货柜7点检查
- 格式:doc
- 大小:22.00 KB
- 文档页数:2
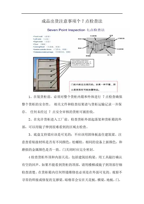
成品出货注意事项个7点检查法1、在装货柜前,必须对整个货柜内箱和外体进行 7点检查确保整个货柜的安全性。
相关文件和检查结果请与货柜运输记录一并保存。
任何未经过 7 点安全审核的货柜可被拒收。
2、在允许货柜进入工厂前,检查货柜外部起落架和货柜箱的外部,可以用镜子伸到很难看到的区域去检查。
3、底盘支持梁应该是可见的;不应该用固体板盖住建筑梁。
注意查看粘接材料是否有不同颜色,松螺栓,相同的设备上新颜色,和磨损的金属颜色是否一致。
门关闭时应完全密封。
4检查货柜外顶和内部天花,包括建筑结构梁。
用工具敲打确认有空的回声。
如果不能看到货柜的顶部,请用楼梯或镜子到顶部仔细检查清楚。
在货柜箱内任何焊缝维修也必须是在外面可见的。
观察不寻常的焊接或修复的支撑梁。
暗格常会安在天花板,横梁,地板,门,前壁。
5、检查货柜内,外表面。
包括整个货柜结构的梁架,可以使用工具去敲打墙体。
听和感觉空金属声音。
所有墙体,天花,和门都应该是金属的。
内部的任何修补必须在箱体外部也能看到。
支撑柱和货柜箱内部通风口(9 个)必须可视而且间距合适。
6、检查前壁确保排气口和梁柱可以看到并且间距合适,用尺,测距器或其它工具测量箱柜内部尺寸。
量得的尺寸要完全符合货柜规格。
检查前壁的颜色,确保排气口和梁柱可以看到并且间距合适,用工具敲打确认有空的回声。
7、检查是否有不寻常的维修地板。
地面应是平坦的同一个高度。
用胶带,测距仪或一块木头衡量地板到天花板的高度。
量得的尺寸要完全符合货柜规格。
货柜箱内不应该有台阶,在货柜箱内不应该有凸凹的台阶或明显的平台。
集装箱七项检查法
简介
集装箱作为国际贸易中常见的货物运输方式,在运输过程中需
要进行七项检查以确保安全和符合法规。
本文档将介绍这七个检查
要点以及相应的法规要求。
七项检查要点
1. 外观检查:检查集装箱外部是否完好,包括有无损坏、变形、脱漆等情况。
2. 密封检查:检查集装箱的密封性能,包括密封条、门锁等部
位是否完好。
3. 垂直间隙检查:检查集装箱中的垂直间隙是否有异物,对于
粉尘、杂草等需进行清理。
4. 地板检查:检查集装箱底部地板是否结实、无裂缝和松动,
确保承重能力。
5. 内部检查:检查集装箱内部是否干净、整洁,无杂物,特别
是有无异味、害虫等。
6. 压力检查:检查集装箱压力是否正常,防止因压力过高或过
低引发危险。
7. 安全标志检查:检查集装箱上的安全标志是否齐全、清晰可见。
相关法规要求
进行集装箱七项检查需要符合以下相关法规要求:
1. 《国际海事组织关于安全集装箱的公约》
2. 《国际海事组织货柜船安全公约》
3. 国家相关安全法规,如《中华人民共和国海关法》、《中华
人民共和国民用航空法》等。
总结
集装箱七项检查法是确保集装箱运输安全和合法的重要措施。
根据相关法规要求,必须进行外观、密封、垂直间隙、地板、内部、压力和安全标志七个方面的检查。
这些检查要点的正确执行能够减
少事故风险,提升运输效率,确保货物安全到达目的地。
浙江鸿隆安全用品有限公司Zhejiang Honglong Safety Commodity Co., Ltd7点检查法程序文件编号:ZJHL-XS-050分发部门:存档分发号:制(修)定:贾瑞涛审核:核准:发布日期:2013年07月30日实施日期:2013年07月31日地址:浙江省永康市城西新区金桂南路2路邮编:312500 本文件版权属于浙江鸿隆安全用品有限公司,未经许可不得翻录。
浙江鸿隆安全用品有限公司Zhejiang Honglong Safety Commodity Co., LtdZJHL-XS-0507点检查法程序1、目的为加强集装箱的安全管理,特制定本程序。
2、范围适用于公司所有集装箱3、程序3.1前壁a)确定内部各角挡块可见且无误,前壁是由折皱材料构成的。
b)用40′的尺子测量集装箱的内部尺寸,柜前至后门内测的距离是40尺柜应该是39′5 ″或12.01M,20尺柜的为19′4 ″或5.89M。
c)确认排气口可以看见,没有被异物堵住。
d)用工具敲打它,确认有空的回声。
3.2左边a)查看横梁的异常修复b)查看侧壁都可见的内外部的修复情况c)用工具敲打它,确认有空的回声。
3.3右边a)查看横梁的异常修复b)查看侧壁都可见的内外部的修复情况c)用工具敲打它,确认有空的回声。
3.4地板a)测量底部至顶部的高度,40尺柜和20尺柜的高度应该为7′10″或者是2.38M。
b)确认底部是平整,所有的高度是一样的,不能有不同的高度。
c)检查异常修复情况。
3.5顶部a)顶部的外形不能使靠内或者靠外,确保是一致的。
b)查看角上挡块的顶部和距顶部距离。
例如,正常情况下,那顶部应稍微低一点或者和角部挡块的顶部齐平。
c)确认排气口可以看见,没有被异物堵住。
d)查看内外顶端内外侧异常修复。
3.6门的内外a)确保门的锁闭系统的可靠性、安全性。
b)查看铆钉的类型颜色,颜色应该都是一致的且钉子周围没有油污。
c)确保各孔洞处没有固体异物。
文件制修订记录
1.0目的:
采用良好措施确保货柜不被恐怖分子利用,藏匿及走私货物等,确保公司财物、员工、货物的安全。
2.0范围:
适用于本公司的承包商及上卸货人员、保安人员。
3.0定义:
无
4.0职责:
安全经理/报关人员负责货柜的7点检查,并做好检查记录。
5.0内容及要求:
5.1 公司所有的货物装入车辆/集装箱发往集运人/承运人/货运代理人时,必须由本公司警卫进行监督。
进行已核准的公司整柜装载时,保安负责人有责任在装货前检查集装箱,核实其是否安全和已经清空。
如发现异常,管理人员必须在发运前进行复查。
5.2发往集运人处:
5.2.1警卫或高级管理人员必须监督成品装入车辆的过程。
5.2.2警卫或高级管理人员可以不参与装货,他/她的唯一职责是监督并指导装货过程。
5.3已核准的工厂整柜装载:
5.3.1除了上面提及的监督职责,警卫或高级管理人员还须在装箱前检查集装箱是否装有隐蔽间隔,结构是否稳固。
检查依据下列准则进行:
5.4检查部位:
前板
左侧/右侧
底板/顶板/箱顶。
1.目的:禁止危险物品被装载入货柜出货。
2.成品装柜过程中,以防止危险物品被装载入货柜为目的,要在安全监管下进行装柜作业。
3.装柜前保安员要检查货柜的七点安全性,检查内容包括:3.1货柜内有无危险物品。
3.2货柜有无孔洞,包括内外之前面、左侧面、右侧面、地面、顶内外面、门内外面、外面、外底架等部位。
3.3货柜是否完整坚固,包括内外之前面、左侧面、右侧面、地面、顶内外面、门内外面、外面、外底架等部位。
3.4货柜门锁装置是否可靠。
货柜是否清洁3.5货柜车的拖车、拖板、驾驶室等。
3.6检查结果记录于《集装箱7点检查表》。
4.在装柜过程中:4.1成品装柜负责人和值班保安人员须在现场监察,防止危险物品被装载、及防止未经授权的人士参预装柜作业和接近货柜。
4.2中途需要停止装柜作业时,须关上货柜门并上锁或封条。
4.3在装柜过程中要有闭路电视或保安人员监察,闭路电视须保留至少30天的记录。
5.装柜完毕后:5.1装柜完毕后,由成品仓负责人上锁,贴上内部封条并做好登记,报关员在海关检查货柜,若有内部封条破损等不良现象,则应将货柜运回公司重新处理;若内部封条正常,则贴上海关封条,并做好记录。
5.2当值保安员和仓库主管监督装柜过程,两人在装柜完毕后记录《封条记录表》并签名确认,以备特殊情况下查询。
《封条记录表》的内容应包括封条号码和货柜车号码。
6.安全事件处理:在装柜过程中,当发现有危险物品被装载、有未经授权的人士参预装柜作业或接近货柜等情况时,应立即制止并报告保安队长,如有重大安全事件要及时上报当地公安机关处理。
7.货柜储存工厂的货柜由运输公司提供,货车到达后立即装柜,装柜完毕后立即运输,不得在工厂储存,不得在运输货物过程中停车,以防非法进入或操纵。
8. 装柜区为重点监控受限制区域,非授权人员禁止进入,所有装柜的人员必须经过严格的背景调查,有专人监控装柜过程。
2024年拖车及集装箱安全检查1.0目的为了加强对本公司货物和货柜的运输安全,符合海关与C-TPAT安全标准要求,防止装运、运输过程中丢失货物或遭受非法入侵,避免恐怖威胁、走私及其他犯罪行为,确保货物准确按时的到达目的地,制订本程序。
2.0范围拖车及集装箱的检查与监督人员。
3.0內容:3.1所有进入本公司装运货物的集装箱都必须接受安全监管人员的检查,核对集装箱号。
3.2货柜车进入本公司时,先由保安人员对拖车车头、连接处、车辆底盘与货柜底部进行检查,检查方法与注意事项请参考培训材料。
3.3空柜集装箱车辆,在进入停放区域后应由安全监管人员立即开柜检查是否为空柜状态,如发现有货物或人员,应立即报告公司安全官员与相关负责人。
3.4拖车在装运作业前需要由安全监管人员按要求进行5点安全检查。
集装箱需进行7点安全检查。
4.0检查方法:4.1检查内容:安全监管人员检查按接受培训的方法进行:4.1.1建议对所有拖车进行如下五点检查程序:4.1.1.1对第五轮区域进行检查,看自然隔板/车底护板是否有改装、非正常维修等异常痕迹。
4.1.1.2对拖车外部进行检查,检查前面/侧面是否有改装、非正常维修等异常痕迹。
4.1.1.3对拖车尾部进行检查,检查保险杠/门是否有改装、非正常维修等异常痕迹。
4.1.1.4对驾驶室进行检查,检查驾驶室左侧/右侧/地板/顶部是否有改装、非正常维修等异常痕迹。
4.1.1.5对起落架进行检查,检查起落架/拖车钩是否牢靠,是否有改装、非正常维修等异常痕迹。
4.1.2建议对所有集装箱进行如下七点检查程序:4.1.2.1对集装箱的底部(底盘)按进行观察,是否有改装、非正常维修等异常痕迹。
4.1.2.2对集装箱内外门进行检查,检查门闩、螺钉、门板,是否有改装、非正常维修等异常痕迹。
4.1.2.3对集装箱左、右侧板进行检查,是否有改装、非正常维修等异常痕迹。
4.1.2.4对柜头进行安全检查,是否有改装、非正常维修等异常痕迹。
货柜安全七点检查法1.前端1、端墙是否凹痕、刻孔或有明显的修补2、角柱是否变形、凹痕或被损坏、焊接3、前门栏上下是否弯曲或被损坏、焊接4、前端是否有洞2.内柜墙片/地板面1、确保柜内每个角落是清楚可看见,而不是伪造的,并且确认柜内墙面是由波纹状的材料制成.2、确保通风孔是明确可看见,没有被覆盖或者不存在。
3、使用一个工具轻拍柜墙,应该有空心声音。
4、确认柜内地板是平的。
在柜内不应该有不同的地板面高度。
5、检查看看地板面上是否有异常的修补痕迹。
3.左边柜子1、检查看看是否有柜内的墙柱结构有异常的修复痕迹。
2、检查看看柜内及柜外是否有可见的修补痕迹。
3、使用一个工具轻拍侧边,应该有空心声音。
4.右边柜子1、检查看看是否有柜内的墙柱结构有异常的修复痕迹。
2、检查看看柜内及柜外是否有可见的修补痕迹。
3、使用一个工具轻拍侧边,应该有空心声音。
5.柜顶片1、伪造的柜顶的结构可以是内部或外在的,请内外都要检查。
2、观察柜子外观的柜顶4个角落和柜顶之间的距离,通常柜顶的高度应该都会比4个柜角的高度要低一些。
3、确认通风孔是明显可看见,没有被覆盖或者不存在。
4、检查看看是否柜内及柜外的顶端是否有任何可见的修补痕迹。
5、使用一个工具轻拍柜顶内外侧,应该有空心声音。
6.柜门内/外1、确保柜门上的锁是安全且牢靠的2、观察钉类型和颜色,它们不应该是不同的颜色或钉周围有明显的氧化痕迹。
3、确保柜门没有坚实板材,通常有洞在上面。
7.外观/柜底1、柜子的外部或车盘在进入工厂之前应该要被检查过。
2、用肉眼或是镜子检视并确认柜子底下所有墙柱的结构是清晰可见的,且没有外来的物体被安装在柜下。
3、检查看看是否柜外或柜内有任何可见的修复痕迹。
4、使用一个工具轻拍柜子的外部或柜底,应该有空心声音。
货柜检查程序标题:货柜检查程序引言概述:货柜检查程序是指对货柜进行检查和维护的一系列操作流程,旨在确保货柜的安全性和正常运作。
本文将详细介绍货柜检查程序的内容和步骤。
一、外部检查1.1 检查货柜外观:检查货柜外表面是否有明显损坏或腐蚀,确保货柜外观完整。
1.2 检查密封性能:检查货柜门、窗户等密封部位是否完好,确保货柜密封性良好。
1.3 检查标识标牌:检查货柜上的标识标牌是否清晰可见,确保货柜信息准确。
二、内部检查2.1 检查货物储存情况:检查货柜内货物的存放情况,确保货物摆放整齐,不会影响货柜的正常使用。
2.2 检查通风情况:检查货柜内通风情况,确保货柜内空气流通畅通。
2.3 检查温湿度:检查货柜内的温湿度情况,确保货柜内环境符合货物存放要求。
三、电气系统检查3.1 检查电气连接:检查货柜内电气设备的连接情况,确保连接牢固可靠。
3.2 检查电气设备运行情况:检查货柜内电气设备的运行情况,确保正常工作。
3.3 检查安全保护装置:检查货柜内的安全保护装置是否齐全有效,确保货柜使用安全。
四、液压系统检查4.1 检查液压泵和油箱:检查货柜液压系统的泵和油箱情况,确保运转正常。
4.2 检查液压管路:检查液压管路是否有泄漏或损坏,确保液压系统正常工作。
4.3 检查液压阀门:检查液压阀门的开关情况,确保液压系统操作准确。
五、整体性能检查5.1 运行测试:对货柜进行整体性能测试,包括开关门、升降货物等功能。
5.2 故障排查:如发现任何故障或异常情况,及时进行排查和处理。
5.3 记录报告:对货柜检查程序进行记录和报告,以备日后参考和追踪。
结语:货柜检查程序是确保货柜正常运作和安全性的关键步骤,只有经过细致的检查和维护,才能保证货柜的长期使用和安全运输。
希望本文的介绍能够帮助读者更好地理解货柜检查程序的重要性和操作步骤。
货柜检查程序一、背景介绍货柜检查程序是指在货柜运输过程中,为确保货物的安全和质量,制定的一套检查流程和标准。
货柜作为一种常见的运输工具,承载着大量的货物,因此对货柜的检查至关重要。
二、目的货柜检查程序的目的在于:1. 确保货柜的结构和设备完好,能够安全运输货物;2. 检查货柜内部环境,以确保货物的质量和安全;3. 防止货柜内部存在违禁品或者危(wei)险品。
三、程序1. 货柜外部检查1.1 检查货柜的外观,包括货柜的整体结构、焊接是否完好、有无凹陷、锈蚀等情况;1.2 检查货柜的密封性能,确保货柜门能够彻底关闭,并且密封性良好;1.3 检查货柜的标识,包括货柜号码、尺寸、最大负荷等信息是否清晰可见。
2. 货柜内部检查2.1 检查货柜内部的环境,包括温度、湿度等情况,以确保货物的质量不受影响;2.2 检查货柜内部的装饰材料,确保无异味或者有害气体释放;2.3 检查货柜内部的灯光和通风设备是否正常工作;2.4 检查货柜内部的固定设备,如吊环、绳索等,确保能够安全固定货物。
3. 货物检查3.1 检查货物的包装情况,确保包装完好无损;3.2 检查货物的数量和规格,与提货单或者装箱单进行核对;3.3 检查货物的外观,包括有无破损、变形等情况;3.4 检查货物的分量,与提货单或者装箱单进行核对。
四、记录和报告在进行货柜检查的过程中,应及时记录检查结果,并制作检查报告。
报告内容应包括货柜的基本信息、检查过程中发现的问题、问题的处理情况以及检查人员的签名和日期。
五、培训和监督为确保货柜检查程序的有效实施,应对相关人员进行培训,使其熟悉检查流程和标准。
同时,还应建立监督机制,定期对货柜检查工作进行评估和检查,以确保程序的有效性和可持续性。
六、改进措施根据货柜检查工作中发现的问题和经验,应及时总结经验教训,提出改进措施,并在实施过程中进行评估和调整,以不断提高货柜检查工作的质量和效率。
七、结论货柜检查程序是确保货物安全和质量的重要环节,通过制定标准的检查流程和要求,能够有效地提高货柜运输的质量和安全性。
类别*****皮具有限公司生效日期2018年10月10号集装箱七点检查法文件编号GLN-SC-FQ-01 页码第1页,共2页版本/修订A/011.目的为加强集装箱的安全管理,特制定本程序。
2.范围适用于公司所有集装箱3.程序前壁a)确定内部各角挡块可见且无误,前壁是由折皱材料构成的。
b)用40′的尺子测量集装箱的内部尺寸,柜前至后门内测的距离是40尺柜应该是39′5″或,20尺柜的为19′4″或。
c)确认排气口可以看见,没有被异物堵住。
d)用工具敲打它,确认有空的回声。
左边a)查看横梁的异常修复b)查看侧壁都可见的内外部的修复情况c)用工具敲打它,确认有空的回声。
右边a)查看横梁的异常修复b)查看侧壁都可见的内外部的修复情况地板a)测量底部至顶部的高度,40尺柜和20尺柜的高度应该为7′10″或者是。
b)确认底部是平整,所有的高度是一样的,不能有不同的高度。
c)检查异常修复情况。
顶部a)顶部的外形不能使靠内或者靠外,确保是一致的。
b)查看角上挡块的顶部和距顶部距离。
例如,正常情况下,那顶部应稍微低一点或者和角部挡块的顶部齐平。
c)确认排气口可以看见,没有被异物堵住。
d)查看内外顶端内外侧异常修复。
门的内外a)确保门的锁闭系统的可靠性、安全性。
b)查看铆钉的类型颜色,颜色应该都是一致的且钉子周围没有油污。
c)确保各孔洞处没有固体异物。
外部/起落架a)进厂装柜前,检查柜子的底盘和外观。
编辑** 审核** 批准*** 类别**皮具有限公司生效日期2018年10月10号集装箱七点检查法文件编号GLN-SC-FQ-01页码第2页,共2页版本/修订A/01b)检查底盘时要用一面镜子以确保所有的支撑横梁是可见的,且没有其他外部的东西固定在起落架上。
c)在箱子的内部查看外部可见的修复。
4.附件照片5.集装箱数据表类型外容积内容积配货毛重体积20尺柜20英尺*20英尺*8英尺6**吨24~26立方米20尺开顶柜20英尺*20英尺*8英尺6**20吨立方米。
集装箱完整性检查程序(七点检查)
针对Wal-mart C-TPAT反恐安全管理程序对,集装箱求的七点检查:
适用于美国境外与生产商和仓库人员进行产品的生产、储存或运输。
集装箱完整性检查程序(七点检查)七点检查表的
注:每一类至少有两个符合(被选中)
前壁
1.确定内部各角挡块可见且无误,前壁是由折皱材料构成的。
2.用40‘的尺子测量集装箱的内部尺寸,柜前至后门内侧的距离是40尺柜应该是39‘5“或12.01M,20尺柜的为19‘4“或5.89M。
3.确信排气口可以看见,没有被异物堵住。
4.用工具敲打它,确认有空的回声。
左边
1.查看横粱的异常修复
2.查看侧壁都可见的内外部的修复情况。
3.用工具敲打它,确认有空的回声
右边
1.查看横梁的异常修复
2.查看侧壁都可见的内外部的异常修复情况。
3.用工具敲打它,确认有空的回声
地板
1.测量底部至顶部的商度,40尺柜和20尺柜的高度应该是7’10”或者是2.38M.
2.确认底部是平整,所有的高度是一样的。
不能有不同的高度。
3.检查异常修复情况。
顶部
1.顶部的外形不能是靠内或者靠外。
确保是一致的。
2.查看角上挡块的顶部和距顶部距离。
例如:正常情况下,那顶部应稍微低一点或者和角部挡块的顶部齐平。
3.确信排气口可以看见,没有被异物堵住。
4.查看内外顶部内外侧异常修复。
门的内外
1.确宝门的锁闭系统的可靠性,安全性。
2.查看柳钉的类型颜色,颜色应该都是一致的且钉子周围没有油污。
3.确保各孔洞处没有固体异物
外部/起落架
1.进厂装柜前,.检测柜子的底盘和外观
3.检测底盘时要用一面镜子以确保所有的支撑横梁是可见的,且没有其它外部的东西固定在起划落架上。
4.在箱子的内部查看外部可见的修复。
一、集装箱保安(Container Security)
1、总则:工厂必须有完整的集装箱使用管理程序;所有运载往美国的集装箱必须有保安功能较好的封条并符合现有的PAS ISO 17712高度安全的封条标准;集装箱内不允许装载未经授权的物料;非授权人员不可进入集装箱内。
2、集装箱的检查:工厂必须制定完整的空柜检验程序,以确保货柜的完整性;确保使用的集装箱或拖
车的结构密实并且状态梁好;检查过程需包括以下几方面如柜头、左面、右面、顶部、底部、内/外门(柜门须有合法的锁闭装置)和外底盘;检验人员应在集装箱的检验单上签名确认。
3、集装箱的封条:工厂须制定封条监管和使用的程序含不正确使用和遗失处理;管理部门须指派专人负责封条的监管工作;封条号码应准确无误地记录在运输单上。
4、集装箱的储存:集装箱必须储存在安全区域防止未经授权和非法操作;工厂须制定有效的报告和制止未经授权进入的程序文件。
从集装箱堆厂得铅封的程序
1.提箱时从港口操作处货得安全铅封。
2.必面填写装箱计划表上的如下要素
封箱时间,时期
封号
箱号
锁箱人的名子和身份和施箱封的程序
封箱的程序:
1.再次查看锁和箱的的锁有无异常。
2.实际封号与手上的文件上的封号进行核对
3.用力抠铅封确认那个号紧紧贴在上面的。
4.用手拧铅封确信不能被拧动。
Consolidator。