施耐德变频器Modbus通讯概要(中文)
- 格式:doc
- 大小:374.50 KB
- 文档页数:15
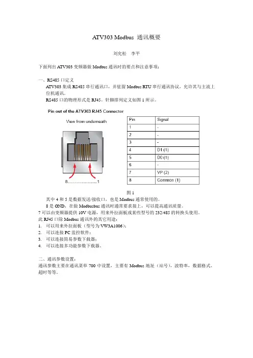
ATV303 Modbus 通讯概要刘允松李平下面列出ATV303变频器做Modbus通讯时的要点和注意事项:一、RS485口定义ATV303集成RS485串行通讯口,并驻留Modbus RTU串行通讯协议,允许其与主流上位机通讯。
RS485口的物理形式是RJ45。
针脚排列定义如图1所示。
图1其中4和5是数据发送/接收口,也是Modbus通常使用的。
8是GND,在做Modbusbus通讯时通常要求接上,可以提高通讯质量。
7可以由变频器提供10V电源,用来外拉面板或某些型号的232/485的转换头使用。
此RJ45口除Modbus通讯外的其它用途:1.可以用来外拉面板(型号为VW3A1006);2.可以连接PC监控软件;3.可以连接简易参数下载器;4.可以连接多功能参数下载器。
二、通讯参数设置:通讯参数主要在通讯菜单700-中设置,主要有Modbus地址(站号),波特率,数据格式、超时等等。
图2另外ATV303的Modbus默认要求一旦数据开始读写,必须有连续的数据交换,变频器依据Modbus超时进行Consistency Check。
如果超过该时限没有接到数据交换指令,即判定串行连接故障。
因此必须对数据进行循环读或写。
另一种解决的方式是在故障管理菜单菜单中屏蔽串行连接故障,即将参数611设置为00.图3注意这种方法是一种偷懒的方法,潜在的危险时当出现真正的通讯连接故障(如遇到干扰),变频器将不能发现。
四、控制通道的设置:如果作Modbus通讯的目的仅仅是读取变频器的状态和变量,例如输出频率,输出电流,故障记录等,控制通道是不用设置的。
典型的状态参数地址为:如果Modbus通讯的目的是用来以上位机控制变频器的给定频率和/或起停命令,则需要在400-菜单中对控制通道进行设置。
如果以上位机同时控制变频器的给定频率和起停命令,其实也可以不做设置。
因为本来通讯就是优先的:变频器一旦接收到来自Modbus的给定频率和起停(包括正反转)指令,Modbus控制就起了主导作用,除非强迫本地有效。
ATV303 Modbus 通讯概要刘允松李平F 面列出ATV303变频器做Modbus 通讯时的要点和注意事项:RS485 口定义ATV303集成RS485串行通讯口,并驻留 Modbus RTU 串行通讯协议,允许其与主流上 位机通讯。
RS485 口的物理形式是 RJ45。
针脚排列定义如图 1所示。
Fin out of the ATV3Q3 F?J45 Connector8是GND ,在做Modbusbus 通讯时通常要求接上,可以提高通讯质量。
7可以由变频器提供10V 电源,用来外拉面板或某些型号的232/485的转换头使用。
此RJ45 口除Modbus 通讯外的其它用途:1. 可以用来外拉面板(型号为 VW3A1006);2. 可以连接PC 监控软件;3. 可以连接简易参数下载器;4. 可以连接多功能参数下载器。
二、通讯参数设置:通讯参数主要在通讯菜单 700-中设置,主要有 Modbus 地址(站号),波特率,数据格式、 超时等等。
V rew iron underneathPinSignal1■2-3 ■4 D1 (1)5 DO ⑴6 - 7VP (2) 8Common (1;其中4和5是数据发送/接收口,也是 Modbus 通常使用的。
8 .........................图1空 |屯理r 便啤 覊■范■ttl 厂设董□ Modbus%址OFF 至工冊Tbsitfl 切關可倘笊屈刘口匚匚卩曙7设・K DF F 肘!诵区範堀止4.0 kbps384kbp5J Modb 甘5格武 朋13N1SNZ □ Modbus卜煜阿 严MW 在前建附刚内翌狱瓠桑啜列圧问 啲陽"Ml 迪时).WUM ^11«] - Modfeu<. 5S H ,另外ATV303的Modbus 默认要求一旦数据开始读写,必须有连续的数据交换,变频器依据 Modbus 超时进行Consistency Check 。
ATV303 Modbus 通讯概要刘允松李平下面列出ATV303变频器做Modbus通讯时的要点和注意事项:一、 RS485 口定义ATV303集成RS485 串行通讯口,并驻留Modbus RTU串行通讯协议,允许其与主流上位机通讯。
RS485口的物理形式是RJ45。
针脚排列定义如图 1 所示。
图 1其中 4 和 5 是数据发送 /接收口,也是Modbus 通常使用的。
8 是 GND ,在做 Modbusbus 通讯时通常要求接上,可以提高通讯质量。
7 可以由变频器提供 10V 电源,用来外拉面板或某些型号的232/485 的转换头使用。
此 RJ45 口除 Modbus 通讯外的其它用途:1.可以用来外拉面板(型号为VW3A1006 );2.可以连接 PC 监控软件;3.可以连接简易参数下载器;4.可以连接多功能参数下载器。
二、通讯参数设置:通讯参数主要在通讯菜单 700-中设置,主要有 Modbus 地址(站号),波特率,数据格式、超时等等。
图2另外 ATV303 的 Modbus 默认要求一旦数据开始读写,必须有连续的数据交换,变频器依据Modbus 超时进行 Consistency Check 。
如果超过该时限没有接到数据交换指令,即判定串行连接故障。
因此必须对数据进行循环读或写。
另一种解决的方式是在故障管理菜单菜单中屏蔽串行连接故障,即将参数611 设置为 00.注意这种方法是一种偷懒的方法,图 3潜在的危险时当出现真正的通讯连接故障(如遇到干扰),变频器将不能发现。
四、控制通道的设置:如果作 Modbus 通讯的目的仅仅是读取变频器的状态和变量,例如输出频率,输出电流,故障记录等,控制通道是不用设置的。
典型的状态参数地址为:如果Modbus通讯的目的是用来以上位机控制变频器的给定频率和/或起停命令,则需要在400-菜单中对控制通道进行设置。
如果以上位机同时控制变频器的给定频率和起停命令,其实也可以不做设置。
ATV303 Modbus 通讯概要刘允松李平下面列出ATV303变频器做Modbus通讯时的要点和注意事项:一、RS485口定义ATV303集成RS485串行通讯口,并驻留Modbus RTU串行通讯协议,允许其与主流上位机通讯。
RS485口的物理形式是RJ45。
针脚排列定义如图1所示。
图1其中4和5是数据发送/接收口,也是Modbus通常使用的。
8是GND,在做Modbusbus通讯时通常要求接上,可以提高通讯质量。
7可以由变频器提供10V电源,用来外拉面板或某些型号的232/485的转换头使用。
此RJ45口除Modbus通讯外的其它用途:1.可以用来外拉面板(型号为VW3A1006);2.可以连接PC监控软件;3.可以连接简易参数下载器;4.可以连接多功能参数下载器。
二、通讯参数设置:通讯参数主要在通讯菜单700-中设置,主要有Modbus 地址(站号),波特率,数据格式、超时等等。
图2另外ATV303的Modbus默认要求一旦数据开始读写,必须有连续的数据交换,变频器依据Modbus超时进行Consistency Check。
如果超过该时限没有接到数据交换指令,即判定串行连接故障。
因此必须对数据进行循环读或写。
另一种解决的方式是在故障管理菜单菜单中屏蔽串行连接故障,即将参数611设置为00.图3注意这种方法是一种偷懒的方法,潜在的危险时当出现真正的通讯连接故障(如遇到干扰),变频器将不能发现。
四、控制通道的设置:如果作Modbus通讯的目的仅仅是读取变频器的状态和变量,例如输出频率,输出电流,故障记录等,控制通道是不用设置的。
典型的状态参数地址为:如果Modbus通讯的目的是用来以上位机控制变频器的给定频率和/或起停命令,则需要在400-菜单中对控制通道进行设置。
如果以上位机同时控制变频器的给定频率和起停命令,其实也可以不做设置。
因为本来通讯就是优先的:变频器一旦接收到来自Modbus的给定频率和起停(包括正反转)指令,Modbus控制就起了主导作用,除非强迫本地有效。
ATV303 Modbus 通讯概要刘允松李平下面列出ATV303变频器做Modbus通讯时的要点和注意事项:一、 RS485 口定义ATV303集成RS485 串行通讯口,并驻留Modbus RTU串行通讯协议,允许其与主流上位机通讯。
RS485口的物理形式是RJ45。
针脚排列定义如图 1 所示。
图 1其中 4 和 5 是数据发送 /接收口,也是Modbus 通常使用的。
8 是 GND ,在做 Modbusbus 通讯时通常要求接上,可以提高通讯质量。
7 可以由变频器提供 10V 电源,用来外拉面板或某些型号的232/485 的转换头使用。
此 RJ45 口除 Modbus 通讯外的其它用途:1.可以用来外拉面板(型号为VW3A1006 );2.可以连接 PC 监控软件;3.可以连接简易参数下载器;4.可以连接多功能参数下载器。
二、通讯参数设置:通讯参数主要在通讯菜单 700-中设置,主要有 Modbus 地址(站号),波特率,数据格式、超时等等。
图2另外 ATV303 的 Modbus 默认要求一旦数据开始读写,必须有连续的数据交换,变频器依据Modbus 超时进行 Consistency Check 。
如果超过该时限没有接到数据交换指令,即判定串行连接故障。
因此必须对数据进行循环读或写。
另一种解决的方式是在故障管理菜单菜单中屏蔽串行连接故障,即将参数611 设置为 00.注意这种方法是一种偷懒的方法,图 3潜在的危险时当出现真正的通讯连接故障(如遇到干扰),变频器将不能发现。
四、控制通道的设置:如果作 Modbus 通讯的目的仅仅是读取变频器的状态和变量,例如输出频率,输出电流,故障记录等,控制通道是不用设置的。
典型的状态参数地址为:如果Modbus通讯的目的是用来以上位机控制变频器的给定频率和/或起停命令,则需要在400-菜单中对控制通道进行设置。
如果以上位机同时控制变频器的给定频率和起停命令,其实也可以不做设置。
ATV303 Modbus 通讯概要欧阳歌谷(2021.02.01)刘允松李平下面列出ATV303变频器做Modbus通讯时的要点和注意事项:一、RS485口定义ATV303集成RS485串行通讯口,并驻留Modbus RTU串行通讯协议,允许其与主流上位机通讯。
RS485口的物理形式是RJ45。
针脚排列定义如图1所示。
图1其中4和5是数据发送/接收口,也是Modbus通常使用的。
8是GND,在做Modbusbus通讯时通常要求接上,可以提高通讯质量。
7可以由变频器提供10V电源,用来外拉面板或某些型号的232/485的转换头使用。
此RJ45口除Modbus通讯外的其它用途:1.可以用来外拉面板(型号为VW3A1006);2.可以连接PC监控软件;3.可以连接简易参数下载器;4.可以连接多功能参数下载器。
二、通讯参数设置:通讯参数主要在通讯菜单700-中设置,主要有Modbus地址(站号),波特率,数据格式、超时等等。
图2另外ATV303的Modbus默认要求一旦数据开始读写,必须有连续的数据交换,变频器依据Modbus超时进行Consistency Check。
如果超过该时限没有接到数据交换指令,即判定串行连接故障。
因此必须对数据进行循环读或写。
另一种解决的方式是在故障管理菜单菜单中屏蔽串行连接故障,即将参数611设置为00.图3注意这种方法是一种偷懒的方法,潜在的危险时当出现真正的通讯连接故障(如遇到干扰),变频器将不能发现。
四、控制通道的设置:如果作Modbus通讯的目的仅仅是读取变频器的状态和变量,例如输出频率,输出电流,故障记录等,控制通道是不用设置的。
典型的状态参数地址为:如果Modbus通讯的目的是用来以上位机控制变频器的给定频率和/或起停命令,则需要在400-菜单中对控制通道进行设置。
如果以上位机同时控制变频器的给定频率和起停命令,其实也可以不做设置。
因为本来通讯就是优先的:变频器一旦接收到来自Modbus的给定频率和起停(包括正反转)指令,Modbus控制就起了主导作用,除非强迫本地有效。
ATV303 Modbus 通讯概要刘允松李平下面列出ATV303变频器做Modbus通讯时的要点和注意事项:一、RS485口定义ATV303集成RS485串行通讯口,并驻留Modbus RTU串行通讯协议,允许其与主流上位机通讯。
RS485口的物理形式是RJ45。
针脚排列定义如图1所示。
图1其中4和5是数据发送/接收口,也是Modbus通常使用的。
8是GND,在做Modbusbus通讯时通常要求接上,可以提高通讯质量。
7可以由变频器提供10V电源,用来外拉面板或某些型号的232/485的转换头使用。
此RJ45口除Modbus通讯外的其它用途:1.可以用来外拉面板(型号为VW3A1006);2.可以连接PC监控软件;3.可以连接简易参数下载器;4.可以连接多功能参数下载器。
二、通讯参数设置:通讯参数主要在通讯菜单700-中设置,主要有Modbus地址(站号),波特率,数据格式、超时等等。
图2另外ATV303的Modbus默认要求一旦数据开始读写,必须有连续的数据交换,变频器依据Modbus超时进行Consistency Check。
如果超过该时限没有接到数据交换指令,即判定串行连接故障。
因此必须对数据进行循环读或写。
另一种解决的方式是在故障管理菜单菜单中屏蔽串行连接故障,即将参数611设置为00.图3注意这种方法是一种偷懒的方法,潜在的危险时当出现真正的通讯连接故障(如遇到干扰),变频器将不能发现。
四、控制通道的设置:如果作Modbus通讯的目的仅仅是读取变频器的状态和变量,例如输出频率,输出电流,故障记录等,控制通道是不用设置的。
典型的状态参数地址为:如果Modbus通讯的目的是用来以上位机控制变频器的给定频率和/或起停命令,则需要在400-菜单中对控制通道进行设置。
如果以上位机同时控制变频器的给定频率和起停命令,其实也可以不做设置。
因为本来通讯就是优先的:变频器一旦接收到来自Modbus的给定频率和起停(包括正反转)指令,Modbus 控制就起了主导作用,除非强迫本地有效。
ATV303 Modbus 通讯概要刘允松李平下面列出ATV303变频器做Modbus通讯时的要点和注意事项:一、RS485口定义ATV303集成RS485串行通讯口,并驻留Modbus RTU串行通讯协议,允许其与主流上位机通讯。
RS485口的物理形式是RJ45。
针脚排列定义如图1所示。
图1其中4和5是数据发送/接收口,也是Modbus通常使用的。
8是GND,在做Modbusbus通讯时通常要求接上,可以提高通讯质量。
7可以由变频器提供10V电源,用来外拉面板或某些型号的232/485的转换头使用。
此RJ45口除Modbus通讯外的其它用途:1.可以用来外拉面板(型号为VW3A1006);2.可以连接PC监控软件;3.可以连接简易参数下载器;4.可以连接多功能参数下载器。
二、通讯参数设置:通讯参数主要在通讯菜单700-中设置,主要有Modbus地址(站号),波特率,数据格式、超时等等。
图2另外ATV303的Modbus默认要求一旦数据开始读写,必须有连续的数据交换,变频器依据Modbus超时进行Consistency Check。
如果超过该时限没有接到数据交换指令,即判定串行连接故障。
因此必须对数据进行循环读或写。
另一种解决的方式是在故障管理菜单菜单中屏蔽串行连接故障,即将参数611设置为00.图3注意这种方法是一种偷懒的方法,潜在的危险时当出现真正的通讯连接故障(如遇到干扰),变频器将不能发现。
四、控制通道的设置:如果作Modbus通讯的目的仅仅是读取变频器的状态和变量,例如输出频率,输出电流,故障记录等,控制通道是不用设置的。
典型的状态参数地址为:如果Modbus通讯的目的是用来以上位机控制变频器的给定频率和/或起停命令,则需要在400-菜单中对控制通道进行设置。
如果以上位机同时控制变频器的给定频率和起停命令,其实也可以不做设置。
因为本来通讯就是优先的:变频器一旦接收到来自Modbus的给定频率和起停(包括正反转)指令,Modbus控制就起了主导作用,除非强迫本地有效。
ATV303 Modbus 通讯概要刘允松李平下面列出ATV303变频器做Modbus通讯时的要点和注意事项:一、RS485口定义ATV303集成RS485串行通讯口,并驻留Modbus RTU串行通讯协议,允许其与主流上位机通讯。
RS485口的物理形式是RJ45。
针脚排列定义如图1所示。
图1其中4和5是数据发送/接收口,也是Modbus通常使用的。
8是GND,在做Modbusbus通讯时通常要求接上,可以提高通讯质量。
7可以由变频器提供10V电源,用来外拉面板或某些型号的232/485的转换头使用。
此RJ45口除Modbus通讯外的其它用途:1.可以用来外拉面板(型号为VW3A1006);2.可以连接PC监控软件;3.可以连接简易参数下载器;4.可以连接多功能参数下载器。
二、通讯参数设置:通讯参数主要在通讯菜单700-中设置,主要有Modbus地址(站号),波特率,数据格式、超时等等。
图2另外ATV303的Modbus默认要求一旦数据开始读写,必须有连续的数据交换,变频器依据Modbus超时进行Consistency Check。
如果超过该时限没有接到数据交换指令,即判定串行连接故障。
因此必须对数据进行循环读或写。
另一种解决的方式是在故障管理菜单菜单中屏蔽串行连接故障,即将参数611设置为00.图3注意这种方法是一种偷懒的方法,潜在的危险时当出现真正的通讯连接故障(如遇到干扰),变频器将不能发现。
四、控制通道的设置:如果作Modbus通讯的目的仅仅是读取变频器的状态和变量,例如输出频率,输出电流,故障记录等,控制通道是不用设置的。
典型的状态参数地址为:如果Modbus通讯的目的是用来以上位机控制变频器的给定频率和/或起停命令,则需要在400-菜单中对控制通道进行设置。
如果以上位机同时控制变频器的给定频率和起停命令,其实也可以不做设置。
因为本来通讯就是优先的:变频器一旦接收到来自Modbus的给定频率和起停(包括正反转)指令,Modbus控制就起了主导作用,除非强迫本地有效。
ATV303Modbus 通讯概要刘允松李平下面列出ATV303变频器做Modbus通讯时的要点和注意事项:一、RS485口定义ATV303集成RS485串行通讯口,并驻留Modbus RTU串行通讯协议,允许其与主流上位机通讯。
RS485口的物理形式是RJ45.针脚排列定义如图1所示.图1其中4和5是数据发送/接收口,也是Modbus通常使用的。
8是GND,在做Modbusbus通讯时通常要求接上,可以提高通讯质量。
7可以由变频器提供10V电源,用来外拉面板或某些型号的232/485的转换头使用.此RJ45口除Modbus通讯外的其它用途:1.可以用来外拉面板(型号为VW3A1006);2.可以连接PC监控软件;3.可以连接简易参数下载器;4.可以连接多功能参数下载器。
二、通讯参数设置:通讯参数主要在通讯菜单700—中设置,主要有Modbus地址(站号),波特率,数据格式、超时等等。
图2另外ATV303的Modbus默认要求一旦数据开始读写,必须有连续的数据交换,变频器依据Modbus超时进行Consistency Check。
如果超过该时限没有接到数据交换指令,即判定串行连接故障。
因此必须对数据进行循环读或写。
另一种解决的方式是在故障管理菜单菜单中屏蔽串行连接故障,即将参数611设置为00.图3注意这种方法是一种偷懒的方法,潜在的危险时当出现真正的通讯连接故障(如遇到干扰),变频器将不能发现。
四、控制通道的设置:如果作Modbus通讯的目的仅仅是读取变频器的状态和变量,例如输出频率,输出电流,故障记录等,控制通道是不用设置的。
典型的状态参数地址为:如果Modbus通讯的目的是用来以上位机控制变频器的给定频率和/或起停命令,则需要在400-菜单中对控制通道进行设置。
如果以上位机同时控制变频器的给定频率和起停命令,其实也可以不做设置。
因为本来通讯就是优先的:变频器一旦接收到来自Modbus的给定频率和起停(包括正反转)指令,Modbus控制就起了主导作用,除非强迫本地有效。
ATV303 Modbus 通讯概要刘允松李平下面列出ATV303变频器做Modbus通讯时的要点和注意事项:一、RS485口定义ATV303集成RS485串行通讯口,并驻留Modbus RTU串行通讯协议,允许其与主流上位机通讯。
RS485口的物理形式是RJ45。
针脚排列定义如图1所示。
图1其中4和5是数据发送/接收口,也是Modbus通常使用的。
8是GND,在做Modbusbus通讯时通常要求接上,可以提高通讯质量。
7可以由变频器提供10V电源,用来外拉面板或某些型号的232/485的转换头使用。
此RJ45口除Modbus通讯外的其它用途:1.可以用来外拉面板(型号为VW3A1006);2.可以连接PC监控软件;3.可以连接简易参数下载器;4.可以连接多功能参数下载器。
二、通讯参数设置:通讯参数主要在通讯菜单700-中设置,主要有Modbus地址(站号),波特率,数据格式、超时等等。
图2另外ATV303的Modbus默认要求一旦数据开始读写,必须有连续的数据交换,变频器依据Modbus超时进行Consistency Check。
如果超过该时限没有接到数据交换指令,即判定串行连接故障。
因此必须对数据进行循环读或写。
另一种解决的方式是在故障管理菜单菜单中屏蔽串行连接故障,即将参数611设置为00.图3注意这种方法是一种偷懒的方法,潜在的危险时当出现真正的通讯连接故障(如遇到干扰),变频器将不能发现。
四、控制通道的设置:如果作Modbus通讯的目的仅仅是读取变频器的状态和变量,例如输出频率,输出电流,故障记录等,控制通道是不用设置的。
典型的状态参数地址为:如果Modbus通讯的目的是用来以上位机控制变频器的给定频率和/或起停命令,则需要在400-菜单中对控制通道进行设置。
如果以上位机同时控制变频器的给定频率和起停命令,其实也可以不做设置。
因为本来通讯就是优先的:变频器一旦接收到来自Modbus的给定频率和起停(包括正反转)指令,Modbus控制就起了主导作用,除非强迫本地有效。
ATV303 Modbus 通讯概要刘允松李平下面列出ATV303变频器做Modbus通讯时的要点和注意事项:一、RS485口定义ATV303集成RS485串行通讯口,并驻留Modbus RTU串行通讯协议,允许其与主流上位机通讯。
RS485口的物理形式是RJ45。
针脚排列定义如图1所示。
图1其中4和5是数据发送/接收口,也是Modbus通常使用的。
8是GND,在做Modbusbus通讯时通常要求接上,可以提高通讯质量。
7可以由变频器提供10V电源,用来外拉面板或某些型号的232/485的转换头使用。
此RJ45口除Modbus通讯外的其它用途:1.可以用来外拉面板(型号为VW3A1006);2.可以连接PC监控软件;3.可以连接简易参数下载器;4.可以连接多功能参数下载器。
二、通讯参数设置:通讯参数主要在通讯菜单700-中设置,主要有Modbus地址(站号),波特率,数据格式、超时等等。
图2另外ATV303的Modbus默认要求一旦数据开始读写,必须有连续的数据交换,变频器依据Modbus超时进行Consistency Check。
如果超过该时限没有接到数据交换指令,即判定串行连接故障。
因此必须对数据进行循环读或写。
另一种解决的方式是在故障管理菜单菜单中屏蔽串行连接故障,即将参数611设置为00.图3注意这种方法是一种偷懒的方法,潜在的危险时当出现真正的通讯连接故障(如遇到干扰),变频器将不能发现。
四、控制通道的设置:如果作Modbus通讯的目的仅仅是读取变频器的状态和变量,例如输出频率,输出电流,故障记录等,控制通道是不用设置的。
典型的状态参数地址为:如果Modbus通讯的目的是用来以上位机控制变频器的给定频率和/或起停命令,则需要在400-菜单中对控制通道进行设置。
如果以上位机同时控制变频器的给定频率和起停命令,其实也可以不做设置。
因为本来通讯就是优先的:变频器一旦接收到来自Modbus的给定频率和起停(包括正反转)指令,Modbus控制就起了主导作用,除非强迫本地有效。
施耐德变频器Modbus通讯概要(中文)
ATV303 Modbus 通讯概要
刘允松李平
下面列出ATV303变频器做Modbus通讯时的要点和注意事项:
一、R S485口定义
ATV303集成RS485串行通讯口,并驻留Modbus RTU串行通讯协议,允许其与主流上位机通讯。
RS485口的物理形式是RJ45。
针脚排列定义如图1所示。
图1
其中4和5是数据发送/接收口,也是Modbus
通常使用的。
8是GND,在做Modbusbus通讯时通常要求接上,可以提高通讯质量。
7可以由变频器提供10V电源,用来外拉面板或某些型号的232/485的转换头使用。
此RJ45口除Modbus通讯外的其它用途:
1.可以用来外拉面板(型号为VW3A1006);
2.可以连接PC监控软件;
3.可以连接简易参数下载器;
4.可以连接多功能参数下载器。
二、通讯参数设置:
通讯参数主要在通讯菜单700-中设置,主要有Modbus地址(站号),波特率,数据格式、超时等等。
图2
另外ATV303的Modbus默认要求一旦数据开始读写,必须有连续的数据交换,变频器依据Modbus超时进行Consistency Check。
如果超过该时限没有接到数据交换指令,即判定串行连接故障。
因此必须对数据进行循环读或写。
另一种解决的方式是在故障管理菜单菜单中屏蔽串行连接故障,即将参数611设置为00.
图3
注意这种方法是一种偷懒的方法,潜在的危险时当出现真正的通讯连接故障(如遇到干扰),变频器将不能发现。
四、控制通道的设置:
如果作Modbus通讯的目的仅仅是读取变频器的状态和变量,例如输出频率,输出电流,故障记录等,控制通道是不用设置的。
典型的状态参数地址为:
如果Modbus通讯的目的是用来以上位机控制变频器的给定频率和/或起停命令,则需要在400-菜单中对控制通道进行设置。
如果以上位机同时控制变频器的给定频率和起停命令,其实也可以不做设置。
因为本来通讯就是优先的:变频器一旦接收到来自Modbus的给定频率和起停(包括正反转)指令,Modbus控
制就起了主导作用,除非强迫本地有效。
但为了照顾习惯用法,我们可以在400-菜单中分别设置给定源和命令源,需要设置下列参数:
图4
将参数406设置为02, 将使给定通道400和命令通道407单独设置。
例如:将401设置为164,就以Modbus作为给定通道,将407设置为10,就以Modbus作为起停通道。
当以Modbus作为给定通道时,频率给定的变量地址为8502(16#2136),以0.1Hz为单位,称为LFRD。
或者使用变量地址8602(16#219A),以RPM(转每分)为单位,称为LFRD。
五、基于IEC61800-7的变频器状态流程
ATV303通讯控制时,命令字CMD的变量地址是8501(16#2135),或8601(16#2199),前者以以8502做频率给定,后者以8602做速度给定。
实时状态字ETA的变量地址都是3201(16#0C81)。
CMD和ETA的交互关系如图5。
图5
图中,命令字CMD的每一位的意义见下表:
表1
比较有用的的命令字CMD见下表:
表2
另外还有,反转指令CMD=16#080F, 停止指令CMD=16#010F
状态字ETA的每一位的意义见下表:
表3
为简单起见,我们将状态字ETA位乘16#006F,掩盖掉某些位,称其为MSK,则典型的状态见下表。
表4
例如,要完成如下控制要求:M218的本体模块的I0.0.0的上升沿启动ATV303, 以I0.0.1的下降沿使ATV303停机。
根据上述交互状态表,以Somachine为操作平台用ST语言编写的例程
为:
图6
五、通讯浏览器(I/O Scanner ) 通常比较常用的写入的变量包括: 变量代码 变量地址(十进制) 变量地址(16进制) 变量含义 备注 CMD 8501 2135 命令字 以CMD 发起停指令时,以LFR
作频率给定
LFR
8502
2136
频率给定字(单位
:0.1Hz)
CMDD 8601 2199 命令字 以CMDD LFRD
8602
219A
速度给
定字(单位:1rpm) 发起停指令时,以LFRD
作速度给定
CMI 8504 2138 扩展命
令字
表5
通常比较常用的读出的状态变量包括:
变量代码变量地
址(十进
制)
变量地
址(16
进制)
变量含
义
备注
ETA 8603 219B 状态字ETI 3206 0C86 扩展状
态字RFR 3202 0C82 有符号
输出频
率(单
位:
0.1Hz)RFRD 8604 219C 有符号
输出速
度(单
位:
1rpm)LCR 3204 0C84 电机电
流(单
位:
0.1Hz)
ULN 3207 0C87 电网电
压(单
位:0.1V)起始地址33207,从VB80开始寄存,存4个字节,数据将保存在VW82
THD 3209 0C89 变频器
热状态
(单
位:%)
THR 9630 259E 电机热
状态(单
位:%)
LFt 7121 1BD1 故障代
码(列
表)
表6
可以看到,某些变量的逻辑地址并不连续,如果需要读取或写入变量,需要多个读取和写入指令,这将影响通讯的效率。
为此,ATV303设置了间接寻址读取缓冲区和间接寻址写入缓冲区。
首先将要连续读取的变量的逻辑地址依次设进参数705.0—705.3,将要连续写入的变量的逻辑地址依次设进参数706.0—706.3。
这样707.0—707.3(逻辑地址12741/16#31C5—12744/16#31C8)对应的是读取的变量的映射,708.0—708.3(逻辑地址12761/16#31D9—12764/16#31DC)对应的是写入的变量的映射。
在编写读取和写入参数的指令格式时时,按逻辑地址12741—12744和12761—12764填入即可。
表7。