设施规划课程设计--液压转向器厂总平面布置设计
- 格式:docx
- 大小:470.79 KB
- 文档页数:52
沈阳航空航天大学课程设计任务书课程名称设施规划与物流系统设计院/系机电工程学院专业工业工程班级学号姓名课程设计题目液压转向器厂总平面布置设计课程设计时间 2012 年 12 月 10 日至2012 年 12月 28 日课程设计的内容及要求:一、内容:根据给定的液压转向器厂总平面布置基本要素,完成以下内容:1.液压转向器厂物流分析。
2.液压转向器厂作业单位相互关系分析。
3.作业单位位置相关图。
4.作业单位面积相关图。
5.液压转向器厂总平面布置图三套。
6.评价选优,选出最佳总平面布置图。
二、基本要求:1、图样工作量图样是工厂布置设计的阶段成果与最终成果,包括:(1) A4幅面作业单位位置相关图1张。
(2) A4幅面作业单位面积相关图1张。
(3)在35*50规格的坐标纸上形成布置方案图三套。
2、编写课程设计说明书课程设计说明书是整个设计工作的总结,应包括工厂布置设计各个阶段的工作内容。
工厂布置设计说明书应包括各阶段工作数据表格、方案简图及文字说明,工作量不少于5000字。
三、主要参考文献除教材外,可以参考(但不局限于)以下文献:1.林立千.《设施规划与物流中心设计》[M],北京:清华大学出版社,2003.2. 程国全等.《物流设施规划与设计》[M],北京:中国物资出版社,2003.3. 朱耀祥、朱立强.《设施规划与物流》[M],北京:机械工业出版社,2004.指导教师年月日负责教师年月日学生签字年月日II设施规划与物流分析课程设计摘要设施布局,既是一门科学也是一门艺术。
它建立在量化数据基础上,结合实际需求来提出最佳方案。
由于社会需要的多样性,生产不同产品的工厂的模式必然存在着差异。
系统布置设计(SLP)方法提过了一种以作业单位物流与非物流的相互关系分析为主线的规划设计方法,采用一套表达力极强的图例符号和简明表格。
通过一套条理清晰的设计程序进行工厂布置设计。
这种方法综合考虑物流与非物流因素,在实际应用中有较好的反响。
中国矿业大学矿业工程学院工业工程系设施规划与物流分析课程设计说明书*名:**学号:********指导教师:***开始时间:2011年12月26日结束时间:2012年01月01日成绩:设施规划与物流分析课程设计任务书姓名:张朋学号: 01090364 年(班)级: 2009级地点:课程设计题目:液压转向器厂总平面布置设计课程设计内容与要求:1、液压转向器厂物流分析。
2、液压转向器厂作业单位相互关系分析。
3、作业单位位置相关图,相当于A3图样的坐标纸1张。
4、作业单位面积相关图,相当于A3图样的坐标纸1张。
5、液压转向器厂总平面布置图三套路,A3图样三张。
6、评价择优,选出最佳总平面布置图。
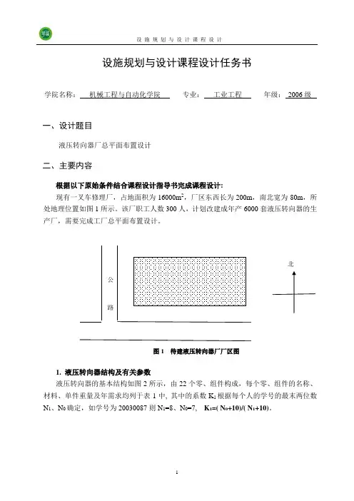
设施规划与物流分析课程设计评语目录一.概述 (1)二.基本要素分析 (1)1、液压转向器结构及有关参数 (1)2、作业单位划分 (4)3、液压转向器生产工艺过程 (5)三.物流分析 (10)1、产品工艺过程分析 (11)2.物流强度分析 (16)四.作业单位非物流相关分析 (18)1.作业单位相互关系理由 (18)2.作业单位相互关系等级 (18)3. 作业单位相互关系 (19)五.作业单位综合相关分析 (20)1. 综合物流相关等级 (20)2.作业单位综合接近程度 (22)六.作业单位位置相关分析 (23)1. 绘制作业单位位置相关图 (23)七.作业单位面积相关分析 (25)1.作业单位面积相关图 (25)八.工厂总平面布置可行方案 (26)九.评价方案并择优 (29)十.总结 (29)一.概述当地现有一叉车修理厂,占地面积为16000m2,厂区南北长为200m,东西宽为80m,所处地理位置如图1所示。
该厂职工人数300人,计划改建成年产量6000套液压转向器的生产厂,需要完成工厂总平面布置设计。
图-1 待建液压转向器厂厂区图二.基本要素分析1、液压转向器结构及有关参数液压转向器的基本结构如图2所示,有22个零、组件构成,每个零、组件的名称、材料、单间重量及年需求量均列于表1中。
液压转向器⽣产⼚的设施布置设计设施规划与物流分析课程实验——液压转向器⽣产⼚的设施布置设计1⽬录⼀、绪论 (3)1.1系统布置设计(SLP) (3)1.2原始参数与条件 (3)1.3设计过程中的约定 (6)⼆、⼯艺分析 (7)2.1产品P-产量Q分析 (7)2.2 液压转向器各⾃制零件⽣产⼯艺过程分析 (7)三、物流分析 (17)3.1 物流量汇总 (17)3.2 物流强度分析 (18)3.3作业单位⾮物流相互关系分析 (21)四、⼯⼚总平⾯布置 (26)4.1 ⼯⼚总平⾯布置规划可⾏⽅案 (26)4.2 评价 (29)参考⽂献 (30)⼀、绪论1.1系统布置设计(SLP )⼯⼚布置的程序和⽅法,以1961年Richard ·缪瑟提出的系统布置设计SLP (System Layout Planning )最为有名。
SLP 是把物流全过程所涉及的装备、器具、设施、路线及其布置作为⼀个系统,运⽤现代科学和⽅法进⾏设计、管理,达到物流合理化的综合优化技术。
其主要是通过对原始资料的P 、Q 、R 、S 、T 及作业单元分析得出优化结论。
具体过程如图1.1。
图1.1 SLP 模式图1.2原始参数与条件某企业公司现有⼚区⾯积30000m 2,⼚区南北向长度为300m ,东西向宽度为100m 。
现计划建成年产60000套液压转向器的⽣产⼚,需要进⾏⼯⼚总平⾯布置设计。
1.2.1液压转向器结构选出最佳布置⽅案液压转向器的基本结构如下图所⽰(图1.2)。
图1.2液压转向器装配图1.2.2液压转向器零件信息液压转向器由22个零件以及组件构成,每个零件、组件的名称、材料、单件重量及年需求量参见下表所⽰。
表1.1液压转向器零件信息1.2.3作业单位资料对与设计过程中的作业单位的规定。
表1.2 作业单位资料1.3设计过程中的约定(1)标准件、外购件与半成品暂存(2)组装(3)性能测试组装后的所有液压转向器均需进⾏性能测试,试验合格才能⼊成品库,不合格产品返回组装车间返修后再检验,⼀次组装合格率估计值为80%,⼆次组装合格率为100%。
提供全套毕业论文,各专业都有目录一、概述 (1)二、基本要素分析 (1)1、液压转向器结构及参数 (1)2、作业单位划分 (4)3、液压转向器生产工艺过程 (4)三、物流分析 (9)3.1 产品工艺过程分析 (9)3.11 分析给定的工艺过程表 (9)3.12 各个自制零部件工艺过程图 (10)3.13 产品总的工艺过程图 (13)3.2 物流强度分析 (14)3.21 作业单位之间的物流强度 (14)3.22 作业单位从至表 (14)3.23 物流强度分析表 (15)3.24 作业单位物流相关图 (16)四.作业单位非物流相关分析 (17)4.1 作业单位相互关系理由 (17)4.2 作业单位相互关系等级 (17)4.3 建立非物流作业单位相互关系图 (18)五、作业单位综合相关分析 (18)5.1 综合物流相关等级 (18)六、作业单位位置相关分析 (22)6.1作业单位位置相关图—线型图法 (22)6.2 综合接近程度排序 (22)6.3绘制作业单位位置相关图 (23)七、作业单位面积相关分析 (25)7.1作业单位面积相关图 (25)八、工厂总平面布置可行方案 (26)九、评价方案并择优 (28)十、总结 (29)十一、参考文献 (29)一、概述题目概述:现有一处旧厂房,占地面积16000m2,厂区南北长200m,东西宽80m。
所处地理位置如图1所示,现欲其改建成液压转向器的生产厂,需要完成工厂的总平面布置。
北公路公路图1 待建液压转向器厂厂区图二、基本要素分析1、液压转向器结构及参数液压转向器的基本结构如图2所示,由22个零、组件构成,不同型号(大、中、小三种型号)的液压转向器的零、组件的名称、材料、单件重量列于表1中。
生产大型号液压转向器,计划产量为8000。
图2 液压转向器结构表1 零件明细表工厂名称:液压转向器厂产品名称液压转向器序号零件名称自制外购材料单位成品消耗量单件重量(kg)备注大型号中型号小型号1 连接块组件√20钢 1 0.09 0.07 0.052 前盖√HT250 1 0.9 0.6 0.33 X型密封圈√橡胶 1 0.04 0.03 0.024 挡环√20钢 1 0.03 0.02 0.0255 滑环√20钢 1 0.03 0.02 0.026 弹簧片√65Mn7 0.01 0.01 0.017 拔销√65Mn 1 0.02 0.02 0.028 联动轴√45钢 1 0.27 0.2 0.159 阀体√HT250 17 5 310 阀芯√45钢10.6 0.4 0.211 阀套√20钢10.56 0.4 0.3612 隔盘√20钢10.32 0.25 0.1513 限位柱√45钢10.01 0.01 0.0114 定子√40Cr 1 1.20 1 0.815 转子√45钢10.60 0.50 0.416 后盖√20钢10.80 0.60 0.5017 螺栓√45钢 6 0.02 0.15 0.1518 O型密封圈√橡胶 3 0.01 0.01 0.0119 限位螺栓√45钢 1 0.02 0.15 0.1520 油堵√塑料 5 0.01 0.01 0.0121 标牌√铝 1 0.01 0.01 0.0122 护盖√塑料 1.1 0.01 0.01 0.012、作业单位划分根据液压转向器机构及工艺特点,液压转向器厂设立11个作业单位,(如表2所示),分别承担原材料存储、备料、热处理、加工与装配、产品性能试验、生产管理与服务等各项生产任务。
设施规划与设计课程设计任务书学院名称: 机械工程与自动化学院 专业: 工业工程 年级: 2006级一、设计题目液压转向器厂总平面布置设计二、主要内容根据以下原始条件结合课程设计指导书完成课程设计:现有一叉车修理厂,占地面积为16000m 2,厂区东西长为200m ,南北宽为80m ,所处地理位置如图1所示。
该厂职工人数300人,计划改建成年产6000套液压转向器的生产厂,需要完成工厂总平面布置设计。
图1 待建液压转向器厂厂区图1. 液压转向器结构及有关参数液压转向器的基本结构如图2所示,由22个零、组件构成,每个零、组件的名称、材料、单件重量及年需求均列于表1中, 其中的系数K 1根据每个人的学号的最末两位数N 1、N 0确定,如学号为20030087则N 1=8、N 0=7, K 1=( N 0+10)/( N 1+10)。
图 2 液压转向器结构表1 零件明细表2. 作业单位划分根据液压转向器结构及工艺特点,液压转向器厂设立11个作业单位,如表2所示,分别承担材料存储、备料、热处理,加工和装配、产品性能试验、生产管理与服务等各项生产任务。
表中的系数K2根据每个人的学号的最末两位数N1、N0确定,如学号为20030087则N1=8、N0=7,,具体公式为K2=( N1*10+ N0+25)/50一般柱距为6m,而跨距为6m,12m,18m,24m,30m,36m,42m,……建筑物的长度尺寸:6(m-1)+柱长,m—为柱数;建筑物宽度尺寸:wn+柱宽,W-跨距,n—跨数。
3. 液压转向器生产工艺过程由于液压转向器结构比较简单,因此其生产工艺过程也很简单,总的工艺过程可分为零、组件制作与外购,半成品暂存,组装,性能试验与成品存储等阶段。
(1) 零、组件制作与外购:液压转向器上的标准件、异形件如塑料护盖、率制标牌等都是采用外购、外协的方法获得,入厂后由成品库保存。
其它零件由本厂自制,工艺过程分别见表3至表15。
设施规划与物流分析设计一。
课程说明1。
1课程设计的目的设施规划与物流分析课程设计是设施规划与物流分析课程的重要实践性教学环节,是综合运用所学专业知识,完成工厂布置设计工作而进行的一次基本训练。
其目的是:1。
能正确运用工业工程基本原理及有关专业知识,学会由产品入手对工厂生产系统,进行调研分析的方法。
2. 通过对某工厂布置设计的实际操作,熟悉系统布置设计方法中的各种图例符号和表格,掌握系统布置设计方法的规范设计程序。
3. 通过课程设计,培养学生学会如何编写有关技术文件。
4. 通过课程设计,初步树立正确的设计思想,培养学生运用所学专业知识分析和解决实际技术问题的能力。
1.2设计题目液压转向器厂总平面布置设计.1.3设计内容与要求《液压转向器厂总平面布置设计》内容与要求如下:1.液压转向器厂物流分析.2.液压转向器厂作业单位相互关系分析。
3.作业单位位置相关图,相当于A4图样的坐标纸一张。
4.作业单位面积相关图,相当于A4图样的坐标纸一张。
5.液压转向器厂总平面布置图三套,A4图样三张。
6.机加工布置图,相当于A4图样的坐标纸一张。
7.评价择优,选出最佳总平面布置图.1.4原始给定条件当地现有一叉车修理厂,占地面积为16000m×m。
厂区南北长200m.东西宽为80m,所处地理位置如图,该厂职工人数300人,计划改建成年产6000套液压转向器的生产厂,需要完成工厂总平面布置设计。
公路公路图1—1 待建液压转向器厂厂区图1.液压转向器结构及有关参数液压转向器的基本结构有22个零、组件构成,每个零、组件的名称、材料、单件重量及年需求量如表1-21-2零件明细表2.作业单位划分根据液压转向器结构及工艺特点,液压转向器厂设立如1-3所示11个作业单位,分别承担原材料存储、备料、热处理、加工与装配、产品性能检验、生产管理与服务等各项生产任务。
作业单位建筑物汇总表表1—3 作业单位建筑物汇总表3.液压转向器生产工艺过程由于液压转向器结构比较简单,因此其生产工艺过程也很简单,总的工艺过程可分为零、组件制作与外购,半成品暂存,组装,性能试验与成品存储等阶段。
设施规划与物流分析课程设计说明书姓名:学号:指导教师:开始时间:结束时间:成绩:设施规划与物流分析课程设计任务书姓名:学号:年(班)级:地点:课程设计题目:液压转向器厂总平面布置设计课程设计内容与要求:1、液压转向器厂物流分析。
2、液压转向器厂作业单位相互关系分析。
3、作业单位位置相关图,相当于A3图样的坐标纸1张。
4、作业单位面积相关图,相当于A3图样的坐标纸1张。
5、液压转向器厂总平面布置图三套路,A3图样三张。
6、评价择优,选出最佳总平面布置图。
目录一.概述 (1)二.基本要素分析 (1)1、液压转向器结构及有关参数 (1)2、作业单位划分 (4)3、液压转向器生产工艺过程 (5)三.物流分析 (10)1、产品工艺过程分析 (11)2.物流强度分析 (16)四.作业单位非物流相关分析 (18)1.作业单位相互关系理由 (18)2.作业单位相互关系等级 (18)3. 作业单位相互关系 (19)五.作业单位综合相关分析 (20)1. 综合物流相关等级 (20)2.作业单位综合接近程度 (22)六.作业单位位置相关分析 (23)1. 绘制作业单位位置相关图 (23)七.作业单位面积相关分析 (25)1.作业单位面积相关图 (25)八.工厂总平面布置可行方案 (26)九.评价方案并择优 (29)十.总结 (29)一.概述当地现有一叉车修理厂,占地面积为16000m2,厂区南北长为200m,东西宽为80m,所处地理位置如图1所示。
该厂职工人数300人,计划改建成年产量6000套液压转向器的生产厂,需要完成工厂总平面布置设计。
图-1 待建液压转向器厂厂区图二.基本要素分析1、液压转向器结构及有关参数液压转向器的基本结构如图2所示,有22个零、组件构成,每个零、组件的名称、材料、单间重量及年需求量均列于表1中。
图-2 液压转向器结构表-1 零件明细表工厂名称:液压转向器厂2、作业单位划分根据液压转向器结构及工艺特点,液压转向器厂设立如表2所示11个作业单位,分别承担原材料存储、备料、热处理、加工与装配、产品性能试验、生产管理与服务等各项生产任务。
设施规划与物流课程设计说明书学指导老师:开始时间:结束时间:成绩:设施规划与物流课程设计任务书地点:某液压转向器厂课程设计题目:液压转向器厂总平面布置设计。
课程设计内容与要求:《液压转向器厂总平面布置设计》内容与要求如下:1、液压转向器厂物流分析。
2、液压转向器厂作业单位相互关系分析。
3、作业单位位置相关图,相当于A3图样的坐标纸1张。
4、作业单位面积相关图,相当于A3图样的坐标纸1张。
5、液压转向器厂总平面布置图三套路,A3图样三张。
6、评价择优,选出最佳总平面布置图。
7、编写设计说明书,工作量不少于12000字。
设施规划与物流分析课程设计评语目录课程设计任务书 (2)设施规划与物流分析课程设计评语 (3)摘要 (5)第一章课程设计任务书 (5)1.1课程设计题目 (5)1.2课程设计目的 (5)1.3课程设计内容与要求 (5)第二章原始条件及液压转向器结构的相关参数 (6)2.1 原始给定条件 (6)2.2 液压转向器结构及参数 (6)2.3 作业单位划分 (8)2.4 液压转向器生产工艺过程 (9)2.5 自然气象条件 (14)第三章课程设计步骤 (14)3.1 基本原理 (14)3.1.1 设施规划(布局设计)设计方法 (14)3.1.2 SLP法的阶段结构 (15)3.1.3 SLP的地位与作用 (15)3.2 基本要素分析 (17)3.3物流分析 (17)3.3.1产品工艺过程分析 (17)3.3.2物流分析 (19)3.4 作业单位相互关系分析 (22)3.5 非物流的各作业单位相互关系表 (24)3.6作业单位间物流与非物流相互关系合并 (24)3.7绘制作业单位位置相关图 (28)3.8绘制作业单位面积相关图 (31)3.9绘制工厂总平面布置可行方案 (32)3.10评价择优 (32)总结 (33)CAD附件………………………………………………………………………【摘要】随着现代系统优化技术的发展和计算机辅助设计技术的应用,工厂布置设计已广泛地采用计算机辅助设计进行设施规划与布置。
转向器厂液压总平面布置设计IMB standardization office【IMB 5AB- IMBK 08- IMB 2C】设施规划与物流分析设计一. 课程说明课程设计的目的设施规划与物流分析课程设计是设施规划与物流分析课程的重要实践性教学环节,是综合运用所学专业知识,完成工厂布置设计工作而进行的一次基本训练。
其目的是:1. 能正确运用工业工程基本原理及有关专业知识,学会由产品入手对工厂生产系统,进行调研分析的方法。
2. 通过对某工厂布置设计的实际操作,熟悉系统布置设计方法中的各种图例符号和表格,掌握系统布置设计方法的规范设计程序。
3. 通过课程设计,培养学生学会如何编写有关技术文件。
4. 通过课程设计,初步树立正确的设计思想,培养学生运用所学专业知识分析和解决实际技术问题的能力。
设计题目液压转向器厂总平面布置设计。
设计内容与要求《液压转向器厂总平面布置设计》内容与要求如下:1.液压转向器厂物流分析。
2.液压转向器厂作业单位相互关系分析。
3.作业单位位置相关图,相当于A4图样的坐标纸一张。
4.作业单位面积相关图,相当于A4图样的坐标纸一张。
5.液压转向器厂总平面布置图三套,A4图样三张。
6.机加工布置图,相当于A4图样的坐标纸一张。
7.评价择优,选出最佳总平面布置图。
原始给定条件当地现有一叉车修理厂,占地面积为16000m×m。
厂区南北长200m。
东西宽为80m,所处地理位置如图,该厂职工人数300人,计划改建成年产6000套液压转向器的生产厂,需要完成工厂总平面布置设计。
图1-1 待建液压转向器厂厂区图1.液压转向器结构及有关参数液压转向器的基本结构有22个零、组件构成,每个零、组件的名称、材料、单件重量及年需2.作业单位划分根据液压转向器结构及工艺特点,液压转向器厂设立如1-3所示11个作业单位,分别承担原材料存储、备料、热处理、加工与装配、产品性能检验、生产管理与服务等各项生产任务。
设计题目:液压转向器厂总平面布置设计学校:重庆大学学院:机械工程学院专业班级:学生:学号:指导老师:时间: 2013.1.8—2013.1.18目录课程设计任务书------------------------------------------------------3一、绪论----------------------------------------------------------------4二、输入基本要素分析------------------------------------------------52.1设计基本资料汇总------------------------------------------------52.1.1液压转向器的结构以及有关参数----------------------------------52.1.2作业单位划分--------------------------------------------------62.1.3液压转向器生产工艺过程----------------------------------------7三、产品——产量分析-----------------------------------------------11四、产品工艺过程分析-----------------------------------------------114.1计算物流量------------------------------------------------------114.2绘制各零件的工艺过程图----------------------------------------124.3绘制产品总工艺过程图------------------------------------------164.4绘制产品初始工艺过程表----------------------------------------174.5绘制产品较佳工艺过程表----------------------------------------17五、物流分析---------------------------------------------------------185.1绘制从至表-----------------------------------------------------185.2绘制物流强度汇总表--------------------------------------------195.3划分物流强度等级----------------------------------------------195.4绘制作业单位作业相关图---------------------------------------20六、作业单位非物流相关分析--------------------------------------21七、作业单位综合相互关系分析-----------------------------------22八、工厂总平面布置-------------------------------------------------268.1综合接近程度---------------------------------------------------268.2作业单位位置相关图--------------------------------------------278.3作业单位面积相关图--------------------------------------------288.4作业单位面积相关布局图-------------------------------------28九、方案的评价与选择----------------------------------------------31课程设计任务书1 课程设计题目液压转向器厂总平面布置设计2课程设计目的《设施规划与物流分析》是工业工程专业的主干专业课程,是工业工程学科的重要研究领域和分支之一。
《物流工程》课程设计说明书时间:2013/2014-1 第16周班级:工101姓名:沈先会学号:109094020指导教师:王凤英、暴伟2013年12月目录第一章课程设计的目的与要求 (3)1.1课程设计题目1.2课程设计目的1.3课程设计的内容与要求1.4原始给定条件第二章基本要素分析 (3)2.1液压转向器结构及有关参数2.2作业单位划分第三章生产工艺过程分析 (5)3.1分析给定的工艺过程表3.2分别绘制各个自制零、组件工艺过程图3.3绘制产品总的工艺过程图第四章物流分析 (11)4.1绘制物流强度汇总表4.2物流强度等级分析4.3作业单位物流相关原始分析第五章作业单位相互关系分析 (14)第六章绘制作业单位位置相关图 (16)6.1综合接近程度计算6.2绘制作业单位位置相关图第七章绘制作业单位面积相关图 (19)第八章绘制工厂总平面布置可行方案图 (20)第九章课程设计小结 (23)参考文献 (24)1.1 课程设计题目液压转向器厂总平面布置设计1.2 课程设计目的《设施规划与物流分析》是工业工程专业的主干专业课程,是工业工程学科的重要研究领域和分支之一。
设施规划与设计着重研究设施总平面布置、车间布置及物料搬运等内容,目标是通过对设施的各组成部分的相互关系分析,合理布置,得到高效运行的生产系统,获得最佳的经济效益和社会效益。
《设施规划与物流分析》课程设计是本课程的重要时间教学环节,要求学生综合运用所学专业知识,完成规定的工业实施布置设计的一次基本训练。
其目的是:1、能正确运用工业工程基本原理及有关知识,学会对工业设施进行系统分析;2、通过对工程设施布置的实际设计,掌握系统布置设计方法的规范程序;3、通过课程设计,培养学生学会如何编写有关技术文件;4、通过课程设计,初步树立正确的设计思想,培养学生运用所学专业知识分析和解决实际问题的能力。
1.3 课程设计内容与要求《液压转向器厂总平面布置设计》内容与要求如下:1、液压转向器厂物流分析。
课程设计报告(2011--2012年度第二学期)名称:物流中心规划与设计课程设计题目:液压转向器厂总平面布置设计院系:物流工程系班级:09物流工程(1)班学号:09141017、09141018、09141019学生姓名:张赫君、石海波、王莹指导教师:罗红恩设计周数:2周成绩:完成日期:2012年5月1日一.目录二.课程设计的目的与要求 (3)三.概述 (3)四.基本要素分析 (3)1.产品P-产量Q分析 (3)2.液压转向器结构及有关参数 (4)3.作业单位划分 (5)五.生产工艺过程分析 (5)1.分析给定的工艺过程表 (5)2.分别绘制各个自制零、组件工艺过程图 (7)3.绘制产品总的工艺过程图 (11)六.物流分析 (11)1.绘制物流强度汇总表 (11)2.物流强度等级分析 (12)3.作业单位物流相关原始分析 (13)七.作业单位相互关系分析 (14)八.绘制作业单位位置相关图 (16)7.1综合接近程度计算 (16)7.2绘制作业单位位置相关图 (17)九.绘制作业单位面积相关图 (19)十.绘制工厂总平面布置可行方案图 (20)十一.方案的评价与择优 (21)1.加权因素法 (21)2.费用对比法 (21)课程总结 (22)参考文献 (22)一、课程设计的目的与要求设施规划与物流分析课程设计是物流中心规划与设计课程的重要实践性教学环节,是综合运用所学专业知识,完成工厂布置设计工作而进行的一次基本训练。
其目的是:1.能正确运用工业工程基本原理及有关专业知识,学会由产品入手对工厂生产系统进行调研分析的方法。
2.通过对某工厂布置设计的实际操作,熟悉系统布置设计方法中的各种图例符号和表格,掌握系统布置设计方法的规范设计程序。
3.通过课程设计,培养学生学会如何编写有关技术文件。
4.通过课程设计,初步树立正确的设计思想,培养学生运用所学专业知识分析和解决实际技术问题的能力。
二、概述当地现有一叉车修理厂,位于一条交叉公路边上。
液压转向器厂总平面布置课程设计新整理精编版MQS system office room 【MQS16H-TTMS2A-MQSS8Q8-MQSH16898】中国矿业大学矿业工程学院工业工程系设施规划与物流分析课程设计说明书姓名:张朋学号: 01090364指导教师:王晓琳开始时间: 2011年12月26日结束时间: 2012年01月01日成绩:设施规划与物流分析课程设计任务书姓名:张朋学号: 01090364 年(班)级: 2009级地点:课程设计题目:液压转向器厂总平面布置设计课程设计内容与要求:1、液压转向器厂物流分析。
2、液压转向器厂作业单位相互关系分析。
3、作业单位位置相关图,相当于A3图样的坐标纸1张。
4、作业单位面积相关图,相当于A3图样的坐标纸1张。
5、液压转向器厂总平面布置图三套路,A3图样三张。
6、评价择优,选出最佳总平面布置图。
设施规划与物流分析课程设计评语一.概述当地现有一叉车修理厂,占地面积为16000m2,厂区南北长为200m,东西宽为80m,所处地理位置如图1所示。
该厂职工人数300人,计划改建成年产量6000套液压转向器的生产厂,需要完成工厂总平面布置设计。
图-1 待建液压转向器厂厂区图二.基本要素分析1、液压转向器结构及有关参数液压转向器的基本结构如图2所示,有22个零、组件构成,每个零、组件的名称、材料、单间重量及年需求量均列于表1中。
图-2 液压转向器结构表-1 零件明细表工厂名称:液压转向器厂根据液压转向器结构及工艺特点,液压转向器厂设立如表2所示11个作业单位,分别承担原材料存储、备料、热处理、加工与装配、产品性能试验、生产管理与服务等各项生产任务。
表-2 作业单位建筑物汇总表由于液压转向器结构比较简单,因此其生产工艺过程也很简单,总的工艺过程可分为零、组件制作与外购,半成品暂存,组装,性能试验与成品存储等阶段。
零、组件制作与外购液压转向器上的标准件、异形件如塑料护盖、铝制标牌等都是采用外购、外协的方法获得,入厂后由半成品库保存。
液压转向器厂总平面布置课程设计___工业工程系设施规划与物流分析课程设计说明书姓名:___学号:xxxxxxx指导教师:***开始时间:2011年12月26日结束时间:2012年01月01日成绩:课程设计任务书课程设计题目:液压转向器厂总平面布置设计课程设计内容与要求:1.分析液压转向器厂物流流程。
2.分析液压转向器厂作业单位相互关系。
3.绘制作业单位位置相关图,相当于A3图样的坐标纸1张。
4.绘制作业单位面积相关图,相当于A3图样的坐标纸1张。
5.绘制液压转向器厂总平面布置图三套路,A3图样三张。
6.评价择优,选出最佳总平面布置图。
评语:本课程设计任务要求学生分析液压转向器厂物流流程和作业单位相互关系,并绘制相关图纸。
任务要求具体明确,能够有效锻炼学生的实际操作能力和解决问题的能力。
希望学生认真完成任务,按时提交作品。
本文旨在对液压转向器生产工艺过程进行物流分析,以优化作业单位的布局和物流流程,提高生产效率和质量。
文章将从液压转向器结构及有关参数、作业单位划分、物流强度分析等方面入手,最终提出工厂总平面布置可行方案,并对方案进行评价和选择。
通过本文的研究,可以为液压转向器生产企业提供有益的参考和指导。
二.基本要素分析1、液压转向器结构及有关参数液压转向器是一种广泛应用于工程机械、农机等领域的液压传动装置,其主要结构包括外壳、转子、转子轴、定子、液压缸等部分。
在生产过程中,需要考虑的有关参数包括转向器的型号、转向器的尺寸、转向器的扭矩等。
2、作业单位划分作业单位是指液压转向器生产过程中的各个环节,如加工车间、装配车间、检验车间等。
对作业单位的划分应该考虑到作业单位之间的相互关系和作业单位内部的物流流程。
3、液压转向器生产工艺过程液压转向器生产工艺过程包括铸造、加工、装配、检验等环节。
在生产过程中,需要考虑到物流流程的合理性,以提高生产效率和质量。
三.物流分析1、产品工艺过程分析通过对液压转向器生产工艺过程的分析,可以确定物流流程中的关键环节和瓶颈,以便优化物流流程。
中国矿业大学矿业工程学院工业工程系设施规划与物流分析课程设计说明书姓名:张朋学号:01090364指导教师:王晓琳开始时间:2011年12月26日结束时间:2012年01月01日成绩:设施规划与物流分析课程设计任务书姓名:张朋学号:01090364 年(班)级:2009级地点:课程设计题目:液压转向器厂总平面布置设计课程设计内容与要求:1、液压转向器厂物流分析。
2、液压转向器厂作业单位相互关系分析。
3、作业单位位置相关图,相当于A3图样的坐标纸1张。
4、作业单位面积相关图,相当于A3图样的坐标纸1张。
5、液压转向器厂总平面布置图三套路,A3图样三张。
6、评价择优,选出最佳总平面布置图。
设施规划与物流分析课程设计评语目录一.概述 (1)二.基本要素分析 (1)1、液压转向器结构及有关参数 (1)2、作业单位划分 (4)3、液压转向器生产工艺过程 (5)三.物流分析 (13)1、产品工艺过程分析 (13)2.物流强度分析 (20)四.作业单位非物流相关分析 (24)1.作业单位相互关系理由 (24)2.作业单位相互关系等级 (24)3. 作业单位相互关系 (25)五.作业单位综合相关分析 (27)1. 综合物流相关等级 (27)2.作业单位综合接近程度 (31)六.作业单位位置相关分析 (33)1. 绘制作业单位位置相关图 (33)七.作业单位面积相关分析 (35)1.作业单位面积相关图 (35)八.工厂总平面布置可行方案 (36)九.评价方案并择优 (40)十.总结 (40)一.概述当地现有一叉车修理厂,占地面积为16000m2,厂区南北长为200m,东西宽为80m,所处地理位置如图1所示。
该厂职工人数300人,计划改建成年产量6000套液压转向器的生产厂,需要完成工厂总平面布置设计。
图-1 待建液压转向器厂厂区图二.基本要素分析1、液压转向器结构及有关参数液压转向器的基本结构如图2所示,有22个零、组件构成,每个零、组件的名称、材料、单间重量及年需求量均列于表1中。
物流工程课程设计报告课程设计题目:液压转向器厂总平面布置设计学院:工程技术学院专业:工业工程姓名:陈天文学号:指导老师:唐秀英老师课程设计时间:2012年10月——12月目录课程设计题目:液压转向器厂总平面布置设计 (1)学院:工程技术学院 (1)专业:工业工程 (1)姓名:陈天文 (1)学号: (1)指导老师:唐秀英老师 (1)课程设计时间:2012年10月——12月 (1)液压转向器厂总平面布置设计 (4)第一章液压转向器的工作原理及结构特点 (4)液压转向器的工作原理 (4)液压转向器:即液压动力式转向器。
转向器(也常称为转向机)是完成由旋转运动到直线运动(或近似直线运动)的一组齿轮机构,同时也是转向系中的减速传动装置。
它是转向系中最重要的部件。
它的作用是:增大转向盘传到转向传动机构的力和改变力的传递方向。
(4)液压转向器的结构特点 (4)第二章公司概况 (5)介绍 (5)部门(车间)简介 (5)第三章系统布置设计(SLP) (6)产品——产量分析 (6)工艺进程分析 (7)(一)作业单位划分 (7)(二)零件生产工艺进程,绘制工艺进程 (8)(三)绘制产品总工艺进程图 (16) (17)辅助服务分析 (17)第四章物流分析 (18)肯定从至表 (18)物流强度分析 (19)4.2.1 计算物流量 (19)4.2.2 划分物流强度品级 (19)4.2.3 物流相关表 (20)第五章作业单位互利关系分析 (21)作业单位彼此关系品级的划分 (21)成立非物流作业单位彼此关系表 (22)第六章作业单位综合彼此关系分析 (23)作业单位间综合彼此关系计算 (24)作业单位综合相关表 (26)第七章工厂平面布置 (27)综合接近程度排序表 (27)绘制作业单位位置相关图 (27)绘制作业单位面积相关图 (29)第八章方案的评价与选择 (33)附图 (32)物流工程课程设计液压转向器厂总平面布置设计第一章液压转向器的工作原理及结构特点液压转向器的工作原理液压转向器:即液压动力式转向器。
设施规划课程设计--液压转向器厂总平面布置设计设施规划与物流分析课程设计说明书姓名:学号:指导教师:开始时间:结束时间:成绩:设施规划与物流分析课程设计任务书姓名:学号:年(班)级:地点:课程设计题目:液压转向器厂总平面布置设计课程设计内容与要求:1、液压转向器厂物流分析。
2、液压转向器厂作业单位相互关系分析。
3、作业单位位置相关图,相当于A3图样的坐标纸1张。
4、作业单位面积相关图,相当于A3图样的坐标纸1张。
5、液压转向器厂总平面布置图三套路,A3图样三张。
6、评价择优,选出最佳总平面布置图。
目录一.概述 (1)二.基本要素分析 (1)1、液压转向器结构及有关参数 (1)2、作业单位划分 (6)3、液压转向器生产工艺过程 (7)三.物流分析 (20)1、产品工艺过程分析 (20)2.物流强度分析 (27)四.作业单位非物流相关分析 (31)1.作业单位相互关系理由 (31)2.作业单位相互关系等级 (31)3. 作业单位相互关系 (32)五.作业单位综合相关分析 (33)1. 综合物流相关等级 (33)2.作业单位综合接近程度 (37)六.作业单位位置相关分析 (40)1. 绘制作业单位位置相关图 (40)七.作业单位面积相关分析 (42)1.作业单位面积相关图 (42)八.工厂总平面布置可行方案 (43)九.评价方案并择优 (46)十.总结 (47)一.概述当地现有一叉车修理厂,占地面积为16000m2,厂区南北长为200m,东西宽为80m,所处地理位置如图1所示。
该厂职工人数300人,计划改建成年产量6000套液压转向器的生产厂,需要完成工厂总平面布置设计。
图-1 待建液压转向器厂厂区图二.基本要素分析1、液压转向器结构及有关参数液压转向器的基本结构如图2所示,有22个零、组件构成,每个零、组件的名称、材料、单间重量及年需求量均列于表1中。
图-2 液压转向器结构表-1 零件明细表工厂名称:液压转向器厂产品名称液压转向器产品代号计划年产量序号零件名称零件代号自制外购材料总计划需求量零件图号形状尺寸单件重量(Kg)说明1 连接块组件√20 6000 0.092 前盖√HT256000 0.903 X型密封圈√橡胶6200 0.044环√20 6000 0.035 滑环√20 6000 0.036 弹簧片√65Mn42000.017 拔销√65Mn 6200 0.028 联动轴√45 6000 0.279 阀体√HT256000 7.001 0 阀芯√45 6000 0.61 1 阀套√20 6000 0.561 2 隔盘√20 6000 0.321 3 限位√45 6000 0.011 4 定子√40Cr 6000 1.201 5 转子√45 6000 0.601 6 后盖√20 6000 0.801 7 螺栓√4536000.021 8 O型密封圈√橡胶21000.011 9 限位螺栓√45 6000 0.022 0 油堵√塑料28000.012 1 标牌√铝6000 0.012 2 护盖√塑料6600 0.01编制(日期)审核(日期)2、作业单位划分根据液压转向器结构及工艺特点,液压转向器厂设立如表2所示11个作业单位,分别承担原材料存储、备料、热处理、加工与装配、产品性能试验、生产管理与服务等各项生产任务。
表-2 作业单位建筑物汇总表序号作业单位名称用途建筑面积(m2)结构型式备注1 原材料库储存钢材、铸锭20×30露天2 铸造车间铸造12×243 热处理车间热处理12×124 机加工车间牢、铣、钻削18×365 精密车间精镗、磨削12×366 标准件、半成品库储存外购件、半成品12×247 组装车间组装转向器12×368 性能试验室转向器性能检验12×129 成品库成品储存12×1210 办公、服务楼办公室、食堂等80×6011 设备维修车间机床维修12×243、液压转向器生产工艺过程由于液压转向器结构比较简单,因此其生产工艺过程也很简单,总的工艺过程可分为零、组件制作与外购,半成品暂存,组装,性能试验与成品存储等阶段。
3.1 零、组件制作与外购液压转向器上的标准件、异形件如塑料护盖、铝制标牌等都是采用外购、外协的方法获得,入厂后由半成品库保存。
其它零件由本厂自制,其工艺过程分别见表3至表15。
表中各工序加工前工件重量为:该工序加工后工件重量/该工序材料利用率。
3.2 标准件、外购件与半成品暂存生产的零、组件经车间内检验合格后,送入半成品库暂存。
定期订购的标准件和外协件均存放在半成品库。
3.3 组装所有零、组件在组装车间集中组装成液压转向器成品。
表-3 液压转向器零件加工工艺过程表产品名称件号材料单件重量(Kg)计划年产量(套)年产总量(Kg)连接块组件1 20 0.09 6000序号作业单位名称工序内容工序材料利用率(%)1 原材料库备料2 机加工车车、镗、压装55间3 半成品库暂存表-4 液压转向器零件加工工艺过程表产品名称件号材料单件重量(Kg)计划年产量(套)年产总量(Kg)前盖2 HT250 0.906000序号作业单位名称工序内容工序材料利用率(%)1 原材料库准备铸锭2 铸造车间铸造603 机加工车间粗铣、镗、钻804 精密精镗95车间5 半成品库暂存表-5 液压转向器零件加工工艺过程表产品名称件号材料单件重量(Kg)计划年产量(套)年产总量(Kg)挡环4 20 0.03 6000序号作业单位名称工序内容工序材料利用率(%)1 原材料库备料2 机加工车间车削403 半成品库暂存表-6 液压转向器零件加工工艺过程表产品名称件号材料单件重量(Kg)计划年产量(套)年产总量(Kg)滑环5 HT250 0.036000序号作业单位名称工序内容工序材料利用率(%)1 原材料库备料2 机加工车间车削403 半成品库暂存表-7 液压转向器零件加工工艺过程表产品名称件号材料单件重量(Kg)计划年产量(套)年产总量(Kg)联动8 45 0.27 6000器序号作业单位名称工序内容工序材料利用率(%)1 原材料库备料2 机加工车间车、铣403 精密车间精磨994 半成品库暂存表-8 液压转向器零件加工工艺过程表产品名称件号材料单件重量(Kg)计划年产量(套)年产总量(Kg)滑环9 HT250 7.006000序号作业工序内容工序材料利用率名称1 原材料库准备铸锭2 铸造车间铸造603 机加工车间粗铣、镗704 精密车间精镗905 半成品库暂存表-9 液压转向器零件加工工艺过程表产品名称件号材料单件重量(Kg)计划年产量(套)年产总量(Kg)阀芯10 45 0.6 6000序号作业工序内容工序材料利用率名称1 原材料库备料2 机加工车间粗车、钻、铣703 热处理车间热处理4 精密车间精磨995 半成品库暂存表-10 液压转向器零件加工工艺过程表产品名称件号材料单件重量(Kg)计划年产量(套)年产总量(Kg)阀套11 20 0.566000序号作业单位名称工序内容工序材料利用率(%)1 原材料库备料2 机加工车间车削803 半成品库暂存表-11 液压转向器零件加工工艺过程表产品名称件号材料单件重量(Kg)计划年产量(套)年产总量(Kg)隔盘12 20 0.32 6000序号作业单位名称工序内容工序材料利用率(%)1 原材备料2 机加工车间铣、钻803 半成品库暂存表-12 液压转向器零件加工工艺过程表产品名称件号材料单件重量(Kg)计划年产量(套)年产总量(Kg)限位柱13 45 0.016000序号作业单位名称工序内容工序材料利用率(%)1 原材料库备料2 机加工车间车、镗703 热处热处理间4 精密车间端磨995 半成品库暂存表-13 液压转向器零件加工工艺过程表产品名称件号材料单件重量(Kg)计划年产量(套)年产总量(Kg)定子14 40Cr 1.20 6000序号作业单位名称工序内容工序材料利用率(%)1 原材料库备料2 热处理车间退火3 工车间车、钻、插、铣504 热处理车间调质5 精密车间研磨996 半成品库暂存表-14 液压转向器零件加工工艺过程表产品名称件号材料单件重量(Kg)计划年产量(套)年产总量(Kg)转子15 45 0.606000序号作业单位名称工序内容工序材料利用率(%)1 原材料库备料2 热处理车间正火3 机加工车间车、铣、钻704 热处理车间淬火5 精密车间研磨996 半成品库暂存表-15 液压转向器零件加工工艺过程表产品名称件号材料单件重量(Kg)计划年产量(套)年产总量(Kg)后盖16 20 0.80 6000序号作业单位工序内容工序材料利用率(%)名称 1原材料库 备料2机加工车间 车、钻803 半成品库暂存三.物流分析物流分析是机械制造厂平面布置的基础,只有进行准确的物流分析后,才有可能得到合乎需要的布置方案。
1、产品工艺过程分析1.1分析给定的工艺过程表,通过对产品加工、组装、检验等各加工阶段及各工艺过程路线的分析,计算每个工艺过程的各工序中加工前工件单件重量及产生的废料重量,并折算成全年重量。
1.2 各个自制零部件工艺过程图图-3 自制零部件工艺过程图(单位:kg) 1.3 产品总的工艺过程图图-4 液压转向器总工艺流程图 (单位:kg)2.物流强度分析2.1 根据产品总的工艺过程图,统计各作业单位之间的物流强度。
统计的结果填入物流强度汇总表。
序号作业单位对物流量(kg)单位间物流强度(kg)年总物流强度(kg)1 1-2 1.974+18.519 20.493 1229582 7-8 12.7847+12.7847*20%*217.899 1073943 6-7 12.7847 12.7847 767084 8-9 12.7847 12.7847 767085 2-4 1.184+11.11 12.294 737646 5-6 0.9+0.27+7+010.58 63480.6+0.01+1.2+0.67 4-5 0.94752+0.2728+7.777988.9983 539908 3-4 0.6062+0.01008+2.424+1.212+0.866+0.60625.72448 343479 1-4 0.164+0.075+0.075+0.682+0.866+0.7+0.4+0.0144+13.9764 2385810 1-3 2.424+0.866 3.29 1974011 3-5 0.6062+0.01008+1.212+0.60622.43448 1460712 4-6 0.0902+0.03+0.03+0.56+0.32+0.81.8302 10981表-18 物流强度等级划分表物流强度等级符号物流路线比例(%)承担物流量比例(%)超高物流强度A(4)10 40特高物流强度E(3)20 30较大物流强度I(2)30 20一般物流强度O(1)40 10可忽略搬运U(0)2.2 由物流强度汇总表(表-17)和物流强度等级划分表(表-18)可以得出物流强度分析表(表-19)序号作业单位对(路线)物流强度0 1 2 3 4 5 6 7 8 9 10 1112131415 1617 1819 2021物流强度等级1 1-2 A2 7-8 A3 6-7 E4 8-9 E5 2-4 E6 5-6 I7 4-5 I8 3-4 O9 1-4 O10 1-3 O12 3-5 O13 4-6 O 2.3 由物流强度分析表(表-19)得到液压转向器厂作业单位物流相关图(图-5)图-5 液压转向器厂作业单位物流相关四.作业单位非物流相关分析根据液压转向器结构及工艺特点,液压转向器厂的作业单位的划分有原材料库、铸造车间、热处理车间、机加工车间、精密车间、标准件半成品库、组装车间、性能试验室、成品库、办公服务楼和设备维修车间。