2018年度矿井综合防尘措施暨喷雾安装标准
- 格式:doc
- 大小:39.50 KB
- 文档页数:7
井下防尘设施安设及使用标准1、转载点喷雾标准:每个转载点都必须安装喷雾洒水装置,数量1个。
2、净化水幕安装标准:(1)净化水幕长度要以巷道宽度而定,距帮间距不得大于200mm,距顶不得大于50mm,喷雾嘴间距400--500mm,净化水幕使用直径20mm的镀锌管加工制作,阀门安装位置要位于上风侧。
巷道有运输设备的要加装防水装置,净化水幕安装要避开机电设备上风侧2m,下风侧不得小于10m,喷头安装角度迎风30--45度。
(2)净化水幕安装地点规定:掘进工作面迎头40m内安装1道,巷道每50米安设一道,回采工作面的进回风巷距工作面50m安设一道防尘帘,每50m安装一道,矿井进风巷、回风巷每100m安装净化水幕装置。
掘进工作面在向前掘井时机电工区及时跟进安装,通防科不再另行通知。
3、主要运输巷防尘管路安装及要求:每隔50m进行安装一个三通阀,并安设水管以便应急,配备不少于20m长高压软管。
矿井总回风巷441103回风巷石门大巷煤15运输大巷15采区总回风巷41103运输巷避难硐室水仓煤15运输大巷主井41104巷41104中间巷411辅助下山4118运输巷41103回风巷4118运输巷3101巷43运巷。
煤矿综合防尘技术标准一、细水喷雾安设标准1、各主要回风巷及盘区回风巷每500米安设一道,不足500米的安设一道、500-1000米之间的安设两道,根据巷道长度依此类推(可以根据实际情况进行调整细水雾喷雾的安设数量)。
其中回风斜井具体安设位置:距回风井底30m-50m安设一道。
2、各主要进风轨道巷及盘区进风轨道巷距起点巷口30m-50m 巷道内安设一道,每500米安设一道,不足500米的安设一道、500-1000米之间的安设两道,根据巷道长度依此类推(可以根据实际情况进行调整细水雾喷雾的安设数量)。
3、各主要皮带巷及盘区皮带巷在每部皮带的皮带机头下风侧50m范围安设一道,皮带机头间距不足500米的安设一道,每部皮带最多安设两道。
4、矿井进风斜井:距井口20m-100m范围内安设一道。
5、采煤工作面进风巷距工作面30m范围内设置两道细水喷雾,间距至少10m;采煤工作面回风巷距工作面30米范围内设置两道细水喷雾,间距至少10m;采煤工作面回风巷在距回风巷口30m-50m 范围内设置一道细水喷雾,被串联采煤面进风巷巷口50m范围内安设一道。
6、机掘工作面在距工作面30m范围内设置两道细水喷雾,间距至少10m;机掘工作面在距回风巷口30m-50m范围内设置一道细水喷雾;抽风机出口前5m范围内安设一道;被串联机掘工作面局部通风机前30m-50m范围内设置一道。
7、炮掘工作面在距工作面30m范围内设置两道细水喷雾,间距至少为10m;炮掘工作面回风巷在距回风巷口30m-50m范围内设置一道细水喷雾;被串联炮掘工作面局部通风机前30m-50m巷道内设置一道。
8、在喷浆作业地点下风侧100m范围内设置两道,间距至少为30m-50m。
正常掘进巷道的喷浆不另加设细水雾喷雾。
喷浆作业下风侧受影响的采掘工作面安设细水喷雾标准:掘进工作面风机前30m-50m范围内设置一道;采煤面进风巷50m范围内安设一道。
9、细水雾喷雾控制箱应固定在巷帮,并安设在细水雾喷雾的上风侧2-3米,不歪斜,便于操作维护,喷管应根据巷道断面的形状成线型铺设,喷头均匀分布,喷头与喷头的间距不大于0.3米,喷头角度为45°,朝向一致均迎向风流,不能出现铁丝吊挂现象。
井下喷雾及净化水幕安装管理规定根据《煤矿安全规程》的相关要求, 结合矿井的情况,特制定矿井喷雾及净化水幕安装管理规定:一、喷雾安装规定:1、井下煤仓、溜煤眼、皮带机头、溜子机头或各转载点, 必须安设有完善的喷雾装置或设置除尘器,保证其雾化好灵敏可靠使用正常。
2、井下各转载点喷雾必须钢化固定,设置除尘罩,固定位置正确,雾化良好,罩住落煤点。
二、净化水幕安装规定:1、矿井主要进、回风巷都必须安装净化水幕,水幕必须封闭巷道全断面,灵敏可靠,雾化好,使用正常。
2、采掘工作面回风流中必须按规定安设净化水幕。
3、采煤工作面进、回风巷必须安设两道净化水幕,第一道距工作面30m-50m, 第二道距巷口30m-50m。
4、掘进工作面必须安装三道水幕,第一道距掘进工作面30m-50m,第二道距掘进工作面80m-100m,第三道距回风巷口30m-50m。
5、矿井主要进、回风巷及采区进、回风巷至少应各安设两道净化水幕。
6、在装煤点的下风侧20m内,必须安设一道净化水幕。
7、水幕迎风流,喷雾头与巷道顶板成300夹角且固定牢固可靠,供水管一律采用高压管,不准用普通胶管代替,水幕必须统一刷漆,颜色为白杆红头,转载点喷雾统一定为两个头的短水喷雾,安装方法统一加工成支架,不准随便固定在机头临时设施上,否则一律为不合格。
8、水幕或转载点喷雾的阀门或开关必须安设在巷道行人侧,开启方便。
9、净化水幕喷头的间距统一为300mm。
10、水幕或转载点喷雾支管用直径25mm的高压软管,水幕喷头的主管直径不低于20mm。
11、根据目前矿井的实际情况主井喷雾安设位置如下:(4)、随着基建工程的逐渐推进,应根据实际情况再作相应调整和补充。
花秋二矿综合防尘安全技术措施通防部2018年1月1日2018年花秋二矿综合防尘安全技术措施审批意见编制人:通防部:安监部:通防副总:安全副总:总工程师:矿井综合防尘安全技术措施为加强矿井综合防尘管理,有效地减少井下粉尘积聚,营造良好的工作环境,减少尘肺病,杜绝煤尘爆炸事故,特编制本综合防尘安全技术措施。
一、矿尘的危害矿尘的危害主要表现在如下两方面:1、对人体的危害。
工人长期吸入矿尘,轻者会引起呼吸道炎症,重者会导致尘肺病、矽肺病、煤肺病等。
此外粉尘浓度大,还会影响视线甚至造成视力减退,不利于及时发现事故隐患,从而增加了发生事故的机率。
2、燃烧或爆炸。
煤尘在一定条件下,可以燃烧或爆炸,危及矿井的安全生产。
二、煤尘爆炸性测试结果根据重庆煤科院对我矿3煤、5煤、9煤及16煤的煤尘爆炸性鉴定结果,3煤、5煤、9煤及16煤层均有煤尘爆炸性。
三、粉尘产生特点地质报告未提供粉尘中的游离SiO2资料,矿井生产期间应按有关规定补充完善。
根据煤矿生产特点,井下产生粉尘的地点主要有:采煤工作面、掘进工作面、煤炭运输转载点等。
矿井地面产尘点主要有:煤炭运输转载点和地面储煤场。
产生粉尘量的大小与自然因素和生产技术因素均有关系,一般的,当开采煤层节理发育或采掘工作面进入断层和褶皱发育的地带时,其产尘量一般较大。
在生产工艺相近的条件下,急倾斜比缓倾斜煤层、厚煤层比薄煤层产尘量大。
就生产技术而言,采煤机械化程度越高产尘量越大,全部陷落采煤法比充填采煤法产尘量大。
本矿井开采薄~中厚煤层,采用综合机械化开采,放炮掘进,产尘量较大,因此采煤工作面和掘进工作面防尘是矿井防尘的重点。
四、防尘设施的安装根据《煤矿安全规程》要求,在设置于井下的矿井水处理站内设置一座400 m3的地面消防洒水水池,利用水的自然重力产生的压力经管道沿主、副斜井井筒送往各用水点,用于井下消防、井下防尘洒水、巷道掘进和锚喷用水以及煤层注水等。
井下防尘洒水,主要用于装岩(煤)洒水、爆破喷雾、冲洗岩帮、凿岩机用水、巷道洒水以及采煤机内外喷雾水。
2018年综合防尘措施D米,并在上顺槽水幕处设置门式捕尘网;上顺槽第二道水幕距回风口10-30米。
2.机采或综采工作面采煤机、掘进机必须配备有效的内外喷雾,无喷雾装置的采煤机、掘进机不得工作。
采煤机内喷雾压力不得小于2 MPa,外喷雾压力不得小于4MPa,若无内喷雾或内喷雾效果较差的,必须使用外喷雾装置,其压力不得小于8MPa。
掘进机采煤机内喷雾压力不得小于3 MPa,外喷雾压力不得小于1.5 MPa,若无内喷雾或内喷雾效果较差的,必须使用外喷雾装置和除尘器。
3.液压支架和放顶煤采煤工作面的放煤口,必须安装喷雾装置,降柱、移架或放煤时同步喷雾。
4.回采工作面采煤机内、外喷雾及负压喷雾雾化程度好,能覆盖滚筒并坚持要正常使用;移架喷雾及放顶自动同步喷雾必须正常使用,放煤口安设喷雾装置,坚持正常使用。
5.回采工作面严格执行煤壁注水防尘措施,工作面注水必须有注水单,注水单内容包括(注水日期、班次,注水孔孔径、深度、位置、注水时间、注水量)。
(二)煤巷掘进工作面防尘措施及规定1.所有掘进工作面必须安设两道封闭全断面的水幕,第一道水幕距迎头距离不超过50米,并在水幕处设置门式捕尘网;第二道距回风口不超过30米;2.煤巷掘进U型棚巷道使用弧形喷雾,喷雾两头距巷帮不大于0.1m,喷雾管上每0.5~0.8m安装一个单眼喷头,喷头迎着回风流方向(与巷道中心呈45°夹角),喷雾装置安装不少于3个固定点,确保开启喷雾时喷雾管牢固不能摆动,且喷雾所在平面与巷道中线垂直,不能吊斜3.转载喷雾采用双喷头的,固定安设在转载点正前方约200㎜~300㎜的位置,距离转载点高度过300㎜~500㎜为宜,喷头倾斜方向对准煤流线。
4.转载喷雾使用单喷头的采用吊挂式,用铁丝固定后,喷雾水管及喷头必须做到不能摆动;相对固定的转载喷雾采用地面焊制好的转载喷雾装置,用螺栓固定在转载滚筒一侧距离转载点高度为300㎜~500㎜为宜,且将喷头要正对煤流线。
双龙公司2018年综合防尘措施为进一步加强矿井综合防尘管理,改善井下作业环境、杜绝煤尘事故、减少“白色工伤”职业病危害,依据《职业病防治法》、《煤矿作业场所职业病危害防治规定》、《煤矿安全规程》和集团公司综合防尘相关规定,特编制双龙公司2018年度综合防尘措施。
一、综合防尘工作思路1、坚持以“粉尘治理与瓦斯治理同等重要”、“要安全,也要健康”、“做好粉尘治理就是行善积德”等理念为引领,坚持以“预防为主、防治结合、综合治理”为工作原则,坚持“源头治理、过程控制、重在管理、科学防治”的综合防尘工作思路,视煤尘为“高压线”、“红线”,将防尘与防瓦斯、防火同设计、同落实、同治理,始终以如履薄冰、如临深渊的心态狠抓防尘工作。
2、源头减尘。
综采工作面风巷实施深孔静压注水,工作面内和掘进工作面迎头实施浅孔动压注水,从源头控制粉尘的产生。
3、过程降尘。
所有采掘工作面回风巷至少安设2道降尘水幕;井下施工地点各转载点全部采用自动和手动喷雾降尘措施;采煤机、综掘机全部安装使用高压水射流等外臵喷雾。
综采工作面每个液压支架喷雾装臵必须做到齐全完好,降柱、移架时,必须同步开启喷雾,将降尘贯穿于生产的全过程。
4、封闭隔尘。
对综采工作面进风侧产尘点进行封闭隔绝管理。
综采工作面链板机头、破碎机、皮带机转载点、煤眼等采取隔尘仓、隔尘盖板等措施,对运输、落煤过程中容易产生粉尘的区域进行全封闭管理,降低进风侧产尘量。
5、全面消尘。
对巷道内粉尘进行冲刷消尘。
放炮前、后必须对爆破地点30m范围内巷道周边进行冲洗。
采煤一区每天至少对工作面机巷、风巷冲刷1次;掘进区每天至少对掘进工作面及其后路冲刷1次;各转载点、煤眼等易产生余煤的地点附近10m 范围由责任单位每班进行清扫、冲刷。
6、动态测尘。
对生产地点的粉尘情况进行实时监测。
综采工作面、掘进工作面全部安装粉尘浓度传感器,对粉尘浓度实时监测。
同时加强粉尘监测,做好粉尘化验、防尘用水水质化验工作。
2018年度矿井综合防尘措施为认真贯彻执行国家有关法律、法规中关于综合防尘的有关规定,进一步明确各单位、部门在矿井综合防尘工作中的职责,落实综合防尘责任,强化综合防尘现场管理,改善职工作业环境,保障职工安全和职业健康,杜绝煤尘爆炸事故,实现矿井防尘管理制度化、经常化、正规化,结合我矿实际情况,特制订本管理制度。
一般规定一、成立矿井综合防尘领导小组,研究、制定粉尘治理措施,实施方案和考核办法,落实综合防尘齐抓共管责任制。
二、加强井下粉尘防治工作,定期组织检查矿井粉尘防治工作的进展情况,保证所有产尘地点粉尘浓度达到国家规定的卫生标准。
三、每月在召开“一通三防”例会时,要解决粉尘治理工作中存在的问题,及时通报粉尘治理情况。
并按照考核办法,每月考核一次。
四、必须建立健全矿井综合防尘管理制度,该项制度必须有:(一)巷道冲刷制度;(二)防尘设施管理制度;(三)隔爆设施管理制度;(四)粉尘测定制度。
五、编制矿井生产建设长远规划和年度生产计划的同时,必须组织编制矿井防尘的长远规划和年度计划,属于防尘工程、防尘材料消耗的费用由年度安技措费用或生产成本中支付。
六、凡新建、改扩建、开拓延深、新采区移交前,公司要对其防尘系统、防尘设施等进行验收。
采区准备、巷道掘进、采煤面投产防尘、隔爆设施,要与主体工程同时设计,同时施工,必须经有关单位组织验收合格后,方可生产。
七、加强职业危害的防治与管理,做好作业场所的职业卫生和劳动保护工作。
必须按国家有关法律、法规的规定,对新入矿的工人进行职业健康检查,建立健康档案,对接尘工人的职业健康检查必须拍照胸大片。
对已查明患有尘肺病的职工及时调离粉尘作业区,并做好定期复查、治疗工作。
八、采掘区(部)必须配备兼职防尘工,管好、用好采掘工作面的防尘设施,生产辅助工区要保证电气设备的完好,杜绝电气失爆,杜绝外因火源引爆煤尘,做到带式输送机保护设施齐全,灵敏可靠;生产辅助工区负责运输系统内综合防尘设施的完好与正常使用工作。
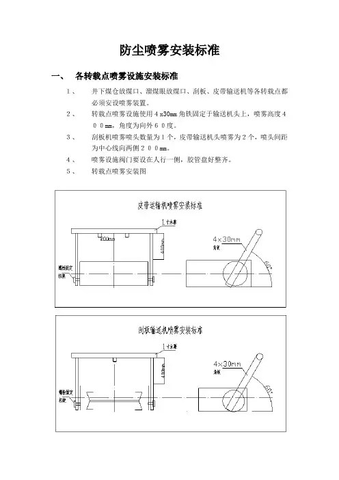
防尘喷雾安装标准一、各转载点喷雾设施安装标准1、井下煤仓放煤口、溜煤眼放煤口、刮板、皮带输送机等各转载点都必须安设喷雾装置。
2、转载点喷雾设施使用4x30mm角铁固定于输送机头上,喷雾高度400mm,角度为向外60度。
3、刮板机喷雾喷头数量为1个,皮带输送机头喷雾为2个,喷头间距为中心线向两侧200mm。
4、喷雾设施阀门要设在人行一侧,胶管盘好整齐。
5、转载点喷雾安装图二、大巷喷雾安设标准1、采煤工作面进回风巷、掘进巷道、主要进风大巷、皮带机巷必须安装净化水幕,水幕间距50米一道。
2、防尘水幕使用1寸纲管,喷头间距800mm,要求喷雾覆盖巷道全断面。
3、水幕使用膨胀螺丝固定于巷道顶部,禁止用铁丝在半空悬挂。
4、阀门操作灵活方便,高度距行人台阶1.5米。
二、喷雾设施的安装与维护1、各转载点喷雾及巷道喷雾设施由区队自行安装,通防部制定技术标准,并对安装使用情况进行监督考核。
2、喷雾设施必须灵敏可靠、雾化良好、能够覆盖巷道全断面,否则考核区队通防主管100元每次。
3、矿井主要进风巷、带式输送机巷道及采区巷道每隔50米安设一个三通阀门,阀门手柄齐全牢固,位置恰当便于开关。
否则考核管辖区队通防主管100元。
4、采煤工作面进回风巷、掘进工作面、主要进风大巷及进风斜井必须安装净化水幕,水幕间距50米一道。
每缺一道,考核管辖区队通风主管100元。
5、采煤工作面、两巷及所划分的区域按规定每天冲洗一次,确保无积尘。
6、掘进迎头及所划分的卫生区域按规定每班进行冲洗一次,确保无积尘。
7、进风大巷每三天冲洗一次;主要运输皮带机道至少每三天冲洗一次;主要回风大巷至少每三天冲洗一次。
具体有各使用单位负责。
8、井下所有设备,包括皮带、溜子、开关及其它设备的防尘工作由所管辖的单位除尘及清扫。
9、矿井总回风巷及与其它单位无关的巷道由通防部负责除尘。
10、井下管路的维护、管理一律由管辖使用单位负责,管路主干系统由通防部负责。
11、采掘工作面的采掘机内外喷雾装置必须齐全可靠、雾化程度好。
榆树泉煤矿井下防尘喷雾安装及使用管理规定为加强井下防尘喷雾(含全断面防尘喷雾、转载点喷雾等)的管理,规范防尘喷雾的安装及使用,根据《煤矿安全规程》、《煤矿安全生产标准化管理体系基本要求及评分方法(试行)》及相关规范、文件的要求,结合煤矿实际,特制定本规定,请相关单位严格遵照执行。
一、安装位置1。
采煤工作面回风巷距工作面100m范围内至少安装2道全断面防尘喷雾,两道喷雾间距不小于30m.2.煤巷掘进工作面距迎头100m范围内至少安装2道全断面防尘喷雾,两道喷雾间距不小于30m。
3。
岩巷掘进工作面距迎头100m范围内至少安装2道全断面防尘喷雾,两道喷雾间距不小于30m;且第一道喷雾距装车点下风侧不大于20m。
4。
井下进行锚喷作业时,喷射混凝土时应当采用潮喷或者湿喷工艺,并配备除尘装置,对上料口、余气口除尘。
锚喷作业下风侧100m范围内至少安装2道全断面防尘喷雾,两道喷雾间距不小于30m.5。
主要进回风斜井应各安装两道全断面防尘喷雾.6.井下各皮带转载点、溜子转载点、煤仓上、下口都必须安装防尘喷雾,作业时进行喷雾降尘,转载点落差超过0.5m,必须安装溜槽或者导向板。
二、安装使用标准1。
全断面防尘喷雾距顶板距离不大于100mm,安装喷头的短管长度不超过50mm,两喷头之间的距离为300—400mm,喷嘴必须逆着风流方向安装,喷头与顶板成45°夹角左右;雾化效果好,雾流随风飘逸距离在5m 以上。
2.转载点防尘喷雾需安装2个喷嘴,喷头的短管长度不超过50mm,两喷头之间的距离为300-400mm.喷雾杆统一采用支架固定在落煤点正前上方(开启后可覆盖产尘点),不准随便固定在机头压柱上,或其他临时设施上,喷雾安装在转载点下风侧(安装距离根据现场实际情况定),喷水方向迎向煤流,与其成45°夹角3.防尘喷雾要求固定牢靠,供水管一律采用高压胶管,不准用普通胶管代替。
4。
全断面防尘喷雾阀门安装在巷道行人侧,阀门距喷雾的水平距离不小于5m,阀门必须固定牢固且开启灵活、可靠,无滴水、无漏水。
矿井综合防尘标准及要求1、矿井建立完善综合防尘系统,东轨道大巷、胶带大巷、总回风巷、采煤工作面的进风巷与回风巷、掘进巷道、煤仓放煤口、溜煤眼放煤口、卸载点等都必须设置防尘供水管路。
皮带运输机巷防尘管路每隔50m安设一个三通阀门,总回风巷、轨道运输巷每隔100m安设一个三通阀门,管路不得出现跑、冒、滴、漏,阀门开关灵活。
2、规范管理,明确责任。
对防尘供水管路的三通阀门进行编号管理,每个巷道配备不少于50m长的洒水软管,便于巷道冲尘。
3、综采工作面安装使用智能架间喷雾除尘系统。
4、井下所有运煤转载点都必须安装洒水降尘装置,每个运煤转载点洒水降尘装置的喷头数不得少于2个,悬挂在转载点的前上部600mm处,迎风流方向45°,喷雾直接对准落煤点,挂牌管理,责任人为转载点运输机司机,做到煤干洒水,煤湿不洒水。
5、矿井主要进风大巷及回风巷、采煤工作面进回风巷、掘进工作面的迎头、喷浆机回风流下方5m范围内都必须安装风流净化水幕,责任单位为该地段的管辖单位。
6、采掘头面风流净化水幕安装位置要求。
(1)采煤工作面风流净化水幕的具体位置:A、采煤工作面进风巷内设置两道全断面水幕,第一道水幕在采煤工作面进风巷口向里10~15m范围内;第二道水幕在采煤工作面进风巷安全出口以外30m范围内。
B、采煤工作面回风巷内至少设置三道全断面水幕,第一道水幕在采煤工作面回风巷安全出口以外30m范围内;第二道水幕与第一道水幕间距不得大于20m;第三道水幕在采煤工作面回风巷口下风侧10~15m范围内。
(2)掘进工作面风流净化水幕的具体位置:A、掘进工作面刚开口时在开口位置的下风侧10~15m范围内设置一道全断面风流净化水幕。
B、掘进工作面掘进长度超过50m不超过80m时,应在掘进巷道内设置一道全断面风流净化水幕,水幕距迎头距离不得超过50m;掘进工作面掘进长度超过80m时,应在该掘进巷道内增加两道全断面风流净化水幕,第一道水幕距迎头距离不得超过50m,第二道水幕与第一道水幕间距不得大于20m,且第三道水幕在巷道回风口10~15m范围内。
防尘喷雾安装标准一、各转载点喷雾设施安装标准1、井下煤仓放煤口、溜煤眼放煤口、刮板、皮带输送机等各转载点都必须安设喷雾装置。
2、转载点喷雾设施使用4x30mm角铁固定于输送机头上,喷雾高度400mm,角度为向外60度。
3、刮板机喷雾喷头数量为1个,皮带输送机头喷雾为2个,喷头间距为中心线向两侧200mm。
4、喷雾设施阀门要设在人行一侧,胶管盘好整齐。
5、转载点喷雾安装图二、大巷喷雾安设标准1、采煤工作面进回风巷、掘进巷道、主要进风大巷、皮带机巷必须安装净化水幕,水幕间距50米一道。
2、防尘水幕使用1寸纲管,喷头间距800mm,要求喷雾覆盖巷道全断面。
3、水幕使用膨胀螺丝固定于巷道顶部,禁止用铁丝在半空悬挂。
4、阀门操作灵活方便,高度距行人台阶1.5米。
二、喷雾设施的安装与维护1、各转载点喷雾及巷道喷雾设施由区队自行安装,通防部制定技术标准,并对安装使用情况进行监督考核。
2、喷雾设施必须灵敏可靠、雾化良好、能够覆盖巷道全断面,否则考核区队通防主管100元每次。
3、矿井主要进风巷、带式输送机巷道及采区巷道每隔50米安设一个三通阀门,阀门手柄齐全牢固,位置恰当便于开关。
否则考核管辖区队通防主管100元。
4、采煤工作面进回风巷、掘进工作面、主要进风大巷及进风斜井必须安装净化水幕,水幕间距50米一道。
每缺一道,考核管辖区队通风主管100元。
5、采煤工作面、两巷及所划分的区域按规定每天冲洗一次,确保无积尘。
6、掘进迎头及所划分的卫生区域按规定每班进行冲洗一次,确保无积尘。
7、进风大巷每三天冲洗一次;主要运输皮带机道至少每三天冲洗一次;主要回风大巷至少每三天冲洗一次。
具体有各使用单位负责。
8、井下所有设备,包括皮带、溜子、开关及其它设备的防尘工作由所管辖的单位除尘及清扫。
9、矿井总回风巷及与其它单位无关的巷道由通防部负责除尘。
10、井下管路的维护、管理一律由管辖使用单位负责,管路主干系统由通防部负责。
11、采掘工作面的采掘机内外喷雾装置必须齐全可靠、雾化程度好。
矿井综合防尘管理规定矿井综合防尘管理规定1.矿井主要运输巷、采区回风巷、皮带斜井与平硐运输平巷,采煤工作面回风巷与运输巷、掘进运输平巷、上下山及各输送机转载点处均要铺设防尘洒水管路,皮带巷和皮带井每隔50米设一个三通阀门,其它管路每隔100m设一个三通阀门,并达到接头严密不漏水(滴水成线即为漏水)。
2.采区进、回风巷,主要进、回风大巷,采煤工作面回风巷与运输巷,距安全出口50m以内,掘进工作面距迎头及回风口50m以内都必须安装净化水幕,水幕应能封闭巷道断面,灵敏可靠、雾化好、正常使用。
3.井下所有运煤转载点必须安装喷雾装置,喷雾必须对准起尘点。
4.隔爆设施安装地点、数量、水量及安装质量等必须符合规定要求。
5.防尘供水管路由施工队负责安装,通风区负责全矿防尘管路、防尘设施的日常维护工作。
6.掘进工作面必须实现湿式钻眼,严禁干打眼,在放炮前后对工作面迎头20m范围内的巷道周边要进行冲洗;放炮时必须打开净化水幕进行喷雾,且喷雾实践不少于10分钟;装渣前必须洒水降尘。
锚喷巷道在喷浆前,必须打开净化水幕装置,保证在喷浆过程中净化水幕喷雾防尘。
7.综采、综掘工作面在割煤过程中必须开启综采、综掘设备内、外喷雾装置,未使用喷雾装置严禁割煤。
8.所有防尘洒水管路上安装的控制阀、减压阀及支管路上的控制阀,任何人不得随意开关。
9.井下所有运煤系统的喷雾装置必须保持完好,采煤队负责职责范围内运煤系统转载点喷雾及净化水幕装置的使用和管理,其它运煤系统转载点喷雾及净化水幕装置由运输区负责使用和管理。
采煤队、运输区必须严格执行运煤即开、无煤即停喷雾装置的原则。
10.通风区负责对井下所有积尘巷道进行定期冲洗,对没有供水管路的积尘巷道进行定期清扫。
井下巷道不得有厚度超过2mm,连续长度超过5mm的煤尘堆积现象。
11.井下所有煤仓和溜煤眼都应保持一定的存煤,不得放空,溜煤眼不得兼做进风眼使用。
2018年矿井综合防尘措施第一篇:2018年矿井综合防尘措施2018年度矿井综合防尘措施为认真贯彻执行国家有关法律、法规中关于综合防尘的有关规定,进一步明确各单位、部门在矿井综合防尘工作中的职责,落实综合防尘责任,强化综合防尘现场管理,改善职工作业环境,保障职工安全和职业健康,杜绝煤尘爆炸事故,实现矿井防尘管理制度化、经常化、正规化,结合我矿实际情况,特制订本管理制度。
一般规定一、成立矿井综合防尘领导小组,研究、制定粉尘治理措施,实施方案和考核办法,落实综合防尘齐抓共管责任制。
二、加强井下粉尘防治工作,定期组织检查矿井粉尘防治工作的进展情况,保证所有产尘地点粉尘浓度达到国家规定的卫生标准。
三、每月在召开“一通三防”例会时,要解决粉尘治理工作中存在的问题,及时通报粉尘治理情况。
并按照考核办法,每月考核一次。
四、必须建立健全矿井综合防尘管理制度,该项制度必须有:(一)巷道冲刷制度;(二)防尘设施管理制度;(三)隔爆设施管理制度;(四)粉尘测定制度。
五、编制矿井生产建设长远规划和年度生产计划的同时,必须组织编制矿井防尘的长远规划和年度计划,属于防尘工程、防尘材料消耗的费用由年度安技措费用或生产成本中支付。
六、凡新建、改扩建、开拓延深、新采区移交前,公司要对其防尘系统、防尘设施等进行验收。
采区准备、巷道掘进、采煤面投产防尘、隔爆设施,要与主体工程同时设计,同时施工,必须经有关单位组织验收合格后,方可生产。
七、加强职业危害的防治与管理,做好作业场所的职业卫生和劳动保护工作。
必须按国家有关法律、法规的规定,对新入矿的工人进行职业健康检查,建立健康档案,对接尘工人的职业健康检查必须拍照胸大片。
对已查明患有尘肺病的职工及时调离粉尘作业区,并做好定期复查、治疗工作。
八、采掘区(部)必须配备兼职防尘工,管好、用好采掘工作面的防尘设施,生产辅助工区要保证电气设备的完好,杜绝电气失爆,杜绝外因火源引爆煤尘,做到带式输送机保护设施齐全,灵敏可靠;生产辅助工区负责运输系统内综合防尘设施的完好与正常使用工作。
仅供参考[整理] 安全管理文书喷雾降尘管理规定日期:__________________单位:__________________第1 页共4 页喷雾降尘管理规定1转载点喷雾在装载点安设转载点喷雾,喷头数量不少于1个,悬挂在转载点的前上部600mm处,迎风流方向45°,喷雾直接对准落煤点,落煤点上部至转载点处加设纱网防尘罩,挂牌管理,责任人为转载点运输司机,必须做到转载点运行时必须开启转载点喷雾。
2采、掘面风流净化水幕矿井主要进风大巷及回风巷、采煤工作面进回风巷、掘进工作面的迎头、喷浆机回风流下方5米范围内都必须安装风流净化水幕;各采掘工作面每周必须对巷道进行冲刷一次。
2.1采煤工作面风流净化水幕的具体位置:a.进风巷内设置两道全断面水幕,第一道水幕在采煤工作面进风巷口向里10-15米范围内,第二道水幕在采煤工作面进风巷安全出口以外30米范围内。
b.回风巷内至少设置三道全断面水幕,第一道水幕在回风巷安全出口以外30米范围内,第二道水幕与第一道水幕间距不得大于20米,第三道水幕在工作面回风联络巷口下风侧10-15米范围内。
2.2掘进工作面风流净化水幕的具体位置:a.掘进工作面刚开口时在开口位置的下风侧10-15米范围内设置一道水幕。
b.掘进工作面掘进长度超过50米不超过80米时,应在掘进巷道内设置一道全断面水幕,距迎头不超过50米。
c.掘进工作面掘进长度超过80米时,应在掘进巷道内增加两道水幕,第一道水幕距正头不超过50米,第二道水幕与第一道水幕间距不第 2 页共 4 页超过20米,且第三道水幕在巷道回风口10-15米范围内。
2.3喷雾特别管理规定a.全断面水幕5米范围内巷道底板进行硬化(要求:以水幕安装位置为起点,上风侧1米,下风侧4米底板进行硬化)。
b.在皮带侧挖设一个(长×宽×高=1米×1米×1米)水池用来储存水幕流下的积水,水池内安装一台风泵,利用池内积水冲刷巷道、洒水降尘;多余积水由风泵导入水沟或排水管排出工作面。
2018年度***煤矿综合防尘措施暨喷雾安装标准在煤矿生产中以采掘工序产生的矿尘量为最多,约占全部矿尘的80%,而其中又几乎80%的矿尘进入风流中成为悬浮于空气中的浮尘。
我公司所开采的3层煤具有煤尘爆炸危险性,一水平(-708m 水平)于2011年8月委托山东泰山矿产资源监测研究院对3煤层进行爆炸性鉴定,鉴定结果为:具有煤尘爆炸性,爆炸性指数37.55%;二水平(-1020m水平)于2017年6月委托山东泰山矿产资源检测研究院对3煤层进行煤自燃倾向性鉴定,鉴定结果为:具有煤尘爆炸性,爆炸性指数46.86%。
为加大矿井综合防尘管理力度,完善综合防尘系统,大力推进综合防尘自动化,根据《煤矿安全规程》及上级有关规定,结合我公司实际情况,特制定以下措施:1、严格执行综合防尘“以防为主、防治结合”的方针,坚持以人为本,落实各级管理责任制,强化动态管理,做到防微杜渐。
2、严格执行防尘管理制度,严格考核落实。
3、矿井防尘供水系统必须完善可靠,没有防尘供水管路的采掘工作面不得生产,防尘供水管路不完善不得通过验收。
主要运输巷、皮带输送机巷道、斜井与平巷,上山与下山,采区运输巷与回风巷、采煤工作面进回风巷、掘进巷道、煤仓放煤口、溜煤眼放煤口、卸载点等地点都必须敷设防尘管路,并安设支管和阀门。
防尘供水系统必须达到以下要求:(1)防尘用水水质:悬浮物不得超过30mg/l,悬浮物粒度直径不得大于0.3mm,水的PH值在6-9.5范围内,防尘用水过滤装置必须完好。
(2)处理后的矿井水与井上消防水池共用,确保井下供水及时,水量满足要求,水质合格。
(3)要及时对井上消防水池进行清污。
(4)矿井主要运输巷、带式输送机斜井与平巷、上山与下山、采区运输巷与回风巷、采煤工区工作面运输巷与回风巷、掘进巷道、煤仓放煤口、卸载点等地点都必须敷设防尘供水管路,并安设支管和阀门。
(5)防尘管路的管径与强度,应能满足该区段生产防尘用水的水量需要和负载的水压。
主要进风大巷一律使用直径φ159mm的钢管,采区进风大巷及采煤工作面两顺槽一律采用直径φ108mm的钢管,掘进工作面采用直径φ108mm的钢管,皮带大巷及回风大巷采用直径φ108mm的钢管。
(6)井下皮带巷及新掘进煤巷的管路每50m设一个三通阀门。
其它巷道的管路每隅φ100m设一个三通阀门,防尘管路要吊挂或垫起,达到平直并进行防锈处理。
(7)矿井主要隔爆水棚及辅助隔爆水棚必须齐全,按规定悬挂并执行周检查制度。
①矿井两翼、相邻采区、相邻煤层、相邻的采煤工作面间,煤层及半岩掘进巷道同与其相连的巷道间,煤仓同与其相连通的巷道间,采用独立通风并有煤尘爆炸危险的其他地点同与其相连通的巷道间,必须用水棚隔开。
②隔爆水棚组的水量按巷道断面积计算,不得少于如下值:主要隔爆棚区400L/m2、辅助隔爆棚200L/m2。
③水棚的排间距应为1.2—3m,主要隔爆棚区的长度不得小于30m,辅助隔爆棚区的长度不得小于20m。
④首排距工作面距离不得小于60m,不得大于200m。
⑤煤巷、半煤巷掘进工作面长度大于80m时必须安设隔爆设施。
⑥水棚应设置在巷道的直线段内,与巷道的交岔口、转弯处、变坡处的距离不得小于50m。
水棚距离顶梁、两帮的间隙不得小于100mm,棚组内的各排水棚的安装高度应保持一致;⑦水袋采用易脱钩的方式布置时,挂钩位置对正,每对挂钩的方向要相向布置,挂钩角度为60度,水袋内必须加满水,并悬挂隔爆设施说明牌。
⑧水棚设专人管理,每周检查一次。
发现水槽(水袋)损坏,必须及时更换。
4、矿井必须具备以下综合防尘设施:(1)采区大巷①东翼轨道大巷、西翼轨道大巷、采区进风巷各安设1道红外线自动喷雾。
②采区轨道上下山的两端各安设一道过车自动喷雾装置,每隔200m-300m安装一道侧喷。
(2)主要皮带机巷及采区皮带机巷①各皮带大巷的转载点安装喷雾装置。
②皮带中间每隔300m设置打杆式自动喷雾。
③皮带机头机尾前后20m范围内每班至少一次洒水清尘。
④皮带机巷安设净化水幕。
⑤皮带机巷定期清尘,每周至少冲尘一次。
⑥皮带机头喷雾实现自动化或半自动化,皮带载煤运转时,喷雾开启。
(3)采煤工作面①凡开采煤层厚度1m以上的回采工作面都必须进行工作面煤层注水,严格按有关注水工艺、参数进行注水,注水过程中必须在现场做好记录,上井后及时将记录数据填写到台帐上。
②工作面:采煤机内外喷雾、架间喷雾、放煤喷雾、转载点喷雾、破碎机喷雾,由采煤区队负责安装、维修。
采煤机必须安装内、外喷雾装置,内喷雾压力不得低于2Mpa,外喷雾压力不得低于4Mpa。
③工作面回风顺槽:安设全断面风流净化水幕。
④工作面进风顺槽:安设全断面进风净化水幕。
进回风顺槽根据现场情况宜每隔200m设1道侧式喷雾。
⑤炮采工作面必须坚持湿式打眼,放炮前后冲刷放炮地点前后20m范围内巷道,放炮使用水炮泥,工作面有水炮泥注水装置。
⑥采煤工作面、转载点前后20m范围每班必须坚持随时冲尘,回风顺槽每天冲尘一次,进风顺槽每3天冲尘一次。
⑦各转载点喷雾尽可能实现自动化。
(4)、综掘工作面①综掘机内外喷雾、各转载点喷雾、炮掘工作面距迎头10~15m 范围内的爆破远程喷雾,扒装喷雾,由掘进区队负责安装、维修。
爆破过程中采用高压喷雾或压气喷雾降尘、装岩(煤)洒水和净化水流等综合防尘措施。
②距工作面30~50m的位置安设回风净化水幕,由掘进区队负责安装、维修。
③锚喷施工的掘进工作面,距锚喷作业地点下风流方向100m内应设置2道以上风流净化水幕。
④按规定使用除尘风机,安装位置得当,并达到除尘效果,除尘风机采用吊挂或垫高方式固定,高度不低于0.5m,每天必须清理一次。
⑤各转载点按规定安设自动喷雾,安装位置得当,喷雾灵敏可靠,达到雾化效果,由掘进区队负责安装、维修、使用。
⑥各转载点前后20m范围每班必须坚持随时冲尘;距工作面100m以内巷道,落实专人班班冲刷;100m以外巷道,每天至少冲刷一次。
⑦转载点喷雾实现自动化,皮带机头安设防尘罩。
⑧煤与半煤岩炮掘工作面逐步装备短壁注水装置,实验并逐步推行掘进工作面短壁煤层注水。
(5)、炮掘工作面①坚持湿式打眼,放炮使用水炮泥,工作面有水炮泥注水装置。
②距锚喷作业地点下风流方向100m内应设置两道以上风流净化水幕。
③放炮前后冲刷放炮地点前后30m范围内巷道,现场配备不低于30m长的洒水水管。
④炮掘工作面在距迎头10~15m范围内安装使用爆破远程喷雾,能覆盖爆破全断面;扒装时使用好扒装喷雾。
喷雾位置要符合要求,并灵敏可靠。
⑤距工作面30~50m的位置安设净化水幕。
⑥按规定使用除尘风机,安装位置得当,并达到除尘效果,除尘风机采用吊挂或垫高方式固定,高度不低于0.5m,每天必须清理一次。
⑦各转载点按规定安设喷雾,安装位置得当,喷雾灵敏可靠,达到雾化效果。
⑧各转载点前后20m范围每班必须坚持随时冲尘;距工作面100m以内巷道,落实专人班班冲刷;100m以外巷道,每天至少冲刷一次。
⑨转载点喷雾尽量实现自动化。
⑩煤与半煤岩炮掘工作面装备短壁注水装置,编制注水设计及措施,严格按有关注水工艺、参数进行注水。
5、坚持巷道定期冲刷、清扫制度根据矿井验收标准的有关规定:“主要大巷每年至少刷白一次,主要进回风巷至少每月冲刷一次积尘,采区内巷道冲刷积尘周期由矿总工程师决定,并要有冲刷巷道制度”的要求,结合我公司实际情况,特制定巷道冲刷、清扫制度:①对主要进风大巷、采区进风巷每旬至少冲刷一次巷道积尘。
②对矿井总回风巷、主要回风巷道每旬至少冲刷一次巷道积尘;采区回风巷每周至少冲刷一次巷道积尘;采区皮带巷每5天至少冲刷一次巷道积尘。
③采煤工作面进风顺槽每三天冲刷一次巷道积尘,回风顺槽每天冲刷一次巷道积尘。
④施工单位对工作面及转载机处班班冲刷随时冲尘。
⑤施工单位对掘进工作面每天冲刷一次巷道积尘,综掘机附近,根据情况班班随时进行冲尘。
⑥施工单位对采煤工作面支架上的粉尘每班至少冲刷一次积尘。
⑦主井装载硐室每班至少冲刷一次巷道积尘。
6、粉尘监测(1)、设立粉尘监测化验室,装备有称重天平、烘干箱等设备,并实行挂牌管理。
(2)、矿井要配备3台以上完好的大流量测尘仪和2台直读式测尘仪;配足专职测尘人员;仪器定期送检、维修、标校;使用好矿井在线监测装置。
①总粉尘监测:井下作业场所的粉尘浓度,每月测定2次;粉尘分散度,每半年测定1次。
②呼吸性粉尘监测:工班个体呼吸性粉尘采掘工作面每季度测定1次,其它作业场所每半年测定1次。
每个采样工种分2个班次连续采样,1个班次内至少采集2个有效样品,要先后采集4个有效样品。
定点呼吸性粉尘监测每月测定1次。
③粉尘中游离SiO2含量,每半年测定1次,在变更工作面时也必须测定1次;各接尘作业场所每次测定的有效样品数不少于3个。
(3)根据《煤矿作业场所职业病危害防治规定》要求,采煤工作面回风巷、掘进工作面回风侧设置粉尘浓度传感器(位置与甲烷传感器一致),并接入安全监测监控系统。
7、培训及职业卫生防治(1)矿井应配备有效的通风、除尘等防护设备和应急救援设施,并为劳动者提供防尘口罩、防护服(鞋帽、手套、眼镜)等个人使用的职业卫生防护用品。
(2)矿井应有专人负责对防护设备、应急救援设施、个人防护用品的经常性的维护、检修,保证其性能和效果。
(3)主动联系卫生行政部门资质认证的职业卫生技术服务机构对作业场所进行矿尘的检测、评价。
(4)单位负责人、管理人员应当接受职业卫生培训及职业危害防治知识培训,遵守职业卫生防治法律法规,依法组织本单位的职业卫生防治工作;并组织劳动者参加上岗前、在岗期间的定期(每年一次)职业卫生培训,上岗前培训时间不少于4学时,在岗期间培训时间每年不少于2学时。
(5)指定专职或兼职职业危害因素监测人员,配备足够的监测仪器设备,按照有关规定对作业场所职业危害因素进行日常监测。
监测人员按特种作业人员管理,持特种作业操作资格证上岗。
(6)要积极依靠科技进步,应用有利于粉尘防治和保护从业人员健康的新技术、新工艺、新材料、新产品,坚决限制、逐步淘汰职业危害严重的技术、工艺、材料和产品。
(7)要通过优化生产布局和工艺流程,使有害作业和无害作业分开,尽可能减少接触粉尘的人数和接触时间。
(8)按照《煤矿职业安全卫生个体防护用品配备标准》(AQ1501)规定,为接触粉尘危害的从业人员提供符合要求的个体防护用品,并指导和督促其正确使用。
8、其他(1)各生产、辅助单位根据本单位实际,制定相应的防尘制度,按规定配备兼职防尘人员。
(2)各生产、辅助单位必须明确一名区队干部分管通风防尘工作,并每班安排兼职冲尘人员。
(3)所有防尘设施必须挂牌管理,并明确具体责任人。
(4)跟班干部及跟班工长是当班动态过程中综合防尘工作的第一责任者。
(5)所有巷道明确冲尘责任,悬挂巷道冲尘管理牌版,及时填写冲尘记录。