9。
2. 选用钢丝绳:航空镀锌吊篮专用Q/320281PM02-2007,4×31SW+PP-8.3,破断拉力≥53190N。
3.总载荷计算:(1)、钢平台自重: 380Kg (按3节X2米=6米计算)(含:钢栏子255Kg,提升机2台X50Kg,安全锁2把X5.5Kg,电控箱15Kg)(2)、钢丝绳: 50Kg (按长度100m×2根×25Kg)(3)、电缆线: 30Kg (按长度100m计算)(4)、重锤: 24Kg (12Kg×2个)(5)、额定载荷: 630Kg总载荷:F=1114kg×9.8N/kg=10917N4. 校核∵n=S×a/F n---安全系数S---单根承重钢丝绳的额定破断力a---承重钢丝绳根数F---总载荷n=53190×2/10917=9.74﹥9∴选用钢丝绳满足要求。
吊篮悬挂机构对楼面的压力分析对横梁ABC ,和钢丝绳AD 和CD 进行力学分析。
其中钢丝绳AD 和CD 始终是处于受拉状态,AB 长3.6m ,BC 长1.3m ,BD 长0.9m. 故受力简图如下所示:取ABC 为研究对象,作受力分析得A BCDCDy ABy Ax BD T F F F F F ++=++ (1)又对D 点进行受力分析得,BD ABy CDy F F F =+. 故(1)变为Ax T F F =+ (2)对A 点取力矩得(3.6 1.3) 3.6A M F T ++= (3)当极限情况时得(3.6 1.3) 3.6F T +=,故得 1.36T F =ZLP630吊篮额定载荷为630公斤,悬挂系统采用两付支架悬挂,单边支架前支座对楼面的压力为:T=1.36F=1.36(500+630)/2=768kg.所以整个吊篮悬挂机构对楼面的压力为:所压配重和前支座的压力,即:(900+768)×2=3336kg=32700N=32.7kN又:悬挂机构两付支架构成的受力面积为:3.6×(6+1.1)=25.6平方米所以楼面承受悬挂机构的荷载为:1.28。
悬挂式吊篮计算书计算依据:1、《建筑施工工具式脚手架安全技术规范》JGJ202-20102、《钢结构设计规范》GB50017-2003一、吊篮参数二、荷载参数计算简图:162 =^6.6=4.633 kN/mX 吊篮的风荷载标准值:QF=0・702X1211三.荷载计算21.1=6.6 m 吊篮受风面积: F=6X 17kwk2正立面悬挂式吊篮 _____________________0.7=4.2 m吊篮底部最大而积:A=6X施匸活荷载标准值:Q= q'X A=1 X 4.2=4.2 kNkk 吊篮动力钢丝绳竖向荷载标准值:Q=(G+Q)/2=(3+4.2)/2=3.6 kNkiK 吊篮动力钢丝绳水平荷载标准值:Q=Q/2=4.633/2=2.317 kN ,12220.5= +Q动力钢丝绳所受拉力的施工核算值:Q=(Q) 2Di22o.5=4.281 kN+2.317(3.6) 支撐悬挂机构前支架的结构所承受的集中荷载:N=Q(l+ DD L/L)+G=4.281 X (l+1.3/2.6)+0.371=6.793kN D?I四、钢丝绳校核[F]= a XnXF/K=0.85X 1 X51.8/6=7.338kN奧[F]=7.338kN >Q=6.793kN% 满足要求!五、配重验算支承悬挂机构后支架的结构所承受的集中荷载:T=2X(QXL/L)=2X (4.281 X 1.3/2.6)=4.281 kN21D 允许最小配重重量:m=TX 100=4.281 X 100=428.1 kg018实际配重:m=1000 kg>m=428.1 kg o 满足要求!六、悬挂横梁强度验算M=QXL=4.281X 1.3=5.565kN ・ miDmax632)=191.897 N/iimV(29X 1010 O =M/W=5.565X 皿匸215N/nun o =191.897 N/mm<满足要求!2)悬挂横梁抗剪验算V=Q+gX L=4.281+0.095 X 1.3=4.405 kNiDmaxk T =VS/(It)=4.405 X 1000 X 17.34 X 1000/(117 X 10000X0.8 X 10)—wmaxmax28・16N/mni22=125 N/mmW i = 8.16N/nmi Tmax 满足要求!19。
一、吊篮计算书1、吊篮主要技术性能参数额定载重量:630KG,限载500KG;升降速度:9.3m/min吊篮平台尺寸:1500~5000mm×690mm×1180mm;吊篮上部支架长度:6000mm电动机:功率:1.5kW,转速:1400r/min;吊篮平台重量:486KG悬挂机构重量:303KG;配重:1000KG;钢丝绳:4*31s+PP-8.3,破段拉力54kN2、吊篮安装示意图3、ZLP630高处作业吊篮验算按使用高度131m,工作平台最大长度为4.0米,ZLP630型号的吊篮,进行核算。
1)静荷载(1)吊篮的自重480㎏(见使用说明书)(2)吊篮钢丝绳自重:4*0.244*131=12㎏(钢丝绳每米自重0.244kg)2)荷载计算(1)吊篮的风荷载标准值2/08.65230009.204.11m N o z s z k =⨯⨯⨯=⨯⨯⨯=ωμμβωK ω:荷载标准值;z β:风振系数,一般情况取1;s μ:风荷载体型系数,查《建筑施工工具式脚手架安全技术规范》JGJ202-2010中表4.1.2-4,取1.3φ。
表中挡风系数φ应按0.8计算。
即s μ=1.04;z μ:风压高度变化系数,按《建筑结构荷载规范》GB50009-2012中表7.2.1中规定取值,此处按建筑高度100米,地面粗糙度B 级(有密集建筑群的城市市区)。
即z μ=2.09;o ω:基本风压值,按《建筑结构荷载规范》GB50009-2012附表D.4中n=50年的规定取值,即o ω=300N/㎡(遵义市)Nm m m N F Q K WK 81.307718.14/08.6522=⨯⨯=⨯=ω WK Q :吊篮的风荷载标准值;K ω:风荷载标准值;F :吊篮受风面积。
(2)吊篮竖向荷载标准值计算[]N Q Q 35.531128.95008.995.978.9486)/2(G k k 1=÷⨯+⨯+⨯=+=1Q :吊篮工作钢丝绳竖向荷载标准值;k G :吊篮平台及钢丝绳自重标准值;k Q :吊篮额定荷载。
悬挂式吊篮计算书
计算依据:
1《建筑施工工具式脚手架安全技术规范》JGJ202-2010
2、《钢结构设计规范》GB50017-2003
一、吊篮参数
、荷载参数
计算简图:
三、荷载计算
吊篮受风面积:F=6X1.1=6.6 m2
吊篮的风荷载标准值:Q wk=g汗=0.702 66=4.633 kN/m2
吊篮底部最大面积:A=6X0.7=4.2 m2
施工活荷载标准值:Q k= q k'A=1X4.2=4.2 kN
吊篮动力钢丝绳竖向荷载标准值:Q i=(G K+Q k)/2=(3+4.2)/2=3.6 kN
吊篮动力钢丝绳水平荷载标准值:Q2=Q wk/2=4.633/2=2.317 kN
动力钢丝绳所受拉力的施工核算值:Q D=(Q I2+Q22)0.5=
(3.62+2.3172)0.5=4.281 kN
支撑悬挂机构前支架的结构所承受的集中荷载:N D二Q D(1+
L
1/L
2
)+G D=4.281&+ 1.3/2.6)+0.371=6.793kN
四、钢丝绳校核
[F
g
]= a>tiX F g/K=0.85 XX51.8/6=7.338kN
[F g]=7.338kN >Q D=6.793 kN
满足要求!
五、配重验算
支承悬挂机构后支架的结构所承受的集中荷载:T=2X(Q D X L/L2)=2 >(4.281 *3/2.6)=4.281 kN
允许最小配重重量:m o=T>100=4.281 100=428.1 kg
实际配重:m=1000 kg>m°=428.1 kg
满足要求!
六、悬挂横梁强度验算
1) 悬挂横梁抗弯强度验算
M max=Q D>L i=4.281 X.3=5.565kN m
(T =M hax/ W=5.565 >6/(29 >03)=191.897 N/mm2
2 2
c = 91.897 N/mm2v f=215 N/mm2
满足要求!
2) 悬挂横梁抗剪验算
V max=Q D+g k>L i=4.281+0.095 13=4.405 kN
T ax二V max S/(lt w)=4.405 1000 XI7.34 1000/(117 10000 >0.8 X0)= 8.16N/mm2
T ax= 8.16 N/mm2<T125 N/mm2
满足要求!。