关于对各单位现场管理检查的通报
- 格式:doc
- 大小:21.50 KB
- 文档页数:2
检查情况通报范文一、文章引言检查情况通报是组织检查工作的重要环节之一。
通过通报检查情况,可以及时向相关方面通报检查的结果和问题,为后续工作的完善提供参考意见。
本文旨在探讨检查情况通报的范文,以期提供一些借鉴和参考。
二、检查目的和背景(1)检查目的:本次检查旨在全面评估公司生产安全和环境保护工作的情况,发现并解决潜在的风险和问题。
(2)检查背景:由于近期发生了几起生产事故和环境污染事件,为了加强公司安全管理和环保工作,特进行了此次检查。
三、检查内容和方法(1)检查内容:本次检查主要包括对生产设备的安全状态、工作人员的培训情况、现场管理制度的落实情况、环境监测数据的合规性等方面进行了全面检查。
(2)检查方法:采取了实地走访、查阅文件资料、询问工作人员、检查监测设备等多种方法进行了检查。
四、检查情况通报(1)安全状况通报经检查,公司生产设备整体处于正常运行状态,但存在一些隐患和问题。
首先,部分设备缺乏定期维护和检修,存在安全隐患。
其次,一些操作人员对于操作规程和安全规定的宣传和培训不到位,需要加强相关培训工作。
同时,现场管理制度的执行不够严格,存在一定的安全隐患。
针对以上问题,建议公司加强设备维护和检修工作,确保设备的安全性;加强对操作人员的培训和宣传工作,提高员工的安全意识;加强现场管理,完善管理制度,建立健全的安全管理体系。
(2)环境保护情况通报经检查,公司环境保护工作整体较好,但也存在一些问题。
首先,公司在废水处理方面存在一定的不达标情况,超标排放现象时有发生。
其次,环境监测数据的准确性有待提高。
为解决以上问题,建议加强废水处理设备的维护和管理,确保废水排放达标;加强环境监测数据的准确度,提高监测设备的质量和管理水平。
五、检查结果总结本次检查发现了一些安全隐患和环保问题,同时也提出了相应的解决方案。
公司必须高度重视检查结果,立即采取相应的措施,解决问题,确保生产安全和环境保护工作的顺利进行。
最后,希望各相关部门认真对待检查情况通报,及时改进工作,确保公司的可持续发展和社会责任的履行。
关于现场5S检查结果的通报□请示■通报□报告□计划编号:
生效日期:2014-5-14
会签人签字各位员工:
现业务部门每日派专人进行现场5S检查,对2014年5月13日现场检查通报如下:
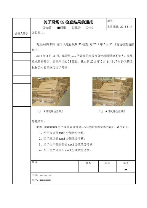
2014年5月13日,库管员xxx所管理的库区部分物料因码放不整齐、混乱,
造成货物倾倒,影响库区的5S建设,截止到2014年5月14日17时仍未整改,
根据公司有关规定给予考核。
处理结果:
根据《xxxxxxxx生产现场管理细则---5S现场管理奖惩办法》,处罚如下:
1、给予库管员xxx2分绩效分考核;
2、给予班组长xxx1分绩效分考核;
3、给予生产部副部长xxx1分绩效分考核;
4、给予生产部部长xxx1分绩效分考核。
批示批准审核拟文
xx 主送:xxxxxxxxx
留存:xxxxxxxxx
5月13日现场检查照片5月14日现场检查照片。
《现场管理情况通报》根据检查情况,多数岗位值班制度落实,岗位工人能够认真负责的履行岗位职责,双休日期间基层干部值班人员也落实较好。
检查中也发现少数岗位职工缺乏责任感,安全意识不强,致使部分生产管理制度不落实。
现就本次检查中发现的主要问题通报如下:1、部分值班干部值班期间,对生产岗位的生产、值班情况掌握不够。
有的虽然人在岗位,只是起到了接听电话的作用,对生产岗位特别是重点生产部位的生产情况,没有进行巡查或电话询问。
2、有的岗位工人应知应会知识掌握不够,实际操作能力差,责任意识不强,个别的可以说是毫无责任感。
采油四队角四站,检查时间23:40:1)注水站水质处理3台加药运转,其中1台泵空转,药剂早已加完,操作间大灯坏无照明,但值班工人对水质处理的运转情况一概不知,说晚上从来不加药,根本没有巡查。
检查人员让其将空转的2号加药泵停泵,但其不知道如何操作,先是错停了1号泵,后又按错按钮,启动了搅拌机,直到最后也没有停下来。
2)采油岗夜班工人不看油水井措施大表,对措施内容不清楚;不知道分管的责任井,巡井过程中不核实注水量,该站目前只有j12-17注水井正常注水,实际日注135方,措施大表为日注13方。
3、思想麻痹,安全意识淡薄,对新入厂人员使用不慎重。
7日凌晨1:00查采油5队25号站,值班人员在站内值班室吸烟,交接班不签字;桌上放着打火机,一包香烟和抽过的烟头,杂志;24:00巡井时间未巡查,说是忘了。
经询问,值班人员为7月底新分来的大学生,1次夜班未跟就单独顶岗,此前上过大班。
同时发现该站值班室放有棉被、大衣、棉褥等,值班大学生讲,是长期放在站内的,用于夜班休息。
4、部分值班岗位存在执行制度不严,工作标准低等问题。
采油3队3号接转站不按时填写巡查记录;采油1队8号站当班人员上岗看小说;采油4队角4站高压注塞泵缺少保养,锈蚀、渗漏。
本次检查时间短,所查范围有限,但个别岗位反映出的问题是比较突出的,必须引起各单位的重视。
工地现场安全检查通报范文
近日,我公司对工地现场进行了安全检查,发现一些安全隐患,现通报如下:
一、基础施工存在不规范现象。
部分基础施工工地存在混凝土浇筑不标准、钢筋绑扎不牢固等问题,存在一定的安全隐患。
要求各施工单位加强基础工程的管理,确保每一道工序都符合标准规范。
二、高空作业缺乏有效防护。
部分高空作业人员未佩戴安全带,未正确使用吊篮等作业设备,存在坠落等风险。
要求施工单位严格执行高空作业管理规定,加强操作人员安全意识培训,确保作业安全。
三、施工现场管理松散。
部分工地存在施工材料堆放混乱、施工车辆挤占通道等问题,给工作人员和过往行人带来一定的安全隐患。
要求各施工单位强化现场管理,确保施工现场整洁有序。
四、危险化学品管理不到位。
部分施工单位危险化学品管理不规范,存在泄漏、混存等情况,存在一定的安全风险。
要求各施工单位加强危险化学品管理,做好储存、使用等环节的安全控制。
五、施工设备维护不及时。
部分工地施工设备未按规定保养维修,存在设备故障导致安全事故的风险。
要求各施工单位定期对施工设备进行维护检修,确保设备正常运行。
以上是我公司对工地现场安全检查发现的问题及通报内容,各施工单位要严格执行安全管理规定,加强安全宣传教育,确保工地安全生产。
希望大家共同努力,共同营造一个安全、和谐的工作环境。
感谢各位的配合和支持!。
关于对安全生产、文明施工检查情况通报监理代表处、各施工单位:为确保安环高速公路改扩建工程的顺利完成,规范工程施工现场管理,促进安全生产和文明施工,创造良好的外部形象,做好迎接省公司“劳动竞赛目标考核”的各项准备工作,3月21日,项目部对各施工单位的安全生产、文明施工情况进行了检查。
现将检查情况通报如下:一、第NO.1合同段,安全生产与文明施工基本规范,安全保障体系健全,警示标志、人员设置符合要求。
房建施工区管理基本规范,材料存放整齐,分类严格,办公区标牌清晰、卫生、整洁。
存在问题如下:(一)安全生产情况1、房建施工钢筋加工区的用电线路不规范,配电箱采用木制箱门,不符合安全要求。
2、粉喷桩和钻孔灌注桩空气开关下线裸露。
3、生活区里拉线开关固定在树上,配电室闸刀采用铜丝代替保险丝。
4、施工、生活区没有配备足够的消防器材。
存在安全隐患。
(二)文明施工情况1、拌合场(1)、原材料堆放混乱,材料之间隔离墙较低(约60CM),起不到隔离作用。
(2)、部分钢筋未支垫,个别已支垫的钢筋由于地势较低,底部有积水现象。
钢筋的堆放紧邻生活区。
(3)、材料堆放场地采用碎石铺垫,无C20砼面层。
(4)、场区道路采用碎石铺垫,未采用砼硬化。
(5)、小型砼运输车辆停放凌乱,不规整。
2、房建施工现场部分钢筋未支垫,原材料堆放混乱。
3、结构物结构物施工没有按《细则》设置标牌,路基施工没有按《细则》设置标牌。
4、办公、住宿没有分离。
二、第NO.3合同段,安全保障体系健全,办公区标牌清晰、卫生、整洁。
存在问题如下:(一)安全生产情况1、施工现场(1)、K22+780、K22+341中桥立柱钢筋焊接不符合规范要求(质监处已另文下发通报)。
(2)、K21+732大桥台背开挖后未及时支护。
2、拌合场(1)、拌和站施工用电线路随地布置,不规范。
(2)部分便道不符合要求,因长度长,拉料车、农用车混杂在一起,没有错车地方,没有限速标志。
(3)、施工地段没有保通安全措施,保通人员数少。
检查通报范文尊敬的各位领导、同事:根据公司安全生产管理制度的要求,为了加强对安全生产工作的监督和管理,确保员工的生命财产安全,特编写本次安全生产检查通报。
具体情况如下:一、检查时间地点。
本次安全生产检查于2022年10月10日上午9:00在公司生产车间进行。
二、检查人员。
本次检查由公司安全生产管理部门负责人带领安全生产管理人员、车间主任、班组长等共计10人组成检查组。
三、检查内容。
1. 对公司生产车间的消防设施进行了全面检查,包括灭火器、消防栓、疏散通道等,发现有一处灭火器过期,已立即更换。
2. 对生产设备进行了检查,发现有一台设备存在安全隐患,已立即停止使用,并进行了维修。
3. 对员工的安全防护措施进行了检查,发现有个别员工未佩戴安全帽,已进行了责任追究。
4. 对车间的安全生产管理制度进行了检查,发现存在一些漏洞和不足,已立即进行了整改。
四、检查结果。
本次安全生产检查共发现安全隐患3处,其中已立即整改2处,正在整改1处。
未发现重大安全事故隐患。
五、下一步工作。
1. 加强对员工的安全教育培训,提高员工的安全意识和自我保护能力。
2. 加强对生产设备的定期检查和维护,确保设备的正常运行和安全性能。
3. 加强对安全生产管理制度的落实和执行,完善相关制度和规定,确保安全生产工作的顺利开展。
六、其他事项。
请各部门对本次检查通报内容进行认真学习和落实,确保安全生产工作的顺利开展。
同时,希望各部门能够积极配合,共同做好安全生产工作,为公司的稳定发展营造安全稳定的生产环境。
特此通报。
公司安全生产管理部。
2022年10月10日。
吉林省住房和城乡建设厅关于对全省建筑施工现场安全生产检查情况的通报文章属性•【制定机关】吉林省住房和城乡建设厅•【公布日期】2013.04.23•【字号】吉建安[2013]12号•【施行日期】2013.04.23•【效力等级】地方工作文件•【时效性】现行有效•【主题分类】国家安全正文吉林省住房和城乡建设厅关于对全省建筑施工现场安全生产检查情况的通报(吉建安[2013]12号)各市(州)、县(市)建委(住房城乡建设局),长白山管委会住房和城乡建设局:根据《关于开展全省建筑施工安全生产督查工作的通知》(吉建安〔2013〕8号)的要求,省厅于2013年4月16日至4月23日分四个检查组对全省8个市(州)和15个县(市)施工现场安全生产情况进行了督查。
现将督查情况通报如下:一、基本情况各市(州)、县(市)建设行政主管部门高度重视建筑施工安全生产工作,各地区传达了有关安全生产工作的文件和会议精神,及时召开了专题工作会议,认真研究和部署安全生产工作,组织企业开展自查自纠,跟踪整改。
通过检查,施工企业各方主体责任得到进一步落实,安全生产管理力度得到了进一步增强。
截止目前,此次安全生产大检查共检查了38个施工现场,检查总建筑面积达300多万平方米,发现隐患210处,停工整改项目6个,下达责令改正通知书 5个。
其中,长春建工集团吉泽建设有限公司承建的四平三达生态城开发有限公司蔚蓝之都D7#、C1#、C2#楼工程、吉林省兴达建设有限公司承建的泓政天下2#、3#楼工程、姜堰市正发建筑安装工程有限公司白城分公司承建的金碧乐府工程13#楼工程、吉林省隆源建设公司承建的松原市馨三百综合楼工程、长春建工新吉润建设有限公司承建的南岸天城国际59#楼工程、通化东宝建筑工程有限公司承建的东宝集团通化生物科技园工程存在严重的安全隐患,对以上建筑施工现场已作出停工整改的处罚决定。
二、存在的问题(一)施工企业对安全工作重视程度不够,责任落实不到位,普遍存在“重生产轻安全”的错误思想认识。
工程施工监理检查通报各有关单位:根据《建设工程监理规定》和《建设工程施工合同》的要求,我单位受业主委托,对XXX工程施工过程进行监理。
现将检查情况通报如下:一、工程概况XXX工程位于XX市XX区,是一项重要的公共服务设施建设项目。
工程主要包括建筑物的土建工程、安装工程、装饰工程及附属设施建设等。
工程总投资约为XX亿元,计划工期为XX个月。
二、检查情况在过去的几个月里,监理单位对施工现场进行了多次检查,主要内容包括:1. 施工单位的人员配置、施工方案、施工组织设计等方面是否符合要求;2. 施工过程中的质量、安全、环保等措施是否得到有效执行;3. 工程进度是否按计划进行,是否存在延期情况;4. 工程质量是否符合设计和规范要求,是否存在质量问题;5. 工程材料、构配件和设备的质量是否符合要求,是否存在使用不合格产品的情况;6. 施工单位与业主、设计单位、监理单位的沟通协作情况。
三、存在问题及整改要求通过检查,发现施工现场存在以下问题:1. 部分施工人员操作不规范,未严格按照施工方案和操作规程进行施工;2. 部分工程质量不符合设计和规范要求,如混凝土强度不足、钢筋焊接不牢固等;3. 施工现场的安全措施不完善,如临时用电、高空作业等方面存在安全隐患;4. 工程进度延误,影响后续工作的顺利进行;5. 施工单位与各参建单位的沟通协作不够顺畅,信息传递不及时。
针对上述问题,监理单位提出如下整改要求:1. 施工单位应加强对施工现场的管理,确保施工人员严格按照施工方案和操作规程进行施工;2. 对不合格工程进行整改,直至达到设计和规范要求;3. 加强施工现场的安全管理,及时消除安全隐患,确保施工安全;4. 调整施工计划,确保工程进度按计划进行;5. 各参建单位要加强沟通协作,确保工程顺利进行。
四、后续工作建议1. 监理单位将继续加强对施工现场的监督和管理,确保工程质量、安全和进度得到有效控制;2. 定期召开工地会议,及时解决施工现场存在的问题,确保工程顺利进行;3. 施工单位、业主、设计单位和监理单位要共同努力,密切协作,确保工程按期完成。
建筑工地大检查通报范文
根据相关规定,我单位于近期对全市建筑工地进行了一次大规模检查。
通过此次检查,发现存在以下问题:
首先,部分建筑工地存在施工许可证过期、不全、不规范的情况。
建设单位和施工单位需要严格按照规定办理相关手续,确保施工合法合规。
其次,部分工地存在施工现场尘土扬尘、噪音扰民等问题。
建设单位和施工单位要加强施工现场管理,采取有效措施降低施工对周边环境和居民的影响。
再次,部分工地存在违规使用劳动力、不签订劳动合同、超时工作等问题。
建设单位和施工单位必须严格执行劳动法律法规,保障劳动者合法权益,营造良好的劳动关系。
最后,部分工地存在安全隐患、违规操作等问题。
建设单位和施工单位要高度重视安全生产,加强安全教育培训,确保施工过程安全可靠。
针对以上问题,我单位已要求相关建设单位和施工单位立即整改,并严格监督落实。
同时,将加大对建筑工地的监督检查力度,切实保障建设工程的安全、质量和进度。
希望广大建设单位和施工单位提高安全意识、法规意识,共同营造良好的建设环境,推动城市建设持续健康发展。
检查结果通报9篇检查结果通报 1公司所属各作业区:根据现代产业公司要求,生活能源公司于1月30日组织专业技术和管理人员在公司范围内开展了一次节前安全生产综合检查,现将检查情况通报如下:一、东区所楼后空地落叶未清理、建筑材料(沙石、木板)乱堆放未及时清理、露天堆放管件材料场地较乱;二、东区、西区、红旗区高位水池围墙内杂草丛生,人员、车辆进入困难,对水池安全、生产管理不利,请安排除草;三、各配电室、变压器室,调压站卫生需清理;四、各作业区工作间及休息室物品需堆放整齐、组织清理卫生包干区域,对以上检查中发现的存在问题,要求相关作业区按照要求进行逐一整改,并于2月6日前完成,如未按要求整改的,将按规定进行考核。
同时,要求各作业区应将安全检查工作作为一项常态工作,坚持不懈,并认真做好检查记录,在抓重点的同时细化安全管理,确保生活能源公司年度安全工作目标的顺利实现。
特此通报。
生活能源公司年1月30日检查结果通报 2市级各部门:根据《财政部、监察部、审计署、国家预防腐败局关于开展全国政府采购执行情况专项检查的通知》文件精神,按照全省政府采购执行情况专项检查的工作安排,我市于今年××月份启动了市级单位200*—200*年度政府采购执行情况专项检查,针对全市××个市级单位和*个集中采购代理机构进行了政府采购执行情况重点检查。
现将有关情况通报如下:检查情况表明,近年来,我市按照《政府采购法》的要求,不断推进政在项目上主要表现在违规采购办公自动化设备93万元,违规采购修缮装饰装修工程212万元,违规采购苗木390万元,违规采购专用设备45万元,违规维修车辆34万元,其他违规采购81万元。
这次重点检查,突出反映出目前市级部门政府采购工作存在两方面的问题。
一方面,政府采购项目预算年初到位率较低,在年度中追加政府采购项目和预算的现象比较普遍。
41个单位年初政府采购预算仅占执行数28.09%。
施工现场检查通报施工现场检查通报为了安全,对施工现场进行检查,然后对检查结果作一个通报,下面学习啦小编给大家带来施工现场检查通报范文,供大家参考!施工现场检查通报范文一各有关单位:为切实保障建筑业农民工权益,保证建设工程安全质量,加强对本市建筑市场劳务用工的监管,2016年5月4日至2016年5月20日,上海市建设工程安全质量监督总站组织了本市在建工程施工现场劳务用工的专项检查。
本次专项检查共抽查了151个工程,内容覆盖了劳务作业承发包情况、总包单位为务工人员办理信息卡、缴纳综合保险、岗前培训、健康体检情况,总包单位施工现场用工管理软件使用情况以及符合条件的工地农民工业余学校创建情况等工作,现将检查情况通报如下:一、检查概况:本次专项检查采取点名检查和随机抽查相结合的方式,共检查9家施工单位,检查工地151个,开具整改通知单85张。
二、总体评价在本次施工现场劳务用工专项检查中,总包单位在民工维权工作上管理意识有所增强,在执行各项文件政策规定上部份措施诸如健康体检等工作落实情况相对较好,但在执行一些关键性措施诸如采用信息卡规范用工管理上还未全面铺开,落实情况相对较差。
其中黄浦、普陀、静安、虹口、南汇等区建管部门监管措施得力,所抽查工地总体情况较好。
但也有部分区县部份工程仍存在明显问题,离用工管理规范性要求尚有不小的差距。
三、存在问题㈠务工人员劳动合同签订不规范部份被查工程施工单位与外来务工人员签订的劳动合同很不规范,主要表现在:1、用人单位责任主体不明确,如为××单位××工程项目部;、劳动合同中不明确工价、合同期限、岗位工种等;、劳动合同中不明确工资发放方式;、劳动合同中未明确月发放额不低于上海市最低工资标准;、部份工程所提供劳动合同涉嫌造假,劳动者非本人签名;㈡建筑业务工人员信息卡办理滞后部份工程总包单位主动为务工人员申办信息卡的意识不强,务工人员信息卡办理滞后,未能做到务工人员一人一卡。
工地安全检查通报一、基本情况本次月检共对全市33个在建工程项目进行了全面检查,下达停工通知书9份,安全隐患整改通知书26份,共计131条,并已责成项目责任单位立即进行整改,从总体情况看,大部分施工单位安全意识较好,能够严格按照有关规定加大安全生产投入,安全防护工作能够落实整改到位,现场管理人员能够对施工现场的安全防护工作进行严格管理,保证了安全生产形势的稳定,表现较好的施工单位有:1、新人民医院(浙江八达)2、铁路社区(山东高阳)。
但是仍有个别施工单位对安全工作不重视,施工现场管理混乱,无专职安全员,各种安全防护措施不到位,存在较大安全隐患。
现对以下施工单位予以通报批评:1、滨河花园(济宁鸿翔项目部,项目经理:毕研礼)2、星光天地(山东鲁杰项目部,项目经理:马洪义)3、圣通汽车城6号楼(曲阜圣时建安项目部,项目经理:孔祥喜)4、绿城—诚园(杭州久安装饰工程项目部,项目经理:潘宗华)二、存在的问题1、个别施工现场项目经理、专职安全员、总监和部分监理人员存在脱岗现象,安全技术资料不规范,不真实,安全专项方案无针对性。
2、安全教育存在缺失:新进场、转场工人和特种作业人员安全教育落实不到位、不及时,特种作业人员仍存在无证上岗现象。
3、现场安全防护存在漏洞,脚手架搭设不规范,高处作业人员不正确使用安全带,连墙件缺少;安全带、安全绳、安全帽等安全防护用品,配备、使用不到位。
以上问题望各单位对照自身情况立即进行整改,及时消除各类安全隐患,切实发展好安全生产专项整治工作,坚决防止各类安全事故的发生。
希望各建筑施工、监理企业要严格落实安全生产责任制,持续加强对施工现场安全生产检查整改力度,确保安全隐患能得到及时、彻底的清除,保证我市建筑安全生产形势的稳定。
2015年10月29日工地安全检查通报 [篇2]各建设单位、施工企业、监理单位、市质(安)监站:根据我局2016年总体工作部署,结合近期住建部对我市建筑工地的检查反馈意见要求,以及我市建设平安慈溪大会精神,在建工程,在建设、监理、施工等各方主体自查的基础上,我局于7月4日-8日对全市在建工程进行了质量安全综合检查,现将检查结果通报如下:本次检查按照我局安全生产联防联治工作的总体要求,引入第三方社会安全检查专家组织检查,市质(安)监站进行同步检查。
施工现场检查通报为了安全,对施工现场进行检查,然后对检查结果作一个通报,下面学习啦小编给大家带来施工现场检查通报范文,供大家参考!施工现场检查通报范文一各有关单位:为切实保障建筑业农民工权益,保证建设工程安全质量,加强对本市建筑市场劳务用工的监管,2016年5月4日至2016年5月20日,上海市建设工程安全质量监督总站组织了本市在建工程施工现场劳务用工的专项检查。
本次专项检查共抽查了151个工程,内容覆盖了劳务作业承发包情况、总包单位为务工人员办理信息卡、缴纳综合保险、岗前培训、健康体检情况,总包单位施工现场用工管理软件使用情况以及符合条件的工地农民工业余学校创建情况等工作,现将检查情况通报如下:一、检查概况:本次专项检查采取点名检查和随机抽查相结合的方式,共检查9家施工单位,检查工地151个,开具整改通知单85张。
二、总体评价在本次施工现场劳务用工专项检查中,总包单位在民工维权工作上管理意识有所增强,在执行各项文件政策规定上部份措施诸如健康体检等工作落实情况相对较好,但在执行一些关键性措施诸如采用信息卡规范用工管理上还未全面铺开,落实情况相对较差。
其中黄浦、普陀、静安、虹口、南汇等区建管部门监管措施得力,所抽查工地总体情况较好。
但也有部分区县部份工程仍存在明显问题,离用工管理规范性要求尚有不小的差距。
三、存在问题㈠务工人员劳动合同签订不规范部份被查工程施工单位与外来务工人员签订的劳动合同很不规范,主要表现在:1、用人单位责任主体不明确,如为××单位××工程项目部;、劳动合同中不明确工价、合同期限、岗位工种等;、劳动合同中不明确工资发放方式;、劳动合同中未明确月发放额不低于上海市最低工资标准;、部份工程所提供劳动合同涉嫌造假,劳动者非本人签名;㈡建筑业务工人员信息卡办理滞后部份工程总包单位主动为务工人员申办信息卡的意识不强,务工人员信息卡办理滞后,未能做到务工人员一人一卡。
安全生产现场管理检查通报【安全生产现场管理检查通报】为确保企业的生产安全,规范安全生产管理,保障员工身心安全,现对本次安全生产现场管理检查情况进行通报如下:一、检查时间及地点:本次安全生产现场管理检查于2022年5月10日上午9时在本企业生产车间进行。
二、检查人员:本次检查由企业安全管理部门及相关部门负责人,共计10人组成的检查组进行。
三、检查内容:根据国家有关法律法规以及企业安全管理制度的要求,本次检查主要针对以下方面进行了全面检查:1. 安全设施的配备和使用情况2. 作业人员的安全防护措施是否到位3. 物料存放和搬运是否规范4. 机械设备的安全运行状况5. 各类危险化学品的存放和使用是否符合规定6. 防火安全设施的有效性以及灭火器材的配备是否齐全四、检查结果:经过全面的检查,发现问题如下:1. 部分劳动工具和设备的保养不到位,存在安全隐患;2. 个别作业人员未按要求佩戴防护设备,存在安全风险;3. 工地周边未设置明显的警示标语和隔离措施,人员非法进入的风险较大;4. 部分危险化学品的存放位置不符合规定,存在安全隐患;5. 部分疏散通道存在物品堆放,疏散通道的通畅性受到一定程度的影响;6. 个别员工存在无证上岗现象。
五、整改措施:针对以上问题,我厂制定了以下整改措施:1. 加强设备保养管理,确保设备的正常运行;2. 成立安全巡逻队,加强对作业人员的安全教育和监督,确保佩戴防护设备;3. 在工地周边设置明显的警示标语和隔离措施,加强安全管理;4. 对危险化学品存放进行调整,保证符合规定;5. 清理疏散通道物品堆放,保证疏散通道的畅通;6. 对无证上岗人员进行培训和资质认证。
六、整改时间:对于以上存在问题,我厂决定立即进行整改,整改时间为5月15日前完成。
七、后续工作:为确保整改措施的有效性,我厂将继续加强对安全生产现场的日常巡查和监督,对问题整改情况进行跟踪和检查,并加大对员工的安全培训和意识提醒,确保员工的身心安全。
工程施工检查处罚通报各相关单位:近日,我单位组织对某工程施工现场进行了检查,发现存在严重安全隐患和违法违规行为。
为确保工程质量和施工安全,根据《建设工程质量管理条例》、《建筑工程施工安全生产管理条例》等法律法规,现将检查情况及处罚决定通报如下:一、检查情况1. 施工现场管理混乱,未按照批准的施工方案进行施工。
部分施工人员未经专业培训,无证上岗,对施工现场的安全措施和安全操作规程不熟悉,存在极大的安全隐患。
2. 施工现场安全生产责任制不落实,未设立安全生产管理机构,未配备专职安全生产管理人员。
现场作业人员对安全生产重要性认识不足,安全意识淡薄。
3. 施工现场消防设施不齐全,消防通道不畅,火灾隐患严重。
同时,现场临时用电不符合规定,私拉乱接现象普遍,容易引发电气火灾。
4. 施工现场防护措施不到位,高处作业未严格按照规定设置防护栏、安全网等防护设施,一旦发生坠落事故,后果不堪设想。
5. 施工现场食品安全管理缺失,未设立食堂,施工人员在外就餐,食品安全无法保障。
二、处罚决定1. 责令施工单位立即停工,对存在的问题进行全面整改。
整改期间,严禁擅自恢复施工。
2. 对施工单位进行罚款,罚款金额为人民币10万元。
3. 对施工现场负责人、安全生产管理人员进行罚款,罚款金额分别为人民币2万元、1万元。
4. 对未经专业培训、无证上岗的施工人员,依法予以处罚,并责令其参加相关培训。
5. 将对施工现场食品安全问题进行进一步调查,依法对相关单位进行处罚。
三、整改要求1. 施工单位必须严格按照批准的施工方案进行施工,确保施工现场管理有序。
2. 施工单位要落实安全生产责任制,设立安全生产管理机构,配备专职安全生产管理人员。
3. 施工单位要完善施工现场消防设施,确保消防通道畅通,加强临时用电管理,消除火灾隐患。
4. 施工单位要严格执行高处作业安全规定,设置防护设施,确保施工人员安全。
5. 施工单位要加强对施工现场食品安全的管理,设立食堂,保障施工人员饮食安全。
关于现场5S检查结果的通报□请示■通报□报告□计划编号:
生效日期:2014-5-14
会签人签字各位员工:
现业务部门每日派专人进行现场5S检查,对2014年5月13日现场检查通报如下:
2014年5月13日,库管员xxx所管理的库区部分物料因码放不整齐、混乱,
造成货物倾倒,影响库区的5S建设,截止到2014年5月14日17时仍未整改,
根据公司有关规定给予考核。
处理结果:
根据《xxxxxxxx生产现场管理细则---5S现场管理奖惩办法》,处罚如下:
1、给予库管员xxx2分绩效分考核;
2、给予班组长xxx1分绩效分考核;
3、给予生产部副部长xxx1分绩效分考核;
4、给予生产部部长xxx1分绩效分考核。
批示批准审核拟文
xx 主送:xxxxxxxxx
留存:xxxxxxxxx
5月13日现场检查照片5月14日现场检查照片。
XX公司关于对现场检查发现问题进行问责处罚的通报各部门:X年X月X日至X月X日,集团对我司进行了现场检查,根据集团相关规定,现将现场检查发现的问题及问责处罚决定通报如下。
一、现场检查发现的问题(一)XXXXXXXXXXX检查组调阅我司XXXXXXX档案,发现XXXXXXXXXXX。
(二)XXXXXXXXX检查组调阅我司XXXXXXXXXX,发现XXXXXXXXXXXXXX。
(三)XXXXXXXXXXXXXXX检查组调阅我司XXXXXXXXXXX档案,发现XXXXXXXXXXXXXX。
(四)XXXXXXXXXXXXXXXXXX检查组调阅我司XXXXXXXXXXXXXXX档案,发现XXXXXXXXXXXX。
(五)XXXXXXXXXXX检查组调阅我司XXXXXXXXXXXX档案,发现XXXXXXXXXXXX。
二、问责处罚决定(一)关于对“XXXXXXXXXXXXX”问题的责任认定及处罚决定XXX,时任公司XXXXXXXXXXX部经理,在XXXXXXXXXXXX中,违反了相关法律法规及公司规定,负有直接责任。
XXX,,时任公司XXXXX岗,当时负责XXXXXXX工作,违反了相关法律法规及公司规定,负有间接责任。
根据《XXXXXXX办法》《XXXXXXXXXXXXXXX员工违规失职行为问责管理办法》相关规定,认定XXXX负有直接责任,XXX负有间接责任,经公司研究决定,给予直接责任人XXXX通报批评处分,间接责任人XXXXX通报批评处分。
(二)关于对“XXXXXX”问题的责任认定及处罚决定XXX,时任公司XXXXXXXXXXX部经理,在XXXXXXXXXXXX中,违反了相关法律法规及公司规定,负有直接责任。
XXX,,时任公司XXXXX岗,当时负责XXXXXXX工作,违反了相关法律法规及公司规定,负有间接责任。
根据《XXXXXXX办法》《XXXXXXXXXXXXXXX员工违规失职行为问责管理办法》相关规定,认定XXXX负有直接责任,XXX负有间接责任,经公司研究决定,给予直接责任人XXXX通报批评处分,间接责任人XXXXX通报批评处分。
签发:
关于对各单位现场管理检查的通报
各有关单位:
2012年3月29日下午,公司精益工作领导小组,按“精益化生产、精细化管理、合理化建议【1号令】”的相关要求,对各生产单位的生产现场整理,“5S”进展情况进行了检查,发现如下问题,现予以通报。
102分厂:
1、厂房外面北侧路边杂物要及时清走。
2、下料区域的料头、料边转移,能入库的及时入库,与生产无关的
及时请走。
3、铝型材区域的型材要摆放到货架上。
4、冲压工段里,装零件的木箱现场不能出现,如特殊情况,在现场
出现,要摆放整齐。
5、发现机加工段,车床下面有杂物,卫生较差。
103分厂:
1、库房门前的零部件要入库放,喷漆外面的卫生较差。
2、生产办公室门前的两台夯实机入库放。
3、装甲车后面零部件码放凌乱,与生产无关的要及时清理出现场,
装甲车下面的卫生要注意。
4、北跨电焊工段现场须整理,零部件要有标识,焊接件要有固定的
放置区域。
5、北跨东面的油桶要有固定的放置区域,南跨冲压工段的油桶要有
固定的放置区域。
6、气割工位,专用氧气瓶工位架,安全保险带要扎牢。
104分厂:
1、东面靠南侧的工具箱上面放有量具,要及时归还到工具室。
2、机加工段工作台上的铣刀头,要放入专用的工位架上。
要求单位对照以上问题立即整改,并根据现场“5S”管理的相关要求进行彻底清理,确保检查的顺利通过。
兴燕公司
2012.3.30
主送:101分厂、102分厂、103分厂、104分厂。
抄送:祖森常务副总经理、李志强总支书记、文雄副总经理、杜林江副总经理、宛华成总经理助理、王红波总经理助理、
宋鹏总经理助理。