电能表的现场校验
- 格式:doc
- 大小:25.00 KB
- 文档页数:6
三相电能表现场校验仪使用说明示例文章篇一:哎呀呀,同学们,今天我要给大家讲讲这个神奇的东西——三相电能表现场校验仪!你们知道吗?这个校验仪就像是电力世界的小侦探,专门来检查三相电能表有没有好好工作。
它的样子有点像一个小盒子,不过可别小瞧了它,它的本领可大着呢!当电工叔叔们带着它去工作的时候,那场面可有意思啦!比如说,有一次我看到电工叔叔拿着它来到一个工厂,那里的三相电能表好像有点“调皮”,不准了。
电工叔叔就打开这个校验仪,然后把一些线连到电能表上。
我好奇地问:“叔叔,这能行吗?”叔叔笑着说:“小朋友,你就瞧好吧!”然后,校验仪的屏幕上就出现了好多数字和线条。
叔叔一边看着,一边嘴里还念叨着:“嗯,这个电压有点低,电流好像也不太对。
”这时候,旁边的工厂老板着急地问:“师傅,到底咋回事啊?”叔叔说:“别着急,老板,咱们慢慢查。
”你们看,这个校验仪就像是医生的听诊器,能听出电能表的“毛病”。
它可以检测电压、电流、功率因数等等好多参数。
这就好比我们考试,要检查好多科目一样,语文、数学、英语都不能落下。
如果电压不正常,就好像我们跑步的时候腿使不上劲;电流不对呢,就像是喝水喝得太多或者太少,都不舒服。
而且哦,这个校验仪操作起来也不是特别难。
只要按照说明书上的步骤,一步一步来,就像我们做数学题,先算加法再算乘法,不能乱了顺序。
有了它,就能保证我们用电的准确和安全啦。
不然,如果电能表不准,那电费算错了可咋办?工厂的机器说不定还会出故障呢!所以说呀,三相电能表现场校验仪可真是个宝贝,能帮我们解决好多大问题!你们说是不是?示例文章篇二:哎呀呀,同学们,今天我要给大家讲讲三相电能表现场校验仪这个神奇的东西!你们知道吗?这玩意儿可厉害了!就好像我们的眼睛能帮我们看清世界一样,三相电能表现场校验仪能帮电工叔叔们“看清”电的情况。
先来说说它长啥样吧。
它不大不小,差不多有个小书包那么大,外壳是那种坚硬的材料,可结实啦,就像我们的头盔一样,能保护里面的“小心肝”。
单相电能表现场校验仪操作流程HZDN-H 单相电能表现场校验仪操作流程1.总的步骤为保证仪器安全、合理的使用,请按以下步骤操作:①开机前应先连接好测试线;②开启电源开关;③设置好必要的参数;④将钳表夹至被测电流线;⑤完成测试后保存数据;⑥关闭。
2.触摸屏的操作除去总电源开启,仪器的其它一切操作均在触摸屏上完成。
仪器的操作流程由下列各图所示,操作过程可分为四类:①实测数据显示;②校验参数设置;③历史数据管理;④仪器系统设置。
具体操作步骤和显示内容见下列各节叙述。
(一)仪器主显界面及操作仪器通电后经启动界面进入主界面,仪器的测量数据全部在主显界面显示。
同时,仪器的主菜单和即时操作也由主界面导入。
显示:主显界面分为三个区间:顶部为标识区——显示时间、电能表信息、抄表信息及电池电量等。
中部为实测交流参数区:显示U、I、φ(相位角)、有功功率和工频频率。
底部为校验参数区——校验中的被校电表常数、被校表误差。
操作:①点击屏幕顶部标识区,回放当前及最近校验的误差;②点击屏幕中部,电流取反;③点击屏幕底部,进入主菜单。
说明:①在现场使用时,由于被测电流线的安装位置和电流实际走向限制,会使钳表的操作和显示不甚方便。
为此仪器上设有电流取反功能,即当电流走向与钳表的电流标志方向相反时,可点击屏幕中部使电流在仪器内部取反,而不需要将钳表位置反向。
②当钳表夹持电流线进行测量或校验时,仪器会自动记录测量/校验数据,这些记录可以在钳表从电流线上取下后自动回放。
点击屏幕顶部可自动回放刚才测量的数据。
这就使得操作者不必在测量校验的过程中操作钳表,而是在测量结束后观察回放数据,临时记录的数据最多有8组,在回放时可选取一组或几组有效数据保存,当回放数据被保存后,临时记录将被自动清除。
(二)数据的回放与保存为方便现场实时操作,仪器内部设有临时数据区,它按时间顺序和校验电能脉冲,依次记录了交流参数和校验误差,最多有9组数据。
当前数据是主显界面的实时数据,校验数据是仪器每计算一次误差自动保存的数据。
关于电能表现场校验工作的思考摘要:电能表现场校验工作的重点主要包括监测电能表的误差、互感器的合成误差等等,为了保证电能计算装置的准确可靠,就必须深入了解引起误差变化的主要原因。
本文对电能计算误差的原因进行分析,并对现场校验工作提出几点想法。
关键词:电能表误差分析现场校验1、前言电能表实行定期轮换制,其误差极限一般能控制在允许误差范围内。
互感器由于二次回路电阻、二次负载、功率因数以及电压和频率的变化等多项因素的影响,需要定期测量互感器在实际经常负载下运行时的各项参数,计算出误差值,与允许误差相比较,从而确定计量装置是否运行在允许的误差范围内。
电能计量工作是电力企业营销管理的基本工作,电能计量装置在电力营销整个工作环节中起着决定性的作用,能否准确计量影响着电费能否准确回收以及国民经济的发展。
计量装置配备的是否合理,安装地点是否合适,计量方式是否准确,计量装置接线是否正确,容量选择是否合适,这些不仅影响着电能计量装置的准确性,同时还可能造成一些安全隐患,为了保证电能计算装置的准确可靠,就必须深入了解引起误差变化的主要原因。
本文对电能计算误差的原因进行分析,并对现场校验工作提出几点想法。
2、导致电能表误差的主要原因(1)冲击负荷的影响。
因冲击电流的峰值会是平均负荷电流的数十倍。
受惯性的作用、电能表的转盘转速加快、使电能表呈现瞬间的正偏差。
(2)失去磁性。
使用中的电能表,因其永久磁钢的失磁,会使磁制动力矩减少、电能表的转速加快,使表计出现较大的正偏差。
(3)工作电压偏低。
当电能表接入的工作电压偏低(低于额定值)时,因电压元件产生的自制力矩与转盘的转速、电压磁通φu的平方成正比,因此,当电压偏低时,其电压变化而引起的自制动力矩变化率要大于驱动力矩,所以电能表会产生正偏差。
(4)用电负荷轻。
用电负荷太轻,其电流达不到电能表标定值的5%时,电能表的工作特性会很不稳定,因补偿力矩的作用较大,会使表计产生较大的正偏差。
三相电能表现场校验仪有什么特点随着工业化和城市化的快速发展,对电力质量的要求也越来越高。
为了确保电能计量的准确性和稳定性,对电能表的校准和检测就变得尤为重要。
而三相电能表现场校验仪就是一种用来检测三相电能表的设备,它有着以下几个特点。
1. 自动化程度高三相电能表现场校验仪采用先进的计算机控制技术和自动化校验程序,可以实现对电能表的全自动校验,大大提高了校验效率和准确性。
操作人员只需正确连接电能表和校验仪,并输入校验参数,整个校验过程就可以自动完成。
在校验结果准确度方面,相比于传统的人工校验方法,三相电能表现场校验仪具有更高的准确性和稳定性。
2. 可靠性高三相电能表现场校验仪采用高精度传感器和数字信号处理技术,能够对电能表的计量误差进行高精度检测,同时还能判断电能表运行过程中的故障。
在电能表的校验过程中,由于工作环境、人为误差等因素的存在,误差和漏检的情况经常发生。
而三相电能表现场校验仪可以通过内置的故障检测和自动纠错功能,保证校验结果的准确性和可靠性。
3. 多种功能齐全三相电能表现场校验仪不仅可以对电能表进行精确校验,还具有多种附加功能。
比如可以对电流互感器和电压互感器进行检测和校准,可以根据需求进行负荷测试和功率因数测试。
此外,三相电能表现场校验仪还可以实时监测和显示电能表的各项指标,包括电压、电流、功率因数、有功功率、无功功率和视在功率等。
4. 易操作性强三相电能表现场校验仪在设计上就考虑到了易操作性的问题。
操作面板简单明了,显示直观,具有友好的人机交互界面,即使对于未操作过此类设备的人员,也可以轻松上手。
此外,三相电能表现场校验仪还具有简便的电缆接插方式和移动式外壳设计,方便了设备的运输和现场的搭设。
5. 应用领域广泛三相电能表现场校验仪适用于各种电能表类型的校准和检测,包括电压型电能表、电流型电能表和电子式电能表等,可以广泛应用于电力公司、检测机构、电力设备生产厂家等单位。
在工业、建筑、交通等领域中,三相电能表现场校验仪也具有重要的应用价值。
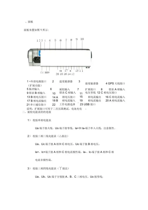
、面板面板布置如图1所示:二、被校电能表的的连接1) 校验单相电能表Ua 端子接火线,Uo 端子接零线;la+和la-端子串入火线,注意极性。
2) 校验三相三线电能表(△接法)Ua 、Uc 端子接A 相和C 相电压,Uo 端子接B 相电压;la+、lc+端子接A 相和C 相电流极性端,la-、lc-端子接A 相和C 相电流非极性端。
3) 校验三相四线电能表(丫接法)Ua 、Ub 、Uc 端子分别接A 、B 、C 三相电压,Uo 接零线;(扩展功能) 5脉冲输入 20 18 16 14 12湿度敏感器 4 GPS 天线接口2 温度敏感器 3被校输入 7 扩展接口 8 钳表A 相输入 10 钳表C 相输入 11 电压零线 12 C 相电压接口 14 A 相电压接口 15C 相电流输出 16 C 相电流输入 18 B 相电流输入 19 A 相电流输出 20 A 相电流输入 22 工作电源选择 23 USB 接口说明:扩展接口可用于二次压降测试,电池充电1 2 3It 17 13 1 1 19已£ 22211 •外部电源接口6 9钳表B 相输入 13 B 相电压接口 17 B 相电流输出21串口通信接口 0Ia+、lb+、lc+端子分别接A相、B相和C相电流极性端,la-、lb-、Ic-端子分别接A相、B相和C相电流非极性端。
三、综合测试功能的实现方法上韓岂38+帕|7二口i则1卜抽:的L 吉井if-里--------------------------- --Ih Ufa kfcL相斥环琏负就:阳g M心側____ |律區金製戶比山b 山①电参数符号含义P:有功功率Q:无功功率S :视在功率I :电流U :电压:电压和电流间相位COS :有功功率因数SIN :无功功率因数 F :频率T:温度W :湿度②校表参数设置在此状态下,通过方向键(上下左右键)或选择键移动到需要修改的栏目上进行参数输入,校表参数定义如下:a)接线:指电能表接线方式,按确定键或空格键可选择:四线有功、三线有功、四线无功和三线无功。
电能表准确性的现场校验及注意事项分析近年业各行各业发展速度较快,人们对电能需求量不断增加,在电力系统运行过程中,为了能够准确实现对电能的有效计量,电能表使用十分广泛。
在电能表使用过程中,为了有效地降低其误差,需要做好电能表现场校验工作,以此来提高电能表计量的精准度。
标签:电能表;测量;现场校验;准确性前言电能表误差会对供电企业和用电客户带来经济损失,为了能够有效控制误差的范围,电能表使用中采用的都是定期轮换制,以此来尽可能地对误差进行控制。
电能表运行过程中,无论是电压互感器还是电流互感器都发挥着重要的作用,但互感器使用过程中对其造成影响的因素较多,因此要定期对互感器测量,对其运行中的各项参数进行掌握,从而对其存在的误差与允许的误差值进行对比,并有效控制计量装置的误差,使其保持在允许的范围内。
特别是在现场中,对现场误差进行检验是必不可少的一个环节,这对提高电能表计量的准确性和可靠性具有非常重要的意义。
1 电能表准确性的现场校验1.1 仔细检查电能表的再次接线在电能表二次接线过程中,需要参考功率、负载流量和相量图来准确对其进行分析,并仔细检查二次接线的情况,及时发现错误及异常,当这些分析完成后,对情况属实性确定后,才能重新进行相量图的绘制工作。
当在分析过程中无法及时对接线和位置的准确性进行判断时,则需要立即采取停电措施,然后再详细进行再次检查。
1.2 对电能表在运转期间存在的偏差展开准确校验当需要对运行中的电能表进行测量时,可以针对两种情况进行具体做法的检验工作。
首先,电能表在测量过程中对准确性具有较高的要求。
对于这种情况的电能表,需要在现场校验过程中采用校验仪来对电网电流、电压和频率等进行检验,将其结果与被检电能表的检验结果进行比对,从而计算出被检电能表存在的误差。
其次,部分电能表测量时对准确性没有太高要求,针对于这种电能表,在具体做法测量实施过程中,可以将其与钳接型互感器进行连接,并对测量结果进行更正,以便于计算出电能表存在的偏差。
CL312三相电能表现场校验仪安全操作规程
一、接线说明:
1、电压输入:将电压测试线的一端接入本机的交流电压输入端,另一端接到所需测量设备的电压端上。
2、电流输入:当采用直接电流输入时,将被测电路电流接入本机的电流输入端,当采用钳表输入时,先把钳表的测试线插入本机的钳表输入端,再把钳头夹在电流线上,A、B、C三相钳表不要插错。
3、光电脉冲输入:采用光电头输入时,将光电脉冲采样器固定在电能表上,将光电脉冲接入本机的脉冲输入插座。
调节光电头,使之能正确采样。
电子式脉冲输入时,直接把脉冲信号接入脉冲输入插座。
二、操作说明:
1、将电源开关打开,进入主菜单,按画面中的↑、↓、←、→键,可使光标在功能菜单上移动,选择校电能表功能后,按回车键即可进入该功能。
2、设置被检电能表和CL312的参数,如被检电能表的额定电流、电压。
常数、电流输入方式、校验圈数等。
3、所有参数设置好后,按接线方法接好输入线和电能表。
4、按“启动”键,CL312即开始校验电能表,自动显示校验结果。
5、校验结束,按“保存”键保存校验结果。
首先打开主机接电表,先接好主机电压线,钳表插头先插到主机上,电压线的另一端夹子取电表上的在线电压,钳表取电表上的电流;然后设置参数进行校验(综合计量误差,查线,变比等),完毕后存盘。
最后一步先去掉电表端的电流钳表,再去掉电表端的电压线,然后再拔掉主机端的电压线和钳表插头,关掉主机。
一般电能表安装在室内,高度建议一米八左右,接线的线头建议铜线或者铜接头引入,雷雨天气较多的地区提前采取避雷措施。
详细的步骤我们再来巩固一下:
1.打开主机;
2.接电表:先接好主机电压线,钳表插头先插到主机上,电压线的另
一端夹子取电表上的在线电压,钳表取电表上的电流;
3.设置参数;(被检电能表信息)
4.校验;(综合计量误差,查线,变比等)
5.存盘;(数据查询,上传,管理等)
6.工作结束后,先去掉电表端的电流钳表,再去掉电表端的电压线,
然后再拔掉主机端的电压线和钳表插头;
7.关主机。
常见的故障和处理方法:
1、在进行测量参数的时候,如果出现显示值与实际值差距大,需要检查接入的电压、电流的量程与实际是否相符。
2、角度测量的时候,出现差值大,而且查线结果与实际不符,应该检查设置的校验方式是否是:有功
3、屏幕暗淡,可以在操作说明状态下按上下左右按键可以改显示字符清晰度。
4、出现显示读数不稳时,检查下是否有电压输入,没有电压的情况下电流显示读数不问,有电压的话显示负荷不稳。
一、面板面板布置如图1所示:1.外部电源接口 2 温度敏感器 3 湿度敏感器 4 GPS天线接口(扩展功能)5 脉冲输入6 被校输入7 扩展接口8 钳表A相输入9 钳表B相输入 10 钳表C相输入 11 电压零线 12 C相电压接口13 B相电压接口 14 A相电压接口 15 C相电流输出 16 C相电流输入17 B相电流输出 18 B相电流输入 19 A相电流输出 20 A相电流输入21 串口通信接口 22 工作电源选择 23 USB接口说明:扩展接口可用于二次压降测试,电池充电。
二、被校电能表的的连接1)校验单相电能表Ua端子接火线,Uo端子接零线;Ia+和Ia-端子串入火线,注意极性。
2)校验三相三线电能表(△接法)Ua、Uc端子接A相和C相电压,Uo端子接B相电压;Ia+、Ic+端子接A相和C相电流极性端,Ia-、Ic-端子接A相和C相电流非极性端。
3)校验三相四线电能表(Y接法)Ua、Ub、Uc端子分别接A、B、C三相电压,Uo接零线;Ia+、Ib+、Ic+端子分别接A相、B相和C相电流极性端,Ia-、Ib-、Ic-端子分别接A相、B相和C相电流非极性端。
三、综合测试功能的实现方法①电参数符号含义P:有功功率Q:无功功率S:视在功率I:电流U:电压ø:电压和电流间相位COS:有功功率因数SIN:无功功率因数F:频率T:温度W:湿度②校表参数设置在此状态下,通过方向键(上下左右键)或选择键移动到需要修改的栏目上进行参数输入,校表参数定义如下:a) 接线:指电能表接线方式,按确定键或空格键可选择:四线有功、三线有功、四线无功和三线无功。
四线有功:指三相四线有功电能表;三线有功:指三相三线有功电能表;四线无功:指三相四线无功电能表;三线无功:指三相三线无功电能表。
b) 电流输入:指电流接入仪器方式,按确定键或空格键可选择:内接和钳表,内接是指电流通过校验仪内置互感器输入;钳表是指电流通过钳形互感器输入。
一般电能表安装在室内,高度建议一米八左右,接线的线头建议铜线或者铜接头引入,雷雨天气较多的地区提前采取避雷措施。
一.使用注意事项
1.打开主机;
2.接电表:先接好主机电压线,钳表插头先插到主机上,电压线的另
一端夹子取电表上的在线电压,钳表取电表上的电流;
3.设置参数;(被检电能表信息)
4.校验;(综合计量误差,查线,变比等)
5.存盘;(数据查询,上传,管理等)
6.工作结束后,先去掉电表端的电流钳表,再去掉电表端的电压线,
然后再拔掉主机端的电压线和钳表插头;
7.关主机。
JZ-5103D1三相多功能电能表采用阻燃材料,耐低温,绝缘性能好,可以保障我们的用电安全。
适用商场公寓学校工厂宿舍等,电量显示,电费透明。
浅谈电能表的现场校验
摘要电能表的校验通常分为常规校验、验收校验、型式校验。
常规校验又分为首次检定和周期检定。
运行中的低压单、三相电能表在进行周期检定时,若全部拆回试验室检定,困难较多,一是工作量大任务繁重,二是影响用户用电,三是影响供电企业供、售电量指标的完成。
因此,对运行中的低压电能表除了采取定期抽检的方法外,还可采用现场校验的方法。
本文对电能表的现场校验发进行了论述。
关键词电能表;校验法;现场校验
中图分类号tm933.4 文献标识码a 文章编号
1674-6708(2010)23-0047-02
1 现场校验单相电能表时应注意的问题
目前,现场校验单相电能表多采用现场校验仪测试电能表误差和运行状况,使用现场校验仪可在被检电能表带电、带负荷的状态下现场测试电能表的准确度,方便快捷、安全可靠、工作效率高,不影响用户正常用电,现以河南思达厂生产的st-9040g为例,说明单相电能表现场校验时的方法和注意细节。
1)现场检定电能表时,最好使用自带的400w左右的负荷电流装置作为试验负荷,不再利用用户的电气设备作为负荷,此时必须将被测电能表负荷侧零火出线拆除,否则,所测电表误差不准确。
2)仪表的工作电源应分别接在被检电能表的进线上,即1、3端子上,电流钳夹在电能表负荷侧出线(2或4端子)的导线上。
若电流钳
和仪器的工作电源同时接在被检电表1、3端子侧,即电流钳夹在电流进线(端子1)上,此时通过校验仪的电流i为被检表的电流i1与校验仪本身的工作电流i2之和,则所测误差为虚假值,造成现场校验误差通常在-10%以上,但拆回试验室检定时电能表误差又合格的原因。
现场校验时仪器的接线见下图《单相电能表现场检验接线示意图》。
3)现场校验时仪表所取的工作电源,必须与被检电能表所接电源是同一相电压,即仪器所用电源为a相,则被检电表的电源也应接a 相,不可接为b或c相,否则所测电能表的误差为80%~90%,为假误差。
4)电流钳的钳口两闭合面必须保持清洁,经常擦拭,否则影响测量准确度。
5)测出的误差不超过电能表检定规程规定的误差限即为合格,由于现场校验是一种不严格的校验,校验的外部条件达不到实验室规定的检定条件,最终判定电能表是否超差,以实验室检定为主。
2 高压电能表的现场校验内容、注意事项
依据《电能计量装置技术管理规程》(dl/t448-2000)的规定,新投运或改造后的ⅰ、ⅱ、ⅲ、ⅳ类高压电能计量装置应在一个月内进行首次现场检验。
i类电能表至少每3个月现场检验一次;ii类电能表至少每6个月现场检验一次;iii类电能表至少每年现场检验一次。
1)高压电能表现场校验的范围:
(1)定期校验的发电厂、变电所、大用户的高压电能表;
(2)新建、改装、变更二次接线的高压电能表,在完工两周内应进行现场测试;
(3)高压电能表的故障处理及退补电量的;
(4)发电厂、变电所高压电能表的换装和加装工作。
2)高压电能表的现场校验工作内容和方法要求
(1)测量电压、电流的数值与相序;
(2)检查电能表和互感器的二次回路接线是否正确,检查二次负
荷有无变化、检查计量差错和不合理计量方式;
(3)在实际运行负荷下测定电能表的误差;
(4)检查电能计量装置的运行情况,及时发现用电异常;
(5)高压电能表在现场时不允许打开电能表罩壳和现场调整电能误差,当现场校验电能表误差超过电能表准确度等级值时,应通知
有关部门在3个工作日内更换电能表。
现场校验电能表只是监督考核电能表的实际运行工况,若打开电能表罩壳和现场调整电能误差,则存在以下问题:
①无法保证电能表的真实误差。
现场校验只能测定某一负荷点的误差,其他运行工况下的误差情况是否超差无法判定;
②难以监督现场校验工作质量,造成电能计量装置封印权限管理混乱,责任不清;
③现场打开电能表罩壳和现场调整电能误差后,电能表制造厂的封印也会被破坏,会丧失对制造厂家产品质量的追究权。
(6)同一发电机、变压器、输电、馈电线路的成套电能表的误差快慢方向要一致;
(7)现场校验时校验装置须事先预热30分钟后进行校验,否则影响电能表的校验准确度;
(8)现场校验必须遵守部颁《电业安全工作规程》规定,至少由两人担任工作。
3)现场校人员必须掌握的事项
(1)现场校验用标准电能表的特性及准确度与设备的准确度;
(2)被试电能表的特性及准确度;
(3)被检电能表所用电流电压互感器的等级、变比;
(4)用户的负荷性质和变化、有无装设电容器,若有应切除后方能进行现场校验;
(5)现场校验要掌握电流相位、功率潮流分布;
(6)现场校验时若校验装置出现异常,可将装置复位后,重新设定参数,进行校验;
(7)现场校验工作通常在一次设备带电状态下进行,危险性较大。
4)现场校验时应发现和消除的计量误差项目
高压电能表现场校验时应发现和消除下列计量差错:
①接线差错;②校验差错;③倍率差错;④标准表不准,造成表计误调的差错;⑤卡字、卡盘、有铁屑等故障;⑥断压、断流或接触不良和开路等故障。
5)现场校验对使用标准电能表的要求:
(1)现场检验用标准器准确度等级至少应比被检品高两个准确度等级,经校验合格有检定证书,且不得超过校验周期;
(2)标准电能表必须按固定相序接线使用,并且应有明显的相序标志;
(3)标准电能表的携带必须有防震、防尘措施,以保证其准确度;
(4)电流回路所用导线应为截面不小于2.5mm2的多股软铜线;
(5)用于标准电能表的电压回路的连接导线以及操作开关接触电阻的整体导线电阻总和不应大于0.2ω;必要时也可以和标准电能表连接在一起校验。
6)现场校验的条件
确保现场校验的准确性现场校验应满足以下几个条件:
(1)电压对额定值的偏差不超过±10%;
(2)频率对额定值的偏差不超过±5%;
(3)环境温度在0~35℃之间;
(4)通入标准电能表电流不低于其基本电流20%;
(5)现场校验负载功率应为实际的经常负荷。
当负荷电流低于被检电能表标定电流的10%时,不宜进行误差测定。
高压电能表在现场校验时要特别值得注意的是:
①分清功率的潮流方向;
②核对相序,测量电能表端钮的电压相序一定为正相序,且电能表电压端钮所接电压的顺序为abc,不可接为正相序中的bca 或cab;
③测量电能表电压端钮三相电压,以此判定电压回路有无断线、电压互感器无极性接反现象。
并测量各相对地电压ua0、ub0、uc0以此判定接地相;
④测量电流回路二次各相电流值,所测三相电流基本相同,说明电流回路无短路、断路情况。
总之,现场校验工作是一项重要而繁杂的工作,直接关系到供、用电双方的利益,计量工作者要认真对待,严格按相关规程规定定期进行现场校验,确保计量装置计量准确、可靠。