常用钢材焊接预热通用技术条件
- 格式:doc
- 大小:104.00 KB
- 文档页数:5
焊前预热的前提条件和预热参数按照焊接工艺评定的内容进行,常用材料的焊前预热的条件和预热温度见表1。
表1常用钢的预热温度钢种管材板材厚度/mm 预热温度/℃厚度/mm 预热温度/℃含碳量≤0.35%的碳素钢及其铸件≥26 100~200 ≥30≥28 100~150C-Mn(16Mn、16MnR)≥15 150~200Mn-V(15MnV、15MnVNR、18MnMoNbR)0.5Cr~0.5Mo(12CrMo)——≥15 150~2001Cr~0.5Mo(15McrMo ZG20 CrMo)≥10 150~2501.5Mn-0.5Mo-V(14MnMoV 18MnMonbg)——1Cr~0.5Mo-V —200~300 ——1.5Cr~Mo-V(15 CrlMolV)2Cr~0.5Mo-VW(12Cr2MoWVB)1.75Cr-0.5Mo-V2.25Cr-1Mo(12Cr2Mo 10CrMo910)3Cr-1Mo-Vti(12Cr3MoVSiTiB)≥6 250~3509Cr-1Mo-V —250~300 ——12Cr-1Mo,9C-1Mo 350~400 ——1Cr5Mo —250℃ZG15Cr1Mo1V 60℃~100℃(冷焊时)100℃~150℃(热焊时)ZG15Cr2Mo1 60℃~100℃(冷焊时)150℃~200℃(热焊时)ZG20CrMoV 250℃~300℃(热焊时)注1:(1)表中的温度为根据壁厚确定的最低预热温度。
当采用钨极氩弧焊打底时,可按下限温度降低50℃预热。
(2)壁厚大于或等于6mm的合金钢管子或,大板件在负温下焊接时,应比最低的预热温度高20℃~50℃。
壁厚小于6mm的低合金钢管子及壁厚大于15mm 的碳素钢管子,在负温下焊接,也应适当预热。
(3)承压件与非承压件焊接时,应按承压件进行预热。
接管座与主管焊接进,应按主管进行预热。
注2:对外径小于60mm,壁厚小于6mm的管子,采用氩弧焊时,预热温度为50℃~100℃4.3.2.2预热宽度从对口中心开始,每侧不小于焊件厚度的3倍,且不少于100mm。
焊前预热及焊后热处理
1)构件中有一块板厚32<δ≤100的焊缝,应对焊缝中心两侧各2倍板厚且不小于100mm区域预热100 ℃以上。
2)构件中有一块板厚100<δ的焊缝,应对焊缝中心两侧各2倍板厚区域预热
150 ℃以上。
3)预热应尽量使用红外线加热炉进行,不允许利用焊接过程中自身产生的热量来
预热。
4)需预热的构件,如中途停止施焊应重新预热到规定温度,或持续保温使其保持
规定的预热温度。
5)柱、梁(包括热轧型钢)中,对板厚δ≥32mm的低合金钢板的对接焊缝应进
行消除应力热处理。
6)热处理规范如下:
a、热处理升温速度为220X25.4/δmax.(℃/h),δ单位为mm,且不大于220℃
/h。
b、当炉温高于315℃时,其降温速度不大于:
260X25.4/δmax.(单位℃/h),δ单位为mm,但在任何情况下不应大于260℃/h,
从315℃以下焊件可在静止空气中冷却。
c、热处理温度580-650℃,保温时间如下表:
d、允许采用局部热处理,要求焊缝的每一边其加热带的宽度至少为接头钢板厚
度的二倍,且不小于200mm。
1 范围本标准规定了锻压机械、金切机床和其它产品用焊接件制造和验收基本要求。
本标准适用于碳素结构钢、低合金结构钢采用气焊、手工电弧焊、埋弧焊、气体保护焊等方法制造的本集团公司各类产品焊接件。
本标准将零件分为A级和B级,分别适用于A级和B级焊接构件。
A级应在图样的技术要求中注明,B级不需要注明。
当图样和技术文件无要求时,按B级。
2 引用标准GB 150-89 钢制压力容器GB 2649 – 2655-89 焊接接头机械性能试验方法GB 2656-81 焊缝金属和焊接接头的疲劳试验法DIN EN 9013 气割件质量级别DIN EN 13920 焊接构件的普通公差KES 04.052.3 焊接构件的普通公差(KOMA TSU)3 焊工资格焊工必须持有焊工技术资格证和焊工安全技术操作证方可进行独立焊接工作。
4 材料4.1 制造焊接件的钢材应符合图纸的规定4.2 制造焊接件的钢材和焊接材料应符合有关标准规定,应满足图纸或工艺文件的要求,具有制造厂的质量合格证书,并根据规定进行检查验收,合格后方可使用。
4.3 制造箱门、罩壳、盖板、护罩、护板之类零件用的δ≤3mm 的钢板一律采用冷轧钢板。
4.4 气割、焊接用气体,其质量应符合表1的规定。
表15 零件下料与成形5.1 火焰切割和等离子切割下料未注尺寸偏差应符合表2的规定,焊接坡口的角度(α)及尺寸(a、b)应符合表3的规定。
②气割缺口和孔(圆孔或型孔)取“+”值(即表中上偏差)。
③内筋板外形尺寸由工艺规定,取“-”值(即表中下偏差)。
表3注:加工面上坡口对a、b值取“+ ”值(即上偏值)。
5.2 火焰切割下料和等离子弧切割下料切割面上的割纹粗糙度应符合图1的规定。
其中C区适用于手工切割下料的场合或让步使用的场合。
Ry=110+1.8δRy=70+1.2δRy=40+0.6δ0407011020030040050060070022043065020406080100120140160180200220240260280300切割厚度δ(mm )说明:图1. 允许的平均表面粗糙度RyA 区B 区C区平 均 表 面 粗 糙 度 Ry (μm )图1. 允许表面的粗糙度Ry5.3 火焰切割下料和等离子弧切割面对板材平面的直角度和斜度公差应符合图2的规定,其中C 区为手工切割的场合或让步使用的场合。
焊接质量体系程序文件
001
焊前预热工艺规程
版次/修订号:第1页共2页
1、母材:S355J2G3(近Q345D)或技术有要求的材料厚度:≥50mm或技术要求
2、焊前预热温度:预热温度≥100℃≤200℃或技术要求
3、预热范围:焊缝两侧不小于焊件厚度的3倍,并且不得小于100mm
4、层间和道间温度:指多层多道焊缝及相邻母材在施焊下一道之前的瞬间温度,层间和道间温度不得低于预热温度的下限,。
5、加热方法:局部火焰预热
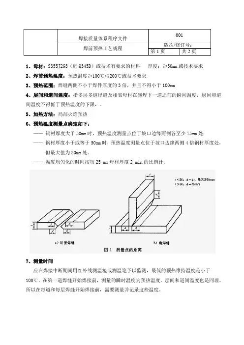
6、预热温度测量点确定如下:
——钢材厚度大于50mm时,预热温度测量点位于坡口边缘两侧各至少75mm处;
——钢材厚度小于或等于50mm时,预热温度测量点位于坡口边缘两侧4倍钢材厚度处,但最大值为50mm处。
——温度均匀化的时间按每25 mm母材厚度2 min的比例计。
7、测量时间
应在焊接中断期间用红外线测温枪或测温笔予以监测,最低的预热维持温度是小于100℃,在第一道焊缝开始焊接前,测量的瞬时温度为预热温度。
层间和道间温度也是同理。
所以在每道和每层焊缝开始焊接前,需要测量并记录这些温度。
8、其他要求
——在整个焊接过程中预热区温度应保持不低于预热温度的下限。
——每条焊缝尽可能一次焊完,当中断焊接又重新施焊时,仍需按规定进行预热,方法同上。
——当中断焊接及焊后均需用石棉板(布)等保温材料覆盖采取缓冷措施。
——预热温度及层间,道间温度,不是在火焰加热完之后测量,而是在电弧经过焊接区域之前的瞬时测量。
——焊接过程中必须避开风口。
如果没有屏风,焊接区域附近的大门必须处于关闭状态。
参考标准 ISO 13916。
焊接件通用技术条件一、一般要求1.1焊接件的制造应符合设计图样、工艺文件的规定。
1.2用于制造焊接件的原材料(钢板、型钢和钢管等)的钢号、规格、尺寸应符合设计图样要求:若不符合要求时,应按工厂材料代用制度代用。
1.3用于制造焊接件的原材料(钢板、型钢和钢管等)、焊接材料(焊条、焊丝、焊剂、保炉气体等)进厂时,须经技术检验部门根据制造厂的合格证明书及订货要求,按照工厂“原材料入厂验收规则”验收后,才准入库。
1.4对无牌号、无合格证明书的原材料和焊接材料须进行检验和鉴定,确定其牌号及规格方可使用。
1.5严禁使用牌号不明及未经检验部门验收的各种材料。
1.6焊接材料的使用及管理按JB/T3223-2007的规定。
1.7火焰切割件的质量要符合JB/T5000.2-2007的规定。
1.8焊接件涂装前要进行表面除锈处理,质量等级见JB/T5000.12-2007的规定。
二、钢材的初步矫正2.1各种钢材在划线前,其公差不符合以下两条(2.2和2.3)规定者,均须娇正以达到要求的公差。
2.2钢板局部的平面度,不应超过表1的规定。
2.3型钢在划线前各种变形超过表2规定时须矫正后才可划线,且局部波状及平面度在每米长度内不超过2mm。
三、钢材的成型弯曲3.1钢材的卷圆弯曲,当弯曲半径(内半径)大于下列数值时,可冷弯。
a.钢板:对于低合金钢R≥25δ;对于低碳钢R≥20δ。
其中:R——弯曲半径;δ——钢板厚度。
b.工字钢:R≥25H或R≥25B(随弯曲方向而定)。
其中:H——工字钢高;B——工字钢腿宽。
c.槽钢:R≥45B或R≥25H(随弯曲方向而定)。
其中:H——槽钢高;B——槽钢腿宽。
d.角钢:R≥45B。
其中:B——角钢腿宽(对不等边角钢随弯曲方向而定)。
3.2钢材的卷圆弯曲,当弯曲半径(内半径)小于以上(3.1)规定的数值时,需根据具体工艺进行热弯或弯后热处理。
如热弯,钢材应加热到900~1100℃。
弯曲完成时,温度不得低于700℃。
焊接预热方案焊接预热是指在进行焊接作业前,通过加热来提高工件温度的方法。
焊接预热可以改善焊接工艺的稳定性和焊缝的质量,而且还可以减少焊接应力、防止冷裂纹的生成。
本文将介绍焊接预热的原理、适用条件以及预热方案的制定。
1. 焊接预热的原理焊接过程中,由于快速加热和冷却引起的温度梯度和残余应力会导致焊接缺陷的产生,例如冷裂纹、变形等。
焊接预热可以通过提高工件温度来减少焊接过程中的温度梯度,减轻激发焊接缺陷的风险,提高焊接接头的强度和韧性。
2. 焊接预热的适用条件焊接预热并不是所有焊接工艺都需要进行,只有在特定的情况下才需要进行焊接预热。
以下是焊接预热适用的条件:2.1 高碳等合金钢高碳等合金钢具有较高的碳含量,焊接过程中易产生冷裂纹。
为了减少冷裂纹的风险,预热是必要的。
2.2 厚板焊接焊接厚板时,由于焊接热输入较大,冷却速度较慢,易产生较大的残余应力。
通过预热可以增加工件温度,减小焊接过程中的温度梯度,降低残余应力。
2.3 低温环境在低温环境下进行焊接作业时,工件温度可能较低,容易导致冷裂纹的生成。
通过预热可以提高工件温度,减少冷裂纹的风险。
3. 焊接预热方案的制定根据不同的焊接工艺和材料特性,制定合适的焊接预热方案非常重要。
以下是制定焊接预热方案时需要考虑的因素:3.1 材料类型不同材料对焊接预热的要求不同,例如高碳等合金钢需要较高的预热温度,而低碳钢可以较低的预热温度。
3.2 厚度焊接厚板时,由于焊接热输入较大,需要增加预热温度和预热时间,以确保焊接过程中温度的均匀性。
3.3 环境温度低温环境下进行焊接作业时,需要增加预热温度和预热时间,以确保工件温度达到合适的水平,减少冷裂纹的风险。
4. 实施焊接预热在制定好焊接预热方案后,需要按照以下步骤进行实施:4.1 清洁工件在进行焊接预热前,首先需要确保工件表面干净,除去油污和灰尘等杂质,以免影响焊接接头的质量。
4.2 加热工件根据预热方案,选择合适的加热设备,对焊接工件进行加热。
焊前预热及焊后热处理施工方案(修)
一、简介
焊接是一种常见的金属连接方法,而焊前预热及焊后热处理是确保焊接质量的
重要步骤。
在焊接过程中,预热和热处理可以减少焊接变形和裂纹,提高焊缝的强度和韧性。
本文将针对焊前预热和焊后热处理的施工方案进行探讨和总结。
二、焊前预热方案
1. 钢结构预热
在焊接钢结构之前,必须严格执行预热的要求。
预热的目的是减缓冷却速度,
减少应力,避免冷脆,保证焊接接头的质量。
预热温度和时间应严格按照焊接工艺规程执行。
2. 铝合金预热
预热对铝合金的影响尤为重要,可以避免氧化皮的产生,减少热裂纹的风险,
并提高熔池的流动性。
预热温度应根据具体材料而定,通常在150°C至250°C之间。
三、焊后热处理方案
1. 延时冷却
焊接完成后,应立即对焊接接头进行冷却处理。
延时冷却可以减缓焊缝冷却速度,降低残余应力,减少裂纹的产生。
延时时间根据焊接材料和工艺规范确定。
2. 热处理
对于一些关键部位或特殊要求的焊缝,需要进行热处理以提高焊接接头的性能。
热处理可包括回火、时效处理等,具体热处理方案应根据实际情况确定。
四、总结
焊前预热及焊后热处理是确保焊接接头质量的关键步骤,必须严格执行相应的
施工方案和工艺要求。
只有在预热和热处理环节做到位,才能确保焊接接头的质量稳定和可靠,从而保障结构的安全性和可靠性。
常用钢材焊接预热通用技术条件常用钢材焊接预热通用技术条件XSS911 -2011 1.主题内容与适用范围本标准规定了常用钢材焊接预热通用技术条件。
本标准适用于采用气体保护焊、手工电弧焊和埋弧焊焊接的机器产品的焊接件。
本标准不适用于铸锻件的补焊。
对预热温度有特殊要求时,应在设计图样或技术文件中注明。
本标准将作为制订焊接结构件焊接工艺和技术文件的依据。
2.引用标准GB700 碳素结构钢GB711 优质碳素结构钢热轧厚板技术条件GB4237 不锈钢热轧钢板JB/ZQ 4287 优质碳素结构钢JB/ZQ 4288 合金结构钢3.常用钢材焊接预热温度按表规定①美国哈尼斯菲格公司2300XP 2800XP矿用电铲标准转化汇编。
②联邦德国DEAG履带起重机标准转化汇编4.表中规定的预热温度适用于气体保护焊,埋弧焊和采用低氢型焊条的手工电弧焊,如果采用非低氢型焊条的手工电弧焊施焊,则要在表中预热温度的基础上提高30C 〜50C。
5.常用钢材焊接预热通用技术条件1)焊接时允许的最低环境温度如下;低碳钢-20 C中碳刚、低合金钢-10 C咼碳钢、中、咼合金钢0 C如环境温度低于上述规定,原则上不允许焊接。
2)表中是5C时的最低预热温度,当环境温度低于5C时, 对于无预热要求的焊缝,要将母材预热至 20〜50C, 才能进行焊接,并在焊接过程中保持此温度;对于有预热要求的焊缝要在原预热温度的基础上提高 20〜50C 才能进行焊接,并在焊接过程中保持此温度。
根据结构具体情况,可适当提高或降低预热温度。
3)不同材质之间焊接预热温度按焊接性差的一种选定。
4)同种材质而厚度不同时,焊接预热温度视结构情况按表选定。
5)预热范围焊缝每侧距焊缝中心不小于25 ( 5为板厚),且小于50mm6铸件焊接预热温度的选取,可参考本标准,并适当提高。
7特殊材料或特殊结构焊接预热温度的选取通过工艺评定确定。
焊接通用技术条件SDZ018-85本标准适用于水利电力系统一般机械及钢结构产品的手工电弧焊和埋弧自动焊。
凡产品图样或技术文件中无特殊要求时,均应符合本标准的规定。
1 一般技术要求1.1 焊接工作应配备专职的焊接技术人员、焊接检查和检验人员。
1.2 焊工应经专门的技术训练,从事Ⅰ、Ⅱ类焊缝焊接的工人,需按SDZ009-84《手工电弧焊及埋弧自动焊焊工考试规则》或其他有关焊工考试规则进行考试,并取得第三方公证单位认可的焊工合格证。
1.3 焊接原材料和焊接材料的型号、规格和订货要求应符合图样和技术文件规定,材料的代用应执行代用制度。
材料进厂时,应按材料标准的规定检查验收,必要时可进行抽检复验。
对无牌号、规格、无质量保证书的原材料和焊接材料,只有经过检验和鉴定,确定其规格、型号、质量状态后,方可使用。
1.3.1 焊接材料的选用,应根据母材的化学成份、机械性能、焊接接头的抗裂性、焊前预热、焊后热处理及使用条件等因素综合考虑。
参照表1选用。
表1 焊接材料的选用及预热、焊后热处理规范注:回火加热速度不大于200℃/小时,保温时间一般为0.04时/毫米,最低不少于两小时,以2.5~3℃/分钟的速度缓冷至300℃后空冷。
1.3.1.1 同种钢材之间的焊接,焊接材料的选用,一般应符合下列要求:a.焊接接头的机械性能应与母材相当;b.工艺性能良好;c.低碳钢及低合金钢焊接的焊条应符合GB981-76《低碳钢及低合金高强度钢焊条》的要求。
1.3.1.2 异种钢之间的焊接,焊接材料的选用应符合下列要求:a.两侧均非奥氏体不锈钢时,可根据合金元素含量较低(或强度等级较低)的一侧钢材选用。
b.其中一侧是奥氏体不锈钢时,可选用含镍、铬量比不锈钢更高的焊条(焊丝)。
1.4 焊前准备。
1.4.1 焊接前必须根据材料的可焊性、结构特点、设计要求、设备能力、使用条件及施工环境等因素编制合理的焊接工艺。
1.4.2 首次使用的钢种以及改变焊接材料类型、焊接方法和焊接工艺,必须在施工前进行焊接工艺试验。
焊接件通用技术条件焊接件是指通过焊接工艺将多个金属或非金属材料连接起来的构件。
作为一种常见的连接方式,焊接在各个行业中都得到了广泛的应用。
为了确保焊接的质量和安全性,必须遵循一定的技术条件和标准。
本文将就焊接件的通用技术条件进行细致的探讨。
1. 材料选择焊接件的材料选择十分重要,需要根据具体的工作环境和要求来确定。
常见的焊接材料包括钢材、铝材、不锈钢等。
在选择材料时,需要考虑其强度、耐腐蚀性、耐高温性等因素,并确保焊接材料能够适应所需的工作环境。
2. 准备工作焊接前的准备工作包括清洁、切割和装配等。
焊接面积应保持干净,无油污、灰尘或其他杂质。
如果焊接件表面有锈蚀,应使用适当的方法进行除锈处理。
切割过程中应保证切缝的准确性和光滑度。
装配时,需要确保焊接件的位置和角度准确无误。
3. 焊接过程焊接过程中需要注意以下几个方面:3.1 焊接设备:标准的焊接件应使用适当的焊接设备,例如电焊机、气焊设备等。
焊接设备应符合国家相关标准,并经过定期检查和维护,确保其安全可靠。
3.2 焊接方法:根据具体材料和要求,选择合适的焊接方法,如手工电弧焊、气焊、激光焊等。
在焊接过程中,应注意焊接速度、电流电压、电流极性等参数的控制,以确保焊缝的质量。
3.3 焊接接头形式:根据需要,选择适当的接头形式,如对接接头、角接接头、搭接接头等。
接头形式应符合相关标准,并确保焊接部位的连接牢固、无裂纹等缺陷。
4. 焊后处理焊接完成后,需要对焊缝进行适当的处理,以确保其质量和可靠性。
4.1 清洁:焊接件清洁应去除焊渣和氧化物等杂质。
可以使用适当的溶剂或清洗剂进行清洗。
4.2 表面处理:根据需要,可以对焊缝进行抛光、喷漆等表面处理,以提高其外观和耐腐蚀性。
4.3 检测:焊接件在完成后应进行质量检测,以确保其符合相关标准和要求。
常见的检测方法包括目测、射线检测、超声波检测等。
5. 质量控制在焊接件的制作过程中,需要进行严格的质量控制,以确保其质量和安全性。
常用钢材焊接预热通用技术条件常用钢材焊接预热通用技术条件XSS911-20111.主题内容与适用范围本标准规定了常用钢材焊接预热通用技术条件。
本标准适用于采用气体保护焊、手工电弧焊和埋弧焊焊接的机器产品的焊接件。
本标准不适用于铸锻件的补焊。
对预热温度有特殊要求时,应在设计图样或技术文件中注明。
本标准将作为制订焊接结构件焊接工艺和技术文件的依据。
2.引用标准GB700 碳素结构钢GB711 优质碳素结构钢热轧厚板技术条件GB4237 不锈钢热轧钢板JB/ZQ 4287 优质碳素结构钢JB/ZQ 4288 合金结构钢3.常用钢材焊接预热温度按表规定①美国哈尼斯菲格公司2300XP,2800XP矿用电铲标准转化汇编。
②联邦德国DEAG履带起重机标准转化汇编。
4.表中规定的预热温度适用于气体保护焊,埋弧焊和采用低氢型焊条的手工电弧焊,如果采用非低氢型焊条的手工电弧焊施焊,则要在表中预热温度的基础上提高30℃~50℃。
5.常用钢材焊接预热通用技术条件1)焊接时允许的最低环境温度如下;低碳钢 -20℃中碳刚、低合金钢 -10℃高碳钢、中、高合金钢 0℃如环境温度低于上述规定,原则上不允许焊接。
2)表中是5℃时的最低预热温度,当环境温度低于5℃时,对于无预热要求的焊缝,要将母材预热至20~50℃,才能进行焊接,并在焊接过程中保持此温度;对于有预热要求的焊缝要在原预热温度的基础上提高20~50℃才能进行焊接,并在焊接过程中保持此温度。
根据结构具体情况,可适当提高或降低预热温度。
3)不同材质之间焊接预热温度按焊接性差的一种选定。
4)同种材质而厚度不同时,焊接预热温度视结构情况按表选定。
5)预热范围焊缝每侧距焊缝中心不小于2δ(δ为板厚),且小于50mm。
6 铸件焊接预热温度的选取,可参考本标准,并适当提高。
7 特殊材料或特殊结构焊接预热温度的选取通过工艺评定确定。
通用焊接预热规定文件编号:Q-TSH-EN15085-13版本号:00编制:审核:批准:一、总则在铝合金焊接过程中,当材料厚度较大(大于等于8mm)时,为保证焊接质量,一般焊接之前对焊接区域厚板进行预热处理,常用的预热方法为火焰加热,因此,为有效规范操作人员正确进行火焰加热工艺,制定本技术规范。
二、人员资质现场操作人员必须具有安全生产监督管理局颁发的《焊接与热切割作业》特种作业资质证书。
三、工具选择在对产品预热的过程中,主要用到以下两种工具:点式测温仪(0-200℃)和焊炬。
本节主要对预热焊炬进行介绍。
1焊炬的分类焊炬按可燃气体与氧气混合方式分为等压式和射吸式两类;按尺寸和重量分为标准型和轻便型两类;按火焰的数目分为单焰和多焰两类等等。
但一般焊炬主要是按第一种进行分类的,目前主要使用的焊炬为射吸式。
2射吸式焊炬介绍型号:射吸式焊炬的型号由一个汉语拼音字母,表示结构和型式的序号数及规格组成。
主要有H01-2、H01-6、H01-12、H01-20四种。
其中H表示焊(Han)的第一个字母,0表示手工,1表示射吸式,12表示焊接低碳钢最大厚度,单位为mm。
焊炬结构和零部件名称见图1及表1:表1对应零部件名称序号名称序号名称1焊嘴6中部主体2焊嘴接头7后部接体3吸射管8乙炔螺母4喷嘴9氧气螺母5氧气阀针10软管接头注:H01-2和H01-6型无后部接体、乙炔螺母、氧气螺母等部件。
焊炬相关主要参数见表2(标准JB/T6969-93)将用于钢材预热的焊炬类型用于铝合金材料预热,要使用小一号的焊炬规格,如表2所示,为各类焊炬型所对应的相关主要参数表及所对应的预热铝合金厚度关系表。
表2 焊炬相关主要参数从表2可以看出,(1)我们可以根据母材的厚度,选择不同的焊炬及焊嘴(每种型号焊炬配有5种焊嘴),当焊炬型号确认后,还需根据实际情况进行焊嘴的选择,焊嘴号码越大,表示所加热的母材厚度越厚;同时可以根据板厚不同选择不同的焊嘴孔径,其中板厚越大,所选择的孔径也越大;(2)根据选择焊炬型号及焊嘴的不同,操作者需选择适当的氧气及乙炔工作压力,才能达到最好的加热效果。
焊前预热及预热参数
正式焊接工作开始前,对厚钢板的焊缝区要进行预热。
焊接时由于局部的激热速冷,在焊接区就可能产生裂纹,预热就是减缓焊接区激热、速冷的过程。
约束力大的接头,预热后可以减少收缩应力,预热还可以排除焊接区的水分和湿气,排除了水分也就排除了产生氢气的根源。
当工作地点的环境温度为0℃以下时,焊接件的预热温度应通过试验确定。
表3 不同材质钢材需要预热的温度
(续)
在气温低于0℃的环境中进行焊接时,低碳钢也要进行预热,表2是厚钢板预热的条件。
表3是需要预热的温度。
45钢焊接预热温度标准在焊接过程中,预热是防止焊接裂纹的重要步骤。
以下是45钢焊接预热温度标准的主要内容:1.一般碳素钢对于一般碳素钢,在进行焊接时,预热温度应不低于100°C。
在环境温度低于0°C时,应采取额外的保温措施。
预热可以消除焊接接头处的温差,减少应力集中,降低裂纹风险。
2.低合金钢对于低合金钢,预热温度应根据钢材的强度级别和化学成分来确定。
一般情况下,预热温度在100°C到200°C之间。
对于高强度级别的低合金钢,应适当提高预热温度。
3.高合金钢高合金钢中含有的合金元素较多,焊接时容易产生裂纹。
因此,高合金钢的预热温度通常较高。
一般建议预热温度在150°C到300°C之间,具体应根据钢材的化学成分和强度级别来确定。
4.不锈钢不锈钢是一种具有高耐腐蚀性的金属材料,但在焊接时也容易出现裂纹。
为了防止裂纹,不锈钢焊接前需要进行预热。
预热温度应根据不锈钢的种类和厚度来确定。
一般情况下,预热温度在100°C到150°C之间。
5.厚度和刚度很大时当焊件的厚度和刚度较大时,预热温度应适当提高。
这是为了更好地消除焊接应力,防止裂纹的产生。
建议预热温度在150°C到250°C之间。
6.若焊件太大整体预热有困难时如果焊件太大,整体预热变得困难或不可行,可以采取局部预热的方法。
即只对焊接区域及其周边进行预热,以减少温差和应力集中。
局部预热的温度应不低于100°C,并根据实际情况进行调整。
同时应注意避免局部过热现象的发生。
不锈钢焊接热处理技术要求内容来源网络,由“深圳机械展(11万㎡,1100多家展商,超10万观众)”收集整理!更多cnc加工中心、车铣磨钻床、线切割、数控刀具工具、工业机器人、非标自动化、数字化无人工厂、精密测量、3D打印、激光切割、钣金冲压折弯、精密零件加工等展示,就在深圳机械展.不锈钢在进行激光焊接的过程中,一般需要进行焊后热处理,特别是马氏体、铁素体不锈钢,选择正确的焊前预热和焊后处理是保证激光焊接机焊接质量的必要条件。
那么到底不锈钢焊后热处理工艺是怎样的?焊后热处理对不锈钢抗拉强度、蠕变极限的影响与热处理的温度和保温时间有关。
焊后热处理对不锈钢冲击韧性的影响随钢种不同而不同,一般不锈钢焊后热处理工艺选用单一高温回火或正火加高温回火处理:1、正火加高温回火对于气焊焊口采用正火加高温回火热处理。
这是因为气焊的焊缝及热影响区的晶粒粗大,需要细化晶粒,故采用正火处理。
2、单一高温回火然而单一的正火不能消除残余应力,故需再加高温回火以消除应力。
单一的中温回火只适用于工地拼装的大型普通低碳钢容器的组装焊接,其目的是为了达到部分消除残余应力和去氢。
绝大多数场合是选用单一的高温回火。
热处理的加热和冷却不宜过快,力求内外壁均匀。
焊后热处理能够消除不锈钢松弛焊接残余应力;稳定结构的形状和尺寸,减少畸变;提高焊缝金属的塑性;改善疲劳强度;提高抗应力腐蚀的能力;防止延迟裂纹的发生等等,因此不锈钢焊后热处理是非常重要的。
(1)麻田散铁类不锈钢:此类不锈钢体心立方之结构(BCC)可将磁铁吸引,将其从奥斯田温度急冷而得,此之耐蚀性能最好,但材质硬则脆,接著加以回火可以增加延展性,但耐蚀性会降低,特别是在摄氏450度到650度之间回火,会使在结晶格间隙内之碳原子扩散析出与铬形成网状之碳化铬造成临近区域铬元素之消耗使铬成份降低,无法形成保护膜,而丧失耐蚀性,故需特别注意。
以下是各种麻田散铁类不锈钢材之热处理温度。
(a)403,410,416se之温度在650-750℃。
焊接钢板中的预热技术随着现代化工业的发展,钢板的应用越来越广泛。
然而,在钢板的加工过程中,焊接是一项必不可少的工艺。
然而,由于钢板材质的复杂性以及加工环境的不同,焊接的过程中可能会出现很多问题。
这时,预热技术就显得尤为重要了。
本文将介绍焊接钢板中的预热技术,探讨其原理、方法以及应用等相关内容。
一、预热技术的原理在焊接过程中,钢板的温度会迅速升高。
对于很多高强度的钢板来说,这种温度升高可能会导致钢板材质的变形以及焊缝的裂纹等问题。
预热技术的原理就是在焊接前,把钢板加热到一定的温度,这样一来,在焊接过程中,钢板就不会发生过于剧烈的温度变化了。
这样就可以避免焊缝出现裂纹以及其他变形等不良情况。
二、预热技术的方法1、卤素灯预热法这是一种较为常见的预热方法。
首先,将卤素灯置于预热区域上方,然后将灯光调节到合适的高度,让钢板的表面均匀地受热。
这种方法的优点是对大型设备进行预热时非常有效,而且可以根据需要随时调节温度。
2、火焰预热法这种方法通常被用于对较小的焊接部位进行预热。
具体操作是将气焊、氧焊等火焰燃烧设备放置与预热区域上方,将钢板表面快速加热。
3、电热预热法这种方法在现代工业制造中较为常见。
它的原理是通过电热元件(例如铬铝电丝)将预热区域均匀加热。
这种方法的优点是,可以针对不同种类的钢板进行不同的预热方式,适用范围广。
三、预热技术的应用1、锅炉压力容器的制造在锅炉压力容器的制造过程中,焊接是必不可少的。
然而,由于容器尺寸大、壁厚度较大等因素的影响,焊接时的温度变化可能会导致容器出现变形以及焊缝的裂纹。
这时,通过采用预热技术就可以有效避免这些问题的发生。
2、船舶制造在船舶制造过程中,钢板的焊接非常常见。
然而,由于海水环境等因素的影响,容易导致钢板腐蚀。
如果采用预热技术,则可以大大增强焊接部位的强度和耐腐蚀性。
这样一来,大大增强了船舶的使用寿命。
3、钢结构制造在钢结构制造中,焊接也是非常重要的环节。
采用预热技术可以避免焊接部分的变形,从而保证整个钢结构的强度和稳定性。
焊前预热与焊后热处理一、焊前预热:1.焊前预热的目的:1)延长焊接时熔池凝固时间,避免氢致裂纹;2)减缓冷却速度,提高抗裂性;3)减少温度梯度,降低焊接应力;4)降低焊件结构的拘束度。
2.预热温度的确定:1)工件的焊接性,主要取决于含碳量和合金元素含量;2)焊件的厚度、焊接接头型式和结构拘束程度;3)焊接材料的含氢量;4)环境温度。
3.火电厂检修常用钢材焊接预热温度:1)含碳量≤0.35%的碳素钢及其铸件,管材壁厚≥26mm,预热温度100-150;板材≥34mm,预热温度100-150。
2)15CrMo管材壁厚≥10mm;预热温度150-200;3)12Cr1MoV —预热温度150-200;4)9Cr1Mo —预热温度300-400;注:1. 预热宽度从对口中心算起,每侧为焊件厚度的3倍,且不得小于150mm-200mm;2. 当工件厚度超过200mm时,可适当提高预热温度,但一般不超过400度;3.当环境温度低于0度时,均须预热,且在始焊处100mm范围内预热,大于等于150度。
二、焊后热处理:焊接工作完成后,将焊件加热到一定的温度,保持一定的时间,然后以一定的速度冷却下来,以改善焊接接头的金属组织和力学性能,这一工艺过程叫做焊后热处理。
1.焊后热处理的目的:降低焊接残余应力,获得一定的金相组织和相应的各项性能。
1)松弛焊接残余应力;2)改善组织和提高综合性能;3)除氢及稳定成分(低合金钢和中合金钢只要在300度下,保温2-4小时,即可达到去氢的目的。
2.焊后热处理规范包括:热处理种类、加热温度、保持时间、和升降速度等;焊接接头焊后热处理工艺是正火和高温回火。
对于火电厂检修焊接热处理的主要目的是:消除焊接残余应力,一般均采用高温回火。
1)含碳量≤0.35%,最高温度600-650 壁厚>25-37.5mm;恒温时间:1.5小时;壁厚>37.5-50mm;恒温时间:2小时;壁厚>50-75mm;恒温时间:2.25小时;壁厚>75-100mm;恒温时间:2.5小时;壁厚>100-125mm;恒温时间:2.25小时;2)15CrMo 最高温度670-7003)12Cr1MoV 最高温度720-7504)9Cr1Mo 最高温度750-780。
常用钢材焊接预热通用技术条件
常用钢材焊接预热通用技术条件
XSS911-2011
1.主题内容与适用范围
本标准规定了常用钢材焊接预热通用技术条件。
本标准适用于采用气体保护焊、手工电弧焊和埋弧焊焊接的机器产品的焊接件。
本标准不适用于铸锻件的补焊。
对预热温度有特殊要求时,应在设计图样或技术文件中注明。
本标准将作为制订焊接结构件焊接工艺和技术文件的依据。
2.引用标准
GB700 碳素结构钢
GB711 优质碳素结构钢热轧厚板技术条件GB4237 不锈钢热轧钢板
JB/ZQ 4287 优质碳素结构钢
JB/ZQ 4288 合金结构钢
3.常用钢材焊接预热温度按表规定
①美国哈尼斯菲格公司2300XP,2800XP矿用电铲标准转
化汇编。
②联邦德国DEAG履带起重机标准转化汇编。
4.表中规定的预热温度适用于气体保护焊,埋弧焊和采用
低氢型焊条的手工电弧焊,如果采用非低氢型焊条的手工电弧焊施焊,则要在表中预热温度的基础上提高
30℃~50℃。
5.常用钢材焊接预热通用技术条件
1)焊接时允许的最低环境温度如下;
低碳钢 -20℃
中碳刚、低合金钢 -10℃
高碳钢、中、高合金钢 0℃
如环境温度低于上述规定,原则上不允许焊接。
2)表中是5℃时的最低预热温度,当环境温度低于5℃时,
对于无预热要求的焊缝,要将母材预热至20~50℃,才能进行焊接,并在焊接过程中保持此温度;对于有预热要求的焊缝要在原预热温度的基础上提高20~50℃才能进行焊接,并在焊接过程中保持此温度。
根据结构
具体情况,可适当提高或降低预热温度。
3)不同材质之间焊接预热温度按焊接性差的一种选定。
4)同种材质而厚度不同时,焊接预热温度视结构情况按表
选定。
5)预热范围
焊缝每侧距焊缝中心不小于2δ(δ为板厚),且小于50mm。
6 铸件焊接预热温度的选取,可参考本标准,并适当提高。
7 特殊材料或特殊结构焊接预热温度的选取通过工艺评定确定。