法兰与管体焊接接头工艺设计样本
- 格式:doc
- 大小:417.00 KB
- 文档页数:11
英国标准BS EN1092-2:1997 ——————————————————————————————————————法兰和接头—用于管、管件、阀门及附件、PN设计第2部分:铸铁法兰CEN/TC10BS EN 1092-2:1997国 家 前 言本标准由技术委员会PSE/IS起草,由欧洲标准化委员会出版,代替了已作废的BS45043.2:1989。
参考标准出版的参考标准 相应的英国标准EN545:1994 BSEN545:1995 输水用球墨铸铁管、法兰、附件及接头的要求 和试验方法EN1333:1996 BSEN1333:1997 管线部分的公称压力PN的定义及选择ENISO6708:1995 BSENISO6708:1996 管线部分的公称压力PN的定义及选择ENISO9002:1994 BSENISO9002:1994 生产、安装及服务的质量保证体系关键词:工业管道、管法兰、铸铁、球墨铸铁、可锻铸铁、非合金铸铁、设计、尺寸、尺寸公差、规格、表面处理、标识2法兰和接头——用于管、管件、阀门及附件、PN设计第2部分:铸铁法兰本标准于1996年12月29日被CEN通过,CEN成员必须服从CEN/CENELEC内容的规定,此标准为国家标准,不能对它进行任何修改。
本标准的各种参考标准目录可从中央秘书处或任何一个CEN成员手中索取。
此标准有三种译本(英、法、德),经秘书处同意,任何一个CEN成员可将各种语言的文本译成本民族语言版本,并且与本国标准有同等的地位。
CEN的成员为以下各国的国家标准组织:奥地利、比利时、丹麦、芬兰、法国、德国、希腊、冰岛、爱尔兰、意大利、卢森堡、荷兰、挪威、葡萄牙、西班牙、瑞典、瑞士及英国。
前 言本欧洲标准由技术委员会CEN/TC74(有关法兰及其接头)起草,其秘书处归属DIN、EN1092,包括以下六个部分:第1部分:钢法兰第2部分:铸铁法兰第3部分:铜合金法兰第4部分:铝合金法兰第5部分:其它材质法兰第6部分:非金属法兰本标准与ISO7005-2:1988和ISO2531:1991具有相同的法兰PN设计,其中的法兰类型与连接尺寸兼顾了ISO7005-2:1988和ISO2531:1991中相应的规定。
球壳压制工艺过程卡
产品名称: 2000M3液化气球形储罐
产品编号:
产品图号:制2-1571-1
编制:
审核:
授课:XXX
XX公司
锻造法兰工艺过程卡
授课:XXX
锻造接管工艺过程卡
共 1 页第 1 页
授课:XXX
授课:XXX
法兰与接管组焊(DN <250)工艺过程卡
共 1 页 第 1 页
授课:XXX
法兰与接管组焊(DN≥250)工艺过程卡
共 1 页第 1 页
授课:XXX
人孔凸缘工艺过程卡
共 1 页第 1 页
授课:XXX
人孔法兰工艺过程卡
共 1 页第 1 页
授课:XXX
人孔法兰盖工艺过程卡
授课:XXX
人孔法兰与人孔颈组焊工艺过程卡
共 1 页第 1 页授课:XXX
授课:XXX
希望对大家有所帮助,多谢您的浏览!
授课:XXX
人孔法兰与人孔颈组焊 工艺过程卡
授课:XXX
支柱 工艺过程卡
共 1 页 第 1 页
球壳板的油漆、包装、运输工艺过程卡
共 1 页第 1 页
授课:XXX
(注:可编辑下载,若有不当之处,请指正,谢谢!)
授课:XXX。
压力管道与法兰焊接工艺规程1.总则;为加强的焊接质量,防止法兰变型,管道漏油。
给公司造成经济损失,管道的焊接必须采用手工电弧焊。
2.焊前准备2.1坡口加工后应进行外观检查,其表面不得与裂纹、夹层等缺陷。
2.2焊接接头组对前,应用手工或机械方法清理内外表面,在坡口两侧20mm范围不得有油漆、毛刺、锈斑、氧化皮及其他对焊接过程有害的杂物。
3.焊接管道对接头焊接形式见图1管道与对焊法兰如图a,钢管与法兰颈部对焊管道与平焊法兰如图3.0.2,钢管外径插入法兰内径焊接3.1定位焊应与正式焊接工艺相同,其焊缝长度宜为10~15mm,高宜为2~4mm,且不超过壁厚的2/3.3.2不得在焊件表面引弧或试验电流,焊件表面不得有电弧擦伤等缺陷。
3.3定位焊的焊缝不得有裂纹及其它缺陷,若发现缺陷应及时清除,定位焊焊道的两端应修磨成缓坡形。
3.4在保证焊透及熔合良好的条件下,应选用小的焊接参数,采用短弧、多层多焊道,层间温度控制在60℃以下。
3.5有耐腐蚀性要求的双面焊焊缝,与介质接触的一侧应最后焊接。
3.6采用手工电弧焊打底但施焊者必须具备相应焊工合格项目,其焊接工艺参数见下表:3.7在焊接中应确保起弧与收弧的质量,收弧时应将弧坑填满,多层焊的层间接头应相互错开。
3.8为防止焊接法兰盘的变型,法兰盘和管道打底焊接时应分为三段焊接应小电流焊接。
第二遍时电流可适应调大,电流参数见上表。
3.9焊接完毕后,应及时将焊缝表面的熔渣及附近的飞溅物清理干净,并检查焊口质量。
4.要求质检检收4.1焊口要求外观平整。
4.2法兰盘焊完后不得变型超过0.15-0.30mm。
不合格作废,根据法兰和管道粗细进行处理【主任和操作员】焊接电流的选择主要根据焊条直径选择电流,焊接电流选择注:立、仰、横焊电流应比平焊小10%左右。
焊角焊缝时,电流要稍大些。
打底焊时,特别是焊接单面焊双面成形焊道时,使用的焊接电流要小;填充焊时,通常用较大的焊接电流;盖面焊时,为防止咬边和获得较美观的焊缝,使用的电流稍小些。
法兰与管道焊接标准
法兰与管道焊接的标准主要是指焊接接头的尺寸、形状、材料和工艺要求,确保焊接接头的质量和安全性。
以下是一些常见的法兰与管道焊接标准:
1. 管道焊接标准:
- GB/T 12459-2005:钢制管道连接件焊接、无缝和焊接不锈钢管件标准。
- GB/T 13401-2017:钢制管道连接件大型焊接无缝钢弯头标准。
- ASME B16.9:工厂制造的钢制焊接和锻制管件标准。
2. 法兰标准:
- GB/T 9115.1-2010:法兰和焊接接头标准。
- ASTM A105/A105M:碳钢锻造管法兰和联接件标准。
- ASME B16.5:钢制管法兰和对焊法兰标准。
3. 焊接工艺标准:
- AWS D10.12/D10.12M:钢制管焊接标准。
- ASME Section IX:用于核定钢结构焊接程序和焊工资格的标准。
这些标准规定了焊接接头的尺寸、几何形状、焊缝准备、焊接材料的选择、热处理条件、焊接工艺规范等要求,以确保焊接接头的质量可靠,满足工程要求。
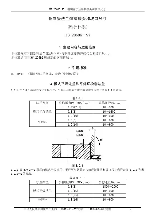
钢制管法兰焊接接头和坡口尺寸(欧洲体系)HG20605—971主题内容与适用范围本标准规定了钢制管法兰(欧洲体系)与钢管连接的焊接接头和坡口尺寸。
本标准适用于HG20592所规定的钢制管法兰。
2引用标准HG20592《钢制管法兰型式、参数(欧洲体系)》3板式平焊法兰和平焊环松套法兰3.0.1表3.0.1所示的板式平焊法兰、平焊环与钢管连接的焊接接头应符合图3.0.1的要求。
表3.0.1法兰类型公称压力PN,MPa(bar)公称通径DN,mm0.25(2.5)10~200板式平焊法兰0.6(6)10~16001.0(10)10~6000.6(6)10~600平焊环1.0(10)10~600图3.0.13.0.2表 3.0.2—1所示的板式平焊法兰、平焊环与钢管连接的焊接接头和坡口尺寸应符合图 3.0.2和表3.0.2—2的要求。
表3.0.2—1法兰类型公称压力PN,MPa(bar)公称通径DN,mm0.6(6)1800~2000板式平焊法兰1.6(16)10~6002.5(25)10~600平焊环 1.6(16)10~600图 3.0.2表 3.0.2—2公称通径DN101520253240506580100125150200坡口宽度b4445555666668公称通径DN25030035040045050060012001400160018002000坡口宽度b1011121212121213141617184带颈平焊法兰4.0.1表4.0.1所示的带颈平焊法兰与钢管连接的焊接接头应符合图4.0.1的要求。
表4.0.1法兰类型公称压力PN,MPa(bar)公称通径DN,mm0.6(6)10~300带颈平焊法兰1.0(10)10~400图4.0.24.O.2表 4.0.2—1所示的带颈平焊法兰与钢管连接的焊接接头和坡口尺寸应符合图 4.0.2和表4.0.2—2的要求。
表4.0.2—1法兰类型公称压力PN,MPa(bar)公称通径DN,mm1.O(10)450~6001.6(16)10~600带颈平焊法兰2.5(25)10~6004.O(40)10~600图4.0.2表4.0.2—2(mm)坡口宽度b公称通径DN≤PN2.5MPa(25bar) 4.0MPa(40bar) 104415442044255532554055505565668066100661256715068200810250101130011123501213400121445012165001217600121185承插焊法兰承插焊法兰与钢管连接的焊接接头应符合图5—1的要求。
净化器焊接工艺设计说明书院系:材料科学与工程学院班级:成型05-4姓名:王博学号:0508020414指导老师:刘少平回书利綦秀玲目录1产品的技术要求及原始数据分析 (1)1.1产品概况 (1)1.2 产品的技术要求 (1)1.3产品各部分所用材料选择 (2)2备料加工工艺过程 (2)2.1接管 (2)2.1.1尺寸 (2)2.1.2加工方法 (3)2.2补强圈 (3)2.2.1尺寸 (3)2.2.2加工方法 (4)2.3补强板 (4)2.4上封头 (5)2.4.1尺寸 (5)2.4.2加工方法 (5)2.5下封头 (6)2.5.1尺寸 (6)2.5.2 加工方法 (6)2.6筒体 (7)2.6.1尺寸 (7)2.6.2 加工方法 (7)2.7压盖座和压盖 (8)2.7.1尺寸 (8)2.7.2加工方法 (9)2.8 法兰、M16螺杆(2个),M16六角螺帽(2个 (9)2.9底脚 (10)3装配—焊接工艺设计方案说明与分析 (10)3.1产品材料的可焊性分析 (10)3.2 焊接工艺分析与设计 (10)3.2.1采用手工电弧焊部位 (10)3.2.2采用埋弧自动焊 (11)3.2.3采用手工电弧焊打底焊,接着埋弧自动焊 (11)4装配步骤 (12)5焊接技术要求 (12)6产品质量检验 (13)6.1外观检验 (13)6.2致密性检验 (13)6.3强度检验 (14)7焊后处理 (14)参考文献 (15)1产品的技术要求及原始数据分析1.1产品概况(1)名称:净化器(2)技术要求:容积:0.25m3;设计压力:55kgf/cm2;设计温度≤320℃; 介质:压缩空气;焊缝系数0.8;腐蚀裕度:1mm;耐压压力:87kgf/cm2(3)简图如图1所示,各部分组成:两个法兰、两个接管、一个补强圈、一个补强板、一个上封头、筒体、一个下封头、三个底脚、压盖座、一个压盖,丝对M16、螺帽M16。
(4)作用:使进入净化器中的空气保持一定的压力,并净化容器中的气体,去除空气中的杂质、油污、粉尘和水分等等。
法兰与管体焊接接头工艺设计前言法兰是使管子与管子相互连接的零件,连接于管端。
法兰连接就是把两个管道、管件或器材,先各自固定在一个法兰盘上,两个法兰盘之间,加上法兰垫,用螺栓紧固在一起, 完成了连接。
有的管件和器材已经自带法兰盘,也是属于法兰连接。
法兰连接的主要特点是拆卸方便、强度高、密封性能好。
安装法兰时要求两个法兰保持平行、法兰的密封面不能碰伤,而且要清理干净。
法兰所用的垫片,要根据设计规定选用。
法兰分螺纹连接(丝接)法兰和焊接法兰。
低压小直径有丝接法兰,高压和低压大直径都是使用焊接法兰,不同压力的法兰盘的厚度和连接螺栓直径和数量是不同的。
法兰连接使用方便,能够承受较大的压力。
此次是普通的低碳钢管体与法兰的焊接接头工艺的设计。
1.母材Q235,性能分析Q235是普通的碳素结构钢,Q代表的是这种材质的屈服度, 后廂的235,就杲指这种材质的屈服值,在235左右。
并会随着材质的厚度的增加而使其屈服值减小。
由于含碳适中,综合性能较好,强度.塑性和焊接等性能得到较好配合,用途最广泛。
常轧制成盘条或圆钢、方钢、扁钢、角钢、工字钢、槽钢、窗框钢等型钢,中厚钢板。
大量应用于建筑及工程结构。
用以制作钢筋或建造厂房房架、高压输电铁塔、桥梁、车辆、锅炉、容器、船舶等,也大量用作对性能要求不太高的机械零件由于低碳钢含碳量低,镐、硅含量也少,因此,一般情况下不会因焊接而产生严重硬化组织或淬火组织。
焊接时,一般不需预热、控制层间温度和后热,焊后也不必采用热处理改逬组织,整个焊接过程不必采取特殊的工艺措施,焊接性优良。
2.备料备料的过程大致分为以下几步:(1)选材选取管体内径为350mm,壁厚为8mm的管体,由于所选的管材和法兰盘均为Q235,故对管材无太多特殊的要求, 须保证管材形状规则符合标准,无裂纹,弯曲,变形等其它缺陷,能具有一定的耐压能力,耐腐蚀能力选取法兰外径为550mm厚度为12mm,小孔直径为10mm管体与法兰的连接为焊接,因此管体内径应与法兰的内径一致。
短管和法兰及管和管件自动焊接施工工法短管和法兰及管和管件自动焊接施工工法一、前言短管和法兰及管和管件自动焊接施工工法是一种常用于工程施工中的焊接工法。
本文将对该工法的特点、适应范围、工艺原理、施工工艺、劳动组织、机具设备、质量控制、安全措施、经济技术分析以及工程实例进行详细介绍。
二、工法特点短管和法兰及管和管件自动焊接施工工法具有以下特点:1. 高效快捷:该工法利用自动化设备进行焊接,节省了人力成本和施工时间,提高了施工效率。
2. 焊缝质量稳定:自动焊接设备在操作过程中能够保持一定的焊接稳定性,提高了焊缝的质量和可靠性。
3. 施工环境要求低:该工法适应性强,对施工环境的要求相对较低,可以适应各种复杂的施工场地条件。
三、适应范围短管和法兰及管和管件自动焊接施工工法适用于以下工程领域:1. 石油化工:炼油厂、化工厂等石油化工设施的管道焊接。
2. 电力工程:发电厂、输电线路等电力设施的管道焊接。
3. 城市建设:供水管道、排水管道等城市基础设施的管道焊接。
四、工艺原理短管和法兰及管和管件自动焊接施工工法的工艺原理是基于以下几个方面:1. 自动化设备:利用专门的自动化设备进行焊接,确保焊缝的质量和稳定性。
2. 焊接工艺参数控制:通过对焊接工艺参数的控制,如电流、电压等,实现焊接过程的稳定性和一致性。
3. 管道和管件的准确匹配:在施工前,需要对管道和管件进行准确的匹配,确保其连接的精度和质量。
五、施工工艺短管和法兰及管和管件自动焊接施工工法的施工包括以下几个阶段:1. 预处理:对管道和管件进行清洗、喷砂等预处理工作,以保证焊接接头的质量。
2. 安装:将管道和管件按照设计要求进行安装,并进行合适的定位和固定。
3. 调试:对自动化设备进行调试和校准,确保其能够正常工作。
4. 焊接:通过自动化设备进行焊接,实现接头的连接。
5. 检测与修复:对焊接接头进行检测,如超声波检测、射线检测等,如有不合格的接头,需要进行修复或重新焊接。
压力管道与法兰焊接工艺规程1.总则;为加强的焊接质量,防止法兰变型,管道漏油。
给公司造成经济损失,管道的焊接必须采用手工电弧焊。
2.焊前准备2.1坡口加工后应进行外观检查,其表面不得与裂纹、夹层等缺陷。
2.2焊接接头组对前,应用手工或机械方法清理内外表面,在坡口两侧20mm范围不得有油漆、毛刺、锈斑、氧化皮及其他对焊接过程有害的杂物。
3.焊接管道对接头焊接形式见图1管道与对焊法兰如图a,钢管与法兰颈部对焊管道与平焊法兰如图3.0.2,钢管外径插入法兰内径焊接3.1定位焊应与正式焊接工艺相同,其焊缝长度宜为10~15mm,高宜为2~4mm,且不超过壁厚的2/3.3.2不得在焊件表面引弧或试验电流,焊件表面不得有电弧擦伤等缺陷。
3.3定位焊的焊缝不得有裂纹及其它缺陷,若发现缺陷应及时清除,定位焊焊道的两端应修磨成缓坡形。
3.4在保证焊透及熔合良好的条件下,应选用小的焊接参数,采用短弧、多层多焊道,层间温度控制在60℃以下。
3.5有耐腐蚀性要求的双面焊焊缝,与介质接触的一侧应最后焊接。
3.6采用手工电弧焊打底但施焊者必须具备相应焊工合格项目,其焊接工艺参数见下表:3.7在焊接中应确保起弧与收弧的质量,收弧时应将弧坑填满,多层焊的层间接头应相互错开。
3.8为防止焊接法兰盘的变型,法兰盘和管道打底焊接时应分为三段焊接应小电流焊接。
第二遍时电流可适应调大,电流参数见上表。
3.9焊接完毕后,应及时将焊缝表面的熔渣及附近的飞溅物清理干净,并检查焊口质量。
4.要求质检检收4.1焊口要求外观平整。
4.2法兰盘焊完后不得变型超过0.15-0.30mm。
不合格作废,根据法兰和管道粗细进行处理【主任和操作员】焊接电流的选择主要根据焊条直径选择电流,焊接电流选择注:立、仰、横焊电流应比平焊小10%左右。
焊角焊缝时,电流要稍大些。
打底焊时,特别是焊接单面焊双面成形焊道时,使用的焊接电流要小;填充焊时,通常用较大的焊接电流;盖面焊时,为防止咬边和获得较美观的焊缝,使用的电流稍小些。
一焊缝的布置合理的焊缝位置是焊接结构设计的关键,与产品的质量,生产率,成本及劳动条件密切相关。
其一般工艺设计原则如下:(1)焊缝布置应尽量分散。
焊缝密集或交叉,会造成金属过热,加大热影响区,使组织恶化。
因此两条焊缝的间距一般要求大于3倍板厚,且不小于100mm。
图中a,b,c 的结构不合理,应改为图4-40d,e,f的结构形式。
(2)焊缝的位置应尽可能对称布置。
如图ab所示的构件,焊缝位置偏离截面中心,并在同一侧,由于焊缝的收缩,会造成较大的弯曲变形。
图cde所示的焊缝位置对称,焊后不会发生明显的变形。
(3)焊缝应尽量避开最大应力断面和盈利集中位置。
对于受力较大,结构较复杂的焊接构件,在最大应力断面和应力集中位置不应该布置焊缝。
例如,大跨度的焊接钢梁,板坯的拼料焊缝,应避免放在梁中间,如图a 应改为图d 的状态。
压力容器的封头应有一直壁段,如图b应改为图e 状态,使焊缝避开应力集中的转角位置。
直壁段不小于25mm. 在构件截面有急剧变化的位置或尖锐棱角部位,易产生应力集中,应避免布置焊缝。
例如图c应改为f的状态。
(4)焊缝应尽量避开机械加工表面。
有些焊接结构,只是某些部位需要进行机械加工,如焊接轮毂,管配件,焊接支架等。
其焊缝位置的设计应尽可能距离一加工表面远些,如图a, b 所示结构显然不如c,d 所示结构容易保证质量。
(5)焊缝位置应便于焊接操作。
布置焊缝时,要考虑到有足够的操作空间。
如图a b c 所示的内侧焊缝,焊接时焊条无法伸入。
若必须焊接,只能将焊条弯曲,但操作者的视线被遮挡,极易造成缺陷。
因此应改为图d e f 所示的设计。
埋弧焊结构要考虑接头处在施焊中存放焊剂和熔池的保持问题。
点焊与焊缝应考虑电极伸入的方便性。
此外,焊缝应尽量放在平焊位置,尽可能避免仰焊焊缝,减少横焊焊缝。
良好的焊接结构设计,还应尽量使全部焊接部件,至少是主要部件能在焊接前一次装配点固,以简化装配焊接过程,节省场地面积,减少焊接变形,提高生产效率。
钢管和法兰焊接施工方案一、工程概况:该工程是钢管和法兰焊接工程。
材质为Q235B 、外径φ219、壁厚为8mm 的钢管和25公斤级别的法兰组对焊接,钢管和法兰焊接采用手工电弧焊接。
二、作业条件和要求:1、钢管、法兰已经进场。
2、加工场地已经明确。
三、材料要求:1、法兰:各部分尺寸应符合标准或设计要求,法兰表面应光滑,不得有砂眼、裂纹、斑点、毛刺等降低法兰强度和连接可靠性的缺陷。
2、钢管:检验报告应齐全,材料外观无损坏、变形、腐蚀现象,管材壁厚应与检验报告相一致。
四、所需施工机械及检测要求:1、机械:电焊机、磨光机。
2、工具:手锤、水平尺、钢角尺等。
3、检测要求:确保法兰焊接后与管段相互垂直,采用钢角尺检验;法兰焊缝满足要求。
五、作业方法:1、焊接前先将钢管一端的焊口表面用磨光机打磨干净,不得有锈蚀、油渍及其他污迹,如需要打坡口,则检查坡口形式及尺寸应符合要求,对角度不符合要求的用手提磨光机修磨。
坡口及焊口内外清理范围不小于10 mm。
2、将需要焊接的法兰焊口表面用磨光机打磨干净,不得有锈蚀、油渍及其他污迹;3、将钢管已处理过焊口表面的一端和法兰组对点焊,并确保钢管与法兰面垂直。
点焊时应对称施焊。
4、用(1)步骤同样的方法处理钢管的另一端的焊口表面,并按要求和法兰组对点焊,并确保钢管与法兰面垂直。
5、转动已组对法兰的管道进行焊接,法兰内外焊口都需焊接,从而保证法兰和钢管的连接质量;6、焊接时采用大电流施焊,焊口需满焊。
7、重复上述操作进行法兰钢管的批量生产。
六、焊接质量控制要求:1、不准在焊件表面任意引弧和试验电流;成型焊件表面无飞溅、药皮、焊瘤等。
2、焊缝必须饱满,圆滑过度。
3、焊缝表面不允许出现裂纹、未熔合、气孔及夹渣、根部未焊透。
七、安全措施1、焊接前必须检查焊机和电闸及焊机的所有线路,保证接触良好后方可施焊,焊接周围不得有易燃物,在易燃易爆场地施焊,必须办理动火手续,制定防火措施后方可进行。
《化工机械制造工艺》项目报告课题名称:管板兼做法兰工艺编制学院(系):过程装备与控制工程系年级专业:过程装备与控制工程学生姓名:毕景志郭凯阴德智刘飞许寒飞张猛指导教师:王鲁敏完成日期: 2012年5月22日目录1. 序言 (2)1.1课题背景 (2)1.2课题目的及意义 (2)2. 零件工艺分析 (2)2.1 零件功能分析 (3)2.2 零件结构分析 (3)2.3 毛坯的确定 (3)2.4 技术要求 (3)3. 机加工工艺规程拟定 (4)3.1定位基准的选择 (4)3.2加工方法的选择 (4)3.3加工阶段的划分 (4)3.4加工顺序安排 (5)3.5加工方案对比 (6)3.6加工设备选择 (7)3.6.1机床设备的选用 (7)3.6.2工艺装备的选用 (7)3.7加工余量、工序尺寸及偏差 (7)3.8工艺过程卡片 (9)3.9特性检查方法 (12)3.9.1表面粗糙度检测 (12)3.9.2尺寸检测 (13)3.9.3形状和位置误差检测 (13)4. 设计总结 (13)5. 主要参考文献 (14)1. 序言1.1课题背景管板是换热器中经常遇到的典型零件之一。
它在其中主要用于承受管程和壳程的压力差及管箱法兰的连接,受力情况比较复杂,同时还要保证与管子连接的严密性,所以对管板及其上的管孔有明确的技术要求。
管板多数是圆形,上面钻有多孔,法兰部分加工要求精度相对较高,其技术要求与一般法兰一样。
管板法兰式换热器中重要的部件之一,在换热器制造成本中占有相当大的比重。
下面就以管板兼做法兰为例,介绍一般的加工工艺。
1.2课题目的及意义(1)使学生能独立分析管板类零件的工艺与技术要求;(2)会拟定加工工艺路线;(3)能使用机床进行管板的实际加工;2. 零件工艺分析下图为我组课题管板兼做法兰的零件图纸2.1 零件功能分析管板兼做法兰是机械结构中用于支撑管程、承受压力差的重要零件之一,其加工质量直接影响到换热器的使用性能和精度。
钢制管法兰焊接接头及坡口尺寸一、欧洲体系HG20592(1)带颈平焊法兰(SO)带颈平焊法兰与钢管的焊接接头与坡口尺寸应符合图1~2的要求。
表1法兰类型公称压力PN,MPa(bar)公称通径DN,mm 对应接头图带颈平焊法兰0.6(6)10~300图1 1.0(10)10~4001.0(10)450~600图21.6(16)10~6002.5(25)10~6004.0(40) 10~600图1图2表2:图2对应的坡口宽度公称通径DN坡口宽度b≤PN2.5MPa(25bar) 4.0MPa(40bar)10 4 4 15 4 4 20 4 4 25 5 5 32 5 5 40 5 5 50 5 5 65 6 6 80 6 6 100 6 6 125 6 7 150 6 8 200 8 10 250 10 11 300 11 12 350 12 13 400 12 14 450 12 16 500 12 17 600 12 18(2)板式平焊法兰(PL)板式平焊法兰与钢管的焊接接头与坡口尺寸应符合图3~4的要求。
表3法兰类型 公称压力PN ,MPa (bar )公称通径DN ,mm对应接头图板式平焊法兰0.25(2.5) 10~2000 图3 0.6(6) 10~1600 平焊环0.6(6) 10~600 1.0(10) 10~600 板式平焊法兰0.6(6)1800~2000 图4 1.6(16) 10~600 2.5(25)10~600 平焊环1.6(16)10~600图3图4公称直径DN 10 15 20 25 32 40 50 65 80 100 125 150 坡口宽度b 4 4 4 5 5 5 5 6 6 6 6 6公称直径DN 200 250 300 350 400 450 500 600 1200 1400 1600 1800 坡口宽度b 8 10 11 12 12 12 12 12 13 14 16 17公称直径DN 2000坡口宽度b 18(3)承插焊法兰(SW)承插焊法兰与钢管的焊接接头与坡口尺寸应符合图5的要求。
法兰与管体焊接接头工艺设计
前言
法兰是使管子与管子相互连接的零件, 连接于管端。
法兰连接就是把两个管道、管件或器材, 先各自固定在一个法兰盘上, 两个法兰盘之间, 加上法兰垫, 用螺栓紧固在一起, 完成了连接。
有的管件和器材已经自带法兰盘, 也是属于法兰连接。
法兰连接的主要特点是拆卸方便、强度高、密封性能好。
安装法兰时要求两个法兰保持平行、法兰的密封面不能碰伤, 而且要清理干净。
法兰所用的垫片, 要根据设计规定选用。
法兰分螺纹连接( 丝接) 法兰和焊接法兰。
低压小直径有丝接法兰, 高压和低压大直径都是使用焊接法兰, 不同压力的法兰盘的厚度和连接螺栓直径和数量是不同的。
法兰连接使用方便, 能够承受较大的压力。
此次是普通的低碳钢管体与法兰的焊接接头工艺的设计。
1.母材Q235性能分析
Q235是普通的碳素结构钢, Q代表的是这种材质的屈服度, 后面的235, 就是指这种材质的屈服值, 在235左右。
并会随着材质的厚度的增加而使其屈服值减小。
由于含碳适中, 综合性能较好, 强度、塑性和焊接等性能得到较好配合, 用途最广泛。
常轧制成盘条或圆钢、方钢、扁钢、角钢、工字钢、槽钢、窗框钢等型钢, 中厚钢板。
大量应用于建筑及工程结构。
用以
制作钢筋或建造厂房房架、高压输电铁塔、桥梁、车辆、锅炉、容器、船舶等, 也大量用作对性能要求不太高的机械零件由于低碳钢含碳量低, 锰、硅含量也少, 因此, 一般情况下不会因焊接而产生严重硬化组织或淬火组织。
焊接时, 一般不需预热、控制层间温度和后热, 焊后也不必采用热处理改进组织, 整个焊接过程不必采取特殊的工艺措施, 焊接性优良。
2.备料
备料的过程大致分为以下几步:
(1)选材
选取管体内径为350mm, 壁厚为8mm的管体,
由于所选的管材和法兰盘均为Q235, 故对管材无太多特殊的要求, 须保证管材形状规则符合标准, 无裂纹, 弯曲, 变形等其它缺陷, 能具有一定的耐压能力, 耐腐蚀能力
选取法兰外径为550mm厚度为12mm, 小孔直径为10mm管体与法兰的连接为焊接, 因此管体内径应与法兰的内径一致。
( 2) 下料
在选好的管体上划线, 截取一定的满足需要的长度, 且截面光滑平整, 无毛刺, 裂纹等。
由于法兰要分块安装, 故将法兰均分为6瓣, 要保证截线切口处, 要平整。
( 3) 焊前准备
焊前准备有以下三点:
1、技术准备
焊工在施焊前需要进行的技术准备工作为: 熟悉产品图纸, 了解产品结构; 熟悉产品焊接工艺, 了解产品焊接接头要求的焊工持证项目, 掌握产品焊接接头的焊接参数。
2、器材准备
焊工在施焊前需要进行的器材准备工作为: 焊接设备及工装的检验调试; 焊接参数调整, 按焊接工艺的规定领取焊接材料。
3、工件准备
( 1) 坡口清理
施焊前焊工应检查坡口表面, 不得有裂纹、分层、夹杂等缺陷, 应清除焊接接头的内外坡口表面及坡口两侧母材表面至少20mm 范围内的氧化物、油污、熔渣及其它有害物质。
( 2) 焊接接头组对
使用卡具定位或直接在坡口内点焊的方法进行焊接接头的组对, 组对时应保证在焊接过程中焊点不得开裂, 并不影响底层焊缝的施焊; 控制对口错边量、组对间隙及棱角度等参数不超过按相应的产品制造、验收标准的规定。
在备料过程中所需要的设备有; 普通的机床, 以及清除焊接接头氧化物、油污、熔渣的设备, 还有焊接设备。
3.拼装
3.1 首先为法兰的拼装, 法兰分为6瓣
3.1.2. 法兰拼焊焊接工艺选择
由于法兰的材料为Q235, 法兰拼焊的焊接工艺选择普通的手工电弧焊即可, 手工电弧焊的焊接技术使用不同的方法保护焊接熔池, 防止和大气接触。
热能也是由电弧提供。
和MIG焊一样, 电极为自耗电极。
金属电极外由矿物质熔剂包覆, 熔剂熔化时形成焊渣盖住焊接熔池。
另外, 包覆的熔剂还释放出气体保护焊接熔池, 而且, 还含有合金元素用来补偿合金熔池的合金损失。
在有些情况下, 包覆的熔剂内含有所有合金元素, 中部的焊条仅是碳钢。
然而, 在采用这些类型的焊条时, 需要特别小心, 因为所有飞溅都具有软钢性质, 在使用过程中焊缝会锈蚀。
如果使用直流电弧, 焊条连接到正极, 但如果使用钛型焊条, 也能够使用交流电弧。
电压一般为20~30伏, 电流取决于焊接材料的厚度、焊条规格、焊接结构, 范围在15~400安
焊接接头采用对接接头, 是传力效率最高的一种接头方式, 它不需要连接板等, 材料的消耗量最少, 由于对接连接, 被连接板边缘的加工及装配要求较高, 在焊接结构上合焊接生产上常见的是对接焊缝与载荷方向垂直的。
坡口为双U型坡口。
如下图所示:
焊接时要先点焊住以后, 各个焊缝口均匀焊, 正面焊一会后,
再翻过来焊另一面。
发现哪个焊缝处有变形, 就翻过背面焊缝处把它校正过来。
4 法兰与管体的连接
4.1法兰与管子的装配连接
法兰与管子的装配质量不但影响管道连接处的强度和严密度, 而且还影响整条管线的倾心度。
因而, 在向管子上装配法兰, 必须符合下列基本要求。
⑴、法兰中心应与管子的中心同在一条直线上。
⑵、法兰密封面应与管子中心垂直。
⑶、管子上法兰盘螺孔的位置应与相配合的设备或管件上法
兰螺孔位置对应一致, 同一根管子两端的法兰盘的螺孔位
置应对应一致。
4.2法兰与管体的焊接采用承插焊
承插焊的优点:
没有打破口的问题, 没有对口错边的问题, 可将焊接位置调整为平焊。
采用CO₂气体保护焊进行焊接。
焊前准备:
a 焊接材料选用直径为1.2mm的H08Mn2SiA焊丝。
为
消除气体和杂气, 应使用倒置过的气体, 瓶装气体在翻
转架上进行倒置。