木箱包装工艺及装箱时的注意事项
- 格式:pptx
- 大小:77.33 KB
- 文档页数:21
起吊像护挟
须全部采用压边接缝或榫槽接缝全封闭式木箱,禁止采用花格木箱。
包装箱用材为松木或同 类材料,不得使用纤维板、竹皮板等其它材料。
箱板厚度、箱内框架用料及结构,须根据设备的特性和重量设计,确保木箱强度和装卸安全。
精密仪器、仪表、控制盘(台)等电气设备应进行防潮、防锈、防震包装处理后再装箱。
设备在 木箱内固定牢靠,不得发生移位或窜动。
包装箱充满度不低于 90%
设备装箱时尽量使其重心位置居中靠下,重心偏高的设备尽可能采用卧式包装。
重心偏离中 心较明显的设备须采取相应的平衡措施。
木箱包装必须采用“螺纹钉”钉制。
木箱包装必须有“铁 包角”,包角的位置和数量应合理。
原木木箱分两种,一种为框架主体为原木实木木方,木箱底座和盖板底座一般由滑木、辅助 滑木、端木、枕木和底板组成,底座所选用材料均为实木。
滑木的厚度不小于 IOCM 端木和枕木 的厚度不小于5CM 滑木、端木和枕木根数根据箱体大小而定,滑木数量至少 3道,端木和枕木 至少3道,底板的厚度不小于18CM 盖板厚度不小于15MM 并应设有横梁支撑。
(建议顶板和底板 均采用双层板9CM 板)。
木箱侧板、护角和棱角侧面胶合板,板的厚度不小于 10MM 护棱的宽度不小于19MM 厚 度不小于0.5MM 这弯长度不小于100MM 护角的厚度不小于0.5M 底边的长度不小于140MM 护棱材质跟钢带一样,角用薄钢板。
钛制通凤瑕
护檯铁护垢铁
包装内支撑以及相关加固:包装箱 8个侧面必须设立内支撑木方,如果箱体偏大,则必须用木方做米字形支撑,确保木箱强度和装卸安全;箱体重量若超过1000KGS必须用钢带再将箱体捆扎加固。
出口木箱包装规程
为加强木箱包装管理、提高包装质量、防止因包装质量问题而造成产品损失,特制定本规程。
1、进入集装箱的标准木箱必须严格按照尺寸制作,最大外形尺寸(含加固的板条)不得超过1100m*1100mm*1100mm(长×宽×高)。
如无特殊要求的箱腿高一律为100mm。
2、板材采用人工胶合板等出口免熏蒸木箱材料,木箱外观无霉点。
底板、侧板和加固板条板厚18mm,盖板板厚12mm,四角楞边的加固板条,宽度不小于60mm,楞边并用铁皮装订加固。
3、装箱前箱底垫一层15mm厚度珍珠棉,装箱时玻璃应放正、靠齐,且玻璃之间要垫厚度珍珠棉,要干净、整齐,并保证垫满、垫平整,玻璃装完后上面再垫一层15mm厚度珍珠棉。
4、若玻璃在箱内分两层或多层,每层之间要垫整块15mm厚度珍珠棉隔开,防止上下两层玻璃崩角或崩边。
5、必须按规定的数量装箱,不允许多装或少装,并且装完箱后数量要查对清楚,玻璃上部多余的纸要全部撕干净,便于查数,箱内不得有其他杂物。
6、钉箱时,每个钉箱部位至少钉三个钉子,呈“△”形钉牢,不准漏钉、鼓钉,箱底三条方木与板盖之间至少钉三个钉子。
7、所有出口木箱原则上均用木螺钉代替铁钉封箱。
钉封木箱要注意钉子不能外露,钉后木条不能开裂,产品不能碰伤。
8、木箱含水率、静载荷堆码、跌落试验能满足SN /T 0273-2002
《进出口商品运输包装木箱检验检疫规程》的要求。
9、封箱后在木箱统一位置粘贴规格书,内容包含品名、型号、数量、堆码极限等信息。
木箱包装标准木箱作为一种常见的包装材料,被广泛应用于各种货物的包装和运输中。
为了确保木箱包装的质量和安全性,制定了一系列的木箱包装标准。
本文将对木箱包装标准进行详细介绍,以便广大生产企业和使用者能够更好地了解和遵守相关标准。
首先,木箱包装标准主要包括以下几个方面,材料选择、结构设计、加固方式、防潮防震、标识标牌等内容。
在材料选择方面,木箱的材料应当选用高质量的木材,如松木、柳木等,确保木箱本身的质量和稳定性。
同时,木箱的材料应当符合国家相关的环保标准,以保障环境和人体健康。
在结构设计方面,木箱的设计应当考虑到货物的特性和重量,合理确定木箱的尺寸和结构,确保能够承受货物的重量和外部压力,避免在运输过程中出现损坏或变形。
加固方式是木箱包装中非常重要的一环,通过加固可以提高木箱的稳定性和承载能力。
在木箱的角部和连接处应当采用合适的加固方式,如使用金属扣、钉子、胶水等,以增强木箱的整体结构。
防潮防震是木箱包装中需要特别重视的问题,特别是在长途运输或海运过程中,木箱很容易受到潮湿和震动的影响。
因此,在木箱包装中应当加入防潮和防震的措施,如在木箱内部加入干燥剂、泡沫等材料,以保护货物不受潮湿和震动的影响。
最后,木箱的标识标牌也是木箱包装中必不可少的一环。
在木箱上应当标明货物的名称、重量、生产日期、生产厂家等信息,以便在运输和仓储过程中能够清晰地识别和管理货物。
总的来说,木箱包装标准是保障货物运输安全和质量的重要保障,只有严格遵守相关标准,才能确保木箱包装的质量和安全性。
希望广大生产企业和使用者能够重视木箱包装标准,确保货物的安全运输和储存。
设备木箱包装和集装箱固定方案1. 包装木箱应满足的国家标准。
1.1 GB/T7284-2016 《框架木箱》标准。
一级(流通环境复杂,转载次数多,流通过程中可能遭受到较大的外力危害时);2类胶合板封闭箱(用于需要防水、防潮等防护的内装物,或需防止内装物脱落时)。
1.2 GB/T 7350-1999《防水包装》标准,选用B类3级包装(包装箱在运输过程中,可能遇雨或海水侵蚀)。
2. 结构和材料箱板和结构用料根据设备的重量和特性设计,确保木箱强度不变形和装卸的安全,并符合出口到加拿大的国际标准要求。
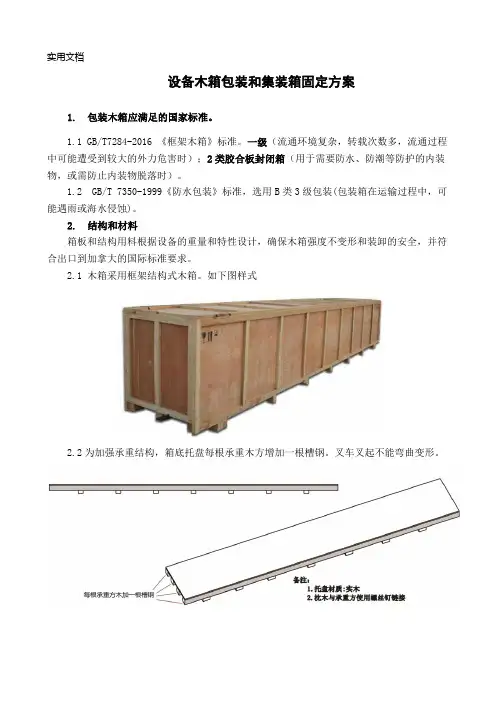
2.1 木箱采用框架结构式木箱。
如下图样式2.2为加强承重结构,箱底托盘每根承重木方增加一根槽钢。
叉车叉起不能弯曲变形。
2.3框架结构部位的实木选用松木或同类符合出口标准的木料,侧板和盖板选用符合出口要求的免薰蒸胶合板。
凡是使用的实木,比如木头、方木、木块、木条、木板等全部是符合出口要求的熏蒸木,盖IPPC章。
如下图所示2.4材料规格:木箱底座托盘用料,槽钢4根,端头截面 12 ╳ 14cm,承重木方4根,端头截面12 ╳ 14cm,枕木端头截面12 ╳ 12cm,底板厚度2cm。
盖板选用胶合板厚1cm,盖板框架实木端头截面9 ╳ 3cm;侧板选用胶合板厚度1 cm,框架实木端头截面9 ╳ 3 cm。
2.5箱体内部,侧板之间使用方木连接加固。
如下图所示。
2.6每个木箱外面四周侧板均要印有防水防潮、防摔等常用提示标记。
2封箱后由包装公司在木箱的统一位置喷写木箱编号,粘贴箱内清单。
包括:品名、数量等符合出口标准要求的内容。
3. 木箱内设备的保护和固定设备在木箱内必须做到防水保护,固定牢靠,不得发生移位或窜动。
3.1 设备采用抽真空防水包装,放干燥剂。
箱内空余部分使用符合出口要求的填充物,防止海运过程中来回晃动碰撞损坏设备;3.2 木箱内部应用压杠、挡块、撑杆、钢带等固定设备。
箱内设备与箱体接触部分要用缓冲材料保护,固定部位不能对设备外观产生损伤。
装箱作业指导书一、任务背景装箱作业是指在物流运输过程中将货物进行合理、安全地装箱的工作。
合理的装箱作业可以保护货物免受损坏,确保货物在运输过程中的安全性。
本指导书旨在提供装箱作业的详细步骤和要求,以确保装箱作业的质量和效率。
二、装箱作业步骤1. 准备工作a. 根据货物的性质和尺寸选择合适的包装材料,如纸箱、木箱、塑料薄膜等。
b. 检查包装材料的质量和完整性,确保没有破损或者缺陷。
c. 准备必要的工具和设备,如剪刀、胶带、封箱机等。
2. 货物分类和分组a. 根据货物的性质、尺寸和分量进行分类,确保相似性质的货物放在一起。
b. 将货物按照目的地或者收货方进行分组,以便于后续的装箱和分拣。
3. 装箱顺序和方式a. 根据货物的性质和尺寸确定装箱的顺序,通常是从大件到小件、从重物到轻物的顺序。
b. 在装箱过程中,要注意货物的稳定性和平衡性,避免货物在运输过程中的滑动或者倾斜。
c. 对于易碎或者贵重的货物,需要采取特殊的包装和固定措施,以确保其安全性。
4. 包装材料的使用a. 使用合适的包装材料对货物进行包裹和保护,确保货物不受潮、不受污染和不受外界伤害。
b. 在包装过程中,要注意包装材料的密切度和坚固度,以确保包装的完整性和稳定性。
c. 对于易碎货物,可以使用缓冲材料如泡沫塑料、气泡膜等进行包裹,以减少碰撞和振动对货物的影响。
5. 标识和记录a. 在包装上标明货物的名称、数量、分量、目的地等信息,以便于识别和追踪。
b. 在包装上粘贴或者标注相关的标识和警示标志,如易碎、轻拿轻放、防潮等,以提醒操作人员注意货物的特殊性。
c. 记录每一个包装的详细信息,包括货物的名称、数量、分量、包装材料的使用情况等,以便于后续的核对和管理。
6. 封箱和封条a. 在装箱完成后,使用胶带或者封箱机对纸箱进行封口,确保纸箱的密封性和防水性。
b. 在封箱口上粘贴封条,并记录封条的编号和封条的使用情况,以确保货物在运输过程中的安全性和完整性。
木箱包装技术要求1目的为有效防护产品,方便运输,以便准确、及时交付,给客户提供满意的服务,特制定本规范。
2 适用范围适用于向客户发货的产品包装,其中包括国内交付和海外交付产品的包装。
3 职责3.1市场部门:负责提供客户对产品包装的建议及要求。
3.2研发部门:根据户外机房及配套子系统的特点,结合产品运输方式、交付地点制定包装的基本规范。
3.3技术部门:按订单/出货通知单确定包装箱的尺寸和形式。
3.4生产部门:负责按本规范要求领料包装,并标识清楚。
3.5品质部门:负责按本规范要求对产品包装检验。
3.6仓库部门:负责产成品的入库接收与发货出库的管理。
4.内容4.1总则4.1.1产品包装应作到防护周密、包装紧凑可靠,经济合理和美观大方,确保产品在装卸、运输过程中和存储有效期内,不因包装原因发生损坏和降低产品质量。
4.1.2当客户有特殊要求时,应根据具体要求按供需双方一致协议包装。
4.2包装作业流程4.2.1生产包装人员根据《出货通知单》、《装箱清单》要求领料,并按下列4.3~4.6要求进行包装。
4.2.2品质人员负责根据《出货通知单》、《装箱清单》对包装前的产品进行检查,符合品质要求后通知生产人员包装。
生产人员根据《出货通知单》、《装箱清单》按下列4.3~4.6要求进行包装与装箱。
装箱完成后品质人员再根据《出货通知单》、《装箱清单》、《出货检验规范》进行每项逐一检查确认,并核对实物与标识的正确性(箱号、物料标识卡等),检查包装箱外观清洁状况,完全符合要求后方可判定合格并出据《产品检验报告》。
4.2.3生产包装人员接收判定合格的《产品检验报告》后,填写《入库单》交仓库。
4.2.4仓库接收到《入库单》后根据《装箱清单》清点实物、核对外箱标识的正确性(箱号、物料标识卡等),检查包装箱外观清洁状况,按《自制产成品/半成品入库管理办法》办理入库手续。
4.2.5发货人员按《发货管理办法》办法发货手续,发货时必须根据《出货通知单》《装箱清单》清点实物、核对外箱标识的正确性(箱号、物料标识卡等),检查包装箱外观清洁状况,符合要求后方可发货。
集装箱装运及包装注意事项一、选择合适的集装箱1.根据货物的性质和尺寸选择适合的集装箱,包括普通干货集装箱、冷链集装箱、液体罐集装箱等。
确保货物能够合理地放置在集装箱内,并且不会因为超重或尺寸过大而无法装运。
2.选用集装箱前,要检查集装箱的外观质量和结构完整性,确保没有破损和漏洞。
特别是冷链集装箱,要确保冷藏系统和温控设备正常工作。
3.根据目的地和运输方式选择不同类型的集装箱,例如平台集装箱、高柜集装箱、危险品集装箱等。
二、合理的货物包装1.根据货物的性质和运输要求选择合适的包装材料,如纸箱、木箱、木质托盘、气泡膜等。
确保包装材料具有足够的强度和耐冲击性,能够保护货物免受挤压、摔打和湿气侵蚀。
2.包装货物时要注意防潮、防尘、防震、防静电等,使用防水加固胶带或防水塑料薄膜进行外包装。
3.对易碎、液体、危险品等特殊货物要按照相关要求进行特殊的包装和标记。
三、合理的货物摆放和固定1.在集装箱内摆放货物时,应将重物放置在底层,轻物放置在上层,并合理利用空间,确保货物放置稳固、不易倾倒。
2.使用合适的吊装设备和绑扎装置将货物固定牢固,防止在运输过程中发生位移和摇晃。
同时要确保绑扎装置不会对货物造成损坏。
3.对于易碎品和液体品,要在货物之间加入缓冲材料或隔离垫,减少货物在运输途中的碰撞和摩擦。
四、正确的标识和说明1.标识集装箱的外部包装,包括商品名称、数量、重量、生产日期、生产厂家等信息,以便于查验和识别。
2.对于危险品和易碎品,要贴上标识和警示标志,提醒操作人员注意。
3.准备好集装箱内部的货物清单和装箱单,清楚标明各个货物的名称、数量和位置,并准备好相关证明文件和通关文件。
五、合理的堆场和仓储管理1.选择干燥、通风、无火源、无腐蚀性等条件良好的堆场或仓库,确保货物不受外界环境的影响,防止发生事故。
2.合理安排货物的入库和出库顺序,确保及时出货和减少堆存时间。
3.使用合适的叉车、起重机等设备进行货物的搬运和堆放,操作时要注意货物的安全和损坏风险。
产品木箱装箱的作业规范为规范采用木箱包装产品的装箱要求,确保产品在木箱中能够得到有效的稳定,保证产品品质,现对相关需采用木箱包装的产品,在装箱时作如下规定:一、卷帘产品装箱要求:1、所需装箱的产品及零配件,必须与底盘固定,采用铁皮打包带将其捆扎结实,产品与底盘之间固牢,不得有松动现象。
同时,在铁皮打包带同产品接触处采用纸板护垫,以防铁皮打包带直接与产品接触而损坏产品。
2、防水保护膜应进行检查是否完好、有破损的不准使用,包装时应小心操作,防止防水塑料袋或塑料薄膜破损。
3、木箱箱盖不准铁钉尖外露,三面封板应搭接牢靠,箱盖安装后与底盘用铁钉进行连接,连接牢固。
4、对整个木箱外侧用铁皮打包带进行包扎,根据箱体尺寸大小,适当增加打包带捆扎道数。
5、装箱时,必须先确定产品的总重量,以防超重,铲车无法搬运或导致木箱损坏,以车间实际铲车最大承重为准(电动车间铲车有:3T和3.5T两辆),最好每只木箱按2T承载设计装箱产品。
6、底部先放卷轴、导轨、箱罩板、门片等,然后上面再放配件。
如配件数量较多可以另作一只配件木箱直接存放配件。
7、出口木箱因国家政策要求,不能用实木制作,要用三夹板木箱制作。
如果是原木的木箱,需要熏蒸后才行,要有熏蒸证明。
8、木箱宽度尺寸不宜超过1.2m,以防大货车,集装箱横向无法摆放导致无法装车。
产品装箱过程见下图(1)、先放底板(2)、产品装箱顺序(3)、最后箱体捆扎二、玻璃装箱规范要求:1、木箱底部用时8mm×200mm的木条加两层纸板做基底垫层。
2、玻璃依次放入木箱之内,玻璃与玻璃之间分2段用瓦楞纸隔开,防止玻璃之间摩擦碰撞。
3、玻璃放入木箱后,玻璃与木箱空隙用瓦楞纸填满,防止玻璃左右晃动撞击。
4、木箱箱盖不准铁钉尖外露,上盖与木箱钉牢固。
5、装箱完毕后用打包带对木箱整体进行打包捆扎,根据箱体的规格尺寸确定打包带,一般打包带要求,长度方向采用3~4根,宽度方向采用2根。
装箱次序:(1)、先放底板(2)、装箱顺序(3)、最后箱体捆扎三、钢质门装箱规范要求:1、隔木条错开亮子区域,不可直接搁装置在亮子压窗上,防止玻璃受压损坏。
木箱包装工艺流程
1. 准备木箱:根据包装物的大小、重量以及运输距离等因素,选择合适的木材制作木箱。
2. 打包包装物:将待包装的物品按照规定进行归类,然后采用专门包装材料对其进行包装。
3. 填充缓冲材料:用合适的缓冲材料填充木箱内部和包装物之间的空隙,以减少物品在运输过程中的碰撞和摩擦。
4. 加强木箱结构:根据包装物的重量和物品特性,选择采用木条、钉子等加强木箱结构,保证木箱在运输过程中能够承受压力。
5. 保险杠制作:根据需要,制作合适的保险杠,一方面能够固定木箱,另一方面能够方便拆卸。
6. 印刷标识:在木箱上印刷标识,包括包装物的名称、重量、数量、运输方式以及目的地等信息,以便于管理和识别。
7. 封闭木箱:将木箱顶部用钉子或其他封闭物进行封闭,并对封闭处进行加固,以确保木箱在运输过程中不会开裂。
8. 验收确认:对已经包装好的木箱进行验收,确认完好无损后可以进行运输、存储或销售等后续流程。
木箱的设计原则和注意事项木箱作为一种常见的包装工具,广泛应用于物流和运输行业。
它具有可重复使用、环保可再生的特点,同时能够提供良好的保护和承载能力。
在设计木箱时,我们需要遵循一些设计原则和注意事项,以确保木箱的质量和功能满足需求。
1. 材料选择设计木箱时,首先需要选择合适的木材。
常用的木材包括胶合板、纤维板和实木等。
胶合板具有坚固、耐用的特点,纤维板具有较好的平整度和刚性,实木则具有天然的美观和耐用性。
根据具体的要求和使用环境选择适当的木材,确保木箱的强度和耐用性。
2. 结构设计木箱的结构设计是保证其承载力和稳定性的重要因素。
合理的结构设计可以增加木箱的负荷能力和抗震能力,保护货物免受外部冲击和挤压。
设计时需要考虑木箱的尺寸、连接方式和加强框架等因素,确保木箱能够承受运输过程中的各种力和冲击。
3. 强度计算为了保证木箱在运输过程中的安全性,需要进行强度计算。
根据货物的重量和尺寸,结合运输方式和运输环境等因素,计算出木箱的最大负载和承载能力,以确保木箱能够安全承载所运输的货物。
同时,还需要考虑抗震性能和防潮性能等因素,以提高木箱的可靠性和使用寿命。
4. 减少空间浪费在木箱的设计中,需要尽量减少空间浪费,提高货物的装载率。
合理使用木板和隔板,设计合适的仓储空间和分隔结构,以确保货物能够安全、稳定地放置在木箱中。
在设计时要考虑货物的特点和尺寸,合理安排内部结构,最大限度地利用木箱内部的空间。
5. 防潮和防震木箱在运输过程中可能会遇到潮湿和震动的问题。
为了保护货物免受潮湿和震动的影响,需要进行防潮和防震的设计。
防潮设计包括选择合适的木材、添加防潮剂和设计合理的密封结构等。
防震设计则包括采用吸震材料、加固结构和选择合适的缓冲材料等措施,以提高木箱的防震性能和保护货物的安全。
6. 标识和包装在木箱的设计中,需要考虑标识和包装的问题。
合理的标识设计可以方便货物的识别和分类,减少运输过程中的错误和损失。
包装设计包括选择适当的包装材料和包装方式,以保护货物免受损坏和外部冲击。
公司包装木箱规章制度范本第一章总则第一条为规范公司木箱包装工作,提高木箱包装质量,确保货物运输安全,特制订本规章制度。
第二条本规章制度适用于公司所有相关部门和人员,包括但不限于包装部门、生产部门、仓储部门和物流部门等。
第三条公司木箱包装工作应遵循“质量第一、安全第一、效率第一”的原则,确保木箱包装工作顺利进行。
第四条包装木箱应符合国家标准和公司要求,确保货物包装完好、安全、便捷运输。
第二章包装木箱规范第五条包装木箱应选用优质的原料,结构牢固,不得使用破损或劣质材料。
第六条包装木箱的尺寸应符合货物尺寸,严禁超载或超限包装。
第七条包装木箱应有明显的标识,标明货物名称、数量、重量、生产厂家等信息。
第八条包装木箱外表面应整洁,不得有尘土或异物,保持清洁。
第九条包装木箱应有适当的防潮措施,确保货物不受潮损坏。
第十条包装木箱应根据不同的货物性质和运输方式进行相应的防震、防护措施。
第三章包装木箱管理第十一条包装木箱应有专门责任人负责管理,定期检查包装木箱情况。
第十二条包装木箱管理人员应具备相关工作经验和技能,能够熟练操作包装设备。
第十三条包装木箱管理人员应对员工进行培训,提高员工的包装水平和质量意识。
第十四条包装木箱管理人员应及时处理包装木箱的问题和异常情况,确保货物安全运输。
第四章包装木箱安全第十五条包装木箱管理人员应遵守相关安全规定,做好包装木箱的安全防范工作。
第十六条包装木箱使用过程中应注意防火、防爆等安全问题,不得在包装木箱附近吸烟或使用明火。
第十七条包装木箱应定期检查和维护,发现问题及时处理或更换。
第五章包装木箱违规处罚第十八条对违反包装木箱规章制度的行为,将视情节轻重给予相应处理,包括口头警告、书面通报、扣工资等处罚措施。
第十九条严重违规行为将依法追究法律责任,造成严重后果的,可给予辞退等处罚。
第六章附则第二十条本规章制度自发布之日起正式实施,如有调整或变更将提前通知相关部门和人员。
第二十一条对不符合规章制度的问题及时整改,确保公司木箱包装工作质量和安全。
木箱包装标准木箱是一种常见的包装材料,广泛应用于各种货物的包装和运输。
为了确保木箱包装的质量和安全性,制定了一系列的木箱包装标准,以规范木箱的设计、制造和使用。
本文将对木箱包装标准进行详细介绍,希望能为相关行业提供参考和指导。
首先,木箱包装标准对木箱的材料要求进行了规定。
木箱的材料应选择优质、坚固、耐用的木材,如松木、柳木、榉木等,材料应具有一定的抗压、抗震性能,能够保护包装物品不受损坏。
此外,木箱的材料还应符合国家相关环保标准,不得使用有毒、有害的木材或化学材料。
其次,木箱包装标准对木箱的设计和结构进行了规范。
木箱的设计应考虑到包装物品的重量、尺寸和特性,合理确定木箱的尺寸、结构和承重能力。
木箱的结构应牢固稳定,连接件应采用高强度的螺钉、铆钉或焊接,以确保木箱在运输过程中不会出现松动、变形或损坏。
此外,木箱包装标准还对木箱的防潮、防震和防盗性能进行了要求。
木箱在设计和制造过程中应考虑到货物的运输环境和条件,采取相应的防潮、防震和防盗措施,确保包装物品在运输过程中不受潮、震动或盗窃。
最后,木箱包装标准还对木箱的标识和包装作业进行了规定。
木箱应在外部标明包装物品的名称、重量、数量、生产日期等信息,便于识别和管理。
包装作业应按照标准操作规程进行,确保木箱包装的质量和安全性。
总的来说,木箱包装标准是为了规范木箱的设计、制造和使用,保障包装物品在运输过程中的安全性和完整性。
遵循木箱包装标准,不仅可以提高木箱包装的质量和效率,还可以降低货物在运输过程中的损坏率,减少经济损失和安全事故的发生。
因此,相关行业和企业应严格遵守木箱包装标准,确保木箱包装的质量和安全性,为货物的运输和交付提供有力保障。
木箱质量控制规定一、引言木箱是一种常用的包装材料,广泛应用于物流、运输和存储行业。
为了确保木箱的质量,保证其在使用过程中的安全性和耐用性,制定木箱质量控制规定是非常必要的。
本文将详细介绍木箱质量控制的相关要求和标准。
二、木箱材料选择1. 木材:选择优质的木材作为木箱的主要材料,如松木、榉木等,确保木材的质量稳定和耐用性。
2. 木板:木箱的板材应该选用厚度均匀、无裂纹、无虫蛀的木板,确保木箱结构的稳定性和承重能力。
三、木箱设计要求1. 结构设计:木箱的结构应合理,能够承受运输和堆码过程中的挤压和冲击力,确保包装物品的安全。
2. 尺寸设计:根据包装物品的尺寸和重量确定木箱的尺寸,确保包装物品的稳固和安全。
四、木箱制作工艺1. 切割木材:按照设计要求将木材切割成所需的尺寸和形状,确保木箱的结构稳定。
2. 拼接木板:采用合适的拼接方式将木板拼接在一起,确保木箱的强度和稳定性。
3. 固定件安装:安装合适的固定件,如角铁、螺丝等,确保木箱的结构牢固。
4. 表面处理:对木箱的表面进行打磨和涂漆处理,确保木箱的美观和耐用性。
五、木箱质量检验1. 外观检查:检查木箱的外观是否平整、无裂纹、无变形等。
2. 尺寸检查:测量木箱的尺寸是否符合设计要求。
3. 承重能力检查:通过实际加载测试,检查木箱的承重能力是否符合要求。
4. 包装物品适应性检查:将合适的包装物品放入木箱中,检查木箱是否能够稳固地保护包装物品。
六、木箱质量控制记录1. 制定木箱质量控制记录表,记录每一批次木箱的质量检验结果。
2. 对不合格的木箱进行整改或退货处理。
3. 定期进行木箱质量控制的回顾和评估,根据实际情况对木箱质量控制规定进行修订和完善。
七、木箱质量控制的责任分工1. 生产部门负责木箱的制作和质量检验。
2. 质量部门负责监督和审核木箱的质量控制工作。
3. 销售部门负责与客户沟通木箱的质量要求和交付时间。
八、木箱质量控制的改进措施1. 定期组织培训,提高员工的木箱制作和质量控制技能。
产品木材包装工安全操作规程一、前言木材作为一种易燃物品,在运输、储藏和包装过程中安全风险较高。
为了保证安全,防止意外事故的发生,制定和严格执行安全操作规程就显得尤为重要。
本文将详细介绍产品木材包装工的安全操作规程。
二、工作前准备1.熟悉工作内容和工作场所的环境,了解相关设备的操作方法和安全注意事项。
2.检查设备的安全装置和操作开关是否正常,确保无故障。
3.穿戴合适的劳动防护用品,包括头盔、口罩、防护眼镜等。
4.确认工作区域内没有任何易燃、易爆及其他危险物品。
5.开展安全培训,对操作人员进行相关安全知识和技能培训,加强安全意识和操作技能。
三、包装操作1.木材包装操作时必须在专门指定的区域内执行,禁止在非指定区域内进行操作。
2.将木材摆放整齐后,开始接入堆垛机,取货器工作时禁止人员靠近。
3.注意操作步骤,确保木材被堆垛机牢固夹紧后才进行下一步操作,确保整个包装过程的安全。
4.对于大尺寸的木材,应由两人配合进行操作,确保操作安全。
5.如果出现异常情况,如机器故障或操作失误等情况,应立即停止操作并通知上级进行处理。
四、堆放操作1.堆垛操作时,必须按照规定的高度和数量进行堆垛,不得超过规定高度和数量。
2.堆垛区域内禁止吸烟、火源和明火。
堆垛区域内应设置明显的安全警示标志。
3.堆垛时在地面上应铺设专用防火物质,堆垛高度不宜过高,以免发生倒塌的情况。
4.对于已经烧损或有其他缺陷的木材,应将其远离其他木材,采取专门的处理措施。
5.堆垛时注意横向和纵向的均匀分布,确保整个堆垛的平衡。
6.堆垛后应及时进行安全检查,确保没有任何安全隐患,如有需要,应及时采取措施予以处理。
五、清理操作1.清理操作前,必须保证设备已经停止运转,并且断开电源。
2.禁止将残留物和垃圾乱扔,应带入指定的垃圾区域予以处理。
3.禁止将切割生产的木屑等易燃物品随意堆放,应专门进行收集和存放,以避免引发火灾事故。
4.确认操作区域内没有任何遗漏物品后,方可离开清理现场。