角钢理论重量表14652
- 格式:docx
- 大小:16.09 KB
- 文档页数:7
角钢理论分量表角钢理论分量表本文档旨在提供一个详细的角钢理论分量表,以供参考使用。
以下是针对不同规格和尺寸的角钢的理论分量进行详细的细化说明。
1. 角钢简介角钢是由原材料热轧或者冷弯形成的一种长形钢材,横截面呈“L”字形。
角钢具有强度高、刚度大、分量轻等优点,广泛应用于建造、创造业等领域中。
2. 角钢的规格和尺寸角钢的规格和尺寸多种多样,下面将详细介绍各种规格和尺寸的角钢的理论分量。
2.1 以材质为Q235B的角钢为例,以下是常见规格和尺寸的角钢的理论分量表:规格(mm) 分量(kg/m)20x20x3 0.88925x25x3 1.12425x25x4 1.45930x30x3 1.37330x30x4 1.78630x30x5 2.17640x40x3 1.85240x40x4 2.42240x40x5 2.97650x50x3 2.33250x50x4 3.05950x50x5 3.77060x60x4 3.64760x60x5 4.55560x60x6 5.4272.2 根据角钢的不同材质和规格,理论分量也有所差异。
在使用时,应根据具体的规格和尺寸来计算角钢的理论分量。
3. 注意事项在使用角钢理论分量表时,应注意以下事项:3.1 该表格中的分量值仅为理论值,实际使用中可能会存在一定的误差。
因此,在具体项目中,应结合实际情况进行准确计算。
3.2 角钢的实际分量还会受到角钢的长度、角度、角钢壁厚等因素的影响。
在进行具体计算时,应综合考虑这些因素。
4. 附件本文档所涉及的附件如下:4.1 角钢理论分量表请参见附件1中的表格,其中详细列出了不同规格和尺寸的角钢的理论分量。
5. 法律名词及注释本文档所涉及的法律名词及其注释如下:5.1 材质角钢的材质可以是Q235B等。
材质指的是角钢的主要成份。
5.2 规格和尺寸规格和尺寸是指角钢的形状、大小等参数。
常见的规格和尺寸包括20x20x3、25x25x3等。
边宽边厚长边宽短边宽边厚3 1.124251630.9124 1.45925164 1.176303 1.37332203 1.171304 1.78632204 1.5223 1.65640253 1.4844 2.16340254 1.9365 2.65445283 1.6873 1.85245284 2.2034 2.42250323 1.9085 2.97650324 2.4943 2.08856363 2.1534 2.73656364 2.8185 3.36956365 3.4666 3.98563404 3.1853 2.33263405 3.924 3.05963406 4.6385 3.7763407 5.3396 4.46570454 3.573 2.62470455 4.4034 3.44670456 5.2185 4.25170457 6.0118 6.56875505 4.8084 3.90775506 5.6995 4.822755087.4316 5.7217550109.09887.46980505 5.005109.15180506 5.9354 4.37280507 6.8485 5.397805087.7456 6.40690565 5.66177.39890566 6.71788.373905677.7565 5.818905688.7796 6.9051006367.5577.9761006378.72289.031006389.8781011.0891********.1425 6.2111008068.3567.3761008079.65678.52510080810.94689.658100801013.4761011.8741107068.3568.351107079.65679.65611070810.946810.946110701013.4761013.47612580711.0661215.9412580812.51169.366125801015.474710.83125801218.33812.27614090814.161015.12140901017.4751217.898140901220.7241420.611140901423.9081623.2571601001019.872711.9281601001223.592813.5321601001427.2471016.691601001630.8351219.7821801101022.2731422.8091801101226.4641019.1331801101430.5891222.6961801101634.6491426.1932001251229.7611021.4882001251434.4361225.5222001251639.0451429.492001251843.5881633.3931024.7291229.3911433.9871638.5181233.1591438.3831643.5421848.6341442.8941648.681854.4012060.0562471.168理论重量 (kg/m)2.52533.636440型号尺寸(mm)5.6566.3634.5455508809907707.575141401010011110理论重量(kg/m )20200热轧等边角钢理论重量表(等边角钢的理论重量)161601818012.51254.5/2.85/3.23.2/22.5/16型号尺寸(mm )热轧不等边角钢理论重量表(不等边角钢的理论重量)10月8日11月7日12.5/89月14日5.6/3.66.3/47/4.57.5/58月5日什么是角钢? 角钢型号 角钢规格 角钢价格角钢俗称角铁、是两边互相垂直成角形的长条钢材。
角钢理论重量表大全1. 什么是角钢?角钢,也称为角铁,是由热轧或冷轧钢板经剪切机剪切而成的L型钢材,其横截面呈角形。
角钢通常用于建筑、工程和机械制造等领域,常用于承重结构和支撑框架。
2. 角钢的重量计算方法角钢的重量计算是估算角钢的质量,用以评估其承重能力和应用范围。
常用的计算方法是基于角钢的截面形状和材料密度进行计算。
2.1 角钢截面形状角钢的截面形状通常有两个主要尺寸:边长(a)和厚度(b)。
以这两个尺寸为基础,可以计算出角钢的截面面积(A)和截面惯性矩(I)。
2.2 角钢质量计算公式角钢的质量可以通过以下公式进行计算:质量(m)= 面积(A)× 密度(ρ)其中,面积(A)= a × b,密度(ρ)是角钢的材料密度。
3. 角钢理论重量表下面是一份角钢理论重量表,包含常见角钢尺寸及其对应的重量估算值。
请注意,这些数值仅供参考,实际情况可能会有所不同。
边长(mm)厚度(mm)重量(kg/m)2030.885253 1.122303 1.359304 1.798403 1.798 404 2.386 405 2.974 504 2.983 505 3.717 506 4.451 634 3.878 635 4.839 636 5.7996387.718805 6.115 8067.352 8089.826 801012.298 10069.152 100812.242 1001015.3044. 注意事项在使用角钢重量表时,请注意以下几点:•这些数值仅是角钢的理论重量,实际情况可能因材料的制造工艺、尺寸公差等因素而有所不同。
•若需要精确的重量计算,最好进行实际称重或咨询专业人士。
•在选择角钢时,应根据具体应用需求和承受力的要求,合理选择合适的规格和尺寸。
5. 结论角钢理论重量表是一个帮助我们估算角钢重量的工具,通过截面形状和材料密度的计算,可以很好地评估角钢的承重能力。
但需要注意,这只是一个理论值,实际使用时应结合实际情况进行选择。
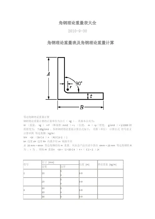
角钢理论重量表(总7页)--本页仅作为文档封面,使用时请直接删除即可----内页可以根据需求调整合适字体及大小--角钢理论重量表大全2010-9-30角钢理论重量表及角钢理论重量计算等边角钢理论重量计算钢材理论重量计算的计量单位为公斤( kg )。
其基本公式为:W (重量, kg ) = F (断面积 mm2 )× L (长度, m )×ρ(密度, g/cm3 )× 1/1000钢的密度为: cm3 ,各种钢材理论重量计算公式如下:名称(单位)计算公式符号意义计算举例等边角钢(kg/m)W= ×[d (2b C d )+ (R2 C 2r 2 )]b= 边宽d= 边厚R= 内弧半径r= 端弧半径求20 mm × 4mm 等边角钢的每m 重量。
从冶金产品目录中查出4mm × 20 mm 等边角钢的R 为,r 为,则每m 重量= ×[4 ×(2 ×20 C 4 )+ ×( C 2 × 2 )]=热轧等边角钢尺寸及重量计算公式:W(kg/m)=*边厚*(2边宽-边厚)不等边角钢理论重量计算钢材理论重量计算的计量单位为公斤( kg )。
其基本公式为:W (重量, kg ) = F (断面积 mm2 )× L (长度, m )×ρ(密度, g/cm3 )× 1/1000钢的密度为: cm3 ,各种钢材理论重量计算公式如下:名称(单位)计算公式符号意义计算举例不等边角钢(kg/m)W= ×[d (B+b C d )+ (R2 C 2 r 2 )]B= 长边宽b= 短边宽d= 边厚R= 内弧半径r= 端弧半径求30 mm × 20mm × 4mm 不等边角钢的每m 重量。
从冶金产品目录中查出30 ×20 ×4 不等边角钢的R 为,r 为,则每m 重量= ×[4 ×(30+20 C 4 )+ ×( C 2 × 2 )]=。
角钢理论重量表大全2010-9-30角钢理论重量表及角钢理论重量计算等边角钢理论重量计算钢材理论重量计算的计量单位为公斤(kg )。
其基本公式为:W (重量,kg )= F (断面积mm2 )× L (长度,m )×ρ(密度,g/cm3 )× 1/1000钢的密度为:7.85g/cm3 ,各种钢材理论重量计算公式如下:名称(单位)计算公式符号意义计算举例等边角钢(kg/m)W= ×[d (2b C d )+ (R2 C 2r 2 )]b= 边宽d= 边厚R= 内弧半径r= 端弧半径求20 mm × 4mm 等边角钢的每m 重量。
从冶金产品目录中查出4mm × 20 mm 等边角钢的R 为,r 为,则每m 重量= ×[4 ×(2 ×20 C 4 )+ ×( C 2 × 2 )]=型号尺寸(mm)长度(m) 理论重量(kg/m) 边宽边厚2 20 343-925 343-93 3030343-9 36 33-9热轧等边角钢尺寸及重量计算公式:W(kg/m)=*边厚*(2边宽-边厚)不等边角钢理论重量计算钢材理论重量计算的计量单位为公斤(kg )。
其基本公式为:W (重量,kg )= F (断面积mm2 )× L (长度,m )×ρ(密度,g/cm3 )× 1/1000钢的密度为:7.85g/cm3 ,各种钢材理论重量计算公式如下:名称(单位)计算公式符号意义计算举例不等边角钢(kg/m)W= ×[d (B+b C d )+ (R2 C 2 r 2 )]B= 长边宽b= 短边宽d= 边厚R= 内弧半径r= 端弧半径求30 mm × 20mm × 4mm 不等边角钢的每m 重量。
从冶金产品目录中查出30 ×20 ×4 不等边角钢的R 为,r 为,则每m 重量= ×[4 ×(30+20 C 4 )+ ×( C 2 × 2 )]=。
热轧等边角钢理论重量表型号尺寸(mm) 理论重量型号尺寸(mm) 理论重量边宽厚度kg/m 边宽厚度kg/m2 203 0.8779 9010 13.476 4 1.145 12 15.942.5 253 1.12110 100 6 9.3664 1.459 7 10.833 30 3 1.373 8 12.2764 1.786 10 15.124 40 3 1.852 12 17.8984 2.422 14 20.6115 2.976 16 23.2575 50 3 2.33211 1107 11.9284 3.059 8 13.5325 3.77 10 16.696 4.465 12 19.7826.3 63 4 3.097 14 22.8095 4.82212.5 1258 15.504 6 5.721 10 19.133 8 7.469 12 22.696 10 9.151 14 26.1937 70 4 4.37214 14010 21.4885 5.397 12 25.5226 6.406 14 29.497 7.398 16 33.3938 8.37316 16010 24.7297.5 75 5 5.818 12 29.3916 6.905 14 33.9877 7.976 16 38.5188 9.0318 18012 33.159 10 11.089 14 38.3838 80 5 6.221 16 43.5426 7.376 18 48.6347 8.52520 20014 42.894 8 9.658 16 48.68 10 11.874 18 54.4019 90 6 8.35 20 60.0567 9.656 24 71.1688 10.946什么是角钢? 角钢型号角钢规格角钢价格角钢俗称角铁、是两边互相垂直成角形的长条钢材。
有等边角钢和不等边角钢之分。
等边角钢的两个边宽相等。
角钢理论重量表大全之高陈檩檀创作
2010-9-30
角钢理论重量表及角钢理论重量计算
等边角钢理论重量计算
钢材理论重量计算的计量单位为公斤( kg )。
其基本公式为:W (重量, kg ) = F (断面积 mm2 )× L (长度, m )×ρ(密度, g/cm3 )× 1/1000钢的密度为: 7.85g/cm3 ,各种钢材理论重量计算公式如下:名称(单位)计算公式符号意义计算举例等边角钢(kg/m)
W= 0.00785 ×[d (2b ?C d )+0.215 (R2 ?C 2r 2 )]
b= 边宽d= 边厚R= 内弧半径r= 端弧半径
热轧等边角钢尺寸及重量计算公式:
W(kg/m)=0.00785*边厚*(2边宽-边厚)
不等边角钢理论重量计算
钢材理论重量计算的计量单位为公斤( kg )。
其基本公式为:W (重量, kg ) = F (断面积 mm2 )× L (长度, m )×ρ(密度, g/cm3 )× 1/1000钢的密度为: 7.85g/cm3 ,各种钢材理论重量计算公式如下:名称(单位)计算公式符号意义计算举例不等边角钢(kg/m)
W= 0.00785 ×[d (B+b ?C d )+0.215 (R2 ?C 2 r 2 )] B= 长边宽b= 短边宽d= 边厚R= 内弧半径r= 端弧半径
上海千虹实业有限公司角钢价格咨询电话:。
角钢理论重量表大全
2010-9-30
角钢理论重量表及角钢理论重量计算
等边角钢理论重量计算
钢材理论重量计算的计量单位为公斤( kg )。
其基本公式为:
W (重量, kg ) = F (断面积 mm2 )× L (长度, m )×ρ(密度, g/cm3 )× 1/1000钢的密度为: 7.85g/cm3 ,各种钢材理论重量计算公式如下:名称(单位)计算公式符号意义计算举例等边角钢(kg/m)
W= 0.00785 ×[d (2b ?C d )+0.215 (R2 ?C 2r 2 )]
b= 边宽d= 边厚R= 内弧半径r= 端弧半径
求20 mm × 4mm 等边角钢的每m 重量。
从冶金产品目录中查出4mm × 20 mm 等边角钢的R 为3.5 ,r 为1.2 ,则每m 重量= 0.00785 ×[4 ×(2 ×20 ?C 4 )+0.215 ×(3.52 ?C 2 ×1.2 2 )]= 1.15kg
?? 热轧等边角钢尺寸及重量??????计算公式:W(kg/m)=0.00785*边厚*(2边宽-边厚)
不等边角钢理论重量计算
钢材理论重量计算的计量单位为公斤( kg )。
其基本公式为:
W (重量, kg ) = F (断面积 mm2 )× L (长度, m )×ρ(密度, g/cm3 )× 1/1000钢的密度为: 7.85g/cm3 ,各种钢材理论重量计算公式如下:名称(单位)计算公式符号意义计算举例不等边角钢(kg/m)
W= 0.00785 ×[d (B+b ?C d )+0.215 (R2 ?C 2 r 2 )]
B= 长边宽b= 短边宽d= 边厚R= 内弧半径r= 端弧半径
求30 mm × 20mm × 4mm 不等边角钢的每m 重量。
从冶金产品目录中查出30 ×20 ×4 不等边角钢的R 为3.5 ,r 为1.2 ,则每m 重量= 0.00785 ×[4 ×(30+20 ?C 4 )+0.215 ×(3.52 ?C 2 ×1.2 2 )]= 1.46kg。