easy-laser激光对中仪简单实用手册
- 格式:doc
- 大小:1.10 MB
- 文档页数:3
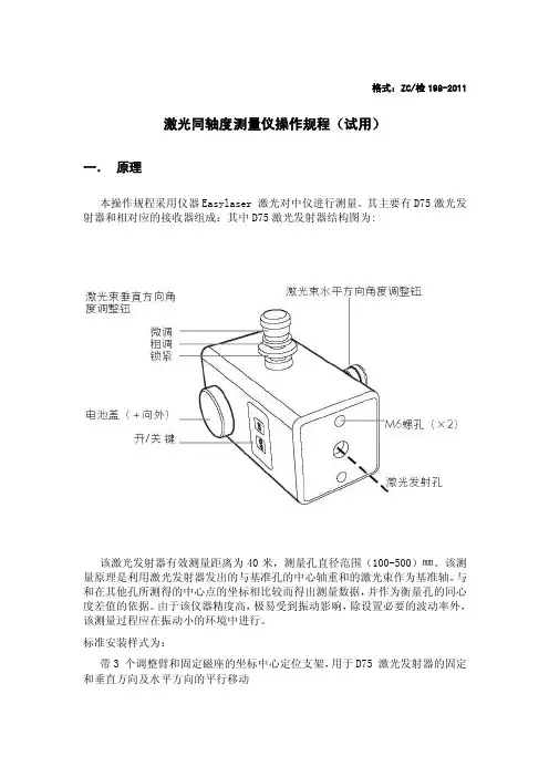
格式:ZC/检198-2011 激光同轴度测量仪操作规程(试用)一.原理本操作规程采用仪器Easylaser 激光对中仪进行测量。
其主要有D75激光发射器和相对应的接收器组成:其中D75激光发射器结构图为:该激光发射器有效测量距离为40米,测量孔直径范围(100-500)㎜。
该测量原理是利用激光发射器发出的与基准孔的中心轴重和的激光束作为基准轴。
与和在其他孔所测得的中心点的坐标相比较而得出测量数据,并作为衡量孔的同心度差值的依据。
由于该仪器精度高,极易受到振动影响,除设置必要的波动率外,该测量过程应在振动小的环境中进行。
标准安装样式为:带3 个调整臂和固定磁座的坐标中心定位支架,用于D75 激光发射器的固定和垂直方向及水平方向的平行移动二.测量过程本测量利用37程序来完成,其过程为:1. 测量器的准备工作:(1),清理被测各孔的表面。
表面应当光洁,无油污和其他杂物。
(2),根据孔的半径的大小,选择本次测量所需要的调整臂的的长短,其所用有效长度应与孔的半径大小一致。
(3),将测量仪进行组装。
完成后打开开关检查是否正常。
保持接收器面的清洁,检查激光的强弱。
2. 激光线的调整(以首尾两孔为基准):(1),将激光发射器在被测物上安装好后,打开开关,按‘1’,‘7’选择17号程序。
(2),将接收器放在在距发射器最近的孔上,在6点钟方向,调整激光束水平(垂直)方向平行调节旋钮,使显示器显示坐标尽可能的趋于零,数据绝对值都小于0.02mm,然后按‘0’,将坐标置零。
按确认键确定(3),将接收器放在距发射器最远的孔上,在6点钟方向,调整激光束水平(垂直)方向角度调节按钮,使显示器显示的坐标数据尽可能的趋于零,数据绝对值都小于0.02mm(4),重复步骤2,若显示器显示数据接近零且绝对值都小于0.02 mm,则调整结束,否则重复步骤(2)和(3),直到满足要求。
3. 测量(采用第一和最后一个测量点为基准):(1),按开关按钮一次,显示程序选择页面。
EASY—LASER激光对中仪操作流程一、安装1、将两个激光探测器(S、M)利用轴固定器安装在需对中的轴上,“S”探测器固定在基准端(齿轮箱),“M”探测器固定在调整端(发电机).2、连接电缆:共两根电缆,一根将两个探测器相连,另一根将其中一个探测器与显示器相连。
两个探测器上共有四个电缆接口,连接时可按上述连接原则任意捉对连接,不会接错。
3、调整两个探测器到“12点”位置。
调整时以探测器上水平尺处于水平状态即可.调好后,将安装器具上各部位夹紧螺栓拧紧,保证两个探测器在接下来的测量过程中不会与轴有任何相对移动。
注意:9—12-3点是以“M”端看向“S"端来定义的。
二、测量1、按开关键,打开显示单元,屏幕会显示如下测量菜单:11 Horizontal 9—12—3(9—12—3点法水平机械对中)12Easy turn (任意三点法)13 ……………………2、按“11 "键选择Horizontal 9—12—3,或按“12 "键选择任意三点法,3、选择Horizontal 9—12—3,按“11”后仪器显示输入尺寸:首先,调整激光:①将两端探测器转至12点位置(可同时转动,也可分别转动),检查两端探测器上的水平尺是否处于水平状态。
②将两个探测器探测窗口前的仓门(对中靶)关闭,分别调整两个探测器上的激光调节旋钮,使激光射中靶心.注意:调整“S"端激光,射中的是“M"端靶心,调整“M”端激光,射中的是“S”端靶心。
其次,输入以下四个距离尺寸①两个探测器之间的尺寸。
该尺寸是以两个探测器上端的白线为基准,是两白线之间的距离(S-M)。
输入该尺寸后,确认。
②固定端探测器到联轴器中心的尺寸(S—C),默认状态为两个探测器之间距离的一半。
③固定端探测器到调整端设备前地脚之间的距离(S-F1).将其测量下来输入仪器,确认.④固定端探测器到调整端设备后地脚之间的距离(S—F2).将其测量下来输入仪器,确认.5、测量①按照仪器指示,将S,M单元转至9点位置(可同时转动,也可分别转动),检查两端探测器上的水平尺是否处于水平状态。
激光对中仪的使用方法引言激光对中仪是一种常用于测量和校准工程中的仪器,它利用激光技术来实现高精度的测量和定位。
本文将介绍激光对中仪的使用方法,包括设备准备、基本操作和常见问题解决方法。
设备准备在开始使用激光对中仪之前,需要进行设备准备工作。
1. 确保激光对中仪的电源已连接,并处于正常工作状态。
2. 检查激光源是否正常发射激光,并调整光源亮度和焦距。
3. 设置激光对中仪的工作模式,如单点模式、连续模式等,根据实际需要进行选择。
基本操作一旦设备准备完毕,就可以开始进行激光对中仪的基本操作了。
1. 确定测量基准线:需要确定一个水平基准线,以便进行后续的测量和校准。
可以使用测量尺、水平仪等工具来确定基准线。
2. 设置参考点:根据测量要求,在工作区域内选择一个参考点,并将激光对中仪安装在该点上。
确保参考点稳定,并能提供足够的支撑力。
3. 进行测量:将激光对中仪对准目标位置,观察激光在目标上的投影,确保投影位置准确无误。
4. 校准仪器:根据实际测量结果,通过调整激光对中仪的参数和位置,对仪器进行校准,以提高测量精度和准确度。
5. 记录数据:在测量和校准过程中,及时记录相关数据,以便后续的分析和使用。
常见问题解决方法在使用激光对中仪的过程中,可能会遇到一些常见问题,下面是一些常见问题的解决方法。
1. 激光无法正常发射:检查电源和连接是否正常,如有问题,及时修复或更换。
2. 激光对中不准确:检查基准线的水平度和参考点的固定情况,确保工作环境稳定且符合要求。
3. 测量结果不一致:根据测量结果分析,可能是仪器本身存在问题,需要进行校准或维修。
激光对中仪是一种常用的测量和校准工具,通过激光技术实现高精度的测量和定位。
使用激光对中仪的方法包括设备准备、基本操作和常见问题解决方法。
通过正确使用和维护激光对中仪,可以提高工程测量的精度和准确度,提高工作效率。
EASY-LASER激光对中使用说明书D505加强型激光对中仪D525可扩展型激光对中系统第一部分:系统配置1.每一套系统都包含以下配置:1)1个工具箱2)1套EASY-LINK软件+计算机通讯电缆3)1把卷尺4)1个显示单元用皮套5)1本操作手册2.D505加强型激光对中仪1)1个D279显示单元(包含14个测量程序)2)2根带快速接头电缆(2m)3)2个激光测量单元(18×18mm)4)2套延长杆5)2个V型安装支架6)2套安装链条7)2个磁吸座8)2个偏移块3.D525专家型激光对中系统1)1个D279显示单元(包含27个测量程序)2)2根带快速接头电缆(2m)3)2个激光测量单元(18×18mm)4)2套延长杆5)2个V型安装支架6)2套安装链条7)2个磁吸座8)2个偏移块第二部分:激光原理1.激光发射器采用半导体He-Ne激光器,激光波长为635-670nm,处于可见光的边缘,颜色为红色,具体光波位置见图1:激光波段μm 100μm 1mm图1:激光波段图2为激光发射器示意图。
阴极管内充满氦气和氖气,通过高电压激发出相应波长的光波,通过两端透镜和反射镜的反复作用,只有平行于中心线的光束被发射出去,形成激光。
阴极阳极100% 反射镜半反射镜图2:激光发射器原理示意图2.激光接收器采用先进的PSD定位技术,PSD即POSITION SENSITIVE DEVICE的缩写。
传统的激光接收器是CCD技术,即将激光感应平面分为m×n个等份,接收到激光后计算出激光的位置。
其分辨率由等分的密度来决定,因此有上限约束。
而PSD技术是在感应面的两端加适当电压,激光打到感应面的不同位置则会在两端产生不同的电流,其分析的是模拟量,理论上讲模拟量的精度是无穷高因此大大提高了测量精度。
仪器最终的精度不受感应面的限制,只决定于A/D转换器的位数。
3.关于激光束的中心位置的确定。
激光束并不是绝对圆形的,激光的能量分布也不是均匀的。
easy-laser激光对中仪简单实⽤⼿册Easy-laser D400激光对中仪使⽤⼿册(⼀)检查仪器各组件显⽰器(包括⽪套)1.7m 电缆(2条)TDM 激光发射器/接收器(2个,S ⽤于静设备,M ⽤于动设备)V 型轴固定器(20mm-450mm )卷尺(2m 带⽔平仪)链条(4跟)固定杆(2套各4个)注意事项:*不要直视测量器的激光发射器*不要将激光束对着他⼈的眼睛*保持整个系统清洁,激光头及其检测头不能有指纹。
⽤⼲净的棉布擦拭。
系统使⽤4节R14(C )电池。
⼤多数R14电池均能使⽤,包括镍镉充电电池。
但碱性电池使⽤寿命长。
如系统长时间不⽤,请拿出电池。
(⼆)连接图⼀按图⼀组装好,并分别固定在联轴器上(如图⼆所⽰)。
⾯向安装设备,左⼿为基准设备(⼀般为泵),放置S;右⼿为调整设备(⼀般为电机),放置M。
⽤⼀根电缆将S与M单元相连。
并⽤另外⼀根电缆将主机与任⼀单元连接。
图⼆(三)测试与调整软脚测试对中前应进⾏软脚检查。
旧的垫⽚或倾斜的机座会造成机器倾斜。
软脚测试前先锁紧所有地脚螺栓。
1.开机2.选择单位与对⽐度。
更换单位(⼀般为mm),选择对⽐度(即屏幕亮度,⼀直按住会越来越暗,然后变亮)。
如不需调整则按。
3.在菜单中选择软脚4.输⼊S到M的距离(为输⼊数字、数字循环增加,确定、数值进⼊下⼀位,后退。
)输⼊S到联轴器中点位置,⼀般等于S到M的⼀半输⼊S到动设备前⽀点(F1)的距离输⼊S到动设备后⽀点(F2)的距离5.将联轴器转到12点钟位置,即正上⽅(如仪器指⽰)。
打开激光发射器的接收靶,调整激光可调旋钮,使S与M发射器发射的光束均落在对⽅的接收靶的中央。
按6.如显⽰器显⽰,松开显⽰器要求的螺栓,并拧紧,按并读出数值。
重复上述步骤,直到4个⽀点都完成测量。
根据读数决定是否存在软脚。
轴系对中⽤激光仪器找正前,应先进⾏粗略对中(误差在2mm内),以保证仪器的激光束不脱离接收靶。
对中前先锁紧所有地脚螺栓。
技术规格标准配置1安全遵守产品安全操作规则,注意所有安全提示。
忽略安全提示可能会造成人身伤害,火灾与设备损坏。
请勿拆开,维修或用不当的方式使用设备。
否则Fixturlaser不承担相关责任。
激光防护Fixturlaser GO使用功率小于1.0mW的激光二极管,激光等级为2级•请勿直视激光发射器•请勿将激光射向人眼电源Fixturlaser GO采用三节1.5V C型碱性电池或1.2V 镍氢充电电池。
请使用高性能碱性电池。
长时间不使用请取出电池。
使用其它电池有可能导致设备损坏或人身伤害操作电池时请小心,否则会产生灼伤。
使用时请勿拆卸,请远离热源。
电池损坏或漏液时请小心污染环境。
请循守当地法规处理废旧电池。
2保养请使用湿棉布或棉签擦拭系统。
激光接收器请使用酒精擦拭。
请勿使用抽纸,会导致接收器刮伤。
请勿使用丙酮请保持激光二极管缝隙,接收器表面,连接线清洁,无油污。
显示单元应预防刮伤。
不使用时请盖上电缆盖3主菜单Fixturlaser GO根据您的需要提供不同的程序。
按下红色启动按钮启动系统,主菜单会显示。
在主菜单中您可以找到内存管理与环境设定。
用方向键选择所需程序,并使用OK按钮确认。
水平轴对中垂直轴对中内存管理Memory Manager系统功能环境设定电量显示关机4水平转轴对中介绍轴对中:测定和调整两台连接设备,使其旋转中心共线。
水平对中的调整是通过调整设备前后脚的高低和水平位移,使其达到公差允许值。
系统有两个测量单元,分别固定在两个轴上,旋转轴到不同位置,系统会技术两轴的相对位移,并显示对中结果和调整建议。
测量结果可保存预对中功能为获得最佳的对中效果,需在测量之前做一些检查工作以保证获得精确测量数据。
去现场之前,请检查下列要求:•安全规则?•测量公差?•是否有动态位移补偿?•安装条件是否受限?•测量轴是否可旋转?•所需垫片尺寸安装对中系统之前请检查设备底座,螺丝与垫片情况以及是否有空间限制目测检查完成后,考虑以下情况•设备已关机,安全标识已放置。
激光对中仪操作方法中文激光对中仪是用来确认线路、轴线和平面的高精度测量工具。
以下是激光对中仪的操作方法:1. 准备工作:- 将激光对中仪固定在一个水平稳定的基准面上。
- 打开激光对中仪的电源,确保电池充足。
2. 调整激光器:- 打开激光对中仪的激光器开关,启动激光发射。
- 使用调焦旋钮,调整激光的聚焦程度,使其形成尽可能细小的光点。
- 使用平移旋钮,调整激光光束的位置,使其正好落在需要测量的位置上。
3. 设置参考线:- 在基准面上确定一个作为参考线的点,并将其标记为1号点。
- 将激光对中仪旋转180度,使用平移旋钮将光点移动到1号点的对称位置,这个点标记为2号点。
4. 测量目标线:- 将激光对中仪旋转90度,将光点移动到需要测量的线上。
- 读取激光对中仪上的刻度尺,记录下当前位置与参考线的距离。
- 将激光对中仪旋转180度,将光点移动到目标线的对称位置。
- 再次读取刻度尺,记录下当前位置与参考线的距离。
5. 分析结果:- 根据测量结果计算出目标线与参考线的偏差。
- 可以使用激光对中仪上的数码显示屏显示结果,或者将结果记录在纸上进行分析。
6. 调整目标线:- 根据结果分析,如果目标线与参考线的偏差过大,可以适当调整目标线的位置,使其与参考线对齐。
7. 关闭激光对中仪:- 关闭激光对中仪的激光发射。
- 关闭电源开关,将激光对中仪存放在安全的地方。
注意事项:- 激光对中仪是一种高精度测量工具,使用时需要小心操作,避免碰撞或震动。
- 在使用激光对中仪进行测量时,尽量在光线较暗的环境下进行,以减少外界干扰。
- 在使用激光对中仪进行测量时,需要保持仪器和测量目标的稳定性,避免移动或振动。
激光对中仪器使用方法激光对中仪器是一种利用激光技术进行测量和校准的仪器。
它通过激光束的对准和对中,能够精确地确定物体的位置和姿态,广泛应用于工业制造、建筑施工、地质勘探等领域。
下面将详细介绍激光对中仪器的使用方法。
一、选择适合的激光对中仪器在使用激光对中仪器之前,首先需要选择适合的仪器。
根据实际需要,可以选择不同类型的激光对中仪器,如旋转式激光对中仪器、线型激光对中仪器等。
同时,还要考虑测量范围、精度要求、使用环境等因素,以确保选购的仪器能够满足实际需求。
二、设置激光对中仪器在使用激光对中仪器之前,需要进行仪器的设置。
首先,将激光对中仪器放置在稳定的地面或支架上,确保其水平度和稳定性。
然后,根据需要调整激光仪器的高度和方向,使其对准待测物体或测量参考点。
三、启动激光对中仪器启动激光对中仪器时,需要按照仪器说明书的要求进行操作。
通常情况下,打开电源开关后,仪器会自动进行自检和校准。
待仪器校准完成后,激光束会自动发射出来。
四、对准测量目标在进行对准时,可以通过调节仪器的水平度和方向,使激光束准确地对准待测物体。
在调节过程中,可以根据激光仪器上的指示器,通过调整仪器的角度和位置,使激光束在测量目标上形成明确的投影。
在对准过程中,需要注意保持仪器的稳定性,避免震动或移动,以免影响测量结果。
五、进行测量和校准完成对准后,可以进行实际的测量和校准工作。
根据需要,可以使用激光对中仪器提供的各种功能和测量模式,如水平测量、垂直测量、角度测量等。
在进行测量时,需要将仪器放置在合适的位置,并按照仪器说明进行操作。
通过观察激光束的位置和投影,可以得到物体的位置和姿态信息,从而实现测量和校准的目的。
六、记录和分析测量结果完成测量和校准后,需要将测量结果记录下来,并进行分析和处理。
可以使用纸笔或电子设备,将测量结果进行记录和整理。
根据实际需要,可以进行数据处理、图形分析、误差评估等工作,以获取更准确和可靠的测量结果。
七、维护和保养激光对中仪器使用激光对中仪器时,需要定期进行维护和保养,以确保仪器的正常运行和使用寿命。
激光对中仪的使用方法激光对中仪使用方法⒈引言激光对中仪是一种高精度的测量工具,用于对齐和调整设备的位置和方向。
本文档介绍了激光对中仪的使用方法,包括仪器的组装、校准和实际测量操作。
⒉仪器组装⑴仪器清单在开始组装之前,确保你有以下配件:●激光对中仪主机●支架或三脚架●受测设备●电池⑵组装步骤⒈将主机安装在支架或三脚架上,确保其稳固。
⒉连接电池到主机,确认电池已充满电。
⒊将激光对中仪主机对准受测设备,确保激光的投射线与受测设备的中心对齐。
⒊仪器校准⑴水平校准⒈将激光对中仪主机放置在水平的表面上,并打开仪器。
⒉调整主机上的水平调节螺丝,使水平气泡达到中心位置,确保仪器水平。
⑵垂直校准⒈在正常工作距离上,将仪器对准参考目标。
⒉打开仪器并调整垂直调节螺丝,使垂直线准确瞄准目标。
⒊重复步骤,直到准确对齐。
⒋实际测量操作⑴准备工作⒈确定测量区域,并清理工作台或设备表面。
⒉将激光对中仪主机放置在距离受测设备适当距离的位置上。
⑵设备水平测量⒈打开仪器并对准受测设备。
⒉根据激光的投射线,调整受测设备的水平位置,使之与激光线相平行。
⑶设备垂直测量⒈打开仪器并对准受测设备。
⒉根据激光的投射线,调整受测设备的垂直位置,使之与激光线相平行。
⒌附件本文档涉及以下附件:●激光对中仪组装示意图●仪器校准操作示例视频⒍法律名词及注释●激光对中仪:一种使用激光技术进行位置和方向测量的仪器。
●支架或三脚架:用于支撑和稳定激光对中仪主机的辅助设备。
●受测设备:需要进行位置和方向调整的设备。
OPTALIGN® smart操作说明书轴对中认识您手里的OPTALIGN smartOPTALIGN smart 有三个功能键尺寸键,用来随时回到尺寸界面输入或者修改机器尺寸.测量键,用来开始测量过程.结果键,用来查看对中结果.其他几个键功能如下:返回键,可用来确认输入的尺寸以及把操作者带回到前一个操作界面.清除键,用来删除不小心输错的信息.菜单键,提供给您一个在操作过程中的选择和不同对中状态下下一步的操作.导航方向键,操作过程中的方向指示.开机/关机/回车’键,用来执行双重功能:开机, 确认输入的值以及进入任意选择的项目.数字符号键,用于输入数字,符号以及加减乘除运算符号.1. 对中状态指示灯2. USB接口/传感器接口/充电器接口3. 功能键:尺寸/测量/结果4. 返回/清除/菜单键5. 导航键6. 开关机/回车键7. 数字输入键盘8. 蓝牙指示灯9. 电池状态灯装上激光系统,打开仪器确保要对中的机器停电上锁,以及所有的安全措施已经采取。
安装好支架,传感器和反射镜,传感器应当安装在静止的机器一侧。
比如,如果是风力发电机齿轮箱和发电机的对中,传感器应当用磁性支架安装在齿轮箱一侧的刹车盘上,反射镜用链式支架或者磁性支架安装在发电机侧的轴上。
把传感器电缆和仪器连接,注意电缆插头的红点对着接口的红点(蓝牙配置的话,直接打开蓝牙开关),按开机键几秒后听到”嘀”的一声,仪器打开,稍后,仪器屏幕进入尺寸界面。
1.输入尺寸使用数字键直接在缺失的位置输入所有相关尺寸。
一按下数字键就会出现编辑框,输完尺寸可以按回车键或者返回键来确认。
还可以用导航键盘在不同尺寸位置间切换。
需要输入的尺寸如下:传感器到反射镜的距离(从箭头位置量到白线位置) 传感器到联轴器中间的距离联轴器直径(默认值是100mm ,可以不用更改) 联轴器中间到右侧机器前对地脚的距离 右侧机器前地脚到后地脚的距离 机器转速具体如下图所示:(尺寸界面总可以通过按尺寸键来进入)传感器(激光)不动的机器反射器(镜子)要调整的机器OPTALIGNsmart 控制单元2.测量按测量键就可以开始测量程序,调整激光:首先,需要将激光调整到传感器中心位置。
激光对中仪---轴调整说明使用测量系统前请仔细阅读安全使用说明1.安装测量装置重点:S-装置在静止的机器上。
M-装置在可动的机器上。
将可动的机器(S)正对着静止的机器(M)。
如图显示9点位置在左边。
此装置要与标准轴支架一起安装,将标签背对靠背轮。
2.启动测量系统按键启动测量系统。
显示出程序菜单,按键进入下一页。
选择适用的功能。
推荐使用程序13---Softfoot(软脚检测)。
须启动一个程序以点亮激光束,然后如需要可进行粗调(步骤3)。
或者进入步骤4,在步骤5之前输入距离。
3.粗调将带测量装置的轴转到9点的位置,将激光束对准关着的目标中心。
将带测量装置的轴转到3点的位置。
(A=M-装置转到过程所显示的弧度。
B=激光射在观测区之外。
)查看激光所射的位置,将激光束调整到与目标距离1/2位置上(C)。
调整可动机器使激光束射在目标中心(D)。
在测量前打开目标。
4.输入距离用数字键打出距离。
按确认。
按返回。
5.Softfoot软脚检测此测量菜单的结果显示的是旋紧的螺栓与松开的螺栓之间的差距。
可从软脚检测程序直接进入时钟法水平及Easy-turn 小角度轴调整程序,并保持所输入的距离。
1.转到12点位置。
调整激光。
打开目标。
按确认。
按返回。
2.松开并旋紧第一个螺栓。
按确认其他脚(2-4)重复步骤2.如需要可按键归零。
按返回。
3.可显示所有脚的结果将脚调到最高的那个值。
重测按。
直接进入调整,保持输入的距离值,按确认。
6.测量进程对于水平程序(11)将带测量装置的轴转到9,12,3点的位置。
也就是说轴总共被转了180度。
对于小角度程序(12),可以从任何角度开始。
测量位置间的最小可能角度须20度。
注意!要在9,12,3点检测激光束是否射在观测区。
水平程序(11)小角度程序(12)1.第一次读数(小角度程序:任意位置。
转入时钟法水平程序:9点位置)。
放置好测量装置使标记在上方显示(或接近上方)。
将激光束调整到关着的目标上。
Easy-laser D400激光对中仪使用手册
(一)检查仪器各组件
显示器(包括皮套)
1.7m 电缆(2条)
TDM 激光发射器/接收器(2个,S 用于静设备,M 用于动设备)
V 型轴固定器(20mm-450mm )
卷尺(2m 带水平仪)
链条(4跟)
固定杆(2套各4个)
注意事项:
*不要直视测量器的激光发射器
*不要将激光束对着他人的眼睛
*保持整个系统清洁,激光头及其检测头不能有指纹。
用干净的棉布擦拭。
系统使用4节R14(C )电池。
大多数R14电池均能使用,包括镍镉充电电池。
但碱性电池使用寿命长。
如系统长时间不用,请拿出电池。
(二)连接
图一
激光可调旋钮
水平仪
链勾 接收靶
安装锁紧旋钮 链条锁紧旋钮
按图一组装好,并分别固定在联轴器上(如图二所示)。
面向安装设备,左手为基准设备(一般为泵),放置S;右手为调整设备(一般为电机),放置M。
用一根电缆将S与M单元相连。
并用另外一根电缆将主机与任一单元连接。
图二
(三)测试与调整
软脚测试
对中前应进行软脚检查。
旧的垫片或倾斜的机座会造成机器倾斜。
软脚测试前先锁紧所有地脚螺栓。
1.开机
2.选择单位与对比度。
更换单位(一般为mm),选择对比度(即
屏幕亮度,一直按住会越来越暗,然后变亮)。
如不需调整则按。
3.在菜单中选择软脚
4.输入S到M的距离(为输入数字、数字循环增加,确定、数
值进入下一位,后退。
)
输入S到联轴器中点位置,一般等于S到M的一半
输入S到动设备前支点(F1)的距离
输入S到动设备后支点(F2)的距离
5.将联轴器转到12点钟位置,即正上方(如仪器指示)。
打开激光发射
器的接收靶,调整激光可调旋钮,使S与M发射器发射的光束均落
在对方的接收靶的中央。
按
6.如显示器显示,松开显示器要求的螺栓,并拧紧,按并读出数值。
重复上述步骤,直到4个支点都完成测量。
根据读数决定是否存在软
脚。
轴系对中
用激光仪器找正前,应先进行粗略对中(误差在2mm内),以保证仪器
的激光束不脱离接收靶。
对中前先锁紧所有地脚螺栓。
1.开机
2.选择单位与对比度。
更换单位(一般为mm),选择对比度(即
屏幕亮度,一直按住会越来越暗,然后变亮)。
如不需调整则按
3.在菜单中选择水平轴对中
4.输入S到M的距离(为输入数字、数字循环增加,确定、数
值进入下一位,后退。
);
输入S到联轴器中点位置,一般等于S到M的一半;
输入S到动设备前支点(F1)的距离;
输入S到动设备后支点(F2)的距离
5.打开激光发射器的接收靶,调整激光可调旋钮,使S与M发射器发
射的光束均落在对方的接收靶的中央
6.如显示器所示,将激光发射器位置转至9点位置(9、12、3点均为
从动设备向静设备望去的相对位置),按确定;然后转至12点、3
点位置,分别按确定。
S、M单元的水平仪可以帮助确定位置
7.屏幕显示结果,上屏表示水平方向(俯视图,即通俗的左右偏差),
下屏表示垂直方向(主视图,即通俗的高低偏差)。
显示器显示即为
轴系的相对位置(水平的为静设备,偏斜的为动设备)调整过程:(按可以循环激活3点和12点)
1.垂直方向调整,要将S、M单元放在12点钟位置,并且激活下屏(LIVE
标示在下屏闪烁),此时数值即时显示:
负号表示将调整设备抬高,即加垫片;
正好表示将调整设备降低,即减垫片
2.水平方向调整,要将S、M单元放在3点钟位置,并且激活(LIVE
标示在上屏闪烁)。
此时数值即时显示:
负号表示将调整设备向远离身体方向移动,即是推;
正好表示将调整设备向靠近身体方向移动,即是拉
按要求加减垫片后,重复轴系对中步骤,直到数据满足要求。
重点:面向安装设备,左手为基准设备(一般为泵),放置S;右手为调整设备(一般为电机),放置M。
9、12、3点均为从动设备向静设备望去的相对位置。