产品包装设计规范标准[详]
- 格式:doc
- 大小:440.00 KB
- 文档页数:19
包装设计规范1.设计原则:满足客户要求:所有包装设计必须满足客户要求,在没有征得客户同意下,不可私自作有关改动,如发现客户要求有较大问题时,可同客户交流后由客户定夺;低成本原则:包装设计时要做到成本最低,效果最好.例如:在条件允许的情况,能用B-B,则不用B=B,因B=B的价格较贵.同时尽量减少使用蛋格、卡板、白盒、地盒等;卡通的外形尺寸,必须和货柜尺寸40尺柜××2.3M,20尺柜××2.3M匹配, 以免货柜的高、宽、长方向有较大多余空间,增加运输成本;同时,在单批整 Lot出货的包装设计时要考虑到该落货物能否刚好用 20尺柜或40尺柜装完,不可还有一些零头出,否则又要增加一货柜,使运输成本大大增加;安全原则:包装设计时必须充分考虑包装材料对机体保护的安全性,不致因正常的运输、振动、承载等外界作用致使包装失败;例如:主卡通应采用高于B=B的材质:重量较大的主卡通必须用B≡B材质;电器、仪器等产品的包装须采用发泡胶包装,以达到缓振、平稳的作用,使机内的电子元件不因受过度的外力作用而失效;当采用吸塑包装时,吸塑表面应用雪梨纸保护,以防吸塑表面刮花;对于光洁度要求较高产品的表面,要用保护膜加以保护如玻璃表面、透明LENS表面、易刮花的五金表面等;在设计玩具类产品的包装时,不允许用订书机钉等尖利材料连接卡通,需用胶水粘接方式,以免对儿童造成伤害;体积最小原则:为了节省运输成本,做到便携、易搬运,故在进行包装设计时,须从包装方法上考虑,尽量使用包装体积最小,例如:用吸塑卡包装时,若同向层叠放置,体积为1;若反向对折放置,则总体积可能缩小为2/3;易装易取原则:包装设计时要考虑作业者在装箱和拆箱时便捷、流畅,不要因设计缺陷而致使作业者很难操作,例如:在采用泡泡袋包装时,如果泡泡尺寸和成品机外形尺一样,则成品机很难装进或取出,因此设计时可考虑适当加大尺寸10~20m;重量、数量适中原则:一般卡通箱的总重量应在20kg以下,以搬运工可搬运为原则;外形尺寸也应以一般人可搬取为原则,不可太大,每卡通所装之成品机数量一般为打数或其倍数,如6、12、24、48等,也可以整数,如10、20、50等,以方便计算;重心最低原则:在进行包装设计时,要使机体的重心最低,以增加稳定性,同时也应使主箱重心可能低;一般情况下,主箱的长、宽方向尺寸,均应大于主箱高度方向尺寸;2. 设计包装方式按包装箱搭配方式分类:2.1.1 卡通盒包装:直接将成品机放入卡通内包装,一般成品机应装在胶袋在胶袋或泡泡袋内;卡通+内盒或白盒包装:将成品机及说明书等先装在内盒或白盒内,再装入卡通中;卡通+蛋格+平卡或地盒包装:将蛋格放入卡通内,再将成品机放入蛋格内,若多层则用平卡或地盒将各层分开;卡通+发泡胶包装:用发泡胶将成品机夹紧后装入主卡通内,如电器类产品;按成品机直接被包装的方式分类:胶袋包装:将成品机等放入胶袋内,再装入其他包装材料中;泡泡袋包装:将成品机等放入泡泡袋内,再装入其他包装材料中;吸塑,彩卡包装:将成品机放入吸塑槽内,然后插入彩卡,再装入其他包装材料中;热塑包装:将成品机放在吸塑罩内,再放入说明书,彩卡等物,然后盖上另一半吸塑罩,用高周波或热变形将其结合;裸机包装:直接将成品机装入其他包装材料中;按成品机在箱内的相对放置分类:平放如图:竖放:层叠放置:对称放置:散装无要求:3.箱唛设计要素:箱唛设计一般根据客户要求确定,其设计主要考虑以下几方面内容: 客户CUSTOMER:如MARTEC产品型号MODEL:如535T净重 .:成品机总重量毛重.:主卡通总重量体积CBM:长×宽×高单位数量QTY:如24产地: MADE IN CHINAUL认证号防潮、防水、易碎、防倒置标志海关 BARCODE日期代码 DATE CODE箱号 CTN4.包装材料:包装箱材料一般有以下几种;B-B厚3.5mm; A-A 厚3.5mm;K-K 厚3.5mm,多用于内箱;B=B厚6.5mm; A=A 厚6.5mm;K=K 厚7mm;多用于外箱;B≡B厚 10mm, 用于外箱;白盒W3A 厚3mm,内黄外白;白盒W9B 厚1.5mm,内白外白;白盒W3W 厚3mm,内白外白;5.包装明细表要求:包装总图要求形成包明细表,详细列明有关包装组成部分的详细资料,应包含有关对应包装关系指示编号、物料P/No.、物料名称、材质、用量等信息;6.设计评审要求:设计方案的确认,须以客的 APPROVAL单为准,同时还要经过以下过程:振机试验:所有包装均需给 QA做振动试验:振幅中等,时间一般为2小时.跌落试验DROP TEST:所有包装均需给QA做DROP TEST一角三边六面.确认:当QA试验通过后,工程部需出EAN,SER确认包装物料及供应商.。
食品公司产品包装标准规范一、引言食品公司作为生产和销售食品的企业,在产品包装方面应该高度重视,确保产品包装符合标准规范,以满足消费者对于产品质量和安全的需求。
本文将对食品公司产品包装的标准规范进行详细探讨,以帮助企业建立符合要求的包装标准。
二、包装设计1. 包装材料选择食品公司应选用符合国家相关标准的食品包装材料,如塑料、纸张、金属等。
在选择包装材料时,应综合考虑其防腐性、防潮性、耐热性、耐寒性等特点,确保产品的新鲜度和品质不受损。
2. 包装尺寸和形状对于不同食品产品,食品公司在设计包装尺寸和形状时应考虑以下几个方面:- 产品的体积和重量,确保包装尺寸合理、适宜携带和储存;- 产品的易开封性,便于消费者打开包装;- 包装的美观性,吸引消费者的目光;- 包装的稳定性,防止产品在运输过程中受损。
3. 包装标签设计包装标签是食品产品包装中必不可少的一部分,它应包含以下几个重要信息:- 产品名称和品牌标识,便于消费者识别和选择;- 生产日期和保质期,确保消费者购买到新鲜的产品;- 配料表和营养成分,符合相关法规和标准;- 使用方法和警示语,提示消费者正确使用产品。
三、包装操作1. 包装环境要求食品公司在产品包装操作中应确保包装环境的卫生和清洁。
包装操作区域应定期清洁和消毒,以防止产品被污染。
操作人员应佩戴洁净工作服和手套,避免直接接触食品。
2. 包装工艺规范食品公司应根据产品的特性和要求,制定相应的包装工艺规范。
包装工艺规范应包括以下内容:- 包装速度和包装单位数量,确保生产效率和产品质量;- 包装密封性和外观质量,确保包装完好且符合美观要求;- 包装标签粘贴位置和方法,确保标签清晰可见。
3. 包装检查和质量控制食品公司应设立专门的包装检查岗位,对产品包装进行检查和质量控制。
包装检查应包括以下内容:- 包装外观检查,确保包装无破损、变形等问题;- 包装标签检查,确保标签信息准确齐全;- 包装密封性测试,确保包装密封良好,防止产品变质。
产品包装设计规范标准[详]产品包装规范1、⽬的:为了规范公司产品包装作业的运作,保证产品能满⾜环境试验的要求,保护产品在运输中不受破坏,特制定本规范。
2、范围:本规范适⽤于公司所有产品的包装作业之运作,主要是针对纸箱包装件的质量标准给予合理规范。
3、引⽤标准GB6543 ⽡楞纸箱GB6544 ⽡楞纸板GB 13023 ⽡楞原纸GB 13024 箱纸板GB 5033 出⼝产品包装⽤⽡楞纸箱GB 5034 出⼝产品包装⽤⽡楞纸板GB/T6546 ⽡楞纸板边压强度的测定法GB/T 6545 ⽡楞纸板耐破强度的测定法GB/T 4857.1 试验时部位标⽰⽅法GB/T 4857.3 运输包装件静载荷堆码试验⽅法GB/T 4857.5 跌落试验⽅法GB/T 4857.10 运输包装件正弦振动试验⽅法4、基本要求⑴、为了保护产品之塑料,⾦属等基本⾯免受破坏,对产品加胶袋包装。
⑵、为了缓冲产品在运输过程中产⽣的冲⼒,要对产品加强保护,需加衬垫或彩盒包装。
⑶、按照客户包装要求进⾏包装。
5、包装材料5.1、⽡楞纸板的种类⑴、单⾯⽡楞纸板单⾯⽡楞纸板是由⼀张⾯纸和⼀张⽡楞纸粘合⽽成的。
⑵、三层⽡楞纸板三层⽡楞纸板也称单⽡楞纸板。
是在⼀张⾯纸和⼀张⾥纸之间粘⼀张⽡楞纸⽽形成的。
⑶、五层⽡楞纸板五层⽡楞纸板也称双⽡楞纸板。
是在⾯纸、芯纸、⾥纸之间粘⼆张⽡楞纸⽽形成的。
⑷、七层⽡楞纸板七层⽡楞纸板也称三⽡楞纸板。
是在⾯纸、芯纸、⾥纸之间粘三张⽡楞纸⽽形成的。
⑸、⽡楞纸板的楞型应符合下表的规定:⽡楞种类 A B C E楞⾼(mm) 4.5~5.0 2.5~3.0 3.5~4.0 1.1~2.0楞数(个/300mm)34±2 50±2 38±2 96±4楞形分类:楞形特点U形缓冲性好V形强度⾼⑹、单⽡楞纸板厚度应⾼于上表所规定的下限值;双⽡楞纸板厚度应⾼于上表所规定相应两种楞型楞⾼下限值之和。
产品包装标准产品包装是产品销售过程中不可或缺的一环,好的产品包装能够提升产品的形象,增加产品的附加值,吸引消费者的注意力,从而提高产品的销售量。
因此,制定产品包装标准是非常重要的,下面我们将就产品包装标准进行详细介绍。
首先,产品包装的标准应包括以下几个方面,包装材料、包装设计、包装尺寸、包装标识等。
在选择包装材料时,应考虑到产品的特性,避免使用对产品有害的材料,同时要保证包装材料的质量和安全性。
包装设计应符合产品的定位和消费者的喜好,能够吸引消费者的眼球,激发购买欲望。
包装尺寸要适合产品的大小,既要保护产品,又要方便携带和存储。
包装标识要清晰明了,包括产品名称、规格、生产日期、保质期等信息,以及相关的认证标志和警示标识。
其次,产品包装标准的制定应遵循以下原则,科学性、安全性、经济性和环保性。
科学性是指包装标准应基于科学的依据,结合产品的特性和市场需求进行合理制定,不能盲目跟风或随意制定。
安全性是指包装标准应保证产品在包装过程中不受到污染和损坏,同时要保证包装材料和设计不会对消费者造成伤害。
经济性是指包装标准应考虑到成本和效益的平衡,既要保证产品的包装质量,又要尽量减少包装成本。
环保性是指包装标准应符合环保要求,尽量减少包装废弃物对环境造成的污染,提倡可循环利用和可降解的包装材料。
最后,产品包装标准的执行需要全面推进,包括产品生产、包装设计、包装材料采购、包装生产、包装标识等环节,都要严格按照标准执行,确保产品包装的质量和安全性。
同时,还需要加强对产品包装标准的宣传和培训,提高相关人员的包装意识和质量管理水平,确保产品包装标准的有效执行。
总之,产品包装标准的制定和执行对于企业的产品质量和品牌形象至关重要,只有严格执行标准,才能保证产品包装的质量和安全性,提升产品的竞争力,赢得消费者的信赖和青睐。
希望各企业能够高度重视产品包装标准,不断完善和提升产品包装质量,为消费者提供更优质的产品和服务。
产品包装规范管理引言概述:产品包装在现代商业中扮演着重要的角色,它不仅仅是保护产品的一种手段,更是展示品牌形象和吸引消费者的重要因素。
为了确保产品包装的质量和一致性,产品包装规范管理变得至关重要。
本文将介绍产品包装规范管理的重要性,并详细阐述其五个关键方面。
一、包装设计规范1.1 色彩和标识规范:包装设计应遵循品牌的色彩和标识规范,确保与品牌形象一致。
色彩应准确传达产品的特性和定位,标识要清晰可辨,以便消费者能够轻松识别产品。
1.2 材料和尺寸规范:包装材料应符合产品的特性和要求,例如食品类产品需要使用符合食品安全标准的材料。
尺寸规范要考虑产品的大小和形状,确保包装适合产品的尺寸和外观。
1.3 创新和可持续性:包装设计应注重创新,以吸引消费者的眼球,同时也要考虑可持续性。
采用环保材料和可回收包装可以减少对环境的负面影响,并提升品牌形象。
二、包装印刷规范2.1 印刷质量控制:包装印刷要保证质量一致,颜色准确。
印刷品的色彩、清晰度和对比度等方面要符合规范要求,以确保产品包装的视觉效果。
2.2 印刷工艺和技术:选择适合的印刷工艺和技术,确保包装的印刷效果和质量。
不同的产品可能需要不同的印刷方式,例如柔性包装需要采用柔性印刷技术。
2.3 包装标签和条码:包装上的标签和条码要符合相关标准,以确保产品的追溯性和管理。
标签和条码的印刷质量和可读性是保证产品流通的重要因素。
三、包装安全规范3.1 包装材料安全性:包装材料应符合相关标准和法规,确保对产品不会产生污染或危害。
特别是食品和药品类产品的包装材料,需要符合食品安全和药品安全的要求。
3.2 包装标识和警示:包装上的标识和警示要明确、准确,以提醒消费者使用和储存的注意事项。
特殊产品如易碎品或有毒品需要在包装上做出明确的标识和警示。
3.3 包装测试和验证:对包装进行测试和验证,确保其能够承受运输和储存过程中的冲击和压力。
包装的密封性、耐久性和稳定性都需要进行测试,以确保产品的安全性。
产品包装准则和要求1. 引言本文档旨在详细阐述产品包装的设计、制作、检验和储存等方面的准则与要求。
所有相关部门和供应商都应严格遵循本准则,以确保产品包装的品质、功能和安全性。
2. 包装设计2.1 设计原则- 符合产品特性和市场需求:包装设计需充分考虑产品的性质、用途及目标消费者的需求。
- 创新与实用相结合:在确保产品安全、便于运输和存储的前提下,力求包装设计具有创新性和吸引力。
- 环保意识:在包装材料选择和设计过程中,应充分考虑环保要求,减轻对环境的影响。
- 成本控制:在满足产品质量和功能的前提下,合理控制包装成本。
2.2 设计内容- 结构设计:确保产品在运输、储存和销售过程中的安全,便于搬运和陈列。
- 视觉设计:符合品牌形象,突出产品特点,吸引消费者注意力。
- 信息设计:清晰、准确地传达产品信息,包括产品名称、规格、成分、生产日期等。
3. 包装材料3.1 材料选择- 符合产品性质:根据产品的特性和要求,选择合适的包装材料。
- 安全无害:所选材料需符合国家相关安全标准,不得含有有害物质。
- 环保要求:优先选择可降解或可循环利用的材料。
- 成本效益:在满足上述要求的前提下,合理控制材料成本。
3.2 材料验收- 供应商资质审核:对材料供应商进行资质审核,确保其生产能力、质量控制等方面符合要求。
- 材料检验:对进厂材料进行检验,确保其符合国家相关标准和公司要求。
4. 包装制作4.1 制作工艺- 确保工艺成熟可靠:选择成熟、可靠的包装制作工艺,确保产品质量和生产效率。
- 严格质量控制:在生产过程中,对每个环节进行严格质量控制,确保包装质量。
4.2 生产现场管理- 环境卫生:确保生产现场清洁、卫生,防止交叉污染。
- 人员培训:对生产人员进行培训,确保其掌握相关技能和知识,遵守操作规程。
5. 包装检验5.1 检验内容- 外观检查:检查包装外观是否符合设计要求,无明显瑕疵。
- 结构检查:检查包装结构是否牢固,确保产品在运输、储存和销售过程中的安全。
产品包装设计制造标准1. 引言产品包装设计是一个综合性的过程,它不仅要考虑产品的外观美观、吸引消费者的眼球,更重要的是确保产品在运输、存储和销售过程中的安全性和可持续性。
本文档详细介绍了产品包装设计制造的标准要求,帮助企业制定合适的包装设计和制造流程,提高产品的竞争力和市场份额。
2. 包装设计标准2.1 产品包装材料选择在进行产品包装设计时,首先需要选择合适的包装材料。
以下是几个常用的包装材料及其特点:•纸板盒:纸板盒是一种常用的包装材料,它具有轻便、环保、易于印刷等特点。
在选择纸板盒时,需要考虑产品的重量、尺寸和保护要求。
•塑料材料:塑料材料包括聚乙烯(PE)、聚丙烯(PP)等。
塑料包装具有耐磨、抗水、可回收利用等优点,适用于包装化妆品、饮料等产品。
•金属材料:金属材料包括铁、铝等,具有强度高、耐压、防潮性能好等特点。
金属包装适用于食品、药品等产品。
在选择包装材料时,需要考虑产品的特点、目标市场的需求以及环境保护等因素。
2.2 包装设计原则好的包装设计应该满足以下几个原则:•保护性:包装设计要能够保护产品在运输和储存过程中不受损坏。
确保包装材料的强度、耐久性和防水性能,以及合理的缓冲措施。
•销售促进:包装设计是产品的外在形象,能够吸引消费者的注意力。
优秀的包装设计能够提升产品的销售额,增加市场竞争力。
•环保可持续:包装材料应该尽量选择可回收利用和可降解的材料,减少对环境的影响,符合可持续发展的要求。
•便于使用:包装设计应该考虑到产品的使用方便性,方便消费者开启、关闭和存储产品。
2.3 包装设计流程包装设计流程包括以下几个步骤:1.确定设计目标:明确产品的定位、目标市场和包装设计的目标,制定明确的设计要求。
2.搜集资料:收集相关产品的包装设计资料,包括竞争产品的包装设计、市场调查等。
3.创意设计:根据设计目标和资料,开展包装设计创意的阶段,进行多样化的设计尝试,选出满足需求的设计方案。
4.设计评审:对设计方案进行评审,评估其符合设计目标、可行性和可生产性。
化妆品包装设计规范手册第一章:总则 (3)1.1 设计原则 (3)1.2 设计标准 (4)第二章:包装材料选择 (4)2.1 材料分类 (4)2.1.1 塑料类 (5)2.1.2 玻璃类 (5)2.1.3 金属类 (5)2.1.4 纸质类 (5)2.1.5 其他新型材料 (5)2.2 材料特性 (5)2.2.1 物理功能 (5)2.2.2 化学稳定性 (5)2.2.3 封闭功能 (5)2.2.4 安全性 (5)2.3 材料环保要求 (5)2.3.1 减量化 (6)2.3.2 可回收性 (6)2.3.3 降解性 (6)2.3.4 低碳环保 (6)第三章:结构设计 (6)3.1 结构类型 (6)3.1.1 瓶体结构 (6)3.1.2 盖体结构 (6)3.1.3 喷头结构 (6)3.1.4 包装盒结构 (6)3.2 结构设计原则 (6)3.2.1 功能性原则 (6)3.2.2 美观性原则 (6)3.2.3 创新性原则 (7)3.2.4 环保性原则 (7)3.3 结构安全要求 (7)3.3.1 材料安全 (7)3.3.2 结构稳定性 (7)3.3.3 易开性 (7)3.3.4 密封性 (7)3.3.5 防潮、防霉 (7)3.3.6 抗压性 (7)第四章:外观设计 (7)4.1 色彩搭配 (7)4.2 图形设计 (8)第五章:标签与说明书设计 (9)5.1 标签设计 (9)5.1.1 设计原则 (9)5.1.2 设计要素 (9)5.1.3 设计要求 (9)5.2 说明书设计 (10)5.2.1 设计原则 (10)5.2.2 设计要素 (10)5.2.3 设计要求 (10)5.3 标签与说明书的法律法规要求 (10)第六章:印刷工艺 (11)6.1 印刷方式 (11)6.1.1 平版印刷 (11)6.1.2 凹版印刷 (11)6.1.3 丝网印刷 (11)6.1.4 热转印 (11)6.2 印刷质量要求 (11)6.2.1 印刷精度 (11)6.2.2 墨色均匀 (11)6.2.3 色彩还原 (12)6.2.4 表面处理 (12)6.3 印刷成本控制 (12)6.3.1 材料选择 (12)6.3.2 印刷工艺 (12)6.3.3 印刷数量 (12)6.3.4 人工成本 (12)6.3.5 管理优化 (12)第七章:包装盒设计 (12)7.1 盒型选择 (12)7.1.1 选择原则 (12)7.1.2 常见盒型 (13)7.2 盒型结构设计 (13)7.2.1 结构设计原则 (13)7.2.2 结构设计要点 (13)7.3 盒型外观设计 (13)7.3.1 外观设计原则 (13)7.3.2 外观设计要点 (13)第八章:包装盒成型与加工 (14)8.1 成型工艺 (14)8.1.1 成型方法 (14)8.1.2 成型材料 (14)8.1.3 成型工艺流程 (14)8.2 加工要求 (14)8.2.2 成型质量 (14)8.2.3 加工效率 (15)8.3 成品质量检测 (15)8.3.1 检测项目 (15)8.3.2 检测方法 (15)第九章:包装设计审查与验收 (15)9.1 审查标准 (15)9.1.1 设计合规性审查 (15)9.1.2 设计风格审查 (15)9.1.3 设计元素审查 (15)9.1.4 材料选择审查 (16)9.1.5 结构设计审查 (16)9.2 审查流程 (16)9.2.1 设计提案审查 (16)9.2.2 设计方案审查 (16)9.2.3 设计修改与完善 (16)9.2.4 设计定稿审查 (16)9.3 验收标准 (16)9.3.1 设计文件验收 (16)9.3.2 设计质量验收 (16)9.3.3 材料验收 (16)9.3.4 结构验收 (16)9.3.5 生产过程验收 (17)9.3.6 产品交付验收 (17)第十章:包装设计案例解析 (17)10.1 经典案例 (17)10.1.1 案例一:巴黎世家(Balenciaga)化妆品包装设计 (17)10.1.2 案例二:香奈儿(Chanel)化妆品包装设计 (17)10.2 创新案例 (17)10.2.1 案例一:花西子(Florasis)化妆品包装设计 (17)10.2.2 案例二:YSL(圣罗兰)化妆品包装设计 (17)10.3 案例分析 (18)10.3.1 经典案例分析 (18)10.3.2 创新案例分析 (18)第一章:总则1.1 设计原则化妆品包装设计作为产品形象的重要组成部分,应遵循以下设计原则:(1)符合品牌定位:设计应充分体现品牌特色,与品牌形象保持一致,增强消费者的品牌认知。
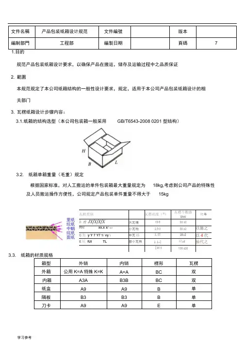
文件名稱产品包装纸箱设计规范文件編號版本編制部門工程部編製日期頁碼7 1.目的规范产品包装纸箱设计要求,以确保产品在搬运,储存及运输过程中之品质保证2. 範圍本规范规定了本公司纸箱结构的一般性设计要求,规定,适用于本公司产品包装纸箱设计的相关部门3. 瓦楞纸箱设计步骤内容:3.2. 纸箱单箱重量(毛重)规定根据国家标准,对人工搬运的单件包装箱最大重量规定为18kg,考虑到公司产品的特殊性及人员搬运操作方便性,公司规定产品包装单件重量不得大于15kg3.3.箱型外销内销楞形瓦楞外箱公用K=A特殊K=K A=A BC双内箱A3A B3B BC双纸盒A9A9B单隔板B3B3B单刀卡A9A9E单3.1.纸箱的结构选型(本公司包装箱一般采用GB/T6543-2008 0201 型结构)瓦楫类别瓦楞高度(™)瓦楞个數曲Shni代号h 朮JXfXfXfX大瓦楞15-53d ±2Rhi xx.x x/ HJT小瓦物 2.5-350 ±2以雜之C加y Y 7 Y7 1/ vy \中瓦IS 3. 5T28+2以4代之E坑fUl TL撤小瓦柿 1.1-2舛±4抽代之〔46 9136 ±20纸纸蜩纸纸里坑中坑面纸箱最外面的那层称为面纸,最里内的纸称为里纸,中间凹凸不平的纸为坑纸,两坑 纸中间纸称为隔纸,其材质表达方式为:◊前面的字母(如K,A,B )表示为面纸纸质◊中间符号(如=表示瓦楞层数,9表示E 坑幼坑纸,3表示B 坑单瓦楞◊后面表示字母(如K,A,B )表示为里纸纸质◊如K=K,表示为面纸和里纸都是K 纸材质,双层瓦楞纸(默认 BC 组合瓦楞)34依照集装箱配合最优尺寸及堆码方式进行外箱尺寸设计 341.栈板规格规定1100X l100m (单面木质栈板) 3.42外箱标准堆码方式为重叠反交错和旋转交错两种♦重叠式和正反交错堆码方式3.5. 尺寸设计要求3.5.1. 公司外箱公用尺寸为L500mm*B330n ft L370mm*330m S 种,高度依产品包装方式数量及重量决定3.5.2. 其他外箱尺寸管制f 500mm外箱标准设计内尺寸依产品重量及纸质外箱标准设计内尺寸li110mm 330mm1100mm♦旋转交错方式L: 500长宽比:1.5BH:L:370mm B:330mmH BH:依产品重量及纸质长宽比:1.123.521.瓦楞纸箱的尺寸以内尺寸为标准,如需标注外尺寸应在尺寸前加“外”字,单位为毫米(mr)内尺寸就是纸箱内净空尺寸,以长、宽、高顺序表示,字母代号以L、B H表示。
产品外包装国家标准产品外包装是商品的重要组成部分,它不仅是商品的保护罩,更是商品的形象代表。
为了规范产品外包装的设计和制作,我国制定了一系列的国家标准,以确保产品外包装的质量和安全性。
本文将就产品外包装国家标准进行详细介绍。
首先,产品外包装国家标准主要包括了外包装的材料、尺寸、印刷、标识等方面的规定。
在材料方面,国家标准对外包装所使用的材料进行了严格的限制,要求其符合环保、安全、耐用的要求。
在尺寸方面,国家标准规定了不同类型产品外包装的标准尺寸,以确保外包装的适用性和便利性。
在印刷方面,国家标准对外包装上的文字、图案、标识等进行了详细的规定,以确保其清晰、准确、美观。
此外,国家标准还对外包装上的标识要求进行了严格规定,以确保消费者能够清晰地识别产品信息。
其次,产品外包装国家标准还对外包装的质量和安全性进行了严格的要求。
在质量方面,国家标准规定了外包装的承重、耐磨、防水、防潮等性能要求,以确保外包装能够有效地保护产品。
在安全性方面,国家标准对外包装的边缘、尖角、锐利部分进行了严格的限制,以确保外包装在使用过程中不会对消费者造成伤害。
最后,产品外包装国家标准的实施对于企业和消费者都具有重要意义。
对于企业来说,严格遵守国家标准可以提高产品外包装的质量和形象,增强产品的竞争力。
对于消费者来说,国家标准可以保障消费者的权益,确保他们购买到质量安全的产品。
总之,产品外包装国家标准的实施对于规范产品外包装的设计和制作具有重要意义,不仅可以提高产品的质量和形象,还可以保障消费者的权益。
因此,企业应当严格遵守国家标准,确保产品外包装符合相关要求,为消费者提供更加安全、放心的产品。
包装设计要求标准包装设计是产品的外在表现,它不仅仅是为了保护产品,更是为了吸引消费者的注意,传达品牌形象和价值观。
制定包装设计的要求标准对于产品的成功推广和销售至关重要。
下面将从包装设计的目的、原则、要求等方面,详细介绍关于包装设计要求标准。
一、包装设计的目的1. 保护产品:包装的首要功能是保护产品,防止在运输和储存过程中受到损坏,确保产品的完整性和质量不受影响。
2. 吸引消费者:包装设计要具有吸引力,能够吸引消费者的目光,引起消费者的兴趣和购买欲望。
3. 传达信息:包装需要能够清晰地传达产品的名称、功能、特点等信息,帮助消费者更好地了解产品。
4. 提升品牌形象:包装设计要与品牌形象相匹配,能够突出品牌的特点和核心价值观,提升品牌形象和价值感。
二、包装设计的原则1. 突出个性:包装设计要符合产品的特点和定位,突出产品的个性和独特之处,使其在竞争激烈的市场中脱颖而出。
2. 简约明了:包装设计要简洁明了,避免过多的装饰和文字,以免影响产品的美感和信息传达。
3. 安全环保:包装材料要符合安全环保的要求,避免对环境和人体造成危害。
4. 创新性:包装设计要有创新性,不断寻求新的设计理念和元素,与时俱进,符合消费者的审美需求。
三、包装设计的要求1. 符合产品定位:包装设计要与产品的定位相一致,无论是高端产品还是大众消费品,包装都应该符合产品的定位和定位消费者的需求。
2. 体现品牌风格:包装设计要能够充分体现品牌的风格和理念,为消费者传递品牌的独特魅力和价值观。
3. 信息传达清晰:包装上的文字和图案要清晰易懂,能够准确传达产品的名称、用途、特点等信息,避免消费者对产品产生误解。
4. 材质选择合适:包装材料的选择要与产品相匹配,既要能够保护产品,又要具有良好的触感和外观,提升产品的质感和美感。
5. 考虑使用便利性:包装设计要考虑到产品的使用便利性和易开启性,为消费者的使用带来便捷和愉悦感。
四、包装设计的审美要求1. 色彩搭配合理:包装设计的色彩要合理搭配,突出产品的特点和品牌的形象,使消费者一眼就能够被吸引。
包装设计工作规范一、概述包装设计是一门综合性较强的艺术设计,旨在为产品提供吸引消费者目光和传达品牌形象的视觉效果。
本工作规范旨在规范包装设计工作的流程、要求和标准,以确保设计质量和效率。
二、工作流程1.深入了解产品:包装设计师需充分了解产品的特点、定位和目标消费群体。
通过与产品经理、市场部门等进行沟通,确保设计风格与产品相匹配。
2.制定设计策略:包装设计师应根据产品定位和市场需求,确定设计的整体策略,包括色彩搭配、图形元素和文字内容等。
策略应体现品牌特色和差异化。
3.进行创意设计:包装设计师应进行创意探索,提出多个设计方案,与团队成员进行讨论和评估。
在设计过程中要注意贴合包装材料和生产工艺,保证设计可行性。
4.选定最佳方案:根据评估和讨论的结果,包装设计师与相关人员共同确定最佳设计方案。
方案选定后,设计师要尽快进行细化和完善。
5. 制作设计方案:包装设计师需使用专业设计软件进行设计方案的制作,包括外包装、内标贴、产品logo等。
设计过程中要保证图文清晰、色彩亮丽。
6.反馈和修订:设计方案制作完成后,包装设计师应向相关人员进行展示和反馈。
根据反馈意见,及时进行修订和改进,确保设计符合要求。
7.输出设计文件:包装设计完成后,设计师需按照规范要求,将设计文件整理输出,并交付给印刷厂或生产部门进行生产。
三、工作要求1.创新性:包装设计师应注重创新,提供与竞争产品差异化的设计方案。
设计风格要符合品牌定位,同时具有吸引力和独特性。
2.规范化:包装设计师需熟悉相关法律法规和标准,遵循设计伦理,确保设计作品不侵权、不误导消费者,并符合行业规范。
3.多样性:包装设计师应具备多样化的设计风格和表现手法,能根据不同产品特点和目标消费群体进行设计,满足市场需求。
4.协作性:包装设计师应与产品经理、市场部门等密切合作,进行信息共享和项目协调。
能及时接受和反馈意见,并根据需求进行调整。
5.技术能力:包装设计师应掌握专业设计软件的操作技巧,并了解包装材料和生产工艺的基本知识,以便在设计过程中考虑可行性。
包装要求标准一、前言。
包装是产品的外在表现,是企业形象的一部分,更是产品销售的重要环节。
因此,制定包装要求标准对于产品的质量和企业形象至关重要。
本文将就包装要求标准进行详细介绍,以期为大家提供一些有益的参考。
二、包装材料要求。
1. 包装材料应符合国家相关标准,保证安全无害。
2. 包装材料应具有一定的抗压、防潮、防震、防磨损等性能,以保证产品在运输过程中不受损坏。
3. 包装材料应具有良好的印刷性能,能够清晰地展示产品信息和企业形象。
三、包装设计要求。
1. 包装设计应符合产品的特点和定位,突出产品的卖点,吸引消费者的注意。
2. 包装设计应简洁明了,信息传达清晰,避免出现过多的文字和图案,以免造成视觉混乱。
3. 包装设计应考虑到产品的使用方便性,便于消费者打开、取用和储存。
四、包装标识要求。
1. 包装标识应包括产品的名称、规格、生产日期、保质期等基本信息,确保消费者能够清晰地了解产品。
2. 包装标识应符合国家相关法律法规,避免出现虚假宣传和误导消费者的情况。
3. 包装标识应具有一定的防伪功能,以防止假冒伪劣产品的出现。
五、包装成本控制要求。
1. 包装成本应在保证产品质量和形象的前提下尽可能控制在合理范围内,避免因为过高的包装成本导致产品价格过高而影响销售。
2. 包装成本应与产品销售定价相匹配,确保企业的利润空间。
六、包装环保要求。
1. 包装材料应尽可能选择可降解、可回收的环保材料,减少对环境的污染。
2. 包装设计应尽量减少不必要的包装,减少资源浪费。
七、包装检验要求。
1. 包装应符合国家相关标准和企业内部的包装要求标准,确保包装质量。
2. 包装应经过严格的检验和测试,确保在运输和储存过程中不会出现问题。
八、结语。
制定包装要求标准对于企业来说至关重要,不仅可以保证产品的质量和形象,还可以提升产品的竞争力。
希望本文所述的包装要求标准能够为大家提供一些有益的参考,使大家在产品包装方面能够更加规范和专业。
产品包装规范管理引言概述:产品包装是企业将产品进行保护、展示和传达信息的重要手段。
规范的产品包装管理可以提高产品形象、增加产品竞争力,并确保产品在运输和储存过程中的安全性。
本文将从五个方面详细介绍产品包装规范管理的重要性和实施方法。
一、包装设计1.1 产品定位:根据产品的特性和目标市场,确定产品包装的定位。
例如,高端产品的包装设计应注重奢华感和品质感,而大众消费品的包装设计则更注重实用性和经济性。
1.2 包装材料选择:根据产品的性质和包装要求,选择合适的包装材料。
例如,易碎品应选择具有缓冲性能的材料,食品类产品应选择符合卫生标准的材料。
1.3 包装设计原则:包装设计应符合以下原则:吸引消费者注意、突出产品特点、易于识别和使用、方便运输和储存。
二、包装标识2.1 产品信息标识:在产品包装上清晰地标注产品的名称、规格、生产日期、保质期等信息,以便消费者购买和使用。
2.2 警示标识:对于有特殊使用要求或者潜在风险的产品,应在包装上标注相应的警示标识,以提醒消费者注意安全。
2.3 环保标识:在包装上标注符合环保标准的标识,如绿色包装标志,以体现企业的环保责任和形象。
三、包装质量控制3.1 包装材料质量:对采购的包装材料进行质量检验,确保其符合相关标准和要求。
3.2 包装工艺控制:对包装过程进行严格的控制,确保包装质量符合要求。
例如,对包装箱的尺寸、印刷质量、胶带粘合等进行检查。
3.3 包装检测:对包装后的产品进行抽样检测,检查包装是否完好、符合要求,并进行相应的纠正措施。
四、运输和储存管理4.1 运输包装:对于需要长途运输的产品,应选择适当的运输包装,确保产品在运输过程中不受损。
4.2 储存环境:对于需要储存的产品,应提供适宜的储存环境,如温度、湿度等条件,以保证产品的质量和安全。
4.3 仓储管理:对储存的产品进行分类、标识和管理,确保产品的及时出库和库存管理的准确性。
五、包装废弃物处理5.1 环保意识培养:加强员工的环保意识培养,提倡节约用纸、用包装材料。
产品包装合格准则
产品包装对于产品的保护和宣传起着至关重要的作用。
在制定
产品包装合格准则时,需要考虑以下几个方面:
1. 合规性要求
- 包装材料必须符合国家相关法律法规的要求,例如食品包装
必须符合食品安全法规。
- 包装上的标识和文字必须真实准确,不得存在欺骗性。
2. 安全性要求
- 包装材料应符合相关的安全标准,不得对产品的安全造成威胁。
- 包装设计应考虑到产品的使用安全,避免尖锐或易碎的部分
对消费者造成伤害。
3. 环保要求
- 包装材料应尽量选择可回收利用的材料,减少对环境的影响。
- 包装设计应考虑减少材料浪费,避免过度包装。
4. 宣传效果
- 包装设计应符合产品定位和目标消费群体的需求,能够有效
传达产品信息。
- 包装应具有吸引力,能够吸引消费者的注意并产生购买欲望。
5. 质量控制
- 包装生产过程需要建立质量控制体系,确保包装的质量稳定
可靠。
- 对包装材料和设计进行定期检测,确保符合要求。
以上是产品包装合格准则的一些主要方面,制定合格的产品包
装准则对于保障产品质量和消费者权益至关重要。
包装规范及包装标准包装规范及包装标准是指在产品生产过程中,对产品包装所需遵循的一系列规范和标准。
良好的包装规范和标准可以保证产品在运输、储存和销售过程中的安全性和完整性,同时也能提升产品的形象和竞争力。
在本文中,我们将详细介绍包装规范及包装标准的相关内容,以及在实际生产中的应用。
首先,包装规范是指对产品包装过程中所需遵循的一系列规范和要求。
在产品包装的过程中,需要严格按照相关规范进行操作,以确保产品包装的质量和安全性。
包装规范通常包括包装材料的选择、包装工艺的要求、包装尺寸的规定等内容。
在选择包装材料时,需要考虑产品的特性和需求,选择合适的材料来保护产品。
同时,在包装工艺方面,需要确保包装操作规范、环保、安全,以及符合相关法律法规的要求。
此外,包装尺寸的规定也是包装规范的重要内容,需要根据产品的尺寸和形状,合理确定包装尺寸,以确保产品的安全和美观。
其次,包装标准是指对产品包装质量和性能的一系列标准和要求。
包装标准通常包括包装材料的质量标准、包装结构的要求、包装性能的测试方法等内容。
在包装材料的质量标准方面,需要根据产品的特性和使用环境,选择符合相关标准的包装材料,以确保产品的安全和质量。
同时,在包装结构的要求方面,需要根据产品的特性和需求,设计合理的包装结构,以确保产品在运输和储存过程中的安全性。
此外,包装性能的测试方法也是包装标准的重要内容,需要通过各种测试方法来检测包装的性能指标,以确保产品包装的质量和安全性。
在实际生产中,包装规范及包装标准的应用非常重要。
首先,生产企业需要建立健全的包装管理体系,制定并执行严格的包装规范和标准,确保产品包装的质量和安全性。
其次,生产企业需要加强对包装材料和包装工艺的控制,选择合适的包装材料和工艺,以确保产品包装的质量和安全性。
同时,生产企业还需要加强对包装标准的执行和监督,通过各种测试方法来检测包装的性能指标,及时发现和解决包装质量问题,确保产品包装的质量和安全性。
产品包装规范1、目的:为了规范公司产品包装作业的运作,保证产品能满足环境试验的要求,保护产品在运输中不受破坏,特制定本规范。
2、范围:本规范适用于公司所有产品的包装作业之运作,主要是针对纸箱包装件的质量标准给予合理规范。
3、引用标准GB6543 瓦楞纸箱GB6544 瓦楞纸板GB 13023 瓦楞原纸GB 13024 箱纸板GB 5033 出口产品包装用瓦楞纸箱GB 5034 出口产品包装用瓦楞纸板GB/T6546 瓦楞纸板边压强度的测定法GB/T 6545 瓦楞纸板耐破强度的测定法GB/T 4857.1 试验时部位标示方法GB/T 4857.3 运输包装件静载荷堆码试验方法GB/T 4857.5 跌落试验方法GB/T 4857.10 运输包装件正弦振动试验方法4、基本要求⑴、为了保护产品之塑料,金属等基本面免受破坏,对产品加胶袋包装。
⑵、为了缓冲产品在运输过程中产生的冲力,要对产品加强保护,需加衬垫或彩盒包装。
⑶、按照客户包装要求进行包装。
5、包装材料5.1、瓦楞纸板的种类⑴、单面瓦楞纸板单面瓦楞纸板是由一张面纸和一张瓦楞纸粘合而成的。
⑵、三层瓦楞纸板三层瓦楞纸板也称单瓦楞纸板。
是在一张面纸和一张里纸之间粘一张瓦楞纸而形成的。
⑶、五层瓦楞纸板五层瓦楞纸板也称双瓦楞纸板。
是在面纸、芯纸、里纸之间粘二张瓦楞纸而形成的。
⑷、七层瓦楞纸板七层瓦楞纸板也称三瓦楞纸板。
是在面纸、芯纸、里纸之间粘三张瓦楞纸而形成的。
楞形特点U形缓冲性好V形强度高⑹、单瓦楞纸板厚度应高于上表所规定的下限值;双瓦楞纸板厚度应高于上表所规定相应两种楞型楞高下限值之和。
加工瓦楞纸板使用的主要材料是箱板纸和瓦楞原纸。
应符合GB13023《瓦楞纸板》、GB13024《箱纸板》的规定。
⑺、瓦楞纸板的含水率应在14±4%的范围内。
`⑻、瓦楞纸板表面平整、清洁,不许有缺口、薄边。
切边整齐,粘合牢固,其脱胶部分之和每平方米不大于20cm2。
于纸板水分的测定法测定〉。
P=K*G(H/h–1)*9.8其中:P–抗压力值,N;K–劣变系数(强度系数),见下表;G–单件包装毛重,kg;H–堆积高度,m;H/h–取整数位。
注:5.1.1、分类:⑴、瓦楞纸箱按照所使用瓦楞纸板不同的种类,包装内装物的最大重量及箱内尺寸之和分为(见表1)。
⑵、Ⅰ类箱主要用于出口及贵重或要求较高产品的运输包装,Ⅱ类箱主要用于国内或短途运输包装。
5.1.2、基本箱型和代号⑴、开槽型纸箱(02型)基本上由一片瓦楞纸板组成,通过钉合或粘合方法将接缝封合制成,由顶部及底部折片(俗称上、下摇盖)构成箱底和箱盖。
⑵、套合型纸箱由几页箱坯组成的箱,其特点是箱体与顶盖、底盖分开。
⑶、折叠型通常由一片瓦楞纸组成,折叠而成箱的底、侧面和箱盖,不用钉合或粘合。
⑷、可根据产品的需求或制造费用按其型式制造。
5.1.3、尺寸规格⑴、用纸箱的内尺寸:长、宽、高表示规格,并按下列顺序代号给出尺寸,单位用(mm)。
a.长度(L):箱内底面积长边尺寸b.宽度(B):箱内底面积短边尺寸c.高度(H):箱内顶面到底面尺寸⑵、根据内装物重量和尺寸,优先选用本公司指导性技术文件。
注:根据被包装产品的特点也可选用其它尺寸箱。
⑶、纸箱的比例一般采用:长、宽之比不大于2.5:1;高、宽之比不大于2:1。
5.2、白板纸/铜版纸5.2.1、纸张成分胶料木质素色料填料纤维素(植物纤维)纸张的成分5.2.2、纸张基本术语• 基重/定量/克重:指单位面积纸的质量,单位为g/m2。
• 令:纸张数量计算单位,一般所称一令为500张。
• 令重:每令纸之重量• 正度纸:意为正常尺寸或常见尺寸的平板纸,尺寸为787mm*1092mm • 大度纸:意为比正度大一些的平板纸,尺寸为889mm*1194mm • 纸张的其他一些技术参数有:耐折度(次数)、撕裂度(N )、白度(%)、光泽度(%)、平滑度(s )、表面强度(m/s )等。
5.2.3、白板纸单面白板纸,简称白板纸;正面为白色,背面一般显灰色。
白板纸是由多层纸页叠合而成,故需要几种质量不同的浆料,正面用上等的漂白硫酸盐木浆,中间用低等的废纸浆、草浆,背面用中等的苇浆、废纸浆。
单面涂布白板纸是在白板纸表面上涂布一层由白色颜料、胶粘剂及各种辅助添加剂组成的涂料,经干燥、压光而成。
与白板纸相比,其光泽度、平滑度、印刷适性等印刷性能都有明显提高,故这种纸大有逐步取代白板纸的趋势。
并且单面涂布白板纸物理强度高,具备挺度好、耐压、耐冲击、耐折裂、抗撕裂、不离层等特点,适应粘贴、模切、压线等机械制盒要求。
主要用途:广泛应用于彩色印刷和制盒包装。
5.2.4、铜版纸铜版纸又名印刷涂布纸或简称涂布纸。
铜版纸是以100%的漂白化学木浆、磨木浆或者掺用部分漂白草浆为原料抄造而成的原纸表面上,涂布由白色颜料、胶粘剂及各种辅助添加剂组成的涂料,经干燥和超级压光而成。
通常讲的铜版纸是指双面铜版纸。
铜版纸的特点在于:纸面洁白匀整、平滑度高、光泽度好,适合于精美彩色印刷。
主要用途:印刷各种彩色画报、画册;书刊封面、插图;精美的商品广告、样本;商品包装装潢图案、美术画片;以及彩色报纸、宣传画等。
用途十分广泛。
5.3、不干胶材料 5.3.1、概述及结构不干胶材料也叫自粘标签纸、压敏纸等,是以纸张、薄膜或特种材料为面料、背面涂有粘合剂、以涂硅油保护纸为底纸的一种复合材料;并且经过印刷、模切等加工后可制成成品标签。
5.3.2、种类⑴、铜版纸:印刷再现性优良,成本低廉,常用于大批量瓶罐类标贴、外箱标贴。
⑵、消银龙:质感厚实、有金属外观、耐油抗污性能好,多用于电子产品和机器的认证商标、仪表的标识标贴。
⑶、PVC 材料:防水性能好、不易撕裂、常用于沐浴露、洗发精等产品的外包装商标。
⑷、PP 材料: ⑸、其他5.3.3、性能⑴、180°剥离强度:在规定的剥离条件下,使胶接试样分离时单位宽度所能承受的载荷,单位KN/m 。
⑵、初粘性:不干胶与物体以微小压力发生短暂接触时,对物体的黏附作用。
⑶、持粘性:不干胶抵抗位移的能力。
⑷、隔离性:面纸与底纸的隔离效果5.4、塑料片材 5.4.1、种类目前吸塑罩所常用的塑料片材共有以下几种: 硬质PVC 、PET (包括APET 、GPET )。
其中以硬质PVC片材应用最为广泛,但因目前世界环保要求越来越高,PET类片材越来越被广泛应用。
塑料片材与塑料薄膜的区别在于厚度和刚度方面,而塑料片材与塑料板材的区别主要在于厚度(t): t<0.25mm 称为薄膜0.25<t<1mm 称为片材t>1mm 称为板材塑料片材的制作主要有三种生产工艺:流延法、压延法和挤出法,最常用的为压延法,即将塑料处于粘流状态下进行压延成型为片材。
5.4.2、常见缺陷介绍⑴、水纹和云雾:因塑化不良,在片材表面形成的类似水波纹和浮云状外观⑵、条纹:塑料制品表面或内部存在的线状条纹缺陷⑶、鱼眼和僵块:树脂在成型过程中没有得到充分塑化而在片材表面形成的粒点或块状物⑷、暴筋:因片材较厚点集中堆迭在一处或由于卷取张力在幅宽面上分布不均匀形成的高于片材其他部位的凸出环。
5.5、纸箱5.5.1、瓦楞纸板技术要求:⑴、制造瓦楞纸箱使用的瓦楞纸板各项技术指标应符合GB6544(瓦楞纸板)的规定,出口产品用瓦楞纸板各项指标应符合GB5034(出口产品包装用瓦楞纸板)的规定。
⑵、粘合瓦楞纸箱使用乙酸乙烯或具有相同粘合效果的其它粘合剂,粘合涂布均匀,粘合接缝处牢固。
⑶、钉合瓦楞纸箱使用镀层的低碳钢扁丝,扁丝不应有锈斑、剥层与其它缺陷,箱钉钉合排列整齐,钉距均匀,钉合处牢固。
⑷、纸箱尺寸偏差(见表2)。
⑸、箱体应方正,表面不允许有明显损坏和污迹,切断口表面裂损宽度不超过8mm⑹、箱面印刷图、字清晰,深浅一致,位置准确,详见图标识。
⑺、瓦楞纸箱底或箱盖经开合180°,往复5次以上,里层和面层不允许有裂缝。
其中 ,h为纸箱高度,C为箱底周长,G为纸箱毛重。
50%的压力,则边压强度应减少40%。
即③、长宽比例超过2:1以及高度超过650mm的纸箱,必须用K=B纸板。
④、针对边压强度远远超出5410N/m,且无法通过堆码试验的产品,请选用其他高强度纸板。
⑤、若纸箱内装物可完全用来承重,如胶辘,则选用纸板时可降低一个等级。
⑥、客户规定用白色纸箱的,请用W=B材质纸板。
5.5.3、纸箱设计⑴、包装材料的选择UV形瓦楞纸板分为A、C、B和E型四种。
A楞型的纸箱承受平面压力性能比B和C楞型差,但其承受垂直压力性能较高:B楞型的瓦楞低又密.故耐垂直压力性能较差。
但平面耐压性能较高;C楞型性能,介于A和B楞型之间既具有良好的缓冲保护性能,又具有一定的刚性:E楞型的纸板具有重虽轻、缓冲性能好、平面抗压强度好等特点,利于直接进行印刷。
⑵、瓦楞纸板的厚度设计瓦楞纸板的厚度是瓦楞设计中一个非常重要的因素,不仅决定着瓦楞纸箱的尺寸。
而且影响到瓦楞纸箱的强度。
一般是原纸厚度与瓦楞高度之和。
式中:t—瓦楞纸半实际厚度;t n—内、外面纸与夹心纸的厚度;t max—瓦楞纸芯的厚度;t hn—瓦楞辊的高度;d—瓦楞纸板制造过程中的厚度损失。
在通常设计时参考表1,得出本次纸板厚度为3.3mm。
由于是单体包装,就无须考虑排列方式了,所以其尺寸计算公式为:X1=X max+2T+k’X1—纸箱的内尺寸;T—缓冲件的厚度;k’—内尺寸修正系数。
L B H max max max箱的内尺寸为:417mm×386mm×169mm,再由以下公式可以得到其制造尺寸:X=X1+KF=B1/2+X1式中:X—瓦楞纸箱长、宽、高制造尺寸;X1纸箱内尺寸;K—制造尺寸修正系数;F—纸箱对接摇盖宽度;B1—纸箱非结合端面制造尺寸;X1—摇盖拉长系数。
1112b1b21所以由公式(8)(9),得瓦楞纸箱的制造尺寸;L1=L i+K11=420(mm),L2=L i+K12=419(mm);B1=B i+K b1=389(mm),B2=B i+K b2=388(mm);H =H i+K=175(mm),F=B1/2+X1=197(mm);再由以下公式可以得出其外尺寸:X0=X max+K式中:X0—瓦楞纸箱外尺寸;X max—纸箱最大制造尺寸;K—纸箱外尺寸修正系数。
表6 瓦楞纸箱外尺寸修正系数(mm);楞型 A B C E AA BB CC AB AC BCK 5-7 3-5 4-6 2-4 10-14 6-10 8-12 8-12 9-13 7-11 表6为纸箱外尺寸修正系数值,由此得出K=4。
所以由公式(10)得;瓦楞纸箱的外尺寸为:424mm×393mm×179mm;⑷、相关图片图4 缓冲衬垫结图5 纸箱尺寸结构图⑸、尺寸设计:包装箱图纸尺寸,统一标注内尺寸,{包括技术要求和其他说明中的尺寸},以毫米为单位,不需注明计量单位。