称重传感器接线盒选用
- 格式:doc
- 大小:12.00 KB
- 文档页数:3
称重传感器的接线和安装问题讲解一、概述称重传感器作为一种重要的测量设备,在工业生产中有着广泛的应用。
其接线和安装问题直接影响着称重设备的测量精度和稳定性。
正确的接线和安装方法对于保证称重设备的正常运行至关重要。
二、称重传感器的分类称重传感器按照其测量原理和结构形式可以分为电阻应变式称重传感器、电容式称重传感器、压阻式称重传感器等。
在接线和安装过程中,各种类型的称重传感器都有一定的差异。
1. 电阻应变式称重传感器:该种传感器通过应变片产生的电阻变化来完成测量。
在接线时,需注意应变片接线的顺序和方式,避免因为错误的接线而影响测量的准确性。
2. 电容式称重传感器:电容式称重传感器利用电容的变化来完成测量。
在安装时,需要保证传感器与被测物体之间的安装固定稳定,以免由于震动或者移位导致读数的偏差。
3. 压阻式称重传感器:该种传感器利用压阻效应完成测量。
在接线时,需要注意对电阻器的接线方式,并确保电路的稳定性和可靠性。
三、称重传感器的接线方法正确的接线方法是保证称重传感器测量准确性和稳定性的重要保障。
根据不同类型的称重传感器,其接线方法也有所不同。
1. 电阻应变式称重传感器的接线方法:(1)首先将应变片的电阻片和补偿电阻连接至电桥电路中,确保连接的稳定性;(2)然后将电桥电路的输出端接入放大电路,将信号放大至合适的范围;(3)最后将放大后的信号接入数据采集设备进行测量和记录。
2. 电容式称重传感器的接线方法:(1)首先将电容传感器的电极接入电容测量电路中;(2)接着将电容测量电路的输出端接入放大电路,将信号放大至合适的范围;(3)最后将放大后的信号接入数据采集设备进行测量和记录。
3. 压阻式称重传感器的接线方法:(1)将压阻传感器的阻值接入电压分压电路中以完成信号的变换;(2)接着将电压分压电路的输出端接入放大电路,将信号放大至合适的范围;(3)最后将放大后的信号接入数据采集设备进行测量和记录。
四、称重传感器的安装注意事项称重传感器的安装是保证其正常工作的关键步骤,正确的安装方法可以有效减小误差并提高测量精度。
称重传感器接线盒原理
称重传感器接线盒主要是为了方便称重传感器与其他仪器设备的接线而设计的一种接线设备。
其原理主要有以下几点:
1. 信号放大和转换:称重传感器采集到的微弱的变化物理量信号经过放大和转换,以便能够被其他设备接收和处理。
接线盒通常配备了信号放大器和模数转换器等电子元件,用于放大和转换称重传感器的信号。
2. 电气连接:接线盒通过电气连接的方式将称重传感器与其他设备连接起来。
它通常包括输入端和输出端,输入端连接称重传感器的输出信号,输出端连接其他设备的输入信号。
通过合理的电气连接,接线盒能够实现信号的传输和共享。
3. 保护和隔离:接线盒还具有保护和隔离的功能,能够保护传感器和其他设备不受外界环境和干扰的影响。
它通常包括防护外壳、绝缘材料和过滤器等部件,以确保传感器信号的准确性和稳定性。
总之,称重传感器接线盒通过信号放大和转换、电气连接和保护隔离等原理,实现称重传感器与其他设备之间的信号交互和共享。
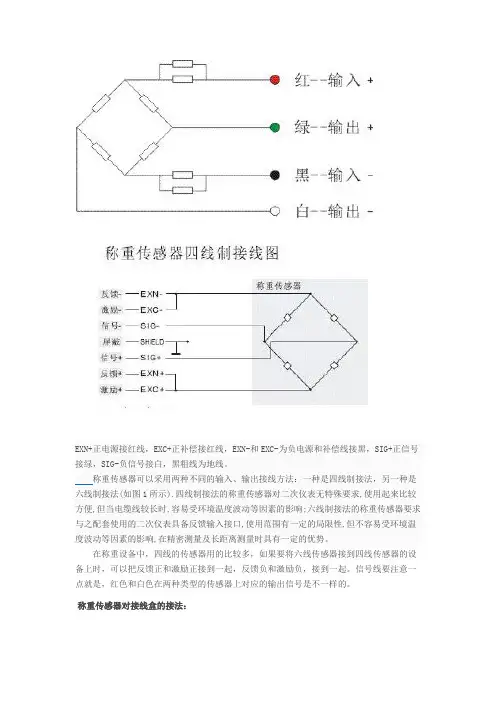
常见的称重传感器接线图和接线问题龙芯JY500A配料仪表内置的称重传感器接线图传感器接线法分六线制和四线制两种(如图3-2)。
该JY500A仪表设备只接受四线制接法。
64JY500A系列仪表的称重传感器接线端子定义B9F汽车衡称重传感器接线图H3C-S型梁式称重传感器的接线方式称重传感器接线的常见问题在称重传感器接线中,电源接线(EXC-,EXC+)与传感器线(SENSE-,SENSE+)二者有什么区别?参考回答:1、传感器的出线有4线和6线两种2、模块或称重变送器的接线也有4线和6线两种你要接4线还是6线首先要看你的硬件要求是如何的,原则当然应该是:能接6线的不接4线,必须接4线的就要进行短接。
一般的称重传感器都是六线制的,当接成四线制时,电源接线(EXC-,EXC+)与传感器线(SENSE-,SENSE+)就分别短接了。
传感器线(SENSE-,SENSE+)不是传感器的输出信号接线!!输出信号接线是SIG+和SIG-?EXC+和EXC-是给称重传感器供电的,但是由于称重模块和传感器之间的线路损耗,实际上传感器接收到的电压会小于供电电压。
每个称重传感器都有一个mV/V的特性,它输出的mV信号与接收到的电压密切相关,SENS+和SENS-实际上是称重模块内的一个高阻抗回路,可以将称重模块实际接收到的电压反馈给称重模块。
假设EXC+和EXC-为10V,线路损耗0.5V,传感器2mV/V,实际上传感器输出最大信号为(10-0.5)*2=19mV,而不是?20mV。
此时称重模块内部就会把19mV作为最大量程,前提是传感器必须通过反馈回路把实际电压反馈给称重模块。
在称重模块上将EXC+与SENS+短接,EXC-与SENS-短接,仅限于传感器与称重模块距离较近,电压损耗非常小的场合,否则测量存在误差。
SCAIME称重传感器法国SCAIME主要分为:显示器,传感器、扭力计、引伸计、力传感器、位置传感器﹑压力或物位传感器。
法国SCAIME公司生产传感器,SCAIME传感器接线盒,SCAIME称重传感器,SCAIME张力传感器,SCAIME放大器,SCAIME编码器,SCAIME扭矩传感器系列产品。
用于化工,食品加工,冶金,航空,医疗,包装行业。
法国SCAIME轴销传感器从20千克至100吨法国SCAIME单点式从200克至1500千克﹐高达6000d分度法国SCAIME压力传感器从5吨到200吨﹐高达5000d分度法国SCAIME弯曲梁-剪切梁从5千克到5000千克﹐高达6000d分度法国SCAIME拉力/压力传感器从20千克到6000千克﹐高达2500d分度1、应变片称重传感器:Epsimetal mV 额定量程:±500μm/m精度等级:±0.5%材质防护:合金钢,IP54内部阻抗:输入1000Ω使用温度:-40°C ~ +85°C特殊应用:螺栓或胶水直接固定2、应变片称重传感器:Epsimetal V 额定量程:±500μm/m精度等级:±0.5%材质防护:合金钢,IP54内部阻抗:输入1000Ω使用温度:-40°C ~ +85C特殊应用:螺栓或胶水直接固定法国SCAIME主要型号:传感器:ATM-6B-10V-1-2ACB-05-CON传感器接线盒:ALCJB-1,ALCJB-3,ALCJB-6称重传感器:AG20C3SH5EF张力传感器:SB30*2000 C3CH5e放大器:CMJ-CEB BOITER 0-10V编码器:F60×50 C3 5E,IPA50扭矩传感器:DR2-5NM称重显示器:IPE100 PLBOX、IPC50 PLBO、XIPC50 SSBOX、IPE50 Panel、IPE50 DIN、IPE50 XLR。
EXN+正电源接红线,EXC+正补偿接红线,EXN-和EXC-为负电源和补偿线接黑,SIG+正信号接绿,SIG-负信号接白,黑粗线为地线。
称重传感器可以采用两种不同的输入、输出接线方法:一种是四线制接法,另一种是六线制接法(如图1所示).四线制接法的称重传感器对二次仪表无特殊要求,使用起来比较方便,但当电缆线较长时,容易受环境温度波动等因素的影响;六线制接法的称重传感器要求与之配套使用的二次仪表具备反馈输入接口,使用范围有一定的局限性,但不容易受环境温度波动等因素的影响,在精密测量及长距离测量时具有一定的优势。
在称重设备中,四线的传感器用的比较多,如果要将六线传感器接到四线传感器的设备上时,可以把反馈正和激励正接到一起,反馈负和激励负,接到一起。
信号线要注意一点就是,红色和白色在两种类型的传感器上对应的输出信号是不一样的。
称重传感器对接线盒的接法:传感器线分红、黑、绿、白、地线(粗黑)接线盒连接段:共有5个端子,其中四个为接传感器的,每个端子5个接线孔,最后一个为出线端,有7个接线孔,连接仪表用的。
每个端子的接法:+EXE接传感器红线,-EXE接传感器黑线,+SIG接传感器绿线,-SIG接传感器白线,SHLD为接地线端。
仪表接线端子:仪表接线段是7个端口,刚好吻合接线盒传送端,在现实中传感器电源线为5条线,所以接线盒出线端中的+SEN和-SEN,通常不接。
(备注:在仪表上的接线端也是7个,+EXE 和+SEN必须短接,-EXE和-SEN短接红黑是激励正负,绿白是信号,正负反馈分别与正负激励短接,与激励线间阻抗最小的就分别是正反馈和负反馈黑:black白:white红:red蓝:blue绿:green黄:yellow青:cyan紫:purple橙:orange蓝色bu-,棕色bn+,黑色wh输出,白色bkpink 粉红色 salmon pink 橙红色 baby pink 浅粉红色 shocking pink 鲜粉红色 brown 褐色, 茶色 beige 灰褐色 chocolate 红褐色, 赭石色 sandy beige 浅褐色 camel 驼色 amber 琥珀色 khaki 卡其色 maroon 褐红色 green 绿色 moss green 苔绿色 emerald green 鲜绿色 olive green 橄榄绿 blue 蓝色 turquoise blue 土耳其玉色 cobalt blue 钴蓝色, 艳蓝色navy blue 藏青色, 深蓝色, 天蓝色 aquamarine blue 蓝绿色 red 红色 scarlet 绯红, 猩红mauve 紫红 wine red 葡萄酒红 purple, violet 紫色 lavender 淡紫色 lilac 浅紫色 antiqueviolet 古紫色 pansy 紫罗兰色 white 白色 off-white 灰白色 ivory 象牙色 snowy white 雪白色 oyster white 乳白色 gray 灰色 charcoal gray 炭灰色 smoky gray 烟灰色 misty gray 雾灰色。
电子秤传感器怎样接线?
电子秤传感器怎样接线,称重传感器接线分为两种,一种四线制另一种是六线制。
四线制称重传感器总共有五根线,一组电源线、一组信号线,另外还有根屏蔽线。
电源线对应的颜色分别是红色和黑色,信号线对应的颜色分别是绿色和白色,接地线是黑粗线,如下图所示。
六线制称重传感器总共有七根线,一组电压线,一组信号线,还有一组反馈线和屏蔽线。
电源和信号线以及屏蔽线的颜色跟四线制的一样,反馈线的颜色分别为蓝色和黄色,如下图所示。
称重传感器接线盒中的接线端子,有激励正负(EXC+ EXC_)接电源线,有信号正负(SIG+SIG_)接信号线,有反馈正负(EXN+EXN_)接反馈线。
遇到六线制改四线制,激励正与反馈正短接,激励负与反馈
负短接,其余的接线不变。
美国Zemic称重传感器广州南创电子科技有限公司传感器事业部内部使用资料美国ZEMIC有限公司在美国成立,在多个国家设立了分支机构或办事处,生产基地遍布美洲、东欧等地,在中国设立了广州南创传感器事业部,可为用户的实验和生产提供最佳的服务与解决方案。
美国Zemic称重传感器美国Zemic称重传感器单点式称重传感器:美国ZEMIc称重传感器,如下:Zemic称重传感器HM14C-C3-30T-13B6特性◆可满足0.05kg-300kg量程范围内的测量。
◆铝合金材料,平行梁结构◆硅橡胶密封,表面阳极化,耐腐蚀性佳。
◆整体结构,安装使用方便。
◆适用于电子计价秤、电子平台秤等各类电子称重设备。
◆量程:0.05㎏到300㎏◆高精度◆最大秤台尺寸450*450㎜Zemic称重传感器(load cell)单点式称重传感器L6B、L6D、L6E、L6E3、L6F、L6G、L6J、L6H5:L6E3-C3-50kg-3G,L6E3-C3-100kg-3G,L6E3-C3-150KG-3G,L6E3-C3-200KG-3G,L6E3-C3-25 0KG-3G,L6E3-C3-300KG-3G,L6E-C3-50KG-2B,L6E-C3-60KG-2B,L6E-C3-80KG-2B,L6E-C3-100KG-2B,L6E-C3-150KG-2B, L6E-C3-200KG-2B,L6E-C3-300KG-2B,L6D-C3-2.5KG-0.4B,L6D-C3-3KG-0.4B,L6D-C3-5KG-0.4B,L6D-C3-6KG-0.4B ,L6D-C3-8KG-0.4B,L6D-C3-10KG-0.4B,L6D-C3-15KG-0.4B,L6D-C3-20KG-0.4B,L6D-C3-30KG-0.4B,L6D-C 3-35KG-0.4B,L6D-C3-40KG-0.4B,L6D-C3-50KG-0.4BL6H5-C3D-4KG-1.75B,L6H5-C3D-5KG-1.75B,L6H5-C3D-6KG-1.75B,L6H5-C3D-8KG-1.75B,L6H5-C3D-10KG-1.75B,L6H5-C3D-20KG-1.75B,L6G-C3-50KG-3G6,L6G-C3-100KG-3G6,L6G-C3-150KG-3G6,L6G-C3-200KG-3G6,L6G-C3-250KG-3G6,L6G-C3-300KG-3G6,L6G-C3-500KG-3G6,L6G-C3-600KG-3G6,L6G-C3-50KG-3G6,L6G-C3-100KG-3G6,L6G-C3-150KG-3G6,L6G-C3-200KG-3G6,L6G-C3-250KG-3G6,L6G-C3-300KG-3G6,L6G-C3-500KG-3G6,L6G-C3-600KG-3G6,L6F-C3-50KG-3B6,L6F-C3-100KG-3B6,L6F-C3-150KG-3B6,L6F-C3-200KG-3B6,L6F-C3-250 KG-3B6,L6F-C3-500KG-3B6,L6F-C3-750KG-3B6,L6F-C3-1.0T-3B6,L6F-C3-2.0T-3B6,L6F-C 3D-50kg-3G,L6F-C3D-100kg-3G, /zemicL6F-C3D-150kg-3G,L6F-C3D-200kg-3G,L6F-C3D-250kg-3G,L6F-C3D-500kg-3G,L6F-C3D-7 50kg-3G,L6F-C3D-1000kg-3G,L6F-C3D-2000kg-3G,L6B-C3D-0.3KG-0.45B,L6B-C3D-0.6KG-0.45B,L6B-C3D-1.2KG-0.45B ,L6B-C3D-3KG-0.45B B6E-C3-100KG-2B,B6E-C3-150KG-2B,B6E-C3-200KG-2B,B6E-C3-300KG-2B,B6Q-C3-200KG-1.5B6,B6Q-C3-250KG-1.5B6,B6N-C3-15kg-1B6,B6N-C3-20kg-1B6,B6N-C3-30kg-1B6,B6N-C3-50kg-1B6,B6N-C3-75kg-1B6,B6N-C3-100kg-1B6,B6N-C3-150kg-1B6,B6N-C3-200kg-1B6,H6G-C3-100KG-3B6,H6G-C3-150KG-3B6,H6G-C3-200KG-3B6,H6G-C3-250KG-3B6,H6G-C 3-300KG-3B6,H6G-C3-500KG-3B6,H6G-C3-600KG-3B6,B6F-C3-100KG-3B6,B6F-C3-150KG-3B6,B6F-C3-200KG-3B6,B6F-C3-250KG-3B6,B6F-C3-5 00KG-3B6,B6F-C3-750KG-3B6,B6F-C3-1.0T-3B6,B6F-C3-2.0T-3B6,L6W-C3-50KG-3G6,L6W-C3-75KG-3G6,L6W-C3-100KG-3G6,L6W-C3-150KG-3G6,L6W-C3-200KG-3G6,L6W-C3-250KG-3G6,L6W-C3-500KG-3G6,L6W-C3-635KG-3G6,Zemic 称重传感器双剪切梁式特,性:◆Zemic 可满足10t~50t量程范围内的精确测量。
简述称重传感器摘要:质量是测量领域中的一个重要参数,称重技术自古以来就被人们所重视。
秤是最普遍、最普及的计量设备,电子秤取代机械秤是科学技术发展的必然规律。
而称重传感器作为电子秤的核心部件,更是有着更为广大的发展空间关键词:传感器种类选型一、前言电子秤是日常生活中常用的电子衡器,广泛应用于超市、大中型商场、物流配送中心。
电子秤在结构和原理上取代了以杠杆平衡为原理的传统机械式称量工具。
相比传统的机械式称量工具,电子秤具有称量精度高、装机体积小、应用范围广、易于操作使用等优点,在外形布局、工作原理、结构和材料上都是全新的计量衡器。
电子秤的设计首先是通过压力传感器采集到被测物体的重量并将其转换成电压信号。
输出电压信号通常很小,需要通过前端信号处理电路进行准确的线性放大。
放大后的模拟电压信号经A/D转换电路转换成数字量被送入到主控电路的单片机中,再经过单片机控制译码显示器,从而显示出被测物体的重量。
目前市场上使用的称量工具,或者是结构复杂,或者运行不可靠,且成本高,精度稳定性不好,调正时间长,易损件多,维修困难,装机容量大,能源消耗大,生产成本高。
而且目前市场上电子秤产品的整体水平不高,部分小型企业产品质量差且技术力量薄弱,设备不全,缺乏产品的开发能力,产品质量在低水平徘徊。
因此,有针对性地开发出一套有实用价值的电子秤系统,从技术上克服上述诸多缺点,改善电子秤系统在应用中的不足之处,具有现实意义。
二、称重传感器的定义与组成1)定义:它是一种力传感器,通过把被测量(质量)转化为另外一种被测量(电量)来测量质量的力传感器。
称重传感器是电子衡器的重要组成部分,在使用称重传感器时,应考虑使用地点的重力加速度和浮力的影响。
电子衡器应用称重传感器把被测物体的重量转化成电量,然后通过响应的检测仪表显示物体的质量。
由此可见,称重传感器的性能好坏对电子衡器的性能是至关重要的。
2)组成:称重传感器一般由敏感元件、变换元件、测量元件等几部分组成,有时加辅助电源。
称重传感器的接线方式分享
称重传感器可以采纳两种不一样的输入、输出接线方式:一种是四线制接法四线制接法的称重传感器对二次仪表盘无特别要求,使用的时候非常快捷,但当电缆较长时,非常容易受工作温度崎岖等因素的影响;另一种是六线制接法六线制接法的称重传感器规定与之调配使用的二次仪表盘具有反应键入插口,使用规范有必定的限制,但不易受工作温度崎岖等因素的动摇,在高精度准确丈量及远距离准确丈量时具有必定的长处。
两种办法怎样接线:最早明确显示屏上传感器插口的开关电源正、开关电源负、反应正、反应负、数据信号正、数据信号负。
如果是6线制传器,测到传感器电阻器很小的2组线分别是开关电源正、反应正;开关电源负、反应负,收到显示屏后对传感器载入,准确丈量此外二根线的电流值(毫伏)正接显示器数据信号正,负接显示器数据信号负;如果是四线值,须将显示屏的开关电源正与反应正接线、开关电源负与反应负接线,用万用表丈量传感器四根线,在其间阻值较大的两根是开关电源,此外两条是数据信号;依据传感器的产地,可以用导线的色分辩,大家一般是红为开关电源正,黑为开关电源负,黄为数据信号正,白为数据信号负。
称重传感器的选用方法1结构型式及适用范围的选择该系统安装时应该重视的问题是:必须始终保证重物的重力线通过传感器承重轴线,而不受侧向冲击力的影响,选择的传感器本身要有良好的抗侧向能力,同时,在侧向力冲击作用下,传感器及其重力引入装置应具有迅速复位的能力和保护装置。
推荐优先考虑以下形式:1)地磅、平台秤,XSB、LSB、TSSS等剪切悬臂梁系列,其突出的特点是容量大,几何尺寸小(尤其是高度小),抗侧向力强,安装简单,对力引入机构的要求不高;2)汽车衡、轨道衡、配料秤,YS柱式系列:其本身就充当了一个不倒翁主体,能快速恢复侧向力的影响,容量大,但必须注意其安装技巧,限位装置绝对不能忽略;3)汽车衡,JSS型复合剪切梁系列,它以点接触式将重力引入而非同寻常,采用钢球滚动式支承,具有较强的自复位性能,抗横向冲击力强。
2悬吊式称重系统中的传感器结构型式该系统的最大特点是传感器在受重力拉伸的状态下,重物的重力方向比较容易与传感器的几何轴线一致,复位能力强。
但是对传感器的过载保护装置要求较高,安装时占据空间较大,一般只考虑中、小量程的称量情况选用。
※推荐优先考虑以下几种型式:SSP、SSP系列的复合弯曲梁式,其受力轴线与几何轴线几乎一致,吊钩秤中最常采用;YBH系列板环拉伸式,容量较大,安全性好。
3环境适应性选择用于称重系统中的传感器,一般都要长期工作在各种复杂的环境中,经受温度、湿度、粉尘、腐蚀等的考验,故必须事先对传感器密封型式做出较合理的选择。
应考虑以下几点:1)高温环境对传感器造成密封材料及焊点熔化、弹性体和应变计内应力发生结构变化等问题。
对于高温环境下工作的传感器常采用耐高温传感器;另外,苛刻的场合还须加有隔热、水冷或风冷等装置。
2)粉尘、湿热对传感器造成较大的影响。
在此环境条件下应选用密闭性很高的传感器。
不同的传感器其密封的方式是不同的,其密闭性存在着很大差异。
常见的密封有密封胶充填或涂覆;橡胶垫机械紧固密封;焊接(激光焊接、氩弧焊、等离子焊等)和抽真空充氮密封。
称重传感器线怎么接
称重传感器能够选用二种不一样的键入、输出接线法:一种是四线制接法,另一种是六线制接法。
四线制接法的称重传感器对二次仪表盘无特别要求,应用起來较为便捷,但当电缆较长时,非常容易受工作温度起伏等要素的危害。
六线制接法的称重传感器规定与之配套设施应用的二次仪表盘具有反馈键入插口,应用范畴有一定的局限,但不易受工作温度起伏等要素的危害,在高精密精确测量及远距离精确测量时具备一定的优点。
四线称重传感器一共有五根线,一组电源插头、一组信号线,此外也有根屏蔽电缆。
电源插头相匹配的颜色分别是鲜红色和灰黑色,信号线相匹配的颜色分别是翠绿色和乳白色,电线接头是黑粗线条,如下图所显示。
称重传感器六线接线
六线称重传感器一共有七根线,一组工作电压线,一组信号线,也有一组反馈线和屏蔽电缆。
开关电源和信号线及其屏蔽电缆的颜色跟四线制的一样,反馈线的颜色各自为蓝色和黄色,如下图所示。
在称重系统中,四线的感应器用的比较多,假如要将六线感应器收到四线感应器的机器设备处时,能够把反馈正和鼓励正收到一起,反馈负和鼓励负,收到一起。
信号线要留意一点便是,鲜红色和乳白色在二种种类的感应器上相匹配的输出数据信号是不一样的。
suncells接线盒说明
说明:柯力JXH-4接线盒又被称为JXH-4称重传感器接线盒和XXIII-GXHG33-4S(T)称重传感器接线盒。
美国Suncells JXH-4接线盒应用于汽车发动机制造,在汽车发动机制造系统中Suncells JXH-4称重传感器接线盒需要将3只以上的称重传感器电路进行接入一个
接线盒中,Suncells XXIII-GXHG33-4S(T)接线盒使整个汽车制造电路系统看起来更加美观整洁。
美国amcells JXH-4接线盒应用于汽车发动机制造系统中,amcells JXH-4称重传感器接线盒是四线接线盒,就是amcells XXIII-GXHG33-4S(T)接线盒能将4只不同的串联着的称重传感器电路并入同一条电路中。
美国Hmcells JXH-4接线盒在汽车发动机制造系统中应用,Hmcells JXH-4称重传感器接线盒汇总不同只称重传感器的电子信号和Hmcells XXIII-GXHG33-4S(T)接线盒使多只传
感器角差处于恒定状态。
若在汽车发动机制造中不用英国OAP
JXH-4接线盒,那么每只称重传感器的输出电信号就会存在差异,OAP JXH-4称重传感器接线盒对称重传感器内部的电阻值进行调整,在英国OAP XXIII-GXHG33-4S(T)接线盒的作用下,整个汽车制造电气系统中的可输出电压信号平衡,让称重测量结果更精准,又保证了安全。
称重传感器接线盒原理
称重传感器接线盒是一种用于连接称重传感器和称重仪表的设备。
它的作用是对称重传感器的电信号进行转换和处理,使其能够被称重仪表识别和显示。
在实际应用中,称重传感器通常会产生微弱的电信号,需要通过接线盒进行放大和过滤,以提高信号质量和传输效果。
接线盒通常由多个电路模块组成,包括放大电路、滤波电路、输入输出接口等。
这些电路模块能够将来自传感器的信号转换成适合称重仪表输入的电信号。
连接称重传感器和接线盒的方式有多种,常见的包括电缆连接和插针连接。
电缆连接是将传感器与接线盒之间用特殊电缆进行连接,这种方式适用于长距离传输;而插针连接则是通过插针将称重传感器和接线盒直接连接在一起,适用于短距离传输。
在接线盒内部,电路模块会对传感器信号进行放大和滤波处理,以提高信号的灵敏度和稳定性。
放大电路可以将微弱的传感器信号放大到称重仪表所需的电压或电流水平,使得称重仪表能够准确读取传感器的测量结果。
滤波电路则可以滤除噪声和干扰信号,提高信号的可靠性和准确性。
接线盒还包括输入输出接口,用于将处理后的传感器信号传输给称重仪表,并接收仪表的控制信号。
这样,称重仪表就可以根据接线盒传输的信号进行相应的数据处理和显示。
总的来说,称重传感器接线盒通过将传感器信号转换和处理,
实现了称重传感器和称重仪表之间的数据交互和传输,使得称重测量能够更加准确和可靠。
YZC-320C称重传感器YZC-320C称重传感器南创电子科技传感器事业部内部使用资料单剪切式称重传感器:YZC-3/0.5T,YZC-3/1T,YZC-3/2T,YZC-3/3T,YZC-3/5T,YZC-3/10T,YZC-3/20T,YZC-3/30T,YZC -3/50T,YZC-320/0.5T,YZC-320/1T,YZC-320/2T,YZC-320/3T,YZC-320/5T,YZC-320/10T,YZC-320/1.5T, YZC-320/2.5T,YZC-320/7.5T,YZC-320H/0.5T,YZC-320H/1T,YZC-320H/2T,YZC-320H/3T,YZC-320H/5T,YZC-320H/10T,YZ C-320H/1.5T,YZC-320H/2.5T,YZC-320H/7.5T,YZC-320SH/0.5T,YZC-320SH/1T,YZC-320SH/2T,YZC-320SH/3T,YZC-320SH/5T,YZC-320SH/ 10T,YZC-320SH/1.5T,YZC-320SH/2.5T,YZC-320SH/7.5T,YZC-322H/250lb,YZC-322H/500lb,YZC-322H/750lb,YZC-322H/1klb,YZC-322/250lb,YZC-322/500lb,YZC-322/750lb,YZC-322/1klb,YZC-323H/0.2t,YZC-323H/0.25t,YZC-323H/0.3t,YZC-323H/0.5t,YZC-323H/1t,YZC-323H/2t,Y ZC-323H/2.5t,YZC-323H/3t,YZC-323H/5t,YZC-323H/7.5t,YZC-323H/10t,YZC-323/0.2t,YZC-323/0.25t,YZC-323/0.3t,YZC-323/0.5t,YZC-323/1t,YZC-323/2t,YZC-323/2. 5t,YZC-323/3t,YZC-323/5t,YZC-323/7.5t,YZC-323/10t,YZC-324A/500kg,YZC-324A/750kg,YZC-324A/1t,YZC-324A/2t,YZC-324B/500kg,YZC-324B/ 750kg,YZC-324B/1t,YZC-324B/2t,YZC-325/1t,YZC-325/2t,YZC-326/1t,YZC-322/3t,YZC-326/0.6t,YZC-334/1t,YZC-334/2t,YZC-334/3t,YZC-381/80KN,S型称重传感器:YZC-516/20kg,YZC-516/30kg,YZC-516/50kg,YZC-516/100kg,YZC-516/200kg,YZC-516/250kg, YZC-516/300kg,YZC-516/500kg,YZC-516/1t,YZC-516/1.5t,YZC-516/2.5t,YZC-516/3.5t,YZC-516/7.5t,YZC-516/10t,YZC-516A/20kg,YZC-516A/30kg,YZC-516A/50kg,YZC-516A/100kg,YZC-516A/200kg,YZC-5 16A/250kg,YZC-516A/300kg,YZC-516A/500kg,YZC-516A/1t,YZC-516A/1.5t柱式传感器:YZC-818/10t,YZC-818/20t,YZC-818/25t,YZC-818/30t,YZC-828/10t,YZC-828/20t,YZC-828/30t,YZC-828/50t应变计单片:BF350-3AA(23)RBF350-3HA-A(11)MBF350-2FG(11)K-6.0BF1000-2GB-A(23)J-7.0电子秤:TCS-1,TCS-2,TCS-3,TCS-4,TCS-5,TCS-6GCF便携式轴重台10T,20T接线盒:GC-1,GC-2,GC-3,GC-4杆端关节轴承压头附件YZC-320C称重传感器YZC-320称重传感器,适用于各类电子称重设备;--灵敏度Sensitivity:2.0±0.002mV/V--推荐激励电压Recommend,excitation:10~12VDC--最大激励电压Maximun,excitation:15VDC--可满足25㎏~30t;100lb~20Klb量程范围内的测量。
称重传感器接线盒选用
1、概述由于传感器在出厂时,传感器的一致性不一定很理想,再加上现场使用中的环境因素及安装手段的限制,给多个传感器并联组秤带来不平衡问题。
为解决以上问题,须选用接线盒来调节传感器系数与传感器输出阻抗之比(mV/V/Ω)接近一致,从而保证整个秤体的平衡。
调整机械台面水平,对于有四个以上的传感器,由于各方面的原因,机械台面和基础都或多或少有些变形,使用时间越长,变形越严重,造成传感器受力不一致,只靠电位器的补偿是补偿不过来的,因此应先调整传感器的高度,在差值(20-40)kg范围内,再用电位器补偿调到基本一致,这是一个反复的过程,由于机械台面的变形,调一个角可能影响两个角,甚至三个角,只有反复试验。
2、型号及命名接线盒一般可分为:JB一4/6/8等系列。
JB-4:五孔接线盒四线,适用于4只传感器组合使用的电子衡器或系统;JB-6:七孔接线盒六线,适用于6只传感器组合使用的电子衡器或系统;JB-8:九孔接线盒八线,适用于8只传感器组合使用的电子衡器或系统;对于超过10只传感器的电子衡器或系统,可通过多只接线盒的组合来实现联接。
3、技术概况1)不锈钢或铝合金外壳,专用密封接头,耐用、密封性好。
2)采用高精度、低漂移电阻和电位器,保证系统工作的精度和稳定性。
3)传感器连线和信号电缆连线配用专用接线端子,保证连接可靠。
4)各接线柱旁预留有可焊接线的焊孔,实现焊接接线和插入接线两用,可自主选择。
5)接线焊接点旁注有代码标识,方便用户接线。
6)PCB板焊有防浪涌及防感应雷的保护性元器件,可有效防止感应雷和浪涌
4、安装调试1)安装将接线盒固定在秤体的合适位置。
打开接线盒上盖。
将传感器电缆线和仪表信号电缆从接线盒相应的接口穿入,按图示接线图将所有电缆连接好,完成后将所有的螺母拧紧。
不用的接口用密封橡胶垫片或橡皮泥堵住,同时拧紧螺母。
将所有电缆线的外屏蔽接到接线盒的接地柱上。
2)调试根据传感器的输出信号大小,参照下图所给的接线图,调整相应的电位器.(注意:电位器不要调过头)调试好后应将接线盒上盖盖上,并用螺丝拧紧。
5、接线图(以四线为例)
P1:对应调节传感器1# P2:对应调节传感器2# P3:对应调节传感器3# P4:对应调节传感器4# 注意:
1、对于使用不用数量传感器的衡器,其传感器标号可能不一样,接线时,请参阅衡器的接线图。